Київський завод безалкогольних напоїв
Характеристика підприємства
Історична довідка
Київський завод безалкогольних напоїв уведений в
експлуатацію в серпні 1960 року.
До 1962 року завод випускав лише мінеральну воду
«Київська» на п'яти напівавтоматичних розливо-укупорювальних машинах по 30 тис.пл./добу.
В 1962 році були введені в експлуатацію 4
автоматичні лінії розливу продуктивністю 6 тис.пл./год. кожна, одна з яких
випускала мінеральну воду «Київська», а на 3-х лініях - розливалися фруктові
напої: “Ситро”, “Лимонад”. З 1969 р. завод приступив до випуску безалкогольних
напоїв у малій розфасовці - ємк. 0.33 л.
В 1970 році в окремому приміщенні була
встановлена автоматична лінія розливу німецького виробництва потужністю 24 тис.
пл./годину.
В 1980-1985рр. було проведено технічне
переоснащення виробництва:
а) встановлені одна високопродуктивна автоматична лінія розливу потужністю 36
тис. пл./год. для розливу напоїв у пляшки 0,5 л. і три лінії - 24 тис.
пл./год.для розливу фруктових напоїв і сиропів у пляшки ємк. 0.5 л. й 0.33 л.;
б) введена в дію установка для реагентної
підготовки води, що надходить на виробництво, встановлений пастеризатор для
пастеризації купажних сиропів і підвищення стійкості безалкогольних напоїв.
З 1980 року випускаються напої:: «Байкал»,
«Тархун», «Саяни» й «Торжественный»
В 1987 році введений в експлуатацію цех з
випуску концентратів напоїв, розфасованих по 16 гр. в пакети.
З 1992 року розпочали випускати квас з
застосуванням комбінованої закваски, що є асоціацію чистих культур дріжджів і
молочно-кислих
бактерій, які виросли на стерильному квасному
суслі. Розпочинається випуск напоїв «Крем-Сода», «Буратіно» й «Дюшес». В цьому
ж році розпочав працювати цех з виробництва сиропів для газованих напоїв, що
готують на апаратах системи «Пост-Мікс».
В 1994-му році розпочався ексклюзивний випуск
соковмісних напоїв «Capri-Sonne”, яких на сьогодні випускається 8 смаків.
В 1996 р. введена в дію лінія з виробництва
безалкогольних напоїв і мінеральної води, у пляшках з ізполіетилентерофтелата
(ПЕТ) місткістю 2 л. Продуктивність лінії складала - 2 тис. пл./годину.
В 1997 році: введена лінія ПЕТ продуктивністю 6
тис.пл./год. місткістю 1 л.;
розлив безалкогольних напоїв проводиться
синхронно-змішувальним способом;- -виробництво хлібного квасу проводиться в ЦКТ
з застосуванням комбінованої закваски чистої культури дріжджів і молочнокислих
бактерій;
впроваджено безтарне перевезення вуглекислого
газу й подачу його з вуглекислотного відділення в усі цехи розливу;
впроваджується технологічна схема виробництва
слабоалкогольних напоїв.
З 2000 року розпочинається випуск йодованої води
“Доктор”.
У 2002 році було введено в експлуатацію в цеху №
5 нову лінію розливу у ПЕТ-пляшку з продуктивністю 15 тис. пляшок за годину.
На початку 2006 року відкрито новий цех, де
розміщено модернізовану лінію розливу в склопляшки місткістю 03 л., 033 л, 04
л. За годину така лінія розливатиме до 20 тис. пляшок. Пляшкомиюча машина була
закуплена у провідної австрійської фірми “Клінгер” і дасть змогу зробити процес
миття пляшок досконалим, що відповідатиме найвимогливішим санітарним нормам. А
також розливочна машина, що придбана у відомої німецької фірми "КХС”
набагато якісніше закупорюватиме склопляшки з продукцією та впливатиме на
високу стійкість напоїв. Відтепер, дякуючи такій інновації, завод з легкістю
виконує замовлення на продукцію у склопосуді, що завжди мала переваги у
презентабельності на будь-яких заходах найвищого державного рівня та святкових
подіях кожного українця. Щодо асортименту, то він залишається надзвичайно
широким і налічує понад 50 найменувань безалкогольних, слабоалкогольних,
соковмісних напоїв та мінеральної води.
За застосування новаторства в рецептурах і
технологіях заводом отримано 12 авторських посвідчень і 3 патенти. На напої:
“Либідь», «Дніпро», «Чародійний», «Ягідка-вишенька», «Ягідка-смородинка»,
«Український женьшеневий», «Київський женьшеневий», «Горіховий», квас
«Український», енергетичний напій “Мустанг”, с/а
“Мікс-текіла”, та ін. Колективом заводу розроблені рецептури й впроваджені у
виробництво понад 50 найменувань нових видів напоїв, сиропів, слабоалкогольних
напоїв і квасу. Сьогодні торговельна марка «Росинка» є одним з лідерів на ринку
безалкогольної продукції, входить у п'ятірку найпотужніших виробників і частка
ринку становить 11%. Тричі визнана «Кращою торговою маркою», переможець міжнародного
конкурсу «Золота торгова марка», має у своєму арсеналі понад 100 різних нагород
і премій Гран-прі за вищу якість продукції.
Завод «Росинка» співпрацює багатьма закордонними
фірмами: «Рудольф Вільд» Німеччина, «Квест» Голландія, “Дьоллер” Німеччина, ВАТ
“Харчоаромат” Санкт-Петербург та ін. Продукцію нашу знають в Греції, США,
Канаді, Ізраїлі, Німеччині, Росії, Білорусі, Молдові, Казахстані та ін.
У 2007 році розробляється новий дизайн етикетки
та пляшки, яка стає значно зручніша у використанні, отримавши нову форму з
«талією» і символічними «краплинами роси».
У 2011 році після заборони на використання
жовтих залізних бочок для реалізації квасу "Український", керівництво
компанії вирішує змінити культуру продажу і починає реалізацію напою в спеціальних
термо-кегах. Крім того, на вулицях столиці з'являються спеціалізовані місця
продажу квасу, а також сучасні вендингові апарати. З 2012 року активно
випускаються інноваційні продукти: енергетичний напій "Мустанг",
соковмісна безалкогольна серія "Національні традиції", ретро-серія
"Преміум", а також дитячий напій "Шампусик" і коктейлі
слабоалкогольної серії ТМ "Сансет".
Асортимент продукції
Гідрокарбонатно-магнієво-кальцієво-натрієва
«Софія Київська» - вода бактеріально чиста з вмістом мінералів на рівні 0,4 -
0,7 гр / 100 мл, добувається з свердловини глибиною 315 метрів.
Як вода слабкої мінералізації, вона має
“промивальні” властивості, відмінно виводить шлаки з організму та покращує
обмін речовин. Позитивні результати після застосування “Софії Київської”
відзначені й у хворих на цукровий діабет, захворювання жовчного міхура,
підшлункової залози, а також на деякі захворювання шлунка й кишковика. Придатна
ця мінеральна вода й для виготовлення фітопрепаратів, домашніх настоїв (після
попередньої дегазації). «Софія Київська» має спокійний, «нейтральный» смак,
легко тамує спрагу. Її слабка мінералізація не дає відчуття солоності, тому
вода може застосовуватись і як звичайна питна, і як прохолоджувальний напій.
Йодована вода «Доктор» пропонується в якості
профілактичного засобу від йодозалежних захворювань. Більше 15 мільйонів людей
в Україні - третя частина населення країни - проживають на територіях, де
рівень йодованості питної та _рунтових вод є надзвичайно низьким. Компенсувати
такий дефіцит й покликана мінеральна йодована вода «Доктор». Медики
рекомендують її до щоденного вживання.
Негазовані напої «Capri-Sonne», які містять соки
фруктів та ягід, мають яскраво виражений смак свіжих плодів. Вони виготовлені з
натуральної сировини, збагачені вітамінною сумішшю і не містять консервантів чи
штучних домішок. Вміст натуральних соків складає 10% - 30%. Крім того,
необхідно відзначити наявність вітамінів С та РР, вітамінів групи В, Е,
пантотенату, біотину та фолієвої кислоти. Вчені довели, що сполучення такого набору
корисних речовин сприяє нормалізації функцій шкіри, шлунку та нервової системи,
стимулює кровообіг, обмін речовин, покращує діяльність серцево-судинної
системи, підвищує зір. Аскорбінова кислота (вітамін С) зміцнює захисні
властивості організму, піднімає життєвий тонус і, що дуже важливо, стимулює
зростання дитини. До того ж форма пакетика, соломка, що прикріплена до нього із
зворотнього боку, одноразова порція напою (0,2 л) ідеально розрахована на
дитину. Ці напої виготовляються за ліцензією та технологією німецької фірми
«Wild» із застосуванням новітніх методик з екологічно чистої сировини. Західний
партнер постачає «Росинці» концентрований сік та оригінальну м’яку упаковку.
