Геодезические работы при межевании земельных участков
Содержание
Реферат
Введение
. Основные положения по геодезическим работам при межевании
.1 Цель и задачи геодезических работ при межевании
.1.1 Исходная основа для геодезических работ при
землеустройстве
.1.2 Требования к точности геодезических работ при землеустройстве
.1.3 Местные системы координат
.2 Применение теодолитов и проложение теодолитных ходов
.3 Применение электронных тахеометров при геодезических
измерениях
.4 Применение спутниковых навигационных систем при
геодезических измерениях
. Использование электронного тахеометра при межевании
земельных участков
.1 Классификация тахеометров
.2 Принцип работы электронного тахеометра
.3 Поверки электронного тахеометра
.4 Дополнительное оборудование и аксессуары комплекта
тахеометра
. Выполнение геодезических работ на примере образования
земельного участка расположенного в п. Надеево Вологодского района Вологодской
области
.1 Физико-географические условия района проведения работ
.2 Исходные данные
.3 Подготовительные работы
.4 Геодезические измерения
.5 Камеральная обработка результатов геодезический измерений
.6 Формирование межевого плана
Заключение
Список использованных источников
Приложение 1. Кадастровая выписка
Приложение 2. Схема расположения земельного участка
Приложение 3. Межевой план
Реферат
Выпускная квалификационная работа содержит 103 страницы, 41 рисунок, 4
таблицы, 1 график, 37 использованных источников, 3 приложения.
Межевание, геодезические измерения, координаты, участок,
тахеометр, землеустройство, анализ, обработка, опорная межевая сеть.
Объект исследования: геодезические работы на примере образования земельного
участка расположенного в п. Надеево Вологодского района Вологодской области.
Цель работы - рассмотрение комплекса геодезических работ при межевании
земельных участков
В процессе работы поставленные задачи решались с применением
реферативно-исследовательского метода, метода описательной статистики,
аналитического метода.
В результате исследования проанализирован комплекс геодезических работ
для межевания земельных участков.
Область применения: в практике работы кадастрового инженера.
Введение
В сложном процессе землеустройства большое место отводится геодезическим
работам.
Для проведения землеустроительных мероприятий нужны планы, карты и
профили, получаемые в результате выполнения геодезических работ. При
составлении землеустроительных проектов используют геодезические приборы и
методы. Наконец, применяя геодезические способы работ, переносят на местность
границы спроектированных объектов землеустройства (участки, и другие объекты).
Для любого межевания земельного участка необходимо выполнение
геодезических работ по съемке границ земельных участков. Для этого, в
соответствии с [14] предварительно составляется технический проект производства
топографо-геодезических работ. В таком проекте должны быть использованы
наиболее рациональные и современные методы выполнения геодезических работ,
основанные на электронных технологиях и спутниковых системах определения
координат. Поэтому тема дипломной работы является актуальной.
Межевание объекта включает следующие виды работ:
определение (установление) по местности границ земельного участка;
согласование границ участка со смежными землепользователями;
закрепление границ межевыми знаками установленного образца;
съемку поворотных и узловых точек границы земельного участка и
определение их координат;
· составление плана земельного участка.
При составлении дипломной работы использовались следующие материалы:
Aкт установления и согласования границ земельного участка;
Кадастровая выписка на смежный земельный участок;
Межевой план.
Целью работы является рассмотрение комплекса геодезических работ при
межевании земельных участков на примере образования земельного участка
расположенного в п. Надеево Вологодского района Вологодской области.
Для достижения цели в работе поставлены и решены следующие задачи:
. Рассмотрение основных положений по геодезическим работам при
Землеустройстве.
2. Использование электронного тахеометра при межевании земельных
участков.
. Порядок работ при межевании земельных участков.
Теоретическую основу выпускной квалификационной работы составили Законы
Российской Федерации, Постановления Правительства Российской Федерации, учебная
литература в области теории геодезических, кадастровых и землеустроительных
работ.
Выпускная квалификационная работа состоит из введения, трех глав,
заключения, списка использованных источников и приложений.
1.
Основные положения по геодезическим работам при межевании
.1 Цель и
задачи геодезических работ при межевании
Межевание земельного участка - комплекс работ по
установлению, восстановлению на местности границы земельного участка с
закреплением ее поворотных точек межевыми знаками и определению их плоских
прямоугольных координат, а также площади земельного участка [21].
Целью межевания земельных участков является
определение их местоположения и площади.
Межевание земельных участков включает следующие виды работ:
уведомление лиц, права которых могут быть затронуты при проведении
межевания;
определение положения границ земельного участка на местности, их
согласование и закрепление межевыми знаками установленного образца;
съемку поворотных и узловых точек границы земельного участка, определение
их координат;
определение площади земельного участка;
составление межевого плана земельного участка [15].
Для проведения любого мероприятия, связанного с
использованием земли требуются: изучение земной поверхности (форм рельефа,
места расположения различных объектов), производство специальных измерений, их
вычислительная обработка и составление карт, планов, профилей, которые служат
основной продукцией геодезических работ и дают представление о форме и размере
поверхности всей Земли или ее отдельных частей.
В задачу геодезии входит:
измерение линий и углов на поверхности Земли, под
землей (в шахтах, туннелях), над землей (при аэрофотосъемке), использовании
искусственных спутников Земли (ИСЗ), ракетно-космической техники, с помощью
специальных геодезических приборов;
вычислительная обработка результатов измерений и
создание цифровых моделей местности с использованием электронно-вычислительной
техники;
- графическое построение и оформление карт, планов и профилей с
использованием машинной графики (графопостроителей, принтеров);
использование результатов измерений и графических построений при решении
задач промышленного, сельскохозяйственного, транспортного, культурного
строительства, научных исследований, землеустройства, земельного и других
кадастров [16].
Проведение мероприятий по землеустройству всегда начинается с определения
местоположения объекта землеустройства и составления или изучения плана (карты)
этого объекта. В отчетной документации по землеустройству обязательно
представляется проектный план, который является самостоятельным
землеустроительным документом [4].
Для изготовления планов (карт), определения координат поворотных точек,
нахождения границ земельных участков, вычисления площадей, перенесения границ
земельных участков на местность проводятся геодезические работы.
Геодезические работы подразделяются на полевые и камеральные.
Главным содержанием полевых работ являются измерения на местности, а
камеральных - вычисления и создание различных картографических материалов.
На местности измеряются горизонтальные и вертикальные углы, наклонные,
горизонтальные и вертикальные расстояния. Для измерений применяют теодолиты,
нивелиры, тахеометры, дальномеры, мерные ленты, рулетки и проволоки и т.п.
результаты измерений записываются в журналы установленной формы или
запоминаются в модуле памяти прибора. При этом одновременно составляется
схематический чертеж (абрис).
Вычисления заключаются в математической обработке результатов измерений.
Для вычислений применяются таблицы, графики, номограммы, различные
вычислительные машины, компьютеры.
По результатам геодезических измерений составляются картографические и
графические материалы.
Картографические материалы включают:
) топографические карты и планы;
2) планы (карты) границ земельных участков;
) цифровые модели местности;
) электронные карты (планы).
Эти картографические материалы создаются на основе результатов измерений
и вычислений [9].
В результате геодезических работ получают следующие геодезические данные:
) плоские прямоугольные координаты поворотных точек границ земельного
участка;
2) горизонтальные проложения и дирекционные углы между смежными
поворотными точками;
) площадь земельного участка.
Геодезические данные показываются на плане (карте) земельного участка и
плане (карте) границ земельного участка.
Целью геодезических работ является - установление (восстановление) границ
земельных участков с закреплением поворотных точек межевыми знаками,
определение плоских прямоугольных координат этих точек и дирекционных углов с
одной точки на другую, вычисление площадей земельных участков [30].
.1.1
Исходная основа для геодезических работ при землеустройстве
Для проведения геодезических работ при землеустройстве используется
исходная основа, состоящая из геодезических сетей и топографических карт
(планов).
Геодезическая сеть представляет собой совокупность геодезических пунктов,
расположенных и закрепленных на местности специальными центрами и
геодезическими знаками [18].
Геодезическая сеть подразделяется на государственную геодезическую
сеть (ГГС), специальную геодезическую сеть (СГС) и геодезические
съемочные сети.
Все эти сети разделяются на плановые сети и высотные сети.
Государственная геодезическая сеть является основой для проведения
геодезических работ на всей территории страны. Она представляет собой
структуру, в которую входят геодезические построения различных классов
точности:
) фундаментальная астрономо-геодезическая сеть;
2) высокоточная геодезическая сеть;
) спутниковая геодезическая сеть 1 класса;
) астрономо-геодезическая сеть и 2 геодезические сети
сгущения[35].
Высший уровень в структуре ГГС занимает фундаментальная
астрономо-геодезическая сеть. На ее основе создаются остальные сети. Для
геодезических работ при землеустройстве, в основном, используются геодезические
сети сгущения 3 и 4 классов точности. Плотность пунктов этих сетей составляет 1
пункт на 20км 2 (среднее расстояние между пунктами 3…6км). Точность положения
пунктов характеризуется средней квадратической погрешностью не более 0,05м. В
случаях, когда такая точность и плотность не обеспечивает качественного
выполнения геодезических работ, создается специальная геодезическая сеть в виде
опорной межевой сети (ОМС). В городах для установления (восстановления) границ
земельных участков как объектов недвижимости создают ОМС 1, а в черте других
поселений и на землях сельскохозяйственного назначения ОМС 2. При этом
плотность пунктов должна быть не менее:
) четырех на 1км 2 - в черте города (ОМС 1);
2) двух на 1км 2 - в черте других поселений (ОМС 2);
) четырех на один населенный пункт - в поселениях площадью менее
2км 2;
) на землях сельскохозяйственного назначения и других землях -
число пунктов устанавливается на основе технического проекта.
Средние квадратические погрешности взаимного положения пунктов не должны
превышать для ОМС 1 - 0,05м, ОМС 2 - 0,10м [27].
