Характеристика автомобильной дороги улицы Сурикова

  • Вид работы:
    Практическое задание
  • Предмет:
    Транспорт, грузоперевозки
  • Язык:
    Русский
    ,
    Формат файла:
    MS Word
    709,32 Кб
  • Опубликовано:
    2014-09-25
Вы можете узнать стоимость помощи в написании студенческой работы.
Помощь в написании работы, которую точно примут!

Характеристика автомобильной дороги улицы Сурикова

Министерство образования и науки Российской Федерации

Федеральное автономное образовательное учреждение

высшего профессионального образования

«СИБИРСКИЙ ФЕДЕРАЛЬНЫЙ УНИВЕРСИТЕТ»

Политехнический институт

Кафедра: «Транспорта»






ОТЧЕТ ПО ПРАКТИЧЕСКОЙ РАБОТЕ

Характеристика автомобильной дороги улицы Сурикова

Преподаватель Нырков Н. М.

Студент ФТ08 Челноков П. А.

Содержание

Введение

. Анализ существующей УДС на участке ул. Сурикова

.1 Характеристика участка УДС ул. Сурикова- ул. Ленина

.2 Характеристика участка УДС ул. Сурикова- пр. Мира

.3 Характеристика участка УДС ул. Сурикова - ул. Карла Маркса

.4 Характеристика участка УДС ул. Сурикова- ул. Дубровинского

.5 Характеристика участка УДС ул. Сурикова- ул. Марковского

. Оценка трассы по коэффициентам безопасности

. Организация канализированного движения

Заключение

Список используемых источников

Введение

В последние годы наибольшее развитие получил автомобильный транспорт, но производство транспортных средств во многих случаях отстает от все возрастающего спроса на перевозки. В настоящее время рост транспортных средств наблюдается во всех странах мира. Это приводит к тому, что в городах с исторически сложившейся планировочной структурой возникает перенасыщение уличной сети, не отвечающей требованиям современного уличного движения.

Проблема движения в современных крупных городах перерастает в важнейшую градостроительную задачу, от правильного решения которой зависит уровень благоустройства наших городов, направление их дальнейшего развития, характер и формы расселения жителей. В часы «пик» интенсивность движения на отдельных магистралях городов достигает предельного значения, и пропускная способность отдельных элементов улично-дорожной сети максимально снижается. С целью повышения пропускной способности в последние годы проводится реконструкция улично-дорожной сети, разработаны и внедрены в производство новых технических средств по изучению движения транспорта и пешеходов, созданы современные автоматизированные системы управления движением.

Организация дорожного движения определяется как самостоятельная отрасль техники, включающая в себя средства и методы регулирования транспортных потоков, средства и методы оптимизации дорожных условий.

Цели ОДД - продуктивность, экономичность, безопасность и комфортабельность движения - достигаются в результате управление системой «транспортные потоки - дорожные условия» (ТП-ДУ), т.е. воздействием на один или несколько элементов системы с целью улучшить функционирования системы в целом.

Регулирование является важнейшим средством выполнение основного принципа ОДД - разделение транспортных потоков во времени, в пространстве и по составу.

При анализе и организации дорожного движения на пересечениях необходимо учитывать ряд факторов: геометрический, экономических, экологических, человеческий и транспортный. Проведя исследования можно организовать канализирование, круговое и одностороннее движения, а также развязки в разных уровнях

1. Анализ существующей УДС на участке ул. Сурикова

Обследования проводилось в осенний период времени на улице Сурикова и пересекающих её улицах: Дубровинского, Карла Маркса, Мира, Ленина, Марковского в периоды наибольшей загрузки пересечений транспортом «часы пик» 1й с 8-10, 2ой с 17-19 часов (кроме субботы, воскресенья и праздничных дней).

В результате обследования был получен следующий анализ ул.Сурикова:

·   схема участка улично-дорожной сети (УДС);

·        геометрические параметры (привязки знаков перекрестков и перегонов к зданиям, протяженность-625,3м ,ширина в среднем 10,2м ,количество полос на перегонах и перекрёстках- по одной полосе в каждом направлении);

·        схемы разъезда транспортных средств (ТС) по направлениям на перекрестке;

·        часовая интенсивность и состав движения по направлениям;

·        наличие технических средств регулирования:

. Дорожная разметка, недостатком которой является истирание и загрязнение. В период, когда проводилось обследование она не просматривается практически на всем протяжении ул.Сурикова, кроме перекрестков Дубровинского - Сурикова и Марковского, где применяется разметка 1.3.

