Геодезические работы для кадастра
Введение
Среди природных богатств особое значение имеет
земля как всеобщее средство производства и пространственный базис для всех сфер
человеческой деятельности и главное средство производства в сельском хозяйстве.
Российская Федерация располагает огромными земельными ресурсами, площадь
которых, по данным Государственного земельного кадастра, составляет 1709,8 млн.
гектаров.
Коренные изменения в земельной политике страны
привели к необходимости учета и систематизации сведений о земельных участках, а
также оперативного получения достоверной и объективной информации об объектах
учета, их местоположении и обеспечение этой информацией заинтересованных
юридических и физических лиц. И как следствие этого создается и ведется
земельный кадастр в городах для которых остро необходим:
· количественный
учет земель;
· учет
земель по качественным показателям;
· обработка
данных по земельным участкам;
· формирование
базы данных с которой можно легко и быстро работать;
· экономическая
оценка земель;
· отрегулированная
систем налогообложения
· комплексная
информация о городской территории.
Для каждого участка собственности, помимо многих
других сведений, необходима информация, содержащая местоположение граничных
точек участка и его площадь. Получение указанных параметров невозможно без
проведения соответствующих измерений, как непосредственно на местности, так на
топографических планах (картах).
Определение границ землепользователей является
одним из основных видов полевых геодезических работ, выполняемых для целей
земельного кадастра. Очевидно, что от требований к точности определения углов
поворота границ зависит и технология выполнения работ. Однако на сегодняшний
день нет однозначного решения этого важного вопроса, особенно для городских
земель. Но одно дело определение границ участков для составления базовых
кадастровых карт и планов, другое - для составления кадастровых документов,
выдаваемых землепользователям при различных операциях с землёй и недвижимостью.
Решение вопроса о точности определения границ
зависит от решения другого не менее важного фактора, - с какой точностью
необходимо определять площади земельных участков. По этому вопросу существуют
различные мнения и требования. Так, в Москве, в связи с высокой нормативной
ценой земли, особенно в центральной части города, считается, что площади
участков необходимо определять со средней квадратической ошибкой 1 кв.м на 1
га, т.е. с относительной ошибкой 1/10 000. Ho,
во-первых, как это требование соотнести с площадями участков различных
размеров, существующих на городской территории, во-вторых как оно учитывает
рыночную ценность участков и другие многочисленные факторы, влияющие на
стоимость земли? А так же какова сложность и стоимость геодезических работ для
реализации столь высоких требований? Оба затронутых вопроса нуждаются в
обоснованных решениях как с технической, так с экономической позиции. Попытке,
ответить на эти вопросы и посвящена настоящая дипломная работа.
1. Геодезические работы для кадастра. Общие
сведения
1.1 Понятие о городском кадастре
Земля - это важнейшая часть окружающей природной
среды, характеризующаяся пространством, рельефом, климатом, почвами,
растительностью, недрами, видами, являющаяся местом расселения, главным
средством производства в сельском и лесном хозяйстве, а также пространственным
базисом для размещения объектов материальной культуры, включая предприятия и
организации всех отраслей хозяйства.
На каждом историческом этапе развития
человеческого общества земля является материальной основой земельных отношений
и главным объектом хозяйствования, поскольку эти характеристики земля стала
приобретать по мере своего использования. На этой основе возникли проблемы
разграничения, раздела, перераспределения земельных участков, упорядочения
хозяйственного использования и охраны земель. Таким образом, начался процесс
приспособления тех или иных земельных угодий к различным видам деятельности.
Развитие рыночных отношений в нашей стране
способствует росту политической, экономической и социальной значимости
земельных отношений. Являясь одновременно и пространственным базисом для
общественно-производственной деятельности, и объектом недвижимости с правовыми
отношениями, земля - это один из основных ресурсов развития и функционирования
города.
Полная и достоверная информация о земельных
ресурсах, объектах недвижимости, правовых земельных отношениях и другие данные
позволяют органам исполнительной власти принимать взвешенные решения по
развитию городских территорий и социально направленным программам.
Системой, позволяющей осуществлять сбор,
обработку, хранение и предоставление правовой информации о земельных ресурсах
точек зрения в интересах рационального землепользования, является система
государственного земельного кадастра.
Государственный кадастр недвижимости является
систематизированным сводом сведений об учтенном в соответствии с настоящим
Федеральным законом недвижимом имуществе, а также сведений о прохождении
Государственной границы Российской Федерации, о границах между субъектами
Российской Федерации, границах населенных пунктов, о территориальных зонах и
зонах с особыми условиями использования территорий, иных предусмотренных
настоящим федеральным законом сведений. Государственный кадастр недвижимости
является федеральным государственным информационным ресурсом.
Базовой единицей в кадастре является участок.
Участок ограничивается площадью с определенным видом использования земли, либо
площадью, которая находится в руках одного или нескольких лиц. Владение может
состоять из нескольких участков.
В кадастре о каждом участке записана информация
о его местоположении, площади, стоимости, наличие объектов недвижимости (дома,
строения, коммуникации, дороги и т.п.), экологической среде, кому этот участок
принадлежит или сдан в аренду и другие сведения природного, общественного и
юридического характера.
Информация, содержащаяся в кадастре,
используется при проведение государственной земельной политики в таких
вопросах, как, например, перераспределение земель, их объединение, отвод и
продажа, поддержание земельного рынка и.т.п.. Кадастр в настоящее время оно
наиболее полно разработано и является связующей частью основой для всего
городского кадастра. Список сведений, включаемых в кадастр земель, приведён в
приложение А.
Отличается городской кадастр и повышенными
требованиями к планово - картографическому материалу в отношении масштаба,
точности, детальности и полноты отображения кадастровых данных. Наличие
большого количества территориальных единиц с высокой «ценой» и полностью
застройки обусловливает повышенные требования к точности и деятельности
отображения городских земельных участков на кадастровых планах.
Кадастровая информация может быть представлена в
виде книги, картотеки или автоматизированной (компьютерной) базы данных.
В Российской Федерации ведение кадастра
законодательно поручено Государственной организации по земельным ресурсам и
землеустроительству и её подразделениям при местных органах государственной
власти.
.2 Состав геодезических работ для кадастра
Геодезические работы занимают в кадастре
значительное место. Их состав зависит от назначения кадастра и степени его
автоматизации. Однако в большинстве случаев работа ведется по следующей
схеме.[1]
. Подготовительные работы. В процессе
подготовительных работ собирают и анализируют следующие материалы:
проект землеустройства;
постановление административного округа об отводе
земельного участка;
договора о купле-продаже или аренде земельного
участка;
выписки из книги регистрации земельного участка;
чертеж границ - (приведен в Приложение Б) или
топографический план земельного участка;
схемы и списки координат пунктов государственной
или местной геодезических сетей;
сведения об использовании земель.
. Полевое обследование пунктов опорной
геодезической сети. Выполняют для проверки сохранности пунктов и выбора
наиболее выгодной технологии проведения геодезических работ.
. Составление технического проекта.
Геодезические работы выполняют по заранее составленному техническому проекту,
который включает в себя: текстовую часть, графические материалы и смету задач.
. Кадастровые съемки. В зависимости от назначения
кадастра производят в тех же масштабах, теми же способами с той же точностью
что и топографические. Базовым является масштаб 1:500, наиболее широко
используемым -1:2000, обзорно-справочным - 1:10000 и мельче.
На кадастровых картах и планах дополнительно
изображают: границы земельных участков, владений, сельскохозяйственных и других
земельных угодий; кадастровые номера и наименование земельных участков; дают
экспликацию (описание) категорий использования земель и других кадастровых
сведений. Кадастровые карты и планы могут не содержать информацию о рельефе
местности. Пример кадастрового плана приведен в Приложении В.
. Установление и согласование границ земельных
участков на местности. Границы земельных участков выносят на местность по
координатам характерных точек от пунктов геодезического обоснования и
закрепляют специальными межевыми знаками. В случае, когда границы каким-то
образом закреплены ранее, определяют координаты закрепленных точек.
Согласование местоположения границ проводится с
лицами, обладающими смежными земельными участками на праве:
.собственности
.пожизненного наследуемого владения;
.постоянного (бессрочного) пользования( за
исключением случаев , если такие смежные земельные участки предоставлены
государственным или муниципальным учреждениям, казенным предприятиям, органам
государственной власти или органа местного самоуправления в постоянное
(бессрочное) пользование);
. аренды (если такие смежные земельные участки
находятся в государственно муниципальной собственности и соответствующей договор
аренды заключен в срок более чем на пять лет).
.согласование местоположения границ проводится
по выбору заказчика кадастровых работ с уточнением границ земельных участков на
местности или без установления границ земельных участков на местности.
. Определение площадей земельных участков.
Площади земельных участков вычисляют в основном аналитическим методом по
координатам межевых знаков. В отдельных случаях используют картографические
материалы.[2]
. Составление чертежей границ земельных
участков.
.1 Межевой план представляет собой документ,
который составлен на основе кадастрового плана соответствующей территории и
кадастровой выписке о соответствующем земельном участке и, в котором
воспроизведены определенные внесенные государственные кадастровые недвижимости
сведения, и указаны сведения об образуемых земельным участке или земельных
участках, либо о части или частях земельного участка, либо новые необходимые
для внесения в государственный кадастр недвижимости сведения о земельном
участке или земельных участках. Пример Межевого плана приведен в Приложении Г.
.2 В межевом плане указываются сведения об
образуемых земельном участке или земельных участках в случае выполнения
кадастровых работ, в результате которых обеспечивается подготовка документов
для предоставления в орган кадастрового учета заявления о постановке на учет
земельного участка или земельных участков, сведения о части или частях
земельного участка в случае выполнения кадастровых работ, в результате которых
обеспечивается подготовка документов для представлении в орган кадастрового
учета заявления об учете части или частей земельного участка, новые необходимые
для внесения в государственный кадастр недвижимости сведения о земельном
участке или земельных участках в случае выполнения кадастровых работ, в
результате которых обеспечивается подготовка документов для предоставления в
орган кадастрового учета заявления об учете изменений земельного участка или
земельных участков.
.3 Если в соответствии со статьей 39 настоящего
Федерального закона местоположение границ земельных участков подлежит
обязательному согласованию, межевой план должен содержать сведения о проведении
такого согласования.
.4 Межевой план состоит из графической и
текстовой частей.
.5 В графической части межевого плана
воспроизводятся сведения кадастрового плана соответствующей территории или
кадастровой выписки о соответствующем земельном участке, а также указываются
местоположение границ образуемых земельного участка или земельных участков,
либо границ части или частей земельного участка, либо уточняемых границ
земельных участков, доступ к образуемым земельным участкам (проход или проезд
от земельных участков общего пользования), в том числе путем установления
сервитута.
.6 В текстовой части межевого плана указываются
необходимые для внесения в государственный кадастр недвижимости сведения о
земельном участке или земельных участках в объеме, установленном органом
нормативно-правового регулирования в сфере кадастровых отношений.
. Контроль за проведением межевания земельных
участков.
Контроль за проведением межевания объектов
землеустройства проводится с целью установления его соответствия техническим
условиям и требованиям.
Объектами контроля за проведением межевания
земельных участков являются:
результаты полевых и камеральных работ;
материалы межевания земельных участков.
В процессе осуществления контроля осматривают в
натуре межевые знаки и выполняют контрольные измерения.
Контроль геодезических работ может быть
осуществлен путем сравнения горизонтального проложения линии между установленными
на местности межевыми знаками с её горизонтальным проложением, вычисленным по
значениям плоских прямоугольных координат этих же межевых знаков, выписанным из
соответствующего каталога. Абсолютное расхождение в длине контролируемой линии
не должно превышать допустимого значения.
Контроль может быть осуществлен также выборочно
независимым повторным определением положения установленных на местности межевых
знаков геодезическими методами с пунктов ОМС или проложением контрольных
полигонометрических ходов. По результатам контроля вычисляют плоские
прямоугольные координаты Х м, Y
м межевых знаков и разности
dХ =ХМ - ХК и dY
=YМ -
YК ,
[4]
где ХК и YК
-
плоские прямоугольные координаты этих же межевых знаков, выписанные из
соответствующего каталога. Абсолютное расхождение
f = √dХ2
+ dY2
в положении контролируемого межевого знака, не
должно превышать допустимых значений. Таблица 1.2.
Контролем за проведением межевания объектов
землеустройства являются:
. Ведение базы данных.
Для систематизации и управления кадастровой
информации создается и ведется база данных Единый государственный реестр
земель:
. Единый государственный реестр земель
представляет собой документ, который предназначен для проведения
государственного кадастрового учета земельных участков.
Единый государственный реестр земель содержит
сведения о существующих и прекративших существование земельных участках.