Геодезическую съемочную сеть или межевую съемочную сеть создают с целью
сгущения ОМС для использования в качестве геодезической основы при
геодезических работах. Точность положения и плотность точек межевой съемочной
сети устанавливается заданием на проведение геодезических работ.
Опорная межевая сеть является геодезической сетью специального назначения
и предназначена:
) для установления единой координатной основы на территориях
кадастровых округов с целью ведения кадастра объектов недвижимости,
государственного реестра земель кадастрового округа (района); мониторинга
земель;
2) создания земельных информационных систем и др.;
) землеустройства с целью формирования рациональной системы
землевладения и землепользования, межевания земельных участков;
) обеспечения государственного земельного кадастра данными о
количестве, качестве и месторасположении земель для установления их цены, платы
за пользование, экономического стимулирования рационального землепользования;
) разработки системы мероприятий по сохранению природных
ландшафтов, восстановления и повышения плодородия почв, защиты земель от эрозии
и др.;
) инвентаризации земель различного назначения;
) решения других вопросов государственного земельного кадастра,
землеустройства и государственного мониторинга земель [31].
Для первоначального изучения местности, рекогносцировки, обзорных целей,
эскизных решений при геодезических работах используются топографические карты
масштаба 1: 10000, 1: 25000, 1: 50000, 1: 100000 и аэрофотоснимки. Карты
создаются равноугольной проекции Гаусса-Крюгера. Высоты точек местности даны от
уровня Балтийского моря, точнее, от нуля Кронштадского футштока.
Для удобства пользования картами на каждом листе нанесена прямоугольная
координатная сетка, а рамки листа карты разбиваются на минуты и 10 секундные
деления широты и долготы.
Топографические карты создаются по материалам аэрофотосъемки или по
картографическим материалам более крупных масштабов. Точность картографических
карт характеризуется средней погрешностью (круговой) в положении на карте
местных предметов и контуров в равнинной и холмистой местности не более 0,5мм,
в горных, высокогорных и пустынных районах -0,75мм. Приведенные погрешности
характеризуют положения контуров и местных предметов относительно пунктов
геодезических сетей, но так как погрешности в положении этих пунктов малы, то
можно считать, сто указанные значения характеризуют абсолютные погрешности в
положении контуров и местных предметов на карте.
.1.2
Требования к точности геодезических работ при землеустройстве
При геодезических работах проводятся измерения, графические построения
и аналитические расчеты, которые неизбежно сопровождаются погрешностями.
Поэтому абсолютно точных геодезических работ не существует. Погрешности
определения координат межевых знаков, поворотных точек земельных
участков и дирекционных углов их сторон ведут к искажению размеров и форм
участков. Эти искажения ухудшают условия производственной деятельности
сельскохозяйственных предприятий и нарушают их экономическую
целесообразность [20].
Точность выполнения геодезических работ при землеустройстве зависит от
взятой исходной основы, выбранного способа измерения, применяемого при этом
геодезического прибора и квалификации исполнителя, а также от
физико-географических условий местности и погоды. Геодезические работы должны
осуществляться в соответствии с заданием на их проведение, но так, чтобы
обеспечивали точностные требования и экономическую целесообразность.
Требования к точности геодезических работ различают в зависимости от
хозяйственного значения участков, на которых они выполняются, и их особенностей
[19].
Приведенные погрешности необходимо учитывать при планировании,
организации и проведении геодезических работ.
.1.3
Местные системы координат
Для составления землеустроительных карт (планов), ведения земельного
кадастра, определения координат точек границ земельных участков очень часто
применяют местные системы координат, задается в пределах района, города
территории кадастрового округа. Местная система плоских прямоугольных координат
является системой плоских прямоугольных геодезических координат с местными
координатами сетками проекции Гаусса. Осевой меридиан местной системы
координат, как правило, не совпадает с осевым меридианом шестиградусной зоны,
поэтому в определении местной системы координат указана проекция Гаусса, а не
Гаусса-Крюгера. При разработке местных систем координат используют параметры
эллипсоида Красовского и применяют Балтийскую систему высот [12].
Местные системы координат имеют название. Названием системы может
являться ее номер, равный, на пример, коду (номеру) субъекта РФ или города,
устанавливаемому в соответствии с "Общероссийским классификатором объектов
административно - территориального деления". В каждой местной системе
координат устанавливаются следующие параметры координатной сетки проекции
Гаусса:
) Долгота осевого меридиана первой зоны L0;
2) Число координатных зон N;
) Угол поворота осей координат местной системы относительно
государственной в точке местного начала координат;
) Масштаб местной системы координат относительно плоской
прямоугольной системы геодезических координат;
) Высота Н 0 поверхности (плоскости) принятой за исходную, к
которой приведены измерения и координаты в местной системе;
) Референц-эллипсоиду, к которому отнесены измерения в местной
системе координат;
) Соответствующие формулы преобразования плоских прямоугольных
геодезических координат.
Совокупность указанных параметров называют ключом местной системы
координат. Если в местной системе координат несколько координатных зон проекции
Гаусса, то расстояние по долготе между соседними осевыми меридианами (ширина
координатной зоны) составляет 3о.
.2
Применение теодолитов и проложение теодолитных ходов
Теодолит - геодезический инструмент для определения направлений и
измерения горизонтальных и вертикальных углов при геодезических работах,
топографических и маркшейдерских съёмках, в строительстве и т. п. Основной
рабочей мерой в теодолите служат горизонтальный и вертикальный круги с
градусными минутными и секундными делениями (рисунок 1.2.1).
Рисунок 1.2.1 - Оптический теодолит
По точности теодолиты делят на высокоточные, точные и
технические.
К высокоточным относят теодолиты, одно измерение угла
которыми в лабораторных условиях может содержать среднюю квадратическую ошибку,
не превышающую 1,0".
Средняя квадратическая ошибка одного измерения угла в
лабораторных условиях точными теодолитами в зависимости от конструкции
теодолитов колеблется от 2 до 5".
Средняя квадратическая ошибка одного измерения угла
при тех же условиях техническими теодолитами не должна превышать 30".
Марка теодолита соответствует eгo точности. Если
средняя квадратическая ошибка одного измерения угла данным теодолитом
составляет 5", его называют Т 5, если ошибка равна 30", теодолит
называют Т 30 и т, д.
В высокоточных, точных и некоторых технических
теодолитах на алидаде вертикального круга устанавливается контактный уровень,
но вместо уровня может применятся маятниковый компенсатор. В этом случае в шифр
теодолита добавляется буква К, например Т 5К.
Угломерный прибор дает правильные показания, если его
оси и плоскости занимают положение, соответствующее геометрическим и
оптико-механическим условиям измерения углов; периодически соблюдение этих
условий проверяют. Проверка прибора сопровождается его регулировкой
(юстировкой). Юстировку выполняют при помощи исправительных и регулировочных
винтов. Основные поверки теодолитов следующие:
. Ось цилиндрического уровня на алидаде
горизонтального круга должна, быть перпендикулярна к оси вращения теодолита.
. Вертикальная нить сетки должна лежать в отвесной
плоскости.
. Визирная ось зрительной трубы должна быть
перпендикулярна оси ее вращения.
. Ось вращения зрительной трубы должна быть
перпендикулярна к вертикальной оси вращения теодолита [17].
Подготовка теодолита к работе
Сначала устанавливается и регулируется штатив. Верхняя
часть штатива (головка) должна быть горизонтальна плоскости, на которой
располагается, а высота соответствовала росту наблюдателя. После того как был
установлен штатив закрепляется теодолит (в футляре) с помощью станового винта.
На крючок станового винта подвешивается нитяной отвес. Длина нити отвеса
регулируется перемещением планки вдоль нити. Отклонение острия отвеса от точки
местности не должно превышать 1-3 мм. Затем цилиндрический уровень при алидаде
приводится в положение параллельное двум подъемным винтам и при их одновременном
вращение (во внутрь или наружу) устанавливается уровень (пузырек в середине
ампулы). После чего алидада разворачивается на 90о и опять устанавливается
уровень, вращая третий винт. Такая операция проводится до тех пор, пока при
любом положение алидады пузырек уровня не будет отклоняться больше чем на одно
деление.
Измерение горизонтальных углов:
) Способ приемов
2) Способ круговых приемов
Способ круговых приемов применяется в том случаи когда
необходимо измерить углы находясь в одной точке. Сущность метода состоит в
следующем.
Измерения углов наклона
Теодолитом можно измерить не только горизонтальные
углы, но и вертикальные. Измерение углов наклона происходит при помощи
вертикального круга. Углы могут быть положительными и отрицательными в зависимости
от расположения трубы (выше или ниже относительно линии горизонта трубы).
Измерения угла происходит как правило при двух
положениях трубы "круг слева" и "круг справа". Отсчеты
снимаются после наведения горизонтальной нити сетки зрительной трубы на нужную
цель с вертикального круга, причем при снятие отсчета для положение трубы
"круг справа" минуты отсчитываются не как обычно (слева направо), а
справа налево.
Измерения расстояния
При помощи теодолита можно измерять расстояние до
рейки. Для этого имеются два коротких горизонтальных штриха в поле зрения
зрительной трубы, они называются дальномерные нити. При наведение на рейку,
которая имеет сантиметровые деления, оценивается длина рейки расположенную
между дальномерными нитями. Эта длина определяется разностью отсчетов, из
показаний нижней нити (L//) снимают показания верхней. Чтобы вычислить
расстояние до рейки надо найденную длину L умножить на 100.
Теодолитным ходом (рисунок 1.2.1.1) называют систему закрепленных в
натуре точек, например, 1, 4, 5, координаты которых определены из измерения
углов β
и расстояний D.
Рисунок 1.2.1.1 - Схема теодолитного хода
Проложение теодолитных ходов начинают с
рекогносцировки местности, в целях изучения ее для наиболее выгодного выбора
направления запроектированных теодолитных ходов. Осматривают все имеющиеся на
данной территории пункты государственной, местной съемочной сети и намечают
местоположение всех поворотных точек хода; при этом отмечают такие постоянные
предметы местности (столбы, вышки, трубы и др.), координаты которых
определяются попутно с проложением теодолитного хода, уточняют границы участка,
который должен быть снят с данного теодолитного хода.
