Геодинамика докембрийской земной коры
МИНИСТЕРСТВО СЕЛЬСКОГО ХОЗЯЙСТВА
РОССИЙСКОЙ ФЕДЕРАЦИИ
ФГОУ ВПО ДАЛЬНЕВОСТОЧНЫЙ
ГОСУДАРСТВЕННЫЙ
АГРАРНЫЙ УНИВЕРСИТЕТ
ИНСТИТУТ ВЕТЕРИНАРНОЙ МЕДИЦИНЫ И
ЗООТЕХНИИ
Кафедра эпизоотологии, паразитологии
и микробиологии
Курсовая работа
по краевой эпизоотологии
на тему: «Эпизоотология, лечение и
профилактика трихофитии плотоядных в г. Благовещенске по данным ветеринарной
клиники ИП Зубкова Т.В.»
Выполнила: студентка 5 курса
ИВМЗ, группа 2227
Капитонова О.В.
Проверил: профессор, д.в.н.
Петрухин М.А.
Благовещенск 2012
Содержание
1. Литературный обзор
Определение болезни, краткая характеристика возбудителя
Этиология
Возбудитель трихофитии
Устойчивость
Эпизоотологические данные
Патогенез
Течение и симптомы
Диагностика и дифференциальная диагностика
Прогноз
Иммунитет и средства специфической профилактики
Лечение и меры борьбы
Профилактика и меры борьбы
. Собственные исследования
Общая характеристика Благовещенского района
Организация и экономика ветеринарного дела
Распространение трихофитии плотоядных среди собак и кошек,
наблюдаемых в ветеринарной клинике ИП Зубкова
Экстенсивные и интенсивные показатели эпизоотического
процесса
Затраты на ветеринарные мероприятия
Расчёт затрат на дезинфекцию
Предотвращённый ущерб и экономическая эффективность
Заключение
Список литературы
1. Литературный обзор
Определение болезни, краткая характеристика возбудителя
Дерматомикозы, дерматофитозы (Dermatophytoses canum, feline) - (разновидности: стригущий лишай, трихофития,
микроспория, фавус) - группа зооантропонозных грибковых болезней различных
видов сельскохозяйственных, мелких домашних (в том числе собак и кошек), диких
и других видов животных; характеризуется появлением на коже резко ограниченных
шелушащихся участков с обломанными волосками или развитием локальных воспалений
кожи и ее производных с выделением серозно-гнойного экссудата.
Рис. 1. Кошка, пораженная дерматомикозом
Этиология
Возбудители: Грибы (относящиеся к несовершенным) родов Trichophyton,
Microsporum, Achoreon и другие из группы
Dermatophytes. Каждый из указанных возбудителей вызывает самостоятельную
болезнь, соответственно: трихофитию, микроспорию и фавус (паршу).
Трихофитией болеют все виды домашних животных, пушные и хищные звери.
Чаще поражает лошадей, крупный рогатый скот, плотоядных; наиболее восприимчив
молодняк. Трихофития регистрируется во многих странах с развитым
животноводством, наносит значительный экономический ущерб. [3]
Возбудитель трихофитии
Основные виды рода Trichophiton: Tr. verrycosium (вызывает трихофитию у
лошадей, собак), Tr. gypseum
(вызывает трихофитию у грызунов, плотоядных, могут у лошадей и крупного
рогатого скота), Tr. equinum (вызывает трихофитию у лошадей), Tr. sauquisavi
(вызывает трихофитию у верблюдов) и другие. (Рис. 2, 3)
Рис. 2. Гипсовидный трихофитон (Trichophiton gypseum). Конидии
Рис. 3. Волос, пораженный гипсовидным трихофитоном (Trichophytongypseum)
Клетки грибов состоят из оболочки протоплазмы, ядра и ряда включений.
Имеют в своем составе жир, витамины, гликоген и кристаллы органических солей. В
естественных условиях дерматофиты образуют мицелий, распадающийся на
артроспоры, а в культуре на питательных средах - обычно обильный и
разнообразный рост (различные видоизменения мицелия, макроконидии и
микроконидии типа алевриоспор). Споры образуются внутри и вне мицелия.
Большинство грибов являются аэробами.. mentagrophytes - споры мелкие - 3-5 мкм.
Культуры растут быстро, колонии появляются на 3-5-й день, зрелые на 14-16-й
день. Колонии белые, кремовые, темно-желтые, могут быть порошистые.
Бархатистые. Встречаются спиральные окончания спор. Микроконидии
многочисленные, округлые или овальные. Артроспоры отсутствуют. Микроконидии
булавовидной формы.. verrucosum - крупноспоровые грибы от 5-ти до 8-ми мкм,
поражают волос по типу эктотрикс. (Рис. 4) Их элементы в большинстве случаев
располагаются вне волоса, споровой чехол находится у основания волоса и хорошо
выражен. Грибы растут медленно на сусло-агаре или агаре Сабуро. Зрелые колонии
появляются на 15-25 день. Колонии белые, серые, кожистые, возвышенные или
плоские, складчатые или бугристые, растущий край ровный, лучистый, паутинистый.
Мицелий ветвящийся, микроконидии (алейрии) овальные, грушевидные, артроспоры округлой
формы. Хламидоспоры терминальные или интеркалярные. Микроконидии удлинённые.
[10]
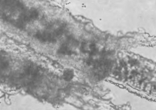
Рис. 4. Микропрепарат пораженного волоса при поверхностной трихофитии:
грибки расположены внутри волоса по типу эндотрикс
Рис. 5. Микропрепарат пораженного волоса при инфильтративно-нагноительной
трихофитии: грибки расположены снаружи волоса по типу эктотрикс
Устойчивость
Данные возбудители относятся к устойчивым (2-я группа). Он может
сохраняться до 6-10 лет в пораженных волосах, до 3-8 месяцев в навозе, в почве
до 4 месяцев. При кипячении возбудитель погибает через две минуты, сухой жар
60-62 °С вызывает их гибель через 2 часа. Рассеянный солнечный свет стимулирует
рост и пигментообразование. Слабоустойчивы к 2% фенолу, 2% формалину, 3-8%
щелочи, кислотам, 15% креолину, березовому дегтю, 10% лизолу, 1% йоду.
Эпизоотологические данные
Трихофитией болеют все виды сельскохозяйственных животных, грызуны,
собаки, пушные, хищные звери и птицы, а так же человек. Наиболее восприимчив
молодняк - щенки и котята в возрасте до 1 года.
Источником возбудителя инфекции является больное животное, которое
заражает здоровых животных путем прямого и непрямого контакта. Факторами
передачи возбудителя могут быть инфицированные помещения, подстилка, предметы
ухода, почва, снаряжение (ошейники, шлейки, намордники, поводки) и др. Возможна
передача возбудителя и мышевидными грызунами. Особую опасность для животных и
человека представляют инфицированные бездомные собаки и кошки.
У сельскохозяйственных животных чаще проявляется в осенне-зимний период,
у собак - июль-август, у кошек - в июне. Этому способствует снижение
резистентности организма и вследствие ухудшения условий содержания и кормления,
авитаминоз. Развитию заболевания способствуют травмы кожи. [3, 5, 9]
Патогенез
В зависимости от состояния центральной нервной системы, гормонального и
витаминного баланса, физиологического состояния тканей и характера рогового
слоя кожи, характер поражения варьирует. (М.Г. Маноян, 2001).
