Расчет железнодорожного пути
Контрольная работа
1. Расчет железнодорожного пути
1. Вычертить схематическое
изображение поперечного профиля земляного полотна
Определить основные размеры земляного полотна и
размеры устройств
Дано:
|
Вид
поперечного профиля
|
Категория
железно-дорожной
линии
|
Число
путей
|
Род
грунта
|
Поперечный
уклон местности
|
Отметки
проектной бровки земляного полотна, Нпр.з м
|
Отметки
земли по оси полотна, Нз м
|
Перечень
устройств
|
%
грунта выемки в кавальер
|
|
выемка
|
II
|
1
|
ТГ
(тощая глина)
|
1:7
|
250,2
|
259,8
|
кавальер
|
58
|
Решение:
Учтем следующие требования:
. Основная площадка однопутных выемок
(насыпей) проектируется в виде трапеции шириной поверху 2,3 м, высотой 0,15 м.
В зависимости от количества путей, категории
дороги и др. по СТНЦ определяют ширину основной площадки, назначают ее
конфигурацию. (II
категория, однопутный участок, радиус кривой = 2600 м., тощая глина):
ширина основной площадки = 7,6 м,
уширение основной площадки в наружную сторону
для обеспечения необходимой ширины обочин при устройстве возвышения наружной
рельсовой нити = 0,2 м,
габаритное уширение = 0,02 м
В = 7,6 + 0,2+ 0,02 = 7,82 м
Глубина выемки (Высота насыпи) измеряется по оси
земляного полотна от поверхности земли до уровня бровок основной площадки
земляного полотна, она определяется как разность между отметкой земли и
отметкой проектной бровки полотна для выемок:
Глубина выемки земляного полотна, H м
Н = Н.з - Н пр.з = 259,8 -
250,2 = 9,6 м
2. Выбор крутизны откосов выемок (насыпей):
Выемки глубиной до 12 м и в глинах имеют
крутизну откосов 1:1,5.
. Резервы
При проектировании резервов учитываем:
Средняя глубина резервов h0
- не более 2 м, наименьшая - 0,6 м. дно резерва при его ширине до 10 м
включительно устраивают односкатным с поперечным уклоном 0,02 в сторону поля;
при ширине дна более 10 м оно планируется двускатным от краев к середине.
откосы резервов имеют крутизну 1:1,5.
. С обеих сторон от основной площадки
предусматривают кюветы, имеющие, как правило, типовые размеры: ширину дна - 0,4
и глубину - 0,6 м Крутизну бровочных откосов кюветов назначают 1:1,5, а полевых
откосов - равной крутизне откосов выемки (при наличии закюветных полок -
1:1,5).
. В выемках, откосы которых сложены
переувлажненными глинистыми грунтами (коэффициент консистенции IL>0,25),
за кюветами устраивают полки шириной в 0,2 высоты откоса, но не менее 1,0 м.
. Крутизну откосов выемки предварительно
назначают согласно нормам СниП II-39-76 . Затем рассчитывают устойчивость
откосов (см. ниже), окончательная крутизна их не должна превышать значений,
указанных в нормах.
. С нагорной стороны выемки проектируют
банкетный вал, забанкетную канаву, кавальер и нагорную канаву в соответствии с
рис. 2.2. С подгорной стороны проектируют второй кавальер, а в случае
незначительного поперечного уклона местности (менее 0,04) и водоотводную
канаву. Границы полосы отвода земли под железную дорогу намечают не ближе 2 м
от внешних (полевых) границ земляных и водоотводных устройств.
. Откосы выемки и кюветов укрепляют, как
правило, посевом трав по слою растительной земли. Дно кюветов укрепляют
щебнением.
h1
= h0-
(0.01
b2
+
)
1. Кюветы, забанкетные и нагорные
канавы
а. Кюветы выемок в глинах следует делать
глубиной не мене 0,6 м и шириной по дну не менее 0,4 м. Откос кювета со стороны
поля является продолжением откоса выемки, а со стороны полотна крутизна откоса
1:1,5.
б. Забанкетная канава располагается на
расстоянии не менее 0,5 м от подошвы путевого откоса кавальера, имеет глубину и
ширину по дну 0,3 м и откосы крутизной 1:1,5;
в. Размеры нагорных канав определяются по
расчету.
2. Кавальеры и банкеты
Банкет - присыпка треугольной формы,
расположенная на расстоянии 1 м от бровки откоса выемки. Высота банкета
принимается не более 0,6 м, путевой откос имеет крутизну 1:1,5; поверхность его
имеет поперечный уклон 0,02 - 0,04 в сторону пути.