Теодолитные хода должны прокладываться по местности, наиболее
благоприятной для производства угловых и линейных измерений.
При съемке точки теодолитных ходов располагаются в местах с хорошим
обзором местности, между соседними вершинами теодолитного хода должна
обеспечиваться хорошая взаимная видимость. Длины сторон теодолитных ходов не
должны быть более 350 м и менее 20 м.
Вершины теодолитных ходов закрепляются на местности в основном временными
знаками - деревянными кольями, забиваемыми вровень с поверхностью земли; центр
обозначается крестообразной насечкой в торце кола либо гвоздем. В качестве
временных знаков могут использоваться также металлические штыри, костыли и
трубки либо гвозди, вбитые в пни деревьев, а также валуны, на которых масляной
краской наносятся кресты. Для облегчения отыскания точек рядом с ними забивали
сторожки- деревянные колья, выступающие над поверхностью земли на 30 - 35 см;
на сторожках подписывают номера точек и дату их закладки.
Поворотные точки выбираются так, чтобы обеспечивались
удобство постановки прибора, видимость соседних вех, максимальную возможность
использования их при съемке подробностей местности и позволяли бы определять с
них переходные точки.
В зависимости от количества пунктов государственной геодезической сети,
удаленности их от точек теодолитного хода привязку производят разными способами.
Например, пункты государственной геодезической сети II, III включают в
теодолитный ход, измеряют примычные углы β1 и β2 и линии DII-1, DIII-4
(рисунок 1.2.1.2).
Рисунок 1.2.1.2 - Схема привязки теодолитного хода к твердым пунктам
Теодолитные хода подразделяются на:
замкнутые;
разомкнутые;
висячие;
свободные.
Проложение теодолитных ходов начинается с закрепления на местности
колышками или деревянными столбами вершин углов поворота.
Точки углов поворота теодолитных ходов выбирают так, чтобы стороны между
соседними точками было удобно измерять, а длины их были бы не более 350 м и не
менее 20 м. Линии измеряют дважды, в прямом и обратном направлениях, с
относительными ошибками не более 1:3000, 1:2000 и 1: 1500 в зависимости от
условий местности, на которой измеряются линии. Длина теодолитного хода
допускается при съемке масштаба 1:5000 - 4 км; 1: 2000 - 2 км; 1:1000 - 1 км.
Углы поворота в теодолитных ходах измеряют обычно вправо по ходу лежащие.
Измерения выполняются при двух положениях вертикального круга и за
окончательный результат принимается среднее из двух измерений, если разница из
этих измерений не превышает двойной точности прибора. Углы наклона линий
измеряют с помощью вертикального круга. Результаты угловых и линейных измерений
записывают в журнал установленной формы.
Число сторон в висячих теодолитных ходах на незастроенной территории
должно быть не более трех, а на застроенной - не более четырех.
При привязке теодолитных ходов к исходным пунктам измеряются два
примычных угла. Сумма измеренных примычных углов не должна отличаться от
значения, полученного по исходным данным, более чем на 1 минуту.
Одновременно с измерением горизонтальных углов измеряются одним приемом
вертикальные углы и вводятся поправки за приведение длин линий к горизонту при
углах наклона более 1,5 градус [4].
1.3
Применение электронных тахеометров при геодезических измерениях
При производстве большинства геодезических работ, как правило, требуется
выполнять как угловые, так и линейные измерения, для чего обычно использовались
оптические тахеометры. Еще в конце XIX века венгерский геодезист Тихи ввел в
обиход слово "тахеометр", которое в переводе с греческого языка
означает "быстроизмеряющий".
Позднее для этих целей стали использовать светодальномеры и теодолиты.
Когда были созданы компактные светодальномеры, то конструкция их
предусматривала возможность установки на теодолит. И в настоящее время
конструкции светодальномеров, выпускаемых Уральским оптико-механическим
заводом, предусматривают возможность их установки на теодолит. Позднее начали
выпускаться приборы в общем корпусе для оптического теодолита и
светодальномера. Мощным толчком в геодезическом приборостроении стал выпуск
электронного тахеометра АСА-136 (Швеция), в котором оптическая система отсчета
углов была заменена на электронную, т. е. в едином корпусе размещался прибор,
который совмещал функции светодальномера и цифрового теодолита. В дальнейшем в
электронный тахеометр был введен полевой компьютер, открыв тем самым начало выпуска
компьютезированных электронных тахеометров. Использование электронных
тахеометров позволило полностью отказаться от ведения полевого журнала.
В современные приборы начали встраивать мощные полевые компьютеры для
обработки результатов измерений и решения непосредственно в поле типовых
геодезических задач, расширились потенциальные возможности приборов за счет
значительного улучшения технических характеристик.
Каждый электронный тахеометр (рисунок 1.3.1) имеет зрительную трубу, блок
измерения расстояний (светодальномер), блок измерения углов (цифровой теодолит)
и спецвычислитель, в который встроены программы для решения непосредственно в
поле типовых геодезических задач.
Рисунок 1.3.1- Электронный тахеометр
Встроенное программное обеспечение большинства электронных тахеометров
позволяет решать целый ряд геодезических задач. Например, электронные
тахеометры фирмы Sokкiа (Япония), которые отличаются высокой надежностью и
точностью, имеют программное обеспечение, позволяющее решать следующие задачи:
определять горизонтальное проложение и превышение;
решать прямую и обратную геодезические задачи;
выполнять контроль замыкания ходов;
вычислять превышения и расстояния между неприступными точками, определять
высоту объектов, на которые невозможно установить отражатель, например, линии
электропередачи, высотные здания, стены и т.д.;
выполнять расчет площади и периметра снимаемого участка;
помещать в отдельный список для последующего быстрого поиска выносимые в
натуру точки;
осуществлять вынос в натуру точек по углу и расстоянию, по координатам,
по створу между двумя точками на задаваемую вертикальную или наклонную
плоскость [11].
В последние годы появились электронные тахеометры, работающие без
отражателей с дальностью действия более 1 км и наиболее сложные, с
автоматическим поиском цели. Как правило, все электронные тахеометры с
сервоприводом сейчас могут включать в себя опции безотражательного дальномера.
При безотражательном режиме работы с прибором работает один человек. Применение
таких приборов особенно эффективно на закрытых территориях. При этом очень
быстро производятся измерения до различных вертикально стоящих объектов,
например, зданий, деревьев, столбов и т. д., так как не требуется переставлять
отражатель.
Необходимо отметить, что использование безотражательных электронных
тахеометров не только увеличивает производительность работ, но при этом
повышается и безопасность их выполнения. Последнее особенно важно, когда
выполняются работы вблизи мест оживленного движения транспорта.
Безотражательные электронные тахеометры позволяют геодезистам измерять объекты,
оставаясь вне опасных зон. С помощью этих приборов легко измерять недоступные
обычному дальномеру точки, производить съемку на опасных для установки
отражателя объектах, например, дорогах, мостах и т. д., так как нет
необходимости перекрывать движение транспорта и при этом соблюдается полная
безопасность работ. Способность выполнять безотражательные измерения на большие
расстояния особенно важна при съемке фасадов здания с высокой точностью. Эти
приборы могут применяться для задания и развития съемочного обоснования, выноса
проекта в натуру, управления и слежения за строительной техникой, а также для
съемочных работ и др.
Все приборы достаточно просты в управлении и, как правило, имеют
двухстороннюю алфавитно-цифровую клавиатуру. Клавиши меню обеспечивают
управление проектами съемки, функциями координатной геометрии, настройками
инструмента, просмотром и редактированием данных и т. д. Электронные тахеометры
снабжены компактными визирными трубами, служащими для приема и передачи
оптических сигналов при светодальномерных измерениях. Они имеют совмещенную
оптику, центральная часть которой является передающей, а периферийная -
приемной. При использовании такой конструкции уровень сигнала, отраженного от
марки или диффузного отражателя, не меняется (если угол наклона не более 30°),
что позволяет обеспечить высокую точность линейных измерений. Зондирующий пучок
лазерного излучения имеет малый диаметр, и поэтому позволяет выполнять
измерения сквозь листву деревьев и сетчатые ограждения, а также при отражении
от измеряемой поверхности под острым углом. В некоторых электронных тахеометрах
используется видимый луч (световой гид) в качестве соосного лазерного
целеуказателя, позволяющего выполнять измерения внутри помещений. Он безопасен
для глаз даже при визировании на него с помощью зрительной трубы. В отдельных
тахеометрах также используются дополнительные лазерные указатели. Такой
указатель обычно устанавливают над объективом зрительной трубы. Он излучает два
пучка красного цвета, один из которых непрерывный, а другой - мерцающий, что
позволяет речнику быстро встать в створ. Эту устройство особенно эффективно при
плохих условиях освещенности, так как помогает легко обнаружить цель, а также
увеличивает скорость работ при выносе точек в натуру.
Для связи с компьютером можно использовать несколько форматов передачи
данных, что обеспечивает работу прибора с различным программным обеспечением. С
использованием простого программного обеспечения, входящего в комплект
тахеометра, данные могут загружаться из компьютера в электронный тахеометр.
Как и цифровые теодолиты, электронные тахеометры снабжены двухосевыми
датчиками угла наклона, работающими в диапазоне 3’-5’Двухосевой датчик наклона
автоматически отслеживает наклон инструмента по осям X и У, а поправки в
отсчеты по вертикальному и горизонтальному кругам вводятся автоматически. В
результате упрощается и ускоряется процесс приведения прибора в рабочее
положение (приведение вертикальной оси вращения алидады в вертикальное
положение). Функция исправления коллимационных ошибок автоматически вводит
коррекцию в измеряемые направления. По этой причине угловые измерения можно
выполнять при одном положении круга без снижения точности результатов измерений.
Они снабжены оптическим или лазерным центриром.
Современные электронные тахеометры имеют водостойкую защиту,
обеспечивающую бесперебойную работу прибора при условии повышенной влажности.
Стандартная рабочая температура для электронных тахеометров составляет от -20
°С до +50 °С. Для низкотемпературных модификаций приборов рабочий диапазон
температур составляет от -30 °С до +50 °С.
