Прогнозирование разработки Северо-Ставропольского газового месторождения
Содержание
Введение
. Теоретическая часть
1.1 Анализ показателей разработки
месторождения, прогнозированных приближенным методом проектирования
1.2 Анализ достоверности принятых
при проектировании разработки залежи запасов газа, конденсата и нефти
.3 Анализ результатов
исследования скважин для обоснования
1.4 Анализ текущего состояния фонда
скважин
.5 Анализ годовых отборов из
месторождения
.6 Анализ состояния обводнения
месторождения
2. Аналитическая часть
2.1 Исходные данные к проекту
2.2 Расчет показателей разработки
месторождения на истощение при принятом технологическом режиме работы скважины
- постоянной депрессии на пласт
Заключение
Список использованной литературы
Введение
Базой для курсового проекта является дисциплина
«Теория разработки газовых и газоконденсатных месторождений» специальности
090600 (130503) Разработка и эксплуатация нефтяных и газовых месторождений.
Настоящая работа выполнена с целью
прогнозирования разработки Северо-Ставропольского газового месторождения.
Заданием к курсовому проектированию предусматривалось составление основных
разделов проекта - теоретического и расчетного.
В теоретической части подлежат решению вопросы,
касающиеся учета ретроградных явлений в пласте и уравнения материального
баланса для газоконденсатной залежи, коэффициента газоотдачи и
конденсатоотдачи, технологического режима эксплуатации скважин и определения
показателей разработки газоконденсатного месторождения на истощение.
В расчетной части должны быть спрогнозированы
показатели Северо-Ставропольского газового месторождения на истощение при
принятом технологическом режиме работы скважин - постоянной депрессии на пласт.
В основу прогноза положены исходные данные к
проекту: геолого-промысловая характеристика месторождения, физические свойства
газа, коллекторские свойства пласта и др.
Расчет показателей разработки выполнен по
методикам, предусмотренным программой вышеуказанной дисциплины.
.
Теоретическая часть
.1 Анализ показателей разработки
месторождения, прогнозированных приближенным методом проектирования
Объем исходных данных, используемых при
приближенном методе проектирования разработки, значительно меньше, чем при
численном методе с использованием геолого-математической модели залежи или ее
фрагментов. Поэтому число параметров, подлежащих анализу, при приближенном
методе проектирования сравнительно невелико.[1]
В целом для рассматриваемого метода
проектирования разработки анализу подлежат:
1. Геологическая
характеристика месторождения: строение залежи, ее тип, наличие и амплитуда
тектонических нарушений, основные параметры пласта (пропластков, пачек):
пористость, проницаемость,
газонефтеводонасыщенность, толщина, глинистость, минералогический состав пород,
устойчивость к разрушению, гидродинамическая связь между пропластками,
трещиноватость, параметры и направление трещин, параметры матрицы по толщине и
по площади; наличие и размеры литологических окон или экранов и т.д. При
анализе материалов, касающихся геологической характеристики, должны быть
использованы лабораторные исследования по изучению кернового материала,
геофизические исследования, проводимые в процессе бурения, и специальные
исследования в обсаженных скважинах, газогидродинамические исследования при
стационарных и нестационарных режимах фильтрации, гидрогеологические
исследования и другие виды исследовательских работ.
2. Состав и
свойства газа, нефти и конденсата, их изменение по толщине и по площади залежи;
потери конденсата, выход конденсата, наличие коррозионно-активных (кислых)
компонентов, ртути, гелия, влажность газа, растворимость газа в нефти и в воде.
Составы газов сепарации, дегазации, дебутанизации, групповой и фракционный
составы конденсата. Конденсатоотдача при разработке на истощение. Результаты
закачки сухого газа в пласт при разработке залежи путем обратной закачки, сухого
газа в пласт. Прорыв сухого газа в эксплуатационные скважины. Влияние темпа
отборов газа и закачки его в пласт на коэффициенты газоотдачи.
3. Гидрогеологическая
характеристика водоносного бассейна. Оценка режима залежи; физико-химические
характеристики пластовых вод. Положение газоводяного (газонефтяного) контакта.
Параметры двухфазной зоны, капиллярное давление.
4. Запасы газа,
конденсата, нефти и сопутствующих компонентов: серы, гелия, свободного,
растворенного и остаточного газов. Оценка степени участия утвержденных запасов
в разработке.
5. Результаты
стандартных и специальных исследований скважин с позиции определения параметров
пластов и обоснования технологических режимов эксплуатации скважин.
6. Текущие
показатели разработки залежи, отборы по годам; в периоды нарастающей постоянной
и падающей добычи газа. Изменение пластового давления по толщине, по площади и
во времени. Продвижение пластовой воды в газовую залежь. Состояние обводнения
залежи, зон, дренируемых отдельными УКПГ, кустами и скважинами.
7. Бурение и
освоение скважин, тип и расположение скважины. Вскрытие продуктивного разреза.
Состав бурого раствора, перфорация, интервал перфорации, наличие фильтра,
открытого забоя, их сравнение, конструкция и герметичность скважин,
центрирование.
8. Система
сбора и подготовки газа, шлейфы, коллектора. Осушка и очистка добываемой
продукции на промысле, головных сооружениях, ГПЗ. Сроки их ввода, мощности,
расположение УКПГ, ДКС.
9. Показатели
принятого варианта разработки и соответствие их принятым проектным и
факт1гческим показателям.
10. Технико-экономические
показатели принятого варианта разработки.
11. Работы по
интенсификации притока газа, нефти в проектных эксплуатационных скважинах.
Ремонтно-профилактические работы в скважинах.
12. Работы по
контролю за разработкой: частота, число и качество работ по контролю за
отдельными параметрами.
13. Работы
по охране окружающей среды, труда и природных ресурсов, утилизация отходов.
В изложенных в общем виде разделах проекта,
подлежащих анализу в зависимости от этапа разработки, часть вопросов подлежит
изучению и анализу не в начале разработки, а только на определенном этапе, как,
например, анализ влияния ввода ДКС на состояние подготовки газа на промысле.
.2 Анализ достоверности принятых при
проектировании разработки залежи запасов газа, конденсата и нефти
Одной из основных причин корректировки проекта и
перепроектировки является достоверность принятых запасов газа. Естественно, что
на стадии проектирования разработки запасы газа, как правило, определяются
объемным методом. В разделе по подсчету запасов указаны основные расчетные
формулы, перечень параметров, необходимых для определения запасов газа объемным
методом, и недостатки этого метода. Поэтому анализ данных разработки залежи с
позиции уточнения запасов должен быть проведен, как минимум, тремя методами:
объемным, методом падения пластового давления и применением
геолого-математических моделей залежи или ее фрагментов.
. Для уточнения запасов газа объемным методом
необходимы сбор и обобщение новых данных, полученных после составления проекта
разработки в процессе разбуривания месторождения, исследований скважин и
лабораторных изучений кернового материала. В частности, к таким данным
относятся:
- пористость всех пропластков в пределах
продуктивного разреза и по площади, обобщение коэффициента пористости по
удельным площадям, величина которой выбирается проектировщиком с учетом
изменчивости пористости, а также по пропласткам;
