Реконструкция автомобильной дороги Селищево - Подъяловка
Содержание
Введение
. Общая часть
.1 Географическое положение района строительства
.2 Климат
.3 Данные о грунтах и гидрологических условиях
.4 Характеристика существующей дороги
.5 Рекомендуемые к использованию дорожно-строительные
материалы
. Технический проект дороги
.1 Нормативные данные
.2 План и продольный профиль
.2.1 План трассы
.2.2 Продольный профиль
.3 Поперечные профили земляного полотна
.3.1 Земляное полотно
.4 Искусственные сооружения
.5 Дорожная одежда
.5.1 Назначение конструкций дорожной одежды и расчет
вариантов
.5.2 Технико-экономическое сравнение вариантов
.6 Подсчёт объёмов земляных работ
.7 Распределение земляных масс
.8 Обоснование способов производства земляных работ
. Технологический раздел
.1 Подготовительные работы
.1.1 Расчистка полосы отвода от кустарника
.1.2 Снятие растительного слоя с откосов и под основанием
уширяемой части насыпи
.1.3 Планировка поверхности
.1.4 Уплотнение поверхности
.1.5 Закрепление и восстановление трассы и элементов
земляного полотна на местности
.2 Земляные работы
.2.1 Расчет основных параметров потока
.2.2 Определение темпа производства работ
.2.3 Расчет составов специализированных отрядов
.2.4 Расчет состава отряда при производстве работ
.3 Строительство дорожной одежды
.3.1 Определение предельных сроков работ
.3.2 Определение продолжительности реконструкции
.3.3 Определение количества специализированных потоков
.3.4 Выбор направления работы линейных потоков
.3.5 Определение минимальной длины захватки
.3.6 Определение расчетной длины захватки при оптимальном
использовании производительности ведущих машин
.4 Контроль качества работ при возведении земполотна и
строительстве дорожной одежды
.5 Организация движения
. Деталь проекта. Детальное проектирование ж/б водопропускной
трубы
.1 Назначение водопропускных труб
.2 Строительство железобетонных труб
.3 Подготовительная работа на месте строительства
.4 Исполнительные работы
.4.1 Рытьё котлована экскаватором и зачистка его вручную
.4.2 Устройство фундаментов
.4.3 Монтаж сборных железобетонных труб
.4.4 Устройство гидроизоляции труб.
.4.5 Обратная засыпка грунта.
.5 Расчет состава отряда по строительству трубы
. Экономика строительства
.1 Определение сметной стоимости строительства
.2 Расчет экономической эффективности строительства дороги
.3 Расчет основных технико-экономических показателей
. Безопасность и экологичность проекта
.1 Охрана труда
.2 Требования по технике безопасности
.3 Инструктаж и обучение безопасным методам работы.
.4 Техника безопасности при работе на дорожных машинах
.4.1 Техника безопасности при работе экскаватора
.4.2 Техника безопасности при работе бульдозера
.4.3 Техника безопасности при работе катка
.4.4 Техника безопасности при работе автосамосвала
.5 Техника безопасности при земляных работах
.6 Техника безопасности при погрузочно-разгрузочных работах
.7 Правила техники безопасности при эксплуатации стреловых
самоходных кранов (на основе ВСН 274-88)
.7.1 Требования к площадке для эксплуатации кранов
.7.2 Требования к средствам обеспечения безопасности
безопасной эксплуатации кранов
.7.3 Требования безопасности к установке
.7.4 Требования безопасности при работе кранов
.7.5 Электробезопасность при работе кранов
.7.6 Пожарная безопасность при работе кранов
.8 Мероприятия по охране окружающей среды
.8.1 Загрязнение атмосферы
.8.2 Шумовое воздействие на окружающую среду.
.8.3 Меры по защите растений и животных
.8.4 Технологическое загрязнение вод
. Раздел по предотвращению чрезвычайных ситуаций
.1 Идентификация травмирующих и вредных факторов
.2 Прогнозирование и моделирование возникновения опасных
ситуаций. Категорирование производств по степени опасности
.3 Особенности современных аварий и катастроф и пути снижения
их вероятности
.4 Защита населения и территорий в чрезвычайных
ситуациях
.5 Устойчивость функционирования объектов экономики в ЧС
.6 Способы и средства повышения устойчивости функционирования
объектов в ЧС
. Составление календарного графика работ
Заключение
Список использованной литературы
Введение
В данном дипломном проекте предусматривается реконструкция автомобильной
дороги Селищево-Подъяловка, расположенной в Тайшетском районе Иркутской
области.
Реконструируемая дорога имеет большое значение для развития сельского
хозяйства региона и страны. Дорога служит для осуществления связи между
населенными пунктами района и обеспечивает вывоз сельскохозяйственной продукции
с прилегающих полей. Неудовлетворительное состояние дороги снижает
эффективность сельскохозяйственного производства, оказывает отрицательное
влияние на социальное развитие области. Дорога не имеет твердого покрытия, в результате
чего затрудняется вывоз сельскохозяйственной продукции с прилегающих земель
осенью, а в весенний период отодвигаются сроки посевной. Каждый год приходится
затрачивать средства на приведение дороги в надлежащие состояние путем
планировки и укрепления верха земляного полотна.
Существующая дорога перестала справляться с возросшей интенсивностью
движения. По дороге осуществляется транспортное сообщение между городом и
прилегающими деревнями, поэтому для комфортного проезда пассажиров
общественного и частного транспорта необходимо повысить
транспортно-эксплуатационные качества дороги путем её реконструкции. Большое
внимание в процессе реконструкции следует уделять охране окружающей среды, так
как она проходит по населённым пунктам. Существующая дорога относится к V технической категории. Настоящим
проектом предусмотрено доведение параметров дороги до нормативов IV категории, в результате чего,
возрастет её пропускная способность, увеличится скорость движения, уменьшатся
затраты на её содержание и ремонт в осенне-весенний периоды. Всё это
благоприятно скажется на развитии региона.
1. Общая
часть
.1
Географическое положение района строительства
Проектируемая автомобильная дорога расположена в Тайшетском районе
Иркутской области и является частью внутрихозяйственной дороги.
Автомобильная дорога имеет общее направление с
юго-востока на северо-запад.
Дорога обслуживает внутрирайонные и
внутрихозяйственные связи входящих в зону тяготения предприятий и организаций.
В районе тяготения проектируемой дороги хорошо развиты железнодорожные и
автомобильные транспортные связи.
Район пересекают дороги общегосударственного значения,
а также множество дорог местного значения.
Рисунок - 1 Положение дороги на карте масштабом 1:200
000
1.2 Климат
Территория района проложения трассы автодороги,
располагаясь во 2-ой дорожно-климатической зоне избыточного увлажнения,
характеризуется умерено континентальным климатом.
Теплое, нередко влажное лето, со средними температурами июля 17,2 - 17,5
сменяются здесь относительно холодной зимой с постоянным снежным покровом, В
отдельные годы температура воздуха зимой падает до -30 - 40 С. Самыми холодными
и туманными месяцами в году являются январь и февраль (сред. т-ра. -10,0 - 10,4
С). Атмосферные осадки в районе выпадают в значительных количествах,
среднегодовая сумма их -783 мм, причем на холодный период приходится меньшая
часть. За счет этого толщина снежного покрова, даже в защищенных от ветра
местах не более 46 см. Летом дожди выпадают неравномерно, случаются
кратковременные засухи перемешивающие ливнями с грозами. По наблюдениям
метеорологических станции "Калинин" в Иркутской области, климат
района отличают следующие данные:
|
Наименование
|
Месяцы
|
Среднегодовая
|
|
1
|
2
|
3
|
4
|
5
|
6
|
7
|
8
|
9
|
10
|
11
|
12
|
|
|
Абсолютный максимум
температуры воздуха (С')
|
5
|
4
|
14
|
27
|
33
|
34
|
36
|
38
|
33
|
22
|
13
|
8
|
22
|
|
Абсолютный минимум
температуры воздуха (С')
|
-50
|
-42
|
-38
|
-21
|
-7
|
-2
|
3
|
-1
|
-7
|
-22
|
-29
|
-38
|
-21,5
|
Наибольшая глубина проникновения нулевой температуры в грунт при наличии
естественного покрова - более 100, но меньше 170 см. Нормативная глубина
промерзания связанных грунтов - 1,4 м, а супесей мелких и пылеватых - 1,68 м.
|
Даты последнего мороза
|
Даты первого мороза
|
Продолжительность
безморозного периода в днях
|
|
средняя
|
самая ранняя
|
самая поздняя
|
средняя
|
самая ранняя
|
самая поздняя
|
средняя
|
самая ранняя
|
самая поздняя
|
|
23-V
|
18-IV
|
22-VI
|
18-IX
|
10-VII
|
14-X
|
117
|
77
|
154
|
Среднемесячное и годовое количество осадков в мм
|
1
|
2
|
3
|
4
|
5
|
6
|
7
|
8
|
9
|
10
|
11
|
12
|
Холодный период
|
Теплый период
|
Год
|
|
63
|
62
|
55
|
41
|
52
|
81
|
89
|
80
|
68
|
58
|
64
|
70
|
XI-VI 314
|
IV-X 469
|
783
|
Высота снежного покрова по декадам в см.
|
Октябрь
|
Ноябрь
|
Декабрь
|
Январь
|
Февраль
|
Март
|
Апрель
|
Средняя из высот на зиму
|
|
1
|
2
|
3
|
1
|
2
|
3
|
1
|
2
|
3
|
1
|
2
|
3
|
1
|
2
|
3
|
1
|
2
|
3
|
1
|
2
|
3
|
|
|
-
|
-
|
2
|
4
|
|
8
|
12
|
16
|
20
|
25
|
29
|
32
|
37
|
39
|
40
|
40
|
37
|
30
|
20
|
9
|
-
|
46
|
Рейка установлена в защищенном месте
Число дней со снежным покровом - 143
Появление снежного покрова (сред. дата) - 28-Х
Образование устойчивого снежного покрова (сред. дата) - 3028-ХI
Разрушение устойчивого снежного покрова - 8-IV
Сход снежного покрова - 12-IV.
Средняя месячная и годовая скорость ветра м/сек
|
1
|
2
|
3
|
4
|
5
|
6
|
7
|
8
|
9
|
10
|
11
|
12
|
Год
|
|
5,2
|
5,1
|
4,8
|
4,4
|
4,4
|
3,8
|
3,6
|
3,4
|
4,0
|
4,5
|
5,3
|
5,2
|
4,5
|
Скорость ветра более или менее постоянна, несколько увеличиваясь в зимние
месяцы.
Число дней с туманом
|
1
|
2
|
3
|
4
|
5
|
6
|
7
|
8
|
9
|
10
|
11
|
12
|
Год
|
Теплый период 4-9
|
Холодный период 10-3
|
|
4
|
3
|
3
|
4
|
1
|
3
|
5
|
6
|
4
|
4
|
3
|
42
|
20
|
22
|
Число дней с метелью
|
Октябрь
|
Ноябрь
|
Декабрь
|
Январь
|
Февраль
|
Март
|
Апрель
|
Год
|
|
0,5
|
4
|
6
|
9
|
9
|
7
|
1
|
36
|
График изменения среднемесячной температуры построен на основе [1] и
приведён на рисунке 2. В таблице 1 приведены сведения о повторяемости ветра. На
рисунках 3 и 4 приведены зимняя и летняя роза ветров.
Рисунок 2 - График изменения среднемесячной температуры
Таблица 1 - Преобладающее направление ветра
|
С
|
СВ
|
В
|
ЮВ
|
Ю
|
ЮЗ
|
3
|
СЗ
|
|
Январь
|
10
|
11
|
6
|
10
|
13
|
28
|
15
|
|
Июль
|
18
|
10
|
8
|
5
|
5
|
17
|
20
|
17
|
Рисунок 3 - Зимняя роза ветров
Рисунок 4 - Летняя роза ветров
.3 Данные
о грунтах и гидрологических условиях
В геологическом строении района проложения трассы
принимают участие верхнечетвертичные отложения моренных суглинков и супеси и
аллювиальные отложения песков. Суглинки вскрыты на всем протяжении трассы и
залегают непосредственно под насыпным слоем. Насыпной слой представлен песком
пылеватым и разнозернистым, с включениями гравия и гальки, супесью лёгкой. На
границе насыпного слоя и суглинка в пониженных участках скапливаются воды
атмосферных осадков.
Породы, залегающие под насыпным слоем, существенного
влияния на дорожную одежду и покрытие оказывать не будут. Грунтовые воды, вскрытые
при бурении, связаны с накоплением атмосферных осадков и линзами
водонасыщенного песка в толще суглинков.
.4
Характеристика существующей дороги
Земляное полотно существующей дороги имеет ширину 10 м (проектировалось
специально для проезда широкой сельскохозяйственной техники), сложено из
песков, супеси, перемешанных с гравием. В продольном профиле дорога проходит в
насыпи высотой от 0,5 до 1,0 м, а в пониженных местах до 3,0 м. Существующее
покрытие из песчано-гравийной смеси изношено.
На существующей дороге имеются искусственные сооружения - круглые
железобетонные трубы отверстием от 0,5 до 1,5 м, которые находятся в
неудовлетворительном состоянии и требуют реконструкции (оголовки разрушены,
кольца сдвинуты, укрепительных работ нет).
Ведомость дефектов по существующим малым искусственным сооружениям
приведена в таблице 2.
В плане существующая дорога имеет 7 углов поворота, таблица 3. Рельеф
местности равнинный. Дорога проходит по с/х угодьям и по двум населенным
пунктам - д. Киево и д. Лясково
Таблица 2 - Дефектная ведомость по существующим малым искусственным
сооружениям
|
№ соор.
|
Местоположение ПК
|
Наименование водотока
|
Тип сооружения
|
Отверстие трубы
|
Длина сооружения, м
|
Подробное описание дефектов
|
Намечаемые работы
|
Примечание
|
|
1
|
47+43
|
Пониж. место
|
Тр. с ог., кругл., ж/б
|
0,8H2
|
15
|
Ог. раз.,укреп. раб. нет
|
|
Сост. уд.
|
|
2
|
61+71,5
|
Ручей
|
Тр. с ог., кругл., ж/б
|
0,8
|
10
|
Ог. раз.,укреп. раб. нет
|
|
Сост. хор.
|
|
3
|
66+96
|
Ручей
|
Тр. с ог., кругл., ж/б
|
0,8
|
10
|
Ог. раз.
|
|
Сост. неуд.
|
|
4
|
75+55
|
Пониж. место
|
Тр. без ог., кругл., ж/б
|
0,8
|
8
|
Разруш.
|
замена
|
Сост. неуд.
|
|
5
|
85+61
|
Ручей
|
Тр. с ог., кругл., ж/б
|
1,5
|
16
|
Лев. ог. нет, прав. разр.,
просадка звен.
|
замена
|
Сост. неуд.
|
|
6
|
89+84
|
Ручей
|
Тр. с ог., кругл., ж/б
|
0,8
|
10
|
Ог. раз.
|
|
Сост. уд.
|
|
7
|
97+35
|
Пониж. место
|
Тр. с ог., кругл., ж/б
|
0,5
|
10
|
заилена
|
|
Сост. уд.
|
|
8
|
93+04
|
Пониж. место
|
Тр. с ог., кругл., ж/б
|
0,8
|
10
|
Лев. ог. нет
|
|
Сост. неуд.
|
|
9
|
73+25
|
Пониж. место
|
Тр. с ог., кругл., ж/б
|
0,8
|
10
|
Ог. нет
|
|
Сост. неуд.
|
|
10
|
81+25
|
Пониж. место
|
Тр. с ог., кругл., ж/б
|
0,75
|
8
|
Без ог.
|
замена
|
Сост. неуд.
|
|
11
|
82+39
|
Пониж. место
|
Тр. с ог., кругл., ж/б
|
0,75
|
10
|
Без ог.
|
|
Сост. уд.
|
Таблица 3 - Ведомость углов поворота, круговых кривых и прямых
|
N
|
Вершина
|
Угол
|
Элементы круговой и
переходных кривых
|
Границы элементов
|
Расстояние между ВУ
|
Длина прямой вставки
|
Румб
|
|
Пк
|
км
|
Лево
|
Право
|
R
|
L1
|
L2
|
T1
|
T2
|
К полн
|
К сокр
|
Б
|
Д
|
НПК
|
НКК
|
ККК
|
КПК
|
|
|
|
|
НТ
|
47+43,0
|
5
|
0°0'0,0''
|
|
|
|
|
|
|
|
|
|
|
|
|
|
|
|
|
|
|
|
|
|
|
|
|
|
|
|
|
|
|
|
|
|
|
|
|
837,0
|
801,0
|
СЗ:30°35,0'
|
|
ВУ 9
|
55+80,0
|
6
|
1°58'0''
|
|
2100,0
|
0,0
|
0,0
|
36,0
|
36,0
|
72,1
|
72,1
|
0,3
|
0,0
|
55+44,0
|
55+44,0
|
56+16,0
|
56+16,0
|
|
|
|
|
|
|
|
|
|
|
|
|
|
|
|
|
|
|
|
|
|
|
346,5
|
284,2
|
СЗ:32°33'
|
|
ВУ 10
|
59+26,5
|
6
|
|
1°26'0,2''
|
2100,0
|
0,0
|
0,0
|
26,3
|
26,3
|
52,5
|
52,5
|
0,2
|
0,0
|
59+0,2
|
59+0,2
|
59+52,8
|
59+52,8
|
|
|
|
|
|
|
|
|
|
|
|
|
|
|
|
|
|
|
|
|
|
|
1011,9
|
866,9
|
СЗ:31°07'
|
|
ВУ 11
|
69+38,4
|
7
|
|
27°31'0''
|
300,0
|
90,0
|
90,0
|
118,7
|
118,7
|
234,1
|
54,1
|
10,0
|
3,3
|
68+19,7
|
69+9,7
|
69+63,8
|
70+53,8
|
|
|
|
|
|
|
|
|
|
|
|
|
|
|
|
|
|
|
|
|
|
|
529,6
|
331,2
|
СЗ:3°36'
|
|
ВУ 12
|
74+64,7
|
8
|
4°21'0''
|
|
2100,0
|
0,0
|
0,0
|
79,8
|
79,8
|
159,4
|
159,4
|
1,5
|
0,1
|
73+85,0
|
73+85,0
|
75+44,4
|
75+44,4
|
|
|
|
|
|
|
|
|
|
|
|
|
|
|
|
|
|
|
|
|
|
196,6
|
10,8
|
СЗ:7°57'
|
|
ВУ 13
|
76+61,2
|
8
|
|
29°30'0''
|
250,0
|
80,0
|
80,0
|
106,1
|
106,1
|
208,7
|
48,7
|
9,6
|
3,4
|
75+55,2
|
76+35,2
|
76+83,9
|
77+63,9
|
|
|
|
|
|
|
|
|
|
|
|
|
|
|
|
|
|
|
|
|
|
|
412,2
|
213,9
|
СВ:21°33'
|
|
ВУ 14
|
80+70,0
|
9
|
5°2'0,1''
|
|
2100,0
|
0,0
|
0,0
|
92,3
|
92,3
|
184,5
|
184,5
|
2,0
|
0,1
|
79+77,7
|
79+77,7
|
81+62,2
|
81+62,2
|
|
|
|
|
|
|
|
|
|
|
|
|
|
|
|
|
|
|
|
|
|
|
1994,6
|
1797,9
|
СВ:16°31'
|
|
ВУ 15
|
100+64,5
|
11
|
6°14'0''
|
|
1000,0
|
100,0
|
100,0
|
104,5
|
104,5
|
208,8
|
8,8
|
1,9
|
0,1
|
99+60,1
|
100+60,1
|
100+68,9
|
101+68,9
|
|
|
|
|
|
|
|
|
|
|
|
|
|
|
|
|
|
|
|
|
|
|
549,2
|
444,7
|
СВ:10°17'
|
|
КТ
|
106+13,6
|
11
|
0°0'0,0''
|
|
|
|
|
|
|
|
|
|
|
|
|
|
|
|
|
|
.5
Рекомендуемые к использованию дорожно-строительные материалы
Предполагается для подсыпки земполотна использовать грунтовый резерв,
расположенный в 7 км от конца трассы вблизи д. Лямово. Вид занимаемых угодий -
неудобные земли. Площадь отвода - 1 га. Грунт резерва - песок мелкий.
Коэффициент фильтрации - 0,9 - 3,5 м/сут. Содержание пыли и глины - 1,8 - 3,4
%. Плотность песка - 1600 кг/м³.
Для подстилающего слоя предполагается использовать речной песок,
доставляемый в порт Тверь с устья р. Созь, который представлен песком средней
крупности со следующими характеристиками: коэффициент фильтрации - 3,5 м/сут,
содержание пыли и глины - 1%. Плотность песка - 1600 кг/м³. Расстояние перевозки по водным
путям - 80 км. Далее песок перевозится автотранспортом на расстояние 40 км.
Асфальтобетон поступает с АБЗ г. Тверь на трассу на расстояние 25 км. Сборные
бетонные и железобетонные конструкции доставляются с ЖБК Фили Московской
области автотранспортом на расстояние 177 км.
Для реконструкции дороги щебень для основания используется из
Баталинского карьера, а щебень мелкой фракции для асфальтобетонной смеси - из
Выползовского карьера. Доставка их осуществляется по железной дороге до ст.
Тверь на расстояние 200 км.
Выползовский щебнезавод вырабатывает щебень фракции
5-10 мм, 10-20 мм и 20-40 мм. По дробимости щебень имеет марку - 600, по
морозостойкости - 25, содержание зерен слабых пород - 2%, плотность - 1650 кг/м³. Щебень относится к 3 классу III группы пород.
Баталинский щебнезавод вырабатывает щебень крупных
фракций. По дробимости имеет марку - 600, по морозостойкости - 25, IV класс прочности.
2.
Технический проект дороги
.1
Нормативные данные
Категорию проектируемой дороги устанавливаем по СНиП
2.05.02-85 [2] при помощи расчетной интенсивности движения по дороге на
двадцатый год эксплуатации (2027 г), которая составит 180 авт/сут, в том числе
грузовых 140 авт/сут.
Исходя из требуемой категории дороги, определяем основные параметры
проектирования [2]. Результаты приведем в виде таблицы 4.
Таблица 4 - Основные параметры проектирования дороги
|
Параметры проектирования
|
Единицы измерения
|
Величина по СНиП
2.05.02.-85
|
Принято
|
|
Категория дороги
|
-
|
IV
|
IV
|
|
Расчетная скорость движения
|
км/ч
|
80
|
80
|
|
Число полос движения
|
шт
|
2
|
2
|
|
Ширина проезжей части
|
м
|
6
|
6
|
|
Ширина обочин
|
м
|
2
|
2
|
|
Наименьшая ширина
укрепленной полосы обочины
|
м
|
0,5
|
0,5
|
|
Ширина земляного полотна
|
м
|
10
|
10
|
|
Наибольший продольный уклон
|
%
|
60
|
47
|
|
Наименьшее расстояние
видимости: - для остановки
|
м
|
250
|
250
|
|
- для встречного автомобиля
|
м
|
300
|
300
|
|
Наименьший радиус кривых: -
в плане
|
м
|
300
|
250
|
|
- в продольном профиле: -
выпуклых
|
м
|
5000
|
4000
|
|
- вогнутых
|
м
|
2000
|
2600
|
Радиус в плане равный 250м, не соответствующий СНиП
[2] применен на участке дороги, проходящей через д. Лясково и обоснован
следующим:
участок имеет длину 128,72 м, что составляет 2% от
общей протяженности дороги (5,871 км).
в деревне существует ограничение скорости до 60 км/ч.
Радиус в 250 м может вызовать снижение скорости только до 70 км/ч.
снос домов и построек вызовет огромные денежные
затраты.
На основании этого принимаем решение о применении в
данной ситуации радиуса равного 250 м. Применение такого радиуса поворота
согласовано со всеми заинтересованными сторонами.
.2 План и
продольный профиль
.2.1 План
трассы
Трасса автодороги расположена в Тайшетском районе
Иркутской области и имеет севернее направление. Начало трассы ПК 47+43 расположено
на ж.б. трубе отв. 2х 0,8 у д. Селищево. Конец трассы ПК 106+15 находится на
существующей дороге у съезда в д. Подъяловка. Протяжение проектируемого участка
5,87 км. Трасса дороги проходит по двум населенным пунктам д. Киево и д.
Лясково на протяжении, соответственно, 400 м и 600 м.
При приложении трассы выполнено 7 углов поворота. Все
углы назначены для совмещения трассы с существующей дорогой. На кривых с
радиусами 500 м и менее для более плавного движения автомобилей предусмотрено
устройство виражей. Видимость в плане обеспечена. Автодорогу пересекают
воздушные линии связи и электропередач, не мешающие её реконструкции. На
местности трасса закреплена стандартными деревянными столбами или
"привязана" к постоянным местным предметам (опорам линий электра
передач). Схемы закрепления трассы приведены на плане трассы, выполненном в
масштабе 1:10000 [Лист 1 "План трассы"].
.2.2
Продольный профиль
Район проложения трассы характеризуется равнинным
рельефом. Проектирование продольного профиля выполнено в программном комплексе CREDO и с учетом требований [2], [3]:
. Предотвращения увлажнения верхней части насыпи
. Незаносимости дороги снегом
. Обеспечения безопасности движения и наименьшего
ограничения скорости.
Возвышение верха дорожной одежды над уровнем поверхности
земли на участках с необеспеченным поверхностным стоком в соответствии с п.
6.10 и табл. 21 [2] при насыпи, слагаемой из пылеватых песков и супесей легких
- 1,2 м.
По условию снегонезаносимости высота насыпи по бровке
должна быть на 0,5м выше расчетной высоты снежного покрова, равного для данного
территориального района 0,71 м (руководящая отметка 1,21м).
Исходя из двух вышеуказанных условий, руководящая отметка при проектировании
продольного профиля по оси принята 1,21 м.
Нормативы для проектирования продольного профиля
приняты для дорог IV технической
категории из условия наиболее рационального профиля и обеспечения видимости
[2]. Наименьшие примененные радиусы вертикальных кривых: вогнутых - 2600 м,
выпуклых - 4000м. Применение больших радиусов вызовет увеличение объема
земляных работ и устройство выемки в населенном пункте. Максимальный продольный
уклон составляет 47%о. На всём протяжении трасса дороги проходит в насыпи. На
протяжении почти всей дороги запроектирована подрезка существующего земполотна
для устройства дорожной одежды.
В высотном отношении трасса закреплена реперами в
соответствии с [4]. Местоположение и отметки реперов указаны на продольном
профиле (Лист 2). Система высот условная. Проектные и рабочие отметки относятся
к оси проезжей части.
2.3
Поперечные профили земляного полотна
.3.1
Земляное полотно
Новое земляное полотно запроектировано с учетом
грунтово-геологических и гидрологических условий по трассе в соответствии со
[2]. Поперечные профили земляного полотна приняты по типовому проекту серии
503-0-48.87 "Земляное полотно автомобильных дорог общего
пользования".
Ширина земляного полотна - 10м, поперечный уклон верха
земполотна-20%о. Крутизна откосов насыпи принята 1:1,5. Проектом
предусматриваются 2 типа поперечных профилей земляного полотна. Средние отметки
старой и новой насыпи приведены в таблице 5. Поперечные профили и их привязка к
местности дана на рисунке 5 "Поперечные профили земляного полотна".
Существующее земполотно досыпается до проектных отметок песчаным грунтом
из резерва у д. Лямово. Отсыпка земляного полотна предусмотрена слоями с
последующим уплотнением.
Отвод поверхностных вод с полотна дороги
осуществляется боковыми водоотводными канавами треугольного сечения с крутизной
откосов 1:1,5.
Проектом предусмотрено укрепление откосов земполотна
гидропосевом и засевом трав с плакировкой. В качестве плакировочного слоя
используется ранее снятый растительный грунт с откосов насыпи.
Для предохранения обочин от размыва предусматривается
укрепление их гидропосевом. Проезжей части придается двухскатный профиль с
поперечным уклоном 20%о, уклон обочин 50%о. На кривых с радиусами менее 500 м
устраиваются виражи с поперечным уклоном 40%о.
