Порівняльний аналіз просторових трансформацій у місті Херсон та місті Луцьк як у великих містах периферійно-аграрного середовища

  • Вид работы:
    Статья
  • Предмет:
    Строительство
  • Язык:
    Украинский
    ,
    Формат файла:
    MS Word
    511,52 Кб
  • Опубликовано:
    2017-11-07
Вы можете узнать стоимость помощи в написании студенческой работы.
Помощь в написании работы, которую точно примут!

Порівняльний аналіз просторових трансформацій у місті Херсон та місті Луцьк як у великих містах периферійно-аграрного середовища















ПОРІВНЯЛЬНИЙ АНАЛІЗ ПРОСТОРОВИХ ТРАНСФОРМАЦІЙ У МІСТІ ХЕРСОН ТА МІСТІ ЛУЦЬК ЯК У ВЕЛИКИХ МІСТАХ ПЕРИФЕРІЙНО-АГРАРНОГО СЕРЕДОВИЩА

Мельник Л.В., Кривець О.О., Батиченко С.П.

НДС «Регіональних проблем економіки та політики»,

Київський національний університет імені Тараса Шавченка

Визначено ділянки дослідження в містах Херсон та Луцьк. Виявлено ознаки типовості тестових ділянок дослідження та їх роль в міському просторі. Охарактеризована ретроспектива розвитку ділянок дослідження у відповідних містах. Визначені основні функції тестових ділянок. Проаналізована просторова структура ділянок дослідження. Визначені чинники просторових трансформацій.

Ключові слова: місто, трансформація, модернізація, джентрифікація, ревіталізація, функціональні зміни, периферійно-аграрне середовище.

Постановка проблеми. В умовах перебудови системи економічних відносин, нової соціальної політики значно змінилося відношення до міської території як до однієї з важливих складових ресурсного потенціалу розвитку міста. Міська територія виступає одним з основних критеріїв міського розвитку, оскільки вона, з одного боку, має якість багатоцільового ресурсу, призначеного для різних видів використання, а з іншого боку, характеризується своєю обмеженістю.

Аналіз останніх досліджень та публікацій. Теоретичні питання географії міст, міських поселень присвячені роботи Ю. Пітюренка [10], Є. Перцика [9], К. Мезенцева, Л. Руденка [12], О.       Дронової [2] та інших. Роботи щодо просторових досліджень м. Луцьк характеризують демографічну, розселенську складові, історичні особливості заселення території і висвітлені у праця М. Мельнійчука, В. Поручинського, А. Слащука [11] та інших. У роботах К. Мезенцева [1, 6, 7], Г. Підгрушного [7] висвітлені питання трансформаційних процесів міського простору та їхній взаємозв’язок з глобалізаційними процесам.

Невирішені раніше частини проблеми дослідження. В роботах урбаністів висвітлено переважно історико-географічну проблематику розвитку міст, а також розроблена місто-планувальна документація, коротко- та довгострокові стратегії розвитку міст. Дана тематика розроблялася найінтенсивніше в період з 70-х до 90-х років ХХ століття. Проте, перетворення міського простору на сучасному етапі розвитку майже не висвітлено в працях вітчизняних урбаністів.

Метою роботи є виявлення трансформаційних процесів у модельних містах дослідження периферійно-аграного середовища - міст Луцьк та Херсон.

Виклад основного матеріалу. Для дослідження просторових аспектів трансформацій міського простору була визначена тестова ділянка в м. Луцьк. Тестова ділянка в місті охоплювала частину Центрального району та індустріальну зону Яровиця. Тестова ділянка дослідження в м. Херсон - житловий мікрорайон «Херсонськийбавовняний комбінат» (ХБК), що розташований у Дніпровському районі міста.

Рівень модернізації та трансформаційні процеси у місті Херсон.