. Дорожные знаки:

.1 и 2.4 устанавливают очередность проезда перекрестков.

Знаки 2.1 и 2.4 расположены на кронштейне, прикрепленного к мачте освещения на расстоянии 0,5 м от края обочины до ближайшего края знака и на высоте 4 м, что соответствует ГОСТу 152290-2004.

Знак 3.1 запрещает въезд всех транспортных средств вдоль улицы Ленина с односторонним движением с противоположной стороны разрешенному направлению движения.

Знак 3.27 Запрещает остановку и стоянку ТС на ул. Дубровинского, Мира, К.Маркса и по ул.Сурикова на перегонах между ул. К.Маркса/Мира, Мира/Ленина.

Знак 6.4 указывает место стоянки ТС, применяется совместно с табличкой 8.6.5 и 8.7 на перекрестке Сурикова- Мира, а также на перегонах в местах парковки ТС.

Знаки 3.1, 3.27, 6.4 установлены на индивидуальных стойках по ГОСту 52290-2004 м на высоте 4 м и на расстоянии 0,5 м от края обочины до ближайшего края знака.

Знак 3.32, запрещающий движение ТС с опасными грузами, знак 4.8.1, указывающий направление движения ТС с опасными грузами, знаки 5.7.1 - 5.7.2, указывающие на выезд на дорогу с односторонним движением, а также знак 5.14 на перекрестке Сурикова - К.Маркса установлены на мачте освещения на расстоянии 0,5 м от края обочины до ближайшего края знака и на высоте 4 м, что соответствует ГОСТу 52290-2004 и не требует переустановки.

В связи с тем, что на всем протяжении ул. Сурикова не обозначен пешеходный переход, требуется установить 5.19.1 и 5.19.2 и на всех перекрестках нанести разметку 1.14.1.

3. Светофоры:

Транспортные светофоры типа 1 имеют 3 сигнала круглой формы, расположенных вертикально.

Расстояние в горизонтальной плоскости от транспортных светофоров до «стоп-линии» на подходе к регулируемому участку 3,0 м т.к установлен сбоку от проезжей части и на высоте 3 м, что удовлетворяет ГОСТу .На перекрестке Сурикова- Ленина-10 светофоров, Сурикова-Мира- 12, Сурикова- К.Маркса- 10, Сурикова-8.

Пешеходные светофоры имеют два вертикально расположенных сигнала круглой формы. Пешеходными светофорами оборудованы только 2 управляемых светофорных перекрестка - это перекресток Сурикова- Ленина и перекресток Сурикова- Карла Маркса. Этого недостаточно, что требует дополнительной установки на всех перекрестках.

. Ограждений нет.

·    режим регулирования светофоров, длительность тактов;

·        пешеходные переходы не обозначены ни знаками, ни разметкой, остановочных пунктов для маршрутных транспортных средств нет;

·        мест для парковок не достаточно.

Таблица 1.1 - Общая интенсивность транспортных потоков

Наименование перекрестка

Интенсивность по улице Сурикова в сечении ед/ч

Сурикова - Марковского

986

Сурикова - Ленина

1073

Сурикова - Мира

1206

Сурикова - Карла Маркса

658

Сурикова - Дубровинского

389


Таблица 1.2 -Длительность фаз регулирования

№ п/п

Номер фазы

Время, сек




Зелёный

Желтый

Красный

Красный- Зеленый

1

Сурикова - Марковского

1

36

3

16

3



2

16

3

36

3

2

Сурикова - Ленина

1

36

3

27

3



2

27

3

36

3

3

Сурикова - Мира

1

31

3

35

3



2

35

3

31

3

4

Сурикова - К.Маркса

1

41

3

16

3



2

16

3

41

3


1.1 Характеристика перекрестка ул. Сурикова - ул. Ленина

Данный перекресток - является регулируемым, двух фазным, четырехсторонним. В первой фазе едут автомобили по улице Сурикова в прямом направлений и налево, а во второй - по улице Ленина в прямом направлении и направо. По ул. Сурикова и Ленина движение транспортных средств осуществляется по трем полосам попутного направления. Главной дорогой является ул. Сурикова, а улица Ленина - второстепенной. Ширина главной дороги 12 м, второстепенная дорога имеет ширину 15 м. Интенсивность по главной дороге 1073 ед/ч, а по второстепенной - 1123 ед/ч.

