Кадастровая оценка схемы комплексного использования и охраны водных объектов

  • Вид работы:
    Дипломная (ВКР)
  • Предмет:
    Геология
  • Язык:
    Русский
    ,
    Формат файла:
    MS Word
    202,11 Кб
  • Опубликовано:
    2017-10-13
Вы можете узнать стоимость помощи в написании студенческой работы.
Помощь в написании работы, которую точно примут!

Кадастровая оценка схемы комплексного использования и охраны водных объектов

СОДЕРЖАНИЕ


Ведение

.       Анализ законодательства, нормативных правовых и методических документов, регулирующих функционирование водохозяйственных комплексов

.1     История применения схем комплексного использования и охраны водных ресурсов в народном хозяйстве

.2     Значение и роль схем комплексного использования и охраны водных объектов для системы управления водными объектами России

.3     Содержание и информационное обеспечение схем комплексного использования и охраны водных объектов

.4     Основные положения водопользования в Российской Федерации

.5     Основные положения государственной кадастровой оценки земель в Российской федерации

.6     Выводы по главе 1

.       Методика кадастровой оценки земель водохозяйственного комплекса водохранилищ комплексного назначения

.1     Выбор и обоснование подхода к разработке методики

.2     Формирование перечня потенциальных видов водопользования водохранилища комплексного назначения, учитываемых при разработке методики

.3     Алгоритм расчета кадастровой стоимости

.4     Обоснование применения карт общего доступа для расчетов доходов водопользователей водохранилища

.5     Выводы по главе 2

.       Получение исходных данных для проведения кадастровой оценки земель водохранилищ комплексного назначения

.1     Технология дистанционного зондирования земли для получения информации о территории водохранилища

.2     Землеустройство зоны водохранилища

.3     Выводы по главе 3

.       Применение разработанной методики и отдельных ее аспектов

.1     Расчет предполагаемых доходов от использования водохранилища комплексного назначения

.2     Точность определения доходности Рыбинского водохранилища

.3     Выводы по главе 4

.       Расчет использования изучаемого земельного массива в целях лесозаготовки

Заключение

Список использованных источников

ВВЕДЕНИЕ


Актуальность исследования. В соответствии с водным кодексом Российской Федерации, принятым Государственной Думой третьего июня 2006 года, схемы комплексного использования и охраны водных объектов являются основой осуществления водохозяйственных мероприятий и мероприятий по охране водных объектов, расположенных в границах речных бассейнов.

Водной стратегии Российской Федерации на период до 2020 года утвержденной распоряжением Правительства Российской Федерации от 27.08.2009 г. №1235-р отмечается, что одним из главных направлений совершенствования государственного управления является разработка схем комплексного использования и охраны водных объектов, которые являются основным инструментом обеспечения комплексного использования и охраны водных объектов.

Нормативные правовые и методические документы направленные на обеспечение разработки схем комплексного использования и охраны водных объектов и дальнейшего их использования, не полностью отвечают современным требованиям. Среди недостатков можно отметить: статус схем как рекомендаций по информационной и интеллектуальной поддержке управленческих решений по бассейнам гидрографической единицы, устаревший расчет хозяйственного освоения водного объекта и существующей водохозяйственной инфраструктуры объекта, несовременный вид готовых схем.

В настоящее время имеются реальные предпосылки значительного расширения использования возможностей геоинформационных систем (ГИС), аэрокосмической информации и современных карт общего пользования, например, доступного с марта 2010 года сервиса «Публичная кадастровая карта».

Существующие методики оценки не учитывают комплексного использования водных объектов. Однако отдельные положения методик кадастровой оценки земель промышленности и иного специального назначения и земель водного фонда могут являться базой для разработки методики кадастровой оценки земель.

Таким образом, актуальность диссертационного исследования очевидна и на сегодняшний день существуют все предпосылки для разработки более современной методики массовой экономической оценки земель. Разработанная методика позволит объективно оценить экономический потенциал конкретного водного объекта.

Объект исследования. В качестве объекта исследования выступает водоём и территория, на которой расположен пруд или водохранилище.

Методология исследования. Методология исследований включает: получение аналитических данных; систематизацию, классификацию, обобщение их с учётом фундаментальных работ отечественных и зарубежных авторов в области разработки и внедрения новых подходов к вопросам комплексного использования и охраны водных и земельных ресурсов; формулировку новых научных результатов; интерпретацию результатов для их последующего внедрения; оценку полноты решения поставленных задач и степени достижения заявленных целей исследования.

Цель исследования. Целью исследования является разработка методики обоснования эффективности хозяйственного освоения территории водного объекта в схемах комплексного использования и охраны искусственного водоёма, на основе кадастровой оценки.