Житловий мікрорайон ХБК є цілісною тестовою ділянкою в межах міста Херсон. Вона є показовою, бо представляє класичний старопромисловий мікрорайон міста. Про це свідчить історія розвитку території мікрорайону. ХБК пережив типові етапи розвитку: зародження (50-ті роки ХХ століття), розвитку (60-70-ті роки ХХ століття), «розквіту» (80-ті роки ХХ століття) та занепаду (90-ті роки ХХ століття). Останній етап тривав до появи ТРЦ «Фабрика» (2012 рік). Найскладнішим етапом розвитку для мікрорайону виявився етап занепаду. Саме заміна функцій та розвиток процесу ревіталізації підтверджує відповідність ділянки заданим критеріям відбору. Поки наявність процесу трансформації та його ядра (ТРЦ «Фабрика») не стали потужними каталізаторами для поширення трансформаційних процесів на ділянці. На жаль, не відбувається модернізація як самих об’єктів, що розташовані в межах ділянки так і благоустрою території навколо них. Місцеві жителі вже ідентифікують мікрорайон як непрестижний та бідний. Майже відсутні внутрішні конфлікти, бо в мікрорайоні не відбувалось ніякої нової забудови і ніяких трансформацій.

Ділянка є прикладом старопромислового житлового мікрорайону, який почали забудовувати в 50-их роках ХХ століття. Він був побудований для працівників Херсонського бавовняного комбінату, який було відкрито в 1952 році. У 2013 році комбінат припинив роботу. Більшість жителів мікрорайону були працівниками ХБК. Із закриттям фабрики мікрорайон почав занепадати. Частка незайнятого населення в мікрорайоні збільшилася. В мікрорайоні наявні такі типи житлової забудови: «Сталінки» - на розі вулиць Перекопської та Чорноморської, від вулиці Перекопської до вулиці Миру, «Хрущовки» - побудовані на розі вулиць Чорноморської та Університетської (в напрямку до Бериславського шосе), та багатоповерхові будинки, що збудовані в кінці 80-тих років ХХ століття на розі вулиць Чорноморської та Кулика, які поширені аж до Бериславського шосе. Вулицю І. Кулика зі сторони площі Героя Радянського Союзу Павла Дубінди почали забудовувати в 1965 році. Є в місті і відносно нові житлові масиви. Це переважно багатоповерхова забудова кінця 80-тих, початку 90-их років, а також, житлові масиви: «Таврійський - 1», «Таврійський - 2», «Таврійський - 3».

Сучасні основні функції тестової ділянки - житлова та обслуговування населення. Житлова функція є сталою, а от промислова - зникла і в процесі ревіталізації виникла нова - обслуговування населення. В промисловій зоні ще є два підприємства, які й досі функціонують - ТЕЦХБК (почала працювати в 1959 році) та «Хер- сонтранссервіс».

По вулиці І. Кулика сконцентрована найбільша кількість різноманітних приватних закладів сфери обслуговування в межах ділянки та трохи менша їх концентрація зосереджена по вулиці Університетській, Миру. Вони розміщуються переважно на перших поверхах житлових будинків, а також в малих архітектурних формах, що розташовуються вздовж тротуарів.

На території мікрорайону є об’єкти, що втратили «стару» функцію та не набули нової. Так, втрачена рекреаційна функція скверу, що розташований на вулиці Залаегерсег (перебуває в занедбаному стані).

У мікрорайоні з’явилися нові сакральні об’єкти: храм «Зал царств Свідків Ієгови» по вулиці Університетській 114 в, православна церква-меморіал Покрови Пресвятої Богородиці (біля церкви встановлені пам’ятники воїнам Афганської війни та воїнам АТО, побудована в 2000 році), православна церква на території лікарні по вулиці Залаегерсег. Вони збудовані, в деяких випадках, створені в існуючих будівлях (процес джентрифікації), в кінці 90-х років ХХ століття. Їх поява призвела до появи нової функції - сакральної в межах ділянки.

Інфраструктура в мікрорайоні є гарно розвиненою. Головні магістральні шляхи мікрорайону: вулиця Перекопська, Університетська, Кулика, Залаегерсе та Бериславське шосе. Майже 90% магістральних шляхів є модернізованими. Частково модернізованими є вулиця Кримська, Перекопська та Поповича. Мікрорайон забезпечений всіма сучасними телекомунікаціями. Доступними є послуги інтернет провайдерів та кабельного телебачення.