Клеточно-опосредованный иммунитет является важным звеном в защитном механизме.
К инфицированию предрасполагает (у молодых животных) задержка развития
иммунитета и местных механизмов кожи, вирусные инфекции, новообразования,
плохое питание, лечение противовоспалительными лекарственными средствами или
подавляющими иммунную систему, беременность, лактация. [15]
Заражение происходит через поврежденную кожу (трещины, царапины, ссадины
и др.). Грибы размножаются в тканях, богатых каротином, который имеется в
роговом слое эпидермиса кожи и в волосе. Возбудитель выделяет токсины и
кератолитические ферменты, вызывающие поверхностное воспаление и разрыхление
рогового слоя кожи. Продукты распада кератина вызывают раздражение,
сопровождаемое зудом, и повышенную проницаемость капилляров кожи. Всасываясь в
кровь и лимфу, продукты распада воздействуют на весь организм, вызывая новые
очаги поражения на поверхности кожи в волосах. В результате развития гриба,
волосяной покров теряет блеск и упругость, на коже в месте поражения появляются
очаги воспаления и образуется экссудат на поверхности кожного покрова. При
благоприятных условиях для развития возбудитель проникает в устье волосяных
фолликулов и в шейку волоса, разрушает кутикулу, внутреннее волосяное
влагалище, корковое вещество, что ведет к нарушению питания волоса и его
выпадению. В месте поражения развивается гиперкератоз. Возбудитель может
проникнуть в дерму и вызвать глубокие воспаление кожи и образование мелких
абсцессов.
Течение и симптомы
Инкубационный период 5-30 дней. Очаги дерматомикозов наиболее часто
локализуются в области головы, шеи, а также спины.
Клиника зависит от возраста, вида, состояния организма, содержания и
кормления. Болезнь протекает в 3-х формах:
. поверхностная (чаще у взрослых);
. глубокая (чаще у молодняка);
. атипичная.
При отсутствии лечения поверхностная форма переходит в глубокую.
Самовыздоровление происходит редко. У животных с высокой общей резистентностью
наблюдается, как правило, поверхностная и (или) стёртая формы дерматомикозов.
[3]
При поверхностной форме на коже вначале образуются бугорки, которые в
дальнейшем размягчаются. Вначале они покрыты чешуйками, волосы на этом участке
обламываются у основания, затем бугорки покрываются белыми корками, которые
отпадая, образуют безволосые участки, кожа шелушится и начинается постепенное
заживление от центра очага к периферии.
У собак и кошек с ослабленной иммунной системой, а также у молодняка
развивается в основном глубокая (фолликулярная) форма болезни.
При глубокой форме происходит резкое воспаление с явлениями экссудации,
очаги глубоко инфильтрированы, покрыты тестообразными корками, могут
наблюдаться также мокнущие экземы, зуд. В очагах образуется гнойное
расплавление - гнойный фолликулит и образуются абсцессы. В результате глубоких
поражений волосяных фолликулов после заживления на коже остаются
депигментированные или облысевшие пятна, образуются глубокие рубцы.(Рис. 6, 7)
Животные худеют, малоподвижны, снижают продуктивность, молодняк плохо
развивается.
Рис. 6. Глубокая форма трихофитоза. Керион с явлениями экссудации
Рис. 7. Образование толстых корок на поражённых местах


Рис. 8-10. Поражённые участки округлой формы, резко ограничены
При атипичной (или стёртой) форме, которая проявляется чаще в летний
период, появляются очаги облысения, которые через 1-2 недели вновь обрастают
волосами. (Рис. 11) При этой форме наблюдается поражение только верхних слоёв
эпидермиса. Она характеризуется выпадением волос и шелушением кожи,
образованием депигментированных (серых) безволосых пятен округлой или овальной
формы (микотических очагов). (Рис. 8-10) Волосы в очаге поражения обламываются
чаще не полностью, а на высоте нескольких миллиметров над уровнем кожи и легко
выдёргиваются при захвате. Поверхность очага покрывается серо-белым чешуйчатым
налётом, состоящим из мицелия и спор возбудителя. Иногда развиваются
микотические очаги между пальцами лап, обламываются усики, могут поражаться
когти, покрываясь отрубевидным налётом. [7, 9]
Поверхностная форма стригущего лишая сравнительно легко лечится и
незаметно для общего состояния переносится животным. Но при неправильном и
запоздалом лечении заболевание может перейти генерализованную форму. При этом
поражение кожи и волос наблюдается по всему телу и вылечить животное намного
сложнее. Особенно опасно это для молодых животных: интоксикация дерматомицетами
бывает столь значительной, к тому же присовокупляются различные осложнения, что
животное приходится усыплять.
Рис. 11. Атипичная форма. Очаги облысения в области головы у кошки
Рис. 12. Очаги поражения у котенка
Кроме того, животное, расчёсывая и разлизывая беспокоящий участок,
способствует распространению дерматомицета, инфицирует микотические очаги
бактериями. (Рис. 13.)
Рис. 13. Сильное разлизывание поражённого участка с последующим
инфицированием раны кокковой микрофлорой
Рис. 14. Расчесы на морде у кота

Рис. 15-16. Клиническая картина лишая у собаки
Диагностика и дифференциальная диагностика
Диагноз ставят на основании характерных клинических признаков,
эпизоотологических данных и результатов лабораторного исследования (микроскопии
патологического материала и выделения возбудителя). Проводят микроскопию, при
необходимости в лаборатории делают посевы на специальные питательные среды с
целью выделения культуры возбудителя. Материалом для исследования служат
соскобы кожи и волосы из периферических частей поражённых участков, не
подвергавшихся лечебных обработкам (соскобы берутся на границе больной и
здоровой тканей).
Культивирование грибов
Метод MacKenzie.
Стерильной зубной щеткой материал счесывают с шерстного покрова, затем высевают
на питательные среды (декстрозный агар Сабуро или специальная селективная среда
- ССС).
- Ложноотрицательный результат на ССС - некоторые культуры не
вырабатывают пигмент.
- Ложноположительный результат на ССС - грибы-сапрофиты
образуют цветные колонии.
Кроме искусственных питательных сред, выращивать
культуры грибов удается на стерилизованных зернах овса, копытном роге, волосах,
сене и соломе и даже земле. В естественных условиях при наличии соответствующей
температуры и влажности грибы могут размножаться на овощах, листьях и стеблях
растений, на древесной коре, опилках, навозе и в почве.
Возможно проведение биопсии со специальным окрашиванием. [15]
Для микроскопии волосы, чешуйки, корочки помещают на предметное
стекло или в чашку Петри, заливают 10-20%-ным раствором натрия гидроокиси и
оставляют на 20-30 минут в термостате или слегка подогревают на пламени.
Обработанный материал заключают в 50%-ный водный раствор глицерина, накрывают
покровным стеклом и просматривают при малом и среднем увеличении микроскопа.