Таблица 5 - Средние отметки старой и новой насыпи
|
От земли до верха новой
|
Новая без д.о.
|
От старой до новой
|
Типы п.п.
|
Тип 3 сред
|
Тип 2 сред
|
Сред. Выс нов. насыпи
|
Высота стар. насыпи
|
Сред. Выс стар. насыпи
|
Тип 3 сред стар
|
Тип 2 сред стар
|
|
2,12
|
1,39
|
0,54
|
Тип 3
|
1,6324
|
0,75826
|
1,59563
|
1,58
|
1,03438
|
0,871
|
0,31792
|
|
1,13
|
0,40
|
0,75
|
|
|
|
|
0,38
|
|
|
|
|
2,32
|
1,59
|
0,78
|
|
|
|
|
1,54
|
|
|
|
|
1,92
|
1,19
|
0,56
|
|
|
|
|
1,36
|
|
|
|
|
1,73
|
1,00
|
0,48
|
|
|
|
|
1,25
|
|
|
|
|
1,63
|
0,90
|
0,46
|
|
|
|
|
1,17
|
|
|
|
|
1,33
|
0,60
|
0,4
|
|
|
|
|
0,93
|
|
|
|
|
1,45
|
0,72
|
0,49
|
|
|
|
|
0,96
|
|
|
|
|
1,61
|
0,88
|
0,67
|
|
|
|
|
0,94
|
|
|
|
|
1,44
|
0,71
|
0,52
|
|
|
|
|
0,92
|
|
|
|
|
1,37
|
0,64
|
0,41
|
|
|
|
|
0,96
|
|
|
|
|
1,15
|
0,42
|
0,4
|
|
|
|
|
0,75
|
|
|
|
|
1,13
|
0,40
|
0,51
|
|
|
|
|
0,62
|
|
|
|
|
1,48
|
0,75
|
0,6
|
|
|
|
|
0,88
|
|
|
|
|
1,68
|
0,95
|
0,63
|
|
|
|
|
1,05
|
|
|
|
|
2,04
|
1,31
|
0,78
|
|
|
|
|
1,26
|
|
|
|
|
1,82
|
1,09
|
0,62
|
|
|
|
1,57833
|
1,2
|
0,87722
|
|
|
|
1,35
|
0,62
|
0,24
|
|
|
|
|
1,11
|
|
|
|
|
1,41
|
0,68
|
0,2
|
|
|
|
|
1,21
|
|
|
|
|
0,81
|
0,08
|
0,31
|
Тип 2
|
|
|
|
0,5
|
|
|
|
|
1,4
|
0,67
|
0,58
|
Тип 3
|
|
|
|
0,82
|
|
|
|
|
2,36
|
1,63
|
1,03
|
|
|
|
|
1,33
|
|
|
|
|
2,73
|
2,00
|
|
|
|
|
1,48
|
|
|
|
|
2
|
1,27
|
0,94
|
|
|
|
|
1,06
|
|
|
|
|
1,5
|
0,77
|
0,92
|
|
|
|
|
0,58
|
|
|
|
|
1,23
|
0,50
|
0,68
|
|
|
|
|
0,55
|
|
|
|
|
1,27
|
0,54
|
0,76
|
|
|
|
|
0,51
|
|
|
|
|
1,29
|
0,56
|
0,82
|
|
|
|
|
0,47
|
|
|
|
|
1,28
|
0,55
|
0,62
|
|
|
|
|
0,66
|
|
|
|
|
1,25
|
0,52
|
0,81
|
|
|
|
|
0,44
|
|
|
|
|
1,55
|
0,82
|
0,73
|
|
|
|
|
0,82
|
|
|
|
|
2,13
|
1,40
|
0,79
|
|
|
|
|
1,34
|
|
|
|
|
1,79
|
1,06
|
0,79
|
|
|
|
|
1
|
|
|
|
|
1,24
|
0,51
|
0,53
|
|
|
|
|
0,71
|
|
|
|
|
0,74
|
0,01
|
0,97
|
Тип 2
|
|
|
1,09737
|
-0,23
|
0,39
|
|
|
|
0,46
|
-0,28
|
0,53
|
|
|
|
|
-0,07
|
|
|
|
|
0,58
|
-0,16
|
0,57
|
|
|
|
|
0,01
|
|
|
|
|
0,62
|
-0,12
|
0,35
|
|
|
|
|
0,27
|
|
|
|
|
0,97
|
0,24
|
0,23
|
|
|
|
|
0,74
|
|
|
|
|
0,83
|
0,10
|
0,37
|
|
|
|
|
0,46
|
|
|
|
|
1,18
|
0,45
|
0,68
|
Тип 3
|
|
|
|
0,5
|
|
|
|
|
1,27
|
0,54
|
0,74
|
|
|
|
|
0,53
|
|
|
|
|
1,79
|
1,06
|
1,03
|
|
|
|
|
0,76
|
|
|
|
|
1,82
|
1,09
|
0,78
|
|
|
|
|
1,04
|
|
|
|
|
1,23
|
0,50
|
0,67
|
|
|
|
|
0,56
|
|
|
|
|
0,9
|
0,17
|
0,59
|
Тип 2
|
|
|
|
0,31
|
|
|
|
|
0,58
|
-0,16
|
0,41
|
|
|
|
|
0,17
|
|
|
|
|
1,22
|
0,49
|
1,34
|
Тип 3
|
|
|
|
-0,12
|
|
|
|
|
2,69
|
1,96
|
2,12
|
|
|
|
|
0,57
|
|
|
|
|
1,67
|
0,94
|
1,36
|
|
|
|
|
0,31
|
|
|
|
|
0,65
|
-0,09
|
0,03
|
Тип 2
|
|
|
|
0,62
|
|
|
|
|
0,72
|
-0,02
|
0,23
|
|
|
|
|
0,49
|
|
|
|
|
0,93
|
0,20
|
0,44
|
|
|
|
|
0,49
|
|
|
|
|
1
|
0,27
|
0,44
|
|
|
|
1,30118
|
0,56
|
0,51706
|
|
|
|
0,93
|
0,20
|
0,28
|
|
|
|
|
0,65
|
|
|
|
|
0,77
|
0,04
|
0,44
|
|
|
|
|
0,33
|
|
|
|
|
0,79
|
0,06
|
0,4
|
|
|
|
|
0,39
|
|
|
|
|
0,88
|
0,15
|
0,38
|
|
|
|
|
0,5
|
|
|
|
|
2,06
|
1,33
|
1,14
|
Тип 3
|
|
|
|
0,92
|
|
|
|
|
1,29
|
0,56
|
0,77
|
|
|
|
|
0,52
|
|
|
|
|
1,87
|
1,14
|
0,88
|
|
|
|
|
0,99
|
|
|
|
|
1,83
|
1,10
|
0,74
|
|
|
|
|
1,09
|
|
|
|
|
1,08
|
0,35
|
0,4
|
|
|
|
|
0,68
|
|
|
|
|
0,58
|
-0,16
|
0,18
|
Тип 2
|
|
|
|
0,4
|
|
|
|
|
1,79
|
1,06
|
1,36
|
Тип 3
|
|
|
|
0,43
|
|
|
|
|
2,98
|
2,25
|
2,01
|
|
|
|
|
0,97
|
|
|
|
|
1,65
|
0,92
|
1,81
|
|
|
|
|
-0,16
|
|
|
|
|
1,1
|
0,37
|
1
|
|
|
|
|
0,1
|
|
|
|
|
0,71
|
-0,03
|
0,42
|
Тип 2
|
|
|
|
0,29
|
|
|
|
|
0,81
|
0,08
|
0,68
|
|
|
|
|
0,13
|
|
|
|
|
0,74
|
0,01
|
0,54
|
|
|
|
1,63867
|
0,2
|
0,71667
|
|
|
|
3,22
|
2,49
|
2,14
|
Тип 3
|
|
|
|
1,08
|
|
|
|
|
2,8
|
2,07
|
2,17
|
|
|
|
|
0,63
|
|
|
|
|
2,13
|
1,40
|
1,63
|
|
|
|
|
0,5
|
|
|
|
|
1,11
|
0,38
|
0,9
|
|
|
|
|
0,21
|
|
|
|
|
1,05
|
0,32
|
0,49
|
|
|
|
|
0,56
|
|
|
|
|
2,23
|
1,50
|
1,11
|
|
|
|
|
1,12
|
|
|
|
|
1,38
|
0,65
|
0,81
|
|
|
|
|
0,57
|
|
|
|
|
1,24
|
0,51
|
0,67
|
|
|
|
|
0,57
|
|
|
|
|
1
|
0,27
|
0,42
|
|
|
|
|
0,58
|
|
|
|
|
1,25
|
0,52
|
0,39
|
|
|
|
|
0,86
|
|
|
|
|
1,56
|
0,83
|
0,68
|
|
|
|
|
0,88
|
|
|
|
|
1,71
|
0,98
|
0,83
|
|
|
|
|
0,88
|
|
|
|
|
2,02
|
1,29
|
0,73
|
|
|
|
|
1,29
|
|
|
|
|
1,14
|
0,41
|
0,32
|
|
|
|
|
0,82
|
|
|
|
|
1,4
|
0,67
|
0,56
|
|
|
|
1,41385
|
0,84
|
0,88615
|
|
|
|
1,05
|
0,32
|
0,33
|
|
|
|
|
0,72
|
|
|
|
|
0,59
|
-0,15
|
0,46
|
Тип 2
|
|
|
|
0,13
|
|
|
|
|
0,85
|
0,12
|
0,56
|
|
|
|
|
0,29
|
|
|
|
|
1,12
|
0,39
|
0,6
|
Тип 3
|
|
|
|
0,52
|
|
|
|
|
1,58
|
0,85
|
0,66
|
|
|
|
|
0,92
|
|
|
|
|
1,76
|
1,03
|
0,53
|
|
|
|
|
1,23
|
|
|
|
|
1,73
|
1,00
|
0,64
|
|
|
|
|
1,09
|
|
|
|
|
1,61
|
0,88
|
0,5
|
|
|
|
|
1,11
|
|
|
|
|
1,69
|
0,96
|
0,41
|
|
|
|
|
1,28
|
|
|
|
|
1,8
|
1,07
|
0,4
|
|
|
|
|
1,4
|
|
|
|
|
1,61
|
0,88
|
0,56
|
|
|
|
|
1,05
|
|
|
|
|
1,59
|
0,86
|
0,65
|
|
|
|
|
0,94
|
|
|
|
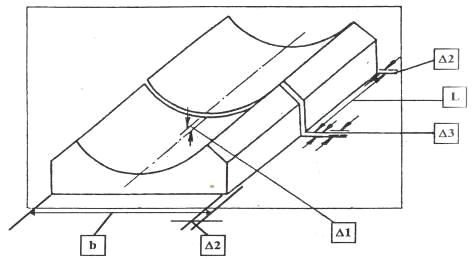
2.4
Искусственные сооружения
Всего по трассе запроектировано 8 железобетонных труб с нормальным
входным звеном. Конструкция труб принята по типовому проекту
"Унифицированные сборные водопропускные трубы для автомобильных
дорог", выпущенному Главтранспроектом в 1969 году инв. № 777/1, 777/2.
Фундаменты выполняются из сборных лекальных ж.б. блоков (фундамент типа I).
2.5
Дорожная одежда
.5.1
Назначение конструкций дорожной одежды и расчет вариантов
Конструкция дорожной одежды разработана с учетом
категории дороги, климатических и грунтово-геологических условий, обеспечения
дорожно-строительными материалами. Расчет дорожной одежды произведен в
соответствии с ОДН 218.046-01 [4] на ЭВМ в программе "Robur-Дорожная одежда". В проекте
разработано 5 вариантов дорожной одежды.
Общие сведения для расчёта дорожной
одежды:
Район проектирования: Тайшетский район Иркутской
области
Название объекта: Автомобильная дорога Селищево -
Подъяловка.
Категория дороги - 4.
Дорожно-климатическая зона - II-6
Тип местности по увлажнению - 2
Расстояние от уровня грунтовых вод до низа дорожной
одежды - 3,00 м
Тип дорожной одежды - облегченный
Тип нагрузки: А 1:
Требуемый уровень надежности - 0.95
Коэффициент прочности - 1,17
Глубина промерзания грунта в районе проектирования -
1,40 м
Расчетные нагрузки:
Группа расчетной нагрузки: A1
Диаметр штампа расчетного колеса, см = 37,000
Приведенная интенсивность на год службы T=1, авт/сут =
27,750
Расчетное количество дней в году = 125
Суммарное расчетное число приложений расчетной
нагрузки = 30594,651
Вариант 1
|
№ п/п
|
Наименование конструктивных
слоев
|
Толщина, см
|
Критерий
|
Предельное значение, МПа
|
Действительное значение,
МПа
|
Кпр
|
Кпр треб.
|
Асфальтобетон горячий
плотный тип Б на вязком битуме БНД и БН марки: 90/130 E=2400 МПа
Gamma=2400,00, E1=2400,00, E2=1200,00, E3=3600,00, M=5,00, Alpha=5,40,
R0=9,50
|
5
|
Упругий прогиб Растяжение
при изгибе
|
150,00 4,312
|
282,70 1,622
|
1,885 2,658
|
1,170 1,000
|
|
2
|
Черный щебень, устроен. по
способу пропитки битумом E=400 МПа Gamma=1850,00, E=400,00
|
13
|
|
|
|
|
|
|
3
|
Щебеночные смеси с
непрерывной гранулометрией при максимальнгом размере зерен 120 мм E=280 МПа
Gamma=1900,00, E=280,00
|
30
|
|
|
|
|
|
|
4
|
Песчаныеоснования песок
средней крупности содержание пылевато-глинистой фракции: 0% Gamma=2000,00,
E=120,00, C=0,00300, Phi=28,77, Phi_стат=33,00
|
30
|
Сдвиг
|
0,04282
|
0,01929
|
2,220
|
1,000
|
|
5
|
Грунт песок средней
крупности содержание пылевато-глинистой фракции: 5% E=120,00, C=0,00300,
Phi=28,77, Phi_стат=33,00
|
0
|
Сдвиг
|
0,01294
|
0,01280
|
1,011
|
1,000
|
Вариант 2
|
№ п/п
|
Наименование конструктивных
слоев
|
Толщина, см
|
Критерий
|
Предельное значение, МПа
|
Действительное значение,
МПа
|
Кпр
|
Кпр треб.
|
|
1
|
Асфальтобетон горячий
плотный тип Б на вязком битуме БНД и БН марки: 90/130 E=2400 МПа
Gamma=2400,00, E1=2400,00, E2=1200,00, E3=3600,00, M=5,00, Alpha=5,40,
R0=9,50
|
4,5
|
Упругий прогиб Растяжение
при изгибе
|
150,00 3,293
|
347,24 1,312
|
2,315 2,511
|
1,170 1,000
|
|
2
|
Черный щебень, уложенный по
способу заклинки E=900 МПа Gamma=1850,00, E=900,00
|
14
|
|
|
|
|
|
|
3
|
Щебень. фр. 40-70 мм
легкоуплотн. с заклинк фракционированным мелким щебнем E=450 МПа
Gamma=1600,00, E=450,00
|
20
|
|
|
|
|
|
|
4
|
Песчаные основания песок
средней крупности содержание пылевато-глинистой фракции: 0% Gamma=1950,00,
E=120,00, C=0,00298, Phi=27,98, Phi_стат=32,00
|
35
|
Сдвиг
|
0,02909
|
0,02109
|
1,379
|
1,000
|
|
5
|
Грунт песок средней
крупности содержание пылевато-глинистой фракции: 5% E=120,00, C=0,00298,
Phi=27,96, Phi_стат=33,00
|
0
|
Сдвиг
|
0,01187
|
0,01158
|
1,026
|
1,000
|
Вариант 3
|
№ п/п
|
Наименование конструктивных
слоев
|
Толщина, см
|
Критерий
|
Предельное значение, МПа
|
Действительное значение,
МПа
|
Кпр
|
Кпр треб.
|
|
1
|
Асфальтобетон горячий
плотный тип Б на вязком битуме БНД и БН марки: 90/130 E=2400 МПа
Gamma=2400,00, E1=2400,00, E2=1200,00, E3=3600,00, M=5,00, Alpha=5,40,
R0=9,50
|
3
|
Упругий прогиб
|
150,00
|
365,18
|
2,435
|
1,170
|
|
2
|
Асфальтобетон горячий
пористый крупнозернистый на вязком битуме БНД и БН марки: 90/130 E=1400 МПа
Gamma=2300,00, E1=1400,00, E2=800,00, E3=2200,00, M=4,00, Alpha=6,30, R0=7,80
|
6
|
Растяжение при изгибе
|
1,760
|
1,198
|
1,469
|
1,000
|
|
3
|
Черный щебень, уложенный по
способу заклинки E=900 МПа Gamma=1850,00, E=900,00
|
13
|
|
|
|
|
|
|
4
|
Щебень. фр. 40-70 мм
легкоуплотн. с заклинк фракционированным мелким щебнем E=450 МПа
Gamma=1600,00, E=450,00
|
15
|
|
|
|
|
|
|
5
|
Песчаные основания песок
средней крупности содержание пылевато-глинистой фракции: 0% Gamma=1950,00,
E=120,00, C=0,00298, Phi=27,98, Phi_стат=32,00
|
35
|
Сдвиг
|
0,02918
|
0,02193
|
1,331
|
1,000
|
|
6
|
Грунт песок средней
крупности содержание пылевато-глинистой фракции: 5% E=120,00, C=0,00298,
Phi=27,96, Phi_стат=33,00
|
0
|
Сдвиг
|
0,01190
|
0,01183
|
1,006
|
1,000
|
Вариант 4
|
№ п/п
|
Наименование конструктивных
слоев
|
Толщина, см
|
Критерий
|
Предельное значение, МПа
|
Действительное значение,
МПа
|
Кпр
|
Кпр треб.
|
|
1
|
Асфальтобетон горячий
плотный тип Б на вязком битуме БНД и БН марки: 90/130 E=2400 МПа
Gamma=2400,00, E1=2400,00, E2=1200,00, E3=3600,00, M=5,00, Alpha=5,40,
R0=9,50
|
5
|
Упругий прогиб Растяжение
при изгибе
|
150,00 3,293
|
323,25 1,456
|
2,155 2,262
|
1,170 1,000
|
|
2
|
Щеб.-грав.-песчаная смесь,
обработ. цементом неоптимальные соответствующие марке 100 E=950 МПа
Gamma=2100,00, E=950,00
|
10
|
|
|
|
|
|
|
3
|
Щебень. фр. 40-70 мм
легкоуплотн. с заклинк фракционированным мелким щебнем E=450 МПа
Gamma=1600,00, E=450,00
|
20
|
|
|
|
|
|
|
4
|
Песчаные основания песок
средней крупности содержание пылевато-глинистой фракции: 0% Gamma=1950,00,
E=120,00, C=0,00298, Phi=27,98, Phi_стат=32,00
|
39
|
Сдвиг
|
0,02817
|
0,01992
|
1,414
|
1,000
|
|
5
|
Грунт песок средней
крупности содержание пылевато-глинистой фракции: 5% E=120,00, C=0,00298,
Phi=27,96, Phi_стат=33,00
|
0
|
Сдвиг
|
0,01214
|
0,01201
|
1,011
|
1,000
|
Вариант 5
|
№ п/п
|
Наименование конструктивных
слоев
|
Толщина, см
|
Критерий
|
Предельное значение, МПа
|
Действительное значение,
МПа
|
Кпр
|
Кпр треб.
|
|
1
|
Асфальтобетон горячий
плотный тип Б на вязком битуме БНД и БН марки: 90/130 E=2400 МПа
Gamma=2400,00, E1=2400,00, E2=1200,00, E3=3600,00, M=5,00, Alpha=5,40,
R0=9,50
|
5
|
Упругий прогиб Растяжение
при изгибе
|
150,00 3,293
|
338,13 1,403
|
2,254 2,347
|
1,170 1,000
|
|
2
|
Щеб.-грав.-песчаные смеси,
неоптимальные обрабртанные жидкими орган. вяж с минеральными вяж. E=700 МПа
Gamma=2100,00, E=700,00
|
16
|
|
|
|
|
|
|
3
|
Щебень. фр. 40-70 мм
легкоуплотн. с заклинк фракционированным мелким щебнем E=450 МПа Gamma=1600,00,
E=450,00
|
18
|
|
|
|
|
|
|
4
|
Песчаные основания песок
средней крупности содержание пылевато-глинистой фракции: 0% Gamma=1950,00,
E=120,00, C=0,00298, Phi=27,98, Phi_стат=32,00
|
34
|
Сдвиг
|
0,03052
|
0,02175
|
1,403
|
1,000
|
|
5
|
Грунт песок средней
крупности содержание пылевато-глинистой фракции: 5% E=120,00, C=0,00298,
Phi=27,96, Phi_стат=33,00
|
0
|
Сдвиг
|
0,01212
|
0,01211
|
1,001
|
1,000
|
2.5.2
Технико-экономическое сравнение вариантов
Сравнение вариантов конструкций дорожной одежды произведем по приведенным
затратам на строительство, определенным по нормативным документам [5]. Расчет
проведем по каждому из пяти вариантов по формуле
(1)
где
С1, …, С5 - приведенные затраты на строительство
отдельного конструктивного слоя дорожной одежды на 1000 м²;
Для
каждого из вариантов по формуле (1) получим
По результатам сравнения наиболее дешевыми являются
четвертый и пятый вариант, но учитывая отсутствие опыта строительства слоев
дорожных одежд с применением минеральных вяжущих, а также отсутствие машин и
оборудования для приготовления и строительства таких слоев у строительных
организаций Иркутской области, эти варианты далее рассматриваться не будут. Так
же применение основания из щебня, пропитанного битумом в данной
дорожно-климатической зоне не целесообразно. К проектированию принят второй
вариант, как наиболее дешевый и в большей степени отвечающий возможностям
строительных организаций.
Конструкция дорожной одежды и расход материалов для
устройства покрытия помещены на листе 3. Конструкция принятой дорожной одежды
приведена также на рисунке 6.
Для выбранной конструкции дорожной одежды определим
необходимое количество материалов, таблица 6.
Таблица 6 - Потребное количество материалов
|
Наименование
конструктивного слоя
|
Материал слоя
|
Ед. зм.
|
Количество материалов
|
|
|
|
на 1 км
|
на всю дорогу
|
|
Покрытие
|
асфальтобетонная смесь типа
Б на вязком битуме БНД 90/130 по ГОСТ 9128-97
|
т
|
763
|
4480
|
|
щебень фракции 5-20 мм -
50%
|
м³
|
166
|
974
|
|
песок - 33%
|
м³
|
116
|
682
|
|
минеральный порошок - 10%
|
т
|
76
|
448
|
|
битум - 7%
|
т
|
53
|
314
|
|
Верхний слой основания
|
щебень черный фракций 10-20
мм
|
т
|
180
|
1055
|
|
щебень черный фракций 20-40
мм
|
т
|
1911
|
11220
|
|
Нижний слой основания
|
щебень из естественного
камня для строительных работ марки 800 фракции 10(15)-20(25) мм по ГОСТ
8267-82
|
м³
|
140
|
822
|
|
щебень из естественного
камня для строительных работ марки 800 фракции 40-70 мм по ГОСТ 8267-82
|
м³
|
1764
|
10356
|
|
вода
|
м³
|
280
|
1644
|
|
Дополнительный слой
основания
|
песок по ГОСТ 8736-93
|
м³
|
4305
|
25274
|
Рисунок 6 - Принятая конструкция дорожной одежды
2.6
Подсчёт объёмов земляных работ
Объёмы земляных работ считаем по средним отметкам насыпей (существующей и
новой) на 1 км и заносим в таблицу 7.
Таблица 7 - Покилометровая ведомость объёмов земляных работ
|
Км
|
Средние рабочие отметки
|
Длина, м
|
Прфильные объёмы
|
Объём срезки
|
Устройство д.о.
|
Удол. раст. слой
|
Объём досып. обоч.
|
Об. грунта насыпи
|
Объём с учетом Куп.
|
|
стар
|
нов
|
|
стар
|
стар. ниже д.о
|
нов
|
|
|
|
|
|
|
|
1
|
2
|
3
|
4
|
5
|
6
|
7
|
8
|
9
|
10
|
11
|
12
|
13
|
|
1
|
1
|
1,6
|
1057
|
12568
|
10676
|
20791
|
1902
|
7240
|
602
|
1374
|
2103
|
2208
|
|
2
|
0,9
|
1,6
|
1000
|
9961
|
9610
|
19540
|
352
|
6850
|
630
|
1300
|
2410
|
2531
|
|
3
|
0,4
|
1,1
|
1000
|
4128
|
3877
|
12815
|
251
|
6850
|
540
|
1300
|
1328
|
1394
|
|
4
|
0,5
|
1,3
|
1000
|
5606
|
-
|
15535
|
нет
|
6850
|
617
|
1300
|
2396
|
2427
|
|
5
|
0,7
|
1,6
|
1000
|
7978
|
20434
|
нет
|
6850
|
742
|
1300
|
5048
|
5300
|
|
6
|
0,9
|
1,4
|
814
|
8212
|
6318
|
13789
|
1893
|
5576
|
399
|
1058
|
1236
|
1298
|
|
Всего
|
4398
|
|
3530
|
|
15158
|
В среднем на 1 км необходимо 2526 м³ песка. Объём грунта, полученного при
разработке кюветов, составляет 1012 м³.
.7
Распределение земляных масс
Сущность задачи заключается в том, что надо определить, куда и в каких
объемах следует вывозить грунт, получаемый при разработке выемок, И где и в
каких объемах взять грунт для отсыпки насыпей. График приведен на рисунке 7.
Рисунок 7 - График распределения земляных масс
.8
Обоснование способов производства земляных работ
строительство дорожный котлован стоимость
После распределения земляных масс всю трассу разбиваем
на участки с примерно однородными условиями производства работ. Это дает нам
возможность рассчитать объемы работ, которые могут быть выполнены определенным
комплектом механизмов с максимальной производительностью.
Т. к. по длине трассы нет мест с объёмом работ больше
2000 м³ на пикет относим все работы к
линейным.
После этого устанавливаем способы отсыпки каждого
участка насыпи и разработки выемки. Полученные данные сводят в таблицу 8.
Таблица 8 - Способы производства земляных работ
|
Способы Работ
|
Участки
|
Общая длина, м
|
Объемы, м³
|
Характеристика работ
|
|
Возведение насыпи из грунта
кюветов
|
ПК 58-ПК 68 ПК 88-КТ
|
3814
|
1012
|
Линейные
|
|
Возведение насыпи из грунта
карьера
|
ПК 78-ПК 88
|
1000
|
2427
|
Линейные
|
|
Досыпка насыпи из грунта
карьера
|
НТ-ПК 78 ПК 88-КТ
|
4871
|
7321
|
Линейные
|
|
Срезка существующего
покрытия с перемещением грунта на откосы
|
НТ-ПК 78 ПК 98-КТ
|
3871
|
3803
|
Линейные
|
|
Отсыпка насыпи из грунта
полученного при срезке существующего земполотна
|
ПК 88-ПК 98
|
1000
|
657
|
Линейные
|
После выбора способов производства земляных работ приступаем к определению
средневзвешенной дальности перемещения грунта этими способами. Это необходимо
для определения количества требуемых механизмов при выполнении заданного объема
работ. Средневзвешенную дальность перемещения грунта определяем по формуле
, (2)
где
Qi и
li - объемы грунта и дальность транспортирования объемов
по каждому способу.
По формуле (2) для:
Возведение насыпи из грунта кюветов
Возведение
насыпи из грунта карьера
Досыпка
насыпи из грунта карьера
Срезка
существующего покрытия с перемещением грунта на откосы
Отсыпка
насыпи из грунта полученного при срезке существующего земполотна
3.
Технологический раздел
.1
Подготовительные работы
Перед началом строительства необходимо выполнить следующие работы [6]:
. Расчистка полосы отвода от кустарника. Снятие растительного слоя и
перемещение его в отвал. Планировка и уплотнение основания насыпи.
. Закрепление и восстановление трассы и элементов земляного полотна на
местности.
.1.1
Расчистка полосы отвода от кустарника
Закрепление полосы отвода
Проектом предусмотрена постоянная полоса отвода равная
19 м, что соответствует СН 467-74 [7]. Восстановление границ полосы отвода
производится одновременно с восстановлением всех точек трассы. Границы полосы
отвода закрепляют столбами и кольями. На прямолинейных участках на границу
полосы отвода выносят все пикеты.
Расчистка полосы отвода
Расчистка полосы отвода предусматривает удаление препятствий, мешающих
разбивке земляного полотна и производству работ техникой. Удаление кустарника
следует выполнять в минимально необходимых объемах.
Объём работ по расчистке полосы отвода от кустарника
составляет 0,8 га. Для расчистки следует принять корчеватель-собиратель ДП-3 на
тракторе Т-100МЗГП мощностью 108 л.с.. В состав работ входит: корчёвка
кустарника и мелколесья, перемещение выкорчеванного кустарника в валы или кучи
на расстояние до 15 м. Его производительность по СНиП 4.02.91 [8] составит 1,22
га/см, следовательно, 0,8 га он расчистит за 0,66 смены. Принимаем один
корчеватель-собиратель ДП-4, который за 1 смену выполнит весь объём работ.
Расчистка производится вдоль насыпи с последующим образованием валов за
пределами полосы отвода и вывозом кустарника автомобилями-самосвалами для его
последующего сжигания.
.1.2
Снятие растительного слоя с откосов и под основанием уширяемой части насыпи
Снятие растительного слоя необходимо производить только под основанием
насыпи, но с учетом большего уширения земляного полотна для возможности работы
машин, необходимо уширять в среднем на 3,0 м с каждой стороны. Для того чтобы
новая досыпаемая часть насыпи работала совместно с основной, с откосов старой
насыпи так же необходимо удалить растительный грунт Глубина, на которую
необходимо выполнить срезку составляет примерно 0,1 с откосов и 0,2 с основания
м. Всего объём работ составляет 20743 м². Для удаления растительного слоя
рекомендуется применять бульдозер ДЗ-19 на тракторе Т-100 мощностью 108 л.с.
(Длина его отвала составляет 3,03 м). Снятый растительный слой складируется за
полосой отвода для дальнейшего использования.
.1.3
Планировка поверхности
Планировку производим тем же бульдозером, что и снятие растительного
слоя. Производительность по ЕНиР №2 (Е 2-1-36,а.2) [9] составит 39048 м²/см.
.1.4
Уплотнение поверхности
Уплотнение поверхности земли следует производить самоходным катком на
пневматических шинах ДУ-31А массой 16 т. Его производительность по ЕНиР №2 (Е
2-1-31,таб 3,а.1) [9] при 10 проходах и дальностью гона до 100 м составит 6308
м²/см.