. В Едином государственном реестре земель
содержатся следующие
кадастровые номера;
местоположение (адрес);
площадь;
категория земель и разрешенное использование
земельных участков;
описание границ земельных участков, их отдельных
частей;
зарегистрированные в установленном порядке
вещные права и ограничения (обременения);
экономические характеристики, в том числе
размеры платы за землю;
качественные характеристики, в том числе
показатели состояния плодородия земель для отдельных категорий земель;
наличие объектов недвижимого имущества, прочно
связанных с земельными участками.
. Моментом возникновения или моментом
прекращения существования земельного участка как объекта государственного
кадастрового учета в соответствующих границах является дата внесения
соответствующей записи в Единый государственный реестр земель.
Основной задачей геодезических работ при
межевании земельного участка является подготовка земельно-кадастровых данных,
необходимых для составления документов, удостоверяющих права граждан и
юридических лиц на земельные участки и недвижимое имущество. В соответствии с
действующими «Требованиями к оформлению документов о межевании, предъявляемых
для постановки земельных участков на учет».
1.3
Анализ нормативных документов
Местоположение границ земельного участка
устанавливается посредством определения координат характерных точек таких
границ, то есть точек изменения описания границ земельного участка и деления их
на части.
Местоположение отдельных частей границ
земельного участка также может устанавливаться в порядке, определенном органом
нормативно-правового регулирования в сфере кадастровых отношений, посредством
указания на природные объекты и (или) объекты искусственного происхождения, в
том числе линейные объекты, если сведения о таких объектах содержатся в
государственном кадастре недвижимости и местоположение указанных отдельных
частей границ земельного участка совпадает с местоположением внешних границ
таких объектов. Порядок установления характерных точек границ земельного
участка, порядок определения их координат, а также требования к точности
определения таких координат устанавливаются органом нормативно-правового
регулирования в сфере кадастровых отношений. Проведение работ по межеванию
земельных участков регулируют Земельный кодекс РФ, Федеральный закон от
18.06.2001 № 78-ФЗ «О землеустройстве» (далее - Закон о землеустройстве), Положение
о проведении территориального землеустройства, утвержденное Постановлением
Правительства РФ от 07.06.2002 № 396, Методические рекомендации по проведению
межевания объектов землеустройства, утвержденные Росземкадастром 17.02.2003,
Инструкция по межеванию земель, утвержденная Комитетом РФ по земельным ресурсам
и землеустройству 08.04.96 и признанная Минюстом России 28.06.96 не нуждающейся
в госрегистрации (письмо от 28.06.96 № 07-02-516-96) (далее - Инструкция по
межеванию земель)
При межевании опорная межевая сеть, как правило,
сгущается пунктами межевой съемочной сети, от которых и определяют положение
межевых знаков. Заметим, что пунктами межевой съемочной сети могут являться и
межевые знаки.[2]
В таблице (1.1) из Инструкции по межеванию
земель от 8 апреля 1996г. представлены данные о необходимой точности
определения координат межевых знаков.
Таблица 1.1 Данные о необходимой точности
определения координат межевых знаков.
|
Градация
земель
|
Средняя
квадратическая Погрешность взаимного положения пунктов ОМС (ОМЗ) не более
(мм)
|
Средняя
квадратическая погрешность положения межевых знаков относительно пунктов ГГС,
ОМС (ОМЗ) не более (мм)
|
Плотность
(густота) пунктов ГГС и ОМС (ОМЗ)
|
Рекомендуемые
масштабы Базовых кадастровых карт и планов
|
|
1.
Земли городов и поселков 2. Земли сельских населенных пунктов; земли
пригородной зоны: в т.ч. земли, предоставленные для ведения личного
подсобного хозяйства, садоводства и индивидуального жилищного строительства и
другие земли 3. Земли сельскохозяйственного назначения: земли особоохраняемых
территорий и другие земли 4. Земли лесного фонда, земли водного фонда, земли
запаса и другие земли
|
0,05
0, 05 0,05 0,05
|
0,1
0,1 0,1 0,1
|
Не
менее 4 на 1 кв. км. Не менее 4 на населенна пункт, дачный поселок,
садоводческое товарищество Узловые точки 3-х и более землевладений и
землепользований то же
|
1:1000
1:2000 1:2000 1:5000 1:10000 1:25000 1:25000 1:50000
|
В этой таблицы точность местоположения пунктов
характеризуется средней квадратической погрешностью положения межевого знака
относительно ближайших пунктов геодезической основы, определяется величиной 0,1
мм.
В таблице (1.2) «Нормативная точность межевания
объектов землеустройства» из методических рекомендаций по проведению межевания
объектов землеустройства приведена средняя квадратическая ошибка Mt
положения
межевого знака относительно ближайшего пункта исходной геодезической основы она
приведена в интервале от 0.1 до 5.0 м исходя из категории земель и вида
разрешенного использования земельного участка.
Таблица 1.2 Нормативная точность межевания
объектов землеустройства.
|
№
|
Градация
земель
|
Средняя
квадратическая ошибка Mt
положения межевого знака относительно ближайшего пункта исходной
геодезической основы не более, м
|
Средняя
квадратическа погрешность Мз положения межевого знака относительно ближайшего
пункта МСС не более, м
|
Допустимые
расхождения при контроле межевания, м
|
|
|
|
|
DSДОП
|
f ДОП
|
|
1
|
Земли
поселений (города)
|
0,10
|
0,03
|
0,2
|
0,3
|
|
2
|
Земли
поселений (поселки, сельские населённые пункты); земли, предоставленные для
ведения личного подсобного хозяйства, садоводства, огородничества, дачного и
индивидуального жилищного строительства
|
0,20
|
0,07
|
0,4
|
0,6
|
|
3
|
Земли
промышленности и иного специального назначения
|
0,50
|
0,15
|
1,0
|
1,5
|
|
4
|
Земли
сельскохозяйственного назначения (кроме земель, указанных в п.2), земли особо
охраняемых территорий и объектов
|
2,50
|
0,80
|
5,0
|
7,5
|
|
5
|
Земли
лесного фонда, земли водного фонда, земли запаса
|
5,00
|
1,50
|
10,0
|
15,0
|
Анализируя нормативные документы, можно придти к
выводу, что в современных условиях имеют место некоторые ограничения, в части
точности определения границ земельных участков. Но не в одном из приведенных
нормативных документов требование к точности определения границ участков не
соотносится с площадями участков различных размеров существующих на городской
территории.
При выполнении геодезических работ для целей
земельного кадастра исходным нормативным документом, регламентирующим
требования к точности определения или вынесения в натуру границ земельного
участков, является «Инструкция по межеванию земель» от 1996г. В ней для
городской территории средняя квадратическая погрешность положения межевого
знака относительно исходной геодезической основы, определяется величиной 0,1
мм, на кадастровых картах и планах. Здесь просматривается аналог «Инструкции по
топографической съемке» в отношении ошибки в положении съемочной точки. Но одно
дело определении границ участков для составления базовых кадастровых карт и
планов, другое дело - для определения площадей участков при составлении кадастровых
документов, выдаваемых при землепользователям при операциях с землей и
недвижимостью. В «Методических указаниях по выполнению геодезических работ при
межевании земельных участков» и в «Методических рекомендациях по проведению
межевания объектов землеустройств» вышеназванное требование определено
величиной 0,10 м. Но, ни в одном из приведенных нормативных документов
требование к точности определения границ участков не соотносится с площадями
участков различных размеров, существующих на городских территориях. Кроме того,
никаким образом не учтена рыночная стоимости участков и другие многочисленные
факторы, влияющие на стоимость земли.
2. Технология и способы определения границ,
площадей земельных участков
.1 Определение границ и площадей земельных участков
Установление и закрепление границ выполняют при
получении гражданами и юридическими лицами новых земельных участков, при
купле-продаже, обмене, дарении всего или части земельного участка, а также по
просьбе граждан и юридических лиц, если документы, удостоверяющие их права на
земельный участок, были выданы без установления и закрепления границ на
местности.
Восстановление границ земельного участка
выполняют при наличии межевых споров, а также по просьбе граждан и юридических
лиц в случае полной или частичной утраты на местности межевых знаков и других
признаков границ принадлежащих их земельных участков.
Положение граничных точек (межевых знаков)
определяют как в общегосударственных, так и в местных (условных) системах
координат.
Геодезической основой служат:
пункты государственных геодезических сетей (ГГС)
геодезических сетей сгущения (ГСС)
опорные межевые знаки (ОМС)
Пункты ОМС служат для закрепления на местности
выбранной (условной) системы координат и обеспечения возможного оперативного
восстановления утраченных межевых знаков.
При определении положения границ земельных
участков положение характерных (например, поворотных) точек границ используются
различные методы.
Одним из наиболее часто употребляемых методов
является метод обхода, т.е. проложения по граничным точкам полигонометрических
ходов.
Возможные геометрические схемы построения ходов
показаны на рис.2.1и 2.2
Рис. 2.1 Схемы ходов и полигонов
Рис. 2.2 Схемы висячих ходов
При определении границ точек участков
используются традиционные способы, например прямые угловые засечки, а также и
обратно угловые засечки.
Имеют место и нетрадиционные решения. Укажем,
прежде всего, на определение положения путем решения так называемой задачи
Ганзена и пространственную засечку.
При определении положения по двум данным пунктам
и вспомогательной точке (задача Ганзена) имеет четыре угла на двух определяемых
точках C и D.(рис.2.8)
При использовании для определения положений
граничной точки методом пространственной засечки, координаты исходных пунктов
задаются в прямоугольной системе координат. В процессе работ измеряют
расстояние k1, k2,
k3 от определяемого
пункта до исходных:
Рис. 2.3 Прямая угловая засечка Рис. 2.4
Модификация засечки
Рис. 2.5 Сдвоенная засечка Рис. 2.6 Линейная
засечка
Рис. 2.7 Обратная угловая засечка Рис. 2.8
Задача Ганзена
Рис. 2.9 Линейная пространственная Рис. 3.0
Лучевой метод
Составление различного рода проектов, связанных
с использованием земельной территории, изучения ее природных богатств, учет и
инвентаризация земель требуют определения площадей.
В одних случаях достаточно ограничиться общими
сведениями о площадях участков и массивов, в других - необходимы более точные
определения площадей и погрешность даже в несколько десятых долей процента
считается недопустимой. Поэтому наряду с площадью требуется знать и точность её
определения.
Определение площадей земельных участков является
одним из важнейших видов геодезических работ для целей земельного кадастра.
В зависимости от хозяйственной значимости
земельных участков, наличия планово-топографического материала, топографических
условий местности и требуемой точности применяют следующие способы определения
площадей:
аналитический - площадь вычисляется по
результатам измерений линий на местности, результатам измерений линий и углов
на местности или по их функциям (координатам вершин фигур);
графический - площадь вычисляется по результатам
измерений линий или координат на плане (карте);
механический - площадь определяется по плану с
помощью специальных приборов (планиметров) или приспособлений (палеток). Иногда
эти способы применяют комбинированно, например, часть линейных величин для
вычисления площади определяют по плану, а часть берут из результатов измерений
на местности.
При аналитическом способе определения площадей
применяются формулы геометрии, тригонометрии и аналитической геометрии. При
определении площадей небольших участков (для учета площадей, занятых
строениями, усадьбами, площадей вспашки, посева) они разбиваются на простейшие
геометрические фигуры, преимущественно треугольники, прямоугольники, реже
трапеции. В этом случае площади участков определяются как суммы площадей
отдельных фигур, вычисляемых по линейным элементам - высотам и основаниям.
Рис. 2.11. Геометрические фигуры для определения
площадей участков а- треугольник; б - четырехугольник
Если по границам участка выполнены геодезические
измерения, то площадь всего участка или его части можно вычислить по формулам,
приведенным применительно к следующим фигурам участков:
треугольник (рис. 2.11, а). Площадь треугольника
определяется по сторонам l1,
и l2,
углу в2, заключенному между ними, по формуле
P=Ѕ( l1
l2sin
в2); (2.1)
четырехугольник (рис. 2.11, б). В зависимости от
элементов, известных в четырехугольнике, могут быть использованы различные
формулы для расчета, в связи, с чем приведем пример, характеризующий это
многообразие. Пусть в четырехугольнике измерены все стороны и один угол при вершине
2. В таком случае площадь треугольника 1-2-3 может быть вычислена по формуле
(2.1). При этом полезно вычислить длину l1-3,
используя теорему косинусов:
l1-3=
√ l12+
l22
- 2 l1
l2cos
в2.
Площадь треугольника 1-3- 4 может быть вычислена
по формуле
P = √S(S- l3) (S- l4)
(S- l1-3),
где S=Ѕ(
l3+l4+
l1-3)
- полупериметр.
Общая площадь четырехугольника
Р = Ѕ( l1
l2sin в2)+
√S(S- l3) (S- l4) (S- l1-3).