газонефтеводонасыщенность всех без исключения
пропластков геофизическими и лабораторными методами изучения. Причем
определению подлежат и остаточные газонефтеводонасыщенности пропластков.
Осреднение коэффициентов газонефтеводонасыщенности должно проводиться по тем же
удельным площадям и пропласткам, по каким были осреднены и обобщены коэффициенты
пористости;
- толщины газонефтенасыщенных пропластков в
пределах выделенных удельных площадей;
- термобарические параметры газа в пределах этих
удельных площадей: давление, температура и соответствующие им коэффициенты
сверхсжимаемости. Далее следует определить удельные запасы газа, нефти,
конденсата, а затем просуммировать полученные запасы газа, чтобы найти общие
геологические запасы газа по формуле:
Полученные запасы газа следует сопоставить с
запасами газа, принятыми при проектировании разработки залежи. Принятые в
системе ОАО «Газпром» условные, но не регламентированные юридически проектные
показатели должны пересматриваться только в том случае, если новые запасы ниже
или выше принятых при проектировании на ±5%.
. Для уточнения запасов газа методом падения
пластового давления с использованием данных разработки залежи и анализа этих
материалов необходимы:
- средние пластовые давления по участкам залежи.
Размеры и число участков выбираются проектировщиком. Следует отметить, что чем
больше число участков, тем точнее определяются текущие извлекаемые запасы газа;
- по средним пластовым давлениям и пластовой
температуре, исходя из состава газа, определяются коэффициенты сверхсжимаемости
газа для каждого отрезка времени и каждого выделенного участка;
- суммарные по отдельным объектам, по
пропласткам, по скважинам, кустам, УКПГ и в целом по месторождению отборы газа.
Причем даты расчета - периодичность суммарных дебитов по отрезкам времени
(обычно в качестве отрезка времени выбирают 3 месяца, полгода или один год)
должны быть привязаны к датам практически одновременного замера пластового
давления во всех наблюдательных и, желательно, в эксплуатационных скважинах.
Оцененные таким образом запасы газа должны быть
сопоставлены с принятыми в проекте запасами. Если имеющимися скважинами,
кустами и УКПГ не охвачена вся газоносная площадь, т.е. залежь дренируется не
полностью, то полученные таким образом запасы окажутся заниженными. Однако эти
запасы будут текущими и вовлеченными в разработку к данному моменту времени.
Такие запасы, в отличие от запасов, определенных объемным методом, могут быть
приняты с более высокой категорией.
. Для уточнения запасов, подсчитанных с
использованием геолого-математических моделей залежи или ее фрагментов,
необходимо в адаптирующуюся модель внести значения подсчетных емкостных и
фильтрационных параметров, полученных после составления проекта. Такая работа
позволит только частично внести изменения параметров отдельных удельных
площадей, на которых не были пробурены скважины до оставления проекта. Несмотря
на возможную незначительность изменения запасов газа при учете новых данных,
полученных со скважин, пробуренных после выполнения проекта, в анализе
разработки, такая работа должна быть выполнена с целью дополнительного
подтверждения достоверности запасов, подсчитанных с применением геолого-
математических моделей.
1.3 Анализ результатов исследования скважин
для обоснования режимов их эксплуатации
В разделе показаны две основные задачи стандартных
исследований при стационарных режимах фильтрации, одной из которых является
обоснование режима работы скважин. При этом особое внимание должно быть уделено
зависимостям дебита газа (нефти), количества примесей и воды от депрессии на
пласт, в частности, интенсивности роста дебита газа, примесей в газе от
увеличения депрессии на пласт. Причем вопрос о зависимости количества примеси в
добываемом газе должен быть рассмотрен с учетом условий их выноса с забоя. По
экспериментальным данным, скорость должна быть не менее 5 м/с, начиная от торца
скважины. Создаваемая на пласт депрессия должна быть такая, при которой не
происходит:
— деформация
призабойной зоны, приводящая к снижению проницаемости этой
зоны;
— разрушение
призабойной зоны пласта;
— обводнение
скважины подошвенной водой;
— образование
гидратов в призабойной зоне.
При анализе результатов исследования с позиции
обоснования технологического режима работы скважин необходимо исходить из
наличия этих процессов на данном месторождении и на данной скважине, в
частности. В случае разрушения призабойной зоны, если пласт состоит из
неустойчивых и слабоустойчивых коллекторов, должен быть проанализирован
характер зависимости количества примесей в газе от депрессии на пласт. За
основу этого анализа должны быть заложены изменения темпа выноса песка из
скважины от депрессии на пласт, как это показано на рисунке 1. Новые результаты
должны быть сопоставлены с теми исходными данными аналогичного содержания,
которые были приняты при проектировании. Новые данные должны либо подтвердить
правильность принятых в проекте оптимальных величин депрессии, либо
скорректировать их. В соответствии с новыми результатами, полученными по новых
скважин или по повторных исследований, проведенных в находящихся в эксплуатации
скважинах, должен быть скорректирован режим работы, если определяющим фактом
при обосновании режима работы было разрушение призабойной зоны.
Рисунок 1. Зависимость количества выносимой
примеси от величины депрессии на пласт различной устойчивости: 1 -
среднеустойчивый; 2 - слабоустойчивый; 3 - неустойчивый пласты.
В случае, когда определяющим фактором является
наличие подошвенной воды, следует проанализировать соответствие проектных
величин вскрытия пласта новыми скважинами; величин допустимой депрессии на
пласт в зависимости от положения ГВК и нижней границы интервала перфорации;
поступление пластовой воды в работающие скважины путем измерения ее количества
в продукции скважины и анализа минерального состава добываемой воды, а также путем
слежения уровня воды в пьезометрических скважинах, расположенных на разных
частях месторождения. К этому должны быть добавлены специальные исследования по
отбивке положения ГВК в скважинах. Наряду с перечисленными параметрами,
подлежащими анализу, должна быть создана модель залежи или ее фрагмента и на
ней оценен возможный уровень подъема ГВК к текущему моменту времени с
обязательным повторением истории разработки залежи или фрагментов ее отдельных
участков. Только после учета всех перечисленных факторов, сопоставления этих
данных спроектными и подтверждения обводнения с признаками упомянутых факторов
следует сделать выводы по проблеме обводнения залежи и скважин.
Рисунок 2 Зависимость высоты пробки от скорости
потока в интервале перфорации ствола скважины
При анализе результатов исследования скважин с
позиции обоснования технологического режима работы скважин следует обратить
особое внимание на скорость движения газа по стволу скважины, в частности,
скорость потока у забоя скважины. Опытные данные, показанные на рисунке 2,
указывают на необходимость обеспечения такой скорости, начиная от дна скважины.
Если в нижней части интервала перфорации скорость газа не обеспечивает вынос
примесей, то следует оценить глубину забоя и высоту пробки, которая могла
образоваться из-за отсутствия условий выноса примесей. Следует оценить влияние
высоты пробки на производительность скважины. Такая задача рассмотрена в
разделе по обоснованию технологического режима работы скважин в условиях