Кавальеры. При расположении кавальеров
рекомендуется руководствоваться требованиями СТНЦ.
Кавальеры имеют откосы крутизной 1:1,5, среднюю
высоту не более 3 м, их поверхность имеет поперечный уклон 0,02 в сторону поля.
Расстояние от подошвы путевого откоса кавальера
до бровки откоса выемки (обрез) принимается не менее 5 м, а со стороны
постройки в будущем второго пути это расстояние увеличивается на величину
междупутий. В слабых грунтах обрез должен иметь большую ширину: не менее 5 + Н
( Н - глубина выемки), но не менее 10 м.
Выбираем расчетную схему:
Рис. 1
Для определения размеров кавальеров необходимо
предварительно рассчитать площадь поперечного сечения выемки FB
и площадь поперечного сечения кавальеры wK.
Площадь поперечного сечения выемки:
FB
= F0
+ Δf - w1
+ w2
где F0
- площадь поперечного сечения выемки при условии отсутствия высокогорности
F0
= В*Н + m*H2
В - ширина выемки на уровне бровок основной
площадки земляного полотна:
B = b
+ 2bk
b - ширина основной
площадки (7.6 м)
bk
- ширина кювета поверху
В = 7,6 + 2*0,6 = 8,8 м
m - на откосов
выемки ( m = 1.5)
F0
= 8,8*9,6 + 1,5*9,62 = 222,72 м2
w1
- площадь сливной призмы для однопутных линий
w1
=
*0.15
w2
- площадь кюветов
w2
=
*0,6
= 0,3 м2
Δf -
приращение площади поперечного сечения выемки при наличии поперечного уклона
местности, м2
Δf = k*(F0
+
)
k - коэффициент
косогорности
k =
=
0.0481
Δf =
0.0481*(222,72 +
)
= 11,203 м2
FB
= 222,72 + 11,203- 7,425 + 0,3 = 226,798 м2
Рис. 2
Площадь поперечного сечения кавальера
wk
=
в нашем случае t
= 2
Р - % грунта выемки, укладываемой в кавальер
wk
=
=
65,77 м2
ширина кавальера поверху приближенно равна:
b2
= wk/h0 + 1.5*h0
h0 - средняя высота
кавальера (принимается в зависимости от площади кавальера, но не более 3 м).
b2
= 65,77/3+ 1.5*3 = 26,42 м
Высота кавальера
h1
= h0 -
(0.01
b2
+
)
h2
= h0 +
(0.01
b2
+
)
n - показатель
поперечного уклона местности (1:7)
h1
= 3 - (0.01
26,42 +
)
= 0,85 м
h2
= 3+ (0.01
26,42 +
)
= 5,15 м
ширина кавальера понизу
b1 = b2 +
1
= 26.42 +
= 26.42 + 6.36 +
1.62 = 34.4 м.
2.
Определить глубину заложения закрытого трубчатого (несовершенного) дренажа
траншейного типа
|
Категория
железной дороги
|
Число
путей
|
Класс
пути
|
Глубина
промерзания, м
|
Вид
дренажа
|
Положение
уровня грунтовых вод относительно дна кювета, м
|
|
II
|
1
|
2
класс
|
1,84
|
Двусторонний подкюветный
|
-0,25
|
Грунт - суглинок
Вычертить поперечный разрез выемки и дренажа в
масштабе 1:50
Указать основные размеры
Решение:
Рис. 1 Расчетная схема двухстороннего
подкюветного дренажа
Глубину заложения дренажа определяют, исходя из
требования понизить уровень грунтовых
вод (в случае невозможности их полного перехвата) и осушить грунты под основной
площадкой в пределах сезоннопромерзающей толщи. Расчетной вертикалью в
пределах, т.е. таким сечением, где необходимо обеспечить требуемое понижение
уровня грунтовых вод, является: при двустороннем дренаже - ось земляного
полотна; при одностороннем дренаже - сечение, проходящее на расстоянии 0,3-0,4
м от дальнего конца шпалы по отношению к дренажу.