3.1.5
Закрепление и восстановление трассы и элементов земляного полотна на местности
Целью разбивочных работ является перенос на местность всех элементов
строящейся автомобильной дороги. Закрепление и восстановление трассы выполнено
на основании ВСН 5-81 [10].
Закрепление и восстановление вершин углов поворотов
На основании проекта строительства существующей дороги необходимо
отыскать вершины углов поворота или закрепить их заново. Углы поворота трассы
закрепляем четырьмя знаками: в вершине угла (на месте установки теодолита)
забиваем потайной колышек вровень с поверхностью земли и вокруг него выкапываем
канавку глубиной 10-15 см, радиусом 0,7 м. На расстоянии 0,5 м по
направлению наружной биссектрисы угла закапываем угловой опознавательный столб.
На продолжении сторон угла, за пределами предстоящих земляных работ, закапываем
ещё два опознавательных столба. Вершину угла (ВУ) поворота привязываем к
двум-трем постоянным предметам местности.
При отсутствии постоянных предметов местности закрепление вершины угла
производится в зависимости от радиуса кривой.
Схема закрепления трассы приведена на листе 1
"План трассы".
Закрепление высотных отметок трассы.
Для закрепления высотных отметок трассы служат реперы,
которые должны быть на таком расстоянии от нее, чтобы остаться в сохранности в
течение всего периода строительства.
В проекте предусматривается закладка 7 реперов. Тип
каждого репера, его расположение по длине трассы, расстояние от оси и высотная
отметка зафиксированы в специальной ведомости реперов, таблица 9.
Таблица 9 - Ведомость реперов
|
№ п.п.
|
Проектный км.
|
Пикет и плюс.
|
№ репера.
|
Отметка репера.
|
Расстояние репера от оси
линии по ходу километража, м.
|
Вид репера.
|
|
|
|
|
|
Влево.
|
Вправо.
|
|
|
1
|
11
|
47+43
|
5
|
94,370
|
|
55,8
|
грунтовый
|
|
2
|
12
|
55+80
|
6
|
103,160
|
|
20
|
грунтовый
|
|
3
|
13
|
69+57
|
7
|
98,686
|
9
|
|
ст. лин. эл. пер.
|
|
4
|
14
|
78+30
|
8
|
101,978
|
5
|
|
ст. лин. эл. пер.
|
|
5
|
15
|
87+52
|
9
|
98,491
|
|
16,7
|
ст. лин. эл. пер.
|
|
6
|
16
|
92+05
|
10
|
98,900
|
22,4
|
|
грунтовый
|
|
7
|
17
|
106+15
|
11
|
93,792
|
|
8,7
|
ст. лин. эл. пер.
|
Закрепление точек на прямых участках
Для закрепления на местности отдельных участков трассы в концах каждого
из них следует устанавливают осевые створные столбы. На длинных прямолинейных
участках одного уклона их рекомендуется сгущать, устанавливая в пределах
визуальной видимости дополнительные створные столбы.
Все основные точки трассы следует закреплять за зоной
работ по поперечникам выносными столбами и кольями. Выноски необходимо делать
теодолитом перпендикулярно к оси в виде створов из двух столбов или кольев на
расстояниях от оси до ближайшего столба или кола 30-50 м.
.2
Земляные работы
.2.1
Расчет основных параметров потока
Основным прогрессивным методом организации дорожного строительства
является поточный метод производства работ. СНиП 3.06.03-85 [11]
предусматривает безоговорочное применение поточного метода как в целом по
строительству дороги, так и на отдельных ее участках.
Поточное строительство автомобильных дорог характеризуется численным
значением ряда параметров. Величины этих параметров зависят от уровня
организации строительства и конкретных условий производства работ на каждом
объекте. Знание параметров потоков и закономерностей их изменения необходимо
как для проектирования организации поточного строительства, так и для
оперативного управления.
Расчет основных параметров потока будем производить для способа - возведение
насыпи из грунта карьера.
При проведении земляных работ необходимо учесть, что в теле земляного
полотна используется существующая насыпь. Таким образом, происходит
двухстороннее уширение насыпи на 6 м (в целях безопасности проведения работ и
возможности использования дорожно-строительных машин) и поднятие бровки
земляного полотна до необходимой отметки. Земляное полотно уширяют только после
окончания засыпки водоотводных канав с равномерным уплотнением до коэффициента
уплотнения больше 1. Если высота насыпи меньше двух метров, то бульдозер с
рыхлителем разрыхляет грунт на откосах, затем грунт привозной разгружают у
подошвы насыпи и разравнивают бульдозером, придавая слоям уклон 20-30 %о. При
высоте насыпи больше 2 м ширина засыпаемой полки должна быть не менее 2 м, что
позволяет разравнивать грунт бульдозером и уплотнять его челночными движениями
катка на пневматических шинах. При укладке нового слоя одновременно нарезаются
уступы на откосе насыпи. При достижении бровки существующего земляного полотна,
дальнейшее возведение насыпи производится по общим принципам [12].
.2.2
Определение темпа производства работ
Основным показателем потока, характеризующим производительность
механизированных отрядов, а следовательно, и степень оснащения их средствами
механизации и уровень их использования, является скорость. Скорость
специализированного потока - это готовая продукция, выпускаемая потоком за
единицу времени, преимущественно за смену, измеряемая в метрах готовой дороги.
Скорость потока определяем исходя из производительности ведущей машина
(экскаватор ЭО-4321 (0,65 м³)) согласно [11]. Согласно ЕНиР №2
[9] производительность экскаватора с погрузкой грунта в автомобили - самосвалы
составляет 512,5 м³/см, что при площади отсыпаемого грунта 8 м² дает скорость потока в 64 м/см, но с
учетом коэффициента использования 0,8 скорость составит 50 м/см. Схема уширения
приведена на рисунка 8.
Рисунок 8 - Схема уширения насыпи
Скорость потока позволяет определить частные сроки выполнения работ и
установить сменную производительность МДЗ. Необходимое количество рабочих смен
для выполнения работ на этом участке линейных работ протяженностью Lу
определяем по зависимости
, (3)
Тогда
по формуле (3) получим
.2.3
Расчет составов специализированных отрядов
Специализированные отряды создаются при организации работ поточным
методом. Они представляют собой механизированные подразделения,
специализированные на выполнении определенных видов работ.
Механизированные отряды, выполняющие работы на специализированных
потоках, разделены на самостоятельно работающие звенья (МДЗ).
.2.4
Расчет состава отряда при производстве работ
На основании [11] в качестве ведущей машины для МДЗ будем использовать
экскаватор ЭО-4321 (0,8 м³) с погрузкой его в автосамосвал МАЗ-503А (8т).
Сменная производительность звена составит 168 м³/смену.
Грунты
карьера представлены песками. Согласно ЕНиР №2 [9] песок, разрабатываемый
одноковшовыми экскаваторами, относится к
группе
по трудности разработки. Рыхление таких грунтов не требуется.
Транспортирование
грунта на расстояние 9,300 км производим автосамосвалами МАЗ-503А
грузоподъемностью Q=8 т [13]. Производительность автосамосвала определяем по
формуле
(4)
где
Тсм - продолжительность рабочей смены, ч;
kв - коэффициент использования машины по времени (0,85);
k2 - коэффициент использования грузоподъёмности (0.95)
tц - время рабочего цикла, ч, определяемое суммированием
времени загрузки (tз=0,2 ч), времени перевозки на заданное расстояние l=9,300
км при средней скорости Vср=50 км/ч (t=
ч).
Т.
о. для времени цикла получим:
ч.
-
удельный вес разрабатываемого грунта, используемый для перевода
производительности из тонн в м³, т/м³ (принимаем равным 1,6).
По
формуле (4) получим
Все
расчёты заносим в таблица 10, с помощью которой рассчитываем состав
специализированного МДЗ, таблица 11.
Таблица 10 - Описание технологии работ и расчет
потребных ресурсов
|
№ процесса
|
Источник обоснования норм
выработки
|
Описание рабочих процессов
в порядке их технологической последовательности с расчетом объёмов работ и
указанием необходимых машин
|
Ед. измерения
|
Объём работ на захватке
|
Производительность в смену
|
Требуется машиносмен
|
|
1
|
Е 2-1-1 табл.2
|
Рыхление грунта 1группы на
глубину 0,2 м рыхлителем ДП-15 с трактором Т 100
|
м³
|
27
|
3905
|
0,01
|
|
2
|
Е 2-1-9,таб 3,а.3
|
Разработка грунта в карьере
экскаватором ЭО-4321 (0,65 м³)
|
м³
|
431
|
512,5
|
0,8
|
|
3
|
Расчёт
|
Транспортировка песка для
уширения земполотна автомобилями-самосвалами МАЗ-503А на расстояние 9300 м
|
м³
|
306
|
58
|
5,28
|
|
4
|
Е 2-1-28 табл.2
|
Послойное разравнивание
песка соями толщиной 0,3 м и шириной 3 м бульдозером ДЗ-19
|
м³
|
306
|
976
|
0,31
|
|
5
|
Е 2-1-31,таб 2,1.а,3.а
|
Уплотнение каждого слоя
насыпи толщиной до 0,3 м катком ДУ -31А при 10 проходах по одному следу(длина
гона до 100 м)
|
м³
|
306
|
582
|
0,53
|
|
6
|
Е 17-2 табл.1;1а
|
Поливка уплотняемого слоя
водой поливомоечной машиной ПМ-130Б
|
м²
|
300
|
5125
|
0,06
|
|
7
|
Е 2-1-9,таб 3,а.1
|
Срезка лишнего песка с
откосов экскаватором ЭО-4321 (0,40 м³)с погрузкой его в автомобили-самосвалы МАЗ-503А
|
м³
|
125
|
304
|
0,41
|
|
8
|
Расчёт
|
Транспортировка лишнего
песка для уширения земполотна на следующей захватке автомобилями-самосвалами
МАЗ-503А на расстояние 100 м
|
м³
|
125
|
160
|
0,78
|
|
9
|
Расчёт
|
Транспортировка песка для
возвышения земполотна автомобилями-самосвалами МАЗ-503А на расстояние 9300 м
|
м³
|
124
|
58
|
2,14
|
|
10
|
Е 2-1-28 табл.2
|
Послойное разравнивание
песка соями толщиной 0,3 м бульдозером ДЗ-19
|
м³
|
124
|
976
|
0,13
|
|
11
|
Е 2-1-31,таб 2,1.а,3.а
|
Уплотнение каждого слоя
насыпи толщиной до 0,3 м катком ДУ -31А при 10 проходах по одному следу(длина
гона до 100 м)
|
м³
|
124
|
582
|
0,21
|
|
12
|
Е 17-2 табл.1;1а
|
Поливка уплотняемого слоя
водой поливомоечной машиной ПМ-130Б
|
м²
|
622
|
5125
|
0,12
|
|
13
|
Е 2-1-37, 2.а
|
Планировка верха земляного
полотна автогрейдером ДЗ-99
|
м²
|
622
|
45555
|
0,01
|
Таблица 11 - Состав специализированного МДЗ
|
Машины
|
Количество машино-смен
|
Количество машин
|
Коэффициент использования
|
|
бульдозер ДЗ-19
|
0,44
|
1
|
0,44
|
|
рыхлитель ДП-15 с трактором
Т 100
|
0,01
|
1
|
0,01
|
|
самоходный каток ДУ-31А
|
0,74
|
1
|
0,74
|
|
Поливомоечная мошина
ПМ-130Б
|
0,18
|
1
|
0,18
|
|
экскаватор ЭО-4321 (0,65 м³) карьер
|
0,8
|
1
|
0,8
|
|
экскаватор ЭО-4321 (0,40 м³) на дороге
|
0,41
|
1
|
0,41
|
|
автомобили-самосвалы
МАЗ-503А из карьера на уширение
|
5,28
|
11
|
0,48
|
|
автомобили-самосвалы
МАЗ-503А лишний грунт с уширений
|
0,78
|
2
|
0,39
|
|
автомобили-самосвалы
МАЗ-503А из карьера на возвышение
|
2,14
|
5
|
0,43
|
|
автогрейдером ДЗ-99
|
0,01
|
1
|
0,01
|
3.3
Строительство дорожной одежды
.3.1
Определение предельных сроков работ
Устройство дополнительного слоя основания - 1 группа работ, температура
наружного воздуха должна быть не ниже 0˚С.
Устройство нижнего слоя основания - 1 группа работ, температура наружного
воздуха должна быть не ниже 0˚С.
Устройство верхнего слоя основания - 2 группа работ, температура
наружного воздуха должна быть не ниже +5˚С.
Устройство а/б покрытия - 2 группа работ, температура наружного воздуха
должна быть не ниже +5˚С, [14].
Календарная продолжительность строительного сезона в Иркутской области по
климатическим условиям: 1. для 1-ой группы работ- 226 дней (начало работ - 15/III, конец работ - 25/Х);
. для 2-ой группы работ - 171 дня (начало работ - 5/IV, конец работ - 23/IХ).
3.3.2
Определение продолжительности реконструкции
Работы разделяют на группы по продолжительности для них строительного
сезона, определяемого по пределам среднесуточной температуры воздуха. Поскольку
частные потоки составляют специализированный поток, сроки начала и окончания
работ каждого потока должны быть увязаны со сроками окончания впереди идущего
потока и сроками начала работ последующего потока.
На основании установленных расчетных сроков работы (Ар) определяем
продолжительность действия каждого частного потока в рабочих днях.
Продолжительность работы каждого потока определяем по формуле:
ТРАБ = АР - ТВЫХ - ТКЛ - ТРЕМ (5)
где АР - расчётные сроки работ, дн; ТВЫХ - количество
выходных и праздничных дней за время АР, дн; ТКЛ - количество
нерабочих дней для ремонта машин и оборудования, дн.
Все полученные результаты записываем в таблицу 12.
Таблица 12 - Определение продолжительности работы частных потоков
|
Частный поток
|
Группа работ
|
Начало работ по
метеорологическим условиям
|
Конец работ по
метеорологическим условиям
|
Ак
|
Начало работ по
технологическим требованиям
|
Конец работ по
технологическим требованиям
|
Ар
|
Ткл
|
Трем
|
Количество рабочих дней,
Траб
|
Количество рабочих смен
Ксм=2
|
|
1
|
1
|
15.мар
|
25.окт
|
226
|
17.мар
|
13.сен
|
180
|
55
|
20
|
11
|
94
|
188
|
|
2
|
1
|
15.мар
|
25.окт
|
226
|
19.мар
|
15.сен
|
180
|
56
|
16
|
10
|
98
|
196
|
|
3
|
2
|
05.апр
|
23.сен
|
171
|
05.апр
|
17.сен
|
165
|
55
|
16
|
10
|
84
|
168
|
|
4
|
2
|
05.апр
|
23.сен
|
171
|
11.апр
|
23.сен
|
165
|
53
|
16
|
10
|
84
|
168
|
Схема работы частных потоков приведена не рисунке 9.
Рисунок 9 - Схема работы частных потоков
.3.3
Определение количества специализированных потоков
Для проектирования организации сооружения дорожной
одежды поточным методом назначают основную (ведущую) машину, работающую на
устройстве дорожного покрытия. Затем определяют производительность машин и
принимают количество машин, одновременно работающих на потоке, в соответствии с
технологией устройства покрытия. Исходя из производительности и количества основных
машин, можно определить скорость потока по выражению
(6)
где
V - скорость
потока, м/смену; П - нормативная производительность основной машины, м²/смену; N - количество машин в дном потоке; B
- ширина покрытия, м.
Производительность
ведущей машины (асфальтоукладчика ДС-1) по ЕНиР №2 равна
,
Тогда
по формуле (5) с учетом В=7 м получаем
Длина
годового участка работы потока определяется как произведение его скорости на
количество рабочих смен, в течение которых в соответствия с рассчитанным сроком
может выполняться работа в потоке
(7)
где
Lг - длина годового участка работы потока, км;
Траб·Ксм - количество рабочих смей, таблица 19.
Принимаем
Ксм=2, тогда длина годового участка по формуле (7) составит
Количество
потоков определяется из выражения
(8)
где
L - общее протяжение дороги, км.
По
формуле (8) получаем
Принимаем
один частный поток
.3.4 Выбор
направления работы линейных потоков
Направление работы линейных потоков принимаем с
учетом:
а) технологии сооружения дорожного покрытия;
б) наиболее равномерного использования транспорта;
в) места расположения баз и заводов, снабжающих
материалом для сооружения покрытия;
г) предохранения перевозимых горячих асфальтобетонных
смесей от остывания в прохладное время;
Исходя из этих требований принимаем, направление потока - с начала дороги
в конец.
.3.5
Определение минимальной длины захватки
По продолжительности действия каждого частного потока определяем
возможную минимальную длину захватки для этого потока по формуле
. (9)
Для
1-ого потока по формуле (9) получаем
Для
2-ого потока
Для
3-го и 4-го потоков
.3.6
Определение расчетной длины захватки при оптимальном использовании
производительности ведущих машин
Зная минимальную длину захватки (lм) и требуемое количество машин на 1 км, необходимо
установить наибольшую длину захватки (lн). В первую очередь это следует
определить для основной (ведущей) машины, корректируя
длину захватки с учетом более рационального использования других
машин комплекта, таблица 13.
Для первого потока (ведущая машина - экскаватор
ЭО-5122)
Для
второго потока (ведущая машина - бульдозер ДЗ-8)
Для
третьего потока (ведущая машина - асфальтоукладчик ДС-48)
Для
четвертого потока (ведущая машина - асфальтоукладчик ДС-1)
Исходя
из более рационального использования ведущих машин, принимаем расчетную длину
захватки равной 150 м как наименьшую из полученных выше.
Таблица 13 - Расчет принятого состава отряда
|
№ захватки
|
№ пр-са
|
Источник обоснования норм
выработки
|
Описание рабочих процессов
|
Ед. изм.
|
Объем работ на одну
захватку
|
Производительность в смену
|
Требуется машин на одну
захватку
|
Коэф-т использования
|
Состав бригады, звена
|
|
|
|
|
|
|
|
по расчету (маш-смен)
|
принято
|
|
|
|
1
|
2
|
3
|
4
|
5
|
6
|
7
|
8
|
9
|
10
|
11
|
|
I Дополнительный слой основания из песка среднего,
толщиной 35 см
|
|
1
|
1
|
Е 2-1-9 табл.3; 4а
|
Разработка грунта I
группы в карьере экскаватором ЭО-5122 объемом ковша 1,25 м³ с погрузкой в авто-самосвалы
|
м³
|
646
|
820
|
0,79
|
1
|
0,80
|
Машинист 6 разр. - 1;
Помощник машиниста 5 разр. - 1
|
|
2
|
Расчет
|
Транспортировка грунта
карьера автосамосвалами КамАЗ-6520 груз-тью 20 т на расстояние 40 км с выгрузкой
его на земполотно
|
м³
|
646
|
46
|
14,04
|
20
|
0,70
|
Водители - 20
|
|
3
|
Е 17-1, тал. 2, 5а
|
Разравнивание песка по всей
ширине основания бульдозером ДЗ-8
|
м²
|
1753
|
7455
|
0,24
|
1
|
0,24
|
Машинист 6 разр. - 1
|
|
4
|
Е 17-2 табл.1;1б
|
Поливка уплотняемого слоя
водой поливомоечной машиной ПМ-130Б с помощью шланга и насоса
|
м²
|
1753
|
1745
|
1,00
|
3
|
0,33
|
Машинист 4 разр. - 3; Дор.
рабочий 1 разр. - 2
|
|
1
|
5
|
Е 2-1-31 табл.2; 2а
|
Уплотнение песчаного слоя
самоход-ными пневмакатками ДУ-31А при четырех проходах по одному следу
|
м³
|
646
|
2000
|
0,32
|
1
|
0,32
|
Машинист 6 разр. - 1
|
|
6
|
Е 2-1-37, тал. 2, 2б
|
Планировка поверхности
основания автогрейдером ДЗ-99 при рабочем ходе в двух направлениях за один
проход
|
м²
|
1753
|
39048
|
0,04
|
1
|
0,04
|
Машинист 6 разр. - 1
|
|
II Нижний слой основания из фракционированного щебня,
толщиной 20 см, устроенный по способу заклинки
|
|
1
|
7
|
Расчет
|
Подвозка щебня фр. 40-70 мм
к месту строительства слоя автосамосвалами КамАЗ-55111 грузоподъемностью 13 т
на расстояние 25 км
|
м³
|
265
|
44
|
6,02
|
8
|
0,75
|
Водители - 8
|
|
8
|
Е 17-1 табл.2;10а
|
Распределение и
разравнивание щебня по всей ширине проезжей части бульдозером ДЗ-8
|
м²
|
1106
|
3905
|
0,28
|
1
|
0,28
|
Машинист 6 разр. - 1
|
|
9
|
Е 2-1-37, тал. 2, 2б
|
Профилирование щебеночного
основания автогрейдером ДЗ-99 при рабочем ходе в двух направлениях за один
проход
|
м²
|
1106
|
39048
|
0,03
|
1
|
0,03
|
Машинист 6 разр. - 1
|
|
2
|
10
|
Е 17-7 табл.1; 15а
|
Подкатка щебня основной
фракции легким катком с гладкими вальцами при 8 проходах по одному следу
|
м²
|
1106
|
1640
|
0,67
|
1
|
0,67
|
Машинист 5 разр. - 1
|
|
Продолжение таблицы 13
|
|
2
|
11
|
Е 17-2 табл.1;1а
|
Поливка уплотняемого слоя
водой поливомоечной машиной ПМ-130Б
|
м²
|
1106
|
5125
|
0,22
|
1
|
0,22
|
Машинист 4 разр. - 1
|
|
12
|
Е 17-3а табл.3; 1а
|
Уплотнение основания
самоходными пневмакатками ДУ-52 при 10 проходах по одному следу
|
м²
|
1106
|
2343
|
0,47
|
1
|
0,47
|
Машинист 6 разр. - 1
|
|
2
|
13
|
Расчет
|
Подвозка щебня фр. 10-20 мм
к месту строительства слоя автосамосвалами КамАЗ-55111 грузоподъемностью 13 т
на расстояние 25 км
|
м³
|
21
|
44
|
0,48
|
1
|
0,48
|
Водители - 1
|
|
14
|
Расчет
|
Распределение
расклинивающего материала фр. 10-20 мм распредели-телем ДС-8
|
м³
|
21
|
320
|
0,07
|
1
|
0,07
|
Машинисты 4 разр. - 1
|
|
15
|
Е 17-2 табл.1;1а
|
Поливка уплотняемого слоя
водой поливомоечной машиной ПМ-130Б
|
м²
|
1050
|
5125
|
0,20
|
1
|
0,20
|
Машинист 4 разр. - 1
|
|
16
|
Е 17-7 табл.1; 17а
|
Уплотнение слоя
расклинивающего материала тяжелым катком с гладкими вальцами за 6 проходов по
одному следу
|
м²
|
1050
|
3154
|
0,33
|
1
|
0,33
|
Машинист 6 разр. - 1
|
|
III Верхний слой основания из черного щебня, толщиной
14 см, устроенный по способу заклинки
|
|
3
|
17
|
Е 17-64 табл.1; 2а
|
Приготовление смеси
каменного материала с вяжущим в смесительной установке ДС-35А
|
т
|
287
|
210
|
1,37
|
2
|
0,68
|
Машинист 6 разр. - 2;
Помощник машиниста 5 разр. - 2; Электросл-рь 4 разр. - 2;
Асфальтобетонщик-варильщик 3 разр. - 2
|
|
18
|
214 (20-2-28) табл.2; 3а
|
Очистка поверхности нижнего
слоя основания от грязи и пыли подметально-уборочной машиной ПМ-130Б
|
м²
|
1050
|
32800
|
0,03
|
1
|
0,03
|
Машинист 4 разр. - 1
|
|
19
|
Е 17-5 табл.1; 1а
|
Подгрунтовка основания
автогудронатором ДС-39А
|
т
|
3
|
4,48
|
0,67
|
1
|
0,67
|
Машинист 5 разр. - 1;
Помощник машиниста 4 разр. - 1
|
|
3
|
20
|
Расчет
|
Вывоз готовой смеси на
дорогу автосамосвалами КамАЗ-55111 грузо-подъем-ю 13 т на расстояние 25 км
|
т
|
287
|
70
|
4,1
|
7
|
0,59
|
Водители - 7
|
|
Продолжение таблицы 13
|
|
3
|
21
|
Е 17-6 табл.3; 2а
|
Укладка смеси
асфальтоукладчиком ДС-48
|
м²
|
1050
|
3037
|
0,35
|
1
|
0,35
|
Машинист 6 разр. - 1;
Асфальтобетонщики: 5 разр. - 1; 3 разр. - 1; 2 разр. - 1; 1 разр. - 1
|
|
22
|
Укатка с подкаткой слоя
основания средним катком с гладкими вальцами за 12 проходов по одному следу
|
м²
|
1050
|
901
|
1,17
|
3
|
0,39
|
Машинисты 5 разр. - 3;
|
|
23
|
Расчет
|
Подвозка щебня фр. 10-20 мм
к месту строительства слоя автосамосвалами КамАЗ-55111 грузоподъемностью 13 т
на расстояние 25 км с выгрузкой в бункер распределителя
|
т
|
27
|
70
|
0,39
|
2
|
0,20
|
Водители - 2
|
|
24
|
Расчет
|
Распределение
расклинивающего материала фр. 10-20 мм распредели-телем ДС-8
|
м³
|
13
|
320
|
0,04
|
1
|
0,04
|
Машинист 6 разр. - 1;
|
|
25
|
Е 17-7 табл.1; 16а
|
Уплотнение слоя
расклинивающего материала тяжелым катком с гладкими вальцами за 6 проходов по
одному следу
|
м²
|
1050
|
2158
|
0,49
|
2
|
0,25
|
Машинист 5 разр. - 2;
|
|
IV Покрытие из горячего плотного а/б, толщиной 4,5 см
|
|
26
|
Е 17-66 табл.2; 2а
|
Приготовление а/б смеси в
асфальтосмесительной установке ДС-95
|
т
|
114
|
315
|
0,36
|
1
|
0,36
|
Машинист 6 разр. - 1;
Помощник машиниста 5 разр. - 1; Машинист воздуходувной установки 4 разр. - 1;
Асфальтобетонщик-варильщик 3 разр. - 1
|
|
27
|
214 (20-2-28) табл.2; 3а
|
Очистка поверхности
основания от грязи и пыли подметально-уборочной машиной ПМ-130Б
|
м²
|
1050
|
32800
|
0,03
|
1
|
0,03
|
Машинист 4 разр. - 1
|
|
28
|
Е 17-5 табл.2; 3а
|
Подгрунтовка основания
автогудро-натором ДС-39А
|
т
|
3
|
4,48
|
0,67
|
1
|
0,67
|
Машинист 5 разр. - 1; Помощник
машиниста 4 разр. - 1
|
|
Продолжение таблицы 13
|
|
4
|
29
|
Расчет
|
Вывоз готовой смеси к месту
укладки на дороге автосамосвалами КамАЗ-55111 грузоподъемностью 13 т на
расстояние 25 км
|
т
|
114
|
70
|
1,63
|
3
|
0,53
|
Водители - 3
|
|
30
|
Е 17-33 табл. 1
|
Установка и переустановка
упорных брусьев с укреплением каждого бруса тремя штырями
|
-
|
-
|
-
|
-
|
-
|
-
|
Дорожные рабочие - 2
|
|
31
|
Е 17-6 табл.3; 2б
|
Укладка готовой смеси в
слой д. о. асфальтоукладчиком ДС-1
|
м²
|
1050
|
3280
|
0,32
|
1
|
0,32
|
Машинист 6 разр. - 1;
Асфальтобетонщики: 5 разр. - 1; 4 разр. - 1; 3 разр. - 3; 2 разр. - 1; 1
разр. - 1
|
|
32
|
Е 17-7 табл.1; 26а
|
Подкатка легким катком с
гладкими вальцами при 5 проходах по одному следу
|
м²
|
1050
|
2645
|
0,40
|
1
|
0,40
|
Машинист 5 разр. - 1
|
|
33
|
Е 17-7 табл.1; 28а
|
Укатка а/б покрытия катком
с гладкими вальцами при 20 проходах по одному следу
|
м²
|
1050
|
820
|
1,28
|
2
|
0,64
|
Машинисты 5 разр. - 2
|
.4
Контроль качества работ при возведении земполотна и строительстве дорожной
одежды
Земляные работы выполняют под контролем лаборатории и
специально выделяемого для контроля на месте работ контрольного поста.
Геометрические элементы земляного полотна должны соответствовать требованиям
[11], [15], приведенным в таблице 14.