[10]
При микроспории споры почти в 2 раза меньше, чем при трихофитии. Большого
значения определение разновидности возбудителя не имеет, поскольку лечение
одинаковое как при микроспории, так и при трихофитии. (Рис. 17-21)

Рис. 17-18. Волос окружён "футляром" из округлых образований -
спор грибов
Рис. 19. Волос, пораженный трихофитией. Споры расположены внутри волоса

Рис. 20-21. Волос собаки, пораженный лишаем, под микроскопом
Трихофитию необходимо отличать от микроспории, парши, чесотки, экземы и
дерматитов неинфекционной этиологии на основании результатов микроскопии. При
люминесцентной микроскопии (рекомендуется применять ртутно-кварцевые лампы
ПРК-2, ПРК-4 и др., снабжённые светофильтром УСФФС - так называемая "лампа
Вуда" ультрафиолетового света с длиной волны 365-366 нм) волосы,
поражённые грибом микроспорум, под действием ультрафиолетовых лучей дают
ярко-зелёное, изумрудное свечение, чего не бывает при трихофитии. (Рис. 22, 23)
Рис. 22. Свечение грибка рода Microsporum в свете УФЛ
Рис. 23. ОЛДД-01 Лампа Вуда (производитель Аналит Сервис)
Мицелий трихофитонов располагается в волосе цепочками, микроспориумов -
мозаично (явления гиперкератоза кожи слабо выражены), ахарион - образует на
коже сплетения, которые, проникнув в волос, не заполняют его, а разделяются на
четырёхугольные артроспоры. Под образуемыми при фавусе щитками на коже
происходит атрофия нижележащих тканей кожи, в том числе сальные и потовые
железы. При чесотке обнаруживают чесоточных клещей.
Экземы и дерматиты не сопровождаются образованием ограниченных пятен,
волосы не обламываются, как это бывает при трихофитии.
Возбудителям трихофитии присуще то, что споры округлые, располагаются вокруг
волоса, на поверхности и внутри волоса. (Рис. 17-19). Verrycosium -
крупноспоровые грибы, поражают волос по типу эндотрикс (цепочки по длине
волоска) или поражения вне волоска на коже. (Рис. 4).. gybseum - имеют мелкие споры, которые
развиваются в окончаниях гиф, микроконидии многочленные. Tr. equinum -
крупноспоровые грибы с многочленными микроконидиями, артроспоры отсутствуют.
Прогноз
При дерматомикозах прогноз зависит от формы течения болезни. При
поверхностной и скрытой формах прогноз в основном благоприятный, при глубокой -
неблагоприятный или сомнительный.
Иммунитет и средства специфической профилактики
Иммунитет при дерматомикозах животных изучен недостаточно. Большинство
авторов полагают, что при трихофитии у животных вырабатывается пожизненный
иммунитет, однако, в редких случаях возможно и повторное заболевание (И.А.
Бакулов и др., 1997 г.). Другие исследователи считают, что при микроспории у
животных возникает только локальный иммунитет кожи в месте перенесённой
инфекции, который не распространяется на весь кожный покров (И.Д. Поляков и
др., 2000 г.).
Для специфической профилактики трихофитии у собак и кошек используют
вакцину ЛТК-135 (Ментавак), «Поливак ТМ», «Вакдерм», «Микродерм», «Тримивак»,
«Пушновак», «Микканис» и др.



Рис. 24-28. Вакцины, используемые в ветеринарной клинике ИП Зубкова для
лечения трихофитии плотоядных
С профилактической целью вакцину вводят внутримышечно двукратно с
интервалом в 10-14 дней в один и тот же участок щенкам в возрасте 1-4 месяцев
доза 1 см3, старше - 2 см3. Иммунитет наступает через
20-25 дней и сохраняется до 3-х лет.
Лечение и меры борьбы
Лечение больных трихофитией животных проводят в изолированных условиях,
соблюдая меры личной профилактики.
При дерматофитозах собак и кошек проводят индивидуальную комплексную
этиотропную, патогенетическую и симптоматическую терапию.
Этиотропная терапия. В качестве специфических средств лечения собак и
кошек, больных микроспорией и трихофитией, в России широко используются
моновалентные и ассоциированные вакцины против указанных болезней (см. выше).
Уникальной особенностью данных вакцин является их способность не только
профилактировать указанные дерматофитозы, но и осуществлять специфическое
лечебное действие на различных стадиях развития болезни. Недостаток применения
вакцин в том, что если животное находится в инкубационном периоде, то оно может
покрыться корками.
Патогенетическая терапия. С целью активизации гуморального и клеточного
иммунитета следует рекомендовать внутримышечное и подкожное применение
иммуномодуляторов полиоксидония, ликопида, вегетана, гамавита, иммунофана, а
также цамакса для домашних животных, способствующего выведению из организма
микотоксинов и др. [15, 16]
Симптоматическая терапия. Для обработки поражённых участков кожи в
качестве наружных средств широко используется 10%-ный раствор салициловой
кислоты и 5%-ная настойка йода (1 : 1). Указанный раствор наносят на очаг
поражения через день в течение 5-10 дней. В интервалах между обработками
рекомендуем использовать препарат АСД - антисептик-стимулятор Дорогова, 3-ю
фракцию (для наружного применения), суспензию гризеофульвина, 5-10%-ную
салициловую мазь, йодоформ, мазь "Ям" (согласно наставлениям по их
применению),, 0,3%-ный водный раствор хлорамина, 10%-ная мазь каптана, 10%-ная,
мазь против трихофитии фирмы «Велком», мази: «Микозолон», «Микосептин», аэрозоль
«Зоомиколь», «Фунгидерм» и др.; препараты ундециленовой кислоты, микофифит,
Бай-Ве 7294 и др. Для мелких животных применяют гризеовульфин с кормом (40
мг/кг), 3-5% однохлористый йод, серная кислота на рыбьем жире (1:3). [5, 11,
15, 16, 17]
В ветеринарной клинике ИП Зубкова широкое применение в лечении многих
грибковых заболеваний животных нашли такие препараты как спрей «Зоомиколь»,
«Фунгин», «Нитрофунгин», клотримазол, нистатиновая мазь, «Кандибиотик».


Рис. 29, 30, 31. Противогрибковые препараты
Фитотерапия
Б. Авакаянц и К. Трескунов советуют применять при микозах следующий сбор:
трава тысячелистника обыкновенного - 9 ч, лист берёзы - 5 ч, цветки ноготков
лекарственных - 3 ч, клевер луговой - 3 ч, цветки ромашки лекарственной - 3 ч,
- трава полыни (чернобыльник) - 3 ч, трава сушеницы болотной - 3 ч, лист шалфея
лекарственного - 1 ч, лист лопуха большого - 1 ч, кора дуба летнего - 1 ч,
трава зверобоя - 1 ч, цветки пижмы обыкновенной - 1 ч. Способ приготовления:
столовую ложку сбора залить 0,5 л. кипячёной воды. Приготовленный настой хранят
в прохладном месте не более 3 дней. Собакам дают 2-3 раза в день за полчаса до
кормления по 20-30 мл для лечения или по 10-15 мл в качестве профилактики. [7]
Профилактика и меры борьбы
Большое значение в профилактике дерматомикозов имеют правильный уход за
кожей, профилактическая дезинфекция помещений, инвентаря и предметов ухода,
полноценное кормление собак и кошек. Необходимо регулярно проводить осмотр
кожного покрова животных. Всех больных собак изолировать и подвергнуть лечению.