Таким образом, современные электронные тахеометры являются всепогодными,
так как работают в условиях экстремальных температур и повышенной влажности.
.4
Применение спутниковых навигационных систем при геодезических измерениях
геодезический теодолит тахеометр межевание
При выполнении геодезических измерений на земной поверхности в основном
используются теодолиты, нивелиры и электронные тахеометры. Все эти приборы
достигли достаточно большого совершенства и работают в оптическом диапазоне
электромагнитных волн. Дальнейшее повышение точности геодезических измерений в
основном ограничено влиянием атмосферы, а не техническими возможностями
высокоточных приборов. Повышение точности наземных геодезических измерений с
помощью традиционных геодезических приборов возможно только при условии
использования методов измерений, учитывающих влияние атмосферы.
Другой путь повышения эффективности геодезических измерений -
использование спутниковых методов измерений с применением в качестве опорных
точек мгновенных положений искусственных спутников Земли [37].
В настоящее время для определения местоположения на земной поверхности
обычно измеряют расстояние между наземным пунктом и спутником, а также скорость
изменения этого расстояния при прохождении спутника. Расстояния рассчитывают,
исходя из времени, которое затрачивает электромагнитный сигнал (лазерная
вспышка или радиоимпульс) на прохождение пути от спутника до принимающей
станции при условии, что скорость распространения сигнала известна. Скорость
изменения расстояния между спутником и принимающей станцией определяется по
величине наблюдаемого доплеровского сдвига частоты - изменения частоты сигнала,
поступающего со спутника. Вводятся поправки за атмосферную задержку сигнала и
рефракцию. Основной принцип спутниковой геодезии - это использование
трилатерации, т.е. измеряются расстояния до спутников, являющихся точками
отсчета для вычисления координат на Земле. Все остальное, что относится к
системе, - всего лишь технические решения, предназначенные для облегчения этого
процесса, для того чтобы выполнить его точнее и проще [8].
Наиболее перспективными космическими системами, использующими указанные
принципы измерений и служащими для решения геодезических задач, являются
системы глобального определения местоположения ГЛОНАСС (РФ), GPS (США), Beidou (Китай) и Galileo (европейская система). Эти системы
являются исключительно точным инструментом для решения прикладных задач
геодезии, геофизики и землепользования. Они предназначены для высокоточного
определения трех координат места, составляющих вектора скорости и времени
различных подвижных объектов. Наиболее используемой в настоящее время является спутниковая
система GPS (Global Positioning System), с которой связано появление нового термина -
позиционирование (positioning). Под
позиционированием понимается определение местоположения объекта, скорости его
перемещения, пространственного вектора между пунктами наблюдения и точного
времени определения его местоположения.
Основными достоинствами спутникового позиционирования являются
всепогодность, глобальность, оперативность, точность и эффективность. Эти
качества зависят от баллистического построения системы, высокой стабильности
бортовых эталонов частоты, выбора сигнала и способов его обработки, а также от
способов устранения и компенсации погрешностей. Параметры систем и их отдельных
элементов, а также математическое обеспечение выбираются так, чтобы ошибка
навигационных определений по координатам была не более 10 м, а по скорости до
0,05 м/с.
Геодезический сегмент потребителей состоит из геодезических приёмников,
пакетов программного обеспечения, наземных постоянно действующих базовых
станций (сетей), сообщества пользователей. Всю аппаратуру, принимающую
радионавигационные сигналы спутников, по назначению, определяемым величинам и
точностным характеристикам можно подразделить на геодезическую, навигационную и
туристско-бытовую. Современные системы спутникового позиционирования состоят из
трех частей, получивших название секторов (подсистем) (рис. 1.4.1):
космический сектор, включающий в себя набор спутников, который
называют "созвездием";
- сектор управления и контроля, состоящий из центральной (ведущей)
станции и нескольких станций слежения, расположенных в разных точках земного
шара. Кроме того, имеются средства развертывания и восполнения системы
(космодром);
сектор пользователей, включающий в себя широко распространенную
аппаратуру пользователей [7].
Рисунок 1.4.1 - Сектора спутниковой системы навигации
Современные спутниковые приемники (рисунок 1.4.2) имеют программу,
которая анализирует относительное положение всех доступных для наблюдения
спутников и выбирает из них четыре, расположенные наилучшим образом, которые и
используются для определения координат точки. Более точные результаты получают,
когда выполняют обработку измеренных расстояний до всех спутников, находящихся
в поле зрения.
Поэтому одним из важнейших направлений совершенствования и развития
спутниковой радионавигации является совместное использование сигналов ГЛОНАСС и
GPS, а в будущем - Galileo и Beidou . Основные цели этого
процесса - повышение точности и надежности (доступности, непрерывности обслуживания
и целостности) навигационных определений.
Для определения координат точек местности с точностью удовлетворяющей
геодезическим требованиям, применяются специальные геодезические приёмники.
Такие приёмник осуществляют захват сигнала от навигационных спутников, измеряют
по фазе несущей частоты псевдодальность, по ней и по дополнительно полученной
информации вычисляются координаты.
Рисунок 1.4.2 - Комплект спутникового оборудования
По сложности технических решений и объему аппаратных затрат спутниковые
приемники разделяют на:
одноканальные (в том числе мультиплексные, приемник очень быстро
переключается между сигналами орбитальной группировки), которые в каждый
текущий момент времени ведут прием и обработку радиосигнала только одного
спутника, и
- многоканальные, позволяющие одновременно принимать и
обрабатывать сигналы нескольких спутников.
В геодезии используются фазовые приёмники, так как в настоящее время
только они обеспечивают миллиметровую и сантиметровую точность позицирования.
В настоящее время в основном выпускаются многоканальные приемники.
Кроме того, приемники можно разделить на:
односистемные, принимающие сигналы GPS;
двухсистемные, принимающие сигналы ГЛОНАСС и GPS;
мультисистемные.
Односистемная спутниковая аппаратура
К односистемной спутниковой аппаратуре следует относить спутниковые
приемники и антенны способные принимать спутниковые сигналы, от какой либо
одной СРНС. Например, NAVSTAR - GPS (США) или ГЛОНАСС (Россия). Разработчики в
технических характеристиках на спутниковую аппаратуру указывают СРНС сигналы,
которых принимает и обрабатывает данная аппаратура. Отдельные фирмы указывают
СРНС в названии модели приемника. Например, фирма TOPCON выпускает
односистемный приемник Legasy HGD (символ H обозначает укороченный корпус,
символ G обозначает СРНС GPS, а символ D обозначает измерение изменения частоты
за счет эффекта Доплера).
Двухсистемная спутниковая аппаратура принимает и обрабатывает сигнал от
двух СРНС. Например, GPS и ГЛОНАСС, GPS и GALILEO (Евросоюз). Фирма Javad
выпускает двухсистемный приемник Legasy GGD (первый символ G обозначает СРНС
GPS, второй ГЛОНАСС). Двухсистемная спутниковая аппаратура имеет большее число
каналов и способна отслеживать большее количество спутников.
Например, двухсистемный приемник Legasy GGD имеет 40 каналов (20 каналов
для спутников GPS и 20 каналов для спутников ГЛОНАСС. Для выполнения
спутниковых измерений на пунктах ФАГС (Фундаментальная астрономогеодезическая
сеть), ВГС (Высокоточная геодезическая сеть) и постоянно действующих станциях
(ПДС) используется только двухсистемная или мультисистемная спутниковая
аппаратура.
Мультисистемная спутниковая аппаратура принимает и обрабатывает сигнал
более чем от двух ГНСС (Глобальная Навигационная Спутниковая Система) GPS,
ГЛОНАСС, GALILEO, COMPASS (Китай) и может отслеживать спутники различных
Региональных Навигационных спутниковых систем QZSS (Япония), Beidou (Китай),
IRNSS (Индия) и т. д. [37].
В зависимости от вида принимаемых и обрабатываемых сигналов приемники
делятся на:
одночастотные, кодовые, работающие по С/А-коду;
- двухчастотные, кодовые;
одночастотные кодово-фазовые;
двухчастотные кодово-фазовые.
В геодезических работах в основном используются кодово-фазовые
двухчастотные и одночастотные приемники. В последние годы из них все большее
распространение имеют двухсистемные приемники, обеспечивающие более высокую
точность и надежность измерений. Это объясняется тем, что в северных широтах
российская система ГЛОНАСС, разрабатывавшаяся для навигации, связи и наведения,
действует в 1,3-2,5 раз точнее, чем американская система Navstar. В средней и южной полосах России
это преимущество ГЛОНАСС перед американской системой сведено на нет, зато
преимущество Navstar - в числе спутников, сигналы с
которых одновременно "прослушивает" навигационный приемник.
Системы спутниковых определений координат первоначально развивались для
навигационных целей и обеспечивали точность, не превышающую нескольких метров.
Однако современные геодезические приёмники, методы математической обработки
позволяют определять плановые координаты с погрешностями 5... 10 мм, высотные -
15...30 мм и меньше. Их точность удовлетворяет требованиям построения опорных
геодезических и межевых сетей, обеспечения кадастровых, землеустроительных,
изыскательских и других инженерно-геодезических работ. При этом не требуется
обеспечивать взаимную видимость между пунктами, строить над ними высокие
сигналы, проводить комплекс точных угловых и линейных измерений. Спутниковые
измерения выполняются в любых погодных условиях в течение нескольких минут, что
существенно упростило производство полевых работ. Однако для наблюдения
навигационных спутников (НС) небесный свод над приёмником должен быть
достаточно свободен от застройки и растительности.
Наземный комплекс управления и контроля в GPS состоит из сети станций
слежения, расположенных по всему миру. Имеется главная станция, контрольные
станции слежения за НС и станции закладки данных на борт спутника. Станции
слежения оснащены высокоточной аппаратурой я регистрируют сигналы, поступающие
от всех НС системы передают результаты на главную станцию, где они
обрабатываются. По ним рассчитываются параметры орбит, поправки бортовой шкалы
времени, уточняются параметры модели тропосферы и ионосферы. Вычисленные
необходимые поправки передаются на борт НС. Проводится непрерывный мониторинг
работы спутников [8].