Таблица 14 - Допуски на различные виды дорожных работ
|
Работы
|
Отклонения ( )
|
|
1 Земляное полотно
|
|
Высотные отметки
продольного профиля
|
5 см
|
|
Сужение земляного полотна
между осью и бровкой
|
-10 см
|
|
Увеличение крутизны откоса
|
+10 %
|
|
Толщина слоя растительного
грунта
|
20 %
|
|
Уменьшение от требуемого
коэффициента уплотнения по абсолютной величине (не более чем у 10 % образцов)
|
0,04
|
|
Толщина слоя укрепления
обочин и откосов земляного полотна
|
10 %
|
|
2 Устройство
дополнительного слоя основания
|
|
Ширина слоя
|
-10 см
|
|
Толщина слоя
|
-10 %
|
|
Поперечный уклон слоя
|
0,005
|
|
3 Устройство щебеночного
основания
|
|
Ширина слоя
|
-10 см
|
|
Толщина слоя
|
10 %, но не более 20 мм
|
|
Поперечный уклон слоя
|
0,005
|
|
4 Устройство основания из
щебня, обработанного органическим вяжущим
|
|
Ширина основания
|
-10 см
|
|
Толщина слоя основания
|
-10 %
|
|
Высотные отметки по оси
|
5 см
|
|
Поперечный уклон
|
0,005
|
|
5 Устройство
асфальтобетонного покрытия
|
|
Ширина покрытия
|
-10 см
|
|
Продолжение таблицы 14
|
|
Толщина покрытия
|
-10 %
|
|
Высотные отметки по оси
|
5 см
|
|
Поперечный уклон покрытия
|
0,005
|
|
Допускаемый просвет под
трехметровой рейкой
|
5 мм
|
|
6 Устройство водопропускных
труб
|
|
Длина фундамента секций
сборных труб
|
От -10 до +20 мм
|
|
Относительное смещение
смежных звеньев труб (при отсутствии участков застоя воды)
|
Не более 30 мм
|
|
Отметка верха трубы
|
-20; +10 мм
|
|
Зазор между звеньями труб
|
5 мм
|
|
Длина звена трубы
|
0,05 толщины стенки, но не более 10 мм
|
|
Остальные размеры
|
10 мм
|
При операционном контроле качества сооружения земляного полотна следует
проверять:
. Правильность размещения осевой линии в плане и высотные отметки;
. Толщину снимаемого растительного слоя;
. Плотность грунта основания насыпи;
. Влажность используемого грунта;
. Толщину отсыпаемых слоев и их плотность;
. Однородность грунта в слоях насыпи;
. Ровность поверхности;
. Поперечный профиль отсыпаемых слоев и насыпи в целом, крутизну откосов;
. Правильность выполнения водоотводных и дренажных сооружений, прослоек,
укрепления обочин и откосов.
Проверку правильности размещения оси земляного полотна, высотных отметок,
поперечных профилей и толщины слоев следует производить не реже, чем через 100
м в трех точках поперечника.
Особое внимание уделяют контролю влажности и плотности
грунтов земляного полотна.
Влажность используемого грунта в насыпях следует определять в карьере не
реже одного раза в смену.
В полевых условиях для ускоренного приближенного
определения влажности и плотности грунтов пользуются плотномером-влагомером
Н.П. Ковалева.
Плотность и одновременно влажность проверяют в
процессе отсыпки каждого слоя насыпи. Места испытания назначают по оси и в
1,5-2 м от бровок земляного полотна. При ширине земляного полотна свыше 20 м
дополнительно проводят испытания и в промежутках между указанными точками.
Количество замеров зависит от требуемой степени
надежности. На дорогах III и
более низких категорий (надежность 0,95) коэффициент вариации уплотнения можно
повысить до 0,031, что позволяет снизить количество измерений с 14 до 9. Если
же высота насыпи свыше 3 м, то длина участка с 200 м уменьшается до 50 м с
соблюдением тех же требований к контрольным измерениям влажности и плотности
грунтов.
Отклонения от наименьшего требуемого коэффициента
плотности Ко в сторону понижения допускаются не более чем у 10 %
произведенных испытаний, причем отклонения не должны превышать по абсолютной
величине 0,04. Разница между значениями Ко по поперечному сечению в
верхнем слое земляного полотна для дорог с усовершенствованными типами покрытий
не должна превышать 0,02.
Схема операционного контроля качества работ при
возведении земполотна представлена в таблице 15 и на рисунке 10.
Таблица 15 - Схема операционного контроля качества
работ при возведении земполотна
|
Основные контролируемые
операции
|
Состав контроля
|
Режим и объем контроля
|
Лицо, контролирующее
операцию
|
Место регистрации
|
|
1
|
2
|
3
|
4
|
5
|
|
Отсыпка грунта в насыпь
|
1Однородность грунта в теле
насыпи
|
Постоянно
|
Мастер
|
|
|
Разравнивание и планировка
грунта
|
2 Толщина слоя 3 Высотные
отметки продольного профиля 4 Ширина земляного полотна 5 Крутизна откосов
|
2 Промеры через 50 м 3
Продольное нивелирование и промеры через 100 м 4, 5 Промеры не менее, чем в
трех местах на 1 км
|
Мастер
|
Журнал производства работ
|
|
Уплотнение насыпи
|
6 Фактическая плотность
грунта
|
6 Не менее 3-х образцов на
каждые 2 пикета (для дорог с а/б покрытиями)
|
Мастер, лаборант
|
Журнал контроля уплотнения
насыпи
|
Рисунок 10 - Схема операционного контроля при
устройстве покрытия
Контроль качества работ при устройстве дорожной одежды
Перед началом устройства дорожных одежд независимо от
поперечного профиля земляного полотна определяют влажность и плотность грунтов
на глубину не менее 0,7-0,8 м.
Щебеночное основание. На каждом километре построенного
основания подлежат проверке:
Качество материалов - наружным осмотром и
лабораторными испытаниями;
Тщательность планировки поверхности - трехметровой
металлической рейкой;
Соответствие фактических поперечных уклонов проектным
шаблонам (проверку ведут через каждые 100 м основания);
Толщина слоя - измерением ее по оси на расстоянии 1 м
от края основания в трех поперечниках каждого построенного километра;
Качество уплотнения - проходами тяжелого самоходного
катка массой 10-12 т на отсутствие видимых следов от вальца и на раздавливание
щебенки, брошенной под ведущие вальцы, или универсальным радиоактивным
плотномером.
Основание из щебня, обработанного
органическим вяжущим.
При приготовлении смесей в грунтосмесительной установке качество смесей
проверяют так же, как и асфальтобетонных.
Асфальтобетонные покрытия. На АБЗ проверяют качество каждой
поступившей партии органических и минеральных материалов в соответствии с
государственными стандартами и техническими условиями.
При приготовлении смеси контролируют:
Правильность и точность дозирования минеральных и
органических вяжущих материалов;
Влажность минеральных материалов;
Сцепление битума с поверхностью щебня и песка;
Температурный режим приготовления смеси и качество
готовой смеси. Температурный режим приготовления смеси проверяют для каждого
замеса.
Качество перемешивания и однородность смеси проверяют
отбором проб не реже 2 раз в смену на каждый состав смеси.
Смесь с АБЗ доставляют в автомобилях-самосвалах,
которые перед загрузкой должны быть очищены, а внутренние стенки и днище кузова
хорошо смазаны. Время доставки регламентировано в зависимости от температуры
воздуха.
Перед укладкой смеси на основание необходимо проверить
качество его подготовки: ровность, плотность, чистоту. В процессе укладки
проверяют температуру смеси при укладке и уплотнении (при укладке температура
смеси должна быть не ниже 120 °С), ровность и толщину уложенного слоя, качество
и достаточность уплотнения, качество сопряжения кромок полос, соблюдение
проектного поперечного профиля.
При контроле качества готового покрытия проверяют: толщину слоев, степень
уплотнения катками и движением автомобилей, сцепление слоев между собой и с
основанием, коэффициент сцепления шин автомобиля с поверхностью покрытия.
Степень уплотнения определяют контрольными вырубками, контрольными
проходами тяжелого катка, радиоактивными универсальными плотномерами.
Коэффициент уплотнения покрытия из горячей смеси типа Б через 10 суток после
устройства покрытия должен быть не менее 0,99. Водонасыщенность асфальтобетона
должна быть для образца, вырубленного из покрытия для смеси типа Б - 2 - 3 %.
Документация, которую ведут при контроле качества устройства покрытий:
журналы приготовления замесов, контроля температуры битума, лабораторного
контроля качества готовой смеси, укладки смеси в покрытие и укатки покрытия по
слоям; паспорта смеси на каждый отправляемый с АБЗ автомобиль-самосвал.
Подготовительные работы при укладке асфальтобетонной смеси:
1. Закрытие участка дороги для движения транспорта за 1 сутки до начала
работ (если позволяют условия). Устройство объезда вне проезжей части длиной на
2...3 захватки нижнего слоя.
. Разбивка оси и кромок проезжей части.
. Проверка основания на ровность и плотность проходом тяжелого катка
вдоль участка дороги.
. Натяжка копирной струны параллельно оси проезжей части по столбикам
высотой 20...30 см, устанавливаемым через 10...15 м на расстоянии 0,25 м
от кромки покрытия.
. Очистка основания поливомоечной машиной из расчета 5 л/м² воды.
. Сушка основания под воздействием солнечной радиации
. За 1...6 часов до начала укладки смеси подгрунтовка автогудронатором
основания жидким битумом (эмульсией) из расчета 0,5...0,8 л/м².
. Смазка поперечного шва жидким битумом.
. Проверка работоспособности укладчика на холостом ходу, смазка трущихся
деталей, соприкасающихся с горячей смесью.
. Установка выглаживающей плиты по ширине полосы укладки и высоте
проектного слоя асфальтобетона. Трамбующий брус должен быть установлен ниже
низа выглаживающей плиты на величину амплитуды колебания.
. Проверка высотного положения шнека и трамбующего бруса. Нижняя кромка
шнека должна быть установлена на высоте 0,5 проектной толщины слоя над
основанием (нижним слоем покрытия).
. Прогрев выглаживающей плиты в течение 10....15 минут.
. Заправка катков водой.
. Подготовка шанцевого инструмента и жаровни к работе.
Укладка смеси на дорогу может осуществляться асфальтоукладчиками.
При использовании асфальтоукладчиков смесь может укладываться:
одним укладчиком по сопредельным полосам попеременно в нижнем и верхнем
слоях покрытия;
двумя укладчиками на всю ширину покрытия попеременно в каждом слое;
двумя укладчиками одновременно в обоих слоях.
Большое значение для качественной укладки смеси имеет монолитность
продольных и поперечных швов. При двух укладчиках монолитность продольного шва
достигается тем, что они работают уступом на удалении друг от друга 25...50 м.
В этом случае в процессе укатки первой полосы вальцы катка не должны
приближаться более чем на 10.см к кромке полосы сопряжения. Вторая полоса
укладки смеси дополнительно прогревает кромку первой полосы и сохраняет
температуру смеси на стыке более 100 °С. Уплотнение катками смеси сопредельной
полосы следует начинать по продольному шву сопряжения.
Схема операционного контроля качества работ при
устройстве асфальтобетонного покрытия представлена в таблице 16 и на рисунке
11.
Таблица 16 - Схема операционного контроля качества
работ при устройстве асфальтобетонного покрытия
|
Основные контролируемые
операции
|
Состав контроля
|
Метод и средства контроля
|
Режим и объем контроля
|
Лицо, контролирующее
операцию
|
Место регистрации
|
|
1
|
2
|
3
|
4
|
5
|
6
|
|
Проверка основания перед
укладкой а/б смеси
|
1 Ровность 2 Плотность 3
Чистота основания
|
Инструментальный,
лабораторный, визуальный. 1 Трехметровая рейка, мерник 2 Плотномер
|
1 В трех створах (по оси и
в 1 м от кромок) 2 Пробы не менее трех на 1 км 3 В начале смены
|
Мастер, лаборант
|
|
|
Разбивочные работы
|
4 Ширина покрытия 5
Высотные отметки основания
|
Инструментальный: 4 Рулетка
металлическая измерительная 5 Нивелир
|
4 Через каждые 100 м 5 В
начале работы
|
Мастер, лаборант
|
Журнал производства работ
|
|
Уплотнение а/б смеси
|
11 Степень уплотнения смеси
12 Поперечный уклон покрытия 13 Ровность покрытия
|
Инструментальный,
лабораторный. 11 Контрольный проход тяжелого катка 12 Шаблон с уровнем,
рулетка металлическая измерительная 13 Трехметровая рейка, мерник
|
11 Пробы не менее трех на 1
км 12, 13 После двух-трех проходов легкого катка
|
|
Журнал лабораторных
испытаний проб
|
Рисунок 11 - Схема операционного контроля при
устройстве покрытия
.5
Организация движения
При организации движения на месте производства
дорожных работ должны применяться все необходимые технические средства,
предусмотренные схемой, рисунок 12. Всякое отклонение от утвержденных схем, а
также применение неисправных технических средств недопустимо [16].
Схемы организации движения и ограждения мест производства дорожных работ
должны быть утверждены руководителем дорожной организации и заблаговременно
согласованы с органами Государственной автомобильной инспекции (ГАИ).
Рисунок 12 - Организация движения при реконструкции
4. Деталь
проекта. Детальное проектирование ж/б водопропускной трубы
.1
Назначение водопропускных труб
Водопропускные трубы - это искусственные сооружения, предназначенные для
пропуска под насыпями дорог небольших постоянных или периодических действующих
водотоков. В отдельных случаях трубы используются в качестве путепроводов
тоннельного типа, скотопрогонов и т. п.
При проектировании дороги особенно при небольших высотах часто приходится
выбирать одно из двух возможных сооружений - малый мост или трубу. Если
технико-экономические показатели этих сооружений примерно одинаковы или
отличаются незначительно, предпочтение отдаётся трубе, так как:
устройство трубы в насыпи не нарушает непрерывности земляного полотна и
верхнего строения пути;
эксплуатационные расходы по содержанию трубы значительно меньше, чем
малого моста;
При высоте засыпки над трубой более 2 м влияние временной нагрузки на
сооружение снижается, а затем по мере увеличения этой высоты практически теряет
своё значение.
Водопропускные трубы различают [6]:
по материалу тела трубы - бетонные, железобетонные, металлические,
полимерные;
по форме поперечного сечения - круглые, прямоугольные, овальные;
по числу очков в сечении - одно-, двух-, многоочковые;
по работе поперечного сечения - безнапорные (работающие неполным сечением
на всём протяжении), напорные (работающие полным сечением на всём протяжении),
полунапорные (работающие у входного оголовка полным сечением, а на остальной
длине - неполным).
Отверстия труб на автомобильных дорогах следует принимать не менее:
,0 м - при длине трубы не более 30 м;
,75 м при длине трубы не более 15 м;
,50 м на съездах при устройстве в пределах трубы быстротока.
На внутрихозяйственных дорогах можно применять трубы с отверстиями
размером 0,5 м при их длине не более 10 м.
Толщина засыпки над звеньями или плитами труб до низа дорожной одежды
принимается не менее 0,50 м.
Малые, средние автодорожные мосты и водопропускные трубы разрешается
располагать на участках дорог с любым профилем и планом, принятым для данной
категории дороги.
Трубы, как правило, устраиваются в безнапорном режиме и, как исключение,
в напорном и полунапорном режимах для пропуска расчётного расхода воды.
Нельзя строить трубы при наличии наледей, ледохода. На реках и ручьях,
имеющих нерестилища рыб, трубы устраивают с разрешения инспекции рыбнадзора.
Возвышения бровки земляного полотна на подходах к трубам над расчётным
уровнем воды следует принимать не менее 0,50 м, а для труб, работающих в
напорном или полунапорном режиме,- не менее 1,0м.
Оголовки труб устраивают из портальной стенки и двух откосных крыльев,
заглублённых в грунт ниже глубины промерзания на 0,25 м и установленных на
щебёночное основание толщиной 10 см. Естественный грунт ниже глубины
промерзания заменяется песчано-гравийной смесью.
Примечания:
. Трубы подразделяют на 3 группы по несущей способности:
первая (1) - при расчетной высоте засыпки грунтом 2,0 м;
вторая (2) - 4,0 м;
третья (3) - 6,0 м.
Допускается для конкретных условий строительства трубопровода применять
трубы при другой расчётной высоте засыпки грунтом.
. Марка трубы состоит из буквенно-цифровых групп, разделённых дефисом.
Первая группа содержит обозначение типа трубы,
вторая - диаметр условного прохода в см и полезную длину в дм,
номер группы по несущей способности.
. Трубы следует изготавливать по ГОСТ 26633 из тяжёлого бетона класса по
прочности на сжатие В 25.
. Водонепроницаемость бетона труб должна соответствовать W4.
. Трубы ТБ, ТБП, ТС и ТСП поставляют потребителю в комплекте с резиновыми
уплотняющими кольцами.
. Трещины на поверхности труб не допускаются, за исключением усадочных
шириной не более 0,050 мм.
Оголовки труб отверстием 0,50…0,75 м сооружают из портальной стенки,
заглублённой в грунт ниже глубины промерзания на 0,25 м.
Откосные крылья разрешается выполнять из монолитного бетона марки В 15
без арматуры с опалубочными размерами сборных железобетонных блоков.
Длина трубы (Lтр) определяется
по формуле
Lтр =
В+2(Н-d-c)·m, (10)
где В - ширина земляного полотна, м;
d -
отверстие трубы, м;
с - толщина стенки, м;
m -
коэффициент заложения откоса.
Определим по формуле (10) длину трубы на ПК 85+61
4.2
Строительство железобетонных труб
Подготовительные работы на базе предприятия (рекомендации).
. Проверка элементов труб на допускаемые отклонения по ГОСТу
. Удаление наплывов, набрызга бетона на сочленяемых частях звеньев.
. Подбор всех элементов трубы по маркам согласно проектному решению.
. Складирование элементов трубы в одном месте.
.3
Подготовительная работа на месте строительства
. Выбор и подготовка площадки строительства. Корчёвка кустарника и
планировка площадки бульдозером.
. Приём и размещение оборудования, материала и конструкций.
. Разбивка оси трубы и контура котлована.
Геодезические работы, выполняемые в процессе строительства, состоят из:
разбивки сооружения в плане, включая главные оси и контуры котлована; высотной
разбивки; нивелировка продольного профиля лотка трубы.
Разбивкой в плане закрепляют на месте ясно видимые знаки, по которым
можно точно установить местоположение трубы и её элементов; закрепляют обычно с
помощью двух столбов, устанавливаемых по продольной оси трубы с учётом
обеспечения их сохранности на все время постройки, и кольев, забиваемых по оси
насыпи и в характерных точках. В некоторых случаях на расстоянии 1,5-2 м от
границ котлована устраивают обноски из горизонтально установленных досок, на
которых размечают характерные точки фундамента. Доски прибивают к столбам,
заглублённым в грунт. При разбивке сооружения в плане необходимо строго
выдерживать положение створа, расположенного по оси насыпи, и творчески
подходить к разбивки продольной оси трубы. Если будут выявлены какие-либо
неблагоприятные грунтовые или другие факторы на месте расположения трубы, её
нужно сместить в ту или другую сторону. Все отступления от проекта
согласовываются с заказчиком и проектной организацией.
Высотная разбивка заключается в определении отметок поверхности в месте
расположении трубы и глубины срезки грунта или, наоборот, его подсыпки под
трубу. Земляные работы по рытью котлованов и устройству фундаментов выполняют
под инструментальным контролем.
С помощью нивелира проверяют соответствие фактических отметок дна
котлована и верха подушки проектным. Аналогично контролируют высотное положение
фундамента, а затем и трубы. Продольный профиль труб нивелируют перед их
засыпкой и после отсыпки насыпи до проектных отметок. Необходимость, а также
периодичность и продолжительность дальнейших наблюдений устанавливают,
руководствуясь нормативами.
Высотную разбивку и нивелирование производят с привязкой к реперу,
расположенному вблизи трубы.
.4
Исполнительные работы
.4.1 Рытьё
котлована экскаватором и зачистка его вручную
Укрепление (при необходимости) дна котлована каменными материалами путём
вдавливания средствами утопления.
Котлованы под фундаменты водопропускных труб, разрабатывают в большинстве
случаев без крепления (ограждения). Только в водонасыщенных грунтах при
значительном притоке воды и невозможности обеспечить устойчивость стенок
котлована грунт разрабатывают под защитой крепления. Применяют также крепления
котлованов при постройке труб в непосредственной близости от эксплуатируемых
сооружений, обеспечивая тем самым их устойчивость.
Очертание котлованов и технология их разработки зависят от конструкции
трубы и её фундамента, от вида и состояния грунтов основания.
Крутизну откосов котлованов назначают с учётом глубины котлована и
характеристик разрабатываемого грунта.
Расстояние между вертикальной стенкой котлована и боковой поверхностью
фундамента применяют не менее 0,7 м, если предусмотрено нанесение гидроизоляции
на конструкцию или выполнение других работ, связанных с пребыванием людей в
котловане. Когда такие работы не предусмотрены, эта величина может быть
уменьшена до 0,1 м. При безопалубочном бетонировании фундаментов размеры
котлована принимают равным размерам фундамента. При разработке котлованов с откосами
расстояние между подошвой откоса и фундаментом должно составлять не менее 0,3
м. Во всех случаях размеры котлована увязывают с возможностями землеройных
средств.
Во всех случаях при рытье котлованов принимают меры по предотвращению
заполнения их поверхностными или грунтовыми водами. Для этого по контуру
котлована отсыпают грунтовые валики. Сооружая трубу на постоянном водотоке,
устраивают запруды или отводят русло в сторону с помощью канав.
Проникшую в котлован воду удаляют, либо устраивая в его низовой части
выпуск в водоотводную канаву, что обычно оказывается возможным при постройке
косогорных труб, либо обеспечивая механизированный водоотлив. Для водоотлива в
низовой части котлована делают ограждаемый приямок, из которого насосом
откачивают воду. Приямок располагают за пределами контура фундамента,
обеспечивая удаление воды во время фундаментных работ вплоть до засыпки пазух.
По мере углубления котлована ограждения приямка опускают. Нескальные грунты
разрабатывают землеройными машинами без нарушения естественного сложения грунта
в основании с недобором 0,1-0,2 м. Окончательно подчищают котлован
непосредственно перед устройством фундамента.
В настоящее время из многообразной землеройной техники при строительстве
водопропускных труб на железных и автомобильных дорогах наибольшее
распространение получили бульдозеры и экскаваторы.
Разработка котлованов бульдозером наиболее целесообразна при заложении
фундамента тела трубы и оголовка на одной отметке или при небольшой их разнице.
Для неограждаемых котлованов применяют экскаваторы, оборудованные
обратной лопатой, или драглайны. Достоинством этих механизмов является
возможность разработки грунта при разной глубине котлована, что обеспечивает
устройство котлована под средней частью трубы и оголовками, подошва фундамента
которых закладывается на большей глубине. Для разработки ограждаемых котлованов
целесообразно применять грейферы.
Во всех случаях разрабатываемый грунт укладывают за пределы котлована на
расстоянии, обеспечивающем устойчивость его стенок или ограждения. Отвалы
грунта не должны создавать затруднений для выполнения последующих строительных
и монтажных работ, а также для пропуска воды.
.4.2
Устройство фундаментов
Различают мелкообломочные и крупноблочные фундаменты. При монтаже
фундаментов из сборных элементов, в первую очередь, укладывают блоки
фундаментов оголовков до уровня подошвы фундамента тела трубы. Затем до того же
уровня заполняют пазухи фундаментов оголовков. С трёх сторон их засыпают
местным грунтом, в местах сопряжения фундаментов разной глубины заложения -
песчано-гравийной или песчано-щебёночной смесью, которую послойно уплотняют и
заливают цементным раствором. Затем кладку фундаментов оголовков ведут
одновременно с посекционным монтажом фундамента тела трубы. Порядок монтажа
принимают последовательным - от выходного оголовка к входному. Многорядную
кладку выполняют с перевязкой швов.
Технологический процесс по устройству монолитных фундаментов включает
изготовление и установку опалубки, доставку готовой бетонной смеси или её
приготовление на месте, укладку смеси, уход за бетоном, удаление опалубки,
засыпку пазух. Достаточно простые очертания фундаментов позволяют изготавливать
опалубку в виде инвентарных щитов, используемых на ряде объектов. Поверхность
щитов должна быть гладкой. Перед бетонированием её рекомендуется промазать
солидолом, что облегчит отделение щитов от бетонной конструкции.
Для загрузки бетонной смеси в опалубку секций применяют инвентарные лотки
или бадьи, загружаемые на месте или доставляемые с бетоносмесительных узлов.
Содержимое бадьи выгружают непосредственно в секции. Уплотняют бетон глубинными
или поверхностными вибраторами.
Сборно-монолитные фундаменты сооружают в такой последовательности: на
подготовленное основание или подушку устанавливают опалубку в швах между секциями;
пространство между сборными элементами и опалубкой в швах заполняют бетонной
смесью. Требования к производству бетонных работ в этом случае такие же, как и
при устройстве монолитных фундаментов.
Оборудование и механизмы для устройства фундамента выбирают с учётом
всего технологического процесса по сооружению трубы. Примерный перечень
основного оборудования включает: краны, растворосмесители, бетоносмесители,
вибраторы, электротрамбовки, сварочные агрегаты, передвижные электростанции.
Повышение эффективности устройства труб может быть достигнуто чёткой
организацией процесса изготовления, доставки конструкций и
монтажа труб на некотором участке по единому комплексному графику.
Необходимое условие этого - наличие хороших подъездов и развитой базы строительства.
Фундаменты, а также тело трубы и оголовки в этом случае монтируют "с
колёс", снимая кранами элементы с транспортных средств и укладывая их в
конструкцию. Операционный контроль качества работ приведен в таблице 17,18 и на
рисунке 13, [15].
Рисунок 13 - Операционный контроль качества
Таблица 17 - Операционный контроль качества работ
|
Операционный контроль
|
Обоснование
|
|
Контролируемые параметры
|
Допускаемые отклонения
|
|
|
Уступы в рядах фундаментных
блоков по высоте
|
Не более 10 мм.
|
СНиП 3.06.04-91 п.6.68.,
табл.17
|
|
Длина и ширина секций
фундаментов
|
Отклонения не должны
превышать значений от минус 10 мм до + 20 мм.
|
СНиП 3.06.04-91 п.6.68.,
табл.17
|
|
Относительные смещения
смежных железобетонных и бетонных элементов
|
Не более 10 мм.
|
СНиП 3.06.04-91 п.6.68.,
табл. 17
|
|
Величина зазоров между
секциями фундаментов и звеньями (от проектной величины) Зазоры между звеньями
и секциями фундаментов труб должны быть в одной плоскости
|
Не должна превышать ± 5 мм.
|
СНиП 3.06.04-91 п.6.68.,
табл.17
|
Таблица 18 - Примечания к таблице 17
|
Установку блоков следует
вести посекционно в направлении от выходного оголовка трубы к входному.
|
СНиП 3.06.04-91 п.6.63.
|
|
Строительный подъем труб
при высоте насыпи свыше 12 м следует назначать в соответствии с расчетом
ожидаемых осадок от веса грунта насыпи. При расчете осадок труб допускается
использовать методику, применяемую при расчете осадок фундаментов. Трубы под
насыпями высотой 12 м и менее следует укладывать со строительным подъемом (по
лотку), равным: ■ 1/80 h - при фундаментах на песчаных, галечниковых и
гравелистых грунтах основания; ■ 1/50 h - при
фундаментах на глинистых, суглинистых и супесчаных грунтах основания; ■
1/40 h - при грунтовых подушках из песчано-гравелистой и
песчано-щебеночной смеси (h - высота насыпи). Отметки лотка входного оголовка
(или входного звена) трубы следует назначать так, чтобы они были выше отметок
среднего звена трубы как до проявления осадок основания, так и после
прекращения этих осадок. Стабильность проектного положения секций фундаментов
и звеньев водопропускных труб в направлении продольной оси сооружений должна
быть обеспечена устойчивостью откосов насыпи и прочностью грунтов основания.
|
СНиП 2.05.03-84 п. 1.49.
|
|
При устройстве труб на
скальных грунтах и на свайных фундаментах строительный подъем назначать не
следует.
|
СНиП 2.05.03-84 п. 1.49.
|
4.4.3
Монтаж сборных железобетонных труб
К монтажу сборных оголовков и тела трубы приступают после устройства
фундаментов и засыпки пазух.
Сборные трубы монтируют с помощью самоходных кранов, грузоподъёмность
которых определяют, исходя из массы блоков тела трубы, оголовков и фундамента с
учётом возможного вылета стрелы крана.
Порядок монтажа определяют в зависимости от конструкции оголовочной части
трубы и местных условий.
Перед началом монтажа звенья, блоки оголовков и фундамента очищают от
грязи, а зимой от снега и льда.
Звенья и блоки с плоской поверхностью нижней грани устанавливают на
цементном растворе подвижностью 6-8 см по конусу СтройЦНИИЛа. Цилиндрические
звенья на плоскую поверхность фундамента устанавливают на деревянных
подкладках, соблюдая требуемый зазор между звеном и фундаментом. Затем под
звено подбивают бетонную смесь, обеспечивая полный контакт звена на всей его
длине. Раствор подливают с одной стороны, контролируя его появление с другой.
Затем восполняют недостающее количество раствора с противоположной стороны
звена, обеспечивая при этом полное заполнение и выравнивания шва. Раствор
используют подвижностью 11-13 см.
Заполнением вертикальных и горизонтальных швов обеспечивают сплошность и
монолитность конструкции трубы на участках между деформационными швами.
Швы в стыках звеньев или секций труб разрешаются конопатить с обеих
сторон пропитанной битумом паклей. С внутренней стороны швы должны быть на
глубину 3 см заделаны цементным раствором.
При монтаже следят за соблюдением проектных зазоров между блоками и
звеньями в пределах каждой секции с тем, чтобы выдерживать размеры секций и не
допускать перекрытия деформационных швов. Операционный контроль качества работ
приведен в таблице 19,20,21 и на рисунке 13, [15].