Глубину h заложения двустороннего несовершенного
подкюветного дренажа, отсчитываемую от дна кювета до дна траншеи, определяют в
соответствии с обозначениями, показанными на рис. 1, по формуле:
h = А + e
+ aкп + f + hс - у
Здесь А - расчетная (наибольшая за 10-летний
период) глубина сезонного промерзания по расчетной вертикали, м;
е - величина возможного колебания уровня
капиллярных вод и глубины промерзания (е = 0,2…0,3);
акп - высота подъема капиллярной воды
над кривой депрессии;с - расстояние по вертикали от верха дренажной
трубы до дна траншеи (обычно hс = 0,3…0,4 м);
у - глубина кювета (0,6 м) + толщина сливной
призмы (0,20 м) + толщина балласта под шпалой + толщина шпалы (для деревянных
шпал минус 3 см от верхней постели шпалы до балластного слоя) или расстояние от
верха балластной призмы до верха дренажной траншеи, м;
у = h6+0,6+0,2;
h
6
- суммарная толщина балласта, м;
h6 =
hщ+
0,15 = 0,40 + 0,15 = 0,55;
у = 0,55 + 0,6 + 0,2 = 1,35;- стрела изгиба
депрессии.
Величину f для двустороннего дренажа определяют
по формуле:
f = l
I0,
где m0 - расстояние от стенки траншеи
до расчетной вертикали, м;
l =
+
C
где В - ширина основной площадки земляного
полотна в зависимости от категории железной дороги, рода грунта и количества
путей.
Задано:
категория дороги - II,
число путей - 1,
грунт - тощая глина.
В = 7,6м.
С - горизонтальная проекция путевого откоса
кювета (при крутизне 1:1,5 и глубине кювета 0,9 м) С = 0,9 м.
l =
+
0,9 = 4,7 м.0 - средний уклон кривой депрессии.
Значение акп и I0 берут из
справочных данных:
. суглинок легкий.
акп = 0,9 м.;0 = 0,07
доли.
f =
4,7
* 0,07 = 0,329 м.
h = 1,84 +
0,25 + 0,9 + 0,329 + 0,4 - 1,35 = 2,369 м
. суглинок тяжелый
акп = 1,3 м.;0 = 0,09
доли.
f =
4,7
* 0,09 = 0,423 м.
h = 1,84 +
0,25 + 1,3+ 0,423 + 0,4 - 1,35 = 2,863 м
Расчетная схема двухстороннего подкюветного
дренажа
Итоговая схема
земляной профиль дренаж
рельс стрелочный
Контрольная работа №2
1.
Определить возвышение наружного рельса, длину круговой кривой и переходных
кривых, количество укороченных рельсов, необходимых для укладки по внутренней
нити кривой
Дано:
Радиус круговой кривой = 1500м;
Угол поворота, β = 260;
Длина рельса = 25 м;
Данные о поездах:
|
грузовых
|
пассажирских
|
|
Число
поездов в сутки, N
|
Вес
поездов, G,
кН
|
Скорость,
v
км/ч
|
Число
поездов в сутки, N
|
Вес
поездов, G,
кН
|
Скорость,
v
км/ч
|
|
42
|
30
000
|
90
|
2
|
6
400
|
125
|
|
16
|
40
000
|
80
|
2
|
6
800
|
120
|
|
17
|
42
000
|
70
|
4
|
7
200
|
100
|
Решение:
При движении железнодорожного экипажа по кривым
возникают дополнительные по сравнению с прямыми участками силы взаимодействия
пути и подвижного состава: центробежная сила, направленная наружу кривой;
вертикальный перегруз одной из рельсовых нитей и недогруз другой; радиальное
давление, приложенное к рельсу наружной нити со стороны реборды колеса передней
оси жесткой базы экипажа; сила ветра, которая в отдельных случаях может
оказывать значительное воздействие на путь и подвижной состав.
Для снижения воздействия этих сил в кривых
участках устраивается возвышение наружного рельса.
Величина этого возвышения определяется
следующими тремя условиями:
обеспечением равномерного вертикального износа
обеих рельсов;
обеспечением пассажиров от неприятных ощущений
при воздействии поперечных ускорений;
обеспечением экипажа от опрокидывания в кривых.
I. Определение
возвышения наружного рельса
.1 Определение возвышения наружного рельса из
условия обеспечения равномерного износа обеих рельсовых нитей
Внутренняя и наружная рельсовые нити будут
изнашиваться одинаково при условии идентичного суммарного воздействия на них
вертикальных и горизонтальных сил.
Рис. 1. Схема положения экипажа и действующих на
него сил при движении по кривой
Возвышение наружного рельса должно быть таким,
чтобы центробежная сила и центростремительная взаимно уравновесились, тогда
равнодействующая будет направлена по оси пути, и обе рельсовые нити будут
нагружены одинаково.