Существующие знаки:

Знаки 2.1 и 2.4 расположены на кронштейне, прикрепленного к мачте освещения на расстоянии 0,5 м от края обочины до ближайшего края знака и на высоте 4 м, что соответствует ГОСТу 152290-2004.

Знак 3.1 запрещает въезд всех транспортных средств вдоль улицы Ленина с односторонним движением с противоположной стороны разрешенному направлению движения .

Знаки 5.7.1- 5.7.2, указывающие на выезд на дорогу с односторонним движением установлены на мачте освещения на расстоянии 0,5 м от края обочины до ближайшего края знака и на высоте 4 м, что соответствует ГОСТу 152290-2004.

Существующие светофоры:

Расстояние в горизонтальной плоскости от транспортных светофоров до «стоп-линии» на подходе к регулируемому участку 3,0 м т.к установлен сбоку от проезжей части и на высоте 3 м, что удовлетворяет ГОСТу.

На перекрестке 9 светофоров типа Т.1 и 2 светофора типа П.1.

Ограждений нет, дорожная разметка не просматривается.

Рисунок 1.1 - Существующая схема перекрестка ул. Сурикова - ул. Ленина

Рисунок 1.2 Существующая структура цикла регулирования перекрестка ул. Сурикова- ул. Ленина

1.2 Характеристика перекрестка ул. Сурикова - пр. Мира

Данный перекресток - является регулируемым, двух фазным, четырехсторонним. В первой фазе едут автомобили улицы Сурикова во всех направлениях, а во второй - проспекта Мира. Главной дорогой является проспект Мира, а улица Сурикова - второстепенной. Ширина главной дороги 12,1 м, полос движения - 4. Второстепенная дорога имеет ширину 9,18 м, двустороннее движение в 2 полосы. Интенсивность по главной дороге 1321 ед/ч, а по второстепенной - 1156 ед/ч.

Знаки 2.1 и 2.4 расположены на кронштейне, прикрепленного к мачте освещения на расстоянии 0,5 м от края обочины до ближайшего края знака и на высоте 4 м, что соответствует ГОСТу 152290-2004.

Знак 6.4 указывает место стоянки ТС, применяется совместно с табличкой 8.6.1 и знаком 8.7 на перекрестке Сурикова- Мира, а также на перегонах в местах парковки ТС, только без совместного применения со знаком 8.7.

Существующие светофоры:

Расстояние в горизонтальной плоскости от транспортных светофоров до «стоп-линии» на подходе к регулируемому участку 3,0 м т.к установлен сбоку от проезжей части и на высоте 3 м, что удовлетворяет ГОСТу.

На перекрестке 12 светофоров типа Т.1, пешеходных светофоров нет.

Ограждений нет, дорожная разметка 3.1 на пр.Мира разделяет транспортные потоки противоположных направлений (двойная сплошная).

Рисунок 1.3 - Существующая схема перекрестка ул. Сурикова - пр. Мира.

Рисунок 1.4 - Существующая структура цикла регулирования перекрестка ул. Сурикова - пр. Мира.

1.3    Характеристика перекрестка ул. Сурикова - ул. Карла Маркса

Данный перекресток является регулируемым, четырехсторонним. Главной дорогой является улица Карла Маркса, а улица Сурикова - второстепенной. Ширина главной дороги 15 м, полос движения - 3. Второстепенная дорога имеет ширину 9,0 м, полос движения- 2. Интенсивность по главной дороге 1256 ед/ч, а по второстепенной - 1123 ед/ч.

Существующие знаки:

Знаки 2.1 и 2.4 расположены на кронштейне, прикрепленного к мачте освещения на расстоянии 0,5 м от края обочины до ближайшего края знака и на высоте 4 м, что соответствует ГОСТу 152290-2004.3.27 - «Остановка запрещена»;

Знаки 5.14 и 5.7.1- 5.7.2 установлены на мачте освещения на расстоянии 0,5 м от края обочины до ближайшего края знака и на высоте 4 м, что соответствует ГОСТу 152290-2004.

Знак 3.27 запрещает остановку и стоянку ТС на перекрестке Сурикова - К.Маркса. Установлен совместно с табличкой 8.5.4, устанавливающей время действия знака, установлен на индивидуальных стойках по ГОСту 52290-2004 м на высоте 4 м и на расстоянии 0,5 м от края обочины до ближайшего края знака

Существующие светофоры:

Расстояние в горизонтальной плоскости от транспортных светофоров до «стоп-линии» на подходе к регулируемому участку 3,0 м т.к установлен сбоку от проезжей части и на высоте 3 м, что удовлетворяет ГОСТу.