разрушения приза- бойной зоны и показано, что наличие пробки в скважине влияет
на производительность как несовершенство ее по степени вскрытия пласта. На
основании фактических данных измерения текущего забоя скважины следует
разработать рекомендации о создании условий нормальной, устойчивой эксплуатации
путем изменения конструкции фонтанных труб - увеличения глубины спуска и
уменьшения их диаметра. В рекомендациях должны быть учтены снижение дебита
скважин в процессе разработки и увеличение количества примесей в составе
добываемой продукции.
1.4 Анализ текущего состояния фонда скважин
Состояние фонда скважин следует проанализировать
исходя из числа скважин пpинятого
перед проектированием разработки и
полученного после окончания разведки.
При этом должны быть рассмотрены все виды
скважин:
переведенные из фонда разведки в фонд
эксплуатации;
переведенные из фонда разведки в фонд
наблюдательных и пьезометрических;
ликвидированные скважины;
предусмотренные проектом к моменту анализа
эксплуатационные, наблюдательные и пьезометрические скважины и соответствие их
проектным решениям.
Согласно проекту каждая скважина должна быть
пробурена согласно графику, оборудована и введена в эксплуатацию с ожидаемыми
по проекту дебитом, давлением, вскрытием продуктивного пласта и коэффициентами
фильтрационного сопротивления. Конструкция скважины должна соответствовать
проектной. Технология вскрытия пласта должна быть рекомендована проектом. Если
эта технология нарушена при вскрытии продуктивного пласта, то в случае
несоответствия проектных и фактических параметров проектировщик не несет
ответственности. При приеме новых эксплуатационных скважин в фонд действующих
особое внимание следует обратить на герметичность скважин. Часто из-за
действующей в настоящее время системы бурения и эксплуатации скважин в фонд
эксплуатации принимаются даже не отвечающие требованиям проекта скважины, что
связано с единоначалием, как для бурения, так и газодобывающего предприятия.
Очень часто к моменту составления проекта не все
работы по подготовке и передаче скважин из разведочного фонда газодобывающему
предприятию заканчиваются. Поэтому анализ состояния фонда скважин относится как
к переходящим in фонда
разведки скважинам, так и к новым, пробуренным по проект скважинам разного
предназначения. Если анализ состояния скважин, переходящих in
фонда разведочных, сводится к выполнению работ, рекомендованных
проектировщиком, то по новым скважинам сводится к своевременному качественному
бурению согласно проектному сроку, оборудованию их соответствующими! фонтанными
трубами, арматурой, клапанами: циркуляционным, ингибиторным, отсекателем,
пакером, хвостовиком (если потребуется) и др.
При анализе фонда скважин, переходящих из числа
разведочных, необходимо проверить качество и своевременность выполнения
ремонтно-восстановительных и ликвидационных работ и оборудование этих скважин
согласно проекту.
Ремонтно-восстановительные и ликвидационные
работы разведочных скважин заключаются в ликвидации непригодных в дальнейшем
для работы скважин в качестве пьезометрических, наблюдательных и
эксплуатационных. В материалах по анализу следует показать, какие работы и за
какое время были выполнены по этим скважинам, и получена ли та информация,
которая была предусмотрена проектом.
.5 Анализ годовых отборов из месторождения
Годовые отборы из месторождения связаны с
наличием скважин, пригодных для эксплуатации в начале разработки, числом
буровых станков и бригад для разбуривания залежи, геологической характеристикой
месторождения, производительностью скважин, запасами газа, системой разработки,
в особенности на газоконденсатных и газонефтяных месторождениях, состоянием
обустройства, составом газа, если добываемый газ представляет интерес не только
как топливо, но и как сырье для получения серы, гелия, этана и т.д.,
потребностью на газ, наличием в регионе других месторождений, сети газопроводов
и т.д.
В период нарастающей добычи газа годовые отборы
устанавливаются техническими возможностями предприятия и системы сбора,
подготовки и транспорта газа. Обычно этот период длится 2-5 лет. В период
падающей добычи газа годовые отборы превращаются из категории известных величин
в категорию неизвестных, так как дальнейшее разбуривание месторождения
прекращается из-за нецелесообразности бурения новых скважин по экономическим
показателям, а также возникающих технологических трудностей при бурении в
условиях низких пластовых давлений.
При анализе годовых отборов следует исходить из:
- запланированного отбора газа из месторождения
в целом, по участкам, по кустам и скважинам;
- величины запасов газа, если они изменились по
результатам новых скважин, пробуренных на структуре;
- сроков ввода в эксплуатацию скважин, обвязки,
УКПГ и ДКС;
- изменения основных геологических параметров:
толщины пласта, ГВК, проницаемости и т.д. по мере получения информации in
новых скважин;
- запланированного и фактического технического
оснащения предприятия для разбуривания залежи согласно проекту разработки и
т.д.
При анализе следует сравнить проектные и
фактические данные, и если они не совпадают, то следует конкретно указать
степень обоснованности отклонений от проектного. При анализе годового отбора
следует исходить из необходимости работы на нормальном режиме пласта, скважины,
установок по осушке газа и, если введена ДКС, то и компрессорных машин.
Эти сравнения не должны являться самоцелью.
Необходимо, исходя из реальных показателей месторождения, скважин и установок
по подготовке газа, при необходимости перераспределить отборы газа по отдельным
участкам. Проектировщик должен при анализе годовых отборов исходить из реальных
материалов. Часто на газодобывающих предприятиях проводят искусственное
перераспределение отборов газа по участкам, если один из участков временно
оказался неработоспособным. По результатам анализа пластового давления и
годовых отборов должны быть разработаны рекомендации по продлению срока ввода
ДКС, выравнивания давления на различных участках залежи.
Наиболее существенное изменение годовых отборов
происходит, если запасы газа оказываются существенно завьшенными или
заниженными по сравнению с запасами, принятыми при проектировании, если
фильтрационные свойства пористой среды оказались более низкими по сравнению с
принятыми в проекте на значительной части залежи, если положение газоводяного
контакта оказалось намного выше, чем это было принято в проекте и т.д.
Проведенный анализ годовых отборов, учитывающий:
число и сроки ввода скважин; их обвязки; сроки ввода УКПГ, а позднее и ДКС;
дебиты скважин и другие факторы, должен показать текущее состояние добычи газа
из залежи и объективно оценить перспективы отбора на базе накопленного
материала.
При анализе годовых отборов особое внимание
следует уделять возможностям залежи в период падающей добычи газа с учетом
перетоков газа из низкопроницаемых пропластков в высокопроницаемые и
интенсивности обводнения залежи подошвенной и контурной водами и снижения при
этом дебита и числа скважин из-за уменьшения газонасыщенной толщины и
обводнения скважин.
1.6 Анализ
состояния обводнения месторождения
Изучение, анализ и обобщение вопросов, связанных
с продвижением подошвенной и контурной вод, а в ряде случаев одновременно
обеих, если месторождение массивно - пластового типа, является одной из
основных задач анализа разработки. Продвижение воды в залежь, как это было
отмечено в разделе по подсчету запасов газа, зависит от интенсивности падения