Величина возвышения наружного рельса
определяется по формуле
,
где R - радиус
кривой, м;
- квадратичная средневзвешенная по
тоннажу скорость движения поездов,
,
где Ni -
количество поездов в сутки той или иной категории (скорых, пассажирских и др.);
Gi - вес
поезда соответствующей категории, m;
Vi - скорость
движения соответствующих поездов, км/ч;
К - коэффициент учета смещения
центра тяжести экипажа относительно середины колеи. Согласно СТН коэффициент К
принимается равным 1,2 при максимальных скоростях 161 - 200 км/ч, 1,1 - при
скоростях 120 - 160 км/ч. При скоростях менее 120 км/ч К = 1.
Определяем значение
:
V2ср = 
Находим величину возвышения для кривой:
В нашем случае максимальная скорость - 125 км/ч,
тогда К = 1,1
h1 =
мм
.2 Определение возвышения наружного
рельса по условию комфортабельности езды пассажиров
Величина возвышения, найденная по
выражению
, будет
недостаточна для скорых пассажирских поездов, имеющих скорость
По условиям комфортабельности езды
требуется, чтобы ускорение, действующее на пассажира, не превышало допустимого
значения.
Величина возвышения по этому условию
определяется по формуле:
,
где
- максимальная скорость движения
пассажирских поездов, км/ч;
- допустимая величина непогашенного
центробежного ускорения (на дорогах установлена 0,7 м/с2).
Находим величину возвышения кривой:
h1 ³
мм
За окончательное значение возвышения
наружного рельса в кривой принимаем большее из двух полученных, т. е 63,144 мм.
Принятое значение h округляется
до величины, кратной 5 мм. Принимаем h = 65 мм.
Согласно ПТЭ, она не должна превышать наибольшей допустимой величины, равной
150 мм.
Вывод:
Скорость движения пассажирских
поездов по кривой заданного
R = 1500 м,
должна быть ограничена величиной, определяемой по формуле:
км/ч
В кривой R = 1500 м,
при ширине рельсовой колеи S = 1520 мм по ПТЭ, возвышение
наружного рельса h = 65 мм, при ограничении
до 178
км/ч.
II.
Определение длины круговой и переходных кривых
1. Переходные кривые предназначены для
соединения прямого участка пути с кривой заданного радиуса с целью обеспечения
плавного перехода экипажей в кривой участок пути без толчков и ударов. На
переходной кривой полностью осуществляется отвод возвышения наружного рельса и
уширения колеи.
Принимаем длину переходной кривой, при при
скоростях движения до 140 км/ч:
l0
= 1000
h
l0
= 1000
65 = 65000 мм = 65 м
Найденная длина округляется до
большего значения, кратного 10 м:
Параметр переходной кривой С, необходимый для
определения координат точек переходной кривой определяется из выражения, м2,
С = 1500 ´ 70 = 105000
м2
Точный расчет:
При проектировании переходных кривых выбирается
их длина, геометрическое очертание кривой в плане и определяются координаты для
ее разбивки. Длина переходной кривой определяется несколькими условиями,
основным из которых является плавность устройства отвода возвышения наружного
рельса. По этому условию искомая длина
где h -
возвышение наружного рельса в кривой, мм;
- допускаемый уклон прямолинейного
отвода возвышения,
,
где
- максимальная скорость движения по
кривой, км/ч.
=
м
Найденная длина округляется до
большего значения, кратного 10 м:
3. Определение
угла наклона переходной кривой в ее конце
=
=
=
0.0233(3) рад.
1,330
4. Определение возможности разбивки переходных
кривых по условию:
2
2.66
Разбивка возможна!
. Определение длины круговой кривой
lKP =
(β
- 2φ0)
lKP =
(26
- 2.66) = 610.73 м
= 611 м
6. Полная длина кривой
l = lKP + 2l0
l = 611+ 2*70 = 611+140 = 751 м
7. Количество рельсов нормальной длины,
укладываемых по наружной рельсовой нити:
Nнорм
=
- длина
стандартного рельса, 25 м;
Nнорм
=
=
30 рельсов.. Расчет количества укороченных рельсов
В кривых участках пути внутренняя рельсовая нить
короче наружной, поэтому при расположении стыков по наугольнику возникает
необходимость укладки укороченных рельсов. Для каждой кривой выбираются тип
укорочения, количество и порядок укладки укороченных рельсов.