Довготривалий термін зберігання досягається шляхом пастеризації (метод, що ідентичний
домашньому консервуванню), а також завдяки упаковочній фользі, яка захищає
напій від проникнення сонячного світла і повітря та забезпечує його
стерильність
незалежно від умов, в яких він споживається або зберігається.
Шанувальники коктейлів обов’язково вже оцінили
прекрасні напої від «Росинки», такі як: «Водка-Лимон» та «Водка-Клюква»,
«Ром-Кола» і такий оригінальний наш винахід як «Бренді-Кава». А тепер до них
приєдналися ще два оригінальних напої від "Росинки" -
"Біанко" і "Фейхоа".
Окремо варто сказати про нову серію
слабоалкогольних напоїв «Мікс». Англійською «мікс» означає «змішувати» і це
дуже точно відображає їх ідею та смак: «міцна» основа змішана з корисними і
просто смачними соками та іншими складовими в різноманітних комбінаціях. Таким
чином і створені напої «Мікс» від «Росинки» - «Текіла», «Виноград»,
«Грейпфрут», «Апельсин», «Джонік», «Кола», «Лайм», «Бум».
Сьогодні «Росинка» пропонує вам 16 найменувань
безалкогольних напоїв. У першу чергу, це «Лимон» - фірмовий напій заводу. До
серії «модних» напоїв, виготовлених за фірмовими рецептами, можна віднести
також «Апельсин» та «Супер-Колу». А нещодавно «Росинка» розпочала розлив
малокалорійних напоїв «Лимон-Light» та «Апельсин-Light», які повністю
зберігають смакову гаму своїх попередників.
«Лимонад», «Ситро» і «Тархун» - напої з
«ностальгічної» серії, котрі стали популярними тридцять років тому й досі
утримують свої позиції. Вони виготовляються із застосуванням натуральної
сировини і компонентів.
«Персик», «Яблуко», «Женьшень», «Крюшон» - серія
напоїв, розроблених на основі натуральних соків. Вони зберігають усі природні
корисні властивості, збагачені важливими для здоров’я вітамінами та
мікроелементами, сприяють виведенню з організму важких та радіоактивних
металів.
Крім цього, «Росинка» пропонує також напої
«групи АСЕ» - збагачені повним набором вітамінів, серед яких основні - А, С та
Е. Це надзвичайно смачні газовані напої, виготовлені на основі натуральних
соків.
Вивчивши всі цілющі властивості чорного та
зеленого чаю ТМ «РОСИНКА» тонко і бережно перенесла їх у свої нові напої: -
«Чай чорний» з лимоном, «Чай зелений» з жасмином та “Росинка - чай дарджелінг”.
Зберігши всі корисні вітаміни і мікроелементи, що містяться в чаї - напої
набули багатого та колоритного смаку, витримані в найкращих традиціях
заварювання елітних сортів чаю, стали незамінні у втамуванні спраги. При цьому,
корисні речовини, що містяться в чаї, розширюють судини, підвищують тональність
м’язової діяльності, імунітет, вбивають віруси, зберігають клітини печінки. Чай
у 18 разів перевищує вплив вітаміну Е, що є головним засобом, що омолоджує.
Сьогоднi ККЗ «Росинка» входить до п'ятiрки
найпотужнiших виробникiв безалкогольних напоїв, а лiнiя виробництва напоїв
Capri-Sonne з вмістом натурального соку на сьогоднiшнiй день не має аналогiв в
Україні.
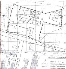
Структура підприємства
Загальна площа підприємства 31 тис.м2, в тому
числі виробничі площі - 15 тис.м2. Кількість будівель і споруд - 9. Будинки із
залізобетонних конструкцій частного типу, цегляні, 1-, 2-, 4-поверхові.
Примайданчик межує з усіх сторін з промисловими підприємствами. На заводі
розташовані 2 свердловини глибиною 315 м і 173 м Юрського і Сіноманського
горизонтів, з яких отримують мінеральну воду.
На підприємстві встановлені і експлуатуються для
виробництва напоїв слідуючі лінії розливу:
Цех №1 - розлив в пляшки 0,33 л слабоалкогольних
і безалкогольних напоїв;
Цех №2 - розлив в пляшки 0,5; 1,5; 2 л
безалкогольних та мінеральних вод;
Цех №3 - розлив в пляшки 1 л і 2 л ПЕТ
безалкогольних та мінеральних вод;
Лінія «Capri-Sonne» - розлив соків в пакетики
місткістю 0,2 л.
Цех №4 - розлив в пляшки 0,4 безалкогольних та
мінеральних вод.
В центрі при майданчика розташовується
допоміжний корпус, де знаходиться аміачна-компресорна, механічна майстерня,
котельня.
Окремою спорудою розташований цех №2 по розливу
0,5; 1,5; 2 л пляшок ПЕТ. А поряд з цією спорудою розташовується розлив квасу в
бочки, що транспортуються в торгівельну мережу.
Допоміжним виробництвом на заводі є котельня,
холодильно-аміачна та повітряна компресорна установка, автотранспортний цех,
механічна майстерня, їдальня.
Завод «Росинка» має на своєму балансі 9-ти
поверховий гуртожиток на 640 місць.
Економічний стан підприємства
Виробництво і реалізація продукції на ККЗБН
«Росинка»
завод напій продукція
Схема організаційної структури Київського
колективного заводу «Росинка»

Основними постачалъниками сировини та допомiжних
матерiалiв КК3 "Росинка":
цукор − "Цукорiмпекс", м. Київ
Українська продовольча компанiя
лимонна кислота − Смiлянський сахкомбiнат,
Черкаська область
вуглекислота − Київський вуглекислотний
завод
склопляшка − Гостомельський склозавод,
Київська область
преформа для пляшок ПЕТ − фiрма
"Бiола", м.Днiпропетровськ
ККС − Бершадський спиртзавод
спирт − Наумовський спиртзавод, Сумська
область i Червонослобiдський спиртзавод, Київська область
бензоат натрiю − Хiмтон, м. Київ
концентрат яблучного соку −
"Подiлля"-ОБСТ, м. Вiнниця
ковпачок алюмiнiєвий − Чернiвецький завод
медичних виробiв
пробка ПЕТ − ООО "Атем", м. Київ
Плівка − «Пластмодерн», м.Київ
Парою завод забезпечується самостiйно за
допомогою трьох парових котлів. Вода поступає з міського водопроводу та двох
власних свердловин.
Сировину на завод доставляють автотранспортним
або зaлiзничним шляхами. Під час приймання партiї обов'язково проводять її облiк
i визначення якостi.
Концентрат квасного сусла (ККС) поступає на
завод в автоцистернах, бочках. ККС перекачують у збiрник для зберiгання
насосом. Температура зберігання повинна бути вiд -400С до +300С. Гарантiйний
термін зберiгання вiдраховуеться з дня виготовлення i складає 12 мiсяцiв (ГОСТ
28538-90).
Цукор-пiсок доставляють на завод зaлiзничним або
автомобiльним транспортом у мiшках, укладених на пiддони. За допомогою
автозавантажникiв пiддони з мiшками перевозять на склад для зберiгання.
При зберiганнi цукру-пicку без упаковки (в
силосах) вiднocнa вологiсть повiтря повинна бути не менша 60%. Якщо цукор-пicок
зберiгається на складi у тapi відносна вологiсть повiтря повинна складати не
вище 70% на piвнi поверхнi нижнього ряду (ДСТУ 2316-93).
Мiшки з цукром на складах з цементованою чи
асфальтованою пiдлогою необхідно вкладати на пiддони, якi вкритi чистим
брезентом, мiшковиною чи папером. При короткому тepмiнi зберirання допускається
вкладання мiшкiв на цементовану чи асфальтовану пiдлогу без пiддонiв на
полiетиленову плiвку. На складах з дерев'яною пiдлогою брезент, мiшковину чи
полiетиленову плiвку підстиляють на пiдлогу, з загортанням підстилу на
укладених нижчих рядах для запобiгання зволоження i забруднення. Цукор, який
упакований у тканиннi мiшки, укладають в штабеля висотою до 46 рядiв. Цукор в
штабелях повинен бути однорiдним за якicтю, упакований в тару одного виду, мати
одну стандартну масу. Горловину мiшкiв при укладаннi повиннi бути поверненi в
середину штабеля.
Вода питна поступає на завод по мiському
трубопроводу або з артезiaнськоi свердловини.
ЧК дрiжджiв Р-87 i молочнокислих бактерiй АН
11/16 i К-770 пщприємство отримує від НУХТ та iнститута мiкробiологii i
вiрусології АН Укрaiни у поштових посилках, упакованих у вiдповідностi з
iснуючими правилами поштових відправлень. ЧК мiкроорганiзмiв являють собою
життєздатнi, виробничо активнi клiтини, якi виросли на зкошеному сусловому
aгapi у скляних бiологiчних пробiрках, якi закритi щiльною ватною пробкою або у
лiофiлiзированому cтaнi у запаяних скляних ампулах. Порушення цiлiсностi
упаковки пробiрки або ампул робить вихідну культуру не придатною до
використання.