пластового давления на отдельных участках залежи. Последствия продвижения воды
в газовую залежь очень значительны, и поэтому изучение и анализ накопленного
материала по обводнению должны быть глубокими и всесторонними. В частности, для
изучения характера и темпа вторжения воды в газовую залежь следует исходить из
типа залежь (горизонтальный или наклонный), из неоднородности пласта, параметра
анизотропии, наличия и глубины депрессионной воронки, темпа отбора газа в целом
и по зонам и т.д.
Для оценки состояния обводненности газовой
залежи следует учесть: состав добываемой продукции, т.е. количественное
изменение во времени и по площади объема добываемого газа и воды, состав
добываемой воды, характер изменения уровня воды в пьезометрических скважинах,
распределение пластового давления в водоносной зоне, характер изменения
пластового давления в газоносной зоне и т.д.
Анализ состояния обводнения газоносных пластов и
полученные при этом результаты позволяют достоверно прогнозировать:
изменения пластового давления во времени и по
участкам;
дебиты скважин в зависимости от обводнения их
подошвенной водой н изменения газонасыщенной толщины пласта в результате
подъема ГВК;
запасы газа с учетом изменения начального
газонасыщенного объема и характера изменения пластового давления в зависимости
от объема вторгшейся в газовую залежь воды. При анализе состояния обводнения
залежи следует исходить не только от фактических данных, подтверждающих или
отрицающих степень обводненности залежи или ее отдельных зон. Качественный
анализ может иметь место, если имеющимися исходными данными, полученными
расчетным (приближенным или численным) путем, подтверждается текущее состояние
обводненности.
При анализе состояния обводнения следует
исходить из возможности:
- общего обводнения залежи подошвенной водой при
сравнительно однородных и изотропных параметрах залежи;
- интенсивного обводнения высокопроницаемых
пропластков, в особенности контурной водой;
- частичного обводнения залежи подошвенной водой
в целом или локальными участками из-за наличия в разрезе практически
водонепроницаемых пропластков-перемычек;
- очень замедленного обводнения залежи или ее
отдельных участков из-за низкой вертикальной проницаемости пластов;
- локального обводнения отдельных участков при
наличии тектонических нарушений и т.д.
Такой анализ с соответствующим подтверждением,
полученным приближенными расчетами, практически невозможен из-за сложности
проблемы обводнения неоднородных залежей с неравномерным отбором газа из
отдельных их участков.
Качественный анализ состояния обводнения может
быть выполнен только с использованием геолого-математических моделей отдельных
участков-фрагментов залежи.
На практике достаточно часто при общей тенденции
залежи к обводнению полностью обводненных в массовом порядке скважин
оказывается немного. В таких случаях следует:
- детально проанализировать наличие
низкопроницаемых пропластков между ГВК и нижней границей интервалов перфорации
скважин;
- детально изучить водопроницаемость газоносных
пластов в вертикальном направлении и увязать ее величину с порогом подвижности
подошвенной воды и кривыми фазовых проницаемостей с дебитами воды, ожидаемыми в
обводненных газовых скважинах.
В случае продвижения контурной воды в газовую
залежь пластового типа характер обводнения будет зависеть от проницаемости
отдельных пропластков. Однако интенсивное обводнение высокопроницаемого
пропластка не означает, что залегающие сверху и снизу пропластки останутся
необводненными. Но частичное обводнение этих пропластков может привести к значительным
потерям газа.
При принятых в настоящее время системах
разработки газонефтяных месторождений и закачке в пласт воды создается
искусственный процесс обводнения отдельных пропластков, имеющих высокую
проницаемость. Такое обводнение резко снижает коэффициент нефтеотдачи оторочки.
Создание равномерного вытеснения нефти из высоко - и низкопроницаемых
пропластков является одной из практически выполнимых задач. Для повышения
коэффициента нефтеотдачи неоднородных оторочек следует произвести
поинтервальную закачку воды в такие пласты. Вопрос вытеснения нефти водой в
газонефтяных месторождениях так же, как и на нефтяных месторождениях с газовой
шапкой, относится к категории сверхсложных из - за ухода закачиваемой воды в
газовую залежь (газовую шапку на нефтяных залежах), что резко снижает
эффективность вытеснения нефти водой. Поэтому в большинстве случаев для
поддержания пластового давления в газонефтяных месторождениях используют метод
обратной закачки отсепарированного газа, хотя при этом происходит замораживание
добычи газа из месторождения на 10+20 лет.
Эффективность закачки газа и воды в газонефтяную
залежь для конкретного примера будет рассмотрена в разделе по численным методам
проектирования разработки газовых и газонефтяных месторождений.
Проводимый анализ обводнения месторождения
должен заканчиваться прогнозом дальнейшего поведения процесса обводнения с
учетом фактических данных разработки месторождения из состояния текущего
обводнения.
газ скважина месторождение истощение
2.
Расчетная часть
.1 Исходные данные к проекту
Северо-Ставропольское газовое месторождение
расположено в 27 километрах к северо-западу от города Ставрополь. В 1950 году
на площади заложены первые глубокие разведочные скважины, давшие при
опробовании мощные газовые фонтанные из отложений хадумского горизонта.
Разведка месторождения вглубь привела к открытию в 1956 г. газовой залежи в
отложениях зеленой свиты эоцена.
В геологическом строении месторождения принимают
участие неогеновые, палеогеновые и меловые отложения, и так называемая
переходная (красноцветная) толща, относимая к юрско-пермо-триасовому возрасту с
некоторой долей условности. На некоторых участках нижнемеловые отложения
залегают непосредственно на палеозойском складчатом фундаменте, а на некоторых
участках на переходной толще. Отложения палеозоя вскрыты на месторождении тремя
скважинами. Увеличение мощности отложений происходит на восток - юго-восток в
сторону Пелагиадинской площади.
Северо-Ставропольская структура располагается на
Ставропольском сводовом поднятии, в центральной части Предкавказья.
Месторождение приурочено к двум куполовидным поднятиям, разделенным между собой
неглубокой (до 5 м) седловиной, причем свод Пелагиадинской структуры на 100 м
ниже свода Северо-Ставропольской структуры (рисунок 3). Оба свода широкие
пологие.
Северо-Ставропольское поднятие, несколько
асимметричное, с более крутым южным крылом, простирается в северо-восточном
направлении и имеет размеры в пределах контура газоносности хадумского
горизонта 33 X 19 км. Простирание Пелагиадинской структуры близко к шпротному.
Амплитуда Соверо-Ставропольского поднятия не менее 300 м. По продуктивным
отложениям зеленой свиты Северо-Ставропольское поднятие также представляет
собой купол с широким и пологим сводом, такого же простирания, как и по хадумскому
горизонту.
Промышленная газоносность Северо-Ставропольского
месторождения связана с продуктивными отложениями хадумского горизонта и
зеленой свиты. Кроме того, небольшая газовая залежь выявлена в отложениях
чокракского горизонта. Основным объектом разработки является хадумский
горизонт, представленный на месторождении двумя пачками: алевритовой и пачкой
чередования.
Алевритовая пачка залегает на глубинах 700-750
м. Наибольшие мощности ее приурочены к центральной части Северо-Ставропольской