Задачи исследования. Для достижения поставленной цели сформулированы следующие задачи:

проанализировать законодательство и нормативные документы в сфере водопользования и землепользования в РФ;

провести анализ основных положений государственной кадастровой оценки земель, определить технико-экономические показатели, которые могут являться базой для разрабатываемой методики;

обосновать целесообразность и достоверность применения ГИС-технологий и материалов дистанционного зондирования общего пользования для кадастровой оценки земель;

выбрать и обосновать методический подход к разработке кадастровой оценки земель на территории водного объекта;

сформировать и обосновать варианты состава водопользователей и водопотребителей водохозяйственного при разработке методики;

разработать алгоритм оценки земель в схемах комплексного использования и охраны водных объектов;

опробовать методику на примере водного объекта для оценки ее технических и экономических параметров.

Научная новизна. В ходе диссертационного исследования:

обоснована достаточность применения картографических материалов общего пользования, обработанные средствами ГИС, для кадастровой оценки земель при обосновании проектов схем комплексного использования и охраны водных объектов;

разработана методика расчета кадастровой стоимости земель водного объекта комплексного назначения;

предложено учесть будущие доходы от всех возможных участников водохозяйственного комплекса при разработке схем комплексного использования и охраны водных объектов.

Практическая значимость работы. Практическая значимость заключается в том, что полученный показатель кадастровой стоимости отражает текущий экономический потенциал искусственного водного объекта. Схемы являются средством информационной и интеллектуальной поддержки управленческих решений по регулированию водных ресурсов и водопользованию. Результаты оценки позволяют планировать инвестиции в создание искусственного водного объекта и связанного с ним водохозяйственного комплекса.

Применение обработанных средствами ГИС картографических материалов общего пользования для кадастровой оценки земель под водный объект позволяет оперативно получать данные для оценки экономической  эффективности инвестиций в водное хозяйство.

1. АНАЛИЗ ЗАКОНОДАТЕЛЬСТВА, НОРМАТИВНЫХ ПРАВОВЫХ И МЕТОДИЧЕСКИХ ДОКУМЕНТОВ, РЕГУЛИРУЮЩИХ ФУНКЦИОНИРОВАНИЕ ВОДОХОЗЯЙСТВЕННЫХ КОМПЛЕКСОВ

 

.1 История применения схем комплексного использования и охраны водных ресурсов в народном хозяйстве


Схемы комплексного использования и охраны водных объектов (СКИОВО), должны стать правопреемниками разрабатываемых ранее в СССР, а позднее и в России, схем комплексного использования и охраны водных ресурсов (СКИОВР).

Схемы комплексного использования и охраны водных ресурсов начали разрабатываться в 70х годах прошлого века и отвечали принципам плановой экономики Советского Союза. Они представляли собой планы развития бассейнов рек на двадцатилетний период, и вместе с тем должны были служить предпроектными материалами по обустройству прибрежных территорий с целью решения народнохозяйственных, природоохранных и противопаводковых мероприятий. Разработка этих схем вписывалась в общую парадигму научно-технического прогресса, которая имела место в СССР в 70-80-х года прошлого века. Применительно к водохозяйственному комплексу страны СКИОВР, в понимании того времени, отвечала задачам научно-технического прогресса [1].

Решение комплексных водохозяйственных проблем немыслимо без длительных исследований, разработки вариантов технических решений. Рассмотрение их должно базироваться на глубоком анализе технико-экономических данных, а также на прогнозе возможных изменений природных условий. Это свидетельствует о необходимости координации использования и охраны водных ресурсов, для чего разрабатывались схемы комплексного использования и охраны водных ресурсов (СКИОВР). Такой подход к решению проблемы дает возможность:

оценить поверхностные и подземные водные ресурсы применительно к отдельным речным бассейнам и территориям субъектов, при этом выявить и учесть влияние хозяйственной деятельности человека на режим водных источников;

определить основные требования к количеству и качеству воды различных отраслей народного хозяйства для различных периодов их развития;

разработать и научно обосновать нормы водопотребления;

установить возможность повторного или последовательного использования воды;

определить объем безвозвратных потерь, а также наметить пути их сокращения;

разработать водохозяйственные балансы и выделить районы с дефицитом воды;

наметить первоочередные водохозяйственные объекты, обеспечивающие развитие экономики, распределить капитальные вложения, необходимые для выполнения плана водохозяйственного строительства, дать экономическую оценку эффективности всего комплекса мероприятий, на основе водохозяйственных балансов;

выработать предложения по оптимальному расположению промышленных объектов, транспортных узлов, мелиоративных сельскохозяйственных площадей;

разработать эффективные сооружения по очистке и обеззараживанию сточных промышленных вод;

оценить изменения природных условий в тех районах и областях, где намечается проведение крупных водохозяйственных мероприятий;

обосновать характер и объемы необходимых проектно-изыскательских и научно-исследовательских работ и определить состав их исполнителей [2].