Промислова зона стала осередком трансформаційних процесів у межах тестової ділянки. А саме, 3-тій корпус, непрацюючого ХБК, став ядром трансформації. Після ревіталізації цей корпус перетворився на ТРЦ «Фабрика», територія навколо має високий рівень благоустрою. На жаль, процес ревіталізації не набув дифузійного характеру. Поки не спостерігається поширення процесу реві- талізації та модернізації серед об’єктів, що розміщені навколо ТРЦ. Насамперед це корпуси ХБК, інші промислові об’єкти, що розташовані поруч та об’єкти житлової забудови. Для містян функціонування даного ТРЦ - це не лише можливість отримання торгівельних послуг, але й отримання різноманітних рекреаційних послуг. В ТРЦ «Фабрика» розміщуються заклади торгівлі, ресторанного бізнесу, спорту, розваг.

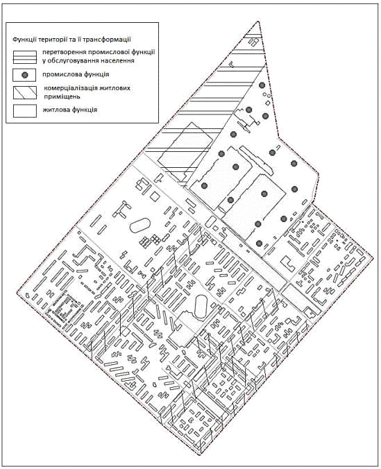
Функціональні зміни міського простору в межах тестової ділянки в м. Херсон відображені на рис. 1.

міський простір модернізація херсон

Рис. 1. Функціональні зміни міського простору в межах тестової ділянки м. Херсона

Джерело: розроблено авторами

Основними чинниками виникнення трансформації на тестовій ділянці стали: 1) тенденція ТРЦіалізації, що притаманна всім містам України; 2) вигідне географічне положення ділянки; наявність гарного транспортного сполучення; наявність непрацюючого комбінату з величезними площами, що пустують. 5) наявність вільних трудових ресурсів безпосередньо в мікрорайоні.

Рівень модернізації та трансформаційні процеси у місті Луцьк.

Тестові ділянки в м. Луцьк були дуже вдало вибрані, одна з яких мала переважно промислові, а також адміністративні функції з наявністю приватного сектора. Друга ділянка - характеризувалась більшою мірою житловою забудовою, наявністю закладів обслуговування населення і окремими адміністративними будівлями. Тестова ділянка має існуючі осередки трансформацій, одним із яких є ЦУМ. Він дав поштовх до трансформаційних процесів по всьому проспекту Волі та наближених в значній частині до нього вулицях. Житлові забудови в яких знаходяться заклади обслуговування населення, мають високий рівень благоустрою прилеглих територій, нові модернізовані фасади. За останній період в м. Луцьку відбулися незначні трансформації по всій міській територій. Навколо великих торгівельних комплексів, які були побудовані за останній період, пройшла комерціалізація простору. По всьому місту спостерігаються процеси благоустрою публічного простору. Має місце тенденція до зміни різноманітності функції міських територій, де сфера послуг переважає над сферою виробництва.

Економічна активність населення міста проявляється у зміні призначення земель і будівель, появі суб’єктів підприємницької діяльності, розміщених як у житлових багатоквартирних будинках, так і розташованих окремо МАФів.

Проблема з дефіцитом землі під житлову забудову в місті вирішується шляхом зведення житла на колишніх заводських землях. Так, в місті нові житлові мікрорайони будуються на території непрацюючих підприємств, колишніх складів і військових містечок. В межах вулиць Івана Франка, Винниченка та Яровиця, в центрі Луцька, на території комбінату хлібопродуктів, збудовано житловий квартал. Великий житловий масив з’являється неподалік центральної частини міста, на проспекті Свободи, вулицях Шопена, Клима Савура, Задворецкої, вздовж річки Сапа- лаївки. Нові житлові багатоповерхівки витісняють приватні будинки, більшість з яких побудовані в 60-70-ті роки ХХ століття.