При наличии координат вершин полигона площади
треугольника и четырехугольника удобно вычислять соответственно по следующим
формулам:
Р = Ѕ [(X1-
X2)(Y2
- Y 3)-(
Y1-
Y2)(X2
- Х3)];
Р = Ѕ [(X1-
X3)(
Y2
- Y 4)
- (Y1-
Y3)
(X2
- Х4)].
Если полигон имеет более четырех углов, то
площадь его быстрее и с хорошим контролем можно получить по координатам ∆Xi
и ∆Yi
его вершин или по приращениям координат ∆Xi
и ∆Yi
после увязки полигона, например по следующим формулам:
Координаты вершин полигона для определения
площади участка, как в государственной, так и в местной системах могут быть
получены любым из известных геодезических способов: триангуляционными или
линейно-угловыми построениями; проложением полигонометрических или теодолитных
ходов; угловыми, линейными и полярными засечками; спутниковыми приемниками для
определения местоположения и т.д.
При Графическом способе вычисление площадей
состоит в том, что участки, изображённые на плане, разбивают на простейшие
геометрические фигуры - преимущественно на треугольники, реже на трапеции и
прямоугольники. В каждой фигуре на плане измеряют высоту и основание, по
которым вычисляют площадь. Сумма площадей фигур даёт площадь участка.
Чем больше углов имеет граница участка, тем
меньше эффективность этого способа. Следовательно, для вычисления площадей
участков, имеющих большое количество углов, целесообразнее вычислять площадь по
графическим координатам точек, т.е. координатам, измеренным на плане при помощи
измерителя или координатографа, координатомера и др.
Наилучшим вариантом разбивки участка на
треугольники будет тот, при котором треугольники близки к равносторонним
(вернее, высоты по величине близки к основаниям).
Если высоты или основания, по которым вычисляют
площади фигур, представляют линии, измеренные на местности, например, стороны
теодолитного полигона, то для повышения точности определения площадей длины
этих линий по плану не измеряют, а принимают величины, полученные измерением на
местности. Точность вычисления площади неравностороннего треугольника будет
выше в том случае, если короткое основание (или высота) измерено на местности,
а длинная (или основание) определена по плану.
Для контроля и повышения точности вычисления
площадь каждого треугольника определяют дважды: по двум различным основаниям и
двум высотам, и если расхождение допустимо, то из двух значений площади
вычисляют среднее. Допустимость расхождения между двумя значениями площади определяют
по формуле[5]
∆Р(га)= 0,04 (M/10000)√P(гa),
(2.2)
в котором М-знаменатель численного масштаба
плана.
Для обеспечения контроля вычислений и повышения
точности при выборе высот и оснований не следует стремиться к тому, чтобы в
смежных треугольниках они повторялись, так как это ведёт к зависимости
результатов вычислений и могут оказаться незамеченными грубые ошибки.
При разбивке участка на простейшие фигуры можно
принять много вариантов, однако точность вычисления площади участка при
различных вариантах не будет одинаковой.
Погрешность вычисления площади каждого
треугольника по высоте и основанию можно рассчитать по формуле :
(mP/P)2=(ma/a)2+(mh/h)2
Эта формула справедлива также и для
прямоугольника, параллелограмма и трапеции, площади которых вычисляют по двум
величинам, измеренным по плану.
Погрешности измерения линий по плану можно
считать одинаковыми, независимо от длины линии, т.е. ma
=mh
=m.
Так как для треугольника ah=2P,a
для остальных фигур al
hl=P,
то согласно
(mp/P)=(m/ad)
√a2+ h2,
для треугольника
mP∆=(m/2)√
a2+ h2,
а для прямоугольника, параллелограмма и трапеции
mP=m√al2+
hl2.
Если a=h,
то для треугольника
mP∆= m√Р.
(2.3)
Для прямоугольника и параллелограмма (при al
=hl), а также трапеции
при равенстве средней линии и высоты
mP = m√2P.
таким образом, площадь треугольника графическим
способом вычисляется точнее, чем площади других фигур, и, следовательно,
площадь при разбивке участка на треугольники вычисляется точнее, чем при
разбивке на прямоугольники, трапеции и др.
Это же выражение получится , если число
треугольников будет n1, n2,
и т.д.
Так как погрешность измерения расстояния по
плану m=0.008 см, то
учитывая, что при разбивке фигуры на треугольники не всегда удаётся получить
треугольники с равными основаниями и высотами, погрешность площади участка
можно вычислить по формуле
mp(см)=0,01√P(cm2),
или для планов разных масштабов,
mp(га)=0,01(М/10
000)√P(ra), (2.4)
где М - знаменатель численного масштаба плана.
Площадь каждого треугольника контролируют,
вычисляя её дважды по независимым высотам и основаниям, и из двух результатов
находят среднее арифметическое. Тогда погрешность площади будет в два раза
меньше, чем это даёт формула (2.4)
Для повышения точности определения площади
участка при вычислении площадей треугольников полезно основания брать из
результатов измерений на местности (горизонтальные проложения), если эти
измерения производились.
При определении площадей по плану графическим
или механическим способом (с помощью планиметра и палеток) необходимо учитывать
деформацию бумаги (плана). Величина деформации может характеризоваться
коэффициентом q, определяемых в
двух взаимно перпендикулярных направлениях, по формуле :
q= (L0-L)/ L0, (2.5)
где L0 - теоретическая длина линии, значащаяся
на плане (например, длина стороны квадрата координатной сетки); L-
результат измерений этой линии по плану.
В настоящее время механические планиметры
заменили электронные (цифровые). Представляют интерес цифровые планиметры,
выпускаемые фирмой «Торcon».
которая предлагает несколько моделей цифровых планиметров, позволяющих
проводить измерения площадей по картам или другим материалам с точностью
±0,02%.
Наиболее точным, но требующим больших
материальных затрат на производство полевых измерений - является аналитический
способ, так как на точность вычисленной площади этим способом влияют только
погрешность измерений на местности и следовательно, точность его не зависит от
точности плана.
Менее точен графический способ, потому что
помимо погрешностей измерений на местности на точность вычисленной площади
влияют погрешности составления плана и определения площади по плану
Наименее точным, но наиболее распространенным,
является механический способ, так как пользуясь им, можно быстро и просто определить площадь участка любой формы.
2.2 Точность определения границ и площадей
земельных участков
В Москве в связи с высокой нормативной ценой
земли, особенно в центральной части города, считается, что площади участков
необходимо определять со средней квадратической ошибкой 1 кв.м. на 1 га, т.е.
относительной ошибкой 1/10000. Но, во-первых, как это соотнести с площадями
участков различных размеров существующих на городских территориях? Во-вторых,
как оно учитывает ценность участков, и другие многочисленные факторы, влияющие
на стоимость земли? И, наконец, какова сложность геодезических работ для
определения площадей участков.
Представляется, что оба затронутых вопроса
нуждаются в обоснованных решениях, как с технической, так и с экономической
позиций. И только после этого можно предъявить требования к геодезической
основе.
Рассчитаем, как может влиять точность
определения координат граничных точек земельного участка, на точность
определения его площади. В городских условиях координаты граничных (межевых)
точек участка определяют в основном аналитическим способом.
Составим таблицу 2.1 зависимости точности
определения площади от СКО ошибок координат граничных точек. При этом, для
каждого участка площадью Р значения ошибок координат примем равным 1,2,5, и 10
см.
Таблица 2.1 Зависимости
точности определения площади от СКО ошибок координат граничных точек.
|
Р
Площадь, кв м
|
Размеры,
м
|
Ошибка
координат граничных пунктов, см
|
Ошибка
определения площади, м
|
%
|
|
600
|
15х40
|
1
2 5 10
|
0,3
0,6 1,51 3,03
|
0,05
0,1 0,25 0,5
|
|
625
|
25х25
|
1
2 5 10
|
0,25
0,5 1,25 2,5
|
0,04
0,08 0,2 0,4
|
|
800
|
25х32
|
1
2 5 10
|
0,29
0,58 1,44 2,88
|
0,04
0,07 0,2 0,4
|
|
1000
|
23х43
|
1
2 5 10
|
0,34
0,69 1,7 3,4
|
0,03
0,07 0,17 0,34
|
|
2500
|
32х78
|
1
2 5 10
|
0,6
1,2 3,0 6,0
|
0,02
0,05 0,1 0,2
|
|
10000
|
100х100
|
1
2 5 10
|
1,8
3,6 9 18
|
0,02
0,04 0,09 0,2
|
Из приведённых выше таблиц следует, что для
городских земельных участков площадью до1 га, определяя координаты точек с
ошибкой 2 см, площади участков до 0.09 га будут определятся с ошибкой 1 кв.м. а
от 0.09 до 1 га - с ошибкой порядка 2 кв.м.
3. Методика геодезических работ
Методика будет рассмотрена на примере
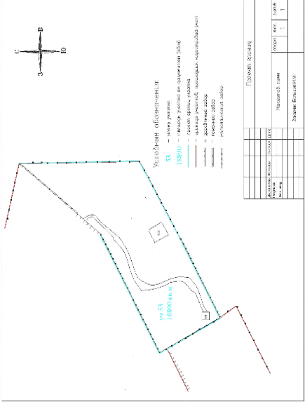
геодезических работ, проводимых на земельном участке, расположенном по адресу:
Московская область, Орехово-Зуевский район, деревня Демихово.
Инженерно-геодезические изыскания проводились в связи с купле-продажей участка.
Участок работ расположен в 10 км от
автомагистрали Москва-Нижний Новгород и в 88 км от г.Москвы. Общая площадь
съемки составляет 18890м2. Рельеф участка равнинный, местность в
районе частично заболочена, с западной и восточной стороны границей объекта
являются участки садового типа.
Для выполнения работ на данном участке
планово-высотное обоснование создано в виде тахеометрического хода с
использованием электронного тахеометра Sokkia SET
30RK3. Схема
геодезических построений представлена на рис. 3.1
Измерение углов на пунктах хода выполняется
способом отдельного угла в два полуприема.
Схема геодезических построений
Рис. 3.1
3.1 Техническая характеристика тахеометра Sokkia
SET30RK3
Электронный тахеометр SET30RK3 с угловой
точностью 5" серии 30RK разработан для решения широкого круга задач в строительстве,
землеустройстве, топографии и при проведении изысканий. Этот прибор, с его
лазерным дальномером, исполненным по технологии REDtech II и способным
производить измерения на расстояние свыше 350 м, незаменим при съемках фасада и
измерениях на недоступные цели, а видимый лазерный луч малого диаметра
позволяет легко выполнять измерения сквозь препятствия.
Сделает работу с тахеометром SET30RK3 еще более
эффективной встроенная подсветка сетки нитей и клавиатуры (например, для работы
в сумерках), а также удобное переключение режима съемки ("без
отражателя"/"призма"/"пленка"), которое делается
нажатием одной кнопки. Ввод информации упрощается с использованием полной
буквенно-цифровой клавиатуры, а возможность настройки раскладки клавиатуры
позволяет присвоить нужное значение любой программной клавише.
Встроенное программное обеспечение тахеометра
SET30RK3 делает возможным вынос в натуру координат, линий и дуг, производить
обратную засечку, уравнивать теодолитный ход, определять высоту недоступного
объекта, определять угол методом повторений, определять недоступное расстояние,
выполнять проецирование точки на линию, вычислять площади, пересечения и многое
другое.
Высокая защита от пыли и воды (IP66) позволяет
применять тахеометр поистине в экстремальных условиях - от проливного дождя и
до пылевой бури.
Технические характеристики:
• Точность измерения углов (СКО измерения
угла одним приемом) - 5";
• Увеличение - 30 крат;
• Компенсатор/диапазон - двухосевой, ±
3";
• Дальность измерения расстояний без отражателя
- > 350 м (минимальное 0,3 м);
• Дальность измерения расстояний на одну
призму - 5000 м;
• Точность измерения расстояний без
отражателя - ± (3 + 2 х 10-6 х D) мм;
• Точность измерения расстояний на призму -
± (2 + 2 х 10-6 х D) мм;
• Время измерения расстояний - 0,9 сек;
• Клавиатура - 27 клавиш (двухсторонняя);
• Дисплей - графическая точечная ЖК-матрица
(192 х 80 точек, антибликовое стекло);
• Влаго-, пылезащита - IP66;
• Внутренняя память - до 10 000 точек
(встроенная) + Compact Flash тип II (до 1 Гб);
• Подсветка - дисплей/сетка
нитей/клавиатура;
• Рабочая температура - от -20° до +50°;
• Время работы от одного аккумулятора - 7 ч;
• Время заряда одного аккумулятора - 2 ч
(емкость без эффекта памяти!);
• Вес - 5,4 кг;
• Гарантийный срок - 3 года;
• Производство - Япония;
• Совместимость со сторонним ПО - AutoCAD,
Credo.