Генеральная схема являлась главным документом, обеспечивающим правильную водохозяйственную политику, схема разрабатывалась для крупных бассейнов, а также для больших экономических районов. Решения, принятые генеральной схемой, следует рассматривать как принципиальные, на основе которых ведется составление проектов использования водных ресурсов по отдельным речным бассейнам или части каждого из них [3].

Для получения достаточно обоснованной генеральной схемы требуется привлечение опытных специалистов, представляющих все отрасли науки и техники не только на современном этапе их развития, но и способных вести долгосрочный прогноз. К работе по составлению первой генеральной схемы было привлечено свыше 200 проектных и научно-исследовательских институтов [3].

Нормативной базой составления схем комплексного использования и охраны водных ресурсов являлся специальный документ - «Основы водного законодательства Союза ССР и союзных республик», утвержденный Верховным Советом СССР 10 декабря 1970 года.

1.2 Значение и роль схем комплексного использования и охраны водных объектов для системы управления водными объектами России


В Водной стратегии Российской Федерации на период до 2020 года указывается, что схемы комплексного использования и охраны водных объектов являются основным инструментом обеспечения комплексного использования водных объектов, а их разработка является одним из приоритетных направлений совершенствования государственного управления.

Основными направлениями совершенствования государственного управления в области использования и охраны водных объектов являются развитие принципов интегрированного управления водными ресурсами, механизмов обеспечения сбалансированного развития водохозяйственного комплекса Российской Федерации, усиление роли Российской Федерации в решении глобальных проблем в области использования и охраны водных ресурсов [4].

Согласно 416 ФЗ О водоснабжении и водоотведении, государственная политика в сфере водоснабжения и водоотведения направлена на достижение следующих целей (рисунок 1.1)

Рисунок 1.1 - Цели государственной политики в области водопользования

) приоритетность обеспечения населения питьевой водой, горячей водой и услугами по водоотведению;

) создание условий для привлечения инвестиций в сферу водоснабжения и водоотведения, обеспечение гарантий возврата частных инвестиций;

) обеспечение технологического и организационного единства и целостности централизованных систем горячего водоснабжения, холодного водоснабжения и (или) водоотведения;

) достижение и соблюдение баланса экономических интересов организаций, осуществляющих горячее водоснабжение, холодное водоснабжение и (или) водоотведение, и их абонентов;

) установление тарифов в сфере водоснабжения и водоотведения исходя из экономически обоснованных расходов организаций, осуществляющих горячее водоснабжение, холодное водоснабжение и (или) водоотведение, необходимых для осуществления водоснабжения и (или) водоотведения;

) обеспечение стабильных и недискриминационных условий для осуществления предпринимательской деятельности в сфере водоснабжения и водоотведения;

) обеспечение равных условий доступа абонентов к водоснабжению и водоотведению;

) открытость деятельности организаций, осуществляющих горячее водоснабжение, холодное водоснабжение и (или) водоотведение, органов государственной власти Российской Федерации, органов государственной власти субъектов Российской Федерации и органов местного самоуправления, осуществляющих регулирование в сфере водоснабжения и водоотведения [5].

Правительство Российской федерации постановлением от 30.12.2006 г №883 «О порядке разработки, утверждения и реализации схем комплексного использования и охраны водных объектов, внесения изменений в эти схемы» устанавливает, что схемы комплексного использования и охраны водных объектов разрабатываются Федеральным агентством водных ресурсов, а утверждаются Минприроды России, утверждаются Федеральным агентством водных ресурсов при наличии положительного заключения государственной экологической экспертизы [6].

Согласно Водному кодексу РФ схемы комплексного использования и охраны водных объектов являются основой осуществления водохозяйственных мероприятий и мероприятий по охране водных объектов, расположенных в границах речных бассейнов. Водный кодекс РФ увязал между собой пять статьей направленных на создание схем комплексного использования и охраны водных объектов:

) статью 33 устанавливающую, что схемы комплексного использования и охраны водных объектов являются основой осуществления водохозяйственных мероприятий и мероприятий по охране водных объектов, расположенных в границах речных бассейнов;

) статью 31, в соответствии с которой для целей создания схем комплексного использования и охраны водных объектов должно быть проведено гидрографическое и водохозяйственное районирование территории Российской Федерации, и что схемы создаются по гидрографическим единицам;

) статью 30 из которой следует, что данные мониторинга водных объектов содержаться в государственном водном реестре;

) статью 31, в соответствии с которой информационной основой схем является государственный водный реестр;

) статью 35 определяющую порядок разработки целевых показателей качества воды в водных объектах и нормативов допустимого воздействия на водные объекты, которые являются составной частью схем комплексного использования охраны водных объектов [7].