2.
Использование электронного тахеометра при межевании земельных участков
.1
Классификация тахеометров
"Тахеометр - геодезический прибор,
предназначенный для измерения горизонтальных и вертикальных углов, длин линий и
превышений". [10]
Тахеометр используется для определения координат и
высот точек местности при топографической съёмке местности, при разбивочных
работах, выносе на местность высот и координат проектных точек в основном
косвенными методами измерений прямые и обратные засечки, тригонометрическим
нивелированием и т. д.
Первые модели прототипов тахеометра появились в 70-е
годы 20 века. Тогда были созданы первые полуэлектронные приборы, где оптический
теодолит был оснащен светодальномером (SM-41, Zeiss West Germany; EOТ-2000,
Karl Zeiss Iena). Затем УOМЗ создал Та-5 который имел общий для теодолита и
дальномера корпус, а также был оснащен панелью управления для ввода значений
углов. Это устройство позволяло прямо в поле определять превышения, проложения,
приращения. Но все равно это требовало дополнительных усилий и не особенно
ускоряло процесс полевых работ. Мощным толчком в геодезическом приборостроении
был выпуск электронного тахеометра AGA-136 (Швеция), в котором оптическая
система отсчета углов была заменена на электронную. Открылись широкие
возможности автоматизации работы геодезистов [27].
Виды электронных тахеометров весьма разнообразны, и их
классификация, определяемая свойствами и функциями, достаточно развернута.
По сферам применения:
) технические - наиболее простые, предназначенные
для решения базовых задач;
2) строительные - обеспечивающие геодезическое
сопровождение топографической съемки;
) инженерные - сложные профессиональные
инструменты для многогранных разбивочных работ, обладающие исключительной
точностью получаемых данных и расширенным функционалом.
Серия технических тахеометров является одной из самых
распространенных и популярных. Главной причиной, является относительно не
высокая цена прибора, позволяющего определять координаты и высоты точек
местности при топографической съёмке местности, при разбивочных работах,
выполнять вынос на местность высот и координат проектных точек.
Особенность инженерных тахеометров заключается в том,
что на дисплей геодезического прибора выводится изображение наблюдаемого
объекта. А встроенная в тахеометр камера позволяет получать снимки местности,
которые потом можно сохранить в памяти вместе с результатами измерений. А это
позволяет оператору проконтролировать точки, которые были измерены, и таким
образом избежать ошибок.
Строительные тахеометры оснащены безотражательным
дальномером, т.е. способны вести как отражательную, так и безотражательную
съемку. Алидада в конструкции строительных тахеометров отсутствует.
Кроме того, тахеометры подразделяются на модульные,
состоящие из отдельных (независимых) элементов, и на интегрированные, в которых
устройства объединены под одним корпусом в единый механизм. Последние типы -
моторизованные и автоматизированные тахеометры. Первые из них оснащаются
сервоприводом, позволяющим ведение съемки по множеству точек одновременно,
вторые - сервоприводом и системами, способными распознать, захватить и
отследить цели, по сути, это уже роботизированные геодезические комплексы.
Приборы этой конструкции рассчитаны на выполнение измерений одним человеком,
причем роботизированные тахеометры допускают произведение удаленной съемки, при
этом точность результатов будет гарантировано высока.
По точности вычислений:
1) точные, гарантирующие максимальную точность
вычислений;
2) технические, обладающие большей, по сравнению с
точными, погрешностью замеров.
По заложенному методу разбивочных работ:
) полярный метод;
2) ортогональный;
) по координатам строительной сетки [11].
Наиболее известными мировыми производителями
электронных тахеометров, представленных на нашем рынке, являются японская
копания Sokkia Topcon с брэндами Sokkia и Topcon, швейцарская компания Leica
Geosystems AG с брэндом Leica, шведская GeoMax (одноименный брэнд),
американские Trimble Navigation с брэндами Nikon и Trimble, а также Spectra
Precision (одноименный брэнд).
Электронные тахеометры Sokkia (рисунок 2.1.1).
Инструменты от бренда с мировым именем из Японии
первыми проникли на российский рынок и завоевали доверие специалистов.
Существуют модели для работы в различных климатических зонах с объемом
внутренней памяти до 10000 съемочных точек, причем этот объем можно расширить
за счет использования внешнего накопителя. При проведении съемки вы можете
записывать комментарии к точкам с помощью алфавитно-цифровой клавиатуры, а
"безотражательный режим" даст возможность регистрировать недоступные
точки, к которым нет возможности подойти с измерительной вехой.
Модельный ряд Sokkia насчитывает более 30
наименований. Наиболее популярными по соотношению цена/качество являются
пятисекундники, но и бюджетные модели с точностью 6" дают возможность
вести высокоточные измерения. Точность тахеометра Sokkia отображена в первой
цифре названии модели, к примеру Sokkia Power SET 3010 говорит о том, что мы имеем
дело с трехсекундником. Интерфейсы RS-232 и USB помогут соединить тахеометр с
персональным компьютером, а фирменное программное обеспечение от Sokkia
позволит передать полученные результаты съемки в электронном виде в совместимом
формате для работы в популярных программах Кредо или Автокад.
Рисунок 2.1.1 - Электронный тахеометр Sokkia
Средняя стоимость тахеометра 5" фирмы Sokkia
составляет 290 тыс. руб.
Электронные тахеометры Trimble (рисунок 2.1.2).
Это без преувеличения "рабочие лошадки" на
строительных площадках. Популярная трехсекундная модель 3303 DR специально для
России производятся в модификации X-treme, что дает возможность использовать
инструмент в условиях крайнего Севера при температуре до -35 °С. Эти тахеометры
кроме безотражательного режима "DR" обладают лазерной указкой, что
незаменимо при разбивочных работах.
Рисунок 2.1.2 - Электронный тахеометр Trimble
Встроенное программное обеспечение позволяет
определять высоту недоступных объектов и выполнять основные операции по съемке
или разбивке строительной сетки. Интерфейс инструмента имеет 7 функциональных
клавиш, комбинации которых позволяют управлять основными функциями и
программным обеспечением, дисплей односторонний в отличии от двухстороннего на
Sokkia, а интерфейс RS-232 обеспечивает соединение устройства с ПК. Памяти
Trimble хватит для регистрации 1900 съемочных точек, однако для условия работы
на строительной площадке этого более чем достаточно.
Из-за аскетичного интерфейса устройство обладает и
небольшим энергопотреблением - одного заряда аккумулятора может хватить до 8
часов работы в обычном режиме. Также стоит отметить и меньший вес инструмента
по сравнению с весом моделей той же Sokkia, что не может не сказаться на
удобстве переноса комплекта Trimble при работе на стройплощадке. Средняя
стоимость тахеометра 5" фирменной сборки колеблется в пределах от 198 до
275 тыс. руб.
Электронные тахеометры Nikon (рисунок 2.1.3).
Рисунок 2.1.3 - Электронный тахеометр Nikon
В свое время Trimble, изначально не производившая
оптические инструменты, в процессе развития присоединила к себе такие мировые
бренды как Carl Zeiss, Geodimeter и Nikon, так что современные тахеометры Nikon
можно считать младшим братом Trimble. Производитель гарантирует основные
показатели инструментов на уровне мировых лидеров, в частности количество
точек, одновременно находящихся в памяти устройства, составляет 10000, работа
батареи заявлена до 30 часов, а функциональные клавиши обеспечивают быстрый
доступ к наиболее часто выполняемым задачам.
Так что при одинаковых технических характеристиках
Nikon будет дешевле некоторых своих именитых собратьев, да и все необходимые
программы у него входят в стандартную комплектацию, а для той же Leica их
необходимо покупать дополнительно. Дисплей с клавиатурой у многих моделей Nikon
будет удобнее, чем у Trimble, ну а средняя стоимость тахеометра 5" фирмы
Nikon колеблется в пределах от 204 до 300 тыс. руб.
Электронные тахеометры Topcon (рисунок 2.1.4).
Рисунок 2.1.4 - Электронный тахеометр Topcon
Некоторые модели этих инструментов позволяют вести съемку геодезистом
самостоятельно - специальный механизм обеспечивает постоянно слежение за целью
со скоростью 5° в секунду. Topcon - один из рекордсменов по памяти среди
устройств подобного плана, емкость внутреннего носителя - 2 Мб, этого хватает
для хранения информации о более чем 30000 съемочных точек. А при использовании
внешних накопителей возможности сохранения информации в устройстве практически
безграничны. Для удобства пользователя большой двухсторонний дисплей обладает
пиктограммным меню, которое даже готово прийти на помощь с помощью сервиса
подсказок.
Средняя стоимость тахеометра 5" фирмы Topcon от
205 до 642 тыс. руб.
Электронные тахеометры Leica (рисунок 2.1.5).
Рисунок 2.1.5 - Электронный тахеометр Leica
Модели этой марки вобрали в себя самое лучшее из того,
что способны обеспечить их "коллеги по цеху". Даже в стандартной
комплектации Leica оборудована лазерным центриром, который способен максимально
упростить инициализацию инструмента при проведении работ. Тахеометры Leica
имеют сравнительно небольшой вес при максимуме возможностей как для простых измерений,
так и для цепочки сложных вычислений непосредственно на строительной площадке,
обладая при этом необходимым запасом прочности. Безотражательный режим стал уже
этаким необходимым минимумом, скорость измерения до 3 секунд на расстояние до
80 метров, а программное обеспечение позволяет получать координаты точек в
труднодоступных и скрытых местах. Минимальное расстояние, которое способен
измерить прибор, составляет всего несколько сантиметров.
Большой дисплей тахеометра оборудован полноценной
буквенно-цифровой клавиатурой, а система управления работами способна хранить
данные отдельно для каждого из объектов. Унифицированные форматы выходных
данных позволяют использовать результаты измерений без последующей конвертации
для любой известной графической программы, плюс сама Leica выпускает
специализированное ПО. Средняя стоимость тахеометра 5" фирмы Leica от 430
до 780 тыс. руб.