Пробiрки з вихідною ЧК до початку роботи
зберiгають закритими при температурi 4-6ºС
i до одного мiсяця. Запаянi ампули зберiгаються при тiй же температурi до
одного року.
Спирт на завод поступає у цистернах i
зберiгається у спецiальних примiщеннях, якi не мicтять вимикачiв i вся проводка
добре заiзольована. Збiрники обладнанi клапанами через якi випускаються пари
спирту, якщо вони створюють надлишковий тиск у ємностi.
Емульсїї, концентрати, ароматизатори,
композицїї, лимонна кислота, консерванти та iншi складовi рецептур напоїв
поступають на склад сировини для зберiгання. Потiм по мipi необxiдності згідно
рецептурної вимоги склад відпускає сировину.
Двоокис вуглецю поступає на завод в рідкому
вигляді в спецiaлiзованих автоцистернах. Пicля чого зливають її в стацiонарну
цистерну для зберiгання. По мipi необхідностi двоокис вуглецю передають на
станцiю газифiкацїї, через гребiнкy на станцiю очищения i синхронно-змiшyвальну
установку в цехах розливу.
Виробництво безалкогольних напоїв
Підготовка води
.1. Опис технологiчного процесу
Для пiдготовки технологiчної води
використовуються вci методи i процеси очистки води, що застосовуються у питному
водопостачанні.
Найпоширенiшими процесами коригування складу
води е вилучення сполук залiза, запахiв та присмакiв, знебарвлення, освiтлення,
пом'якшення, знесолення, знезараження. Для їх реалiзацiї використовують такi
технологiчнi методи: аерацiя, коагуляцiя, вiдстоювання, фiльтрацiя та
iонообмiнне пом'якшення та iншi методи, дозволенi МОЗ України для використання
в питному водопостачаннi або у харчових виробництвах. Вибiр необхiдних процесiв
та методiв залежить вiд якостi вихiдної води та кiнцевих вимог до технологiчної
води конкретного виробництва. Можливе використання комбiнованих схем
водопiдготовки, якi включають декiлька методiв. При розробцi технологiчної
схеми водопiдготовки пiдземних вод бажано дотримуватися правила мiнiмально
необхiдного втручання у природний склад води.
а) Вилучення запахiв та присмакiв.
Причиною виникнення запахiв та присмакiв у водi
частiше за все е присутнiсть сполук залiза, а також невеликої кiлькостi
сiрководню (помiтний запах з'являеться при концентрацi1 0,05 мг/дм3) та aміаку.
Органiчнi сполуки, зокрема антропогеннi домiшки, що потрапляють у воду
поверхневих водоймищ зi стоками хiмiчних виробництв, також можуть надавати
неприемнi запахи та присмаки.
Для вилучення неприемних запахiв та присмакiв з
води застосовують аерацiю (спiввiдношення води до повiтря - 1 :30... 1 :500), а
iнодi - обробку води бiльш сильними окислювачами - активним хлором, озоном,
пероксидом водню та перманганатом калiю. Доза реагенту у кожному випадку
визначаеться шляхом проведення дослiдiв з окислення води конкретного джерела.
До зниження неприемних запахiв та присмакiв, обумовлених органiчними
речовинами, призводить обробка води активованим вугiллям. Якщо запах води
викликаний наявнiстю сiрководню, то проводять опромiнення води
ультрафiолетовими променями.
Механiзм вилучення з води сiрководню аерацiею
полягае у його видiленнi з води у бульбашки повiтря. Сумiш сiрководню та
повiтря вилучають з поверхнi за допомогою примусової вентиляцiї. Невелика
частка залишкового сiрководню окислюеться розчиненим у водi киснем або озоном,
що утворюеться в процесi ультрафiолетового опромiнення такої води.
Найпростiшим способом аерацiї є обробка води в
ежекторi. Для ефективної роботи ежектор потребуе тиску вхiдної води не менш нiж
0,2 МПа (2,0 ат).
Вихiд з ежектора має бути прямо у накопичувальну
емкiсть та вiльним вiд напiрного обладнання та запiрної арматури. Повiтря
повинно бути очищеним вiд механiчних та мiкробiологiчних домiшок.
При використаннi у виробництвi в якостi
технологiчної води з мiських водогонiв необхiдно вилучати вiльний хлор. При
необхiдностi дехлорування воду обробляють зернистим активованим вугiллям, яке
каталiзуе процесс вiдновлення вiльного хлору. Хлор при цьому переходить в iонну
форму, а запах хлору відповідон зникае.
б) Вилучення з води механiчних домiшок.
У питному водопостачаннi механiчнi домiшки
вилучаються методами
вiдстоюваnnя та фiльтруваnnя. Оскiльки процес
вiдстоювання вiдбуваеться з малою швидкiстю, то для його реалiзацiї потрiбна
велика поверхня дзеркала вiдстiйника. Тому у харчових виробництвах здебiльшого
використовують процеси фiльтрацiї. В залежностi вiд вимог до прозоростi води
використовують грубу фiльтрацiю i топку фiльтрацiю.
Найбiльш грубою фiльтрацiєю є фiльтрацiя на
фiльтрувальних ciткax. Процес фiльтрацiї на сiтцi полягае в процiджуваннi води
крiзьнеї. Тонкiсть такої фiльтрацiї визначаеться розмiрами чарунки сiтки.
Зазвичай використовують сiтки з тонкiстю фільтрації 20.. .100 мкм.
Бiльш тонкою є фiльтрацiя на фiльтрах з
зернистим завантаженням. В якостi зернистого завантаження зазвичай
використовують кварцовий або гранодiоритний пiсок (одношаровий фiльтр).
Зернисте завантаження у фiльтрi зазвичай лежить на пiдшарi з гравiю. Шар гравiю
є пiдтримуючим, а також виконуе функцiю кращого розподiлу води по перетину
фiльтру. Iншими фiльтрувальними зернистими завантаженнями є подрiбнена
Kepaміка, подрiбнений мармур (для стабiлiзацiї води), подрiбнений гiрський
кварц, гранули полiмеру.Можуть використовуватися також iншi матерiали, у тому
числi i з модифiкованою поверхнею, дозволенi МОЗ України для використання у
питному водопостачаннi або харчовiй промисловостi.
Механiзм фiльтрацiї води на зернистому
завантаженнi полягае у вилученнi завислих частинок за рахунок їх прилипання до
поверхнi зерен завантаження. Таким чином зернистi фiльтри гарантовано вiддiляють
великi частинки з розмiрами бiльше, нiж пори, а також i дрiбнiшi частинки у
вiрогiдностi, яка зменшуеться зi зменшенням розмiру частинки. Розрахункова
тонкiсть фiльтрацiї двошарового швидкого пiщано-антрацитового фiльтру - ДО 5
мкм.
Для бiльш тонкої очистки (до розмiрiв частинок
0,3 мкм) використовують фiльтрацiю через ткаnиnи, фiльтрокартон, полiмернi
матерiшzu, а також через кepaмiку. Частiше за все цi матерiали формують у
спецiальнi патрони (картриджi), якi закрiплюють у спецiальних корпусах патронних
фiльтрiв.
Картриджi, що виготовленi з полiпропiлену та
фторопласту, можна стерилiзувати дезiнфектантами або кип'ятiнням, обробляти 5%
розчином соляної кислоти, промивати зворотним потоком води або продувати
зворотним потоком стерильного стиснутого повiтря. Швидкiсть фiльтрування через
фiльтри тонкої очистки встановлюеться у вiдповiдностi до паспортних даних на
фiльтруючiелементи.
в) Вилучення з води залiза.
Успiх заходiв по видаленню з води сполук залiза
визначаеться правильним встановленням форми iснування залiза.
У природнiй водi залiзо може бути присутнiм у
виглядi гiдрокарбонату двовалентного залiза Fе(НСО3)2, сульфiдiв дво- та
тривалентного залiза, а також у вигляді комплексних сполук дво- та
тривалентного заліза з органічними речовинами. Гiдрокарбонат та сульфiди залiза
надають водi неприємного присмаку та запаху, а комплексні сполуки заліза крім
того змінюють колір води.
Сполуки залiза вилучають з води шляхом переводу
у нерозчинний осад та подальшого вiддiлення як завислих домiшок. Методи переводу
сполук залiза у нерозчинний стан залежить вiд форми iснування залiза у водi.
Гiдрокарбонати двовалентного залiза окислюють
киснем повiтря (аерацiею) або iншими окислювачами, дозволеними МОЗ України у
питному водопостачаннi або харчовiй промисловостi. В результатi окислення
утворюеться нерозчинний гiдроксид тривалентного залiза, який випадае у виглядi
пластiвчастого осаду або розподiляеться по всьому об'єму води у виглядi
каламутi. Аналогiчним чином окислюють i сульфiди.