В соответствии с Методическими указаниями по разработке схем комплексного использования и охраны водных объектов, основной задачей разработки схем, является формирование инструментария принятия управленческих решений по достижению устанавливаемых схемами целевых показателей качества воды водных объектов рассматриваемого речного бассейна и уменьшения негативных последствий наводнений и других видов негативного воздействия вод. Материалы утвержденных схем предназначены для:

) планирования и реализации водохозяйственных и водоохранных мероприятий в рамках федеральной адресной инвестиционной программы, федеральных, региональных, ведомственных целевых программ;

) разработки региональных и муниципальных программ (планов) водохозяйственных и водоохранных мероприятий;

) подготовки предложений по установлению и пересмотру ставок платы за пользование водными объектами;

) регулирования водопользования, в том числе определения объемов допустимого забора (изъятия) водных ресурсов, объемов допустимого сброса сточных вод и/или дренажных вод [8].

Таким образом, из Водного кодекса, Водной стратегии и Методических указаний следует, что схемы являются:

·        основным инструментом обеспечения комплексного использования водных объектов и принятия управленческих решений в области управления водными объектами;

·        основой для разработки водохозяйственных мероприятий и мероприятий по охране водных объектов, которые осуществляются федеральными и региональными органами власти;

·        схема должна содержать программу водохозяйственных и водоохранных мероприятий, которая реализуется федеральными органами исполнительной власти, органами исполнительной власти субъектов Российской Федерации, органами местного самоуправления.

1.3 Содержание и информационное обеспечение схем комплексного использования и охраны водных объектов


В соответствии с пунктом 33 Методических указаний схемы комплексного использования и охраны водных объектов должны содержать шесть книг:

·        Книга 1. «Общая характеристика речного бассейна»;

·        Книга 2. «Оценка экологического состояния и ключевые проблемы речного бассейна»;

·        Книга 3. «Целевые показатели»;

·        Книга 4 «Водохозяйственные балансы и балансы загрязняющих веществ»;

·        Книга 5. «Лимиты и квоты на забор воды из водных объектов и сброс сточных вод».

·        Книга 6. «Перечень мероприятий по достижению целевого состояния речного бассейна»

Книга 1. «Общая характеристика речного бассейна».

Согласно Методическим указаниям книга 1. должна содержать следующие основные разделы:

) Краткое географическое описание речного бассейна;

) Социально-экономическая характеристика территории речного бассейна;

) Характеристика гидрологической и гидрогеологической изученности речного бассейна;

) Гидрологические единицы и водохозяйственные участки, входящие в состав речного бассейна;

) Водные объекты речного бассейна. Перечень и основные параметры;

) Гидрологическая характеристика речного бассейна;

) Гидрогеологическая характеристика речного бассейна;

) Характеристика хозяйственного освоения водного объекта и существующей водохозяйственной инфраструктуры;

) Характеристика использования водных объектов;

) Перечень водных объектов речного бассейна и их частей, осуществление мер по охране которых, возложено на органы государственной власти субъектов Российской Федерации;

) Перечень водных объектов речного бассейна, осуществление мер по предотвращению негативного воздействия вод и ликвидации его последствий, по каждому субъекту РФ [8].

Книга 2. «Оценка экологического состояния и ключевые проблемы речного бассейна».

Согласно Методическим указаниям книга 2 должна содержать следующие основные разделы:

) Распределение водных объектов речного бассейна по категориям (естественные, существенно модифицированные, искусственные);

) Оценка экологического состояния водных объектов речного бассейна (распределение водных объектов по классам экологического состояния);

) Оценка экологического состояния подземных водных объектов на территории речного бассейна;

) Оценка масштабов хозяйственного освоения речного бассейна;

) Оценка обеспеченности населения и экономики речного бассейна водными ресурсами;

) Оценка подверженности населения и хозяйственной инфраструктуры речного бассейна негативному воздействию вод;

) Интегральная оценка экологического состояния речного бассейна;

) Ключевые проблемы речного бассейна [8].

Книга 3. «Целевые показатели».

В соответствии с пунктом 36 Методических указаний книга 3 должна содержать следующие основные разделы:

) Общая характеристика целевого состояния речного бассейна по завершении выполнения мероприятий схемы;

) Характеристики целевого состояния отдельных водных объектов;

) Целевые показатели качества воды в водных объектах речного бассейна;

) Основные целевые показатели уменьшения негативных последствий наводнений и других видов негативного воздействия вод;

) Целевые показатели экологического состояния водных объектов речного бассейна;

) Целевые показатели развития системы государственного мониторинга водных объектов речного бассейна;

) Целевые показатели водообеспечения населения и объектов экономики речного бассейна;

) Целевые показатели развития водохозяйственной инфраструктуры речного бассейна;

) Финансово-экономические и социально-экономические целевые показатели [8].

Книга 4. «Водохозяйственные балансы и балансы загрязняющих веществ».