Рисунок 14 - Операционный контроль качества
Таблица 19 - Операционный контроль качества при монтировании звеньев
трубы
|
Операционный контроль
|
Допускаемые отклонения
|
Обоснование
|
|
Величина зазоров между
секциями фундаментов и звеньями (от проектной величины). Зазоры между
звеньями и секциями фундаментов труб должны
|
Не должна превышать ± 5мм.
|
СНиП 3.06.04-91 п.6.68.,
таб.17
|
|
Отклонение продольной оси
трубы в профиле и в плане (при условии отсутствия участков застоя воды)
|
Не более 30 мм.
|
СНиП 3.06.04-91 п.6.68.,
таб.17
|
|
Относительные смещения
смежных железобетонных и бетонных элементов
|
Не более 10 мм.
|
СНиП 3.06.04-91 п.6.68.,
таб.17
|
Таблица 20 - Входной контроль качества при монтировании звеньев трубы
|
Входной контроль
|
Обоснование
|
|
Контролируемые параметры
|
Допускаемые отклонения
|
|
|
Отклонения фактических
размеров звеньев от номинальных, приведенных в чертежах типовых конструкций
|
Отклонения по длине от +
5мм до минус 10 мм; Отклонения по толщине стенок от + 10 мм до минус 5 мм;
Отклонения по внутреннему диаметру (ширине, высоте) не более ± 10 мм.
|
ГОСТ 24547-81 п.2.5.1.
|
|
Отклонения фактических
размеров от номинальных для звеньев> высшей категории качества
|
Отклонения по длине и
толщине не более ± 5 мм.
|
ГОСТ 24547-81 п.2.5.1.
|
|
Для звеньев,
изготавливаемых в формах с внутренним конусообразным вкладышем, отклонение по
толщине стенок относится к верхнему (во время формования) торцу звена.
Конусность внутренней поверхности форм (разность диаметров звена) не должна
превышать 0,01 ее длины.
|
ГОСТ 24547-81 п.2.5.1.
|
|
Звенья круглых труб по всей
длине должны иметь правильную цилиндрическую или коническую (для оголовков)
форму, а звенья прямоугольных труб - призматическую. Допуск прямолинейности
поверхности круглых звеньев, измеряемый по образующей, не должен превышать 5
мм на 1 м длины звена. Искривление лицевой поверхности (неплоскостность)
звеньев прямоугольных труб не должно превышать 0,005 наибольшего размера
стороны трубы. Для звеньев высшей категории качества искривление по
поверхности не должно превышать 3 мм на 1 м длины звена круглой трубы или
0,003 наибольшего размера стороны прямоугольной трубы.
|
ГОСТ 24547-81 п.2.5.2.
|
|
Плоскости торцов звена
должны быть перпендикулярны к его продольной оси. Допускается перекос
торцевой плоскости звена не более 5 мм.
|
ГОСТ 24547-81 п.2.5.3.
|
|
|
|
Отклонение фактической
толщины защитного слоя бетона от номинальной, указанной в чертежах типовых
конструкций звеньев, не должно превышать ± 5 мм. Для звеньев высшей категории
качества отклонение фактической толщины защитного слоя бетона от номинальной
не должно превышать ± 3 мм.
|
ГОСТ 24547-81 п.2.5.5.
|
Таблица 21 - Входной контроль качества звеньев трубы
|
Входной контроль
|
Обоснование
|
|
Контролируемые параметры и
допускаемые отклонения
|
|
|
Качество наружных и внутренних
поверхностей звеньев должно соответствовать категории А 6 по ГОСТ 13015.0-83:
■ диаметр или наибольший размер раковины- 15 мм; ■ высота
местного наплыва (выступа) или глубина впадины - 5 мм; ■ глубина окола
бетона на ребре, измеряемая по поверхности конструкции -10 мм; ■
суммарная длина околов бетона на 1 м ребра - 100 мм. Для звеньев высшей
категории качества околы бетона на внутренних ребрах торцов труб не
допускаются.
|
ГОСТ 24547-81п.2.6.1. ГОСТ
13015-83,п.13.1.,таб,3, ГОСТ 24547-81 п.2.6.1.
|
|
Трещины в бетоне звеньев не
допускаются. Местные поверхностные усадочные трещины шириной не более 0,1 мм,
а для звеньев высшей категории качества - не более 0,05 мм не являются
основанием для браковки при условии соблюдения требований п.4.10. ГОСТ
24547-81
|
ГОСТ 24547-81 п.2.6.2.
|
|
Отклонения монтажных петель
от номинального положения, указанного в чертежах типовых конструкций звеньев,
не должны превышать: ■ в плане ± 20 мм; ■ по длине выпуска из
плоскости звена от 0 до минус 10 мм.
|
ГОСТ 24547-81 п.2.5.4.
|
|
Отклонения фактических
размеров арматурных каркасов от номинальных, указанных в чертежах типовых
конструкций звеньев, не должны превышать: ■ по расстоянию между
отдельными стержнями рабочей арматуры в ряду (при условии сохранения
проектного количества на 1 пог.м на всю длину звена) - от + 5 до минус 10 мм;
в по расстоянию между рядами рабочей арматуры - ± 5 мм; ■ по расстоянию
между хомутами в сварных каркасах- ± 10 мм; ■ по расстоянию между
хомутами в вязаных каркасах - ± 15 мм; ■ по высоте - ±5 мм; ■ по
остальным наружным размерам - ±10 мм.
|
ГОСТ 24547-81 п.2.5.6.
|
4.4.4
Устройство гидроизоляции труб.
Основным типом изоляции бетонных и железобетонных труб в настоящее время
служит битумная мастика.
Покрытия устраивают неармированными (обмазочными) и армированным (оклеечными).
Для труб неармированная гидроизоляция состоит из двух слоёв битумной мастики
толщиной 1,5-3 мм каждый по слою грунтовки, армированная - из слоёв армирующего
материала между тремя слоями битумной мастики также по слою грунтовки.
Поверхности железобетонных элементов труб - звеньев, плит перекрытия,
насадок и других, соприкасающихся с грунтом, как правило, защищают армированной
гидроизоляцией.
Последовательность работ по устройству гидроизоляции на битумной основе
следующая: подготовка поверхности; устройство (нанесение или наклейка)
гидроизоляции; устройство защитного слоя.
При подготовке поверхности конструкции очищают от грязи, просушивают, а в
необходимых случаях и выравнивание её цементным раствором. Нанесение
подготовительного слоя из цементного раствора требуется в местах образования
внутренних углов, например, на перекрытии трубы перед кордонным камнем, для
устройства сливов в многоочковых трубах и в других случаях.
Первая технологическая операция устройства собственно гидроизоляции -
нанесение на изолируемую поверхность битумного лака. Лак наносят в качестве
грунтовки с целью заполнения мелких трещин и пор, а также для улучшения
сцепления основного компонента гидроизоляции - битумной мастики - с бетонной
поверхностью. Рекомендуется наносить битумный лак напылением, используя
установки, состоящие из ёмкости и распыляющей пневмофорсунки. Существует и
немеханизированный способ устройства грунтовки с помощью кистей.
Неармированную гидроизоляцию устраивают после высыхания грунтовки, но не
ранее чем через 24 часа после её нанесения. Горячую мастику наносят слоями
толщиной 1,5-3 мм, второй слой - после остывания первого. Для нанесения мастики
применяют ручной инструмент - шпатели и др. Повышение качества работ и снижение
трудозатрат достигают, используя механизированный способ, преимущественно
пневмораспыление.
Армированную гидроизоляцию устраивают в такой последовательности. Вначале
наносят на загрунтованную поверхность первый слой горячей битумной мастики и
наклеивают первый слой армирующего рулонного материала; повторяют эти операции
для следующего слоя. Затем последний слой армирующего материала покрывают
отделочным слоем мастики толщиной 1,5-3 мм, выравнивая его после остывания
ручным электрокатком и дополняя мастикой места, где её оказывалось недостаточно.
Отдельные полотнища армирующего материала стыкуют внахлёстку с перекрытием
стыков на 10 см. Стыки первого и второго слоёв не должны располагаться друг над
другом. Стыки каждого следующего слоя сдвигают не менее чем на 30 см
относительно стыков ранее уложенного слоя. Рулонные материалы наклеивают, не
допуская образования пузырей и добиваясь плотного прилегания материала по всей
поверхности. Для разглаживания изоляции применяют электроутюги, электрокатки.
Защитный слой устраивают для предотвращения механических повреждений
гидроизоляции во время засыпки трубы и в последующий период, с учётом того, что
сохранность гидроизоляции в процессе многолетней эксплуатации - одно из
важнейших факторов нормальной работы трубы. Операционный контроль качества работ
приведен в таблице 22,23,24, [15].
Таблица 22 - Приемочный контроль качества гидроизоляции
|
Приемочный контроль
|
Обоснование
|
|
При контроле гидроизоляции
проверке подлежат: ■ качество примененных материалов и правильность
приготовления на месте составов мастик и грунтовок; ■ состояние
подготовленной поверхности и ее соответствие проекту; ■ правильность
выполнения гидроизоляции в местах примыканий, сопряжений и стыков; ■
соответствие конструкции гидроизоляции проекту и проверка ее толщины. Толщину
слоя в необходимых случаях проверяют контрольными надрезами с замером толщины
отогнутых концов, а в тиоколовой гидроизоляции - с помощью иглы, погружаемой
в незавулканизовавшийся слой. Проколы и надрезы в изоляции, служащие для
контроля ее толщины и прочности сцепления с основанием, допускается не более
одного на каждые 10м². ■ сцепление гидроизоляции с выравнивающим
слоем и отдельных слоев между собой. Данный показатель проверяют путем
медленного отрыва слоев на небольшом участке. Прочность приклейки считается
достаточной, если отрыв битумной гидроизоляции произойдет по слою мастики, а
тиоколовой - по контакту с выравнивающим слоем с повреждением его
поверхности. Наличие неприклеенных мест обнаруживают по глухому звуку при
простукивании поверхности только гидроизолирующего слоя. ■ правильность
армирования гидроизоляции; ■ состояние поверхности слоев
гидроизоляции. Проверяют визуально, фиксируя дефекты, подлежащие устранению
- вздутия, складки, просветы армирующих материалов, разрывы.
|
ВСН 32-81 п.7.2 п.7.6 п.7.5
п.7.7
|
|
Проколы и надрезы в
изоляции, служащие для проверки толщины и сцепления следует тщательно
заделать после проверки. Обнаруженные дефекты или отклонения от проекта
устраняют до устройства защитного слоя.
|
ВСН 32-81 П.п.7.6.,7.7.
|
Таблица 23 - Примечания к таблице 22
|
Примечание
|
Обоснование
|
|
Водопропускные трубы и
лотки на автомобильных дорогах изолируют с учетом результатов заводских
испытаний их звеньев на водонепроницаемость. На звеньях высшей категории
качества применяют битумную мастичную неармированную гидроизоляцию (типа
БМ-3), устраиваемую по поверхности секции и по поверхности заполнения между
ними с заведением на фундамент (рис.26) На звеньях, отнесенных при испытании
на водонепроницаемость к первой и второй категориям качества, и беспаспортных
звеньях устраивают битумную мастичную армированную гидроизоляцию (типа БМ-1)
или изольную рулонную (тип ИР). В стыках между звеньями труб устраивают
двуслойно армированную гидроизоляцию (тип БМ-1, БМ-2).
|
ВСН 32-81 п. 3.7. п.6.11.
п.3.7.
|
|
Гидроизоляцию на ригеле и
плите перекрытия водопропускных труб под железную и автомобильную дороги
защищают слоем толщиной 30 мм цементно-песчаного раствора марки 150.
|
ВСН 32-81 п. 3.11.
|
|
Работы по гидроизоляции
звеньев водопропускных труб и стыков между ними на стройплощадке следует
выполнять при отсутствии атмосферных осадков и положительной (не ниже + 5°С)
температуре воздуха. В зимнее время и при температуре воздуха ниже + 5°С
гидроизоляционные работы следует выполнять под прикрытием сборно-разборных
тепляков с обеспечением в них положительной температуры. Возможно устройство
гидроизоляции в зимнее время без тепляков на подогреваемых изнутри звеньях
водопропускных труб с закрытыми торцами. Гидроизоляционные материалы с
применением наплавляемых рулонных материалов (тип БРН) и резиноподобных
рулонных (типа РПР) допускается выполнять при отрицательной температуре до
минус 10°С, а с применением полиэтиленовой пленки (тип ПЭР) - до минус 15°С.
|
ВСН 32-81 п.6.2. п.5.3.
п.6.2. п.5.3.
|
|
Устройству гидроизоляции
должна предшествовать очистка бетонной поверхности от грязи и конопатка швов.
Швы между торцами звеньев и блоками оголовков конопатят, для чего в зазор
закладывают жгуты из пакли, пропитанной раствором битума в бензине (состава
1:1 по массе), жгуты утапливают на 1-1,5 см, зазор над ними заполняют
битумной мастикой. С внутренней стороны шов заполняют цементно-песчаным
раствором (состава 1:3). В пределах "дуги опирания" звена трубы
зазор конопатят жгутом пакли также изнутри и заделывают цементно-песчаным
раствором.
|
ВСН 32-81 П.6.5., 6.6.
|
|
Стыки между звеньями
перекрывают битумной мастичной двухслойно-армированной гидроизоляцией
полосами шириной 25-30 см симметрично относительно оси стыка (рис.26 а, 26
б). На бесфундаментных трубах гидроизоляцию, перекрывающую стыки между
звеньями, устраивают с компенсационным выгибом кверху
|
ВСН 32-81 п.6.16.
|
|
В стыках труб на фундаменте
над деформационными швами дополнительно устраивают компенсатор в виде
двухслойно-армированной полосы битумной мастичной гидроизоляции, каждый слой
армирующей ткани которой утапливают внутрь стыка (рис.26 а, 26 б). В
деформационных швах между секциями фундаментов водопропускных труб в процессе
монтажа должны быть вертикально установлены по торцам деревянные прокладки
толщиной 3 см, пропитанные раствором битума в бензине.
|
ВСН 32-81 п.6.17.
|
4.4.5
Обратная засыпка грунта.
Железобетонные водопропускные трубы засыпают грунтом после выполнения
всех работ по их сооружению и оформления соответствующего акта приёмки.
Для засыпки труб пригоден тот же грунт, из которого возведена насыпь.
Возведение насыпей над железобетонными трубами состоит из двух стадий:
заполнение грунтом пазух между стенками котлована и фундамента;
засыпка трубы на высоту звена.
Грунт укладывают одновременно с обеих сторон трубы на один одинаковую
высоту и уплотняют послойно специальной грунтоуплотняющей машиной виброударного
действия для работы в стеснённых условиях, а при её отсутствии - пневмокатками.
Грунтовую призму отсыпают наклонными от трубы слоями (с уклоном не круче 1 :
5), толщину которых назначают в соответствии с действующими нормативами.
Движение грунтоуплотняющих машин по каждому слою грунта вдоль трубы
следует начинать с удалённых от неё участков и с каждым последующим проходом
приближаться к стенкам трубы. Уплотнение грунта непосредственно у трубы
допускается, если с противоположной стороны уже отсыпан слой грунта на таком же
уровне по всей длине трубы. Особое внимание нужно уделять уплотнению грунта у
стенок трубы. При этом ручную электротрамбовку надо располагать на расстоянии
не менее 5 см от стенки. Над средней частью трубы (над звеньями) не допускается
переуплотнение грунта во избежание перегрузки конструкции.
При значительной высоте насыпи (более 10 м) над трубой целесообразно
оставлять зону пониженной (менее 0,95 от максимальной) плотности, разравнивая
грунт этой зоны бульдозером без уплотнения.
Если в процессе строительства машины, которые передвигаются над
засыпанной конструкцией или близко от неё, тяжелее чем временные нагрузки, для
которых была запроектирована труба, необходимо предусматривать дополнительную
засыпку во избежании разрушения трубы.
Степень уплотнения грунта в пределах призмы засыпки оценивают
коэффициентом К, который определяет собой отношение достигнутой плотности к
максимальной стандартной, определяемой по методу стандартного уплотнения.
Последнюю приводят в проекте производства работ на основании данных
инженерно-геологических изысканий. В соответствии с требованиями действующей
инструкции коэффициент уплотнения обеспечивают не ниже 0,95.
Оперативный контроль плотности в полевых условиях ведут
плотномером-влагомером Н.П. Ковалёва.
Необходимо отметить, что в процессе засыпки трубы нельзя допускать
отклонений от К=0,95 в меньшую сторону, так как снижение плотности грунта
существенно уменьшает его модуль деформации, а следовательно, и несущую
способность трубы. Операционный контроль качества работ приведен в таблице
25,26,27 и на рисунке 14, [15].
Рисунок 14 - Операционный контроль качества
Таблица 25 - Приемочный контроль качества
|
Приемочный контроль
|
Обоснование
|
|
При приемке готового
земляного полотна контрольную проверку производят не менее чем в трех местах
на каждом километре дороги и дополнительно над трубами и конусами мостов не
мене чем на 1/3 от их общего числа путем отбора из специальных буровых
скважин или шурфов по три образца с глубины 1-1,5 м. Отбор образцов
производится режущими кольцами. Вид, плотность (коэффициент уплотнения),
влажность грунта определяется в лаборатории стандартными методами
|
Руководство по сооружению
земляного полотна автомобильных дорог п. 13.64.
|
Таблица 26 - Операционный контроль качества гидроизоляции
|
Операционный контроль
|
Обоснование
|
|
Ширина прогала b в
насыпи для сооружения трубы не менее 10 м и не менее 4 м (b1)
от подошвы откоса насыпи до трубы. Прогалы контролируются на каждой трубе
(рис.27).
|
СНиП 3.06.04-91 п.9.11.,
таб. 29
|
|
Размеры грунтовой призмы,
контролируемые на каждой трубе: • верха - не ниже верха трубы; • откоса - не
круче 1:1,5
|
СНиП 3.06.04-91 п.9.11.,
таб. 29
|
|
Коэффициент уплотнения
грунта грунтовой призмы у МГТ 0,95. Контроль осуществляется на горизонтах
0,25d, 0,5d, 0,75d по высоте с обеих сторон по оси насыпи на
расстоянии 0,1 и 1,0 м от стенок - не менее 2
|
СНиП 3.06.04-91 п.9.11.,
таб. 29
|
|
Коэффициент уплотнения
грунта грунтовой призмы у бетонных и железобетонных труб 0,95. Контроль
осуществляется в каждом уплотненном слое грунта - в сечениях по оси насыпи и
с обеих сторон трубы на расстоянии 0,6 и 1,0 м от стенок.
|
СНиП 3.06.04-91 п.9.11.,
таб.29.
|
|
Коэффициент уплотнения
грунта над трубой на высоту 2 м в зоне пониженного уплотнения при насыпях
высотой 8 м и более 0,85-0,90. Осуществляется кон-
|
СНиП 3.06.04-91 п.9.11.,
таб.29.
|
|
Уменьшение горизонтального
диаметра МГТ в период засыпки и уплотнения грунта до 3% d.
Контролируют каждую трубу по всей длине.
|
СНиП 3.06.04-91 п.9.11.,
табл.29.
|
Таблица 27 - Примечания к таблице 26
|
Примечание
|
Обоснование
|
|
Уплотнение грунта в
стесненных условиях при засыпке водопропускных труб следует производить с
применением специальных уплотняющих средств виброударного или ударного
действия. Не допускается уплотнение трамбующими плитами на расстоянии менее 3
м от искусственных сооружений и при высоте засыпки над трубой менее h 2
м
|
СНиП 3.06.03-81 п.4.19.
|
|
При сооружении труб пазухи
котлованов фундаментов необходимо засыпать сразу после приемки фундаментов.
Не допускается засыпать пазухи при наличии в них воды. На участках мокрых и
сырых оснований пазухи и нижнюю часть призмы на высоту 0,5 м необходимо
отсыпать до начала устойчивых заморозков.
|
СНиП 3.06.04-91 П.9.3
|
|
При засыпке трубы вначале
следует отсыпать грунтовую призму с 2-х сторон трубы, а затем насыпь на
проектную высоту.
|
СНиП 3.06.04-91 п.9.4.
|
|
Переезд через сооружаемую
трубу транспортных средств допускается только в случае отсыпки поверх трубы
слоя грунта, толщиной не менее 1 м, а для бульдозеров - не менее 0,5 м.
Грунтовую призму следует сооружать под контролем представителей организации,
строящей трубу, и оформлять актом. Отсыпку насыпи следует выполнять по нормам
на сооружение земляного полотна.
|
СНиП 3.06.04-91 п.9.4.
|
|
Особое внимание необходимо
уделять качеству уплотнения грунта в труднодоступных местах - в нижних
четвертях звеньев круглых труб, в местах перехода звеньев в оголовки, в
гофрах металлических труб и т.д.
|
СНиП 3.06.04-91 п.9.5.
|
|
При расположении труб на
склонах лога засыпку следует начинать с низовой стороны, уделяя особое
внимание тщательному уплотнению слоев грунта. Уровень засыпки с низовой
стороны должен всегда превышать уровень грунта с верховой.
|
СНиП 3.06.04-91 п.9.6.
|
|
Грунты, предусмотренные в
проекте для устройства подушки МГТ: ■ пески средней крупности, крупные,
гравелистые; ■ щебенисто-галечниковые и древесно-гравийные грунты, не
содержащие обломков размером более 50 мм. Содержание частиц размером 0,1 мм -
не более 10%, в том числе глинистых размером менее 0,005 мм - не более 2%. То
же, для засыпки грунтовой призмы МГТ и мелкие пески, не содержащие частиц
размером менее 0,1 мм - не более 10%, в том числе глинистых размером менее
0,005 мм - не более 2%. То же, для засыпки МГТ выше жесткого слоя,
используемые при отсыпке насыпи, в том числе глинистые. Контроль грунта
каждой трубы ведется визуально и по данным гранулометрического анализа.
|
СНиП 3.06.04-91 п.9.11.,
табл.29.
|
|
Грунты для засыпки
грунтовой призмы бетонных и железобетонных труб допускается применять такие
же, как при отсыпке насыпи. Контроль осуществляется для каждой трубы.
|
СНиП 3.06.04-91 п.9.11.,
табл.29.
|
|
Засыпка пазух между
стенками котлована и фундаментом трубы ведется горизонтальными слоями,
одновременно с обеих сторон фундамента на всю длину котлована с допустимым
опережением на величину уплотненного слоя. При глубине заложения фундамента
до 0,7 м пазухи следует засыпать грунтом на полную высоту и уплотнять машиной
виброударного действия для стесненных условий на базе трактора ДТ-75 за два
прохода по одному следу со скоростью 500 м/ч. Контроль осуществляется для
каждой трубы.
|
СНиП 3.06.04-91| п.9.11.,
табл. 29
|
|
Толщина отсыпаемых слоев
грунта hi (в плотном теле), м: ■ 0,40-0,45 глинистых
грунтов - при уплотнении машинами на базе тракторов ДТ-75, Т-130Г для
уплотнения насыпей; ■ 0,50-0,65 песчаных грунтов - при уплотнении теми
же машинами; ■ 0,20-0,25 песчаных грунтов - при уплотнении
пневмокатками массой 25-30 т; ■ до 0,15 песчаных грунтов - при
уплотнении ручными электротрамбовками типа ИЭ-4505 или ИЭ-1502. Во время
отсыпки контролируют толщину каждого слоя.
|
СНиП 3.06.04-91 п.9.11.,
табл.29.
|
4.5 Расчет
состава отряда по строительству трубы
Рассчитаем состав отряда по строительству круглой железобетонной трубы d=1,5 м, расчеты сведем в таблицу 28.
Все вновь поступающие рабочие допускаются к работе по заключению
медицинской комиссии и только после прохождения вводного (общего) инструктажа
по технике безопасности и инструктажа по технике безопасности непосредственно
на рабочем месте.
Кроме этого, рабочие в течение трёхмесячного срока со дня поступления
должны пройти обучение безопасным методам работы по 6 -10- часовой программе.
По окончании обучения необходимо провести экзамены в постоянно
действующих комиссиях и составить акт, который нужно хранить в личном деле
рабочего.
Строительную площадку следует оборудовать постоянными или временными
санитарно-бытовыми устройствами: уборными, умывальными, раздевалками, сушилками
для одежды, помещениями для приёма пищи, душевыми, медпунктами или аптечкой.
Рабочие должны быть снабжены питьевой водой.
Таблица 28 - Технологическая последовательность на строительство
железобетонной трубы d=1,5
м, l=16 м
|
№ п.п.
|
Источник обоснования норм
выработки
|
Наименование работ в
порядке их технологической последовательности с расчетом потребных ресурсов
|
Состав бригады, звена
|
Единица измерения
|
Объем работ
|
Норма времени, чел-ч
(маш-ч)
|
Потребное количество
чел-смен (маш-смен)
|
|
1
|
2
|
3
|
4
|
5
|
6
|
7
|
8
|
|
1
|
ЕНиР, 2-1-24, табл. 2, № 6а
|
Планировка строительной
площадки бульдозером ДЗ-8 за три прохода по одному следу
|
Машинист 5 разр. - 1
|
1000 м²
|
0,36
|
0,35 (0,35)
|
0,02 (0,02)
|
|
2
|
ЕНиР, 4-4-92, № 7
применительно
|
Погрузка звеньев трубы
диаметром 1,5 м (массой до 5 т) автомобильным краном КС-2561
|
Монтажники конструкций: 4
разр. - 1, 3 разр. - 1; машинист крана 6 разр. - 1
|
1 звено
|
14
|
0,435 (0,145)
|
2,02 (0,67)
|
|
3
|
ЕНиР, 4-4-92, № 1
применительно
|
Погрузка блоков оголовков
автомобильным краном КС-2561
|
Монтажники конструкций: 4
разр. - 1, 3 разр. - 1; машинист крана 6 разр. - 1
|
1 блок
|
8
|
0,66 (0,22)
|
0,64 (0,21)
|
|
4
|
ЕНиР, 4-4-92, № 1
|
Разгрузка и сортировка
блоков оголовков автомобильным краном КС-2561
|
Монтажники конструкций: 4
разр. - 1, 3 разр. - 1; машинист крана 6 разр. - 1
|
1 блок
|
8
|
0,66 (0,22)
|
0,64 (0,21)
|
|
5
|
ЕНиР, 4-4-92, № 7
|
Разгрузка и сортировка
звеньев трубы диаметром 1,5 м (массой до 5 т) автомобильным краном КС-2561
|
Монтажники конструкций: 4
разр. - 1, 3 разр. - 1; машинист крана 6 разр. - 1
|
1 звено
|
14
|
0,435 (0,145)
|
2,02 (0,67)
|
|
6
|
ЕНиР, 2-1-15, табл. 2, №
5б+д
|
Разработка грунта бульдозером
ДЗ-8 с перемещением до 50 м
|
Машинист 5 разр. - 1
|
100 м³
|
3,19
|
3,53 (3,53)
|
1,37 (1,37)
|
|
7
|
ЕНиР, 2-1-31, табл. 3, № 2е
|
Разработка грунта вручную и
зачистка поверхности дна и стенок
|
Землекоп 2 разр. - 1
|
1 м³
|
48
|
1,3
|
7,61
|
|
8
|
ЕНиР, 2-1-8, А, табл. 3, п.
5
|
Погрузка щебеночно-песчаной
смеси экскаватором с прямой лопатой Э-659
|
Машинист 6 разр. - 1,
помощник машиниста 5 разр. - 1
|
100 м³
|
0,93
|
3 (1,5)
|
0,34 (0,17)
|
|
9
|
ЕНиР, 4-4-88, № 4а
|
Устройство
песчано-щебеночной подготовки под фундамент трубы толщиной 10 см
|
Дорожные рабочие: 4 разр. -
1, 3 разр. - 1, 2 разр. - 1
|
100 м²
|
15,9
|
14,5
|
28,12
|
|
10
|
ЕНиР, 4-4-88, № 5а
|
Устройство
песчано-щебеночной подготовки под оголовки трубы слоями по 15 см
|
Дорожные рабочие: 4 разр. -
1, 3 разр. - 1, 2 разр. - 1
|
100 м²
|
3,40
|
20
|
8,29
|
|
11
|
ЕНиР, 4-1-27, табл. 2, №
2А+б
|
Устройство и разборка
опалубки из готовых щитов площадью до 2м
|
Плотники: 4 разр. - 1, 2
разр. - 1
|
1 м²
|
59,3
|
0,65
|
4,70
|
|
12
|
ЕНиР, 4-1-37, табл. 2, № 1
|
Устройство фундамента под
тело трубы из сборных ж/б блоков автомобильным краном КС-2561
|
Монтажники конструкций: 4
разр. - 1, 3 разр. - 1; машинист крана 6 разр. - 1
|
1 блок
|
14
|
3,10 (0,62)
|
14,37 (2,87)
|
|
13
|
ЕНиР, 4-4-93, № 2
|
Установка портальных блоков
оголовков автомобильным краном КС-2561
|
Монтажники конструкций: 4
разр. - 2, 3 разр. - 2 машинист крана 6 разр. - 1
|
1 блок
|
4
|
3,25 (0,65)
|
1,59 (0,32)
|
|
11
|
ЕНиР, 4-4-93, № 6
|
Установка откосных
оголовков автомобильным краном КС-2561
|
Машинист крана 6 разр. - 1,
монтажники конструкций: 4 разр. - 2, 3 разр. - 2
|
1 блок
|
4
|
3,45 (0,69)
|
1,68 (0,34)
|
|
12
|
ЕНиР, 4-4-94, № 4а
|
Установка звеньев трубы
диаметром 1,5 м (массой до 5 т) автомобильным краном КС-2561
|
Машинист крана 6 разр. - 1,
монтажники конструкций: 4 разр. - 2, 3 разр. - 2
|
1 звено
|
14
|
3,10 (0,62)
|
14,37 (2,87)
|
|
13
|
ЕНиР, 2-1-39, табл. 2, № 4б
ЕНиР, 2-1-55, табл. 1, № 2б
|
Машинист крана 6 разр. - 1,
землекопы: 2 разр. - 1, 1 разр. - 1
|
1 м³
|
16,5
|
2,24 (0,75)
|
1,54 (1,51)
|
|
14
|
ЕНиР, 4-4-98, табл. 17-31,
№ 1+3
|
Бетонирование лотков
оголовков толщиной 20 см и уход за свежеуложенным бетоном
|
Бетонщики: 4 разр. - 1, 3
разр. - 2
|
1 м³
|
5,6
|
3,49
|
2,38
|
|
15
|
ЕНиР, 4-4-99, № 1
|
Конопатка швов звеньев
трубы паклей, пропитанной битумом
|
Монтажники конструкций: 4
разр. - 1, 3 разр. - 1
|
1 м шва
|
238,64
|
0,155
|
4,51
|
|
16
|
ЕНиР, 4-4-102, № 1а
|
Устройство оклеечной
гидроизоляции слоем рулонных материалов
|
Гидроизолировщики: 4 разд.