Стандартный комплект: Электронный тахеометр
Sokkia SET 30RK3 на трегере, Li-Ion аккумулятор (Li-Ion аккумулятор) - 2 шт.,
Зарядное устройство, Юстировочные инструменты, Буссоль, руководство
пользователя на русском языке, Футляр, Плечевые ремни, Программа для обмена
данными с ПК.
3.2 Проложение тахеометрических
ходов
Тахеометрические хода
прокладываются согласно требованиям инструкции по топографической съемке в
масштабах 1:5000, 1:2000, 1:1000, 1:500.
Измерение углов на пунктах хода
выполняется одним полным приемом. Расхождения между значениями одного и того же
угла, полученного из двух полуприемов не должны превышать 45".
Линии измеряют тахеометром в
прямом и обратном направлениях в автоматическом режиме одновременно с угловыми
измерениями. Для тахеометрического хода 1 разряда расхождения измерений линий
не должны превышать величины 1/2000.
.3 Оценка точности построения
опорной сети
При проектировании
инженерно-геодезических сетей, исходя из назначения работ, вида и площади
объекта, необходимо решить следующие основные задачи:
выяснить исходные требования к
точности построения сети;
- определить количество
ступеней развития сети;
- выбрать для каждой ступени
вид построения сети;
назначить общие требования к
точности построения сети на каждой ступени;
найти требуемую точность
отдельных видов измерений на каждой ступени построения сети.
Применительно к построению
опорных геодезических сетей задача состоит в назначении или расчете ошибки
функции того или иного элемента сети. Поскольку опорные сети могут развиваться
в несколько этапов, то существуют понятия об исходной и поэтапной точностях.
Под исходной точностью понимают точность определения положения съемочной точки.
Поэтапная точность является функцией от исходной, ее долей, приходящейся на
каждый этап построения. При одностадийном построении исходная точность и
поэтапная совпадают.
В практике инженерно-геодезических работ
существуют различные пути решения задачи по определению исходной и поэтапной
точностей. Исходная точность может быть задана в техническом задании, в
нормативных документах или получена расчетным путем. При расчете точности
планового обоснования для съемочных работ в качестве исходной принимают среднюю
квадратическую ошибку планового положения съемочной точки. Рассчитаем ее по
формуле:
m
исх=0,2мм·М, (3.1)
где М - знаменатель масштаба съемки;
mисх=0,2мм·500=0,10
м
При расчете точности высотного обоснования для
съемочных работ в качестве исходной может быть принята ошибка в определении
отметки точки по горизонталям. Ее определяют по формуле:
mHисх=15h, (3.2)
где h
- высота сечения рельефа.
mНисх=15·12=0,1м.
Для определения поэтапной
точности наиболее распространенным является следующий путь. Опорная сеть
проектируется в 2 ступени. Общая (исходная) ошибка будет складываться из
суммарных случайных ошибок m1,
m2
построения для каждой ступени. Если ошибки слабо зависимы, то можно написать:
Mисх=m12+m22,
(3.3)
Исходя из практической
необходимости, для решения уравнения ставится условие, чтобы для каждой
последующей ступени построения сети ошибки предыдущей можно было считать
пренебрегаемо малыми. Это возможно, если ошибки каждой предыдущей ступени будут
в К раз меньше ошибок последующей, т. е.
m1=m2К,
(3.4)
Коэффициент К называют
коэффициентом обеспечения точности, показывающим, во сколько раз ошибка
исходных данных должна быть меньше ошибки измерений, чтобы первой можно было
пренебречь. Коэффициент К примем равным двум и одинаковым для всех ступеней
построения обоснования.
Подставляя выражения (3.3) в
формулу (3.4) и принимая К= 2,
получим:
mисх2=m12=4m12=5m12,
откуда:
m1=10√5=4,5
см; m2=9,0см
Полученные величины
представляют собой ошибки пунктов в самом слабом месте схемы построения сети
для каждой ступени по отношению к пунктам, на которые эта ступень опирается.
Например, можно считать, что m1
- это ошибка в середине теодолитного хода, опирающегося на пункты ходов
полигонометрии 1 разряда; m2
- ошибка в середине полигонометрического хода, опирающегося на пункты
полигонометрии соответствующего класса.
3.4 Обработка результатов
измерений
На участке работ проложен
тахеометрический ход. Обработка измерений производилась в программе CredoDAT.
Таблица 3.2 Параметры хода
|
Длина
хода
|
618,839м
|
|
fs
|
0,020м
|
|
Отн.
ошибка
|
1:31500
|
|
Количество
исходных точек
|
3
|
Таблица 3.3 Ведомость координат
|
N
|
Имя
пункта
|
X
|
Y
|
H
|
|
Планово-высотное
обоснование
|
|
1
|
1000
|
71816,107
|
71672,794
|
156,968
|
|
2
|
1001
|
71631,010
|
71360,072
|
157,615
|
|
3
|
999
|
71509,020
|
71223,209
|
155,385
|
|
4
|
1002
|
71695,713
|
71308,887
|
156,484
|
|
5
|
1003
|
71809,700
|
71308,978
|
155,394
|
|
6
|
1004
|
71916,387
|
71440,368
|
156,159
|
Таблица 3.4 Результаты обработки
|
Пункт
|
M
|
Mx
|
My
|
|
1002
|
0,020
|
0,016
|
0,012
|
|
1003
|
0,022
|
0,018
|
0,013
|
|
1004
|
0,020
|
0,010
|
0,018
|
Вывод: Самым слабо определяемым
пунктом хода является пункт 1003 Мх=0,018 м, Му=0,013 м, определим среднюю
квадратическую ошибку пункта Mp=√m2x+
m2y=√0,0182+0,0132=
0,022м .
Полученная величина m2=9cм
(m2
- ошибка в середине тахеометрического хода), можно считать, что
запроектированный ход обеспечивает заданную точность планового положения.
Таблица 3.5 Каталог координат и
высот пунктов планово-высотного обоснования
|
Пункт
|
X
|
Y
|
H
|
Дирекционный
угол
|
На
пункт
|
Сторона
|
|
Исходные
|
|
1000
|
71816,107
|
71672,794
|
176,968
|
239°22'44,90"
|
1001
|
363,395
|
|
|
|
|
293°20'15,75"
|
1004
|
253,136
|
|
1001
|
71631,010
|
71360,072
|
177,615
|
59°22'44,90"
|
1000
|
363,395
|
|
|
|
|
321°39'11,30"
|
1002
|
82,501
|
|
|
|
|
228°32'05,68"
|
999
|
137,608
|
|
Определяемые
|
|
1002
|
71695,713
|
71308,887
|
176,484
|
141°39'11,30"
|
1001
|
82,501
|
|
|
|
|
0°02'45,49"
|
1003
|
113,987
|
|
1003
|
71809,700
|
71308,978
|
175,394
|
180°02'45,49"
|
1002
|
113,987
|
|
|
|
|
50°55'25,57"
|
1004
|
169,249
|
|
1004
|
71916,387
|
71440,368
|
176,159
|
230°55'25,57"
|
1003
|
169,249
|
|
|
|
|
113°20'15,75"
|
1000
|
253,136
|
Таблица 3.6 Ведомость линий и превышений
|
Линия
|
Гор.
проложение
|
mL
|
Lср.
|
Превышение
|
mH
|
Hср.
|
|
1000
- 1004
|
>>
|
253,096
|
0,013
|
253,108
|
|
0,010
|
-0,800
|
|
<<
|
253,121
|
|
|
|
|
|
|
>>
|
|
|
|
-0,810
|
|
|
|
<<
|
|
|
|
-0,789
|
|
|
|
1000
- 1001
|
>>
|
363,364
|
0,005
|
363,359
|
|
0,015
|
0,653
|
|
<<
|
363,354
|
|
|
|
|
|
|
>>
|
|
|
|
0,638
|
|
|
|
<<
|
|
|
|
0,669
|
|
|
|
1001
- 1002
|
>>
|
82,501
|
0,018
|
82,519
|
|
0,011
|
-1,132
|
|
<<
|
82,537
|
|
|
|
|
|
|
>>
|
|
|
|
-1,144
|
|
|
|
<<
|
|
|
|
-1,121
|
|
|
|
1002
- 1003
|
>>
|
113,994
|
0,008
|
113,986
|
|
0,010
|
-1,092
|
|
<<
|
113,979
|
|
|
|
|
|
|
>>
|
|
|
|
-1,101
|
|
|
|
<<
|
|
|
|
-1,082
|
|
|
|
1003
- 1004
|
>>
|
169,225
|
0,000
|
169,225
|
|
0,005
|
0,760
|
|
<<
|
169,225
|
|
|
|
|
|
|
>>
|
|
|
|
0,765
|
|
|
|
<<
|
|
|
|
0,755
|
|
|
|
1001
- 999
|
>>
|
137,600
|
0,006
|
137,608
|
|
0,009
|
-2,230
|
|
<<
|
137,617
|
|
|
|
|
|
|
>>
|
|
|
|
-2,226
|
|
|
|
<<
|
|
|
|
-2,234
|
|
|
Таблица 3.7 Ведомость поправок
|
Станция
|
Цель
|
Измеренное
значение
|
Поправка
|
Уравненное
значение
|
|
Направление
|
|
1000
|
1001
|
0°00'00,00"
|
0°00'03,08"
|
0°00'03,08"
|
|
1004
|
53°57'37,01"
|
-0°00'03,08"
|
53°57'33,93"
|
|
1001
|
1000
|
0°00'00,00"
|
-0°00'04,72"
|
359°59'55,28"
|
|
1002
|
262°16'16,97"
|
0°00'04,72"
|
262°16'21,69"
|
|
1002
|
1001
|
0°00'00,00"
|
-0°00'04,10"
|
359°59'55,90"
|
|
1003
|
218°23'25,98"
|
0°00'04,10"
|
218°23'30,08"
|
|
1003
|
1002
|
0°00'00,00"
|
-0°00'03,04"
|
359°59'56,96"
|
|
1004
|
230°52'34,00"
|
0°00'03,04"
|
230°52'37,04"
|
|
1004
|
1003
|
0°00'00,00"
|
-0°00'02,08"
|
359°59'57,92"
|
|
1000
|
242°24'46,01"
|
0°00'02,08"
|
242°24'48,09"
|
|
Расстояние
|
|
1000
|
1001
|
363,364
|
0,031
|
363,395
|
|
1004
|
253,096
|
0,040
|
253,136
|
|
1001
|
1000
|
363,354
|
0,041
|
363,395
|
|
1002
|
82,501
|
-0,001
|
82,501
|
|
1002
|
1001
|
82,537
|
-0,036
|
82,501
|
|
1003
|
113,994
|
-0,007
|
113,987
|
|
1003
|
1002
|
113,979
|
0,009
|
113,987
|
|
1004
|
169,225
|
0,025
|
169,249
|
|
1004
|
1003
|
169,225
|
0,024
|
169,249
|
|
1000
|
253,121
|
0,015
|
253,136
|
|
Превышение
|
|
1000
|
1001
|
0,638
|
0,009
|
0,647
|
|
1004
|
-0,810
|
0,001
|
-0,809
|
|
1001
|
1000
|
-0,669
|
0,022
|
-0,647
|
|
1002
|
-1,144
|
0,012
|
-1,131
|
|
1002
|
1001
|
1,121
|
0,010
|
1,131
|
|
1003
|
-1,101
|
0,012
|
-1,090
|
|
1003
|
1002
|
1,082
|
0,008
|
1,090
|
|
1004
|
0,765
|
-0,001
|
0,765
|
|
1004
|
-0,755
|
-0,009
|
-0,765
|
|
1000
|
0,789
|
0,020
|
0,809
|
|
|
|
|
|
|
Таблица 3.8 Характеристика
теодолитного хода
|
Ход
|
Класс
|
Точки
ход
|
Длина
|
N
|
Fb
факт.
|
Fb
доп.
|
Fx
|
Fy
|
Fs
|
[S]/Fs
|
|
1
|
1-разряд
|
1001,
1002, ..., 1000
|
618,839
|
5
|
-0°00'34,06"
|
0°00'22,36"
|
0,016
|
-0,012
|
0,020
|
31500
|
Таблица 3.9 Ведомость теодолитного хода
|
Ход
|
Пункт
|
Измеренный
угол
|
Изм.
расстояние
|
Дирекционный
угол
|
Уравн.