Клетки, кормушки и поилки больных животных продезинфицировать огнем паяльной
лампой или горячим 2%-ным раствором натрия гидроокиси. Предметы ухода обеззаразить
путем погружения их на 30 минут в эмульсию, содержащую 4%-ный формальдегид, 10%
керосина, 0,2% СК-9 и 85,8% воды. [2, 3, 5, 7]
Дерматомикозы являются зооантропонозными болезнями, поэтому владельцам
животных и обслуживающему персоналу питомников и приютов для бездомных собак и
кошек необходимо строго соблюдать меры личной гигиены и профилактики. В
пунктах, неблагополучных по дерматофитозам животных, следует обязательно
выполнять весь комплекс ветеринарно-санитарных и противоэпизоотических
мероприятий, включая обязательную профилактическую вакцинацию, дезинфекцию
помещений, инвентаря, предметов ухода и снаряжения, а также систематически
проводить дератизацию. Для ухода за больными животными в питомниках и приютах
выделяется отдельный персонал с отдельной спецодеждой.
2. Собственные исследования
Общая характеристика Благовещенского
района
Амурская область лежит в умеренном климатическом
поясе. Благовещенск является административным и крупным промышленным центром
Амурской области.
Город Благовещенск расположен на юге Амурской области,
зейско-буреинской равнины, на ровной высокой пойме у впадения рек Зеи и Амура.
Является деловым и административным центром Приамурья.
Благовещенск - единственный из Российских областных
центров расположенных на государственной границе. Город находится на восточной
окраине Евразии и попадает под преимущественное воздействие антициклонов зимой
и антициклонов летом. Климат относится к резко континентальному с чертами
муссонности и обусловлен взаимодействия центров атмосферной циркуляции, которая
формируется под Азией, Тихим океаном и Арктикой. Муссонные черты климата
проявляются в неравномерном распределении осадков в году. Зима продолжительная,
в среднем 150 дней. Наиболее холодный месяц - январь, среднесуточная
температура, которого -26,4°С.
Рис. 32. Средние показатели климата Г. Благовещенска
Лето наступает в середине мая и продолжается около 144 дней. В это время
выпадает основное количество осадков. Самый тёплый месяц - июль. Среднесуточная
температура июля +27,3°С. Обильные летние дожди и относительное лето сглаживают
суровость зимы. А осенние разноцветье и солнечная безветренная погода дополняет
положительные штрихи суровой погоды этого города. Обилие осадков, высокие
температуры, значительный процент относительной влажности является показателем
влажной и топической погоды.
Организация и экономика ветеринарного
дела
трихофития дерматомикоз собака кошка
Ветеринарная клиника ИП Зубкова Т.В. «Ветеринарная
помощь» находится на территории города Благовещенска. Клиника является частной
собственностью и принадлежит индивидуальному предпринимателю Зубковой Т.В.
Клиника оказывает все виды ветеринарных услуг:
– Консультации врача;
– Терапевтическая, хирургическая
помощь;
– Травматология;
– Рентген, ЭКГ, УЗИ;
– Консультации врача офтальмолога,
стоматолога, рентгенолога;
– Консультации врача диетолога и других
специалистов;
– Профилактическая вакцинация всех
видов домашних животных;
– Дегельминтизация;
– Выезд специалиста на дом;
– Стрижка собак и кошек;
– Ультразвуковая чистка зубного камня;
– Лабораторные исследования и другие
виды услуг.
Ветеринарная клиника работает ежедневно без перерыва и выходных с 8:00 до
21:00 часов.
Клиника была организована Зубковой Татьяной
Викторовной, которая является руководителем данного учреждения.
Зона обслуживания включает в себя город Благовещенск и
прилегающие к нему районы.
Основные виды животных, обслуживаемых специалистами
клиники, являются зоопарковые животные, мелкие домашние и экзотические животные
(собаки, кошки, кролики, хорьки, попугаи, грызуны и др.), а также птицы, рыбы,
рептилии (черепахи, змеи) и другие виды животных.
Учреждение тесно связано с городской ветеринарной
станцией по борьбе с болезнями животных.
Обеспеченность
учреждения ветеринарными специалистами, помещениями, оборудованием
В Ветеринарной клинике ИП Зубкова работают врачи высокой и средней
квалификации (таблица 1). Ветеринарные специалисты выполняют работу по
профилактике и лечению незаразных, инфекционных и паразитарных заболеваний
мелких домашних животных. Проводят специфическую иммунизацию против
инфекционных заболеваний собак и кошек, консультации по уходу, кормлению и
содержанию животных. Оказывают услуги по стрижке собак и кошек.
Таблица 1. Штат ветеринарных специалистов Ветеринарной клиники ИП Зубкова
г. Благовещенска
|
Ф.И.О.
|
Должность
|
Стаж
|
Образование
|
|
1
|
2
|
3
|
4
|
|
Зубкова Т.В.
|
Директор клиники,
ветеринарный врач
|
31 год
|
Высшее
|
|
Хрусталева Т.С.
|
Ветеринарный фельдшер
|
15 лет
|
Среднее
|
|
Галактионова Ю.В.
|
Ветеринарный врач
|
4 года
|
Высшее
|
|
Агаркова А.Ю.
|
Санитар
|
1 год
|
Высшее
|
|
Капитонова О.В.
|
Санитар
|
1,5 года
|
Высшее
|
Ветеринарная клиника располагается в двух этажном
здании, занимая несколько помещений левого крыла здания на первом этаже.
Клиника оснащена необходимыми хирургическими и клиническими инструментами и
оборудованием. Все сотрудники клиники обеспечены спец. одеждой (халаты,
колпаки, резиновые перчатки и пр.).
Для осуществления ветеринарной деятельности клиника
полностью обеспечена необходимым инструментарием и оборудованием, а также
необходимым количество медикаментов.
Для оказания помощи животным имеются:
1. Шприцы;
. периферические и мочеполовые катетеры;
. спинальные иглы;
. системы для внутривенного введения плазмозаменяющих растворов и
стойки к ним, системы для переливания крови;
. кварцевые лампы;
. тесемки, повязки и др.;
. предметы для фиксации животных;
. инструменты для клинического обследования (фонендоскоп,
термометр, отоскоп, офтальмоскоп и др.);
. инструменты для проведения хирургических операций (скальпели,
ножницы, зажимы, инструменты для проведения остеосинтеза, электрокоагулятор,
лекала ушные и др.);
. микроскоп бинокуляр-6;
. аппарат ЭКГ, УЗИ;
. рентген - аппарат и рентгенологические фартуки;
. стерилизатор;
Медикаменты:
· биопрепараты,
· плазмозамещающие растворы,
· регидратационные и коллоидные растворы,
· аналептики,
· спазмолитики,
· антикоагулянты,
· мочегонные,
· маточные,
· витаминные препараты и их аналоги,
· иммуностимуляторы,
· кортикостероидные препараты,
· антибиотики,
· нитрофураны,
· сульфаниламиды,
· противовирусные,
· ранозаживляющие,
· перевязочный материал и пр.
Рис. 33. План-схема ветеринарной клиники
. Коридор
. Кабинет, приемная
. Подсобное помещение, проявочная
. Операционная
. Складское помещение для хранения препаратов
. Кабинет для стрижки животных
В ветеринарной клинике ИП Зубкова ведутся следующие документы учёта и
отчётности:
Ø Журнал по бешенству;
Ø Журнал для регистрации вакцинаций животных;
Ø Журнал для записей противоэпизоотических мероприятий (Ф.