Необходимое число рельсов принятого размера:
где ε - полное
укорочение на всей кривой;
К - принятое стандартное укорочение
где εПК
- укорочение на переходной кривой.
εКК
- укорочение на круговой кривой.
где
- средняя ширина колеи между осями
головок рельсов в пределах переходной кривой (в расчетах принимаем 1600 мм);
Укорочение в пределах круговой
кривой
определяется
как
где
- длина оставшейся части круговой
кривой после разбивки переходных кривых;
φ
) 
где
полный угол поворота кривой с
учетом переходных кривых;
угол поворота в пределах переходной
кривой.
м
1600
= 651,45 мм
Выбор типа укороченных рельсов для
данной кривой производится по формуле:
где S
- ширина
колеи по оси головки рельсов в пределах круговой кривой (1600 мм);
- длина нормального рельса;
R - радиус
круговой кривой;
мм
Принимаем стандартное укорочение К =
80 мм, при длине рельса 25 м.
9,076
9 укор.
рельсов.
Укороченные рельсы укладываются в
тех местах кривой, где накапливающийся забег стыков достигает половины принятого
стандартного укорочения.
2. Описать порядок разбивки
обыкновенного стрелочного перевода. Привести поясняющую схему
Ответ:
Общие сведения
Перед укладкой в путь стрелочных переводов
необходимо выполнить разбивочные работы. Разбивочные работы на местности (на
главных и станционных путях) должны обеспечить расположение переводов по
проекту и в точном соответствии с типовыми эпюрами, в которых указывается
положение главнейших частей стрелочных переводов: остряков, рамных рельсов,
крестовин, переводной кривой и переводных брусьев. К разбивочным работам
относятся: разбивка положения стрелочных переводов и глухих пересечений на
местности; разбивка соединений и пересечений путей; разбивка сплетений путей.
Разбивка стрелочных переводов и глухих
пересечений заключается в определении и закреплении на местности (на главных и
станционных путях) местоположения основных точек стрелочного перевода. Основной
точкой при разбивке является центр стрелочного перевода (глухого пересечения)
Ц, относительно которого определяют положение всех частей перевода (глухого
пересечения). При укладке следующего перевода удобнее брать за основную точку
для разбивки передний стык рамных рельсов или математический центр крестовины
С, положение которых уже известно. Переводные кривые разбивают по ординатам,
которые указаны на соответствующих схемах разбивки.
Разбивка обыкновенного стрелочного
перевода
Основными документами для разбивки являются:
эпюра со схемой разбивки и план путевого развития в осях. Порядок разбивки
стрелочного перевода следующий.
Схема разбивки стрелочного перевода
От оси станции отмеряют стальной рулеткой или
лентой заданное по проекту расстояние до центра стрелочного перевода Ц,
отмечают его на оси прямого пути колышком, забивая в него гвоздик, фиксирующий
точно центр, и определяют направление прямого пути. Во избежание замыкания
электрической цепи на электрифицированных линиях и линиях, оборудованных
автоблокировкой, при измерениях расстояний стальной рулеткой или лентой нельзя
укладывать их на противоположные рельсы и перекрывать изолирующие стыки.
Если вблизи имеется уложенный стрелочный
перевод, расстояние центра которого от оси станции уже известно, то достаточно
отмерить только разницу расстояний между центрами обоих стрелочных переводов до
оси пассажирского здания. В том случае, когда положение стрелочного перевода
задано ориентировочно, необходимо во избежание излишних рубок перевод
расположить так, чтобы начало рамных рельсов совпало со стыками путевых
рельсов. Изменение положения стрелочного перевода при этом не должно уменьшать
полезную длину станционных путей.
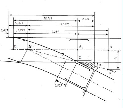
От найденной точки Ц по оси прямого пути
отмеряют отрезок ЦА (м), равный или кратный знаменателю марки крестовины. Из
точки А по угольнику провешивают линию АБ, перпендикулярно к ЦА, и на ней
отмеряют длину АБ, меньшую ЦА во столько раз, сколько единиц содержится в
знаменателе марки крестовины. От центра перевода Ц к оси прямого пути отмеряют
длины: a0 - до начала
остряков (точка О), b0
- до точки А1. Из точки А1 восстанавливают перпендикуляр
к оси прямого пути, на котором в сторону бокового пути отмеряют отрезок А1С
= 0,5 S (здесь S
- ширина колеи в крестовине, мм). Полученная точка С является математическим
центром крестовины. От точки О отмеряют длины: m1
- до оси стыков рамных рельсов и l
- до корня остряков, а от точки С: p
- до оси хвостового (заднего) стыка крестовины и h
- до оси переднего стыка крестовины.