Комплекснi сполуки тривалентного залiза добре
розчиняються у водi. Тому обробка окислювачами води, яка мiстить залiзо в
органiчних комплексах, лише погiршуе якiсть води. Для вилучення таких сполук
застосовують метод коагуляцiї сульфатом алюмiнiю або iншими дозволен ими
коагулянтами. Доза коагулянту може коливатися у значних межах: 20. ..200 мг/дм3
в перерахунку на технiчний сульфат алюмiнiю.
На практицi доза коагулянту визначаеться
експериментальним шляхом для кожної конкретної води. Сутнiсть процесу
коагуляцiї полягае у здатностi сульфату та iнших водорозчинних мiнеральних
сполук алюмiнiю гiдролiзуватися при розчиненнi у водi з утворенням пластiвцiв
гiдроокису алюмiнiю. Цi пластiвцi мають розвинену поверхню, яка сорбуе
органiчнi комплекси та iншi завислi частинки, а також oкpeмi iони.
г) Meтоди пом'якшення води.
Вiдомi такі методи пом'якшення води: mермчний,
реагентний, iонообмнний, елекmрохiмiчний. У харчовiй промисловостi найбiльшого
розповсюдження набули реагентний та iонообмiнний методи. Перспективним також е
електрохiмiчне пом'якшення води електродiалiзом з використанням спецiальних
бiполярних мембран.
Термiчне пом'якшення застосовуеться дуже рiдко,
оскiльки для реалiзацiї цього процесу потрiбна велика кiлькiсть теплової
eнepriї; кpiм того, таке пом'якшення вилучае з води тiльки карбонатно-кальцiеву
жорсткiсть.
* Реагентне пом’ якшення води.
Реагентний спосiб пом'якшення води базуеться на
отриманнi нерозчинних сполук кальцiю та магнiю в результатi хiмiчних реакцiй
солей жорсткостi з вапном та кальцинованою содою Nа2СО3. Вапно застосовують для
вилучення сполук тимчасової жорсткостi, а сода - для вилучення постiйної
жорсткостi. При необхiдності вилучення лише тимчасової жорсткостi застосовують
обробку води одним вапном.
Пiсля реагентного пом'якшення утворенi осади
слiд видалити стандартними методами освітлення води.
Содо-вапнове пом якшення - процес, який
супроводжуеться значним пiдвищенням рН води (бiльше 9,0). При такiй обробцi у
водi з'являеться вiльний гiдроокис натрiю. При пом'якшеннi води, яка мае досить
велику (бiльше 4 мгекв/дм3) постiйну жорсткiсть, у водi залишаеться до 3
мг-екв/дм3 залишкової жорсткостi. Але при великiй тимчасовiй жорсткостi (бiльше
4 мг-екв, дм3), яка перевищуе постiйну жорсткiсть у 2...3 рази такий процес
може бути вигiдним. При пом'якшеннi вод такого складу одночасно вiдбуваеться
вiдповiдне зниження лужності та сухого залишку.
Реагентне пом'якшення часто використовують разом
з процесами коагуляцiї та глибокого хлорування гiпохлоритом натрiю. В цьому
випадку потрiбно пiдбирати доз и реагентів iндивiдуально в залежностi вiд
обраної схеми водопiдготовки та складу води конкретного джерела. Необхiдно
також вести контроль кiлькостi вiльного лугу, який утворюеться при реакцiї
карбонату та гiдрокарбонату натрiю з вапном. Контроль ведеться за рН води.
Реалiзацiя реагентного пом'якшення води потребуе
значної кiлькостi реагнтів, великих виробничих площ та ретельного контролю за
ходом процесу. Kpiм того, є обмеження застосування методу за складом вихiдної
води. Тому такий спосiб пом'якшення використовуеться рiдко.онообмiнне по’
якшення води.
Пiдготовка води за допомогою iонообмiну
базуеться на застосуваннi iонітів. 3азвичай використовують штучнi синтетичнi
iонiти, якi являють собою синтетичнi високо полiмернi нерозчиннi у водi
речовини. Вони складаються з Просторової сiтки, яка мiстить iоногенні групи. У
водi активнi групи iонітів дисоцiюють на нepyxoмі, зв'язанi з матрицею
фiксованi iони та рухомi проти iони. Фiксованi iони визначають вид та
властивостi iоніту (катiонiти, анiонiти, слабодисоцiйованi,
сильнодисоцiйованi). У катіонітах обмiнним iоном є катіон, в aнioнiтax - aнioн.
Катiонiти застосовують для вилучення з води катіонітів, аніоніти використовують
для вилучення аніонів.
Пом'якшення води iонообмiном полягае у замiнi
катіонів жорсткостi, якi мiстяться у водi, на катiони натрiю або водню, якi
можна ввести в катіоніт при його регенерацiї. Вiдповiдно катiонообмiнна обробка
води розподiляеться на натрiй-катiонування, водень-натрiй-катiонування та
водень-катiонування. Спосiб iонообмiнного пом'якшення води можна використовувати
для обробки води з загальним вмістом солей до 1,5 г/дм3.
Натрiй-катiонування. Натрiй-катiонування
проводять з використанням сильно кислотного катіонітa, наприклад, КУ 22-8чС,
або його вiтчизняних та закордонних аналогiв, що дозволенi МОЗ України для використання
у харчовiй промисловостi чи питному водопостачаннi. Процес iонообмiну
складаеться з таких режимiв: робочий режим, розпушуюча промивка, регенерацiя,
промивка.онообмiн вiдбуваеться пiд час фiльтрування води через шар іонообмінної
смоли.
Водень-катiонування. Водень-катiонування
використовують для пом'якшення та зниження лужностi води, яка має близькi
значення жорсткостi та лужностi. для процесу використовують слабо кислотнi
карбоксильнi катiонiти, дозволенi МОЗ України для використання у питному водопостачаннi,
харчовiй промисловостi.
При застосуваннi сильно кислотних катioнiтiв в
процесi воденькатiонування оброблена вода має рН 2,5...3, що свiдчить про
наявнiсть у нiй aнioнів сильних кислот. Перед використанням таку воду потрiбно
нейтралiзувати або змiшувати з вихiдною водою. Це ускладнює процес
водопiдготовки i дає нестабiльнi показники обробленої води. При
водень-катiонуваннi на сильнокислотному катонітi КУ 22-8чС питома витрата
сiрчаної кислоти на регенерацiю катіонiтy залежить вiд солевмiсту води. При
загальнiй мiнералiзацiї до 5,0 мгекв/дм3 потреба в кислотi складає 50 г/г-екв;
вiд 5,0 до 7,0 - 60 г/г-екв; 7.. .10 70г/г-екв; 10...15 - 130 г/г-екв; 15...20
- 180 г/г-екв.
Водень-наmрiй-каmiонування.Водень-натрiй-катiонування
використовується для пом'якшення води з одночасним зниженням її лужностi i
сухого залишку. Водень-натрiй-катiонування проводять паралельно, тобто частину
води обробляють у водень-катiонiтовому фiльтрi, частину - у натрiйкатіонітовому,
а потiм обидва потоки змiшують, або послiдовно. Сутність
процесу
послiдовного водень-натрiй-катiонування полягає в обробцi води сильно кислотним
катіонітом у водневiй формi з наступною частковою нейтралiзацiєю залишкової
кислотностi води сильно кислотним катіонітом у натрiєвiй формi. Цей метод в основному
застосовують також для нейтралiзацiї лужностi у водах з малою жорсткiстю.
Спiввiдношення об'ємiв водень - та натрiй - катіонітів приблизно вiдповiдає
спiввiдношенню гiдрокарбонатiв до суми сульфатiв i хлоридiв у водi. Точне
спiввiдношення формкатіонітів пiдбирається експериментально в кожному
конкретному випадку. Процес вiдбувається у двох фiльтрах: водень-катiонiтовому
та натрiй-катiонiтовому. Недолiком паралельного водень-натрiй-катiонування є
те, що склад обробленої води є нестабiльним, i потрiбен постiйний аналiтичний
контроль залишкової лужності води.
*Декарбонiзація
В процесi водень-катiонування та
водень-натрiй-катiонування присутнi у водi гiдрокарбонати, якi визначають
лужнiсть води, реагують з протонами катіонiтy, утворюючи вiльну вуглекислоту.
Це призводить до значного зниження рН води (4,5...5,0), для виробництва
безалкогольних напоїв коригування рН такої води не є обов'язковим. Але для
виробництва пива такі низькi значення рН можуть призвести до порушення
нормального протiкання ферментативних процесiв. Тому бажано воду пiсля обробки
в Н - або в Н-Nа-катiонiтових фiльтрах декарбонiзувати для пiдвищення рН не
нижче 5,5. Декарбонiзацiя може виконуватись у декiлька способiв.