расстояние
|
X
|
Y
|
|
1
|
1000
|
|
|
|
|
|
|
|
|
|
|
59°22'44,90"
|
|
|
|
|
1001
|
262°16'16,97"
|
|
|
|
71631,010
|
71360,072
|
|
|
|
82,519
|
321°39'11,30"
|
82,501
|
|
|
|
1002
|
218°23'25,98"
|
|
|
|
71695,713
|
71308,887
|
|
|
|
113,986
|
0°02'45,49"
|
113,987
|
|
|
|
1003
|
230°52'34,00"
|
|
|
|
71809,700
|
71308,978
|
|
|
|
169,225
|
50°55'25,57"
|
169,249
|
|
|
|
1004
|
242°24'46,01"
|
|
|
|
71916,387
|
71440,368
|
|
|
|
253,108
|
113°20'15,75"
|
253,136
|
|
|
|
1000
|
306°02'22,99"
|
|
|
|
71816,107
|
71672,794
|
|
|
|
|
239°22'44,90"
|
|
|
|
|
1001
|
|
|
|
|
|
|
3.5 Точность выноса в натуру точек границы
земельного участка способом полярных координат
Цель работ в данном случае: вынести в натуру
границы участка, т.е. межевые знаки. Проектные точки на местность переносятся
способом полярных координат. Сущность работы по перенесению на местность
проектной точки способом полярных координат заключается в построении проектного
горизонтального угла и откладывании по полученному направлению проектного
расстояния.
Координаты точек границ участка были определены
по карте графическим способом. По этим данным были рассчитаны разбивочные
элементы, которые представлены в Приложении Г.
Точность определения положения на местности
проектной точки относительно исходной точки будет зависеть от точности
построения проектного угла и отложения проектного расстояния, а также фиксации
положения проектной точки на местности. При отложении проектных углов и задания
проектного направления возникают ошибки центрирования угломерного прибора и
визирных целей.
Средняя квадратическая ошибка выноса в натуру
точки определяется по формуле:
mвын2=mc.p.2+mисх2+mц2+mф2
(3.5)
где mс.р.
- ошибка собственно разбивки; mисх
- ошибка исходных данных; mц
-
ошибка центрирования; mф
- ошибка фиксации точки.
Ошибка собственно разбивки полярным способом
зависит от ошибки mb
построения угла b и ошибки mS
отложения проектного расстояния S
mc.p.2=mS2
++(mb/r)2S2
(3.6)
Для примера рассчитаем среднюю квадратическую
ошибку положения точки н3.
За среднюю квадратическую ошибку исходных данных
будет принята средняя квадратическая ошибка положения точки 1003
тахеометрического хода m1003
= 22 мм.
Ошибка центрирования находится по формуле
mц2=lц2[1+(S/b)2-(S/b)cosb]
(3.7)
где lц
- линейный элемент центрирования.
Из формулы (3.7) следует, что для уменьшения
влияния ошибки центрирования необходимо, чтобы угол b
и отношение S/b
были минимальны, полярный угол был бы меньше прямого, а проектное расстояние -
меньше базиса разбивки, т.е. £b90°,
S£b.
Получим формулы для вычисления ошибок исходных
данных и центрирования, приняв b=90°
и S=b
mц=lцÖ2
(3.8)
Учитывая (8), запишем формулу для суммарной
ошибки в положении точки, разбиваемой способом полярных координат
mн32=mS2+(mb/r)2S2+mисх2+
mц2
+mф2
(3.9)
Вычислим среднюю квадратическую ошибку положения
точки н4. Известны следующие данные: mS=2мм,
mb=5²,
S=52,032м, mисх=22мм,
lц=1мм,
mф=1мм.
Тогда
mс.р=Ö22+(5/206265)2520322
=2 (мм);
mц2=1Ö2=1,5
(мм).
Следовательно, средняя квадратическая ошибка
выноса в натуру точки н4 полярным способом равна
mн3=Ö22+222+1,52+12=22
(мм) = 2,2 (см)
Таким же образом рассчитываются средние
квадратические ошибки положения поворотных точек границы объекта.
Полученные ошибки не превышают требований
инструкции по межеванию, т.е. 0,20 м для земель сельских населенных пунктов.
Разбивочный чертеж участка представлен на Рис.
3.2.
Разбивочный чертеж
Рис. 3.2
кадастр геодезический тахеометр
4. Точностные и экономические аспекты
определения границ и площадей земельных участков
Экономические характеристики земельного участка
содержат градостроительную и экономическую оценку земельного участка,
характеристику (номер) экономической и/или оценочной зоны (оценочная зона - это
участок городской территории, который ограничен естественными и искусственными
преградами, имеет определенную качественную, социальную и экономическую
ценность). Экономические характеристики даются по утвержденной администрацией
города методике. Сами градостроительные и экономические оценки земельного
участка должны быть утверждены, например, комиссией по земельным отношениям
города.
С развитием хозрасчётных и рыночных отношений
городское землепользование включено в область товарно-денежных отношений.
Стоимостная оценка городских земель способствует рациональному использованию
городских территорий, выбору и обоснованию наиболее эффективного варианта
капитальных вложений в городское строительство.
Существуют два подхода к экономической оценке
городских земель. В первом случае за основу принимают комплексную экономическую
оценку (КЭО), включающую:
* нормативные затраты на развитие
объектов инженерно-транспортной, социальной и природоохранной инфраструктуры;
* затраты, связанные с изменением характера
использования территории.
Данная методика применялась для оценки земель
крупнейших городов, но встретила критику многих экономистов и не была принята.
В современных условиях перехода к рыночным отношениям КЭО не имеет
экономического смысла, потому что включает в себя затратные характеристики инженерной
инфраструктуры, приводящие к двойному и тройному счёту, а эти же характеристики
отражаются в тарифах за коммунальные услуги. В основу второго подхода заложен
рентный принцип. При этом предполагается, что проведённые расчёты платежей -
лишь разумное начальное приближение в процессе внедрения рыночных отношений.
При этом подходе экономисты исходят из следующих
предпосылок: город вправе получать в виде арендных платежей от своих
землепользователей некоторую часть их рентного дохода, возникающего благодаря
эффектам двух уровней - выгодам положения всего города на территории, с которой
он связан финансово-экономическими отношениями, и выгодам положения участка в
плане города.
Потенциально рента местоположения участка внутри
города зависит от функционального типа использования территории, а в пределах
данного типа - от совокупности факторов, при оценке рассматриваются типы
территорий : производственная, торговая, жилая, туристический сервис.
.1 Точность определения площадей земельных
участков в зависимости от стоимости долгосрочной аренды
Требования к точности определения площади
земельных участков зависят от многих факторов: хозяйственной значимости
(сельхозугодия, лесные угодья, городская территория и т.п.); местоположения
(центр города, его окраина и т.п.); экологической обстановки (химическая
загрязнённость земли, атмосферы и т.п.); наличие и ценности недвижимости. Все
эти и другие возможные факторы влияют на нормативную стоимость земли, которая в
основном и является исходной для расчёта требуемой точности определения площади
земельных участков.
Поскольку с экономической точки зрения знать
площадь земельного участка необходимо, в основном, в двух случаях: при
купле-продаже и при взимании налога на землю, то эти два случая и определяют
экономический аспект регламентации точности её определения. По существу
возникает вопрос о цене ошибки в определении площади земельного участка по
стоимости и налоговой ставке. Но, с другой стороны, каковы критерии значимости
(допустимости) цены этой ошибки? Этот вопрос может быть решен различными
путями: нормативным, административным, исходя из сложившихся традиций или опыта
и т.п. Нам представляется, что из-за отсутствия на этот счёт однозначного
решения в качестве критерия допустимости цены ошибки может выступать стоимость
геодезических работ по определению границ и площадей земельного участка.
Очевидно, что цена ошибки не должна превосходить стоимости геодезических работ.
Таким образом, необходимо связать стоимость
земли и ставку земельного налога на единицу площади с ошибкой и стоимостью её
определения.
При ведении экономической оценки городских
земель территория города дифференцируется на оценочные зоны. Одним из критериев
формирования зон служит существующая застройка, наличие объектов инженерного
оборудования и подземных коммуникаций. Причём, чем выше плотность застройки и
больше объектов, тем больше стоимость участка.
С 2006г. Орехово-Зуевский район был разделен на
13 поселений, из них городских - 3, сельских - 10 (рис 4.1) без разрывов между
их границами.
В муниципальный район не включены
землепользования, входящие в основном в состав земель лесного фонда, особо
охраняемых территорий.
Распределение территории между муниципальными
образованиями по площадям приведено в таблице 4.1. и на рис.4.2, а базовые
ставки аренды по территориально-экономическим зонам приведены в таблице 4.2.
Для городов характерно
территориально-экономическое зонирование.
В настоящее время действует закон
Московской области от 28.02.2005N67/2005-ОЗ о статусе и границах
Орехово-Зуевского муниципального района и вновь образованных в его составе
муниципальных образований (принят постановлением Мособлдумы от 09.02.2005 N
4/128-П).
Рис. 4.1 Административно-территориальное деление
Орехово-Зуевского района.
Описание границ территориально-экономических зон
описано в Приложении Д.
Одним из критериев формирования зон служит
существующая застройка, наличие объектов инженерного оборудования и подземных
коммуникаций. Причём, чем выше плотность застройки и больше объектов, тем
больше стоимость участка.
Изменение площадей отдельных зон обусловлено
выносом в натуру границ города и проведением расчётов с учётом координат
межевых знаков.
Таблица 4.1 Площади поселений Орехово-Зуевского
района
|
№
п. п.
|
Поселения
|
Площадь,
га
|
|
1
|
Городское
поселение Дрезна
|
800
|
|
2
|
Городское
поселение Куровское
|
1000
|
|
3
|
Городское
поселение Ликино-Дулёво
|
1200
|
|
4
|
Белавинский
сельский округ
|
27655
|
|
5
|
Верейский
сельский округ
|
22692
|
|
6
|
Горский
сельский округ
|
13180
|
|
7
|
Давыдовский
сельский округ
|
12581
|
|
8
|
Демиховский
сельский округ
|
7505
|
|
9
|
Дороховский
сельский округ
|
28975
|
|
10
|
Ильинский
сельский округ
|
17717
|
|
11
|
Малодубенский
сельский округ
|
13000
|
|
12
|
Новинский
сельский округ
|
19760
|
|
13
|
Соболевский
сельский округ
|
11908
|
Рис 4.2
Таблица 4.2 Базовые ставки аренды по
территориально-экономическим зонам
|
№
п.п
|
Наименование
территориально-экономической оценочной зоны
|
Базовые
ставки ежегодной арендной платы, руб./га
|
|
1
|
г. Дрезна
|
298375
|
|
2
|
г.Ликино-Дулево
|
264425
|
|
3
|
г. Куровское
|
284025
|
|
4
|
Белавинский
сельский округ
|
149100
|
|
5
|
Верейский
сельский округ
|
179988
|
|
6
|
Горский
сельский округ
|
264425
|
|
7
|
Давыдовский
сельский округ
|
282975
|
|
8
|
Демиховский
сельский округ
|
235550
|
|
9
|
Дороховский
сельский округ
|
247975
|
|
10
|
Ильинский
сельский округ
|
201425
|
|
11
|
Малодубенский
сельский округ
|
217875
|
|
12
|
Новиский
сельский округ
|
234150
|
|
13
|
Соболевский
сельский округ
|
285425
|
|
14
|
Пос. Верея
|
232838
|
Средняя по оценочным зонам ставка арендной платы
- 241 325 руб. за 1 га территории.
Для территориально-экономических зон стоимость
земли и ставка земельного налога колеблются в значительных пределах, что может
существенно влиять на требования к точности определения площадей земельных
участков, при отсутствие в настоящее время Федерального закона о земле цена её
в Орехово-Зуевском районе определяется по, так называемой, «стоимости выкупа
права долгосрочной (49 лет) аренды земельного участка» (в дальнейшем просто
«стоимость»).
Для решения сформулированной задачи прежде всего
найдем зависимость между точностью определения площади участка и «стоимостью»
земли. Для этого воспользуемся, «Временной методикой расчёта права долгосрочной
аренды земельных участков в г. Москве»,составленной «Москомземом» и
утверждённой мэром Москвы, и данными в части ошибок площади различных размеров.
Площади умножалась на среднюю квадратическую ошибку площади, взятую для
участков различных размеров и различных средних квадратических ошибок определения
их границ. Стоимость 1 кв. м. Площади определялась по оценочным зонам для
максимальной, средней по всем зонам, и минимальной стоимостям. Кроме того, по
нормативам «Мосгоргеотреста» оценивалась стоимость геодезических работ по
определению в натуре площади участка земли в г. Москве на 2001 г., как
величина, зависящая только от размера площади с учётом «Приказа о введении
коэффициента инфляции» Полученные результаты указаны в Таблице 4.3 .