У зв’язку із змінами в житті суспільства останнім часом набула поширення садибна забудова, за індивідуальними проектами в Центральному мікрорайоні та на його околицях, де виникають цілі вулиці з такими будинками.

В межах тестової ділянки розташований головний корпус Східноєвропейського університету імені Лесі Українки, де навколо нього відбувається трансформація об’єктів, реконструйована паркова зона, модернізовані заклади обслуговування населення.

З історичного погляду ділянки були забудовані в ХІХ - на початку ХХ століття, перша ділянка відносилася до частини села Воличка Підлуцька, а друга - до частини села Яровиця. Проспект Волі - центральний проспект Луцька, який починається на центральному Театральному майдані і тягнеться до Київського майдану. В наш час на проспекті Воля розташовані адміністративні, комунальні заклади, житлові будинки, а також заклади торгівлі та сфери послуг. Від Театрального майдану до майдану Президен-

та Грушевського пролягає вулиця Винниченка. Початок вулиці виник вздовж ковельського поштового шляху в кінці ХУІІІ - на початку ХІХ століття. На вулиці сьогодні розташовані комунальні, адміністративні, заклади торгівлі та сфери послуг, а також житлові будинки. Фасади будівель модернізовані та частково покращено благоустрій території.

В результаті проведеного аналізу території частини Центрального району м. Луцьк на предмет трансформацій міського простору встановлено:

—           на тестовій ділянці в межах проспекту Волі, вулиць Винниченка та частина Степана Бандери (в радіусі головного корпусу Східноєвропейського університету імені Лесі Українки) спостерігається доповнення житлових функцій веденням бізнесу, тобто відкриття закладів торгівлі та сфери послуг населення;

—           на землях закритих підприємств (вулиця Франка між 34 та 44 будинками) промислова функція міста змінюється на житлову;

—           переважно житловою залишається територія в межах вулиць Франка, Шопена, Сенатора, Коперника, Степана Бандери, Ярощука, Потапова, Бойка, Будівельників. При чому житлові будинки побудова в радянські часи;

—           заводи та підприємства в межах виділеної тестової ділянки Яровиця є ветхими, територія навколо в аварійному стані, за винятком пивного заводу.

Найбільші зміни в просторі відбулися на міжбудинковій території, що зайняли кіоски, автостоянки, торгові павільйони та ринки. В місті відбувається різке зростання кількості новозведених та адаптованих під нові функції об’єктів. За останні роки в місті не було збудовано культурного, чи іншого соціально важливого для міста об’єкта, натомість мали місце масові забудови об’єктів торгівлі, харчування та розваг. Колишня територія промислової зони Яровиця почала інтенсивно забудовуватися новим житловим масивом, що дало поштовх до змін індустріальної функції на житлову.

Однією з найскандальніших прибудов у центрі міста став торговельний центр «Буратіно» та заклад «Карабас Барабас», що на вулиці Винниченка.

Підсумовуючи вищесказане, слід наголосити на тому, що для м. Луцька характерні наступні риси трансформації міського простору: 1) заміна промислових функцій території на житлову. На території закритих підприємств, військових частин, складів будуються житлові комплекси; 2) центральній частині міста активно розвивається сфера послуг, у вигляді зростання кількості закладів громадського харчування, торгівлі, закладів послуг; 3) позитивні просторові трансформації тяжіють до важливих в адміністративному і туристичному відношенні вулиць, економічно розвинутих районів; 4) туристична привабливість спричиняє специфічні просторові трансформації. З одного боку, об’єкти туризму зумовлюють появу і модернізацію характерних об’єктів (закладів громадського харчування, готелів). Разом з тим розвиток інфраструктури підвищує цінність туристичних об’єктів.

На рис. 2 відображено функціональні перетворення міського простору на тестовій ділянці в м. Луцьк.

Рис. 2. Функціональні зміни міського простору в межах тестової ділянки м. Луцька

Джерело: розроблено авторами

Було уточнено фактори і їх вплив на наявність і рівень просторових трансформацій міського середовища: 1. Економічна активність населення; 2. Архітектура міста; 3. Географічний фактор; 4. Туристична привабливість.