2-вет);
Ø Журнал учёта биопрепаратов и медикаментов;
Ø Истории болезней животных, или амбулаторные карты;
Ø Журнал по технике безопасности;
Ø Журнал регистрации животных;
Ø Журнал рентгенологических исследований;
Ø Журнал ультразвуковых исследований;
Ø Журнал лабораторных исследований.
Документы отчётности:
Ø Отчёт по заразным болезням (форма 1 - вет.);
Ø Отчёт о противоэпизоотических мероприятиях (форма 1-вет А);
Ø Отчёт о незаразных болезнях (форма 2-вет).
Распространение трихофитии плотоядных среди собак и кошек,
наблюдаемых в ветеринарной клинике ИП Зубкова
Таблица 2. Распространение трихофитии плотоядных среди собак и кошек,
наблюдаемых в ветеринарной клинике ИП Зубкова (г. Благовещенск) в головах и %,
2007 - 2011 гг.
|
Вид животного
|
Год
|
Всего за 5 лет
|
В среднем за 5 лет, M
|
|
2007
|
2008
|
2009
|
2010
|
2011
|
|
|
|
голов
|
%
|
голов
|
%
|
голов
|
%
|
голов
|
%
|
голов
|
%
|
голов
|
%
|
голов
|
%
|
|
Собаки
|
63
|
53,38
|
55
|
53,39
|
53
|
50,47
|
76
|
54,29
|
52
|
53,61
|
299
|
53,11
|
59,8
|
53,11
|
|
Кошки
|
55
|
46,62
|
48
|
46,61
|
52
|
49,53
|
64
|
45,71
|
45
|
46,39
|
264
|
46,89
|
52,8
|
46,89
|
|
Итого
|
118
|
100
|
103
|
100
|
105
|
100
|
140
|
100
|
97
|
100
|
563
|
100
|
112,6
|
100
|
Рис.
34. Соотношение числа заболевших собак и кошек трихофитией плотоядных,
наблюдаемых в ветеринарной клинике ИП Зубкова за 2007 - 2011 гг.
Рис.
35. Соотношение числа заболевших собак и кошек трихофитией плотоядных,
наблюдаемых в ветеринарной клинике ИП Зубкова за 2007 - 2011 гг.
Вывод:
Анализируя приведённые данные, можно сделать вывод, что к трихофитии плотоядных
более восприимчивы собаки, чем кошки.
В
2010 году наблюдался всплеск заболевания животными трихофитией, это можно
объяснить тем, что в 2010 году среднегодовая температура была выше нормы, лето
выдалось жарким и влажным - среднемесячная температура июня составила 23,3°,
что на 4,8° выше среднего. Пик жары пришелся на третью декаду, когда были
превышены все абсолютные максимумы. В Благовещенске 25 июня отмечено 39,4°, что
является новым рекордом и для июня, и для всего лета за вековой период
метеонаблюдений. Данные климатические факторы (высокая температура и влажность)
способствуют более широкому распространению трихофитии среди животных. [17]
Экстенсивные
и интенсивные показатели эпизоотического процесса
Заболеваемость - важный
показатель интенсивности развития эпизоотологического процесса, представляет
собой отношение числа особей, заболевших данной болезнью, к общему числу
восприимчивых на определенной территории за определенный период, выражается в
процентах.
Её
определяют по формуле:
ЗБ
= ΣЗ / ΣЧВ
х 100, где
ЗБ
- заболеваемость;
ΣЗ - количество заболевших животных за определённый период;
ΣЧВ - число восприимчивых животных.
Таблица 3. Заболеваемость трихофитией плотоядных собак и кошек,
наблюдаемых в ветеринарной клинике ИП Зубкова г. Благовещенска за 2007 -
2011гг.
|
Вид животного
|
2007
|
2008
|
2009
|
2010
|
2011
|
За 5 лет М±m,%
|
Р
|
|
Всего голов
|
Заболело голов
|
%
|
Всего голов
|
%
|
Всего голов
|
Заболело голов
|
%
|
Всего голов
|
Заболело голов
|
%
|
Всего голов
|
Заболело голов
|
%
|
|
|
|
Собаки
|
4649
|
63
|
1,36
|
4257
|
55
|
1,29
|
4896
|
53
|
1,08
|
4823
|
76
|
1,58
|
6324
|
52
|
0,82
|
1,23±0,11486
|
≥0,001
|
|
Кошки
|
4008
|
55
|
1,37
|
3820
|
48
|
1,26
|
4964
|
52
|
1,05
|
5411
|
64
|
1,18
|
5837
|
45
|
0,77
|
1,13±0,1154
|
≥0,001
|
|
Итого
|
8657
|
118
|
1,36
|
8077
|
103
|
1,28
|
9860
|
105
|
1,07
|
10234
|
140
|
1,37
|
12161
|
97
|
0,80
|
1,18±0,12119
|
≥0,001
|
Таблица 4. Разброс вариационного ряда по заболеваемости трихофитией собак,
2007-2011 гг.
|
год
|
V
|
V - M
|
(V - M)2
|
|
2007
|
1,36
|
0,13
|
0,0169
|
|
2008
|
1,29
|
0,06
|
0,0036
|
|
2009
|
1,08
|
- 0,15
|
0,0225
|
|
2010
|
1,58
|
0,35
|
0,1225
|
|
2011
|
0,82
|
- 0,41
|
0,1681
|
|
N=5
|
ΣV= 6,13 М = 1,23
|
|
Σ(V-М)2
= 0,2111
|
Средняя арифметическая определяется путём деления суммы (ΣV) вариантов на число вариантов,
участвующих в обработке (n) по
формуле:
М
= 
Чтобы
найти ошибку средней арифметической (m) необходимо вычислить среднее
квадратическое отклонение:
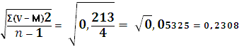
σ = 
m = ±
= ±
0,11486
М±m =
1,23±0,11486
Степень
достоверности:
Уровень
вероятности при t=10,7 Р≥0,001 - значение не достоверное.
Чем
больше значение n, тем больше изменчивость изучаемого признака в
совокупности; чем меньше n, тем меньше изменчивость признаков, тем теснее и
типичнее вычислена в этом ряду средняя (M). В так
называемых «нормальных» вариационных рядах отклонение (крайние показатели в
выборке, т.е. это максимальные и минимальные значения признака, показывающие
размах разнообразия) от средней арифметической должно быть не более ±3σ. Отклонение отдельного вариационного ряда от средней
арифметической может быть определено по формуле: ±
В
нашем случае максимальная варианта (1,58 - показатель заболеваемости за 2010
год) больше средней арифметической на 1,5 σ:
±
σ
Минимальная
варианта (0,82 - показатель заболеваемости за 2011 год) меньше средней
арифметической на 1,8
σ:
±
σ
Таблица
5. Разброс вариационного ряда по заболеваемости трихофитией кошек, 2007-2011
гг.
|
N
|
V
|
V - M
|
(V - M)2
|
|
1
|
1,37
|
0,24
|
0,0576
|
|
2
|
1,26
|
0,13
|
0,0169
|
|
3
|
1,05
|
- 0,08
|
0,0064
|
|
4
|
1,18
|
0,05
|
0,0025
|
|
5
|
0,77
|
- 0,36
|
0,1296
|
|
N=5
|
ΣV= 5,63 М = 1,13
|
|
Σ(V-М)2
= 0,213
|
Средняя арифметическая:
М
= 
Среднее
квадратическое отклонение:
σ = 
Ошибка
средней арифметической:
m = ±
= ±
0,1154
М±m =
1,13±0,1154
Степень
достоверности:
Уровень
вероятности при t=9,79 Р≥0,001 - значение не достоверное.