По качеству, надежности и функциональности современные
тахеометры практически не уступают друг другу по целому ряду параметров.
Если условно разделить все существующие модели
тахеометров верхнего ценового сегмента на приборы, оснащенные сервомоторами,
полуавтоматические (оснащены системой слежения) и автоматические (роботы,
управляемые дистанционно) и рассматривать эффективность работы с точки зрения
полевого геодезиста, то их преимущества перед менее дорогими моделями очевидны.
Чем выше характеристики моделей инженерных тахеометров
по точности, скорости выполнения измерений и обработке данных, тем выше их
стоимость. Следует отметить, что современным электронным инженерным приборам
для геодезических измерений не грозит быстрое устаревание - модели, которые
выйдут на рынок будущего, будут строиться на их базе и иметь схожий набор
функций.
.2 Принцип
работы электронного тахеометра
Геодезический прибор, предназначенный для измерения горизонтальных и
вертикальных углов, длин линий и превышений относится к классу неповторительных
теодолитов и используется для определения координат и высот точек местности при
топографической съёмке местности, при разбивочных работах, выносе на местность
высот и координат проектных точек, в основном косвенными методами измерений:
прямые и обратные засечки, тригонометрическим нивелированием и т. д.
Диапазон измерения расстояний зависит также от режима работы тахеометра:
отражательный или безотражательный. Дальность измерения в безотражательном
режиме напрямую зависит от отражающих свойств поверхности, на которую
производится измерение. Дальность измерений на светлую гладкую поверхность
(кафельная плитка штукатурка, и пр.) в несколько раз превышает максимально
возможное расстояние, измеренное на темную поверхность. Максимальная дальность
линейных измерений для режима с отражателем (призмой) - до 5 километров (при
нескольких призмах - ещё дальше); для безотражательного режима - до 1
километра. Модели электронных тахеометров, имеющие безотражательный режим,
могут измерять расстояния практически до любой поверхности, но следует с
осторожностью относиться к результатам измерений, проводимых сквозь ветки,
листья и другие подобные преграды, так как неизвестно, от чего именно отразится
луч, и, соответственно, расстояние до чего он измерит.
Существуют модели тахеометров, обладающие дальномером, совмещенным с
системой фокусировки зрительной трубы. Преимущества таких тахеометров
заключается в том, что измерение расстояний производится именно на тот объект,
на который в данный момент направлена зрительная труба прибора.
Точность линейных измерений в безотражательном режиме - 2мм + 2мм на
километр.
Большинство современных тахеометров оборудованы вычислительным и
запоминающим устройствами (картами памяти), позволяющими сохранять измеренные
или проектные данные, вычислять координаты точек, недоступных для прямых
измерений, по косвенным наблюдениям, и др. Некоторые современные модели
дополнительно оснащены системой GPS (например, Leica Smart Station).
Программное обеспечение позволяет превратить инструмент в мини-компьютер,
который способен на выполнение любых геодезических работ, основными из которых
являются:
горизонтальная и вертикальная съемка;
разбивка строительных осей;
вынос в натуру участков, дуги дорог;
вычисление площадей и объемов земляных работ;
архитектурные промеры;
определение недоступных расстояний и многое другое.
Конструктивные элементы современного электронного тахеометра показаны на
рисунке 2.2.1.
К высокоточным современным и высокопроизводительным
геодезическим средствам измерений относится новое поколение приборов,
позволяющих выполнять все измерения в автоматизированном режиме. Такие
измерительные приборы снабжены встроенными вычислительными средствами и
запоминающими устройствами, создающими возможность регистрации и хранения
результатов измерений, дальнейшее их использование на ЭВМ для обработки.
Применение ЭВМ пятого поколения предполагает интеллектуализацию компьютеров, т.
е. возможность работы с ними непрофессионального пользователя на естественном
языке, в том числе в речевой форме.
Для автоматизации полевых измерений при производстве
топографической съемки и других видов инженерно-геодезических работ созданы
высокоточные электронные тахеометры. Электронный тахеометр содержит угломерную
часть, сконструированную на базе кодового теодолита, светодальномер и
встроенную ЭВМ. С помощью угломерной части определяются горизонтальные и
вертикальные углы, светодальномера - вычисляются расстояния, а ЭВМ решает
различные геодезические задачи, обеспечивает управление прибором, контроль
результатов измерений и их хранение.
Рисунок 2.1.1 - Конструктивные элементы современного электронного
тахеометра
Исследования и поверки геодезических приборов позволяют выявить их
основные характеристики и соблюдение допустимых отклонений взаимного
расположения осей, установить пригодность прибора для выполнения измерений.
Кроме того, многократные наблюдения в процессе работы позволяют приобрести
необходимый опыт обращения с приборами.
При создании цифровой модели местности (ЦММ), электронный тахеометр с
возможностью передачи данных в компьютер через специальный интерфейс,
становится абсолютно незаменимым прибором.
Электронный тахеометр является готовым решением для самого широкого круга
геодезических задач:
) определение расстояний;
) расчеты относительно базовой линии;
) определение координат и высоты недоступного объекта;
) выполнять обратную засечку (определение координат дополнительной точки,
с помощью измерения в этой точке углов между направлениями на три данных пункта
и более с известными координатами).
Современный электронный тахеометр обладает большим объемом памяти для
надежного хранения полученных данных, а интерфейс для связи с компьютером
позволяет загружать координаты из ПК для последующего выноса данных в натуру,
также данные можно перенести в ПК для последующей работы с ними уже на
стационарном компьютере или ноутбуке.
Для того, чтобы работа с электронным тахеометром была удобна, оптимальна
и эффективна, прежде всего следует внимательно прочитать инструкции,
прилагаемые производителем к каждому прибору.
Перед началом работы необходимо установить инструмент на трехопорный
штатив на устойчивой поверхности, отцентрировав его по круглому пузырьковому
или электронному уровню. Цифровые модели достаточно чувствительны к возможным
вибрациям, которые могут повлиять на точность измерений.
Убедиться, что трегер установлен правильно, в противном случае проверить
юстировочные винты.
На достоверности полученных данных могут отрицательно сказаться резкие
перепады температуры, при необходимости следует дать время инструменту и его
призменным механизмам адаптироваться к условиям окружающей среды.
Устанавливать или снимать аккумуляторную батарею следует только при
выключенном приборе, в противном случае хранящиеся данные будут утеряны.
Работа с электронным тахеометром предполагает определенную квалификацию и
опыт в геодезических исследованиях. Персоналу важно понимать правила
пользования и техники безопасности, а также методику проведения поверок и
юстировок.
Грамотно и квалифицированно используемый тахеометр
способен заменить в сложных работах несколько традиционно используемых
геодезических инструментов (нивелиров, дальномеров и реек, теодолитов). Его
правильная эксплуатация существенно повысит точность производимых измерений при
сокращении трудо- и временных затрат на составление точных планов местности,
топопривязки различных строительных объектов и прочие виды геодезических работ.
В настоящее время на рынке имеется широкий выбор
электронных тахеометров, выпускаемых разными фирмами, в числе которых Уральский
оптико-механический завод (Россия), Sokkia (Япония), Trimble (США), Leica
(Швейцария) и др. Характеристики приборов разных марок различаются. Средние
квадратические погрешности измерения углов тахеометров лежат в пределах от 1²
до 6².
Максимальные дальности
измерения расстояний на однопризменный отражатель до 5000 м. Многие из
электронных тахеометров позволяют измерять расстояния без отражателя. Дальность
таких измерений меняется в разных приборах в пределах 70 - 700 м.
Использование электронных тахеометров значительно
повышает производительность труда, упрощает и сокращает время на обработку
результатов измерений, исключает такие ошибки исполнителя, которые имеют место
при визуальном взятии отсчетов, при записи результатов измерений в журналы, в
вычислениях. При работе с электронным тахеометром отпадает необходимость иметь
калькулятор для выполнения полевых вычислений.
2.3
Поверки электронного тахеометра
Электронный тахеометр, как любой геодезический прибор, должен быть
поверен и отъюстирован перед производством работ. Учитывая совмещенность
дальномерных и угловых измерений, в тахеометре должны выполняться геометрические
условия взаимного положения оптико-механических и оптико-электронных осей.
Поэтому полный набор поверок и юстировок проводится в сервисных центрах. Однако
ряд основных поверок можно выполнить в полевых условиях. Более того, регулярное
проведение некоторых поверок является обязательным, так как измерения
электронным тахеометром проводятся при одном положении вертикального круга
прибора, а поправки за коллимацию, место нуля вертикального круга и место нуля
компенсатора наклона вертикальной оси автоматически вводятся в результаты
измерений. Неучтенные изменения этих поправок приводят к снижению точности
результатов измерений. Перед поверками необходимо внимательно изучить методику
их проведения и юстировки по руководству к эксплуатации конкретной модели
тахеометра.
Основные поверки электронного тахеометра:
. Поверка уровней (цилиндрического и круглого).
. Поверка оптического центрира.
. Поверка компенсатора наклона вертикальной оси прибора.
. Определение коллимационной ошибки и места нуля вертикального круга.
. Определение постоянной поправки дальномера электронного тахеометра.
. Определение постоянной поправки отражателя.
. Рабочая ось электронного дальномера должна совпадать с визирной осью
зрительной трубы.
. Рабочая ось указателя створа должна совпадать с визирной осью
зрительной трубы тахеометра.
Современный геодезический прибор представляет собой, как правило, сложное
оптико-механическое, электронное и автоматизированное устройство и работать с
ним может только специально обученный специалист.
Общие правила обращения с геодезическими приборами:
. Перед измерениями и после измерений все подъемные и наводящие винты
должны быть установлены в среднее положение;
. К закрепительным и другим винтам нельзя прикладывать больших усилий;
. Вращение подъемных и наводящих винтов необходимо осуществлять легко
скользящими пальцами;
. С целью устранения влияния на погрешность измерений люфтов в червячных
и резьбовых сопряжениях вращение наводящих и микрометренных винтов необходимо
заканчивать на ввинчивание;
. Перед разборкой отдельных узлов необходимо убедиться в отсутствии
стопорных винтов;
. Строго запрещены касания поверхностей оптических деталей;
. Не допускать попадания в объектив прямых солнечных лучей;
. Нивелиры разрешено переносить на штативе, остальные приборы при
переноске необходимо снимать со штатива;
. Укладывать прибор в футляр только в сухом виде;
. Перевозить приборы разрешают любым видом транспорта, однако, при
перевозке грузовым автомобилем их лучше держать на коленях.