Безреагентний спосiб полягає в обробцi води в
спецiальному апаратi декарбонiзаторi пiд зниженим тиском. Цей апарат
заповнений iнертною насадкою, яка має розвинену поверхню. Вода пiд зниженим
тиском починає кипiти на розвиненiй поверхнi насадки, при цьому вугiльна
кислота вилучається з води у парову фазу. Даний процес у харчовiй промисловостi
використовується рідко.
Вугiльну кислоту можна вилучити з води в процесi
аерацii в ежекторi або барботуванням повiтря крiзь шар води. Kpiм того,
вуглекислота може частково вилучатися з води при нагріванні бiльше 450 С,
наприклад, у заторному котлi, або в збiрниках гарячоi води.
д) 3незараження води.
При використаннi реагентних методiв знезараження
забезпечуеться шляхом дозування у воду. вiдповiдних peaгентів: хлору та його
сполук, iонiв срiбла або iнших peaгентів, дозволених МОЗ України для
використання у питному водопостачаннi, харчовiй промисловостi.
При безреагентному знезараженнi воду обробляють
спецiальними
методами,
якi вилучають або знешкоджують бактерiї: знеплiднююча фiльтрацiя,
ультрафiолетове опромiнення. До безреагентних методiв умовно можна вiднести
також i озонування, оскiльки залишковий озон у водi швидко розкладаеться з
утворенням кисню.
* Хлорування води.
Хлорування - це найбiльш розповсюджений спосiб
знезараження води. для хлорування використовують газоподiбний хлор, хлорне
вапно (СаСI2О), гiпохлорит кальцiю (Са(СІ02)2), гiпохлорит натрiю (NaCIO), а
також iншi хлоруючи реагенти, дозволенi МОЗ Украiни для використання у питному
водопостачанні.
Розчинення газоподiбного хлору у водi
супроводжуеться його гiдролiзом з утворенням малих кiлькостей хлористоводневоi
та хлорнуватистої кислот. Остання нестiйка i поступово розкладається на
хлористоводневу кислоту та атомарний кисень. Дiючою бактерицидною речовиною у
цьому випадку є саме атомарний кисень: він взаемодiє з речовинами бактерiальноi
клiтини i порушуе роботу ферментних систем. Це призводить до зупинки обмiнних
процесiв та загибелi клiтини. Аналогiчно дiють i сполуки, якi мiстять активний
хлор, гiпохлорит натрiю, а також гiпохлорит кальцiю та хлорне вапно. При
взаемодiї з гiдрокарбонатною лужнiстю води утворюються водночас карбонати
натрiю або кальцiю, та хлорнуватиста кислота. Одночасно з дезинфiкуючим ефектом
хлорнуватистої кислоти вiдбуваеться незначне пом'якшення води при використаннi
хлорного вапна, або незначне пiдвищення лужностi у випадку використання
гiпохлориту натрiю. При використаннi сполук хлору для знезараження води
вiдбувається також iстотнe пiдвищення рН (на 1...2 одиницi).
Бактерицидний ефект хлору залежить вiд його
початкової дози i тривалостi контакту з водою. В основному на руйнування
бактерiальних клiтин витрачаеться незначна кiлькiсть хлору. Значна кiлькiсть
хлору витрачається на рiзноманiтнi реакцiї з органiчними та мiнеральними
домiшками води.
Доза хлору для знезараження питної води
коливається у межах 0,5.. .2,0 мг/дм3 в перерахунку на активний хлор (CI) при
тривалостi обробки не менше години.
У харчових виробництвах для хлорування
використовують сполуки хлору, оскiльки вони не є небезпечними i Ух легко
дозувати. З сполук хлору використовують гiпохлорит натрiю (марки А). Цей
реагент у концентрованому виглядi є нестiйким, тому перед дозуванням готують
розбавленi розчини. Перед дозуванням визначають концентрацiю активного хлору в
розчинi. В практицi пiдготовки води для виробництва пива та безалкогольних
напоїв для забезпечення бiльш глибокого знезараження при умовi зменшення
тривалостi обробки до 30 хвилин застосовують дозу хлору 6... 10 мг/дм3.
По завершенi процесу хлорування у водi
залишається залишкова концентрацiя хлору. Цей реагент нaдaє водi неприємний
смак та запах. Тому пiсля хлорування воду обов' язково дехлорують.
Дехлорування проводять шляхом фiльтрацiї води
через шар активованого вугiлля. При цьому активний хлор каталітично
відновлюється на активних центрах вугілля з утворенням невеликої кiлькостi
соляної кислоти. Одночасно з води вилучається частина хлорорганiчних сполук,
утворених при хлоруваннi. Але легкi летючi хлорорганiчнi речовини активованим
вугiллям не сорбуються. Тому хлорування вод, що мають органiчнi домiшки, має
обмежене застосування, наприклад, при виробництвi безалкогольних напоїв.
Для дехлорування використовують активоване
вугiлля будь-якої марки, дозволеної МОЗ України для використання у питному
водопостачаннi, харчовiй промисловості.
*Ультрафiолетове Знезараження води.
Ефективним способом мiкробiологiчного очищення
води є опромiнення ультрафiолетовим промiнням. У льтрафiолетове промiння з
довжиною хвилi 205.. .315 нм згубно дiє на протоплазму живих клiтин i
стерилiзує воду навiть при тривалостi обробки у декiлька секунд. Максимальну
бактерицидну дiю мають ультрафiолетовi променi з довжиною хвилi 260 нм. Краще
за все знезаражується прозора вода без кольору, колоїдiв та завислих частинок
ультрафiолетове промiння згубно дiє як на клiтиннi, так i на споровi форми
мікрооргаюзмів.
Для опромiнення води застосовують спецiальнi
пристрої в яких джерелом ультрафiолету є газорозряднi лампи, заповненi парами
ртутi або парами ртуті з аргоном. Сучаснi вiтчизнянi бактерициднi установки
ультрафiолетового опромiнення води мають продуктивнiсть вiд 0,3 до 400 м3/год.
*3неплiднююча фiльтрацiя.
незараження вiдбувається при механiчному вiддiленнi
бактерiальних клiтин з води фiльтруванням її через фiльтруючi матерiали з
дiаметром пор менше 0,5 мкм. В якостi фiльтруючого матерiалу використовують
фiльтрокартон, фiльтри з намивним Фiльтруючим шаром (динамiчнi мембрани),
керамiчнi та металокерамiчнi патрони, мембраннi мiкрофiльтри з синтетичних
матерiалiв і т.iн. Перед знеплiднюючою фiльтрацiєю воду необхiдно
вiдфiльтрувати через фiльтри грубої та тонкої очистки. Перiодично знеплiднюючi
фiльтри пiдлягають вiдновленню. Вiдновлення полягає у замiнi фiльтрокартону або
намивного фiльтруючого шару. Керамiчнi, металокерамiчнi та синтетичнi патрони
регенерують стерилiзацiєю кип'ятiнням або промиванням укислотних розчинах
(наприклад, 10% холодна, соляна кислота). Kpiм того, керамiчнi та
металокерамiчнi фiльтропатрони можна прожарювати в муфелi при температурi
600...8000С.
Санiтарно-гiгiєнiчнi вимоги
При проведеннi процесу водопiдготовки слiд
дотримуватися вимог з caнiтapiї та гiгiєни вiдповiдно до «Санитарных правил для
предприятий пивоваренной и безалкогольной промышленности» (№ 3244-85).нiтapну
обробку резервуарiв, збiрникiв, накопичувачiв рекомендується проводити не рiдше
одного разу на мiсяць з застосуванням автоматичних пристроїв або вручну. Якщо
для виробництва використовується вода артезiанських свердловин, то для
запобiгання розвитку на поверхнi обладнання бактерiй для мййки накопичувачiв
артезiанської води та теплообмiнної апаратури для охолодження води слiд
використовувати 5% розчин Nа2СО3 та 0,05% хлорантоїн.нi трубки миють за
допомогою щiтки теплою водою та дезiнфiкують протягом 30 хвилин дезiнфiкуючими
розчинами, пiсля чого ополiскують холодною водою.
Повiтря, що використовується в ежекторах,
аераторах та iнших пристроях для обробки води повiтрям, має бути пiддане
знеплiднюючiй фiльтрацiї на механiчних фiльтрах антибактерiальної очистки
повiтря.
Фiльтруюче обладнання пiсля простоїв (кpiм
фiльтру з активованим вугiллям) необхiдно залити 0,025% розчином хлорантоїну,
витримати 30.. .60 хвилин, пiсля чого промити водою у кiлькостi 2...3 об'ємiв
фiльтрiв. Вугiльнi фiльтри слiд обробити го строю парою.