Максимальная
варианта:
±
Минимальная
варианта:
±
Таблица
6. Разброс вариационного ряда по заболеваемости трихофитией собак и кошек,
2007-2011 гг.
|
N
|
V
|
V - M
|
(V - M)2
|
|
1
|
1,36
|
0,18
|
0,0324
|
|
2
|
1,28
|
0,10
|
0,01
|
|
3
|
1,07
|
- 0,11
|
0,0121
|
|
4
|
1,37
|
0,19
|
0,0361
|
|
5
|
0,80
|
- 0,38
|
0,1444
|
|
N=5
|
ΣV= 5,88 М = 1,18
|
|
Σ(V-М)2
= 0,235
|
Средняя арифметическая:
М
= 
Среднее
квадратическое отклонение
σ = 
Ошибка
средней арифметической:
m = ±
= ±
0,12119
М±m =
1,18±0,12119
Степень
достоверности:
Уровень
вероятности при t = 9,78 Р≥0,001 - значение не достоверное.
Максимальная
варианта:
±
Минимальная
варианта:
±
Рис.
36. Заболеваемость трихофитией плотоядных собак и кошек, наблюдаемых в
ветеринарной клинике ИП Зубкова г. Благовещенска за 2007 - 2011гг.
Рис.
37. Заболеваемость трихофитией плотоядных собак и кошек, наблюдаемых в
ветеринарной клинике ИП Зубкова г. Благовещенска за 2007 - 2011гг, гол.
Вывод:
Анализируя таблицы 3 - 6 и рис. 36, 37, можно сказать, что за исследуемые пять
лет идёт снижение заболеваемости собак и кошек трихофитией плотоядных с 1,36%
до 0,82% у собак и у кошек с 1,37% до 0,77% соответственно. Однако, наряду с
этим, в 2010 году наблюдалась вспышка заболеваемости - у собак она составила
1,58% и у кошек 1,18% (76 и 64 головы от общего числа собак и кошек
соответственно), что, по моему мнению, вероятнее всего обусловлено
климатическими факторами (см. выше).
Удельный вес
(нозологический профиль) отдельной болезни среди общей заболеваемости животных
всеми инфекционными болезнями, выраженный в процентах, определяется по формуле:
Ув
= А/Б*100, где
Ув
- удельный вес отдельной болезни,
А
- количество случаев заболевания животных по отдельной болезни,
Б
- количество случаев заболевания животных всеми инфекционными заболеваниями,
-
пересчет на проценты.
Таблица
7. Удельный вес трихофитии плотоядных среди регистрируемых инфекционных
болезней у собак и кошек в ветеринарной клинике ИП Зубкова г. Благовещенска за
2007 - 2011 гг., %
|
Название болезни
|
2007
|
2008
|
2009
|
2010
|
2011
|
В среднем за 5 лет (М)
|
|
Гол.
|
Ув
|
Гол.
|
Ув
|
Гол.
|
Ув
|
Гол.
|
Ув
|
Гол.
|
Ув
|
Гол.
|
Ув
|
|
Чума плотоядных
|
38
|
12,06
|
24
|
7,17
|
37
|
10,60
|
30
|
7,40
|
29
|
8,63
|
29,6
|
8,57
|
|
Парвовирусный энтерит
|
23
|
7,30
|
37
|
11,05
|
19
|
5,45
|
44
|
10,9
|
28
|
8,30
|
30,2
|
8,74
|
|
Трихофития
|
118
|
37,46
|
103
|
30,74
|
105
|
30,09
|
140
|
34,74
|
97
|
28,87
|
112,6
|
32,58
|
|
Микроспория
|
24
|
7,62
|
33
|
9,85
|
48
|
13,75
|
59
|
14,64
|
51
|
15,18
|
43,0
|
12,44
|
|
Отодектоз
|
48
|
15,24
|
52
|
15,52
|
39
|
11,18
|
61
|
15,14
|
43
|
12,79
|
48,6
|
14,06
|
|
Калицивирусная инфекция
|
29
|
9,21
|
36
|
10,75
|
48
|
13,75
|
29
|
7,20
|
37
|
11,01
|
35,8
|
10,36
|
|
Панлейкопения кошек
|
6
|
1,91
|
2
|
0,60
|
2
|
0,57
|
3
|
0,75
|
4
|
1,19
|
3,4
|
0,98
|
|
Другие заболевания
|
29
|
9,21
|
48
|
14,33
|
51
|
14,61
|
37
|
9.18
|
47
|
13,99
|
42,4
|
12,27
|
|
Всего
|
315
|
100
|
335
|
100
|
349
|
100
|
403
|
100
|
336
|
100
|
345,6
|
100
|
Рис.
38. Удельный вес трихофитии среди других заразных заболеваний собак и кошек,
встречающихся в ветеринарной клинике ИП Зубкова за 5 лет, %
Вывод:
По данным таблицы 7 и графика 38 можно сделать вывод, что в среднем за 5
исследуемых лет среди заразных заболеваний собак и кошек наибольший удельный
вес имеет трихофития (32,58%), отодектоз (14,06%), микроспория (12,44%).
Наименьший удельный вес приходится на долю панлейкопении кошек (0,98%). Прочие
заразные заболевания составили 12,27%.
Поражённость отдельных
видов животных определяют, чтобы
выяснить, какие виды животных преимущественно болеют данной болезнью. В данной
работе мною сравнивается поражённость собак и кошек трихофитией плотоядных по
числу заболевших животных. Данный показатель выражается в процентах:
СЗ
= АО / БВ х 100, где
СЗ
- структура заболеваемости;
АО
- число заболевших животных отдельного вида;
БВ
- число заболевших животных всех видов в исследуемой клинике;
-
пересчёт на проценты.
Таблица
8. Структура заболеваемости трихофитией плотоядных по числу заболевших животных
за 2007-2011 гг, %
|
год
|
СЗ, собаки
|
СЗ, кошки
|
|
2007
|
СЗ =55/118×100=46,61%
|
|
2008
|
СЗ =55/103×100=53,39%
|
СЗ =48/103×100=46,60%
|
|
2009
|
СЗ =53/105×100=50,48%
|
СЗ =52/105×100=49,52%
|
|
2010
|
СЗ =76/140×100=54,28%
|
СЗ =64/140×100=45,72%
|
|
2011
|
СЗ =52/97×100=53,61%
|
СЗ =45/97×100=46,39%
|
Рис.
39. Структура заболеваемости собак и кошек трихофитией за 2007-2011 гг.
Вывод:
Проанализировав данные таблицы 8 и графика (рис. 38), можно сделать выводы, что
трихофитией плотоядных чаще болеют собаки, однако разница незначительна и
составляет от 0,96% в 2009 году (50,48% и 49,52% у собак и кошек
соответственно) и до 8,56% в 2010 году (54,28% и 45,72% соответственно).
Сезонность - это
стойкая закономерность развития эпизоотического процесса, проявляющаяся
значительным увеличением заболеваемости животных в определенные месяцы года. Её
учитывают при планировании и проведении противоэпизоотических мероприятий,
особенно при определении оптимальных сроков массовой профилактической
иммунизации животных против той или иной болезни.