Хорошо поверенный и при необходимости отъюстированный прибор служит
надежной гарантией достоверных результатов измерений.
2.4
Дополнительное оборудование и аксессуары комплекта тахеометра
Геодезическое оборудование - это совокупность сложных
приборов, способных решать широкий спектр геодезических задач. Функционируют
они с высокой точностью и практически без дополнительного вмешательства
человека. Тем не менее, без некоторых дополнительных аксессуаров даже наиболее
совершенный геодезический штатив не сможет выполнять свои функции в нужном
объеме.
Геодезические аксессуары представляют собой достаточно
большое количество разнообразных инструментов, применяемых с другими
инструментами и устройствами - дальномерами, лазерными нивелирами, теодолитами
и др. К геодезическим аксессуарам относятся:
. Геодезические штативы
Для качественного выполнения работы, геодезические
приборы комплектуются дополнительными аксессуарами. Комплектация осуществляется
в соответствии с видом проводимых работ. Каждая из разновидностей приборов, как
правило, дополняется определенными аксессуарами.
Геодезические штативы незаменимы для обеспечения устойчивости приборов и
порой напрямую влияют на точность измерений. Геодезический штатив (тренога)
является неотъемлемой частью практически каждого геодезического прибора.
Простая конструкция геодезического штатива обеспечивает легкость его применения
со всеми видами геодезического оборудования, а удобный плечевой ремень -
переноску. В основном штативы бывают деревянные (рисунок 2.4.1) и алюминиевые.
Деревянный - жесткий и массивный раздвижной штатив с увеличенной круглой
площадкой для установки высокоточных теодолитов, нивелиров и электронных
тахеометров. Высококачественные материалы, из которых изготовлен штатив
гарантирует получение надежных результатов (рисунок 2.4.1).

Алюминиевый - универсальный надежный штатив с плоской площадкой, подходит
для работы как с нивелирами, так и с тахеометрами (рисунок 2.4.2).
Рисунок 2.4.2 - Штатив алюминиевый
.
Вехи
Веха - геодезический инструмент для работы с
электронными тахеометрами (рисунок 2.4.3). На Вехи крепятся отражатели с
призмами.
Рисунок 2.4.3 - Веха геодезическая
Веха представляет собой геодезический аксессуар,
позволяющий установить отражатель на удаленном расстоянии на высоте от 2 до 5
метров. Веха имеет конусное основание для углубления в земляной поверхности. А
сверху имеет установочную площадку для расположения призменных отражателей.
Веха может быть измерительной и иметь разметку вдоль всей своей длины. Веха
изготовлена из непроводящего ток фибергласса. Для установки в вертикальное
положение веха снабжена уровнем, совмещенным с закрепительным механизмом.
Закрепительный механизм позволяет надежно фиксировать секции. Верхняя секция
имеет установочную резьбу 5/8x11.
3. Отражатели
Для выполнения геодезических работ и съемок не обойтись без аксессуаров к
геодезическому оборудованию, в том числе и без отражателей. Призменные отражатели
представляют собой точные оптические приборы, применяемые для определения
расстояний при помощи лазерных измерительных инструментов. Для измерения
коротких расстояний используются минипризмы, а также однопризменные отражатели
(рисунок 2.4.4). А для измерений на большие дистанции служат трехпризменные
отражательные системы (рисунок 2.4.5). Существуют также пленочные отражатели,
представляющие собой специально размеченную, с отражающей свет поверхностью,
самоклеющуюся пленку (рисунок 2.4.6).
Призменные отражатели различаются также особенностями конструкции.
Призма-отражатель может представлять собой призму с устройством, позволяющим
располагать ее над точкой, и затем сориентировать ее в требуемом направлении.
Также на отражателе устанавливается визирная марка. Она требуется для того,
чтобы проводить угловые измерения.

Рисунок 2.4.4 - Минипризма и однопризменный отражатель
Рисунок 2.4.5 - Трехпризменный отражатель
Рисунок 2.4.6 - Пленочный отражатель
Отражатель используется следующим образом: в призму попадает луч лазера
от дальномера тахеометра, который преломляясь в передней грани призмы, затем
отражается внутри призмы от зеркальных граней трижды, и, преломившись от
передней грани, луч возвращается в дальномер. Где и фиксируется прошедшее лучом
расстояние.
. Рулетки
Геодезическая рулетка представляет собой измерительный инструмент,
предназначенный для измерения расстояний, длины прямолинейных отрезков(рисунок
2.4.7).
Рисунок 2.4.7 - Геодезическая рулетка
Геодезическая рулетка представляет собой самую длинную измерительную
ленту. Длина ленты в зависимости от модификации варьируется от 20 до 100
метров. Данный измерительный инструмент используется геодезистами для
проведения распланировки, а так же разметки строительных объектов или
размежевании земельных участков.
Измерительную ленту изготавливают из таких материалов, как сталь,
пластик. Иногда встречаются инструменты с тесемочной лентой.
Способ нанесения измерительных делений:
гравировка;
вытравление
Лента рулетки покрыта, как правило, защитным покрытием, обеспечивающим
износостойкость и обладающим антикоррозийным эффектом. Защитное покрытие
предотвращает затирание градуировки.
Корпус измерительной ленты представляет собой открытую раму, оснащенную
рукояткой для скручивания ленты. Корпус изготавливается из ударопрочного
пластика или металла. Корпус рулетки, выполненный из пластмассы, имеет
небольшой вес. Металлический корпус отличается высокой прочностью. Лента
геодезической рулетки оснащена, как правило, кольцом, позволяющим закрепить
начало ленты за колышек, который обозначает начало отсчета.
Многие геодезические рулетки оснащены системой автоматического
скручивания ленты, а так же стопором на катушке, который предотвращает
самопроизвольное сворачивание ленты. Такая система препятствует сбивке расчетов
и возникновению травм.
3.
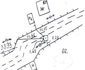
Выполнение геодезических работ на примере образования земельного участка
расположенного в п. Надеево Вологодского района Вологодской области
Физическому лицу для межевания земельного участка необходимо обратиться к
кадастровому инженеру. Кадастровый инженер может работать индивидуально, как
индивидуальный предприниматель, либо в составе специальной организации,
занимающейся межеванием. Организация, в составе которой работают несколько
кадастровых инженеров, геодезические работы обычно выделяют в отдельный этап. В
этом случае на каждый межуемый земельный участок выезжает геодезист, определяет
координаты и передает их кадастровому инженеру для оформления межевого плана на
данный земельный участок.
В данной выпускной работе организация работы геодезиста описана на
примере фирмы ООО "Землемер", расположенной в городе Вологда. Процесс
геодезических измерений на земельном участке описан на примере образования
земельного участка расположенного в п. Надеево Вологодского района Вологодской
области.
Работа геодезиста в частном секторе, при межевании земельных участков
требует большого количества полевых выездов для съемки в разные районы и
сельские поселения в зависимости от заказов. Работы выполняются в разное время
года. Динамика количества геодезических съемок в период с сентября 2013года до
декабря 2015 года, по разным районам Вологодской области представлена в таблице
3.1.
Таблица 3.1 - Количество съемок по районам
|
Район работ
|
Сельское поселение
|
Количество геодезических
съемок за период 09.2013 - 12.2015
|
|
Вологодский
|
Майское
|
20
|
|
Кубенское
|
44
|
|
Лесковское
|
30
|
|
Вологодский
|
Марковское
|
9
|
|
Новленское
|
17
|
|
Октябрьское
|
11
|
|
Подлесное
|
23
|
|
Прилукское
|
5
|
|
Семенковское
|
18
|
|
Сосновское
|
17
|
|
Спасское
|
70
|
|
Старосельское
|
30
|
|
Грязовецкий
|
Ростиловское
|
1
|
|
Комьянское
|
25
|
|
Перцевское
|
11
|
|
Юровское
|
23
|
|
Вожегодский
|
-
|
38
|
|
Верховажский
|
-
|
25
|
|
Междуреченский
|
-
|
12
|
|
Сокольский
|
-
|
3
|
|
Сямженский
|
-
|
3
|
|
Белозерский
|
-
|
2
|
|
Всего
|
437
|
По результатам исследования за 2 года 4 месяца геодезист измерил 437
земельных участков в 8 районах Вологодской области. Наибольшее число съемок
было выполнено в Вологодском районе (302 участка), так как землеустроительная
организация находится в непосредственной близости от места работ. В Вожегодском
районе было измерено 38 участков, в Верховажском районе - 25 участков. Это
обусловлено тем, что организация плотно сотрудничает с администрациями этих
районов.
Количество выездов для съемки земельных участков зависит от времени года.
Дифференцированная динамика количества съемок по месяцам представлена на
графике 3.1.
График 3.1 - Зависимость количества съемок земельных участков от времени
года
В течении года работа не равномерна. Наибольшее количество выездов
приходится на осень (в среднем 66 участков). Самый спокойный сезон - зима (в
среднем 17 участков).
Осенью 2013 года было измерено 44 земельных участков; в зимние месяцы
2013/2014 года было измерено 37 участков; весной 2014 года - 56 участков; летом
2014 года - 47 участков; осенью 2014 года - 82 участка; зимой 2014/2015 года -
24 участка; весной 2015 года - 36 участков; летом 2015 года - 50 участков;
осенью 2015 года - 50 участков; в декабре 2015 года - 11 участков.
.1
Физико-географические условия района проведения работ
Вологодский район -муниципальное образование в составе Вологодской
области Российской Федерации (рисунок 3.1.1). Административный центр находится
в Вологде. На территории района располагаются 924 населённых пункта.
Территория: 4,55 тыс. км² - 3,2 % территории области. Население: 50 тыс.