В соответствии с пунктом 37 Методических указаний книга 4 должна содержать следующие основные разделы:

) Водохозяйственные балансы для характерных по водности лет (по речному бассейну в целом, подбассейнам, водохозяйственным участкам и отдельным водным объектам);

) Водохозяйственные балансы для маловодных и многоводных группировок лет (по речному бассейну в целом, подбассейнам, водохозяйственным участкам и отдельным водным объектам);

) Балансы загрязняющих веществ в водных объектах речного бассейна для различных условий водности и уровней социально-экономического развития территории речного бассейна [8].

В соответствии с пунктом 38 Методических указаний книга 5 должна содержать следующие основные разделы:

) лимиты забора водных ресурсов из водных объектов речного бассейна по водохозяйственным участкам (водным объектам, подбассейнам и речному бассейну в целом);

) квоты субъектов Российской Федерации на забор водных ресурсов из водных объектов речного бассейна по водохозяйственным участкам (водным объектам, подбассейнам и речному бассейну в целом);

) лимиты сброса сточных вод, соответствующих нормативам качества, в водные объекты речного бассейна по водохозяйственным участкам (водным объектам, подбассейнам и речному бассейну в целом);

) квоты субъектов Российской Федерации на сброс сточных вод, соответствующих нормативам качества, в водные объекты речного бассейна по водохозяйственным участкам (водным объектам, подбассейнам и речному бассейну в целом) [8].

Книга 6 «Перечень мероприятий по достижению целевого состояния речного бассейна".

В соответствии с пунктом 39 Методических указаний книга 6 должна содержать следующие основные разделы:

) Фундаментальные мероприятия;

) Институциональные мероприятия;

) Мероприятия по улучшению оперативного управления;

) Структурные мероприятия (по строительству и реконструкции сооружений);

) Сводная ведомость требуемых финансовых затрат;

) Календарный план-график реализации и финансирования мероприятий;

) Общая оценка вероятных воздействий реализации мероприятий Схемы на окружающую среду [8].

Источниками физико-географической, гидрологической, гидрогеологической и гидрометеорологической информации по водосбору и водным объектам рассматриваемого речного бассейна являются:

государственный водный реестр;

государственный водный кадастр;

государственный земельный кадастр;

государственный кадастр водных биологических ресурсов;

банк данных мониторинга водных объектов по бассейновым округам, речным бассейнам, водохозяйственным участкам, территориям субъектов Российской Федерации и в целом по Российской Федерации;

банк данных мониторинга подземных водных объектов (в случае отсутствия данной информации в банке данных мониторинга водных объектов);

единый государственный фонд данных о состоянии окружающей среды, ее загрязнении (в части данных о состоянии водных объектов);

федеральный и региональные картографо-геодезические фонды Российской Федерации;

данные по текущему состоянию государственной наблюдательной сети;

данные по текущему состоянию ведомственной опорной наблюдательной сети, предназначенной для ведения мониторинга подземных вод с учетом государственного мониторинга состояния недр;

результаты ранее проведенных изыскательских и научно исследовательских работ по изучению водосборной территории и водных объектов рассматриваемого речного бассейна [6].

1.4 Основные положения водопользования в Российской Федерации


Водный кодекс Российской Федерации, водным объектом называет природный или искусственный водоем, водоток либо иной объект, постоянное или временное сосредоточение вод в котором имеет характерные формы и признаки водного режима. Водопользованием называется использование водных русурсов для удовлетворения потребностей Российской Федерации субъектов РФ, физических и юридических лиц в следующих целях:

) для целей питьевого и хозяйственно-бытового водоснабжения;

) для целей сброса сточных и дренажных вод;

) использование водохранилищ;

) для целей производства электрической энергии;

) для целей водного и воздушного транспорта;

) для сплава древесины;

) для лечения и оздоровительных целей;

) для рекреационных целей;

) для целей рыболовства и охоты;

) для разведки и добычи полезных ископаемых;

) для обеспечения пожарной безопасности;

) в целях обеспечения защиты исконной среды обитания и традиционного образа жизни в местах традиционного проживания и традиционной хозяйственной деятельности коренных малочисленных народов Севера, Сибири и Дальнего Востока РФ [7].

На основе этого, при кадастровой оценке земель, которые относятся к водному объекту, нужно принять во внимание все виды деятельности и рассчитать взаимосвязи возможной прибыли по каждому из них, получаемой от комплексного использования водного объекта.

.4.1 Использование водных объектах в целях хозяйственно-бытового и питьевого водоснабжения

Под системой водоснабжения понимают комплекс инженерных сооружений, предназначенных для забора воды из источника водоснабжения, её очистки, хранения и подачи к потребителям [9].

СП «Водоснабжение. Наружные сети и сооружения» устанавливает объемы использования водных объектов для целей питьевого и хозяйственно-бытового водоснабжения (таблица 1.1) [10].