Показатель
сезонности представляет собой отношение уровня заболеваемости каждого месяца к
количеству случаев заболевания за год (годы) и выражается в процентах:
С
= М/r * 100, где
С
- сезонность;
М
- количество случаев заболевания за определённый месяц;
r - общее
количество случаев заболевания за взятые годы;
-
пересчёт на проценты.
Коэффициент сезонности (Кс)
представляет отношение числа случаев заболеваний животных в месяцы сезонного
подъема к числу заболеваний за год и показывает. Какая часть случаев
заболеваний животных за год (годы) приходится на месяцы сезонного подъема (в
процентах). К месяцам сезонного подъема заболеваемости относятся месяцы, в
которых заболеваемость была выше среднемесячной за год (годы):
Кс
= 
× 100
К
остальным месяцам относятся те, в которые заболеваемость была равна или ниже
среднемесячной. Среднемесячная определяется путём деления суммы случаев
заболевания за год на 12 в абсолютных числах или процентах. Чем выше
коэффициент сезонности, тем отчетливее выражена сезонность болезни. Сезонность
выражена слабо при показателях коэффициента сезонности 51 - 60%, в средней
степени - при коэффициенте сезонности от 61 до 75% и четко выраженная
сезонность при Кс более 75%.
Среднемес.
= 
= 
Коэффициент сезонности:
КС
= 
Коэффициент
сезонности равен 59,86%, что входит в пределы 51 - 60%, что говорит о слабой
выраженности сезонности. Трихофития плотоядных встречается в любое время года,
но больше число заболевших собак и кошек отмечается в летний период.
Индекс сезонности
показывает, во сколько раз больше зарегистрировано случаев заболевания в месяцы
сезонного подъема, чем за остальные месяцы:
Ис
= Зсез / З м сез, где
Ис
- индекс сезонности;
Зсез
- заболеваемость в периоды сезонного подъёма;
З
м сез - средняя межсезонная заболеваемость.
Ис
= 
В
месяцы сезонного подъёма зарегистрировано в 1,5 раза больше случаев заболевания
трихофитией, чем за остальные месяцы.
Таблица
9. Динамика заболеваемости собак и кошек трихофитией плотоядных по данным
клиники ИП Зубкова (г.Благовещенск) в 2007-2011гг.
|
Месяцы
|
Σ
инфицированных животных по годам
|
Всего за 5 лет
|
Сезонность, % М 1:2
|
Сезонность,% М 1:4
|
|
2007
|
2008
|
2009
|
2010
|
2011
|
Количество заболевших
животных, гол.
|
В % к общему количеству
заболевших животных
|
|
|
|
Январь
|
5
|
5
|
6
|
6
|
5
|
27
|
4,79
|
2,39
|
1,19
|
|
Февраль
|
5
|
5
|
3
|
6
|
5
|
24
|
4,26
|
2,13
|
1,07
|
|
Март
|
5
|
3
|
4
|
5
|
3
|
20
|
3,55
|
1,78
|
0,89
|
|
Апрель
|
8
|
6
|
7
|
9
|
4
|
34
|
6,04
|
3,02
|
1,51
|
|
Май
|
17
|
12
|
13
|
19
|
13
|
74
|
13,15
|
6,58
|
3,29
|
|
Июнь
|
19
|
18
|
18
|
14
|
13
|
82
|
14,57
|
7,29
|
3,64
|
|
Июль
|
13
|
13
|
15
|
17
|
13
|
71
|
12,61
|
6,31
|
3,15
|
|
Август
|
11
|
11
|
10
|
15
|
11
|
57
|
10,13
|
5,07
|
2,53
|
|
Сентябрь
|
10
|
9
|
10
|
15
|
9
|
53
|
9,42
|
4,71
|
2,36
|
|
Октябрь
|
9
|
8
|
7
|
12
|
7
|
43
|
7,63
|
3,82
|
1,91
|
|
Ноябрь
|
8
|
7
|
7
|
12
|
7
|
41
|
7,28
|
3,64
|
1,82
|
|
Декабрь
|
8
|
6
|
5
|
10
|
6
|
35
|
6,22
|
3,11
|
1,56
|
|
Итого
|
118
|
103
|
105
|
140
|
97
|
563
|
100,0
|
50,0
|
25,0
|
Построение диаграммы сезонности
R -
радиус в диаграмме соответствует среднему значению, т.е.:
/12 = 46,92 голов
Rокружности = 46,92 / 563 * 100 = 8,3%
Масштаб 1:2 ® R=4,15%
Кс = 59,86%
Ис = 1,51
Рис. 39. Сезонность трихофитии плотоядных, регистрируемой в ветеринарной
клинике ИП Зубкова за 2007-2011 гг.
Вывод: Исходя из произведённых расчетов, графика сезонности и данных
таблицы 9, я могу сделать вывод, что сезонность заболевания животных
трихофитией плотоядных в ветеринарной клинике ИП Зубкова выражена слабо (Кс =
59,86%); заболевание в 1,5 раза чаще проявляется в тёплое время года в месяцы
сезонного подъема (с мая по сентябрь), чем в остальное время.
Затраты на ветеринарные мероприятия
Для лечения двух собак (массами 15 и 20 кг соответственно) при трихофитии
необходимо:
Таблица 10. Схема лечения трихофитии у собак
|
Наименование препаратов
|
Метод введения
|
Кратность
|
Доза
|
|
Специфические
препараты
|
|
Поливак-ТМ
|
Глубоко внутримышечно
|
3-х кратно с интервалом 10
дней
|
1
|
|
Неспецифические
препараты
|
|
Нитрофунгин
|
Наружно на пораженные
участки с захватом здоровой ткани
|
Через каждые 3 дня до
полного выздоровления, подтвержденного лабораторно
|
-
|
|
Гамавит
|
Внутримышечно, подкожно,
внутривенно
|
6 раз с интервалом 5 дней
|
2,0 мл/10 кг
|
|
Тривит
|
Подкожно
|
8 инъекций с интервалом 5
дней
|
1,0 мл/10 кг
|
Таблица 11. Затраты на ветеринарные мероприятия
|
Виды затрат
|
Единица измерения
|
Стоимость (руб.)
|
Израсходовано
|
Сумма затрат (руб.)
|
|
Поливак-ТМ
|
доза
|
150,0
|
6 уп.
|
900,0
|
|
Нитрофунгин
|
фл.
|
62,50
|
3 фл.
|
187,5
|
|
Гамавит
|
мл.
|
20,0
|
42 мл.
|
840,0
|
|
Тривит
|
мл.
|
12,0
|
28 мл.
|
336,0
|
|
Шприцы
|
шт.
|
5,0
|
34 шт.
|
170,0
|
|
Прием первичный
|
|
100,0
|
1
|
100,0
|
|
Прием повторный
|
|
60,0
|
7
|
420,0
|
|
Соскоб
|
|
100,0
|
2
|
200,0
|
|
Инъекция в/м
|
|
5,0
|
6
|
30,0
|
|
Инъекция п/к
|
|
5,0
|
28
|
140,0
|
|
Утилизация отходов
|
|
20,0
|
8
|
160,0
|
|
Хлорамин
|
кг
|
80-00
|
0,76 кг
|
60,8
|
|
Итого
|
|
|
|
3544,3
|
Лечение, затраченное на двух собак, составило 3544,3 рублей.