Таблица 4.3 Сравнение точности определения
площади участка и "стоимости" земли
|
Площадь,
Площадь кв.м.
|
Размеры
м
|
СКО
в координатах гран. пунктов, см
|
СКО
определения площади, кв.м.
|
Максимальная
стоимость ошибки, руб.
|
Цена
ошибки средней по всем зонам, руб.
|
Минимальная
стоимость ошибки, руб.
|
Стоимость
работ, руб.
|
|
600
|
20x30
|
1
|
0,24
|
5184
|
1410
|
166
|
|
|
|
2
|
0,56
|
12096
|
3290
|
387
|
|
|
|
5
|
1,63
|
35208
|
9577
|
1127
|
|
|
|
10
|
2,58
|
55728
|
15158
|
1783
|
|
|
625
|
25x25
|
1
|
0,32
|
6912
|
1880
|
221
|
|
|
|
2
|
0,55
|
11880
|
3231
|
380
|
|
|
|
5
|
1,46
|
31536
|
8578
|
1009
|
|
|
|
10
|
3,12
|
67392
|
18331
|
2157
|
|
|
800
|
20x40
|
1
|
0,49
|
10584
|
2879
|
339
|
|
|
|
2
|
0,65
|
14040
|
3819
|
449
|
|
|
|
5
|
1,75
|
37800
|
10282
|
1210
|
|
|
|
10
|
3,51
|
75816
|
20622
|
2426
|
|
|
1000
|
20x50
|
1
|
0,5
|
10800
|
2938
|
346
|
|
|
|
2
|
0,72
|
15552
|
4230
|
498
|
|
|
|
5
|
2,33
|
50328
|
13689
|
1610
|
|
|
|
10
|
4,02
|
86832
|
23618
|
2779
|
|
|
2500
|
50x50
|
1
|
1,72
|
37152
|
10105
|
1189
|
|
|
|
2
|
1,3
|
28080
|
7638
|
899
|
|
|
|
5
|
3,35
|
72360
|
19682
|
2316
|
|
|
|
10
|
7,12
|
153792
|
41831
|
4921
|
|
|
10000
|
100x100
|
1
|
1,12
|
24192
|
774
|
31536,11
|
|
|
2
|
2,45
|
52920
|
14394
|
1693
|
31536,11
|
|
|
5
|
4,91
|
106056
|
28847
|
3394
|
31536,11
|
|
|
10
|
8,59
|
185544
|
50468
|
5937
|
31536,11
|
Полученный анализ позволяет сделать следующие
выводы:
· экономически
не оправдано определение координат граничных точек со средней квадратической
ошибкой в 1 см, т.к. стоимость выполнения геодезических работ в этом случае
значительно превышает цену ошибки в площади;
· оптимальной
величиной средней квадратической ошибки определения координат граничных точек
участков, расположенных в зонах с высокой стоимостью земли, можно считать 2 см.
4.2 Расчёт нормативной сметной стоимости
комплекса топографо-геодезических работ
Расчет нормативной сметной стоимости комплекса
топографо-геодезических работ по созданию топографического плана масштаба 1:500
с сечением рельефа 0,5 м выполняется на объект площадью 188902 м,
расположенный по адресу: Московская область, Орехово-Зуевский район, деревня Демихово.
Компания, ответственная за выполнение работ - ООО «ЭКМОС, землеустройство,
геодезия».
Расстояние от ООО «ЭКМОС,
землеустройство, геодезия» до района работа составляет 15 км. Доставка рабочей
бригады к месту геодезических работ не составляла трудностей, а следовательно и
больших затрат. На протяжении всей съёмки использовалась легковая машина.
Питание каждого члена бригады
спонсировалось из бюджета организации, с расчётом 100 рублей на человека.
Стоимость работ является важнейшей экономической
категорией. В топогеодезическом производстве применяют несколько стоимостных
оценок. Мы будем использовать сметную стоимость - стоимость запланированного
или выполненного объема работ, определяемая по сметам к техническим проектам на
основании расценок или прямым расчетам. Смета составляется исходя из требований
сборников нормативных цен и руководящих документов вышестоящих организаций. В
таблице 4.4 представлена смета на проводимые топографо-геодезические работы на
объекте, рассчитанная в соответствии со сметными укрупненными расценками на
топографо-геодезические работы СУР-2002. Цены приведены к базисному уровню на IV
квартал 2009 г.
Таблица 4.4 Смета на производство
топографо-гедезических работ
|
№
|
Виды
работ
|
Ед.
изм.
|
Объемы
работ
|
Категория
трудности
|
Расценки
на ед. работ, руб.
|
Всего
на объем работ, руб.
|
|
1
|
Рекогносцировка
пунктов
|
шт.
|
3
|
2
|
104,18
|
312,54
|
|
Тахеометрический
ход
|
|
2
|
Проложение
хода
|
пункт
|
6
|
2
|
364,35
|
2186,10
|
|
Нивелирный
ход
|
|
3
|
Проложение
хода
|
км
|
0,6
|
2
|
321,12
|
192,67
|
|
Тахеометрическая
съемка
|
|
4
|
Тахеометрическая
съемка 1:500
|
кв.км.
|
0,02
|
2
|
42398,7
|
847,97
|
|
5
|
Составление
топографических планов
|
лист
|
3
|
2
|
852,33
|
2556,99
|
|
6
|
Составление
технического отчета
|
лист
|
19
|
|
24,11
|
458,09
|
|
7
|
Всего
на комплекс работ
|
6554,36
|
|
8
|
по
полевым работам
|
3539,28
|
|
9
|
по
камеральным работам
|
3015,08
|
|
10
|
С
учетом составления плана в цифровом виде (К=1,75)
|
5276,39
|
|
11
|
С
учетом организации и ликвидации работ (10%)
|
655,44
|
|
11
|
Всего
с учетом всех поправочных коэффициентов
|
9471,11
|
|
12
|
Коэффициент
за инфляцию на 4 квартал 2009 г.
|
3,14
|
|
13
|
Всего
в ценах на 4 квартал 2009 г.
|
29739,29
|
Из таблицы 4.1 видно, что общая стоимость
топографо-геодезических работ, объемом 2 га, составит 29.7 тыс. руб.
5. Безопасность жизнедеятельности
5.1 Обеспечение безопасности выполнения геодезических
работ в городских условиях
Инженерно - геодезические работы выполняют в
различных условиях :
·
на
территориях городов и промышленных объектов;
·
в
лесных и труднодоступных местах;
·
на
участках железных и автомобильных дорог;
·
на
возводимых зданиях и сооружениях и т.д.
Для предупреждения несчастных случаев и травм в
этих условиях все работы должны выполнятся с соблюдением специальных правил и
инструкций по технике безопасности. С целью ознакомления всех без
исключения работающих с этими правилами проводятся специальные инструктажи.
Различают инструктаж водный и на рабочем месте. Повторный инструктаж проводится
через установленное время и при внедрении новой технологии, нового оборудования
и при внедрении новых правил по технике безопасности.
До начала полевых топографо-геодезических работ
в городских условиях, населённых пунктах и на территориях промышленных объектов
устанавливают схемы размещения скрытых объектов: подземных коммуникаций и
сооружений.
Геодезические работы, выполняемые на улицах с интенсивным
движением, должны быть согласованы с отделом регулирование Уличного
движения. Геодезисты при работе в городе обязаны знать правила уличного
движения. Место работы ограждают переносными знаками и щитами, согласованными с
отделом регулирования уличного движения. Производство геодезических измерений в
городе не должно препятствовать уличному движению. При интенсивном движении
городского транспорта геодезические измерения расстояний следует выполнять по
возможности аналитически, базисы располагать на тротуаре или в безопасном
месте; по возможности все работы необходимо выполнять в ранние часы или ночью.
Рытьё котлованов для центров и реперов на территории, где имеются кабельные
электрические линии, производится с письменного разрешения управления кабельных
сетей.
При геодезических работах в районе действующих
трамвайных, троллейбусных и электрифицированных железнодорожных путей нельзя
касаться контактной сети и производить измерения на рельсах металлической
лентой.
Съёмку подземных коммуникаций необходимо
согласовывать с отделом городского архитектора и получать все данные о
подземном хозяйстве требуемого района города.
Съёмка существующих подземных коммуникаций, как
правило, связана с их обследованием. При обследовании снимают крышки колодцев и
у колодцев ставят треногу со знаком «Опасность».
Перед спуском людей в колодец проверяют, нет ли
в нём газа, опуская в него шахтерскую лампу. Если в колодце есть метан, лампа
гаснет или сильно уменьшает силу света, а при наличие светильного газа -
вспыхивает и гаснет. От паров бензина пламя лампы удлиняется и окрашивается в
синий свет, от аммиачного газа без вспышки гаснет. Если лампа не гаснет; а
горит ровным светом ( таким же, как и на поверхности ), то газов в колодце нет
и можно спускаться. Запрещается проверять газ по запаху, бросанием в колодец
зажженной бумаги или опусканием горящей свечи или фонаря.
Во время работы следят за открытыми люками, не
допуская к ним посторонних людей. По окончании работ или при перерыве все люки
колодцев плотно закрывают крышками. Инструменты, лампы и предметы опускают в
колодец на веревке после подачи работающим в колодце условного сигнала. Колодец
освещают шахтёрской лампой. Работы ведутся в рукавицах. Металлические рейки
опускают в колодец и вынимают из него по частям, не касаясь проводов.
При постройке геодезического знака на крыше
высотного здания необходимо вначале проложить трап от места выхода на крышу к
месту постройки, затем изготовить площадку с перилами высотой 1 м и бортовой
доской. Доставка строительного материала к месту постройки и строительные
работы производятся со страховкой.
На работы в пределах охранных зон кабелей,
находятся под напряжением, или действующего газопровода, необходимо разрешение
соответствующего электро или газового хозяйства. При нивелирных работах вблизи
стен не разрешается переходить по стенным перекрытиям. Рейку устанавливают на
подмостях, высота которых должна быть ниже уровня кладки на 1.7 м. При
необходимости делать разметку на внешних плоскостях стен работают с
предохранительными поясами.
При бетонных работах во время электро нагрева
бетона нельзя касаться рулеткой арматуры. Нельзя выполнять разбивочные и
выверочные работы в зоне монтажа. При скорости ветра 15 м/с и более,
гололедице, грозе или тумане, исключающем видимость в пределах фронта работ,
прекращают все работы, в том числе и геодезические на высоте в открытых местах.
Запрещается размечать оси и другие ориентиры на
элементах конструкций во время их подъёма, перемещения или в подвешенном
состоянии. Нельзя оставлять геодезические приборы и принадлежности без
присмотра на монтажном горизонте во время перерыва в работе. Геодезические
приборы переносят только в упаковочных ящиках, а штативы - в сложенном виде.
К работе на дорогах допускаются лица в
демаскирующей одежде оранжевого цвета. На время работы выделяют двух
сигнальщиков, которые оповещают работающих о приближении транспортных средств.
На автодорогах сигнальщики должны находиться на расстоянии 50 - 100 м с обеих
сторон от места работы, а железных - не менее 1 км. Во время тумана, метели,
грозы работать на дорогах не разрешается. Переходы, промеры по дорогам ведут по
бровкам, а не по полотну.
При измерении стальной лентой или рулеткой через
рельсы электрифицированных железных дорог плотно держат навесу. Нельзя
пролезать под вагонами, перетаскивать под ними геодезические приборы и
инвентарь, проходить между буферами вагонов, если расстояние между ними менее5
м.
Если работы ведутся на мосту длиной менее 50 м,
то его на время прохождения проезда освобождают. При длине моста более 50 м работающие
укрываются в нишах.
5.2 Экологическая оценка
Орехово-Зуевского района
Работы по определению границ земельных участков
городской территории проходили в г. Орехово-Зуево. Орехово-Зуевский район -
одна из жемчужин Подмосковья - находится в низменной восточной части Московской
области, постепенно переходящая в обширную Мещерскую низменность или Мещеру.
Самая низкая точка 111 м.
Наиболее характерной чертой поверхности
Орехово-Зуевского района является ее равнинность. Здесь непросто найти
естественное возвышение, с которого можно было бы обозреть окрестности хотя бы
на несколько километров от себя.
Основным типом рельефа Орехово-Зуевского района
является так называемая «морено-зандровая равнина», возникшая во времена
последних оледенений.
Орехово-Зуевский район расположен на 55°48’00’
северной широты и 38°58’00’ восточной долготы.
На западе Орехово-Зуевский район граничит с
Раменским и Павлово-Посадским, на востоке с Шатурским, на юго-востоке с
Егорьевским, на юго-западе с Воскресенским районами Московской области, на
севере с Петушинским районом Владимирской области.
На территории района расположены три городских
поселения - Дрезна, Куровское и Ликино-Длёво и 10 сельских поселений
(Белавинское, Верейское, Горское, Давыдовское, Демиховское, Дороховское, Ильинское,
Малодубенско, Новинское, Соболевское (рис.5.1).
Рис.5.1 Схематическая карта Орехово-Зуевского
района.
Город Орехово-Зуево - районный центр - основан в
1917году, находится в 89 км к востоку от Москвы, на реке Клязьме.