Указанные точки закрепляют на местности при
помощи колышков с гвоздиками или металлических штырей, а также отмечают их
места масляной краской на шейке рельса существующего пути. Во избежание
нарушения выполненной разбивки в процессе укладочных работ основные точки
дополнительно закрепляют установкой выносных колышков. Разбивка переводной
кривой при укладке стрелочного перевода производится по ординатам, взятым из
схемы разбивки перевода. Порядок разбивки обыкновенного стрелочного перевода.
Так как положение стрелочного перевода задано
ориентировочно, располагаем его так, чтобы начало рамных рельсов совпало со
стыками путевых рельсов, во избежание излишних рубок.
Изменение положения стрелочного перевода при
этом не должно уменьшать полезную длину станционных путей.
1. От точки Ц (центра стрелочного перевода) по
оси прямого пути отмеряем отрезок ЦА, кратный знаменателю марки крестовины. Из
точки А провешиваем линию АБ, перпендикулярно ЦА, и на ней отмеряем длину АБ,
меньшую ЦА во столько раз, сколько единиц содержится в знаменателе марки
крестовины. Провешиваем линию ЦБ, которая является осью бокового пути.
2. От центра перевода Ц оси прямого пути
отмеряют длины:
- a0
до начала остряков ( точка О ),
b0
до точки А1.
. Из точки А1 восстанавливаем
перпендикуляр к оси прямого пути, на котором в сторону бокового пути отмеряют
отрезок А1С = 0,5 S.
Величина S - это ширина колеи
в крестовине, равная 1520 мм.
Таким образом, расстояние А1С = 1520
* 0,5 = 760 мм. Полученная точка С является математическим центром крестовины.
. От точки О отмеряем длины m1
- до оси стыков рамных рельсов и l
- до корня остряков.
Расстояние m1
вычисляется как разность между расстоянием от начала остряков до центра
перевода и расстоянием от переднего стыка рамного рельса до центра перевода:
1
= a - a0
7. От точки С отмеряем длины p
- до оси хвостового ( заднего ) стыка крестовины и h
= 2, 825 м до оси переднего стыка крестовины, где
= b
- b0
Указанные точки закрепляют на местности при
помощи колышков с гвоздиками или металлических штырей, а также отмечают их
места масляной краской на шейке рельса существующего пути.
Во избежание нарушения выполненной разбивки в
процессе укладочных работ, основные точки дополнительно закрепляют установкой
выносных колышков. Разбивка переводной кривой при укладке стрелочного перевода
производится по ординатам, взятым из схемы разбивки перевода.
Схема разбивки стрелочного перевода Р65 марки
1/9
3. Вычертить в масштабе 1:100 схему
стрелочного перевода
|
Вид
перевода
|
Тип
перевода
|
Марка
крестовины
|
Конструкция
крестовины
|
|
обыкновенный
|
Р65
с подуклонкой
|
1/11
|
цельнолитая
|
Указать на схеме основные геометрические
размеры, а также нормы содержания по шаблону и уровню.
Определить расстояние от центра перевода до
математического центра крестовины и до предельного столбика.
Решение:
Согласно ВСН94-77:
|
Тип
рельсов
|
Марка
крестовины, tgα
|
Угол
крестовины, α
|
Радиус
переводной кривой( по наружной рельсовой нити) Rн м
|
Расстояние,
м
|
Прямая
вставка перед крестовиной, h, м
|
Полная
длина перевода, lП, м
|
|
|
|
|
От
предельного стыка рамных рельсов до начала остряков, m
|
От
начала остряков до центра перевода, а0
|
От
математического центра крестовины до ее заднего стыка, q1
|
|
|
|
Ширина
колеи S0
= 1520
мм
|
|
Р65
|
1/11
|
5011’40”
|
300.00
|
2.77
|
11.29
|
16.75
|
2,55
|
3.28
|
33,37
|
|
Р65
|
1/11*
|
5011’40”
|
300.00
|
2.77
|
11.29
|
16.75
|
3.67
|
3.28
|
34.49
|
/11 - обыкновенный стрелочный перевод
/11* - обыкновенный стрелочный перевод с
подуклонкой.
Чертёж прилагается.
расстояние от центра перевода до математического
центра крестовины b0
= 16,75 м
расстояние от центра перевода до предельного
столбика а = 14,06 м