- 1, 3 разр. - 1, 2 разр. - 1
|
1 м²
|
56
|
0,54
|
3,69
|
|
17
|
ЕНиР, 4-4-99, № 2
|
Заделка швов цементным
раствором
|
Монтажники конструкций 4
разр. - 1
|
1 м шва
|
258,64
|
0,084
|
2,44
|
|
18
|
ЕНиР, 4-4-101, № 1
|
Устройство обмазочной
гидроизоляции битумом
|
Гидроизолировщики 3 разр. -
2
|
1 м²
|
254
|
0,26
|
8,05
|
|
19
|
ЕНиР, 2-1-44, № 2б
|
Обратная засыпка котлована
вручную с трамбованием грунта ручной трамбовкой
|
Землекоп 2 разр. - 1, 1
разр. - 1
|
1 м³
|
30
|
0,88
|
3,22
|
|
20
|
ЕНиР, 2-1-21, табл. 2, №
6б+д ЕНиР, 2-1-45, табл. 3, № 4а
|
Обратная засыпка котлована
бульдозером ДЗ-8 с перемещением грунта до 50 м и трамбование грунта ручной
трамбовкой при толщине слоя до 20 см
|
Машинист 5 разр. - 1,
землекопы 2 разр. - 1
|
100 м³
|
1,75
|
27,46 (2,46)
|
5,86 (0,53)
|
|
Итого:
|
|
|
|
|
|
8,14 (8,95)
|
|
Укрепительные работы
|
|
21
|
ЕНиР, 2-1-15, табл. 2, №
5б+д
|
Разработка грунта
бульдозером ДЗ-8 с перемещением до 50 м
|
Машинист 5 разр. - 1
|
100 м³
|
3,31
|
3,53 (3,53)
|
1,42 (1,42)
|
|
22
|
ЕНиР, 2-1-31, табл. 4, № 1б
|
Разработка грунта вручную с
одиночной перекидкой
|
Землекоп 1 разр. - 1
|
1 м³
|
43
|
0,14
|
0,73
|
|
23
|
ЕНиР, 4-4-92, № 3
|
Погрузка упорных блоков
автомобильным краном КС-2561
|
Монтажники конструкций: 4
разр. - 1, 3 разр. - 1; машинист крана 6 разр. - 1
|
1 блок
|
4
|
0,3 (0,1)
|
0,15 (0,05)
|
|
24
|
ЕНиР, 1-11, № 3а
|
Погрузка бетонных плит
размером 0,49 0,49 0,10
вручнуюПодсобные (транспортные) рабочие 1 разр. - 11 т14,70,530,95
|
|
|
|
|
|
|
25
|
ЕНиР, 4-4-92, № 3
|
Разгрузка и сортировка
упорных блоков автомобильным краном КС-2561
|
Монтажники конструкций: 4
разр. - 1, 3 разр. - 1; машинист крана 6 разр. - 1
|
1 блок
|
4
|
0,3 (0,1)
|
0,15 (0,05)
|
|
26
|
ЕНиР, 1-11, № 3г
|
Погрузка бетонных плит
вручную
|
Подсобные (транспортные)
рабочие 1 разр. - 1
|
1 т
|
14,7
|
0,57
|
1,02
|
|
27
|
ЕНиР, 4-4-90, табл. 2, № 1б
|
Укладка бетонных блоков
упоров автомобильным краном КС-2561
|
Машинист крана 6 разр. - 1,
монтажники конструкций: 4 разр. - 1, 3 разр. - 2
|
1 блок
|
4
|
0,700 (0,175)
|
0,341 (0,085)
|
|
28
|
ЕНиР, 13-5, табл. 1, № 16
ЕНиР, 4-4-89
|
Укрепление откосов и русла
входного оголовка плитами П-1 на цементном растворе 2 см и слое щебня 10 см
|
Мостовщики: 4 разр. - 1, 3
разр. - 2
|
100 м²
|
0,64
|
52,42
|
4,09
|
|
29
|
ЕНиР, 4-4-38, № 4а
|
Устройство щебеночной
подготовки толщиной 10 см под укрепление монолитным бетоном
|
Дорожные рабочие: 4 разр. -
1, 3 разр. - 1, 2 разр. - 1
|
100 м²
|
0,77
|
14,5
|
1,36
|
|
30
|
ЕНиР, 4-4-4, № 1+2
|
Установка арматурных сеток
в монолитный фундамент
|
Арматурщики: 3 разр. - 1, 2
разр. - 2
|
1 сетка
|
6
|
2,39
|
1,75
|
|
31
|
ЕНиР, 24-4-98, 17-31, № 1+3
|
Укрепление откосов и русла
трубы монолитным бетоном и уход за свежеуложенным бетоном
|
Бетонщики: 4 разр. - 1, 3
разр. - 2
|
1 м³
|
10,1
|
3,49
|
4,29
|
|
32
|
ЕНиР, 1-11, № 36
|
Погрузка камня в автомобиль
ЗИЛ-555 вручную
|
Подсобные (транспортные)
рабочие 1 разр. - 1
|
1 т
|
12,64
|
0,41
|
0,63
|
|
33
|
ЕНиР, 13-5, № 1
|
Устройство каменной
наброски
|
Мостовщик 3 разр. - 1
|
100 м³
|
0,079
|
66,9
|
0,64
|
|
Итого по укрепительным
работам:
|
|
|
|
|
|
17,03 (1,60)
|
|
Всего:
|
|
|
|
|
|
97,17 (10,55)
|
Администрация строительства обязана снабжать рабочих спецодеждой,
спецобувью и индивидуальными защитными средствами в соответствии с характером
работ согласно действующим нормам.
На строительных мастеров возлагается в пределах порученных им участков
работ:
осуществление правильного и безопасного ведения строительно-монтажных
работ с применением строительных машин, механизмов, механизированного
инструмента и оборудования;
контроль за состоянием лесов и подмостей, защитных приспособлений,
креплений котлованов, траншей и др.;
проверка чистоты и порядка на рабочих местах, в проходах и на подъездных
путях, обеспечение освещённости рабочих мест, проверка правильной эксплуатации
подкрановых и подкопровых путей;
инструктаж рабочих по технике безопасности на рабочих местах в процессе
производства работ;
контроль за применением и правильным использованием рабочими спецодежды и
индивидуальных защитных средств, за соблюдением норм переноски тяжестей, за
обеспечением рабочих мест предупредительными надписями и плакатами.
5.
Экономика строительства
.1
Определение сметной стоимости строительства
В экономическом разделе произведен сметный расчет стоимости работ по
возведению земляного полотна (локальная смета № 1,в соответствии с таблицей
29), сметный расчет двух вариантов дорожной одежды (локальные сметы №2, 3, в
соответствии с таблицами 30, 31), [17].
Общая сметная стоимость автомобильной дороги определяется сводной сметой,
которая является основным документом для расчетов за выполненные работы между
заказчиком и подрядчиком.
Для расчета стоимости всего объекта в целом сводная
смета составляется по главам, соответствующим отдельным конструктивным
элементам дороги (всего 12 глав). Сводная смета представлена в виде таблицы 32.
Локальные сметы № 1-3 составлены по единичным
расценкам на основании ТЕР 81-02-01-2001 "Территориальные единичные
расценки для определения стоимости строительства в Иркутской области. Сборник №
1. Земляные работы", ТЕР 81-02-27-2001 "Территориальные единичные
расценки для определения стоимости строительства в Иркутской области. Сборник №
27. Дорожная одежда"
Основанием для расчета служат объемы работ и их
единичные стоимости.
Подраздел 6.2 посвящен расчету экономической эффективности реконструкции
участка автомобильной дороги Тверь-Мухино. Из расчета видно, что производство
работ по реконструкции экономически эффективно (срок окупаемости составляет
2,86 года).
Показатели эффективности капитальных вложений наряду с
показателями социальной эффективности характеризуют народнохозяйственную
целесообразность осуществления затрат на строительство и реконструкцию
автомобильных дорог. При расчете эффективности капитальных вложений обязателен
народнохозяйственный подход, то есть учет затрат и эффективности учет затрат и
эффектов не только в дорожном транспорте, но и других видах транспорта, а также
и в нетранспортных отраслях народного хозяйства.
Определение эффективности капитальных вложений при
проектировании имеет целью выбор и экономическое обоснование наиболее
эффективных капитальных вложений, т.е. наилучшего варианта развития сети
автомобильных дорог с учетом решения социально-экономических задач в данном
плановом (проектном) периоде и генеральной перспективе, установление
очередности и сроков строительства и реконструкции отдельных звеньев сети
автомобильных дорог и объектов; а также выбор и экономическое обоснование
наилучших вариантов проектных решений по развитию существующих и созданию новых
автомобильных дорог; помимо этого исчисление эффективности принимаемых
вариантов для ее учета при составлении планов дорожного строительства и оценки
их выполнения.
В подразделе 6.3 рассчитаны основные технико-экономические показатели
реконструкции. Результаты расчета сведены в таблицу 29. Также эти показатели
вынесены на лист 9 "Основные технико-экономические показатели".
.2 Расчет
экономической эффективности строительства дороги
В качестве показателей, характеризующих уровень
эффективностей капиталовложений в дорожное строительство, рассчитываются
показатель абсолютной эффективности и срок окупаемости следующим формулам [13]:
(11)
где С1, С2 -
текущие затраты по вариантам ("дорога до реконструкции" - 1-ый
вариант и "дорога после реконструкции" 2-ой вариант) на один
расчетный год эксплуатации дороги;
К2, K1 - приведенные единовременные затраты
для тех же вариантов.
В состав текущих затрат входят:
1) Ежегодные затраты на текущий ремонт и содержание
дороги (Стр);
) Стоимость пробега автомобилей по дороге в границах
сравнения (Са);
) Народнохозяйственные потери, связанные о затратами
времени пассажиров на проезд по дороге (Св);
) Народнохозяйственные потери, связанные с ДТП (Сп).
Величина текущих затрат рассчитывается на расчетный
год и определяется для каждого из двух вариантов по формуле
(12)
Расчетный
год при определении текущих затрат по вариантам устанавливается по [приложению
9]. По каждому отдельному слагаемому величина затрат может быть определена:
Стр - по данным [приложения 9]:
Стр
1=
=93647931 руб.,
Стр
2=
=112495314 руб.;
Са - по следующей формуле
(13)
где
Д - длина дороги по сравниваемым вариантам, км (Д 1=Д 2=5,871
км);
Ил, Иа, Иг -
интенсивность движения соответственно легковых, автобусов и грузовых
автомобилей в сутки;
Вперл, Вперг, Впера -
средние величины переменных затрат на 1 км пробега трех видов автотранспорта
[приложение 5], руб.;
Впостл, Впоста, Впостг -
средние величины постоянных затрат на 1 машино - час [приложение 5], руб.;
Зл, Зг, За - средняя
величина зарплаты водителей трех видов транспорта на 1 машино - час [приложение
5], руб.;
Фл, Фг, Фа - средние
технические скорости легковых, грузовых автомобилей и автобусов в пределах
сравниваемых вариантов дороги, км/ч.
По
формуле (13) получим
Св находится из выражения
(14)
где Рл, Ра - среднее количество
пассажиров в одном легковом автомобиле и в одно автобусе;
Вл, Ва - коэффициент наполнения подвижного
состава (для автобусов - 0,65; для легковых автомобилей 0,5-0,8);
Ц
- средняя величина потерь народного хозяйства, приходящая на 1 час пребывания
пассажиров в пути (стоимость одного пассажира часа можно принять ориентировочно
28,8 рубля).
По формуле (14) получаем
Ежегодные
потери от ДТП с однородными дорожными условиями подсчитывается по формуле
(15)
где
а - количество дорожно-транспортных происшествий на 100 млн. авт-км в
существующих и проектируемых условиях (устанавливается путем расчета и
построения линейного графика коэффициентов аварийности);
Сср - средняя стоимость одного дорожно-транспортного
происшествия, руб. 2007г - 170371,49 руб.;
m -
поправочный стоимостный коэффициент, учитывающий тяжесть ДТП, равный
произведению частных коэффициентов (приложение 6),
И - интенсивность движения на дороге, авт-сут,
Д - протяженность дороги с однородными дорожными
условиями, км.
По
формуле (15) получаем
В
итоге по формуле (12) получаем
В
состав единовременных затрат по сравниваемым вариантам входят:
)
Капиталовложения на реконструкцию автомобильной дороги;
)
Затраты на капитальные ремонты;
)
Капиталовложения в подвижной состав автомобильного транспорта, соответствующие
началу эксплуатации объекта состав, соответствующие ежегодному увеличению
объема транспортного обслуживания.
Общая
сумма приведенных единовременных затрат определяется выражением
(16)
где Кд - капиталовложения на реконструкцию автодороги
на основе смет, руб.;
Ккр - стоимость капитального ремонта по данным [приложения 13],
руб.;
τо - коэффициент приведения разновременных
затрат (0,463);
Ка - капиталовложения в подвижной состав, необходимый для
выполнения в расчетном году перевозок с учетом всей совокупности дорожных
условий в районе тяготения дороги, руб.;
Ку - дополнительные ежегодные капиталовложения в подвижной
состав, соответствующие ежегодному увеличению объема транспортного
обслуживания, руб.
Приведение разновременных затрат в соответствующий вид, т.е. к одному
моменту, производится при помощи коэффициента приведения t0, который определяется по формуле
(17)
где
t - период приведения, равный разности между годом, в
котором осуществляются затраты и годом, к которому они приводятся, лет;
р - норматив приведения равномерных затрат, равный
0,10.
Величину капиталовложений в подвижной состав, необходимый для выполнения
в расчетном году перевозок с учетом всей совокупности дорожных условий в районе
тяготения дороги, можно рассчитать по формуле
, (18)
где
Сл, Сг, Са - удельные
капиталовложения в подвижной состав с учетом затрат в автотранспортные
предприятия на один среднесписочный автомобиль (приложение 8), руб.;
Кв - коэффициент выпуска автомобилей на линию (0,7);
Кн - время пребывания автомобилей в наряде (9-10 часов).
По
формуле (18) получим
Дополнительные
ежегодные капиталовложения в подвижной состав, соответствующие ежегодному
увеличению объема транспортного обслуживания определяется в соответствии с
изменением величин интенсивности и состава движения на дороге
(19)
где Ио - интенсивность движения на начало эксплуатации
дороги, авт/сут (140);
Ир, Ир-1 - то же на расчетный год (2017) и
год, ему предшествующий, авт/сут (Ир=188 авт/сут, Ир-1=183
авт/сут).
По формуле (19) получим
По
формуле (16) получаем
По
формуле (11) получаем
Получившиеся
в результате расчетов "Э" и "Т" сравниваем с
нормативными.
Если Э > Ен = 0,12, а Т < Тн = 8,3
года, то капитальные вложения в автомобильную дорогу считаются экономически
эффективными.
По итогам расчетов можно сделать вывод о том, что капиталовложения в
реконструкцию автодороги являются экономически эффективными, т. к. полученный
показатель эффективности Э=0,35 превышает нормативное значение Ен
= 0,12. Срок окупаемости реконструкции участка автомобильной дороги составляет
2,86 года.
.3 Расчет основных технико-экономических
показателей
Наряду с показателями общей экономической
эффективности и срока окупаемости при оценке проектных решений принимаются во
внимание дополнительные показатели, характеризующие технико-экономический
уровень строительства автомобильной дороги, такие как трудоемкость работ,
стоимостная выработка на одного рабочего, уровень механизации труда рабочих,
уровень комплексной механизации, механовооруженность труда рабочих,
материалоемкость, прибыль, уровень рентабельности и др.
Каждый показатель определяется методом изложенным в
теоретической части курса "Экономика дорожного строительства".
Рассчитанные в дипломном проекте основные
технико-экономические показатели сводим в итоговую таблицу 30, которую
необходимо проанализировать с целью установления эффективности принятых решений
и сделать вывод для чего все показатели составляют с нормативными или со
средними показателями, характеризующими работу передовых дорожно-строительных
организаций.
Общая сметная стоимость (Ссм), тыс. руб., принята по
сводной смете (58898,07 тыс. руб.).
Сметная себестоимость (Ссеб), тыс. руб.
(20)
где
N - процент плановых накоплений, принимаемый равным 8%
от общей сметной стоимости строительства.
По
формуле (20) получаем
Стоимость
одного километра дороги (Скм), тыс. руб.
(21)
где
L -
длина трассы, км (5,871).
По
формуле (21) получаем
Текущие
затраты (С2) и единовременные затраты (К2)
рассчитаны выше: С2=115293,76 тыс. руб., К2=59615,73
тыс. руб.).
Стоимость
1 м² дорожной одежды (С`д.о.), руб.
(22)
где
Сд.о. - стоимость дорожной одежды по сводной
смете, тыс. руб. (41075,88 тыс. руб);
Sд.о. -
площадь дорожной одежды, тыс. м² (41,097
тыс. м²).
По
формуле (22) получаем
Выработка
на одного рабочего (Сраб), руб. / чел.-дн.
(23)
где
Мраб - трудоемкость работ, чел.-дн. (Мраб=11760
руб.).
По
формуле (23) получаем
Экономический
эффект от сокращения сроков строительства (Эс.с.), тыс. руб.
(24)
где
Эн - нормативный показатель эффективности (Эн
= 0,15);
Фосн -
стоимость основных фондов, введенных досрочно, тыс. руб.
Фосн
=21792,28 тыс. руб.;
tэ - нормативный срок реконструкции, лет (tэ
=0,89 года);
tф - фактический срок строительства, лет (tф
=0,23года).
По
формуле (24) получаем
Экономический
эффект от снижения условно постоянной части накладных расходов (Эу.ч.),
тыс. руб.
(25)
где
Ну - условно постоянная часть накладных расходов, тыс. руб.,
принимается в размере 60% от всех накладных расходов (Снакл), тыс. руб.
(накладные расходы составляют 133% от ФОТ, определяются по каждой локальной
смете).
По
формуле (25) получаем
Уровень
механизации труда (Ммех), %
(26)
где
Смех - стоимость работ, выполненных механизированным
способом, тыс. руб. (Смех =44173,55 тыс. руб.).
По
формуле (26) получаем
Договорная
цена (Д), тыс. руб.
(27)
По
формуле (27) получаем
Балансовая
прибыль (Пб), тыс. руб.
(28)
По
формуле (28) получаем
Налог
на прибыль (Nп)
составляет 24% от балансовой прибыли, т.е.
Чистая
прибыль (за вычетом налога на прибыль) составляет 3581,01 тыс. руб.
НДС
составляет 18% от сметной стоимости реконструкции, т.е. 10601,65 тыс. руб.
Уровень
рентабельности (И), %
(29)
По
формуле (29) получаем
Материалоемкость
(Ммат), %
(30)
где
Смат - стоимость материалов, тыс. руб (Смат=32421,45
тыс. руб.).
По
формуле (30) получаем
Расчет
коэффициента эффективности и срока окупаемости произведен при расчете
экономической эффективности реконструкции.
Таблица 33 - Основные технико-экономические показатели
|
Наименование показателей
|
Ед. измер.
|
Кол-во единиц
|
|
1
|
2
|
3
|
|
Общая стоимость
реконструкции дороги
|
тыс. руб.
|
58898,07
|
|
Сметная себестоимость
реконструкции
|
тыс. руб.
|
|
Стоимость 1 км дороги
|
тыс. руб.
|
10032,03
|
|
Текущие затраты
|
тыс. руб.
|
115293,76
|
|
Стоимость 1 м² дорожной одежды
|
руб.
|
999,48
|
|
Единовременные затраты.
|
тыс. руб.
|
59615,73
|
|
Выработка на одного
рабочего
|
руб./чел.-дн.
|
5008,34
|
|
Экономический эффект от
сокращения сроков строительства
|
тыс. руб.
|
2157,43
|
|
Экономический эффект от
снижения условно-постоянной части накладных расходов
|
тыс. руб.
|
555,41
|
|
Уровень механизации труда
|
%
|
82
|
|
Договорная цена.
|
тыс. руб.
|
69499,72
|
|
Балансовая прибыль
|
тыс. руб.
|
4711,85
|
|
Налог на прибыль
|
тыс. руб.
|
1130,84
|
|
Чистая прибыль
|
тыс. руб.
|
3581,01
|
|
НДС
|
тыс. руб.
|
10601,65
|
|
Уровень рентабельности
|
%
|
12
|
|
Материалоемкость
|
%
|
60
|
|
Коэффициент эффективности
|
-
|
0,35
|
|
Срок окупаемости
|
лет
|
2,86
|
|
Общий экономический эффект
|
тыс. руб.
|
2712,84
|
6.
Безопасность и экологичность проекта
.1 Охрана
труда
Трудовое законодательство устанавливает основные трудовые права и обязанности
рабочих и служащих, порядок заключения коллективного договора, его содержание и
действие, гарантии приема на работу, трудовую дисциплину, обеспечение здоровых
и безопасных условий труда, проведение инструктажа по технике безопасности,
производственной санитарии, противопожарной охране и льгот для рабочих и
служащих.
Техника безопасности представляет собой систему организационных и
технических мероприятий и средств, предотвращающих воздействие на работающих
опасных производственных факторов.
Мероприятия по технике безопасности по СниП III-4-80* (2000) "Техника безопасности в
строительстве" включают в себя улучшение производственных процессов,
конструкции машин и оборудования, технологической оснастки и приспособлений,
ручного строительно-монтажного инструмента, средств сигнализации применение
средств коллективной и индивидуальной защиты.
Производственная санитария включает комплекс санитарно- гигиенических и
лечебно-профилактических мероприятий по оздоровлению условий труда.
Противопожарная безопасность на строительной площадке предусматривает
соблюдение ряда требований:
устройство противопожарных разрывов между временными сооружениями и
местами хранения сгораемых материалов;
наличие дорог, обеспечивающих подъезд к любому месту строительной
площадки и пожарным кранам;
выделения специальных мест для курения;
устройство постоянной водопроводной сети;
проведение специальных предупредительных мероприятий при разогреве
битума;
размещение на видных местах инструкций о мерах пожарной безопасности,
плакатов и звуковых сигналов;
наличие пожарных щитов, имеющих топоры, ломы, лопаты, ведра,
огнетушители.
.2
Требования по технике безопасности
К работе допускаются лица, имеющие соответствующую квалификацию и
прошедшие инструктаж по технике безопасности.
При современном уровне строительного производства большинство
технологических процессов выполняются при помощи разнообразных машин,
оборудования, средств малой механизации, которые создают шум и вибрацию.
Значительное количество рабочих на строительной площадке подвергаются шуму и
вибрации. Продолжительное воздействие этих двух факторов на человека приводят к
заболеваниям (потере слуха и вибрационной болезни). Основная профилактика
болезни, связанной с вибрацией применение машин с параметрами вибрации
соответствующими требованиям ГОСТ 12.1.012-90 (1996) ССБТ. "Вибрационная
безопасность. Общие требования".
Суммарное время работы в контакте с ручными машинами, вызывающими
вибрацию не должно превышать 2/3 рабочей смены. Продолжительность непрерывного
воздействия вибрации, включая микропаузы, входящие в данную операцию, не должна
превышать для ручных машин 15-20мин. Работа с машинами, вибрация которых
превышает требования санитарных норм более чем в два раза, запрещается.
Предельные значения шума на рабочих местах регламентируются ГОСТ 12.1.003-83
(1991) ССБТ. "Шум. Общие требования безопасности". По стандарту
предельный уровень шума 85 дБ, при превышении которого необходимо применять
средства индивидуальной защиты. Опасность для здоровья представляет уровень
шума 100дБ.
.3 Инструктаж
и обучение безопасным методам работы.
Вводный инструктаж по безопасным методам работ производят со всеми
рабочими, поступающими в строительную организацию, независимо от их профессии,
стажа и характера будущей работы. Инструктаж проводят применительно к местным
условиям производства по приведённому перечню вопросов. Поступающих на работу
знакомят:
с основами трудового законодательства и правилами внутреннего трудового
распорядка;
с причинами производственного травматизма, с несчастными случаями, имевшими
место в строительной организации;
с правилами поведения на территории строительной площадки при работе
кранов, при движении автотранспорта, с имеющимися на площадке опасными зонами;
с требованиями по организации и содержанию рабочего места, с рациональным
размещением строительных материалов и инструмента;
с мерами безопасности при эксплуатации строительных машин и механизмов, с
безопасными приёмами пользования ручными инструментами;
с основами электробезопасности, средствами индивидуальной защиты, правилами
оказания первой помощи при несчастных случаях;
с требованиями противопожарной безопасности и ответственностью за
нарушение правил техники безопасности.
При проведении вводного инструктажа делают отметку в специальном журнале
с подписями получившего и проводившего инструктаж.
Первичный инструктаж на рабочем месте проводит мастер или прораб с каждым
рабочим перед началом работы. Если условия и характер работ не меняются,
повторный инструктаж повторяют каждые три месяца.
Охрана труда призвана оградить здоровье трудящихся от производственных
вредностей, несчастных случаев и обеспечить наиболее благоприятные условия,
способствующие повышению производительности труда и качеству работ.
Существует законодательство о труде (ТК), которое регулирует трудовые отношения
рабочих, содействует росту производительности труда, повышению эффективности
общественного производства. Рабочие обязаны соблюдать инструкции по охране
труда, правила внутреннего трудового распорядка, которые устанавливают
требования безопасности при выполнении работ.
.4 Техника
безопасности при работе на дорожных машинах
.4.1
Техника безопасности при работе экскаватора
1. Перед началом работы получают справку об отсутствии подземных
коммуникаций. Наличие таких коммуникаций отмечают знаками.
. В вечернее и ночное время фронт работы экскаватора, место разгрузки
грунта и подъездные пути должны быть хорошо освещены. Участки работы
экскаватора ограждают и устанавливают щиты с предупредительными надписями. В
ночное время эти ограждения освещают.
. Обслуживающий персонал должен получать каждый раз точные указания о
порядке выполнения нового задания, а так же о соблюдении необходимых мер
предосторожности.
. Перед пуском двигателя машинист экскаватора внимательно осматривает
машину и убеждается в полной ее исправности. Работа на неисправном экскаваторе
запрещена. Обо всех неисправностях машины машинист немедленно доводит до
сведенья администрации предприятия.
. Все вращающиеся детали должны быть ограждены кожухами. Без них пуск
механизмов в действие не разрешается.
. Перед пуском в ход двигателя и механизмов машинист дает сигнал
предупреждения.
. Во время работы пребывание на экскаваторе или в радиусе его действия
посторонних лиц запрещается. Опасной считается зона представляющая круг,
описанный из центра вращения поворотной платформы максимальным радиусом
копания, увеличенным в 1.5 раза.
. В период работы двигателя и механизмов экскаватора не разрешается
крепить, смазывать, осматривать какие либо его части.
. При работе экскаватор должен стоять на горизонтальной площадке, которую
выравнивают до начала работы.
. При погрузке грунта в автомашины запрещается проносить ковш экскаватора
над людьми и кабиной шофера. Если над кабиной автосамосвала нет предохраняющего
бронированного щита, то перед погрузкой водитель должен выйти из него.
. Подвижной состав разрешается загружать только после сигнала о его
готовности под погрузку. Подвижной состав во время погрузки должен перемещаться
только по сигналу машиниста экскаватора. Нельзя допускать перегрузку и
неравномерную погрузку транспортных средств.
. Перед остановкой машины стрелу располагают вдоль оси экскаватора, а
ковш опускают на землю.
. Ковш чистят опущенным на землю с ведома и разрешения машиниста.
. При обнаружении в грунте электрического кабеля, подземного трубопровода
и т.п. немедленно останавливают работу и извещают об этом администрацию.
. Оставлять работающий двигатель без присмотра запрещается.
.4.2
Техника безопасности при работе бульдозера
При работе бульдозеров всех типов необходимо соблюдать следующие правила:
) В случае обнаружения в разрабатываемом грунте крупных камней, пней или
других предметов бульдозер необходимо остановить и удалить с его пути
препятствия, чтобы не вызвать аварию;
) При перемещении грунта бульдозером на подъёме необходимо следить за
тем, что бы отвал не врезался в грунт; запрещается перемещать грунт бульдозером
на подъем или под уклон более 30 °.