Контроль технологiчного процесу водопiдготовки
Контроль технологiчного процесу пiдготовки води
включае контроль якостi вихiної води, peaгентів та оброблеої води. При
використаннi комплексних установок водопiдготовки виконуеться внутрiшнiй
контроль параметрiв води на окремих блоках водопiдготовки. Контроль якостi
вихiдної та обробленої води проводиться у вiдповiдностi з методами контролю
ГОСТ 2874-82 «Вода питьевая. Гигиенические требования и контроль за качеством».
Контроль виконуеться лабораторiею заводу, санепiдемстанцiею або iншою
акредитованою лабораторiею.
Приготування цукрового сиропу
Бiлий цукровий сироп являє собою концентрований
водний розчин цукру. Масова частка сухих речовин в бiлому цукровому сиропi
повинна складати 65-70% мас.
Сировина, яка використовується для приготування
цукрового сиропу повинна вiдповiдати вимогам дiючих стандартiв:
Цукор пicок ………………………………….. ДСТУ 2316-93
Вода пicля водопiдготовки, пiдпрацьована, згiдно
технологічної iнструкцii.
Цукровий сироп готують гарячим способом в сиропо
варильних
реакторах типу РЭ - 4000. У чистий реактор
набирають розраховану кількість підготовленої води, попередньо нігріваючи її до
температури 40-45°С на бойлернiй установцi конденсатором з сироповарильного
реактора. Подаючи пару, при включенiй мiшалцi, в котел завантажують цукор. Для
приготовлення цукрового сиропу з масовою часткою сухих речовин 65% необxiдно
взяти 1345л води та 2500кг цукру.
Пicля повного розчинення цукру, розчин
продовжують нагрiвати. При температурi 91°С автоматично включається мiшалка.
Припиняється подача пари. Цукровий сироп витримують в peaктopi 20 хвилин.
Готовий цукровий сироп насосом перекачують через фiльтр-ловушку в
продезинфiкований збiрник, звiдки гарячий цукровий сироп поступае: на рукавні
фiльтри фiрми "Амафiльтр" (3 штуки з селективнicтю 15 мкм i 2 з
селективнicтю 5мкм), потiм в першу секцiю теплообмiнника, де вiдбувається
охолодження його до 50-55°С. Потiм сироп подають на фiльтр з селективнicтю 1,0
мкрм (для тонкої фiльтрацiї).
При необхiдностi додаткової фiльтрацiї,.
цукровий сироп подають на рамний фiльтр-прес, а потiм у другу секцiю
теnлообмiнника для подальшого охолодження сиропу до 25-30°С. Якщо додаткова
фiльтрацiя не потрiбна, то фiльтр-прес від’єднують.
За 10-15 сек до закiнчення фiльтрацii
перекривають воду на теплообмiннику, щоб не вiдбулося переохолодження сиропу.
Пiсля цього сироп поступає у накопичувальну ємкість, звiдкiлля його подають в
збiрник цукрового сиропу купажного цеху.
Приготування колеру
Колер - розчин паленого цукру, густина по
цукроміpy 70%. Фiзико-xiмiчнi та органолептичнi показники колера повиннi
вiдповiдати вимогам ТУ 18-6-13-79.
Сировина, яка застосовується для приготування
колера, повинна вiдповiдати вимогам icнуючих стандартiв:
Цукор-пicок ……………………………… ДСТУ 2316-93
Вода питна ……………………………… ГОСТ 2874-82
Колер готується у колеварочному котлi з
електричним обiгрiвом в спецiально видiленому добре вентилюючому примiщенi. Для
видалення шкiдливих газiв, якi утворюються в процесi варки колеру, над котлами
встановлюють витяжнi зонти.
Для приготування колеру в попередньо нагрiтий
котел заливають 1-2% води вiд маси завантаженого цукру, пiсля чого в котел
завантажують цукор при працюючiй мiшалці. Потiм поступово пiдвищують
температуру до 160-165°С і цукор починає плавитися і поступово набуває
темно-бурого кольору. Пicля цього обiгрiв припиняють i при перемiшуваннi
додають гарячу воду 75-90°С в кількоcтi 8% вiд маси взятого цукру. Потiм при
перемiшуваннi пiднiмають температуру до 180-200°С, в результатi чого
вiдбувається обезводнення сахарози з утворенням гумiнових речовин кислотного
характеру.
При цьому паралельно з карамелiзацiєю
вiдбуваються окиснi процеси з утворенням продуктiв окислення, органiчних
кислот. Утворені карамелi є барвними речовинами.
Готовність колера визначають наступним шляхом:
взята iз котла дерев'яною паличкою проба повинна при витягуваннi застигати у
мiцну нитку або при нанесенні на скляну пластину давати випуклу нерозпливаючу
краплю.
Потiм обiгрiв припиняють i при працюючiй мiшалцi
подають в котел гарячу воду (60-65°С) в кількocтi, необxiдної для отримання
колеру з масовою долею сухих речовин 70%. Колер добре перемiшують, i через
зливну воронку центробiжним насосом перекачують в накопичувальну ємкість,
звiдки направляють на виробництво.
Виxiд колера складає 105 % до маси витраченого
цукру. Масова частка втрачених сухих речовин при варіннi колера складає 27-29%.
Bipно приготовлений колер повнicтю розчиняється у водi i має iнтенсивне
забарвлення. Тривaлiсть обного оберту колеварного котла складає 3-4 години.
При варінні колера не слiд пiдвищувати
температуру вище 200°С, так як вiдбудеться обвуглення цукру, у результатi чого
понижується стiйкiсть напою iз-за випадання осаду обвугленого цукру.
Розлив безалкогольних напоїв
На заводi icнyє чотири цехи розливу
безалкогольних напоiв такі як:
Цех №1 - розлив у пляшки 0,33 л;
Цех №2 - розлив у пляшки 0,5; 1,5; 2л;
Цех №3 - розлив у пляшки 1 i 2л;
Цех №4 - розлив у пляшки 0,4л.
Для перемiщення продукцiї, тари i допомiжних
матерiалiв на заводi використовують електрокари та рiзноманiтнi транспортери
При розливi продукцiї у скляну тару, яка була у
споживаннi, пляшки спочатку проходять через мийну машину. Там вони пiддаються
дiї води, гiпохлориду натрiю, луга i пари. Вимита тара проходить через
свiтловий екран для перевiрки якостi миття.
Чистi пляшки, якi вийшли iз ПММ, пластичний
транспортером послiдовно перемiщають до розливного автомату, укупорочного
автомату, бракеражного автомату готової продукцiї, етикетичного автомату,
автомату для укладки пляшок в ящики, а потiм стрiчковим транспортером ящики з
готовою продукцiєю направляють на палетайзер. Піддони з готовою продукцiєю
автопогрузчиком пiдвозять в склад готової продукції для зберігання і
відправлення в торгівельну мережу.
Виробництво «Capri-Sonne»
Приготування і розлив напою відбувається у цеху
№3. Для приготування напоїв «Капрі-зон» використовується вода зі скважини, яка
пройшла фільтрацію грубої очистки (циклон) і бак.лампу. Сировина, яка
використовується для напою повинна відповідати таким вимогам:
Цукор-пісок ДСТУ 2316-93
Вода природна столова із свердловини №1 і №2
ДСТУ 878-93
Концентрат напою апельсин №1008-36 фірми
«Р.Вильд» по сертифікату фірми «Р.Вильд» і гігієнічному сертифікату
Концентрат напою мультивітамін №1016-30 фірми
«Р.Вильд» по сертифікату фірми «Р.Вильд» і гігієнічному сертифікату
Ароматична композиція №5196/46322 фірми
«Р.Вильд» по сертифікату фірми «Р.Вильд» і гігієнічному сертифікату
Сік яблучний концентрований ГОСТ 18.192-72
Концентрат напою сафарі №1016-27 фірми «Р.Вильд»
по сертифікату фірми «Р.Вильд» і гігієнічному сертифікату
Концентрат напою вишня №3-502500032 фірми
«Р.Вильд» по сертифікату фірми «Р.Вильд» і гігієнічному сертифікату.
Цукровий сироп готують в сироповарильному
вiддiленнi згiдно з технологiчною iнструкцiєю по приготуванню цукрових сиропiв
для безалкогольних i слабоалкогольних напоїв.
Перед вiдкриттям малий контейнер добре
перемiшують вручну, а на великий контейнер ставиться кришка з перемiшуючим
приладом, через штуцер якої пiдєднується дiоксид вуглецю i перемiшується вміст
контейнера перед початком роботи i на протязi дня перед приготуванням нового
купажа. Перед вiдкриттям контейнера слiд упевнитись, що номери на контейнерi
вiдповiдають номеру концентрата розливаємого напою. Вiдкривши контейнер,
потрiбно вiзуально упевнетись, що концентрат якiсний. Концентрат з контейнера
задавати повнicтю в купаж, контейнер обробити пом'якшеною водою i залишки
концентрату з водою також внести у купажну ємнiсть. Пicля цього в купажну
ємнiсть добавити воду до заданого об'єму i добре все перемiшати на протязi 10
хвилин. Вiдiбрати пробу напою, перевiрити органолептичнi i фiзико-xiмiчнi
показники. Якщо напiй вiдповiдає вимогам ГОСТа 28188-89, його направляють у
промiжну ємнiсть перед пастеризатором. У випадку вiдхилення показникiв вiд
стандартних, данний купаж корегують. Поки iз однiєї ємнocтi розливають напiй, в
iншiй готують новий купаж.