На перекрестке 10 светофоров типа Т.1 и 2 светофора типа П.1.

Ограждений нет, дорожная разметка не просматривается.

Рисунок 1.5 - Существующая схема перекрестка ул. Сурикова - ул. Карла Маркса

Рисунок 1.6 - Существующая структура цикла регулирования перекрестка ул. Сурикова - ул. Карла Маркса

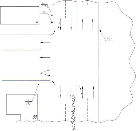
1.4 Характеристика перекрестка ул. Сурикова - ул. Дубровинского

Данный перекресток - является регулируемым, двух фазным, четырехсторонним. В первой фазе едут автомобили улицы Сурикова во всех направлениях, а во второй - ул. Дубровинского. Главной дорогой является ул. Сурикова, а улица Дубровинского - второстепенной. Ширина главной дороги 12,65 м, полос движения - 2. Второстепенная дорога имеет ширину 7,5 м, двухстороннее движение в 2 полосы. Интенсивность по главной дороге 768 ед/ч, а по второстепенной - 762 ед/ч.

Существующие знаки:

Знаки 2.1 и 2.4 расположены на кронштейне, прикрепленного к мачте освещения на расстоянии 0,5 м от края обочины до ближайшего края знака и на высоте 4 м, что соответствует ГОСТу 152290-2004.

Знак 3.32, запрещающий движение ТС с опасными грузами, знаки 4.8.2- 4.8.3, указывающие направление движения ТС с опасными грузами установлены на мачте освещения на расстоянии 0,5 м от края обочины до ближайшего края знака и на высоте 4 м, что соответствует ГОСТу 52290-2004

Существующие светофоры:

Расстояние в горизонтальной плоскости от транспортных светофоров до «стоп-линии» на подходе к регулируемому участку 3,0 м т.к установлен сбоку от проезжей части и на высоте 3 м, что удовлетворяет ГОСТу.

На перекрестке 8 светофоров типа Т.1, пешеходных светофоров нет.

Ограждений нет, дорожная разметка 1.1 на ул. Дубровинского разделяет 2 полосы противоположных направлений.

канализированный дорожный пересекающий улица

Рисунок 1.7 - Существующая схема перекрестка ул. Сурикова - ул. Дубровинского

1.5 Характеристика перекрестка ул. Сурикова - ул. Марковского

Рисунок 1.8 - Существующая схема перекрестка ул. Сурикова - ул. Марковского.

Рисунок 1.9 - Существующая структура цикла регулирования перекрестка ул. Сурикова - ул. Марковского.

2. Оценка трассы по коэффициентам безопасности

Наиболее безопасной для движения является плавная трасса без резких переломов в плане и продольном профиле и допускающая движение автомобилей с высокими скоростями, которые мало отличаются на смежных участках. Поэтому одним из способов оценки плавности дороги с точки зрения удобства и безопасности движения может являться расчет коэффициентов безопасности, представляющих собой отношение скоростей движения на смежных участках.

Шкала оценки опасности ДТП на различных участках дороги в зависимости от коэффициента безопасности имеет вид

Безопасные участки> 0,8

Малоопасные 0,7 - 0,8

Опасные 0,6 - 0,7

Очень опасные < 0,6

участок УДС ул. Сурикова- ул. Дубровинского

Прямой участок дороги. Видимость не ограничена. Коэффициент безопасности - рассчитываемый исходя из отношения допускаемой скорости движения автомобилей по опасному участку (V) к скорости, развиваемой в конце предыдущего участка (VBX) на данном участке

 

То есть данный участок дороги является безопасным, так как коэффициент безопасности больше 0,8.

участок УДС ул. Сурикова- ул. Маркса

Данный участок дороги является прямым, без резких переломов в плане и продольном профиле и допускающая движение автомобилей с высокими скоростями, которые мало отличаются на смежных участках. Видимость не ограничена.

Коэффициент безопасности - рассчитываемый исходя из отношения допускаемой скорости движения автомобилей по опасному участку (V) к скорости, развиваемой в конце предыдущего участка (VBX) на данном участке

 

То есть данный участок дороги является малоопасным, так как коэффициент безопасности больше 0,8.