и северной части Пелагиадинской площадей, где они составляют 37-47. Пачка
представлена тонкозернистыми песками, алевритами и рыхлыми песчаниками с
микропрослойками глин. На долю алевритов приходится до 60 - 70% мощности пачки.
Глинистость ее несколько увеличивается вниз по разрезу. Продуктивные отложения
алевритовой пачки характеризуются весьма высокими кол лекторскими свойствами.
Так, общая пористость их колеблется от 37 до 41%, а эффективная составляет 20%.
Проницаемость изменяется в больших пределах от 50 до 1500мд, составляя в
среднем 1000мд.
Пачка чередования, залегающая на глубинах
710-850 м, представлена тонким переслаиванием пропластков и прослоев песков с
глинами. По вертикали литологический состав пачки резко меняется. Так, если в
верхней части разреза пачки на долю песков приходится до 60-70%, то в нижней
части его глинистость пачки резко увеличивается и песчанистость составляет
всего 5-10%. В соответствии с этим резко меняются и коллекторские свойства
пачки. Общая пористость от 38-41% уменьшается до 24-26% сверху вниз, а
проницаемость снижается от 1500 до 100-10мд. Эффективная пористость такая же,
как у алевритовой пачки (20%). Мощность этой пачки довольно резко колеблется по
площади от 3 до 70м- Общая эффективная мощность обеих пачек 65-70 м.
Залежь газа хадумского горизонта имеет площадь
592 км2. Обе продуктивные пачки представляют единый резервуар. По
типу залежь близка к массивной. На большей части площади залежь подстилается
подошвенной водой. Только в центральной части Северо-Ставропольской площади
выделяется зона 100 км2 сухого газа.
Контакт газ - вода имеет наклонное положение. В
связи с этим этаж газоносности в западной части Северо-Ставропольской площади
равен 130-140 м, а в северо-восточной 200 м в западной части Пелагиадинской
площади около 40 м, в восточной 70-75м. Начальное пластовое давление в залежи
5,7 МПа.
Из-за различной глинистости разреза хадумского
горизонта абсолютно свободные дебиты газа колебались в пределах от 900 тыс. до
5 млн. м31сутки. Продуктивный горизонт зеленой свиты эоцена залегает
на глубинах порядка 1000 м и представлен песками и песчаниками с подчиненными
прослоями глин. Количество глин увеличивается в кровле и подошве горизонта,
общая мощность которого хорошо выдерживается по площади, составляя 33-38 м.
Эффективная мощность продуктивных песчаников равна 13 м. Продуктивные отложения
хадумского горизонта залегают на глубине 650-750м. Общая пористость колеблется
в пределах 23-36%, а эффективная составляет 25%. Проницаемость 11-27 мД.
Газовая залежь зеленой свиты пластовая сводовая,
повсеместно подпирается подошвенной водой. Размер залежи гораздо меньший, чем
хадумской. Газовая залежь в зеленой свите выявлена только в пределах свода
Северо-Ставропольской структуры. Продуктивный чокракский горизонт, залегающий
на глубинах 220-230 м, представлен песчано-глинистыми породами. Общая мощность
его 8-15 м, эффективная 6 м, эффективная пористость 20%. Дебиты газа от 1,5-2
до 7 тыс. ж3/сутки. Газ месторождения плотностью 0,56-0,66 почти
нацело состоит из метана, содержание которого в газе хадумского горизонта
составляет 98-99%.
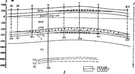
Рисунок 3- Северо-Ставропольское месторождение.
а- структурная карта по кровле хадумского горизонта; б- структурная карта по
кровле продуктивной пачке зеленой свиты; в- профиль: 1-контур газоносности,
2-газ
Хотя небольшая добыча газа из чокракской залежи
производится на месторождении с 1952 г., фактически в разработку оно вступило в
1956 г., когда в эксплуатацию были введены высокопродуктивные газовые залежи
хадума и зеленой свиты. В настоящее время подача газа из месторождения
осуществляется по трем направлениям: на г. Ставрополь, в магистральные
газопроводы Ставрополь - Москва и Ставрополь - Грозный - Тбилиси.
Северо-Ставропольско-Пелагиадинское газовое
месторождение характеризуется высокой продуктивностью. Газовые скважины при
депрессии 1,5-2 кПсм2 работают с дебитом около 1 млн. м3/сутки.
Скважины работают без штуцеров и большинство из них без насоснокомпрессорных
труб, через 203,2-мм эксплуатационные колонны.
Запасы газа месторождения на 1968 г. составляют
по категориям А + В 110 млрд. м3.
Таблица 1 - Исходные данные для расчета
показателей разработки Северо-Ставропольского газового месторождения.
|
Наименование
параметров
|
Значение
параметров
|
|
Средняя
глубина залегания пластов объекта L, м
|
700
|
|
Средняя
эффективная толщина h, м
|
13
|
|
Пористость
m, доли единиц
|
0,25
|
|
Проницаемость
k  11-27
|
|
|
Начальное
пластовое давление Рн, МПа
|
5,7
|
|
Начальный
коэффициент сверхсжимаемостиzн
|
0,92
|
|
Начальное
приведенное пластовое давление, Рн/zн, МПа
|
6,2
|
|
Пластовая
температура Tпл, К
|
303
|
|
Устьевая
температура Ту, К
|
295
|
|
Состав
газа, %: СН4 - 97,6 С2Н6 - 0,08 С3Н8 - 0,01 С4Н10 -0,01 СО2 - 1,2 N2-
1,1
|
|
|
Плотность
газа  , кг/м30,6824
|
|
|
Относительная
плотность газа  0,566
|
|
|
Вязкость
газа  , 10-5 Па 1,5
|
|
|
Вязкость
воды  милиПа 0,65
|
|
|
Балансовые
запасы газа Vг, млрд м3
|
17,3
|
|
Начальный
объем газонасыщенности,  ; 109млрд м30,292
|
|
|
А,
МПа2/(тыс м3/сут)
|
0,022
|
|
В,
(МПа/(тыс. м3/сут))2
|
0,000179
|
|
Депрессия
на пласт,  Р, МПа0,5
|
|
|
Максимальные
дебиты скважин по газу qг,
1000 м3/сут
|
123,5
|
|
К-т
эксплуатации скважин, Кэ
|
0,9
|
|
К-т
резерва скважин, Кр
|
1.2
|
.2 Расчет показателей разработки месторождения
на истощение при принятом технологическом режиме работы скважины - постоянной
депрессии на пласт
Методика расчета
Прогнозирование показателей разработки газовой
залежи при технологическом режиме постоянной депрессии на пласт выполнено по
уравнениям приближенного метода оценки изменения во времени дебитов скважин,
потребного числа газовых скважин, пластового и забойного давлений. Указанные
показатели разработки определяются в результате интегрирования
дифференциального уравнения неустановившейся фильтрации газа (ДУНФ) при
соответствующих краевых условиях. В связи с нелинейностью ДУНФ не
представляется возможным получить необходимые аналитические решения. Поэтому
для расчета показателей разработки были предложены различные приближенные
методы, а также приближенные методы интегрирования уравнения Л.С. Лейбензона.
Использование ЭВМ позволяет получить общие и практически точные решения.
Определять перечисленные показатели разработки (при некоторых допущениях) можно
методом последовательной смены стационарных состояний. Теоретическое
обоснование этого метода применительно к проектированию газовых месторождений
дано Б.Б. Лапуком (1948).
Введение понятия об удельных объемах
дренирования позволяет проводить расчеты на одну среднюю скважину и определять
изменение во времени потребного числа средних скважин. Важный момент
эффективности использования метода последовательной смены стационарных
состояний состоит в доказательстве положения о том, что при радиальной
фильтрации газа к скважине средневзвешенное по газонасыщенному поровому
пространству удельного объема дренирования пластовое давление ру
мало отличается от давления рк (ру»рк)
на границе удельного объема дренирования радиусом Rк.
Расчеты показывают, что при расстоянии между скважинами от 600м до 4400 м и
забойном давлении до 0.1 пластового давления (в условиях стационарной
фильтрации) среднее давление в удельном объеме дренирования скважины отличается
от контурного на 0.5 %. При расстоянии между скважинами до 1000 м при почти
свободном дебите газовой скважины среднее давление отличается от контурного не