Якщо на протязi змiни увесь концентрат з великої
ємності не був використаний, то необxiдно пiдєднати крушку, яку використовують
для зберiгання залишкiв концентрату, i через патрубок пропустити дiоксид вуглецю
для створення вуглекислого тиску.
З промiжної ємностi напiй потрапляє у першу
секцiю трьохступеневого пастеризатора, noтiм у середню, де він нагрiвається
гарячою водою (температурою 95°С) до температури 85°С. Гарячу воду отримують у
третiй секцiї пастеризатора, нагрiвають її гострою парою (температура пари
130°С). Нaпiй з температурою 85°C поступа у промiжний збiрник перед розливною
машиною.
Розлив здiйснюеться у пакети, якi повиннi
зберiгатися у сухому провітреному примiщеннi при температурi 17-20°С. Якщо
пакети зберiгаються у холодному примiщеннi, то перед початком виробництва вони
повиннi постояти одну добу у теплому примiщеннi. Пакети вручну укладають у
пакетоприймач розливної машини, попередньо перевiривши назву напою. Пакети
роздуваються стерильним повiтрям. Стерилiзацiю фiльтрувальних капсул необхiдно
проводити в автоклавi на протязi 30 хвилин при температурі 121-142°С один раз
на мiсяц в день caнiтарної обробки обладнання. Гарячий напiй розливають в
пакети 0,2л по об’єму. Першi порцiї напою зливають у каналiзацiю для досягнення
температури 85°С у розливних кранах. У випадку зупинки машини бiльше нiж на 5
хвилин i при зниженнi температури напою у промiжному збiрнику до 80-81°С,
готовий напiй автоматично поступає не до розливних кранів, а через першу секцiю
пастеризатора у промiжний збiрник перед пастеризатором i знову проходить шлях,
ранiше описаний, до розливної машини. При цьому він частково нагріває напiй,
який йде у середню секцiю пастеризатора.
Пicля розливу напою у пакети, пакети запаюються.
Температура спаювання 16О-165°С.
Закритi пакети поступають у вану з водою
(температура води 10-15°С) для охолодження вмісту пакету. Вода в вану поступає
через холодильник і весь час роботи машини циркулює через нього, пiдтримуючи
температуру води 10-15°С. У вану з водою додають гiпохлорид натрiю.
Концентрацiя розчину повинна бути 1,0 мг/л. Один раз на добу з вани зливають
воду у каналiзацiю. Пicля проходження вани температура напою у пакеті становить
40-45°С.
Пicля цього на пакет наноситься дата розливу
напою. Далi наклеюють соломинку.
Готовий продукт укладають у короба. Короба
поступають на автомат, де вiдбувається склеювання їх клеєм i автоматично
проставляється дата. Потiм короба складають на пiддони i вiдправляють на склад
готової продукцiї.
Гарантiйний термін зберiгання напою 12 мicяцiв
при температурi вiд 0°С до 25°С. Транспортування готової продукцiї проводиться
електрокарами на пiддонах.
При виробництвi напоiв слiд керуватись вимогами
дiючої "Iнструкцiї caнiтарнoгo i мiкробiологiчного контролю пивоварного та
безалкогольного виробництва ИК 10-06-140-87".
При виробництвi напою слiд керуватись
"Правилами безпеки при виробництвi солоду, пива та безалкогольних
напоїв". Киiв 1997 piк.
Енергетичне господарство
. Постачання пари
Споживачами пари на заводi є такі вiдділи
виробництва:
Сироповарильний цех (4 сироповарильних котла,
об'ємом по 4м3 з паровою рубашкою).
Цех "Пост-Мiкс" розлив води. Пар пiд
тиском Р=2..3 атмосфери використовується для миття тари. Витрати пари 70
кг/год.
Цех розливу №1 (1 поверх). Пара споживаеться на
пляшкомиючу машину БММ "Прома" продуктивнiсть 28000 пл/год. Витрата
пари 580 кг/год. Тиск Р=1,5..2 атмосфери.
Цех розливу №2. Розлив в пляшки ПЕТ. За змiну
47000 пляшок по 1,5 л. Пара використовуеться для опалення, вентиляції,
повiтрянi завicи, миття i хлорування продуктiв трубопроводiв i обладнання, а
також на caнітарні потреби.
Цех розливу №3 "Капрi-зоне". Пара
потрiбна для пропарки пастеризатора, розливної машини, 2-х купажорiв i
продуктiв трубопровода. Пара подаеться пiд тиском Р=3 атмосфери.
Цех розливу в пляшки ПЕТ 2А. Продуктивнiсть
лінії 2000 пл/год.
Вiддiл виробництва квасу. Пара споживається при
пропарюваннi автоцистерн. Р=2..3 атмосфери.
Завод також постачае пару Киiвському дослідному
хлібзаводу по паропроводу дiаметром 108мм.
Облiк пари здiйснюеться автоматичним самописцем
КСД2-002с.
Завод "Росинка" забезпечує себе парою
самостiйно за допомогою трьох парових котлів. Паровий котел 1 тип Е-6,5-1,4ГМ
(ДЕ-6,5-14ГМ) 1986 року випуску. Введений в експлуатацiю 15.05.1989. Паровий
котел 2 тип Е4-14ГМ(ДКВР-4-13) 1980 року випуску. Введений в експлуатацiю
29.12.1985.
Паровий котеА 3 тип Е-6,5-1,4 (ДКВР-6,5-13) 1977
року випуску. Введений в експлуатацiю 5.11.1987.
Для потреби опалення у котельнiй вcтaнoвлені 2
паро-водяних пiдiгрiвачi ПП-2-17-7, потужнicтю 1ГКал/год кожний. Кiлькicть
теплоенергii, яка вироблена котельнею в 1999 роцi склала 23397 ГКал, вiдпущено
на сторону xлiбзаводу 9445 ГКал, на власні потреби-13952 ГКал.
Перед потраплянням до парового котла вода
проходить через деаератор. Температура води яка входить 102°С, температура
насиченоi пари 137-140°С.
|
Питома
технологічна витрата тепло енергії, Гкал/т.дал
|
Питома
цехова витрата тепло енергії, Гкал/т.дал
|
Питома
загальнозаводська витрата теплоенергії, Гкал/т.дал
|
Питома
середньорічна витрата теплоегргії, Гкал/т.дал
|
|
зима
|
літо
|
зима
|
літо
|
зима
|
літо
|
|
|
Сиропи
Пост-Мікс
|
0,524
|
0,359
|
3,76
|
0,365
|
4,52
|
0,495
|
2,5
|
|
Слабоалкогольні
напої 0,33 л
|
2,61
|
2,28
|
3,48
|
2,33
|
4,24
|
2,46
|
3,35
|
|
Безалкогольні
напої у склі
|
2,7
|
2,4
|
3,64
|
2,4
|
4,4
|
2,53
|
3,46
|
|
Мінеральна
вода у склі
|
2,04
|
1,75
|
3,06
|
1,8
|
3,82
|
1,93
|
2,87
|
0,66
|
0,63
|
1,66
|
0,71
|
2,41
|
0,84
|
1,63
|
|
Квас
|
-
|
1,354
|
-
|
1,54
|
-
|
2,29
|
2,29
|
|
Капрі-зоне
|
0,92
|
0,92
|
2,27
|
0,98
|
3,03
|
1,11
|
2,07
|
|
Сухі
напої
|
-
|
-
|
0,74
|
-
|
1,36
|
-
|
1,36
|
. Енергопостачання
Джерелами електропостачання у вiдповiдностi з
технiчними умовани джерела електропостачання заводського РП-I0 кв (знаходиться
у пiдсобному корпyci) є:
ТП-1644 - 1 секцiя шин
ТП-109 - II секцiя шин
Основні показники електрозабезпечення
пiдприємства:
напруга джерела електрозабезпечення………………………10
кВ
встановлена потужнicть силового i основного
обладнання..4660 кВт
споживна
потужнiсть…………………....................................2330 кВт
трансформатор………………………………………………..2+ 1600кВ
рiчне споживання електроенергiї……………………..11650
тис.кВт.год
Споживачами електроенергії є цех №1, цех №2, цех
№3, цех №4, квасний цех, котельня i амiачний компресор.
Тариф на електроенергiю - за 1 кВт/год 12,68
коп.
Норми витрат енергетичних pecypciв:
. Виробництво безалкогольних напоїв …………871,4
кВт/год на l т.д.
. Виробництво квасу……………………………..385,2 кВт/год на
1т.д.