Висновки. Отже, процеси ревіталізації в досліджуваних містах мають різний характер. Так, в місті Луцьк - проблема дефіциту території під житлову забудову вирішується за рахунок земель колишніх заводів, складів, непрацюючих підприємств, на яких зводиться житло. Даний процес характерний для вулиць Винниченка та Франка. Місту Луцьк притаманні такі функціональні перетворення: ріст житлового будівництва в промисловій зоні; джентрифікація у двох напрямках - заміна індустріальної функції на житлову, або на обслуговуючу; комерціалізація житлових приміщень. А в місті Херсон є багато непрацюючих фабрик, але їх територія не ревіталізується. Ядром трансформаційних процесів в межах тестової ділянки виступає ТРЦ «Фабрика» - замінапромислової функції на обслуговування населення, при цьому дифузійні процеси відсутні. Для міста Херсон притаманні наступні функціональні перетворення: джентрифікація - заміна індустріальної функції на обслуговуючу; високий рівень модернізації об’єктів лише безпосередньо в ядрі трансформацій; комерціалізація житлових приміщень.

Список літератури

1. Mezentsev K. New Social and Economic Processes in Kyiv’s Hinterland [Текст] / K. Mezentsev, I. Brade, N. Mezentseva // Часопис соціально- економічної географії. - 2012. - Вип. 12(1). - С. 156-160.

2.       Дронова О.Л. Геоурбаністика: навч. посіб. [Текст] / О.Л. Дронова. - К.: Видавничо-поліграфічний центр «Київський університет», 2014. - 419 с.

.        Історія міст і сіл Української РСР. Херсонська область. - К.: Головна редакція УРЕ АН УРСР, 1971. - С. 108-114.

.        Історія міст і сіл УРСР: Волинська область. - К.: Гол. ред. УРЕ, 1970- 746 с.

.        Костюк Л.И. Херсон. Улицы помнят [Текст] // В.Ф. Ракович, И.Д. Ратнер - Путеводитель. - Симф.: Таврия, 1987. - 112 с.

.        Мезенцев К.В. Тренди розвитку міських поселень в Україні: стійкі та вразливі міста [Текст] / К.В. Мезенцев // Вісник кНу. Географія. - К., 2013. - Вип. 1(61). - С. 31-36.

.        Мезенцев К.В., Підгрушний Г.П., Мезенцева Н.І. Регіональний розвиток в Україні: суспільно-просторова нерівність і поляризація: монографія [Текст] / К.В. Мезенцев, Г.П. Підгрушний, Н.І. Мезенцева. - К.: дП «Прінт сервіс», 2014. - 132 с.

.        Мельник Л.В. Трансформації міського простору на прикладі тестової ділянки в м. Луцьк [Текст] / Л.В. Мельник, А.В. Орещенко, С.П. Батиченко // Вісник КНУ. Географія. - К., 2016. - Вип. 1(64). - С.53-57.

.        Перцик Е.Н. Геоурбанистика: учебник [Текст] / Е.Н. Перцик. - М., 2009. - 432 с.

10.     Пітюренко Ю.І. Розвиток міст і міське розселення в Українській РСР (особливості розвитку і розміщення, типологія, територіальні системи і перспективи): монографія [Текст] / Ю.І. Пітюренко. - К., 1972.

11.     Поручинський В.І., Поручинська І.В., Слащук А.М., Мельнійчук М.М. Система розселення Волинської області в умовах трансформації суспільства: монографія [Текст] / В.І. Поручинський, І.В. Поручинська, А.М. Слащук, М.М. Мельнійчук. - Луцьк: ПП Іванюк В.П., 2015. - 193 с.

Похожие работы на - Порівняльний аналіз просторових трансформацій у місті Херсон та місті Луцьк як у великих містах периферійно-аграрного середовища

 

Не нашли материал для своей работы?
Поможем написать уникальную работу
Без плагиата!
Без нейросетей!