участок УДС ул. Сурикова- ул. Ленина. Данный участок дороги является прямым, без резких переломов в плане и продольном профиле и допускающая движение автомобилей с высокими скоростями, которые мало отличаются на смежных участках. Видимость не ограничена.

Коэффициент безопасности - рассчитываемый исходя из отношения допускаемой скорости движения автомобилей по опасному участку (V) к скорости, развиваемой в конце предыдущего участка (VBX) на данном участке

 

То есть данный участок дороги является малоопасным, так как коэффициент безопасности больше 0,8.

участок УДС ул. Сурикова- ул. Марковского . Данный участок дороги является прямым, без резких переломов в плане и продольном профиле и допускающая движение автомобилей с высокими скоростями, которые мало отличаются на смежных участках. Видимость не ограничена.

Коэффициент безопасности - рассчитываемый исходя из отношения допускаемой скорости движения автомобилей по опасному участку (V) к скорости, развиваемой в конце предыдущего участка (VBX) на данном участке:

 

То есть данный участок дороги является малоопасным, так как коэффициент безопасности больше 0,8.

3. Организация канализированного движения

В проекте мы проектируем колонизированное пересечение в одном уровне, так как большая интенсивность на пересечении Ленина - Сурикова. Это позволит снизить конфликтные точки, следовательно снизить количество дорожно - транспортных происшествий

Канализирование движения на пересечениях сводится к разделению транспортных, следующих по разным направлениям, выделению для каждого из них самостоятельной полосы движения, рассредоточению, по возможности, конфликтных точек пересечения транспортных потоков. Полосы движения выделяют разметкой или устройством возвышающихся островков, препятствующих движению в неправильных направлениях.

Канализирование бывает удачным, если оно основывается на внимательном анализе движения транспортных потоков по каждому направлению. Несоответствие планировочных решений направлению и интенсивности потоков дезорганизует движение, снижает пропускную способность и ведет к увеличению числа дорожно-транспортных происшествий.

В настоящее время выработаны следующие принципы планировки канализированных пересечений в одном уровне [3]:

. В каждый момент времени планировка пересечения должна предоставлять водителю возможность выбора не более чем одного из двух направлений движения. В соответствии с принципами зрительного ориентирования водителей нужное направление должно подсказываться расположением разделительных островков и линий разметки на покрытии. Расположение островков в плане должно зрительно предотвращать возможность их объезда слева.

. Количество островков должно быть минимально необходимым. Пересечения с большим числом островков становятся неясными для водителей, а их эффективность снижается.

. Конфигурация островков должна предопределять угол маневров, обеспечивая пересечение потоков движения под оптимальными для выполнения соответствующего маневра углами. Слияние и разделение потоков должны происходить под малыми углами 5 - 7º, что ускоряет процесс включения автомобилей в транспортный поток и выхода из него.

. Для остановки автомобилей в ожидании возможности левого поворота следует выделять специальные полосы движения.

В первую очередь это необходимо на дороге с наибольшей интенсивностью движения.

. Параметры расчетных траекторий на пересекающихся дорогах назначают с учетом скоростей движения на основной и второстепенной дорогах.

. В населенных пунктах и вблизи них на пересечении должны быть обозначены разметкой места пешеходных переходов и пути для велосипедистов.

Заключение

В процессе работы была рассмотрена автомобильная дорога по улице Сурикова.

На пересечении ул.Сурикова - ул.Ленина проведено канализирование движения. За счет чего произошло сокращение числа конфликтных точек на пересечении отнесением за пределы перекрестка правых поворотов.

Из проделанной работы, следует, что ликвидация опасных участков несет в себе экономию материальных средств, что не высок срок окупаемости данных мероприятий.

Список использованный источников

1. Кременец Ю.А Технические средства организации дорожного движения . / Ю.А. Кременец - М.:Транспорт, 1990. - 254 с.

. Правила дорожного движения - М.Третий Рим, 2006. - 48 с.

. Хомяк Я.В. Организация дорожного движения / Я.В. Хомяк - К.: «Вища школа», 1986. - 271с.

. Бабков В.Ф. Проектирование автомобильных дорог / В.Ф. Бабков - М.: Транспорт, 1987. - 368 с.

Похожие работы на - Характеристика автомобильной дороги улицы Сурикова

 

Не нашли материал для своей работы?
Поможем написать уникальную работу
Без плагиата!
Без нейросетей!