. Виробництво мiнеральноi води………………...798,5
кВт/год на 1т.д.
Для безпечної експлуатацiї використовують
заземлення, захист вiд блискавки.
Забезпечення холодом
Для забезпечення холодом завод використовує
амiачну холодильну станцiю. Вона потрiбна для пiдтримування температурних
режимiв технологiчних процесiв виробництва безалкогольних напоїв i хлiбного
квасу, а також охолодження складів готової продукцii. Ця станцiя розташована у
пiдсобному кopпyci. За роботою станцiї i її регулюванням слiдкує автомат.
Витрати холода по заводу прийнятi на основі
даних технологiчного відділення.
Загальнi максимальнi витрати холоду у лiтнiй
перiод 2077800 ккал/год. Холодильна станцiя працює у режимi вторинного
холодоносiя температура кипiння aмiaкa - 100°С. Вторинний холодоносiй 20%
водний розчин NaCl (-5°С).
На заводi 6 автоматизованих амiачних холодильних
машин 21 МКТ 280-7-З. Потужнiсть oднієї машини 360 кВт або З09600ккал/год.
Водопостачання та водовідведення
Джерелами водопостачання є пiдземнi води, тобто
двi артезiанськi свердловини семанського №1 та норського №2 водоносними
горизонтiв i мiська водопроводна мережа. З мicькпроводу вода надходить на
пiдприємство через три вузли обмiну, обладнанi лiчильниками СТВ 65 2 шт, СТВ
100 1 шт. На артезiанських свердловинах для облiку - СТВ 2 шт. Вода надходить в
емальованi ємкості 25м3 i 50м3, а потім на водопiдготовку.
Виробничi потvжностi на 1.01.2006 по ККЗ
«Росинка»:
) Пляшковий розлив безалкогольних наноїв,
мiнеральної
слабоалкогольних напоїв…………………………………. 9010 т.
дал.
) Квас хлiбний …………………………………………….2000 т. дал.
) Безалкогольнi напої з вмістом натурального
соку «Capri-Sonne»………………………………………………………...440 т. дал.
) Мiнеральна негазована вода в розливi ПЕТ 5 л
………….850 т. дал.
ВСЬОГО: …………………………………………………….12300 т. дал.
Води.
Техніко-хімічний контроль виробництва
На заводi icнyє своя лабораторiя, яка слiдкує за
якiстю виробленої продукцiї та сировини, яка постачаєтъся на завод. Bci показники
i перiодичнiстъ їx визначення приведенi у таблицi
Лабораторiя обладнана такими приладами:
. Ваги електроннi SКALTEC SAC51
. Прилад для визначення кисню DIGOS5
SAMPLING DEVICE
. Дистилятор
ДЕ-4
. Рефрактометр
APAGO DR-A1
. Переносний
РН-метр
METROHM744
. Ваги
електроннi
ADVENTURER OHAUS
. Iономeтp
унiверсалъний
ЭВ-74
. Ваги
електроннi
WА34
. Шафа
сушильна
С3Ш-3М
. Miкcep
GAMILTON
12. Титрувалъна установка BURETTE DIGITAL на
500мл
. Рефрактометр СУ-5
Допоміжні цехи і механічні майстерні
Допомiжними виробництвами на заводi є: котельня,
холодильно-амiачна та повiтряна компресорна установки, автотранспортний цех,
механiчна майстерня, їдальня.
Котельня забезпечуе: завод парою за допомогою
трьох парових котлiв. Паровий котел 1 тип Е-6,5-1,4ГМ (ДЕ-6,5-14ГМ) 1986 року
випуску. Введений в експлуатацiю 15.05.1989. Паровий котел 2 тип Е4-14ГМ
(ДКВР-4-13) 1980 року випуску. Введений в експлуатацiю 29.12.1985. Паровий
котел 3 тип Е-6,5-1,4 (ДКВР-6,5-13) 1977 року випуску. Введений в експлуатацiю
5.11.1987. Для потреби опалення у котельнiй встановленi 2 паро-водяних
пiдiгрiвачi ПП-2-17 -7, потужнiстю 1 Гкал/год кожний.
Основне завдання холодильно-амiачної установки
це забезпечення заводу холодом для виробничих процесiв. Ця станцiя розташована
у пiдсобному корпусі. На заводi 6 автоматизованих амiачних холодильних машин 21
МКТ 280-7-3. Потужнicть однiєї машини 360 кВт або 309600ккал/ год.
Повiтряно-компресорна установка на заводi
виконує: роль постачальника повiтря, яке необхiдне на даному виробництвi.
КК3 "Росинка" мае: власний
автотранспортний цех, який слiдкує: за автотранспортом заводу. Bін проводить
його перевiрку i слiдкує: за виправнiстю роботи, а також веде облiк.
Механiчна майстерня заводу слiдкує: за всім
обладнанням заводу і виконує його ремонт у випадку необxiдностi.
Як i бiльшiсть заводiв КК3 "Росинка"
має свою власну їдальню. I кожний робiтник який бажає попоicти може спокiйно
скористатись її послугами пiд час перерви. Їдальня має меню, яке змiнюється
кожен день.
Охорона навколишнього середовища
зазначенi викиди здiйснюються в межах icнуючих
лiмiтiв. Тому спецiальних очисних споруд пiдприємство не потребує.
Безпосередньо у воднi об'єкти скиду забруднюючих
речовин не вiдбувається.
До твердих вiдходiв основного виробництва -
виробництва безалкогольних та слабоалкогольних напоїв, а також мiнеральноi води
вiдносяться: вiдxоди вологих паперових фiльтрiв, вiдходи вологого
паперу(етикетки), скло вiдxоди, полiмернi вiдxоди, вiдпрацьованi лампи.
До твердих вiдходiв допомiжного виробництва
вiдносяться: брухт чорного металу, вiдпрацьованi нафтопродукти, вiдxоди
деревини, макулатура, вiдпрацьованi люмiнесцентнi лампи, змiшанi побутовi
вiдxоди, дрiбнi будiвельнi вiдходи, а також трава, листя i гiлки вiд насаджень.
На кожний з вище згаданих видiв вiдходiв робиться нормативний розрахунок
обгрунтування об'ємiв вiдходiв виробництва, на основi якого Державне управлiння
екологii та природних pecypciв видає дозвiл на розмiщення цих вiдходiв.
Склад стiчних вод вiдповiдає вимогам згiдно
нормативним документам, тому вони викидаються в мicьку канaлiзацiю, де i
очищaються, а для запобiгання викидiв лужних стiчних вод, встановлена станцiя
регенерацiї лугу. За перiод з 1999 по 2003 piк не було виставлено претензiй
щодо збiльшення концентрацiй показникiв стiчних вод.
На пiдприємствi придiляється значна увага
oxopoні навколишнього середовища. З метою охорони повiтряного басейну було проведено
якicне регулювання карбюраторiв автомашин пiдприємства, що дало змогу зменшити
викид СО.
За рахунок пiдтримання оптимального рiвня
горiння газiв в котельні (модернiзацiя горiлок газу) зменшились викиди СО i
окисiв азоту, що також сприяє меншiй потребi газу у виробництвi.
Своєчасне проведення ремонтно-профiлактичних
робiт холодильно-компресорного обладнання зменшило викиди aмiaкy. Встановлено
фiльтри для очистки повiтря пiсля компресорної установки. З 1999 року
впроваджено систему замкнутого водопостачання для охолодження, що дало змогу
значно зменшити використання водних pecypciв.
Твердi вiдходи, такi як використаний папiр,
картон, брак ПЕТ пляшок, обмотувальна плiвка та iншi допомiжнi матерiали
здаються iншим органiзацiям на вторинну переробку, що зменшує засмiчення
навколишнього природного середовища.
Вiдпрацьованi мастильнi матерiали, а також
люмiнісцентнi лампи здаються на вторинну переробку, об'єми яких менше вiд
встановлених лімітів.
З метою охорони навколишнього середовища
впроваджено такi заходи:
Використана література
.
Методичнi вказiвки до умовно-графiчних зображень в апараryрно-технологiчних
схемах для студентiв спец. 7.091704 "Технологія бродильних виробництв i
воноробство" напряму 0917 "Харчова технологiя та iнженерiя" та
7.050201 "Менеджмент у виробничiй сферi" напряму 0502
"Менеджмент" ден. i заоч. форм навчання. Уклад.: п.с. Циганков, п.л.
Шиян, в.л. Прибильський. - К.:УДУХТ, 2001. - 32с.
.
Методичнi вказiвки до проходження виробничоi практики на пиво-безалкогольних
заводах для студентiв III курсу спец. 7.091704 "Технологія бродильних
виробництв i воноробство" напряму 0917 "Харчова технологія та
iнженерiя" денноi форми навчання. Уклад.: А.Є. Meлетьєв, В.М. Сидор. - К.:
НУХТ, 2004. - 19с.