более чем на 3 %. (Б.Б. Лапук, 1948). Физически это объясняется значительной
крутизной депрессионной воронки при притоке газа к скважине. Доказательство
положения позволило в уравнении притока к скважине неизвестное контурное
давление рк в момент t
заменить средним давлением в удельном объеме дренирования, а при равномерном
размещении скважин - приближенно средним давлением в залежи в тот же момент: рк(t)
»р(t).
Определение показателей разработки для периодов
нарастающей и постоянной добычи газа
Исходными данными для расчета
являются: начальные запасы газа (Vг) и
газонасыщенный объем залежи
; начальные пластовое давление (рн),
температура (Тпл) и коэффициент сверхсжимаемости газа (zн);
допустимый технологический режим эксплуатации средней скважины (Δp = const);
накопленная добыча (Qдоб(t)) и cуммарный
суточный отбор газа из залежи (Q(t));
коэффициенты фильтрационного сопротивления А и В средней скважины. Следует
определить изменение во времени среднего пластового (p(t)),
забойного (pc(t)) и
устьевого (pу(t)) давлений;
дебита газа средней скважины (q(t)) и
потребного числа скважин (n(t)).
Определение этих показателей методом последовательной смены стационарных
состояний сводится к решению системы уравнений:
материального баланса для газовой
залежи;
технологического режима эксплуатации
скважины;
притока газа к забою скважины;
числа газовых скважин;
движения газа по НКТ.
Изменение во времени среднего
пластового давления определяется по уравнению материального баланса для газовой
залежи применительно к газовому режиму:
(1)
В уравнении (1) две неизвестные
величины:
.
Зависимость z(p) для каждого месторождения определяется по разработанным
методикам исходя из состава газа и пластовой температуры.
Определив зависимость z(p) нетрудно
рассчитать по (1) динамику пластового давления p(t).
При технологическом режиме
допустимой депрессии на пласт Δp = const имеем
(2)
Формула (2) позволяет вычислить вторую искомую
зависимость pc = pc(t) изменения во времени забойного
давления в средней проектной скважине.
При известных зависимостей p
= p(t) и pс =
pс(t) решаем уравнение
притока газа к забою относительно дебита средней скважины
а) при нелинейном законе фильтрации газа
(3)
б) при линейном законе фильтрации
(4)
В результате находится третья искомая
зависимость - q = q(t),
которая совместно с заданной динамикой суммарного суточного отбора газа из
месторождения Q = Q(t)
позволяют установить искомую зависимость изменения во времени потребного числа
скважин для разработки месторождения
(5)
где n(t)
- потребное число проектных скважин на момент времени t;
Q(t)
- суммарный суточный отбор газа из залежи на момент времени t;
q(t)
- дебит проектной скважины на момент времени t;
Кр - проектный коэффициент резерва числа скважин (Кр>
1); Кэ - проектный коэффициент эксплуатации скважин.
Величина коэффициента резервного числа скважин
(Кр) зависит от степени неоднородности залежи, диапазона ожидаемого
изменения отборов из месторождения (неравномерность потребления),
своевременности ввода отдельных объектов промысла, в том числе и проектных
скважин, в эксплуатацию и других факторов. Следует подчеркнуть, что обычно при
проектировании обустройства газовых и газоконденсатных месторождений коэффициент
резерва составляет 30% от проектной номинальной мощности технологических
установок по подготовке газа. Следовательно, коэффициент резерва скважин в
сумме должен по суточному отбору из ниx
составлять около 30%. В реальных месторождениях величина коэффициента резерва Кр
изменяется в основном в диапазоне 1.17 ≤ Кр ≤ 1.З.
Только в редких случаях, и к тому же временно, величина этого коэффициента
выходит за рамки этого диапазона.
Коэффициент эксплуатации скважин Кэ,
в некоторых проектах выражается через число рабочих дней эксплуатационных
скважин. На каждой эксплуатационной скважине проводятся в плановом порядке или
не запланировано работы, требующие остановки или временного отключения ее из
общей системы добычи газа. К плановым работам прежде всего относятся
исследовательские работы, предусмотренные проектом по контролю за разработкой
месторождения согласно правилам разработки газовых и газоконденсатных
месторождений.
Величина коэффициента
эксплуатации на разных месторождениях должна быть различной в зависимости от:
- геологических особенностей залежи устойчивости
пород, их состава;
состава газа;
стадии освоенности залежи;
продолжительности процессов восстановления и
стабилизации давления, дебита и температуры газа;
характера и темпа вторжения воды в газовую
•залежь и т. д.
Наиболее часто величину
коэффициента эксплуатации принимают Кэ = 0,9, менее часто Кэ
= 0.82 и весьма редко Кэ = 0.74.
Прогнозирование динамики устьевого давления ру(t)
выполняется согласно уравнению движения газа в НКТ по формуле
(6)
где ру(t)
- устьевое давление на скважине на момент времени t;
рс(t) - забойное
давление в скважине на момент времени t;
е2S
- параметр, учитывающий массу столба газа в НКТ; S
- безразмерный параметр, определяемый по формуле
(7)
где L -длина
фонтанных труб от устья до башмака; zcp - cредний
коэффициент сверхсжимаемости газа, рассчитываемый при условиях pср =
(pу + pз) / 2 и Тср = (Ту+ Тз)
/ ln(Тз
/ Ту) одним из предложенных методов;
относительная плотность газа; θв - параметр,
учитывающий гидравлические потери при движении газа в НКТ и определяемый по
формуле
(8)
где λ
- коэффициент гидравлического сопротивления фонтанных труб; dв
- внутренний диаметр фонтанных труб; q(t)
- дебит газа скважины на момент времени t.
Прогноз показателей разработки на период
падающей добычи в данном проекте не предусматривается.
Выполнение расчета
Следует определить изменение во времени среднего
пластового Р(t),забойного Рс (t), и устьевого Руз.т
(t) давлений; дебита газа средней скважины q (t)
и потребного числа скважин n(t). Предполагается, что отбор газа в скважинах
осуществляется по НКТ.
Прогноз показателей Северо-Ставропольского
газового месторождения.
Техническим заданием (ТЗ) заданы уровни и темпы
добычи газа по Северо-Ставропольскому газовому месторождению, указанному в
таблице 2.
Таблица 2 - Заданные ТЗ показатели разработки
|
Показатели
|
Период
нарастающей добычи газа
|
Период
постоянной добычи газа
|
|
1.Годовая
добыча газа, млрд. м3
|
0
- 1,2
|
1,2
|
|
2.
Темпы отбора газа по периодам, % от НБЗ
|
10
|
63
|
Примем согласно практике проектирования
разработки средних газовых месторождений: продолжительность периода нарастающей
добычи газа - 3 года, периода постоянной добычи газа - 9 лет с разбивкой
последнего на 3 временных интервала по три года. Тогда динамика годовых
нарастающих, а также суммарных отборов газа по периодам и временным интервалам
процесса разработки объекта будет соответствовать показателям, приведенным в
таблице 3.
Таблица 3 - Динамика отборов газа по
Северо-Ставропольскому ГМ
|
Уровни
и темпы отбора газа
|
Период
нарастающей добычи газа
|
Период
постоянной добычи газа
|
|
1.Временные
интервалы (Т), лет
|
0
- 3
|
3
- 6
|
6
- 9
|
9
- 12
|
|
2.Отборы
газа,всегомлрд.м3,в т.ч.
|
0
- 1,73
|
5,33
|
8,93
|
12,53
|
|
-
за времен.интервал (Qин(t));
|
1,73
|
3,6
|
3,6
|
3,6
|
|
За
период (Qn(t));
|
1,73
|
10,8
|
|
-среднегодов.
добыча (Qгод(t))
|
0
- 1,2
|
1,2
|
1,2
|
1,2
|
|
-среднесуточ.
добыча (Qсут(t)).
|
0,00328
|
0,00328
|
0,00328
|
0,00328
|
Изменение во времени среднего пластового
давления определяется
по уравнению материального баланса для газовой
залежи применительно к газовому режиму:

(28)
В уравнении (1) две неизвестные
величины: 
и 
. Зависимость z(p) для каждого
месторождения определяется по разработанной в лабораторной работе 1 методике
исходя из состава газа и пластовой температуры.

(29)
Из формулы (29) выражаем начальный объем
газонасыщенности:

=17,3·0,1013·0,92·303/5,7/293=0,292
млрд. м3;
- й временной интервал (период
нарастающей добычи газа):

=6,2-0,1
1,73·303/0,292·293=6,2-0,612=5,588;
- й временной интервал (период
постоянной добычи газа):

=6,2-0,1
5,38·303/0,292·293=4,31;
- й временной интервал (период
постоянной добычи газа):

=6,2-0,1
8,93·303/0,292·293=3,04;
4 - й временной интервал (период
постоянной добычи газа):

=6,2-0,1
12,53·303/0,292·293=1,76;
Результаты расчета z(p) для
Стрелковского газового месторождения даны в таблице 4.
Ркр=4,68; Ткр=189,88 К;
Тпл.пр=Тпл/Ткр=303/189,88=1,6;
Рпл.пр=5,7/4,68=1,218.
Таблица 4 - результаты расчета z(p) и р/z
|
p, МПа
|
рпр
|
z(p)
|
p/z, МПа
|
|
8
|
1,7
|
0,88
|
9,09
|
|
6
|
1,28
|
0,91
|
6,59
|
|
4
|
0,85
|
0,94
|
4,25
|
|
2
|
0,426
|
0,96
|
2,08
|
|
0
|
0
|
1
|
0
|
По данным таблицы 4 построить график зависимости
p/z от p
По графику рис.1 согласно значению p/z,
рассчитываемому по формуле (1), определяется соответствующее значение р.
Результаты расчетов значений среднего пластового
давления газовой залежи Стрелковского ГМ на конец принятых временных интервалов
сведены в таблице 5.
Таблица 5 - Прогноз динамики пластового давления
в процессе разработки Северо-Ставропольского месторождения газа
|
№
п/п
|
Временной
интервал, годы
|
Накопленная
добыча газа, млрд. м3
|
p/z по формуле 1
|
P(t) по рис. 1
|
Z=p(t)/(p/z)
|
|
1.
|
3
|
1,73
|
5,58
|
5
|
0,896
|
|
2.
|
6
|
5,33
|
4,31
|
4,3
|
0,997
|
|
3.
|
9
|
8,93
|
3,04
|
2,99
|
0,983
|
|
4.
|
12
|
12,53
|
1,76
|
1,62
|
0,92
|
Определить динамику забойного
давления (Рс) в средней скважине Стрелковского газового
месторождения, исходя из того, что по условию задачи задан технологический
режим ее эксплуатации при постоянной депрессии на пласт 
р=0,5
МПа=const. По формуле рс(t)=p(t)- 
р (3) найти
ряд динамики забойного давления на конец выбранных временных интервалов: рс1=5-0,5=4,5
МПа; рс2=4,3-0,5=3,8 МПа; рс3=2,99-0,5=2,49 МПа; рс4=
1,62-0,5=1,12 МПа.
Определить динамику дебита средней
скважины q(t) по формуле

. (4)
Величины коэффициентов фильтрационного
сопротивления(КФС) оцениваются по результатам исследования скважин. В случае
отсутствия данных, коэффициент А можно рассчитать по формуле:

(5)
А=(1,5·10-11 ·0,92·0,1·293·8,5/86400/3,14/15·10-15/13/293)·1000=0,22
МПа2сут/тыс.м3
Коэффициент В определяется по трехчленному
уравнению притока газа к скважине:

(6)
В=(5,72-5,22-0,022·123,5)/123,52=(32,49-27,04-2,717)/15252,25=0,000179
Дать прогноз ряда динамики дебитов
средней скважины по формуле (4):
0.022/2/0.000179+√(0.022/2/0.000179)2+(5,72-5,22)/0,000179=
= -61,45+√3776,1025+30446,93=123,5
тыс. 
,
значит коэффициенты А и В подобраны
правильно.

0.022/2/0.000179+√(0.022/2/0.000179)2+(52-4,52)/0,000179=
= -61,45+√3776,1025+26536,3=112,65
тыс. 
;

0.022/2/0.000179+√(0.022/2/0.000179)2+(4,32-3,82)/0,000179=
= -61,45+√3776,1025+22625,69=101,03тыс.


0.022/2/0.000179+√(0.022/2/0.000179)2+(2,992-2,492)/0,000179=
= -61,45+√3776,1025+15307,3=76,69
тыс. 

0.022/2/0.000179+√(0.022/2/0.000179)2+(1,622-1,122)/0,000179=
= -61,45+√3776,1025+7653,6=45,46
тыс. 
Определить потребное количество
скважин для разработки Стрелковского газового месторождения по формуле:

(7)
Прогноз ряда динамики потребного
количества скважин по формуле (7) при принятых значениях 
=1,2 и 
=0,9:
- й период добычи газа:
n(t)=0,00328·1,2·106/112,65/0,9=39
скв.
- й период добычи газа:
n(t)=0,00328·1,2·106/101,03/0,9=44скв.
- й период добычи газа:
n(t)=0,00328·1,2·106/76,69/0,9=58скв.
- й период добычи газа:
n(t)=0,00328·1,2·106/45,46/0,9=97скв.
Определить динамику ряда значений
устьевого давления средней скважины:

=(
+
)/2; 
=(
)/2=(303+295)/2=299 К;
Принять ориентировочное значение
устьевого давления на конец 1-го временного интервала:
а) 
≈ 
-
L
=4,5 МПа - (
·0,682· 700 ·4,5) МПа≈4,28
МПа;
Определить

=(
+
)/2=(4,28+4,5)/2=4,39 МПа;

=4,39/4,68=0,94; 
=295/189,88=1,55;
Найти 
по графику зависимости z(
и 
): 
=0,915;
Рассчитать