Местность здесь всхолмлённая равнина со средней
высотой 130м над уровнем моря, с понижением к реке Клязьма (к 112 м), обширным
плоским (120 м) заболоченным участком на северо-востоке, высокими (до 170 м)
холмами с резкими перепадами (около 20м/км). На востоке (участок Мещёрского
хребта) и балками (до 140 м) на западе и юго-западе с понижением к реке Нерской
(110 метров).
Климат Орехово-Зуевского района - средняя
температура января −10˚, −11˚ С. Зима снежная, неровная,
с небольшими морозами. В тёплые зимы она может подниматься до +3˚ С, в
холодные падает до −19˚ С, иногда температура опускается до 40-45˚
ниже нуля. В обычные зимы температура не превышает −15…-20˚ С.
Толщина снежного покрова доходит до 80 сантиметров. Средняя температура июля 18˚
С. Лето тёплое с обильными ливнями и грозами, иногда июль жаркий, температура
воздуха доходит до 40˚ С.
Количество выпадающих осадков составляет от 550
мм до 450 мм, убывая с северо-запада на юго-восток равнины. 25-30 % осадков
приходится на зимний период.
Орехово-Зуевский район расположен на рубеже
смешанных и широколиственных лесов. Смешанными лесами покрыто более 50 %
площади низменности. На песках расположены сосновые боры, по низменным местам -
дубовые леса, на вырубках и гарях растут береза и осина, на водоразделах - ель.
Речная сеть Московской области густа и
извилиста, всего здесь протекает около 2000 рек. Одна из них река Клязьма,
которая на значительной части своего пути несет свои воды через равнины
Орехово-Зуевского района.
Протяженность реки равна 686 км площадь ее
бассейна составляет 42 500 кмІ, Средний расход воды равняется 147 м і/с.
Истра - извилистая, быстрая и мелководная река.
Средняя глубина 1-2 м, максимальная до 8м. Ширина реки, в среднем, достигает 12
м.
Основные озёра области: старое русло Клязьмы -
озеро Малиновское, озеро Жаркое, Ольтовское, Горбатое, Белое. Большинство озёр
болотные, зарастающие.
В районе огромные массивы болот из них
крупнейшие находятся на севере и северо-востоке района. В XIX-XX вв. внесены
сильные изменения - в целях хозяйственного использования торфяных почв, защиты
от подтоплений и выработки торфа проведены многочисленные мелиоративные каналы,
спрямлены русла рек. После выработки торфяных залежей и последующего старения
заброшенной мелиоративной сети образованы многочисленные водоёмы.
По агроклиматическому районированию Московской
области, Орехово-Зуевский район входит во 2 агроклиматическую зону. По
разновидностям почв входит во вторую подзону с песчаными и супесчаными почвами.
Переход среднесуточной температуры воздуха через
0оС осуществляется 4-6 апреля. Засушливые условия складываютс 3-4
раза в 10 лет.
Ветровой режим характеризуется преобладанием
северо-западных, западных и северных ветров в теплый период (май-сентябрь) и
юго-западных, южных и западных - в холодный период.
Район обладает эксплуатируемыми запасами леса,
площадь лесного массива составляет - 20 тыс. га. Из почв наиболее
распространёнными являются подзолисто-болотные и дерново-подзолистые. При
должном уходе некоторую ценность могут представлять болотные торфяные почвы на
северо-востоке. Ценные для района серые лесные почвы залегают на юго-западе и
небольшими площадями на западе.
Район обладает значительными запасами торфа - до
15 млн. тонн, качественных каолиновых и кирпичных глин и строительных песков.
Среди животного мира в лесах района можно
встретить лося, оленя, выхухоля, бобра, глухоря. В лесу и пойме встречаются
ужи, ящерицы, веретеницы, медянки, гадюки. Много дичи: уток, чирков, бекасов,
дупелей.
По природно-экологическим показателям, Орехово-Зуевский
район является слабозагрязненным. Объём сброса сточных вод - 40 000 - 80 000
(тыс. куб. м/год). Количество сброшенных загрязняющих веществ - 800 - 900
(т/год), где 4/16 занимает аммонийный азот, 1/16 - фосфаты, остальное - прочие
вещества. Суммарный выброс вредных веществ в атмосферу - 0.04 - 0.08 (т/га).
На территории района расположено 465
садоводческих товариществ, 3 оздоровительных лагеря, 5 баз отдыха, 5
пансионатов.
Заключение
В настоящее время возникла острая необходимость
в учёте и систематизации сведений о земельных участках, а также оперативного
получения достоверной и объективной информации об объектах и учётах, их
местоположении и обеспечение этой информацией заинтересованных юридических и
физических лиц.
Одним из основных вопросов является определение
границ и площадей земельных участков для составления кадастровых документов
землепользователям при различных операциях с землёй и недвижимостью.
В данной дипломной работе были предпринята
попытка ответить на следующие вопросы:
1. Как требование к точности определения
площади и границ земельных участков соотнести с площадями участков различных
размеров, существующих на городской территории.
2. Как и каким способом возможно определить
границы участка, который был взят для рассмотрения данной задачи.
После рассмотрения этих вопросов, как с
технической так и с экономической позиции были сделаны следующие выводы:
1. При
одних и тех же значениях ошибок координат углов поворота границ участков,
точность определения площади зависит от её величины. С увеличением площади
относительная ошибка её определения уменьшается приблизительно пропорционально
корню квадратному из размера площади.
Для городских земельных участков площадью до 1
га достаточно определять координаты граничных точек со средней квадратической
ошибкой 2см. В этом случае площади участков до 0,25 га будут определятся с
ошибкой около 1 м2, а от 0,25 до 1 га - с ошибкой порядка 2 м2.
Для участков площадью от 1 до 10 га координаты
углов поворота границ участка можно определить с ошибкой 5 см, а более 10 га
-10см.
Экономически не оправдано определение координат
граничных точек со средней квадратической ошибкой в 1 см, т.к. стоимость
выполнения геодезических работ в этом случае значительно превышает цену ошибки
в площади;
Оптимальной величиной средней квадратической
ошибки определения координат граничных точек участков, можно считать 2 см.
. Целью основной работы в нашем случае стало:
вынести в натуру границы участка, т.е. межевые знаки, находящегося на
территории Орехово-Зуевского района. Проектные точки на местности переносились
способом полярных координат. Сущность работы по перенесению на местность
проектной точки способом полярных координат заключалась в построении проектного
горизонтального угла и откладывании по полученному направлению проектного
расстояния.
Координаты точек границ участка были определены
по карте графическим способом. По этим данным были рассчитаны разбивочные
элементы, которые представлены в Межевом плане. Было создано планово-высотное
обоснования в виде тахеометрического хода. Измерения углов на пунктах хода
выполнялись способом отдельного угла в два полуприема. Расхождения между
значениями одного и того же угла, полученного из двух полуприемов не превысили
45’’. Линии измерялись тахеометром в прямом и обратном направлении в
автоматическом режиме одновременно с угловыми измерениями.
Выполнялась оценка точности построения опорной
сети, обработка результатов измерений (проводимая в программе CredoDAT),
в результате чего была получена относительная ошибка хода 1:31500, невязка хода
составила fs=0,020м,
самым слабым определяемым пунктом хода явился 1003. Таким образом, поставленная
задача была успешно выполнена.
3. Выполнялся расчет сметной стоимости комплекса
топографических работ, который составил 29,7 тыс. руб.
В пятой главе даны рекомендации по обеспечению
безопасности при проведении геодезических работ в полевых и камеральных
условиях.
Список литературы
1.
Маслов
А.В, Юнусов А.Х., Горохов Г.И "Геодезические работы при
землеустройству" Москва "Недра" 1990 г.
2.
Методические
рекомендации по проведе нию межевания объектов землеустройства Утв. 17.02.2003.
3.
Неумывакин
Ю.К., Перский М.И. "Земельно-кадастровые геодезические работы. " -
М.: КолосС, 2005.
4.
Левчук
Г.П., Новак В.Е., Конусов В.Г. "Основные методы и принципы
инженерно-геодезических работ." - М.: Недра,1981.
5.
Михелев
Д.Ш. "Инженерная геодезия. " Учебник для вузов. - 4-е издание . - М.:
Издательский центр "Академия ", 2004. - стр.342.
6.
Гладкий
В.И., Спиридонов В.А. " Городской кадастр и его картографо-геодезическое
обеспечение" Москва "Колос" 1997.
Приложение А
Федеральный закон от 2 января 2000 г. N
28-ФЗ
«О государственном земельном кадастре»
Глава III
Статья 12. Состав сведений государственного
земельного кадастра.
Государственный земельный кадастр содержит
сведения о :
земельных участках;
территориальных зонах;
землях и границах территорий, на которых
осуществляется местное самоуправление;
землях и границах субъектов Российской
Федерации;
землях и границах Российской Федерации.
Указанные сведения содержатся в государственном
земельном кадастре в объеме, необходимом для осуществления управления
земельными ресурсами.
Приложение Б
Проект границ земельного участка
Приложение В
Кадастровый план земельного участка
Приложение Г
Таблица 1 Межевой план
|
Всего
листов 14
|
|
МЕЖЕВОЙ
ПЛАН
|
Заполняется
специалистом органа кадастрового учета
|
|
регистрационный
№______________________________________
________________________________________________________ (подпись) (инициалы,
фамилия) «_____»________________ ________г.
|
|
Титульный
лист
|
|
|
1.
Межевой план подготовлен в результате выполнения кадастровых работ в связи с:
|
|
образованием
земельного участка из земель, находящихся в муниципальной собственности,
расположенного: Московская область, Орехово-Зуевский район, д. Демихово,
земельный участок расположен в юго-восточной части кадастрового квартала
50:03:0020180
|
|
2.
Цель кадастровых работ:
|
|
___________________________
|
|
3.
Сведения о заказчике кадастровых работ:
|
|
Большов
И.М.
|
|
(фамилия,
имя, отчество (при наличии отчества) физического лица, полное наименование
юридического лица, органа государственной власти, органа местного
самоуправления, иностранного юридического лица с указанием страны его
регистрации (инкорпорации)
|
|
Подпись
______________________________________________
_____________________________________________
_____________________________________________
|
Дата
« » 2009 года
|
|
Место
для оттиска печати заказчика кадастровых работ
|
|
4.
Сведения о кадастровом инженере:
|
|
Фамилия,
имя, отчество (при наличии отчества) Руководитель производственной группы
Орехово-Зуевского филиала ГУП МО «МОТИ» Лишина Юлия Александровна
|
|
№
квалификационного аттестата кадастрового инженера 1025003296680
|
|
Контактный
телефон 8(496)5670282
|
|
Почтовый
адрес и адрес электронной почты, по которым осуществляется связь с
кадастровым инженером Московская область, г. Орехово-Зуево, ул. Ленина, д.
12., orehovoZuevo@moti.ru
|
|
Сокращенное
наименование юридического лица, если кадастровый инженер является работником
юридического лица Орехово-Зуевского филиала ГУП МО «МОТИ»
|
|
Руководитель
производственной группы Орехово-Зуевского филиала ГУП МО «МОТИ»
_________________________Ю. А. Лишина
|
Дата
« » 2009 года
|
|
Исполнитель:
техник-геодезист Орехово-Зуевского филиала ГУП МО «МОТИ»
_________________________К. В. Юрлаева
|
Дата
« » 2009 года
|
|
Место
для оттиска печати кадастрового инженера
|
|
|
|
|
|
Таблица 2
|
Лист
№ 2
|
|
МЕЖЕВОЙ
ПЛАН
|
|
Содержание
|
|
№
п/п
|
Разделы
межевого плана
|
Номера
листов
|
|
1
|
2
|
3
|
|
1.
|
Титульный
лист
|
1
|
|
2.
|
Содержание
|
2
|
|
3.
|
Исходные
данные
|
3
|
|
4.
|
Сведения
о выполненных измерениях и расчетах
|
4
|
|
5.
|
Сведения
об образуемых земельных участках и их частях
|
5-6
|
|
6.
|
Сведения
о земельных участках, посредством которых обеспечивается доступ к образуемым
или измененным земельным участкам.
|
7
|
|
7.
|
Схема
геодезических построений
|
8
|
|
8
|
Разбивочный
чертеж
|
9
|
|
9.
|
Схема
расположения земельных участков
|
10
|
|
10.
|
Чертеж
земельного участка
|
11
|
|
11.
|
Акт
согласования местоположения границ земельного участка
|
12
стр. 2
|
|
12.
|
Приложение
|
13
|
Таблица 3
|
Лист
№ 3
|
|
МЕЖЕВОЙ
ПЛАН
|
|
Исходные
данные
|
|
1.
Перечень документов, использованных при подготовке межевого плана
|
|
№
п/п
|
Наименование
документа
|
Реквизиты
документа
|
|
1
|
2
|
3
|
|
1
|
Кадастровый
план территории
|
№03.1/09-5747
от 23.09.2009 года
|
|
2.