Таблица 1.1 - Удельное среднесуточное хозяйственно-питьевое водопотребление

Степень благоустройства районов жилой застройки

Удельное хозяйственно-питьевое водопотребление в населенных пунктах на одного жителя среднесуточное (за год), л/сут

Застройка зданиями, оборудованными внутренним водопроводом и канализацией: без ванн с ванными и местными водонагревателями с централизованным горячим водоснабжением

   125-160 160-230  230-350


Водопотребление в течение года неравномерно. Самые большие объемы расходуются в летнее время. В предвыходные дни водопотребление тоже заметно возрастает. В течение суток, как и в течение года, потребление воды неравномерно: ночью меньше, чем днём [9].

На основе федерального закона «О санитарно- эпидемиологическом благополучии населения», население должно обеспечиваться питьевой водой в приоритетном порядке в количестве, достаточном для удовлетворения потребностей. Также поставляемая вода обязана быть безопасной в эпидемиологическом и радиационном отношении, безвредной по химическому составу и должна иметь благоприятные органолептические свойства [11].

В целях питьевого и хозяйственно-бытового водоснабжения должны быть использоваться защищенные от засорения и загрязнения поверхностные водные объекты и подземные водные объекты [7]. Также, установлен приоритет использования для целей хозяйственно-бытового и питьевого водоснабжения перед другими целями, а для иных целей лишь при наличии достаточных водных ресурсов [12].

Водные объекты не должны являться источниками биологических, химических и физических факторов вредного воздействия на человека. Для предотвращения загрязнения устанавливаются нормативы предельно допустимых вредных воздействий нормативы предельно допустимых сбросов. Пригодность водных объектов для целей питьевого и хозяйственно-бытового водоснабжения определяется на основании санитарно-эпидемиологических заключений. Кроме того, для охраны водных объектов утверждаются проекты округов и зон санитарной охраны [11].

СанПиН 2.1.4.1110-02 устанавливает зоны санитарной охраны источников водоснабжения, зоны организуются в составе трех поясов (рисунок 1.2), для каждого из которых устанавливается специальный режим и определяется комплекс мероприятий и действий, направленных на улучшение качества воды [13].

Рисунок 1.2 - Структура зоны санитарной охраны объектов водоснабжения

В водном законодательстве одним из главных принципов является платность использования водных объектов [7]. Расчет налогов за предоставление услуг водоснабжения и водоотведения осуществляется на основании показателей измерительных приборов и действующих тарифов. Денежные тарифы на водоснабжение определяются органами местной исполнительной власти [14].

Вода используется для проведения орошения сельскохозяйственных земель. Орошение осуществляется на основе федеральному закону «О мелиорации земель» для повышения продуктивности земледелия, а также обеспечения гарантированного производства сельскохозяйственной продукции при сохранении и повышении плодородия земель, а также привлечения в сельскохозяйственный оборот неиспользуемых и малопродуктивных земель и формирования рациональной структуры земельных угодий [15].

Подытожив вышесказанное, использование водных ресурсов для питьевого и хозяйственно-бытового водоснабжения может рассматриваться в виде трёх видов использования водного объекта:

) для целей питьевого водоснабжения;

) для целей хозяйственно-бытового водоснабжения;

) для орошения.

.4.2 Использование водных объектов для целей сброса сточных и дренажных вод

Сточными водами называют воды, использованные на бытовые, производственные или другие нужды и загрязнённые при этом дополнительными примесями, изменившими их первоначальный химических состав и физические свойства, а также воды, стекающие с территории населённых пунктов и промышленных предприятий в результате выпадения атмосферных осадков или поливки улиц [16].

В зависимости от происхождения сточные воды подразделяются на:

) хозяйственно-бытовые;

) производственные (промышленные);

) атмосферные (дождевые) [9,16].

При использования водных объектов для целей сброса сточных вод и дренажных вод характерна платность использования. Расчет производится на основании показателей измерительных приборов и действующих тарифов. Тарифы устанавливаются органами местной исполнительной власти [17].

При расчете дохода от сброса сточных вод, в качестве используемой водопользователем площади учитывается поверхность, расположенная в пределах зоны производственного контроля за сбросом в радиусе 500 м от места сброса [18].

.4.3 Использование водохранилищ

Правила пользования каждого водохранилища подлежат пересмотру и обновлению каждые 10-15 лет в зависимости от изменения гидрологического режима водохранилищ, режима использования водохранилища, а также в зависимости от сроков действия схем комплексного использования и охраны водных объектов речных бассейнов, на территории которых расположены эти водохранилища [19].

В настоящее время есть несколько классификаций водохранилищ, согласно у В.И. Тарасову водохранилища подразделяются по размерам (таблица 1.2) [20].