=0,0683
L/
= 0,0683·0,566 ·700/0,91
299=0,098; и 
= 
=1,102;

=
=0,01413
=0,000102.
Рассчитать

=(
=(4,52
/
=17,2 МПа;
pу=4,15 МПа.
Оценить относительную ошибку
δ=((
)/
100=((4,28-4,15)/4,28)
100=3%
т. е. погрешность расчетов вполне
допустима, значит принимаем
=4,15 МПа.
б) Аналогично рассчитываем

=
-
L
=3,8-
0,682
700
3,8)=3,62 МПа;
Определить

=(
+
)/2=(3,047+3,8)/2=3,42 МПа;

=3,42/4,68=0,73; 
=295/189,88=1,55;
Найти 
по графику зависимости z(
и 
): 
=0,925;
Рассчитать

=0,0683·0,566 ·700/0,925
295=0,0992;
и 
= 
=1,1035;

=0,01413
=0,000103;
Рассчитать

=(
=(3,82
/
=12,13 МПа;
pу=3,48 МПа.
Оценить относительную ошибку
δ=((
)/
100=((3,62-3,48)/3,62)
100=3,8%
т. е. погрешность расчетов
допустима, значит принимаем
.
в) Аналогично рассчитываем

=
-
L
=2,49-
0,682
700
2,49)=2,37 МПа;
Определить

=(
+
)/2=(2,37+2,49)/2=2,43 МПа;

=2,43/4,68=0,52; 
=295/189,88=1,55;
Найти 
по графику зависимости z(
и 
): 
=0,95;
Рассчитать

=0,03415
L/
= 0,0683· 0,566 ·700/0,95
295=0,0965;
и 
= 
=1,1006;

=0,01413
=0,000105;
Рассчитать

=(
=(2,492
/
=5,07 МПа;
pу=2,252 МПа.
Оценить относительную ошибку
δ=((
)/
100=((2,37-2,252)/2,37)
100=4,9%
т. е. погрешность расчетов
допустима, значит принимаем
2,52 МПа.
г) Также рассчитываем

=
-
L
=1,12-
0,682
700
1,12)=1,067 МПа;
Определить

=(
+
)/2=(1,12+1,067)/2=1,094 МПа;

=1,094/4,68=0,234; 
=295/189,88=1,55;
Найти 
по графику зависимости z(
и 
): 
=0,98;
Рассчитать

=0,0683
L/
=0,0683·0,566 ·700/0,98
295=0,0936;
и 
= 
=1,097;

=0,01413
=0,000108;
Рассчитать

=(
=(1,122
/
=1,03 МПа;
pу=1,016 МПа.
Оценить относительную ошибку
δ=((
)/
100 % =((1,067-1,016)/1,067)
100 %=4,7 %
т. е. погрешность расчетов
допустима, значит принимаем
1,016 МПа.
Определить ряд текущих коэффициентов
газоотдачи по формуле
ТКГ=
/
:

=0,1; 
=0,31; 
=0,52; 
=0,73.
Дать сводную таблицу 6 результатов
расчета.
Таблица 6 - Результаты
прогнозирования показателей разработки Северо-Ставропольского газового
месторождения
|
Показатели
разработки
|
Период
нарастающей добычи газа
|
Период
постоянной добычи газа
|
Расчетная
формула
|
|
1.Временные
интервалы (Т), лет
|
0-3
|
4-6
|
7-9
|
10-12
|
|
|
2.
Отборы газа, млрд.  :
|
|
|
|
|
|
|
всего,
|
0-1,73
|
5,33
|
8,93
|
12,53
|
|
|
в
т. ч.
|
|
|
|
|
|
|
-за
временной интервал ( (t));1,733,63,63,6
|
|
|
|
|
|
|
-за
период ( (t));1,7310,8
|
|
|
|
|
-среднегодовая
добыча ( (t));0-1,21,21,21,2
|
|
|
|
|
|
|
-среднесуточая
добыча ( (t));0-0,003280,003280,003280,00328
|
|
|
|
|
|
|
3.
Динамика приведенного пластового давления (р(t)/z(t)),
МПа
|
6,2-5,58
|
4,31
|
3,04
|
1,76
|
(1)
|
|
4.
Динамика пластового давления (р(t)),
МПа
|
5,7-5
|
4,3
|
2,99
|
1,62
|
(1)
|
|
5.
Динамика коэффициента сверхсжимаемости (z(t)),
б. р.
|
0,92-0,896
|
0,997
|
0,983
|
0,92
|
по
графику
|
|
6.
Динамика забойного давления  (t)),
МПа5,7-4,53,82,491,12(3)
|
|
|
|
|
|
7. Динамика дебита скважины (q(t)), тыс. 
,5-112,65
,03
,69
,46
8. Динамика устьевого давления 
(t)), МПа
,2-4,15
,48
,52
,016
|
(8)
|
|
|
|
|
|
|
9.
Динамика количества проектных скважин (n(t)),
шт.
|
0-39
|
44
|
58
|
97
|
(7)
|
|
10.
Текущий коэффициент газоотдачи (ТКГ), д. е.
|
0-0,1
|
0,31
|
0,52
|
0,73
|
|
Динамику спрогнозированных показателей
разработки на периоды нарастающей и постоянной добычи газа по
Северо-Ставропольскому месторождению представить графически - рисунками 4,5, и
6.
Рисунок 4 - Динамика суммарной добычи с начала
разработки (Ряд 1), среднегодовой добычи (Ряд 2), текущего коэффициента
газоотдачи (Ряд 3)
Рисунок 5 - Динамика пластового (Ряд 1), забойного
(Ряд 2), устьевого (Ряд 3) давлений
Рисунок 6- Динамика дебита (Ряд 1) и количества
проектных скважин (Ряд 2)
Заключение
В курсовом проекте выполнено прогнозирование
показателей разработки хадумских газовых залежей Северо-Ставропольского
месторождения на период нарастающей и постоянной добычи газа.
На базе существующей методики расчета для
условий газового режима разработки залежи на истощение при заданных
технологическом режиме эксплуатации скважин с постоянной депрессией на пласт,
уровня и темпа отбора получены следующие основные результаты. Продолжительность
процесса разработки составит 12 лет. Уровень отбора газа в период постоянной
добычи достигнет 1,2 млрд. м3 в год. Всего будет отобрано 12,53
млрд. м3 или 63 % от начальных балансовых запасов газа.
Потребуется пробурить до 97 эксплуатационных
скважин, которые позволят обеспечить суммарную суточную производительность 3280
тыс. м3/сут газа на конец периода постоянной добычи.
Список использованной литературы
1. Закиров С.Н.
Разработка газовых, газоконденсатных и нефтегазоконденсатных месторождений. -
М.: «Струна», 1998. - 628 с.
. Алиев З.С.,
Бондаренко В.В. Руководство по проектированию разработки газовых и газонефтяных
месторождений. - Респ. Коми, г.Печора, изд. «Печорское время», 2002. - 896 с.
3. Коротаев Ю.П. Ширковский А.И.
Добыча, транспорт и подземное хранение газа. Учебник для ВУЗов. - М.: Недра,
1984.
. Газовые и газоконденсатные
месторождения. Справочник. Под ред. В.Г. Васильева и И.П. Жабрева. - М.:
«Недра», 1975. - 209 с.