) Сбрасывая грунт под откос отвалом бульдозера, не выдвигать последний за
бровку откоса насыпи;
) Не работать в глинистых грунтах в дождливую погоду.
При работе бульдозера в пересеченной местности или при переездах по
плохой дороге скорость его не должна быть выше второй скорости трактора.
) Монтировать навесное оборудование разрешается только после выключения
машины и в присутствии бригадира.
) Запрещается до остановки двигателя находиться между трактором и ножом
или под трактором.
) Во время случайных остановок бульдозера при работе отвал должен быть
опущен на землю.
) Перед движением с места, машинист обязан убедиться в отсутствии людей в
зоне движения и сделать предупредительный сигнал.
) При разработке и перемещении грунта двумя и более бульдозерами, идущими
друг с другом, расстояние между ними должно быть не менее 5м.
) При работе бульдозера в комплексе с экскаватором не допускается нахождение
бульдозера в радиусе действия ковша экскаватора (5м).
) Одновременная работа двух бульдозеров на одном участке разрешается
отдельными полосами или с отводом самостоятельного участка. Расстояние между
участками или работающими машинами должно быть не менее 40м.
) В случае вынужденной остановки на подъеме положить под гусеницы упоры.
) В темное время суток работа должна производиться только при освещении
участка работы.
) Подсобным рабочим находиться позади работающего бульдозера запрещается.
) Работа на бульдозере запрещается, если у моториста нет письменного
уведомления об отсутствии в зоне работы линий подземных коммуникаций.
) При обнаружении неизвестных коммуникаций в зоне работы бульдозера все
работы должны быть приостановлены.
Машинисту бульдозера запрещается:
1) во время движения бульдозера выходить из кабины машины, находиться на
его раме;
) оставлять бульдозер с работающим двигателем без присмотра;
) осматривать гусеницы и убирать застрявшие в звеньях предметы;
) допускать посторонних лиц в кабину или на площадку управления,
передавать другим лицам управление машиной.
.4.3
Техника безопасности при работе катка
1) При запуске двигателя обратить особое внимание на то, что бы рычаги
изменения направления движения и скорости движения находились в нулевом
положении.
) Перед началом движения или при изменении направления движения катка
машинист обязан убедится, что на пути движения нет людей и подать
предупредительный сигнал.
) При одновременной работе нескольких катков (бригады) соблюдать
дистанцию между ними:
при последовательном движении - не менее 3 м;
при параллельном движении - не менее 1 м.
) При движении катка под уклон или на подъем, следует обязательно
включить первую скорость.
) Машинисту катка запрещается:
работать без сигнального жилета оранжевого цвета;
передавать управление катком посторонним лицам и лицам, не имеющим
удостоверения на право управления катком;
оставлять каток без надзора с работающим двигателем;
во время движения катка входить или сходить в него;
перевозить людей, хранить на катке посторонние предметы, производить
ремонтные работы при работающем двигателе;
оставлять каток на крутых подъемах.
) Заправка катка в ночное время допускается в виде исключения при
освещении, гарантирующем противопожарную безопасность.
) Транспортировать катки на пневматических шинах необходимо на прицепе к
автомобилю без балласта.
.4.4
Техника безопасности при работе автосамосвала
Водителю запрещается:
- управлять автомобилем в состоянии: алкогольного или наркотического
опьянения;
выезжать на работу в утомленном или болезненном состоянии;
передавать управление другим лицам, находящимся в нетрезвом состоянии
либо имеющим удостоверение, но неуказанным в путевом листе;
находиться кому-либо в кузове автомобиля;
скорость на стройплощадке или в производственных помещениях не должна
превышать 5 к м/ч.
При движении задним ходом необходимо подавать предупреждающий сигнал.
.5 Техника
безопасности при земляных работах
До начала производства земляных работ в местах расположения действующих
подземных коммуникаций должны быть разработаны и согласованы с организациями,
эксплуатирующими эти коммуникации, мероприятия по безопасным условиям труда, а
расположение подземных коммуникаций на местности обозначено соответствующими
знаками или надписями.
Производство земляных работ в зоне действующих подземных коммуникаций
следует осуществлять под непосредственным руководством прораба или мастера, а в
охранной зоне кабелей, находящихся под напряжением, или действующего
газопровода, корме того, под наблюдением работников электро- или газового
хозяйства. При обнаружении взрывоопасных материалов, земляные работы в этих
местах следует немедленно прекратить до получения разрешения от соответствующих
органов. Перед началом производства земляных работ на участках с возможным патогенным
заражением почвы (свалка, скотомогильники, кладбища и т.п.) необходимо
разрешение органов Государственного санитарного надзора.
Необходимо соблюдать заложение откосов разрабатываемой траншеи и откосов
отвала. Перед допуском рабочих в котлованы или траншеи глубиной более 1,3 м
должна быть проверена устойчивость откосов или крепления стен. Погрузка грунта
в самосвалы должна производиться со стороны заднего или бокового борта. Грунт,
извлеченный из котлована или траншеи, следует размещать на расстоянии не менее
0,5 м от бровки выемки. Разрабатывать грунт в котлованах и траншеях
"подкопом" не разрешается.
Валуны и камни, а так же отслоения грунта, обнаруженные на откосах,
должны быть удалены. Производство работ в котлованах и траншеях с откосами,
подвергшимися увлажнению, разрешается только после тщательного осмотра
производителем работ (мастером) состояния грунта откосов и обрушения
неустойчивого грунта в местах, где обнаружены "козырьки" или трещины
(отслоения). Для спуска рабочих в котлован или траншеи следует устанавливать
надежные трапы с перилами. Запрещается находиться в зоне работы: экскаватора,
бульдозера, катка и т.д.
6.6
Техника безопасности при погрузочно-разгрузочных работах
Безопасность работ зависит, прежде всего, от квалификации обслуживающего
персонала и правильной организации работ, которая должна предусматривать
строгое соблюдение последовательности операций технологического цикла. Травмы и
аварии происходят в основном вследствие недостаточного технического надзора со
стороны инженерно-технического персонала, допуска к управлению и такелажных
работ рабочих, не прошедших специального обучения и не аттестованных. Лицо
ответственное за безопасное производство работ обязано:
. Осуществлять постоянный надзор за правильной организацией труда и проводить
инструктаж.
. Постоянно находиться непосредственно на месте работ во время
перемещения грузов.
. Перед началом работы проверять подготовку грузов к перемещению и
приему, а так же исправность грузозахватных приспособлений и тары.
. До начала работ ознакомить машинистов, такелажников с характером
предстоящей работы, путями передвижения.
Допущенный машинист должен знать:
. Производственную инструкцию по безопасному производству соответствующих
видов работ.
. Правила дорожного движения.
. Безопасные способы строповки.
. Порядок производства работ в охранной зоне линий электропередач.
Допущенный к самостоятельной работе такелажник должен: разбираться в
устройстве обслуживаемой грузоподъемной машины, знать ее грузовую
характеристику, правильно обвязывать и подвешивать груз на крюк, правильно
укладывать оборудование, знать устройство и правила эксплуатации грузозахватных
приспособлений. В зоне погрузочно-разгрузочных работ рабочие должны находиться
в защитных касках.
Территория работы объявляется опасной и находясь на ней рабочий должен
быть внимательным. В темное время суток вдоль разрабатываемых траншей должны
быть выставлены световые сигналы. Погрузочно-разгрузочные площадки должны иметь
твердое покрытие. Для предупреждения о возможной опасности в местах производства
погрузочно-разгрузочных работ устанавливаются знаки безопасности.
.7 Правила
техники безопасности при эксплуатации стреловых самоходных кранов (на основе
ВСН 274-88)
.7.1
Требования к площадке для эксплуатации кранов
При приемке основания площадки под краны лицо, ответственное за
безопасное производство работ по перемещению грузов кранами, или ИТР,
назначенный руководством монтажной организации должно удостовериться, что
основание площадки:
способно выдерживать нагрузки, МПа: до 0,4 - 0,5 - для кранов
грузоподъемностью до 25 т,
обеспечивает необходимые для безопасной эксплуатации гусеничных и
пневмоколесных кранов нормы ровности устойчиво к влиянию местных климатических
факторов (не теряет несущей способности при обильных осадках, сохраняет свою
пригодность при сильных морозах или жаре и т.п.);
имеет необходимые по нормам поперечный и продольный профили,
соответствующие требованиям п. 2.5;
имеет водоотвод;
имеет соответствующие требованиям ППР ширину и толщину улучшенного
поверхностного слоя, если таковой предусмотрен.
Земляное полотно, служащее основанием для покрытия (если оно
предусмотрено), должно быть очищено от строительного мусора, льда, снега,
посторонних предметов и растительного слоя почвы. Площадку земляного полотна
необходимо спланировать в продольном и поперечном направлениях с уклоном в
сторону водостока 0,008 - 001.
Поперечный и продольный уклоны площадок под краны не должны превышать
значений, указанных в инструкции по монтажу и эксплуатации для кранов с
конкретным стреловым исполнением (с минимальной по длине стрелой или
увеличенной длиной с помощью вставок или путем выдвижения), для подъездных
путей продольный уклон не должен превышать 0,09. Ширина проезжей части
подъездных путей должна быть не менее 4 м (для кранов грузоподъемностью более
40 т - не менее 4,5 м; более 100 т - не менее 6 м), ширина обочин - не менее
0,75 м. Поверхность площадки и подъездных путей должна быть ровной, без впадин,
волн и бугров (см. приложение 1). Просвет под рейкой длиной 3 м в продольном и
поперечном направлениях не должен превышать 30 - 50 мм.
.7.2
Требования к средствам обеспечения безопасности безопасной эксплуатации кранов
Установленный в кабине крана указатель угла наклона должен обеспечивать
контроль не менее двух значений угла, в том числе наибольшего, указанного в
паспорте крана или в инструкции завода-изготовителя.
Эксплуатацию кранов при подъеме и перемещении тяжелого и
крупногабаритного оборудования и конструкций необходимо проводить при
обязательном контроле угла отклонения грузовых канатов от плоскости подъема
либо c помощью устройств, закрепляемых на
кране, либо с помощью средств, размещаемых вне крана.
Безопасную эксплуатацию кранов в зоне воздушной ЛЭП должны обеспечивать
средства, размещаемые на кране (в том числе прибор, включающий звуковой сигнал
оповещения о приближении стрелы к находящимся под напряжением проводам
электрической сети или линии электропередачи), или вне его - ограждения,
указатели и т.п., или те и другие.
Безопасную эксплуатацию кранов на грунтовых основаниях должны обеспечивать
средства контроля прочности грунтов и ровности поверхности основания.
.7.3
Требования безопасности к установке
Ответственность за правильную установку кранов возлагается на лицо,
ответственное за безопасное производство работ по перемещению грузов кранами.
При неблагоприятных погодных условиях накануне или при работе кранов
(ливневые дожди, сильный снегопад и т.д.), могущих привести к снижению
прочности основания площадки, следует провести мероприятия по подготовке
основания и прежде всего удостовериться в достаточности его прочности для
установки кранов. Для этого необходимо выборочно определить прочность.
При использовании в качестве подстилающих устройств бревенчатых щитов
последние должны иметь сквозные болтовые соединения, соединяющие бревна в
единое целое.
Опорная площадь подстилающего устройства под выносную опору крана на
пневмомашинах должна превышать площадь опорной плиты выносной опоры в 3 и более
раз. При использовании под опору двух и более подстилающих устройств последние
должны быть вплотную уложены друг к другу, рисунок 13. Укладывать подстилающие
устройства необходимо горизонтально для обеспечения прямого угла между осью
цилиндра выносной опоры и опорной плитой.
Если необходимо под выносную опору уложить не одно- а многослойное подстилающее
устройство, необходимо убедиться в устойчивости устройства против разрушения
при передаче на него статических и динамических нагрузок.
Рисунок 13 - Использование двух подстилающих устройств под выносную опору
крана
Запрещается устанавливать какие бы то ни было опорные приспособления под
балками выносных опор внутри площадки, ограниченной опорными плитами выносных
опор.
Угол наклона крана, определяемый как сумма углов уклона площадки и угла
осадки, вызванной неравномерной деформацией грунта под краном, не должен
превышать значения, указанного в паспорте и инструкции завода-изготовителя.
Угол наклона крана должен быть определен лично лицом, ответственным за
безопасное производство работ по перемещению грузов кранами, или кем-либо по
его указанию до установки крана на площадке; при несоответствии его норме
основание площадки следует соответствующим образом подготовить (выровнять,
уплотнить и т.д.).
При эксплуатации кранов границы опасных зон, в пределах которых возможно
падение груза, стрелы, гуська или отклонение груза от стрелы, устанавливаются
согласно требованиям СНиП III-4-80.
Границей опасной зоны (кроме случаев подъема крупногабаритного
вертикального оборудования и строительных конструкций при строповке за две и
более петель) является окружность, радиус которой равен расстоянию от оси
вращения поворотной части крана до точки соприкосновения опущенной стрелы или
жесткого гуська c основанием,
рисунок 14.
Рисунок 14 - Границы опасной зоны: а - кран со стреловым оборудованием
при строповке за одну петлю; б - то же с башенно-стреловым оборудованием; в -
строповка груза за две и более петель. 1 - стрела; 2 - груз, 3 - башня; 4 -
маневровый гусек; 5 - строповочная петля; 6 - положение груза после падения
При подъеме строительных конструкций, подвешенных за две и более петель,
радиус окружности, являющейся границей опасной зовы, определяют исходя из
предположения, что у поднимаемой конструкции оторвалась петля и конструкция
упала, по формуле
()
где r - радиус вращения стрелы в
горизонтальной плоскости;
R - радиус опасной зоны;
h - расстояние от земли до поднятой конструкции (рекомендуется принимать
наибольшую высоту подъема груза);
l - длина
стропа;
d - расстояние от центра тяжести груза до его края (по большей стороне);
j - угол между стропом и вертикалью.
По формуле () получаем
.7.4
Требования безопасности при работе кранов
Отклонение грузового полиспаста от плоскости подъема стрелы при подъеме и
перемещении груза не должно превышать значений, указанных в инструкции
завода-изготовителя (при отсутствии в инструкции этих значений следует
руководствоваться указанными в ней или паспорте крана значениями допустимого
уклона места установки крана).
Необходимо следить, чтобы при вылетах стрелы, близких к наименьшему
значению, рисунок 15, угол А между осью стрелы (маневрового гуська) и
вертикалью был больше угла В между указанной осью и стреловым канатом во
избежание запрокидывания стрелы в сторону кабины.
Рисунок 15 - Положение грузового полиспаста для предотвращения
запрокидывания стрелы: а - правильное положение; б - неправильное
Если при установке крана на площадке его стрела расположена в сторону
уклона, то при вылетах стрелы, близких к наименьшему значению, поворот
поворотной платформы на 180° запрещается во избежание запрокидывания стрелы.
Если скорость ветра превышает указанную в паспорте крана, работы должны
быть прекращены. Перед монтажом оборудования и конструкций, продолжающимся
несколько часов, следует заблаговременно запросить прогноз погоды. Скорость
ветра не должна превышать 6 м/с, если нагрузка на кран превышает 80 %
допустимой по характеристике грузоподъемности, и 9 м/с при меньшей нагрузке.
.7.5
Электробезопасность при работе кранов
Монтаж оборудования и конструкций кранами под неотключенными проводами
можно производить при соблюдении расстояния между стрелой крана и контактными
проводами не менее 1 м при установке ограничителя (упора), не позволяющего
уменьшить указанное расстояние при подъеме стрелы. При этом ограничитель
размещают на кране или вне его.
Проезд крана под проводами ЛЭП допускается в транспортном положении при
обязательном стопорении механизма подъема стрелы и лишь в том случае, если при
передвижении по шоссе высота крана от отметки земли не более 5 м, а по дороге
без твердого покрытия - 3,5 м. При проездах необходимо соблюдать просветы,
между нижним проводом и верхней точкой конструкции крана, указанные в СНиП
III-4-80. При этом положение верхней точки конструкции крана относительно
нижнего провода по вертикали должно быть определено с максимальной точностью.
Ошибка не должна превышать 5 %.
.7.6
Пожарная безопасность при работе кранов
Для предупреждения возникновения пожара на кране следует:
не курить, не допускать использование открытого огня при заправке
емкостей горючим и смазочными маслами, а также контрольных осмотрах топливных
емкостей и двигателя внутреннего сгорания; пролитое во время заправки горючее
удалять;
не допускать хранения в кабине крана бензина, керосина, эмалевых красок и
других легковоспламеняющихся жидкостей, а также пустой тары из-под них;
не допускать использования проводов с поврежденной изоляцией;
следить за исправностью двигателя внутреннего сгорания, топливного бака и
топливопроводов, не допуская скопления грязи;
хранить использованные обтирочные материалы в специальном металлическом
ящике, не допуская засорения ими кабины крана, монтажной площадки;
не допускать разведения костров у крана;
не допускать перегрева электроаппаратуры, немедленно прекращая работу при
появлении запаха гари или дыма;
не применять для ремонта в кабине крана паяльные лампы и другие
устройства с открытым пламенем;
иметь на каждом кране огнетушитель.
Если кран не оборудован предпусковым подогревателем, для подогрева дизеля
при запуске зимой следует в радиатор запивать горячую воду, а в картер -
подогретое масло. Применять для этого открытый огонь запрещается.
Производить в кабине крана (обязательно неработающего) сварочные,
паяльные и другие работы, связанные с появлением искр и пламени, допускается в
исключительных случаях, когда эти работы нельзя выполнить снаружи.
При возникновении пожара крановщик обязан немедленно приступить к его
тушению, отключив прежде всего рубильник в кабине. Одновременно другие
обслуживающие кран лица (стропальщики, лицо, ответственное за безопасное
производство работ по перемещению грузов кранами, и другие) должны выключить
рубильник в будке перед гибким кабелем (при питании крана от сети) и известить
пожарную команду. При пожаре на кране с двигателем внутреннего сгорания
необходимо, как можно быстрее, перекрыть подачу топлива из бака.
.8
Мероприятия по охране окружающей среды
.8.1
Загрязнение атмосферы
Загрязнение окружающей среды происходит при выполнении большинства
технологических процессов, связанных со строительством дороги и
приготовлением материалов.
По характеру и степени воздействия технологические процессы при строительстве
автомобильных дорог можно разделить на:
разработку, перемещение и укладку грунта и других минеральных материалов
при возведении земляного полотна и устройстве оснований дорожных одежд;
приготовление материалов и изделий на производственных предприятиях
дорожного строительства;
укладку и монтаж материалов и конструкций;
функционирование приобъектных пунктов обеспечения дорожного
строительства.
Каждый из приведенных технологических процессов отличается по характеру и
степени воздействия на окружающую среду. Наибольшее воздействие оказывают
дорожно-строительные и транспортные машины, проявляющееся в загрязнении
атмосферы, почвы, поверхности и грунтовых вод, повышении шумового фона и
вибрации, что вызывает серьезные негативные изменения во всех компонентах
окружающей среды.
Особенно мощным фактором воздействия являются технологические процессы
добычи и приготовления дорожно-строительных материалов и изделий,
что связано с локальным характером их воздействия. При выполнении
технологических процессов по разработке, перемещению, укладке и уплотнению
грунта, а также при укладке или монтаже материалов и конструкций, создается
загрязнение воздуха отработавшими газами дорожно-строительных и транспортных
машин, летучими соединениями вяжущих материалов, растворителей, мастик, смол,
пленкообразующих веществ и других материалов, а также пылью тонкодисперсных
грунтов, каменных материалов, минеральных вяжущих и отходов промышленности.
Основную массу загрязняющих воздух веществ составляют отработавшие газы
разнообразных дорожно-строительных и транспортных машин. Основные мероприятия
по уменьшению загрязнения атмосферного воздуха при выполнении технологических
процессов строительства в первую очередь должны быть направлены на уменьшение
токсичности отработавших газов, учитывая, что большинство из используемых машин
имеют дизельные двигатели.
Почти все технологические процессы по строительству автомобильных дорог
вызывают выделение пыли, загрязняющей атмосферный воздух. Образование пыли
обусловливают недостаточная влажность грунтов и других материалов, наличие в
грунтах дисперсных пылеватых и глинистых частиц, а также ветровые воздействия.
При разработке грунтов и каменных материалов снижения пылевыделений можно
достичь полива водой мест разработки. С этой же целью необходимо уменьшить
количество перевалок пылящих материалов, а при погрузочно-разгрузочных работах
применять гидроорошение. Удельный расход воды при этом изменяется от 20 до 200
л/м³ в зависимости от свойств материалов.
Обеспыливание временных подъездных или объездных дорог производится
обычно путем поверхностной обработки или пропитки покрытий водой или
обеспыливающими материалами. Обеспыливание должно производиться в первую
очередь на участках дорог, недалеко от жилых районов, зон отдыха, вдоль полей,
занятых сельскохозяйственными культурами, и др.
При выполнении технологических процессов по строительству дорог
значительное загрязнение атмосферного воздуха вызывается эксплуатацией
асфальтобетонных заводов, заводов по производству каменных материалов и других предприятий.
Мероприятия по защите атмосферного воздуха от вредных выбросов при
производстве каменных материалов, асфальтобетона и других материалов можно
разделить на организационные, технологические и конструктивные. Организационные
мероприятия затрагивают вопросы размещения как самих предприятий, так и
отдельных технологических линий, складов, способы перемещения материалов, а
также обеспечения определенных требований к исходному сырью. Асфальтобетонные,
цементобетонные заводы, заводы по производству каменных материалов должны
располагаться в пониженных местах с подветренной стороны от населенных пунктов,
санаторно-курортных зон, а также участков, занятых садовыми или
сельскохозяйственными культурами, рыбо- и звероводческих хозяйств и т.п. и
отделены от них санитарно-защитными зонами.
К числу технологических мероприятий относятся разработка рациональных
схем добычи и производства дорожно-строительных материалов, соответствующих
наименьшему загрязнению воздушной среды, и гидроорошение обрабатываемых материалов.
Очистку щебня, гравия, песка и других материалов можно производить мокрым или
сухим способом, предусматривая необходимые мероприятия по пылеподавлению.
Наибольшее внимание обычно уделяют конструктивным мероприятиям, в которые
входит разработка и установка пылеулавливающего и газоочистного оборудования. В
этом направлении имеется определенный положительный опыт применения различного
оборудования по очистке выбросов на асфальтобетонных заводах по переработке
каменных материалов. Для снижения загрязнения воздуха при дроблении,
сортировке, очистке каменных материалов места наибольшего пылевыделения (места
загрузки и разгрузки дробилок, грохотов, конвейеры и др.) необходимо закрывать
аспирируемыми укрытиями с системами подачи загрязненного воздуха к очистным
установкам. Системами пылегазоочистки должны быть оборудованы также установки
для приготовления смесей минеральных материалов с органическими вяжущими.
Количество ступеней систем пылегазоочистки должно определяться степенью
загрязненности выбросов, установленными значениями ПДВ и ПДК, а также
возможностью рассеивания выбросов. Существующая на большинстве асфальтобетонных
заводов двухступенчатая система пылегазоулавливания обеспечивает степень
очистки выбросов лишь до 86%, что не обеспечивает соблюдения установленных
допустимых норм загрязнения воздуха. Поэтому для более эффективной очистки
необходимо принять трехступенчатые системы пылегазоочистки, в том числе с
помощью мокрых систем. В том случае эффективность пылегазоулавливания достигает
99,2 - 99,8 %. Пылегазоочистные системы должны работать бесперебойно. Снятие
или отключение их допускается только по условиям технической эксплуатации.
Должна быть обеспечена и герметизация газоотходов.
.8.2
Шумовое воздействие на окружающую среду.
Технологические процессы строительства автомобильных дорог являются
источником интенсивного шума и вибрации, которые отрицательно воздействуют на
здоровье людей, как непосредственно принимающих участие в технологических
процессах, так и проживающих в прилегающих жилой застройке, а также на флору и
фауну. Интенсивность внешнего шума дорожных машин зависит от типа рабочего
органа, вида привода, режима работы и расстояния от места работы. Особенно
сильный внешний шум создается при работе сваебойногооборудования, бульдозеров,
скреперов, отбойных молотков и бетоноломов, вибраторов, вибросит, некоторых
марок автогрейдеров, катков, экскаваторов, дизельных грузовиков и др.
Мероприятия по снижению уровня шума при выполнении технологических
процессов сводится главным образом к снижению шума в его источнике, т.е.
к снижению шума дорожно-строительных машин и применению звукоотражающих или
звукопоглощающих экранов на пути распространения звука или шумозащитных
мероприятий на самом защищаемом объекте. Для звукоизоляции двигателей дорожных
машин можно применять защитные кожуха и капоты с многослойными покрытиями из
резины, поролона и т.п.
Для снижения шума двигателей можно применять усовершенствованные
конструкции глушителей, значительно снижающие уровень звука при выпуске
отработавших газов (лабиринтные, реактивные, многозвенные и т.п.).
В том случае, когда не удается снизить уровень шума от строительной
площадки до допустимого уровня, установленного для данной территории, за счет
снижения шума дорожно-строительных машин, необходимо устанавливать
звукоотражающие или звукопоглощающие экраны на пути распространения звука.
Эффект снижения шума зелеными насаждениями зависит от характера посадок,
породы деревьев и кустарников, времени года, частоты звука и др.
Определенного снижения уровня шума от строительной площадки можно
добиться путем применения рациональной технологии ведения работ,
состоящей в сокращении продолжительности работы дорожно-строительных машин,
прекращении работ в вечерние и ночные часы, выборе рационального режима работы
дорожно-строительных машин.
.8.3 Меры
по защите растений и животных
Технологические процессы строительства и ремонта автомобильных дорог
оказывают отрицательное воздействие не только на человека, но и на растения и
животных. Это проявляется в механическом повреждении растений, замедлении или
прекращении биохимических процессов под действием отработавших газов, продуктов
сгорания, испаряющихся веществ, пыли, при непосредственном соприкосновении с
горюче-смазочными материалами, органическими и минеральными вяжущими и другими
веществами и материалами.
Главным образом защита заключается в уменьшении объема и концентрации
выброса токсичных веществ и проведении обеспылевания при выполнении
технологических процессов строительства и ремонта дорог.
В целях снижения или исключения воздействия на растения необходимо
устраивать организованные стоянки дорожно-строительных и транспортных машин,
изолированные от окружающих территорий системой водоотводных лотков,
производить их заправку и мойку в специально отведенных местах.
При распределении вяжущих и пленкообразующих материалов должны быть
приняты меры, исключающее их попадание на растения и почву. Транспортирование и
хранение указанных материалов должно осуществляться в герметичных емкостях. При
попадании нефтепродуктов на почву и растительность для ускорения биологического
окисления этих материалов в почву на загрязненных участках можно вносить
вещества, содержащие азот и фосфор.
Особую важность при производстве работ приобретает предупреждение резких
шумовых воздействий в малоосвоенных местах в целях сохранения безопасности
диких животных животных. Шум от работающих машин вызывает беспорядочное
перемещение животных, в период размножения приводит к оставлению гнезд и
лежбищ, преждевременным родам и гибели новорожденных.
Крупные виды млекопитающих животных обычно избегают придорожной полосы и
мест производства работ. Однако возникают случаи, когда строящаяся дорога
пересекает пути их эмиграции. Для того чтобы исключить возможности попадания в
зону строительства дороги, а также в зону производства работ, связанных с
добычей и производством дорожно-строительных материалов и изделий, необходимо
устраивать ограждения, аналогичные применяемым при эксплуатации дорог. Наиболее
широкое распространения получили ограждения из металлической или пластмассовой
сетки с мелкими ячейками. Для того чтобы ограждение эффективно выполняло свои
функции, высота его должна быть не менее 2-2,5 м, а расстояние между опорами от
4 до 6 м.
.8.4
Технологическое загрязнение вод
При производстве работ по сооружению земляного полотна, устройству
дорожной одежды, водопропускных и других искусственных сооружений загрязнение
поверхностных и подземных вод происходит главным образом вследствие выноса
мелкодисперсных грунтовых частиц, смыва с поверхности с территории строительства
отходов горюче-смазочных материалов, продуктов сгорания топлива,
производственных отходов и других вредных веществ и компонентов. Для соблюдения
требований, предъявляемых к сточным водам, должны применяться различные меры по
их очистке как на территории строительных площадок, резервов и карьеров грунта
и каменных материалов, так и на предприятиях по переработке и производству
дорожно-строительных материалов, баз, складов, стоянок дорожно-строительных
машин и механизмов и др. Очистка сточных вод производится механическим,
химическим и биологическим методами. Механическая очистка может производится
путем применения наиболее дешевого и доступного метода отстаивания, а также
фильтрации.
Для повышения очистки сточных вод (до 94-99%) применяют химический метод
осаждения с помощью коагулянтов и флокулянтов.
Для уменьшения выноса загрязняющих веществ со сточными водами с
территории строительных площадок, предприятия добычи и переработки материалов
необходимо проведение следующих мероприятий: организация регулярной уборки
территории с максимальной механизацией уборочных работ; ограждение строительных
площадок с упорядочением отвода поверхностных вод по временной системе
гидроизолированных лотков в отстойники с очисткой их на 50-70%; локализация
территории стоянок и мест заправки дорожно-строительных машин и механизмов, а
также участков, где неизбежны просыпи и пролив сырья и промежуточных продуктов
с отведением поверхностного стока в систему очистки; упорядочение складирования
и транспортирования дорожно-строительных материалов; повышение требований к
соблюдению Правил технической эксплуатации дорожно-строительных машин и
транспортных средств.