Таблица - 1.2 Классификация водохранилищ

Категория водохранилищ

Полный объем, км3

Площадь зеркала, км3

Крупнейшие Очень крупные Крупные Средние Небольшие Малые

более 50 10-50- 1-10 0,1-1 0,01-0,1 менее 0,01

более 5000 500-5000 100-500 20-100 2-20 менее 2


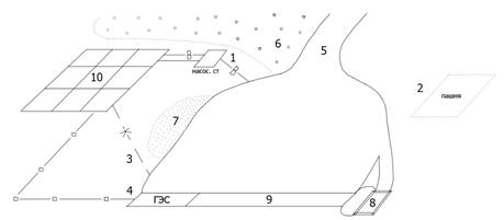
Водохранилища могут создаваться для разных целей. В процессе эксплуатации водохранилища одноцелевого назначения часто становятся комплексными. Это оправдывается расширением хозяйственной деятельности вокруг водохранилища, а также возможным дефицитом водных ресурсов. Под комплексным водохранилищем понимают совокупность гидротехнических сооружений, служащих для планомерного удовлетворения запросов всех участников водохозяйственного комплекса. Структура водопользователей водохранилища комплексного назначения может быть представлена в виде схемы (рисунок 1.1).

Рисунок 1.3 - Структура водопользователей водохранилища комплексного назначения

водопользование кадастровая оценка

На рисунке цифрами обозначены: 1 - водозабор для целей питьевого и хозяйственно-бытового водоснабжения; 2 - орошаемые водами водохранилища сельскохозяйственные угодья, пашни; 3 - место сброса сточных и дренажных вод; 4 - гидроэлектростанция, производящая электроэнергию и линии электропередач, доставляющие её потребителям; 5 - пункт следования судов; 6 - береговая линия для спуска древесины; 7 - часть водохранилища вблизи пляжа, используемая для отдыха и рекреации; 8 - судоходный шлюз; 9 - плотина; 10 - населённый пункт.

Большинство крупных, средних и многие небольшие водохранилища используются одновременно в нескольких целях, комплексно, причем со временем количество видов использования каждого водохранилища, как правило, увеличивается [22].

О комплексном использовании водохранилищ и предъявляемых к ним требованиях каждого их водопользователей уделено достаточно внимания многими авторами (например, П.С. Непорожний, Н.В. Арефьев, Н.В. Зарубаев).

Очевидно, что, чем больше используется водохранилище различными водопользователями, тем сложнее согласовать их многообразные интересы. Сложность использования комплексных водохранилищ определена в первую очередь противоречиями водопользователей или несовпадением в требованиях к режиму их эксплуатации.

Использование водохранилища в целях выработки электроэнергии требует поддержание более высоких уровней воды в целях получения максимальных напоров на гидроэлектростанциях и для нее нежелательны холостые сбросы воды, поскольку это вызывает потери в выработке электроэнергии [22].

Требования орошения сельскохозяйственных земель заключаются в поддержании уровня, который позволит в нужные периоды постоянный забор воды из водохранилищ в оросительные системы. Аналогичные требования к уровенному режиму водохранилищ и рек в нижних бьефах предъявляет водоснабжение [23].

Для речного транспорта и лесосплава необходимо поддержание гарантированных глубин на судоходных трассах и подходах к портам. Для водного транспорта неблагоприятны значительные и резкие колебания уровней воды, нарушающие устойчивость судовых прорезей и ухудшающие условия зимнего отстоя судов и работу лесосплавных сооружений [23].

Рыбное хозяйство заинтересовано в максимально возможном уменьшении величины зимней сработки водохранилищ для предотвращения зимних заморов и гибели рыбы. Также, рыбное хозяйство заинтересовано в уменьшении зимних колебаний уровня ниже плотин для обеспечения нормальных условий зимовки ценных видов рыб [24].

На основе вышеизложенного, при многоцелевом использовании водохранилищ удовлетворение в полном объеме требований для каждого из водопользователей водохозяйственных комплексов практически неосуществимо. Также выполнение или нарушение предъявляемых требований напрямую влияет на экономические показатели каждого из типов водопользования, на доходы или ущербы водопользователей.

1.4.4 Использование водных объектов для целей производства электроэнергии

Согласно Водному кодексу РФ использование водных объектов, в том числе водохранилищ, в целях производства электроэнергии осуществляется с учетом интересов других водопользователей и с соблюдением требований рационального использования и охраны водных объектов. Водопользователи, эксплуатирующие гидроэнергетические сооружения, обязаны обеспечить режим сработки и наполнения водохранилищ с учетом приоритета целей питьевого и хозяйственно-бытового водоснабжения [7].

Закон «Об охране окружающей среды» выделяет, что при размещении и эксплуатации гидроэлектростанций должны учитываться реальные потребности в электрической энергии соответствующих регионов, а также особенности рельефов местностей. При их размещении должны предусматриваться меры по сохранению водных объектов, водосборных площадей, водных биологических ресурсов, земель, почв, лесов и иной растительности, биологического разнообразия, обеспечиваться устойчивое функционирование естественных экологических систем, сохранение природных ландшафтов, особо охраняемых природных территорий и памятников природы [25].