Сведения о геодезической основе, использованные при подготовке межевого плана
Система координат СК-63
|
|
№
п/п
|
Название
пункта и тип знака геодезической сети
|
Класс
геодезической сети
|
Координаты,
м
|
|
|
|
Х
|
Y
|
|
1
|
2
|
3
|
4
|
5
|
|
1
|
1000
|
ОМС
|
6171816,11
|
3171672,79
|
|
2
|
1001
|
ОМС
|
6171631,01
|
3171360,07
|
|
3
|
999
|
ОМС
|
6171509,02
|
3171223,21
|
|
3.
Сведения о средствах измерений
|
|
№
п/п
|
Наименование
прибора (инструмента, аппаратуры)
|
Реквизиты
сертификата прибора (инструмента, аппаратуры)
|
Реквизиты
свидетельства о поверке прибора (инструмента, аппаратуры)
|
|
1
|
2
|
3
|
4
|
|
1
|
Электронный
Тахеометр Sokkia
SET 30RK3
Заводской номер 143737
|
№
в государственном реестре средств измерений ГОСТ 51774-2001 действительно
до10.05.2010 г.
|
Свидетельство
о поверке № 011745 от 10. 05. 2009 г, действительно до 10. 05. 2010 г
|
|
4.
Сведения о наличии зданий, сооружений, объектов незавершенного строительства
на исходных или измененных земельных участках
|
|
№
п/п
|
Кадастровый
номер земельного участка
|
Кадастровые
или иные номера объектов недвижимости, расположенных на земельном участке
|
|
1
|
2
|
3
|
|
¾
|
¾
|
¾
|
|
5.
Сведения о частях исходных, измененных или уточняемых земельных участков
|
|
№
п/п
|
Кадастровый
номер земельного участка
|
Учетные
номера частей земельного участка
|
|
1
|
2
|
3
|
|
¾
|
¾
|
¾
|
|
|
|
|
|
|
|
|
|
Таблица 4
|
Лист
№ 4
|
|
МЕЖЕВОЙ
ПЛАН
|
|
Сведения
о выполненных измерениях и расчетах
|
|
1.
Метод определения координат характерных точек границ земельных участков и их
частей
|
|
№
п/п
|
Метод
определения координат
|
|
1
|
2
|
3
|
|
1
|
0053
|
Геодезический
(способ полярных координат))
|
|
2.
Точность положения характерных точек границ земельных участков
|
|
№
п/п
|
Кадастровый
номер или обозначение земельного участка
|
Формулы,
примененные для расчета средней квадратической погрешности положения
характерных точек границ (Мt),
м
|
|
1
|
2
|
3
|
|
1
|
0053
|
0,2
(согласно методическим рекомендациям по проведению межевания объектов
землеустройства от 17.02.2003 г.)
|
|
3.
Точность положения характерных точек границ частей земельных участков
|
|
№
п/п
|
Кадастровый
номер или обозначение земельного участка
|
Учетный
номер или обозначение части
|
Формулы,
примененные для расчета средней квадратической погрешности положения
характерных точек границ (Мt),
м
|
|
1
|
2
|
3
|
4
|
|
¾
|
¾
|
¾
|
¾
|
|
4.
Точность определения площади земельных участков
|
|
№
п/п
|
Кадастровый
номер или обозначение земельного участка
|
Площадь
(Р), м2
|
Формулы,
примененные для расчета предельно допустимой погрешности определения площади
земельного участка (∆Р), м2
|
|
1
|
2
|
3
|
4
|
|
1
|
0053
|
18890
|
∆Р
= 3,5 *0,2*√18890=
96
|
|
5.
Точность определения площади частей земельных участков
|
|
№
п/п
|
Кадастровый
номер или обозначение земельного участка
|
Учетные
номера частей земельного участка
|
Площадь
(Р), м2
|
Формулы,
примененные для расчета предельно допустимой погрешности определения площади
части земельного участка (∆Р), м2
|
|
1
|
2
|
3
|
4
|
5
|
|
¾
|
¾
|
¾
|
¾
|
¾
|
|
|
|
|
|
|
|
|
|
|
|
Таблица 6
|
Лист
№ 5
|
|
МЕЖЕВОЙ
ПЛАН
|
|
Сведения
об образуемых земельных участках и их частях
|
|
1.
Сведения о характерных точках границы образуемого земельного участка: 0053
|
|
Обозначение
характерных точек границы
|
Координаты,
м
|
Нормативная
точность определения координат характерных точек границ (Мt),
м
|
Описание
закрепления точки
|
|
X
|
Y
|
|
|
|
1
|
2
|
3
|
6
|
7
|
|
н1
|
6171579.84
|
3171157.88
|
0,2
|
|
|
н2
|
6171877.11
|
3171290.28
|
0,2
|
|
|
н3
|
6171843.73
|
3171268.05
|
0,2
|
|
|
н4
|
6171835.56
|
3171263.83
|
0,2
|
|
|
н5
|
6171813.60
|
3171263.36
|
0,2
|
|
|
н6
|
6171625.94
|
3171258.16
|
0,2
|
|
|
н7
|
6171608.45
|
3171257.98
|
0,2
|
|
|
н8
|
6171592.08
|
3171204.47
|
0,2
|
|
|
н9
|
6171579.84
|
3171157.88
|
0,2
|
|
|
н10
|
6171779.48
|
3171188.17
|
0,2
|
|
|
н1
|
6171908.61
|
3171311.25
|
0,2
|
|
|
|
|
|
|
|
|
2.
Сведения о частях границы образуемого земельного участка:0053
|
|
Обозначение
части границы
|
Горизонтальное
проложение (S), м
|
Описание
прохождения части границы
|
|
от
т.
|
до
т.
|
|
|
|
1
|
2
|
3
|
4
|
|
н1
|
н2
|
17.49
|
______________________
|
|
н2
|
н3
|
187.73
|
______________________
|
|
н3
|
н4
|
21.97
|
______________________
|
|
н4
|
н5
|
9.20
|
______________________
|
|
н5
|
н6
|
40.10
|
______________________
|
|
н6
|
н7
|
37.84
|
______________________
|
|
н7
|
н8
|
178.39
|
______________________
|
|
н8
|
н9
|
201.92
|
______________________
|
|
н9
|
н10
|
55.96
|
______________________
|
|
н10
|
н1
|
48.17
|
______________________
|
|
|
Лист
№ 6
|
|
МЕЖЕВОЙ
ПЛАН
|
|
Сведения
об образуемых земельных участках и их частях
|
|
3.
Сведения о местоположении границ частей образуемого земельного участка
|
|
Обозначение
земельного участка :0053
|
|
Учетный
номер или обозначение части
|
|
Обозначение
характерных точек границы
|
Координаты,
м
|
Средняя
квадратическая погрешность положения характерной точки (Мt),
м
|
Примечание
|
|
X
|
Y
|
|
|
|
1
|
2
|
3
|
4
|
5
|
|
__________
|
___________
|
___________
|
_______________
|
___________
|
|
4.
Общие сведения об образуемом земельном участке
|
|
Обозначение
земельного участка :0053
|
|
№
п/п
|
Наименование
характеристик земельного участка
|
Значение
характеристики
|
|
1
|
2
|
3
|
|
1
|
Адрес
земельного участка или его местоположение
|
Московская
область, Орехово-Зуевский район. Земельный участок расположен в юго-восточной
части кадастрового квартала 50:03:0020180
|
|
2
|
Категория
земель
|
______________________
|
|
3
|
Вид
разрешенного использования
|
______________________
|
|
4
|
Площадь
земельного участка ± величина погрешности определения площади (Р±∆Р),
м2
|
18890±96
|
|
5
|
Предельный
минимальный и максимальный размер земельного участка (Рмин и Рмакс), м2
|
______________________
|
|
6
|
Кадастровый
или иной номер объекта недвижимости, расположенного на земельном участке
|
______________________
|
|
7
|
Иные
сведения
|
______________________
|
|
5.
Общие сведения о частях образуемых земельных участков
|
|
Обозначение
земельного участка :0053
|
|
№
п/п
|
Учетный
номер или обозначение части
|
Площадь
(Р), м2
|
±∆Р,
м2
|
Характеристика
части
|
|
1
|
2
|
3
|
4
|
5
|
|
_________
|
______________________
|
________
|
___________
|
_________________
|
|
|
|
|
|
|
|
|
|
|
|
|
Приложение Д
Постановлением Московской областной Думы от 9
февраля 2005 г
Закон Московской области
О статусе и границах орехово-зуевского
муниципального района и вновь образованных в его составе муниципальных образований
(в ред. Закона МО от 07.06.2005 N 142/2005-ОЗ)
Статья 1
. Наделить муниципальное образование
"Орехово-Зуевский район Московской области" статусом муниципального
района.
. Утвердить границу Орехово-Зуевского
муниципального района в виде картографического описания, являющегося
неотъемлемой частью настоящего Закона.
. Образовать в составе Орехово-Зуевского
муниципального района новые муниципальные образования, наделив их
соответствующим статусом:
городское поселение Дрезна;
городское поселение Куровское;
городское поселение Ликино-Дулево;
сельское поселение Белавинское;
сельское поселение Верейское;
сельское поселение Горское;
сельское поселение Давыдовское;
сельское поселение Демиховское;
сельское поселение Дороховское;
сельское поселение Ильинское;
сельское поселение Малодубенское;
сельское поселение Новинское;
сельское поселение Соболевское.
. Административным центром Орехово-Зуевского
муниципального района является город Орехово-Зуево Московской области.
Статья 2
. Утвердить границу городского поселения Дрезна
в виде картографического описания, являющегося неотъемлемой частью настоящего
Закона.
. Населенный пункт Орехово-Зуевского района
Московской области, находящийся в границе городского поселения Дрезна:
Дрезна - город.
Статья 3
. Утвердить границу городского поселения
Куровское в виде картографического описания, являющегося неотъемлемой частью
настоящего Закона. (Приложение.)
. Населенный пункт Орехово-Зуевского района
Московской области, находящийся в границе городского поселения Куровское:
Куровское - город.
Статья 4
. Утвердить границу городского поселения
Ликино-Дулево в виде картографического описания, являющегося неотъемлемой
частью настоящего Закона. (Приложение.)
. Населенный пункт Орехово-Зуевского района
Московской области, находящийся в границе городского поселения Ликино-Дулево:
Ликино-Дулево - город.
Статья 5
. Утвердить границу сельского поселения
Белавинское с административным центром в деревне Савинская Белавинского
сельского округа в виде картографического описания, являющегося неотъемлемой
частью настоящего Закона.
Статья 6
. Утвердить границу сельского поселения
Верейское с административным центром в поселке Верея Верейского сельского
округа в виде картографического описания, являющегося неотъемлемой частью
настоящего Закона.
Статья 7
. Утвердить границу сельского поселения Горское
с административным центром в деревне Кабаново Горского сельского округа в виде
картографического описания, являющегося неотъемлемой частью настоящего Закона.
Статья 8
. Утвердить границу сельского поселения
Давыдовское с административным центром в деревне Давыдово Давыдовского
сельского округа в виде картографического описания, являющегося неотъемлемой
частью настоящего Закона
Статья 9
. Утвердить границу сельского поселения
Демиховское с административным центром в деревне Демихово Демиховского
сельского округа в виде картографического описания, являющегося неотъемлемой
частью настоящего Закона.
Статья 10
. Утвердить границу сельского поселения
Дороховское с административным центром в поселке Авсюнино Дороховского
сельского округа в виде картографического описания, являющегося неотъемлемой
частью настоящего Закона.
Статья 11
. Утвердить границу сельского поселения
Ильинское с административным центром в селе Ильинский Погост Ильинского
сельского округа в виде картографического описания, являющегося неотъемлемой
частью настоящего Закона.
Статья 12
. Утвердить границу сельского поселения
Малодубенское с административным центром в деревне Малая Дубна Малодубенского
сельского округа в виде картографического описания, являющегося неотъемлемой
частью настоящего Закона.
Статья 13
. Утвердить границу сельского поселения
Новинское с административным центром в деревне Новое Новинского сельского
округа в виде картографического описания, являющегося неотъемлемой частью
настоящего Закона.
Статья 14
. Утвердить границу сельского поселения
Соболевское с административным центром в деревне Соболево Соболевского
сельского округа в виде картографического описания, являющегося неотъемлемой
частью настоящего Закона
Статья 15
Настоящий Закон вступает в силу со дня его
официального опубликования и до 1 января 2006 года применяется к
правоотношениям, возникающим в силу требований статей 84 и 85 Федерального
закона от 6 октября 2003 года N 131-ФЗ "Об общих принципах организации местного
самоуправления в Российской Федерации".
Губернатор Московской области
Б.В. Громов
февраля 2005 года67/2005-ОЗ