Расчёт затрат на дезинфекцию
Размер стола для приёма животных - 1,4 м²
Расход дезинфицирующего средства на 1 м² - 0,3 л
На всю площадь необходимо: 1,4 · 0,3 = 0,42 (л)
Чтобы приготовить 3%-ный раствор хлорамина необходимо воспользоваться
пропорцией:
г - 25%
Х г - 3%, откуда Х = 100 x 3 / 25 = 12 (г)
Таким образом, если на 100 мл воды добавить 12 г хлорамина (25%), то мы
получим 3%-ный раствор дезинфицирующего средства.
Затраты на сухое вещество рассчитываем:
л - 120 г
,42 л - X X = 0,42 · 120 / 1 = 50,4 (г) - на одну дезинфекцию
На всю дезинфекцию: число приемов - 15, значит 50,4 · 15 = 76 (г)
Так как 1 кг стоит 80 рублей, на всю дезинфекцию будет затрачено:
,76 кг · 80 руб. = 60,8 рублей.
Предотвращённый ущерб и экономическая эффективность
Ущерб, предотвращённый в результате лечения животных, определяют как
разницу между возможным экономическим ущербом от падежа и фактических ущербом,
причинённым болезнью в результате перебеливания или падежа для непродуктивных
животных:
Пу = Мл * У, где
Мл - количество больных животных;
У - средняя стоимость одного животного.
Пу = 2 * 10000 = 20000
У = = 10000 (руб.)
Экономический эффект, полученный в результате осуществления
профилактических, оздоровительных и лечебных мероприятий (Эв), определяют по
формуле:
Эв = Пу - Зв, где
Пу - предотвращённый экономический ущерб;
Зв - затраты на ветеринарные мероприятия.
Эв = 20000 - 3544,3 = 16455,7 (руб.)
Экономическая эффективность на рубль затрат определяется, как отношение
экономического эффекта к сумме затрат:
Эр = Эв/Зв
Эр = 16455,7 / 3544,3 = 4,64 (руб.)
Т.к. Эр > 1, то
лечение оказалось эффективным.
Заключение
Трихофития - группа зооантропонозных грибковых болезней различных видов
сельскохозяйственных, мелких домашних (в том числе собак и кошек), диких и
других видов животных. Характеризуется появлением на коже резко ограниченных
шелушащихся участков с обломанными волосками или развитием локальных воспалений
кожи и ее производных с выделением серозно-гнойного экссудата.
Источником возбудителя инфекции является больное животное.
У сельскохозяйственных животных чаще проявляется в осенне-зимний период,
у собак и кошек - в теплое время года.
Я считаю, что для снижения уровня заболеваемости трихофитией:
- владельцам животных и обслуживающему персоналу питомников и приютов для
бездомных собак и кошек необходимо строго соблюдать меры личной гигиены и
профилактики;
- для ухода за больными животными в питомниках и приютах
выделять отдельный персонал, предоставлять им отдельную спецодежду;
- необходимо систематически проводить дератизацию, причем не
только в питомниках и приютах, но и в частном секторе, городских коллекторах,
местах массовых скоплений мышевидных грызунов (агропромышленные хозяйства,
свалки, склады и пр.);
- необходимо максимально ограничить контакты домашних собак и
кошек с бродячими животными;
- систематически проводить профилактическую вакцинацию
животных.
Анализируя проделанную работу, можно сделать общее заключение, из
которого выходит, что к трихофитии плотоядных более восприимчивы собаки, чем
кошки. За исследуемые пять лет идёт снижение заболеваемости собак и кошек
трихофитией плотоядных с 1,36% до 0,82% у собак и у кошек с 1,37% до 0,77%
соответственно.
Однако разница в заболеваемости не слишком значительная и составляет от
0,96% в 2009 году (50,48% и 49,52% у собак и кошек соответственно) и до 8,56% в
2010 году (54,28% и 45,72% соответственно).
В 2010 году наблюдался всплеск заболевания животными трихофитией, что
может быть обусловлено климатическими факторами.
Наибольший удельный вес среди заразных заболеваний собак и кошек в
среднем за 5 исследуемых лет имеет трихофития (32,58%), далее следует отодектоз
(14,06%) и микроспория (12,44%).
Сезонность заболевания животных трихофитией плотоядных в ветеринарной
клинике ИП Зубкова выражена слабо (Кс = 59,86%); заболевание в 1,5 раза чаще
проявляется в тёплое время года в месяцы сезонного подъема (с мая по сентябрь),
чем в остальное время.
Список литературы
1. Амурская
область, города и районы: Справочник / Амурский облкомстат: 2003. - 145 с.
2. Беляков,
И.М. Основы ветеринарии. / И.М. Беляков, Ф.И. Василевич - М.: КолосС, 2004 -
689 с.
3. Борисович
Ю.Ф., Кириллов Л.В. Инфекционные болезни животных. - М.: Агропромиздат, 1987. -
288 с.
4. Воробьев,
В.В. Амурская область. / В.В. Воробьев, А.П. Деревянко // Амурское отделение
Хабаровского кн. изд-ва 1989 - 170 с.
5. Гавриша
В.А. Современный справочник врача ветеринарной медицины / В.Г. Гавриша //
Ростов на Дону: изд. «Феникс», 2006. - 576 с.
6. Годовой
отчет ветеринарной клиники ИП Зубкова г. Благовещенска за 2007-2011 гг.
7. Достоевский
П.П. Справочник ветеринарного врача /П.П. Достоевский, Н.А. Судаков, В.А.
Атамась. - К.: Урожай, 1990. - 784 с.
. Журнал
регистрации больных животных ветеринарной клиники ИП Зубкова г. Благовещенска
за 2007-2011 гг.
9. Кузнецов
Г.С., Протасов А.И. Справочник по ветеринарии - Л.: «Колос», 1999 - 768 с.
10. Колычев
Н.М. Ветеринарная микробиология и иммунология / Н.М. Колычев, Р.Г. Госманов. -
М.: КолосС, 2003. - 432 с.
. Конопаткин
А.А. и др. Эпизоотология и инфекционные болезни / А.А. Конопаткин, Б.Т.
Артемов, И.А. Бакулов. - М.: «Колос», 1993 - 688 с.
12. Методические
указания «Оформление и выполнение курсовой работы по краевой эпизоотологии».
Составители: Д.в.н., профессор М.А. Петрухин; к.в.н., доцент М.Е. Остякова;
к.в.н., доцент Е.В. Бобчук. Г. - Благовещенск, Издательство ДальГАУ, 2011.
13. Пошеков,
А.А. Дезинфекция Животноводческих помещений. / А.А. Пошеков // М.: Колос, 1979
- 355 с.
. Практикум
по краевой эпизоотологии. Составители: Д.в.н., профессор М.А. Петрухин; к.в.н.,
доцент М.Е. Остякова; к.в.н., доцент Е.В. Бобчук. Г. - Благовещенск, Издательство
ДальГАУ, 2011.
15. Сью
Патерсон. Кожные болезни собак / Патерсон Сью - М.: «Аквариум ЛТД», 2000 - 176
с.
. Червяков
Д.К. Лекарственные средства в ветеринарии / Д.К. Червяков, П.Д. Евдокимов и др.
- М.: «Колос», 1970. - 415 с.
. http://news.gismeteo.ru/news.n2?item=63413750988