7. Раздел
по предотвращению чрезвычайных ситуаций
.1
Идентификация травмирующих и вредных факторов
Реализация
любой потенциальной опасности связана c возникновением опасной
ситуации, т.е. такого сочетания условий и обстоятельств, которое создает
значимую вероятность воздействия на человека опасного фактора. Значимость
вероятности НС и гибели людей определяется прежде всего тем, насколько эта
вероятность существенна с точки зрения ее восприятия обществом. Так,
вероятность гибели человека порядка
и ниже
считается пренебрежимо малой и не учитывается в обеспечении БЖД.
Развитие
аварийной или опасной ситуации в подавляющем большинстве реализаций носит
вероятностный характер, что наглядно подтверждается последовательной моделью
развития НС. В модели рассматриваются этапы восприятия (1) и
осознания (2) опасности, принятия (3) и реализации решения (4) по защите
от нее и доказывается, что на каждом этапе присутствует элемент случайности
из-за возможных ошибок восприятия, неправильного или запоздавшего осознания
опасности, ошибочного решения по способу защиты и ошибок в процессе реализации
решения.
Для эффективной профилактики аварий и НС необходимы, во-первых, выявление
или идентификация опасностей, во-вторых, их количественная оценка, в-третьих,
достоверное прогнозирование возникновения опасных ситуаций и, в-четвертых,
обоснованный выбор мероприятий по предупреждению аварий и катастроф.
Идентификация вредных и опасных факторов на производстве реализуется при
инспектировании предприятий, анализе установленной отчетности по
производственному травматизму и заболеваемости работников, а также с помощью
современных расчетно-аналитических методов оценки опасностей. В результате
применения первых двух процедур уточняется перечень существенных опасностей для
конкретной формы и вида труда, конкретных производств и ТС. Задача состоит не
только в обнаружении опасностей, но и в определении их локализации, времени
появления, продолжительности действия, вероятных последствий и возможных путей
и методов защиты. Локализация опасностей в первую очередь подразумевает
определение зон действия НФ, размеров и структуры этих зон и т. д.
Расчетно-аналитические методы направлены на получение
количественных характеристик опасностей [18].
.2
Прогнозирование и моделирование возникновения опасных ситуаций. Категорирование
производств по степени опасности
Под прогнозированием понимается определение перспектив какого-либо
явления. Необходимым условием успешного обеспечения БЖД является достоверный
прогноз уровня травматизма и заболеваемости. Прогноз травматизма базируется на
прогнозировании опасных ситуаций, определении риска их реализации.
Общепринятыми методами научного прогнозирования являются экстраполяция,
математическое моделирование и экспертные оценки. Экстраполяция основывается на
анализе временных рядов или результатах оценки тенденций развития современной
техники. Именно так был обоснован прогноз комиссии акад. В.А. Легасова в начале
80-х годов о повсеместном назревании крупных аварий и катастроф (один из самых
достоверных прогнозов в БЖД). При этом в качестве главной причины тяжелых
последствий был назван недостаточный учет эргономических требований при
разработке к эксплуатации современной техники.
Математические модели при анализе и прогнозировании НС
и травматизма разрабатываются для получения обоснованных прогнозов,
установления количественных зависимостей, выявления скрытых закономерностей
процессов, особенно в ситуациях, когда отсутствует возможность
экспериментальной проверки безопасности новых конструкций и технологий.
Полученные при расчетах значения индивидуального и социального риска,
результаты прогнозирования и математического моделирования должны
использоваться для нормирования опасности НС, обоснования нормативов для
численности службы ОТ на предприятиях и количества обязательных занятий с
рабочими по ОТ.
.3
Особенности современных аварий и катастроф и пути снижения их вероятности
Выше уже рассматривались причины резкого увеличения частоты и масштабов
производственных аварий и катастроф и механизмы из развития. К настоящему
времени определены направления хозяйственной деятельности, для которых в
наибольшей степени характерны крупномасштабные аварии, выявились особенности их
течения и специфика вызываемых ими нарушений и потерь. Наибольшее внимание
общества привлекают аварии в атомной энергетике, химических производствах,
угольной промышленности и на транспорте, так как в них значения социального
риска наиболее велики. Причины же большой частоты аварий в перечисленных
отраслях заключаются в повышенном уровне остаточного риска применяемых в них ТС
и технологий.
Масштабы вышеуказанных аварий и катастроф требуют,
во-первых, повышения надежности и безопасности на всей цепочке
"проектирование -изготовление - эксплуатация". Общий подход к
обеспечению безопасности при разработке технических объектов может быть
представлен в виде следующей последовательности: проект - удаление - защита -
предостережение - тренировка. При обнаружении возможных опасностей
проектировщик обязан устранить или резко уменьшить вероятность их реализации.
При невозможности полного обеспечения БЖД, т.е. в случае имеющегося остаточного
риска - объективной предпосылки производственных аварий, проектировщик обязан
обеспечить удаление человека из опасной зоны (дистанционное управление,
применение роботов) или опасных факторов из рабочей зоны (токсических веществ,
излучений и т.д.). При невозможности решения проблемы указанными способами
необходима разработка соответствующих систем защиты и сигнализации об опасности
(предостережение). Последним элементом обеспечения БЖД являются обучение и
тренировка работника, овладение навыками безопасной работы.
Во-вторых, необходимо совершенствовать специфические для каждой опасности
мероприятия и средства по снижению вероятности ее реализации и уменьшению
наносимого ею ущерба.
.4 Защита
населения и территорий в чрезвычайных ситуациях
ЧС характеризуются: 1) внезапностью (чаще всего)
возникновения и развития; 2) созданием опасной обстановки на обширной
территории; 3) значительным числом жертв; 4) огромным ущербом здоровью
населения и/или ОПС; 5) значительными материальными потерями как на объектах
экономики, так и в целом для страны; 6) существенными нарушениями в
жизнедеятельности людей. Это отличает их от НС и профзаболеваний.
Классификация ЧС проводится:
) по причине возникновения - преднамеренные и
непреднамеренные. К первым относят: саботаж, теракты, диверсии, забастовки,
войны и пограничное конфликты; вторые могут быть природного, антропогенного (в
том числе и техногенного) и комбинированного характера. Природные ЧС возникают
из-за стихийных явлений (землетрясения, наводнения, ливни, смерчи, бури,
штормы, сели, засухи, лесные природные пожары и т.п.). Поэтому их часто
называют стихийными бедствиями (СБ). Антропогенные ЧС - это аварии и катастрофы
на химически, биологически и радиационно опасных объектах (соответственно -
ХОО, БОО и РОО), крушения поездов и аварии на транспорте, интенсивные
загрязнения воды, почв и воздуха. Природно-антропогенные ЧС - это оползни,
опустынивание, инфекционные заболевания, психические заболевания населения
(например, атомофобия);
2) по скорости развития - внезапные, быстроразвивающиеся,
умеренные и "ползучие";
3) по масштабу распространения последствий -
локальные, объектовые, местные, региональные, национальные и глобальные;
) по возможности ликвидации последствий - I и II категорий. К I
категории относят: СБ, охватывающие территории, превышающие административные
границы района (города), и причинившие народнохозяйственный ущерб; аварии,
приводящие к полной или частичной остановке производства с большим материальным
ущербом и гибелью производственного персонала; аварии с возможным выбросом в ОС
РВ и СДЯВ, распространением этих веществ за пределы территории предприятия и
возникновением угрозы для здоровья и жизни людей; крушения поездов на железной
дороге. Ко II категории относят: СБ охватывающие
территорию в пределах административных границ района (города) и причинившие
народнохозяйственный ущерб; аварии, в результате которых произошло разрушение
или повреждение отдельных производственных сооружений с возможной гибелью
персонала; аварии с выбросом СДЯВ и распространением этих веществ в пределах
территории предприятия; аварии на железной дороге.
ЧС мирного времени могут возникать в результате
производственных аварий (ПА), катастроф, СБ, диверсий или факторов
военно-политического характера. Наиболее часто они происходят из-за ПА и СБ.
Аварии происходят из-за остаточного риска, имеющегося в оборудовании,
технологии, а также в объектах экономики в целом (предприятия, организации;
здания, сооружения или их комплексы; промышленные, энергетические, транспортные
и другие объекты). Высвобождение при определенных условиях этого риска приводит
к повреждению или уничтожению зданий, сооружений, материальных ценностей и
поражению людей. Такие аварии чаще называют техногенными ЧС. Вид их последствий
зависит от типа ПА, ее масштабов, особенности отрасли и предприятия,
обстоятельств и обстановки, в которых произошла авария. В ряде случаев ПА
сопровождаются пожарами, взрывами, утечкой и распространением РВ, биологических
(бактериологических) веществ (БВ) или СДЯВ. Поэтому техногенные ЧС
классифицируют:
1) ЧС, сопровождаемые выбросом опасных веществ в ОС. К ним относят:
аварии на АЭС с радиоактивным загрязнением (РЗ) территории за или в пределах
СЗЗ; аварии с выбросом или утечкой РЗ в производственные помещения; аварии с
утечкой радиоактивных газов на предприятиях ядерно-топливного цикла; аварии на
атомных судах, подлодках, ядерных установках с РЗ прилегающих территорий или
акватории порта; авария на ХОО с выбросом или утечкой в ОС СДЯВ; аварии с
выбросом или утечкой БВ в НИИ, на БОО и предприятиях или при транспортировке и
др.
2) ЧС, связанные с возникновением пожаров,
взрывов и их последствий. К ним относят: пожары или взрывы в населенных
пунктах, на объектах экономики и транспортных коммуникациях с большими
человеческими жертвами, разрушением зданий и сооружений; взрывы при падения
летательных аппаратов (например, самолетов), повлекшие человеческие жертвы,
разрушения зданий и нарушение на длительное время жизнедеятельности групп
населения и работы объектов; взрывы в жилых зданиях, повлекшие групповое поражение
людей и различные степени разрушения и др.
) ЧС на транспортных коммуникациях. К ним относят:
авиакатастрофы вне аэропортов и насаленных пунктов, возможно повлекшие
значительные человеческие жертвы и требующие проведения поисково-спасательных
работ; столкновение и сход с рельсов железнодорожных составов или
поездов в метрополитене; аварии на водных коммуникациях; аварии на
трубопроводах с массовым выбросом веществ и загрязнением ОС; аварии на
энергосетях и других инженерных сетях, повлекшие нарушение нормальной
жизнедеятельности населения территории области (нескольких районов) и др.
СБ классифицируют:
) землетрясения (по 12-балльной шкале) силой 5..6,
7...8, 9 баллов и более, захватывающие территорию области, нескольких районов,
республиканских и областных центров;
) ураганы, смерчи и бури (по 17-балльной шкале) с
силой до 13, 14...15 и 16 баллов и более (соответственно до 39,2; 48,6 и свыше
53,5 м/с), охватывающие территорию области, нескольких районов, республиканских
или областных центров;
3) катастрофические затопления и наводнения в результате разрушения
гидротехнических сооружений, землетрясений, горных обвалов и оползней и
повлекшие человеческие жертвы и разрушения; угроза таких затоплений для
населенной территория из-за аварийного режима работы гидротехнического
сооружения, паводка, половодья или нагонных явлений; цунами, повлекшие
значительные человеческие жертвы и разрушения населенных мест, объектов;
4) сели, оползни, обвалы, лавины, снежные заносы и
карстовые явления, вызвавшие разрушения в городах, на объектах и повлекшие
групповое поражение людей, нарушения жизнедеятельности в отдельных областях или
районах республик;
) массовые лесные и торфяные пожары, принявшие
неуправляемый характер, угрожающие уничтожением населенным пунктам, объектам и
повлекшие нарушение нормальной жизнедеятельности;
) эпидемии среди людей и эпизоотии среди животных и
птиц, вызванные особо опасными инфекциями или инъекциями неясной, неизвестной
этиологии [18].
7.5
Устойчивость функционирования объектов экономики в ЧС
Под устойчивостью функционирования объектов экономики понимают
способность их в условиях ЧС мирного и военного времени выпускать продукцию в
запланированных объемах и номенклатуре (для объектов, на производящих
материальные ценности,- транспорт, связь я д. - выполнять свои функции), а при
получении слабых и средних разрушений или нарушении связей по кооперации и
поставкам - восстанавливать производство в минимальные сроки.
На устойчивость работы объекта экономики в ЧС влияют:
надежность защиты работающих от поражающих факторов; способность объекта
противостоять в определенной степени поражающим факторам; защищенность объекта
от вторичных поражающих факторов (пожаров, взрывов, заражений СДЯВ,
затоплений); надежность системы снабжения всем необходимым для производства
продукции (сырьем, топливом, электроэнергией, водой и т.п.); устойчивость и
непрерывность управления производством; подготовленность объекта к ведению
спасательных и неотложных аварийно-восстановительных работ (СНАВР). Эти факторы
определяют основные (общие для всех объектов) пути повышения устойчивости
работы в условиях ЧС мирного и военного времени.
Для выбора методов и средств повышения устойчивости
работы объектов экономики необходимо сначала ее исследовать, т.е.
всесторонне изучить условия, которые могут сложиться на объекте в результата
ЧС, и их влияние на производственную деятельность. Базой для таких исследований
является прогнозирование возможной обстановки при том или ином типе ЧС. Цель
этого исследования состоит в том, чтобы выявить уязвимые места в работе объекта
при данном типе ЧС и выбрать наиболее эффективные мероприятия, направленные на
повышение устойчивости. Эти мероприятия включают в план повышения устойчивости
работы объекта экономики, который в дальнейшем реализуется на объекте.
Исследование устойчивости производится силами инженерно-технического
персонала данного объекта с привлечением специалистов научно-исследовательских
и проектных организаций. Организатором исследования является руководитель
предприятия, а непосредственным руководителем этих работ - главный инженер или
исполнительный директор по техническим вопросам. В зависимости от состава
основных производств и служб на объекте экономики могут создаваться следующие
исследовательские группы: главного инженера, начальника ОКСа, главного
механика, главного энергетика, ОМТС, транспортного цеха и др. Кроме того,
создается группа штаба ГО, в которую входят начальники служб связи и
оповещения, убежищ и укрытий, медицинской, противорадиационной и
противохимической защит, охраны общественного порядка.
В ходе исследования определяются условия защиты работающих от поражающих
факторов, производятся оценки уязвимости производственного комплекса при
воздействии на него этих факторов, определяется характер возможных поражений от
вторичных, поражающих факторов, изучается устойчивость системы снабжения и
сбыта, кооперативных связей, выявляются уязвимые места в системе управления
производством. Каждая группа специалистов, кроме того, оценивает устойчивость
определенных элементов производственного комплекса, и производят необходимые
расчеты.
По результатам исследования разрабатывают план
мероприятий по повышению устойчивости работы объекта при ЧС и определяют
стоимость внедрения мероприятий, источники финансирования, силы и средства,
сроки выполнения и ответственных за выполнение лиц.
В различных отраслях промышленности созданы типовые
методики расчета и оценка устойчивости своих объектов к всевозможным поражающим
факторам ЧС природного, техногенного и комбинированного происхождения. Конечным
итогом такого исследования также является заключение (вывод) о необходимости
остановки производства. Если да, то нужно определить вид ремонта при
соответствующих разрушениях объекта; если нет - то время выхода объекта на
нормальное функционирование в условиях ЧС мирного и военного временя.
.6 Способы
и средства повышения устойчивости функционирования объектов в ЧС
Общее повышение устойчивости работы объекта в ЧС
зависит от: а) защиты работающих (а следовательно - и всего населения) от
поражающих факторов ЧС; б) повышения прочности и устойчивости важнейших
элементов объекта и совершенствования технологического процесса; в) повышения
устойчивости МТС и управления объектом; г) разработки мероприятий по уменьшению
вероятности возникновения вторичных поражающих факторов и ущерба от них; д)
подготовки к восстановлению объекта после ЧС.
Способы и средства повышения устойчивости объектов в
условиях ЧС выбирают применительно к каждому из возможных поражающих факторов.
Так, для повышения устойчивости инженерно-технического комплекса объекта
экономики (технологическое оборудование и коммуникации, электро- и теплосети,
газо- и водопровод, канализация) к УВ необходима устойчивость зданий и
сооружений. Поэтому целесообразным пределом повышения их устойчивости является
такой, при котором полученные разрушения здания дают возможность его
оправданного восстановления. При этом следует стремиться повысить прочность не
всех зданий, а наиболее важных элементов производства, от которых зависит
работа всего объекта, но устойчивость которых ниже общего предела устойчивости.
Повышение устойчивости зданий к УВ достигается устройством каркасов, рам,
подкосов, контрфорсов, опор для уменьшения пролета, а также применением более
прочных материалов. Высотные сооружения (трубы, вышки, башни, колонны)
закрепляются стяжками повышенной прочности. Защита емкостей со СД 1ЯВ, горючими
жидкостями может обеспечиваться сооружением подземных хранилищ, заглублением в
грунт, обвалованием, увеличением механической прочности путем установки ребер
жесткости.
Как известно, обеспечить полную защиту объекта от воздействия поражающих
факторов при ЧС практически невозможно. Поэтому задача сводится к тому, чтобы в
случае слабых и средних разрушений на объекте можно было восстановить
производство и возобновить выпуск продукции в минимальные сроки. Подготовка к
восстановлению нарушенного производства осуществляется заблаговременно и
предусматривает планирование восстановительных работ по нескольким вариантам,
подготовку ремонтных бригад, создание необходимого запаса материалов и
оборудования, надежную его защиту. Повышение надежности и оперативности
управления производством, составляющих основу деятельности руководителя
объекта, достигается созданием на данном объекте устойчивой системы связи,
своевременным принятием правильных, решений и постановкой задач в соответствии
со складывающейся ситуацией.
Повышение устойчивости работы объекта экономики в
условиях ЧС также достигается заблаговременным проведением комплекса
инженерно-технических, технологических и организационных мероприятий,
направленных на максимальное снижение воздействия поражающая факторов и
создание условий для быстрой ликвидация последствий ЧС. Инженерно-технические
мероприятия обычно включают комплекс работ, обеспечивающих повышение
устойчивости производственных зданий, сооружений, коммунально-энергетических и
технических систем. Технологические мероприятия обеспечивают повышение
устойчивости работы объекта путем изменения технологического процесса,
способствующего упрощению производства продукции и исключения возникновения
возможных поражающих факторов. Организационные мероприятия предусматривают
разработку и планирование действий руководящего состава,
командно-начальствующего состава силами и средствами для проведения
спасательных работ при защите работающих и населения и других неотложных работ,
а также по выпуску продукции на сохранившемся оборудовании.
К выработке мероприятий и средств по повышению устойчивости объекта
экономики надо подходить весьма обдуманно, всесторонне оценивая их техническую,
хозяйственную и экономическую целесообразность. Считается, что мероприятия
будут экономически обоснованы в том случае, если они максимально увязаны с
задачами, решаемыми при нормальном функционировании объекта экономики
(например, с целью обеспечения безаварийной работы объекта, улучшения УТ,
совершенствования производственного процесса). Особенно большое значение имеет
разработка инженерно-технических мероприятий по устойчивости при новом
строительстве, так как в процессе проектирования объекта можно добиться логического
сочетания общих инженерных решений с защитными мероприятиями по ЧС и ГО, что
снизит затраты на их реализацию. На существующих объектах такие мероприятия
целесообразно проводить в процессе их реконструкции или выполнения других
ремонтно-строительных работ. Об этом должны помнить все руководители (от
мастера до директора), а особенно первый руководитель объекта экономики,
который является начальником ГО (НГО) объекта согласно действующему
законодательству РФ [18].
8.
Составление календарного графика работ
Одновременно с составлением технологического плана
потока и установлением продолжительности работы специализированного потока
составляют календарный график работ.
По горизонтали отмечают протяжение строящейся дороги
по км, по вертикали- календарные сроки и число смен.
С левой стороны календарного плана приводят график
потребности механизаторов и рабочих (без руководящих работников и шоферов), с
другой стороны - потребность в автомобилях для перевозки материалов и
полуфабрикатов.
При строительстве автомобильных дорог, как правило,
выделяется парк автомобилей, необходимых для обеспечения перевозки строительных
материалов из карьеров и с железнодорожных станций на трассу для устройства
подстилающего слоя и основания; из карьеров и с железнодорожных станций на
заводы, для приготовления материалов при устройстве покрытия; с заводов (баз)
на трассу для устройства покрытия.
Количество автомобилей (списочный состав) определяется, исходя из
средневзвешенных расстояний возки. При этом следует определить средневзвешенные
расстояния возки для всех видов основных дорожно-строительных материалов.
Расчет следует вести для каждого потока отдельно.
Календарный график приведен на листе № 10.
Заключение
В данном дипломном проекте предусматривается реконструкция автомобильной
дороги Селищево - Подъяловка, расположенной в Тайшетском районе Иркутской
области.
Проектируемая автомобильная дорога является частью внутрихозяйственной
дороги, имеет общее направление с юго-востока на северо-запад.
Дорога обслуживает внутрирайонные и внутрихозяйственные связи входящих в
зону тяготения предприятий и организаций.
Земляное полотно существующей дороги имеет ширину 10 м (проектировалось
специально для проезда широкой сельскохозяйственной техники), сложено из
песков, супеси, перемешанных с гравием. В продольном профиле дорога проходит в
насыпи высотой от 0,5 до 1,0 м, а в пониженных местах до 3,0 м. Существующее
покрытие из песчано-гравийной смеси изношено.
На существующей дороге имеются искусственные сооружения - круглые
железобетонные трубы отверстием от 0,5 до 1,5 м, которые находятся в
неудовлетворительном состоянии и требуют реконструкции (оголовки разрушены,
кольца сдвинуты, укрепительных работ нет).
В плане существующая дорога имеет 7 углов поворота. Рельеф местности
равнинный. Дорога проходит по с/х угодъям и по двум населенным пунктам - д.
Киево и д. Лясково.
Существующая дорога перестала справляться с возросшей интенсивностью
движения. По дороге осуществляется транспортное сообщение между городом и
прилегающими деревнями, поэтому для комфортного проезда пассажиров
общественного и частного транспорта необходимо повысить
транспортно-эксплуатационные качества дороги путем её реконструкции.
Существующая дорога относится к V технической категории. Настоящим проектом предусмотрено доведение
параметров дороги до нормативов IV
категории, в результате чего, возрастет её пропускная способность, увеличится
скорость движения, уменьшатся затраты на её содержание и ремонт в
осенне-весенний периоды. Всё это благоприятно скажется на развитии региона.
Протяжение проектируемого участка 5,87 км. Начало
трассы ПК 47+43 расположено на ж.б. трубе отв. 2х 0,8 у д. Селищево. Конец
трассы ПК 106+15 находится на существующей дороге у съезда в д. Подъяловка.
При приложении трассы выполнено 7 углов поворота. Все
углы назначены для совмещения трассы с существующей дорогой. На кривых с
радиусами 500 м и менее для более плавного движения автомобилей предусмотрено
устройство виражей. Автодорогу пересекают воздушные линии связи и
электропередач, не мешающие её реконструкции. На местности трасса закреплена
стандартными деревянными столбами или "привязана" к постоянным
местным предметам (опорам линий электра передач.
Дорожно-климатическая зона района строительства - II. Тип местности по увлажнению - 2.
Район проложения трассы характеризуется равнинным рельефом, грунты представлены
суглинком и песком средним. Грунтовые воды, вскрытые при бурении, связаны с
накоплением атмосферных осадков и линзами водонасыщенного песка в толще
суглинков.
Нормативы для проектирования продольного профиля
приняты для дорог IV технической
категории из условия наиболее рационального профиля и обеспечения видимости.
Наименьшие примененные радиусы вертикальных кривых: вогнутых - 2600 м, выпуклых
- 4000м. Применение больших радиусов вызовет увеличение объема земляных работ и
устройство выемки в населенном пункте. Максимальный продольный уклон составляет
47%о.
На всём протяжении трасса дороги проходит в насыпи. На
протяжении почти всей дороги запроектирована подрезка существующего земполотна
для устройства дорожной одежды.
Новое земляное полотно запроектировано с учетом
грунтово-геологических и гидрологических условий по трассе. Поперечные профили
земляного полотна приняты по типовому проекту.
Ширина земляного полотна - 10м, поперечный уклон верха
земполотна-20%о. Крутизна откосов насыпи принята 1:1,5. Проектом
предусматриваются 2 типа поперечных профилей земляного полотна.
Существующее земполотно досыпается до проектных отметок песчаным грунтом
из резерва у д. Лямово. Отсыпка земляного полотна предусмотрена слоями с
последующим уплотнением.
Отвод поверхностных вод с полотна дороги
осуществляется боковыми водоотводными канавами треугольного сечения с крутизной
откосов 1:1,5.
Всего по трассе запроектировано 8 железобетонных труб
с нормальным входным звеном.
Проектом предусмотрено укрепление откосов земполотна
гидропосевом и засевом трав с плакировкой. В качестве плакировочного слоя
используется ранее снятый растительный грунт с откосов насыпи.
Для предохранения обочин от размыва предусматривается
укрепление их гидропосевом. Проезжей части придается двухскатный профиль с
поперечным уклоном 20%о, уклон обочин 50%о. На кривых с радиусами менее 500 м
устраиваются виражи с поперечным уклоном 40%о.
Конструкция дорожной одежды разработана с учетом
категории дороги, климатических и грунтово-геологических условий, обеспечения
дорожно-строительными материалами. Расчет дорожной одежды произведен в
соответствии с ОДН 218.046-01 на ЭВМ в программе "Robur-Дорожная одежда".
Сравнение вариантов конструкций дорожной одежды произведено по
приведенным затратам на строительство, определенным по нормативным документам.
По результатам сравнения к проектированию принят вариант, который
наиболее дешевый и в большей степени отвечает возможностям строительных
организаций Тверской области.
Принятая конструкция дорожной одежды состоит из
следующих слоев: дополнительный слой из песка средней крупности толщиной 35 см;
нижний слой основания из фракционированного щебня, устроенный по способу
заклинки, толщиной 20 см; верхний слой основания из черного щебня, устроенный
по способу заклинки, толщиной 14 см; покрытие из горячего плотного
асфальтобетона типа Б марки II
толщиной 4,5 см.
Ширина проезжей части - 6,0 м, краевой укрепительной
полосы - 0,5 м. Ширина обочин - 2,0 м.
Дорожная одежда краевых укрепительных полос
устраивается по типу дорожной одежды проезжей части.
В экономическом разделе произведен сметный расчет
стоимости работ по возведению земляного полотна (локальная смета № 1), сметный
расчет двух вариантов дорожной одежды (локальные сметы №2, 3).
Общая сметная стоимость автомобильной дороги определяется сводной сметой.
Локальные сметы № 1-3 составлены по единичным
расценкам на основании ТЕР 81-02-01-2001 "Территориальные единичные
расценки для определения стоимости строительства. Сборник № 1. Земляные
работы", ТЕР 81-02-27-2001 "Территориальные единичные расценки для
определения стоимости строительства. Сборник № 27. Дорожная одежда"
Основанием для расчета служат объемы работ и их
единичные стоимости. Подраздел 6.2 посвящен расчету экономической эффективности
реконструкции участка автомобильной дороги. Из расчета видно, что производство
работ по реконструкции экономически эффективно (срок окупаемости составляет
2,86 года).
В разделе "Безопасность и экологичность
проекта" вопросы охраны труда, техники безопасности, дан расчет размеров
опасной зоны работы крана.
Список
использованной литературы
. Каменецкий Б.И., Кошкин И.Г. Организация строительства
автомобильных дорог. - М.: Транспорт, 1983., 152 с.
. Строительные нормы и правила. СНиП 2.01.01- 82
"Строительная климатология и геофизика" Москва, Стройиздат, 1983 г.,
136 стр.
. Строительные нормы и правила. СНиП 1.04.03-85 "Нормы
продолжительности строительства и задачи в строительстве предприятий зданий и
сооружений" (изменения №4) М.: Ростовский строительный комитет СССР, 1990.
. Строительные нормы и правила. СНиП
2.05.02-85"Автомобильные дороги" - М.: Стройиздат, 1986 г.
. Сборник 27 "Автомобильные дороги" - М.:
Стройиздат, 1982 г., 112 стр.
. Правила техники безопасности при строительстве, ремонте и
содержании автомобильных дорог / Минавтодор. РСФСР- М.: Транспорт 1978., 175
стр.
. Общие производственные нормы расхода материалов в
строительстве, сборник - 29.
8. Организация строительства участка автомобильной дороги:
Методические указания для выполнения курсовой работы.- Вологда: ВоГТУ, 2008.-28
с.
9. Единые нормы и расценки на строительные, монтажные и
ремонтно-строительные работы: утв. Гос. строит. ком. СССР и др. 05.12.86. Сб. Е
2: Земляные работы: вып. 1: Механизированные и ручные земляные работы.- Изд.
офиц. - М.: Стройиздат, 1988. - 224 с.
Единые нормы и расценки на строительные, монтажные и
ремонтно-строительные работы: утв. Гос. строит. ком. СССР и др. 05.12.86. Сб. Е
17: Строительство автомобильных дорог.- Изд. офиц. - М.: Стройиздат, 1989. - 46
с.
. Правила приемки работ при строительстве и ремонте
автомобильных дорог (ВСН 19-89).-М.: Транспорт, 1990.-40с.