В соответствии с законом «О безопасности гидротехнических сооружений», гидроэлектростанции отнесены к гидротехническим сооружениям и их собственник и эксплуатирующая организация обязаны:

          обеспечивать соблюдение норм и правил безопасности гидротехнических сооружений при их строительстве, вводе в эксплуатацию, эксплуатации, ремонте, реконструкции, консервации, выводе из эксплуатации и ликвидации;

обеспечивать контроль (мониторинг) за показателями состояния гидротехнического сооружения;

обеспечивать разработку и своевременное уточнение критериев безопасности гидротехнического сооружения;

развивать системы контроля за состоянием гидротехнического сооружения и др. [26].

.4.5 Использование водных объектов для целей водного и воздушного транспорта

Использование поверхностных водных объектов в качестве путей сообщения осуществляется согласно положениям Кодекса внутреннего водного транспорта Российской Федерации.

Относительно небольшая доля речного транспорта в общем грузообороте объясняется сезонностью его работы, несовпадением направлений внутренних водных путей и грузопотоков, ограниченностью речных бассейнов, как правило, малыми глубинами на незарегулированных участках, «ступенчатостью» глубин в пределах одного и того же бассейна, наличием перекатов, порожистых участков с большими скоростями течения, неустойчивостью судовых фарватеров. Устранить перечисленные недостатки внутренних водных путей можно лишь посредством строительства гидроузлов, каналов и создания больших водохранилищ [28].

Важнейшая качественная характеристика внутренних водных путей - гарантированные габариты судовых ходов - глубина, ширина и радиус закругления. Они гарантируются на всех внутренних водных путях, где объем перевозок оправдывает путевые работы по их поддержанию или где судовой ход в естественном состоянии пригоден для плавающих на данном участке судов. Оптимальное значение гарантированной глубины соответствует минимуму суммарных приведённых затрат по транспортному флоту и путевому хозяйству [29].

Согласно положениям Налогового кодекса РФ, пользователи поверхностных водных объектов в качестве путей сообщения, являются плательщиками водного налога [30].

При определении дохода от использования водного объекта для целей водного и воздушного транспорта необходимо учитывать площадь используемой водопользователем акватории, определённую по фарватеру.

.4.6 Использование водных объектов для сплава леса

Водопользователи, осуществляющие сплав древесины, обязаны регулярно проводить очистку водных объектов от затонувшей древесины, сплав же древесины без судовой тяги на водных объектах, используемых для судоходства, и молевой сплав (первоначальный лесосплав несвязанных между собой бревен) древесины на водных объектах запрещаются [7].

.4.7 Использование водных объектов для лечебных, оздоровительных и рекреационных целей

Водные объекты, содержащие природные лечебные ресурсы, используются для лечебных и оздоровительных целей и являются объектами охраны от загрязнения, истощения, деградации, порчи, уничтожения и иного негативного воздействия хозяйственной и иной деятельности [7].

Природные лечебные ресурсы являются государственной собственностью и могут принадлежать на праве собственности Российской Федерации либо принадлежать на праве собственности субъектам Российской Федерации. Природные лечебные ресурсы предоставляются в пользование юридическим и физическим лицам для лечения и профилактики заболеваний, а также в целях отдыха [32].

Водные объекты в силу своих характеристик представляют обширные возможности для отдыха, спорта и туризма. Эта предпосылка в совокупности с лучшей осведомлённостью органов местного самоуправления о рекреационных особенностях конкретных водных объектов и повлекла передачу разработки правил использования водных объектов для целей отдыха, спорта и туризма на уровень муниципальных образований. Важно, что проектирование, размещение, строительство, реконструкция, ввод в эксплуатацию и эксплуатация зданий, строений, сооружений для рекреационных целей, в том числе для обустройства пляжей, осуществляются в соответствии, как с водным законодательством, так и с законодательством о градостроительной деятельности [32, 33].

Доходы данного участника водохозяйственного комплекса зависят от площади акватории водного объекта, пригодной для использования в рекреационных целях.

.4.8 Использование водного объекта для целей рыболовства и охоты

Водные объекты или их части, являющиеся средой обитания объектов животного мира, отнесенных к объектам охоты, могут использоваться для целей охоты и ведения охотничьего хозяйства [7].

Любая деятельность, влекущая за собой изменение среды обитания объектов животного мира и ухудшение условий их размножения, нагула, отдыха и путей миграции, должна осуществляться с соблюдением требований, обеспечивающих охрану животного мира [34].

Грамотное использование водных объектов для целей рыбного хозяйства позволяет получать благоприятный эффект от образования мелководий при затоплении равнинных территорий вследствие создания водохранилищ.

Похожие работы на - Кадастровая оценка схемы комплексного использования и охраны водных объектов

 

Не нашли материал для своей работы?
Поможем написать уникальную работу
Без плагиата!
Без нейросетей!