человек - 3,9 % населения области.
Вологодский район расположен на юге центральной части Вологодской
области, к северо-востоку от Москвы, на северо-востоке Восточно-Европейской
равнины. Граничит: на северо-западе с Шекснинским, на севере с Кирилловским, на
юго-востоке с Усть-Кубенским, на востоке с Сокольским и на юге с Междуреченским
и Грязовецким районами Вологодской области. В состав района входит 12 сельских
поселений. Административный центр находится в городе Вологда.
Вологодский район - один из наиболее крупных и экономически развитых
районов Вологодской области. Железнодорожные станции: Молочное, Дикая, Лумба,
Кипелово, Кущуба, Чахлово, Паприха. В районе расположена база авиации
Военно-морского флота Федотово.
Рельеф здесь холмистый - чередуются низменности, гряды и возвышенности.
Высота над уровнем моря 150-200 метров. Поверхность - низменная равнина с
множеством озёр, болот и рек.
Рисунок 3.1.1 - Вологодский район
Климат характеризуется как умеренно-континентальный с короткой весной,
сравнительно теплым, увлажненным летом, сырой осенью и длинной, холодной,
многоснежной зимой, с устойчивым снежным покровом. Формируется он в условиях
малого количества солнечной радиации зимой, под воздействием северных морей и
интенсивного западного переноса. Вегетационный период длится от 145 дней в
северных районах, до 160 дней в южных. Погода крайне неустойчивая, в течении
всего года здесь преобладает облачная и пасмурная погода.
Речная сеть покрывает почти всю территорию края, служа во многих местах
едва ли не единственным средством сообщения. Реки берут начало в озерах,
болотах или в понижениях, где выходят наружу источники подземных вод, и
получают 50-70% годового стока за счет таяния снежного покрова, 20-35% - за
счет дождей и 10-20% - за счет подземных вод.
Из природных ресурсов основными являются запасы древесины, велики запасы
пресных вод. Полезными ископаемыми область не богата - имеются месторождения
торфа, строительных материалов, поваренной соли и минеральных вод.
.2
Исходные данные
Основанием для выполнения комплекса землеустроительных работ является
Договор № 15 от 23.05.2014 между заказчиком работ Михайловской Н.В. и
исполнителем - ООО "Землемер". Образуемый земельный участок
выделяемый из земель, находящихся в муниципальной собственности, расположен по
адресу: Вологодская область, Вологодский район, Подлесное сельское поселение,
п. Надеево.
Исследование территории проводилось комплексно, в несколько этапов:
подготовительный этап;
полевые работы;
камеральные работы, оформление результатов кадастровых работ.
Для полевых работ применялся электронный тахеометр Nikon DTM-352, имеющий свидетельство о поверке № СП 0442298 от
03.02.2014 г. действительное до 03.02.2015 г.
При подготовке документов, содержащих необходимые для государственного
кадастрового учета сведения о недвижимом имуществе, использовался аттестат и
подпись кадастрового инженера.
Правовой базой для проведения работ служили:
1. Земельный кодекс Российской Федерации: федер. закон от 25.10.2001 №
136-ФЗ (по сост. на 07.04.2015);
2. О государственном кадастре недвижимости: федер. закон от
24.07.2007 № 221-ФЗ;
. Инструкция по межеванию земель: утв. Роскомземом 8.04.1996;
. Об утверждении формы межевого плана и требований к его
подготовке, примерной формы извещения о проведении собрания о согласовании
местоположения границ земельных участков: приказ Министерства экономического
развития РФ от 24.11.2008 № 412;
. Об утверждении "Основных положений об опорной межевой
сети": приказ Росземкадастра от 15.04.2002 № П/261;
. О лицензировании геодезических и картографических работ
федерального назначения, результаты которых имеют общегосударственное, межотраслевое
значение (за исключением указанных видов деятельности, осуществляемых в ходе
инженерных изысканий, выполняемых для подготовки проектной документации,
строительства, реконструкции, капитального ремонта объектов капитального
строительства): постановление Правительства РФ от 07.12.2011 № 1016;
. О землеустройстве: федер. закон от 18.06.2001 № 78-ФЗ.
.3
Подготовительные работы
Подготовительные работы включают сбор и анализ материалов.
В подготовительный период собирались и уточнялись необходимые данные по
объекту работ из архивов, справочников, отчетов и прочих материалов,
определялся объем работ, составлялась программа и календарный план, сметы,
инструкции по выполнению отдельных видов работ и технике безопасности,
подготавливался прибор и оборудование. На подготовительном этапе оформлялась
соответствующая лицензия на право производства геодезической деятельности, так
как геодезическая и картографическая деятельность подлежит лицензированию,
согласно [25, 34].
С помощью Интернет-портала Федеральной службы государственной
регистрации, кадастра и картографии были заказаны и получены:
- кадастровая выписка на смежный земельный участок с кадастровым номером
35:25:0706013:964 [Приложение 1];
кадастровый план территории на кадастровый квартал с кадастровым №
35:25:0706013 № 3500/301/2014-140554 от 21.05.2014 г.
При проведении работ был сделан запрос в Федеральную службу
государственной регистрации, кадастра и картографии Вологодской области о
получении данных о государственной геодезической сети на территории Вологодская
область, Вологодский район, Подлесное с/п, п. Надеево. В ответ на запрос были
получены каталоги координат пунктов государственной геодезической сети, в
местной системе координат Вологодской области МСК - 35 (таблица 3.3.1).
Таблица 3.3.1 - Каталог плановых координат знаков ОМС на территории п.
Надеево Подлесного с/п Вологодского района Вологодской области
|
Номер пункта
|
Название пункта, класс
центра
|
Координаты, м
|
Высота, м
|
|
|
X
|
Y
|
|
|
ОМС-3704
|
н.п. Надеево, ОМС-4
|
339385.65
|
2330599.23
|
127.24
|
|
ОМС-3893
|
н.п. Надеево, ОМС-4
|
339259.86
|
2330384.23
|
127.52
|
Также были выданы схема расположения (рисунок 3.3.1) и кроки (таблица 3.3.2) пунктов опорной
межевой сети.
Рисунок 3.3.1 - Расположение пунктов опорной межевой сети на территории
п. Надеево Подлесного с/п Вологодского района Вологодской области
Таблица 3.3.2 - Кроки пунктов опорной межевой сети
|
Название и номер пункта
|
Вид знака
|
Местоположение
|
Кроки
|
|
ОМС-3704
|
Металлическая труба
диаметром 40-50 мм, длинной 1,3 м с табличкой. Окопан курганом квадратной
формы 2х 2 м.
|
н.п. Надеево сев-зап. его
часть
|
|
|
ОМС-3893
|
Металлическая труба
диаметром 40-50 мм, длинной 1,3 м с табличкой. Окопан курганом квадратной
формы 2х 2 м.
|
н.п. Надеево южная его
часть
|
|
Также после обработки результатов измерений был отправлен запрос в
администрацию Подлесного сельского поселения об утверждении схемы расположения
земельного участка на кадастровом плане территории в кадастровом квартале
35:25:0706013[Приложение 2].
Полнота подборки и изучения материалов по району исследований
обеспечивает качество и полноценность общих результатов работ.
После завершения подготовительных работ перешли к осуществлению полевых
работ.
.4
Геодезические измерения
Полевые работы включают рекогносцировку местности, создание геодезической
основы, выполнение кадастровой съёмки.
Полевые работы были начаты с обследования пунктов опорной межевой сети с
целью проверки сохранности, выбора наиболее выгодной технологии работ и
размещения пунктов опорной межевой сети.
Межевые знаки разместили на всех поворотных точках границы земельного
участка. После закрепления границ земельного участка был подписан акт
согласования. Установление и согласование границ земельного участка
производилось на местности в присутствии заинтересованных лиц, а именно:
собственника земельного участка, в отношении которого проводятся работы, и
собственника смежного земельного участка.
Форма акта согласования местоположения границ земельного участка
утверждена Приказом Минэкономразвития России от 24.11.2008 N 412 "Об
утверждении формы межевого плана и требований к его подготовке, примерной формы
извещения о проведении собрания о согласовании местоположения границ земельных
участков".
Закрепив на местности положение границы земельного участка межевыми
знаками приступили к определению плоских прямоугольных координат центров этих
знаков.
Исходной геодезической основой для этого послужили пункты опорной межевой
сети 3893 и 3704 .
Полевая работа была выполнена с участием автора дипломной работы. Съемка
выполнялись в мае 2014 г.
Съемка произведена электронным тахеометром Nikon DTM-352. Для съемки земельного участка была вынесена одна
съемочная точка с привязкой к пунктам ОМС (рисунок 3.4.1).
При выполнении работы автором велся журнал полевых
работ. В котором записывались отсчеты и проложения. При камеральной обработке
расчет координат точек проводился в комплексе "Сгеdо". На практике при съемке границ участка применялся
полярный способ.
Рисунок 3.4.1 - Схема геодезических измерений
Работа на съемочной точке с помощью тахеометра
выполнялась в следующем порядке.
Работу на станции начал с установки и приведения прибора в рабочее
положение.
Для установки штатива раздвинул его ножки так, что бы он был достаточно
устойчив. Убедился, что точка станции находится точно под отверстием штатива.
Для проверки положения штатива, посмотрел вниз через центральное отверстие
вверху штатива.
Слегка вдавил ножки в землю. "На глаз" отнивелировал верхнюю
плоскость штатива. Затянул зажимные винты на ножках штатива. Установил прибор
на штатив. Вставил закрепительный винт в центральное отверстие трегера
инструмента. Затянул закрепительный винт.
Провел окончательное центрирование и горизонтирование прибора (рисунок
3.4.2) с помощью встроенного оптического центрира, подъемных винтов трегера и
цилиндрического уровня.

Рисунок 3.4.2 - Регулирование уровня
При включении прибора, появился стартовый экран (рисунок 3.4.3). На нем
показаны текущая температура, давление, дата и время, по необходимости, данные
корректируют.
Рисунок 3.4.3 - Установка температуры и давления
Далее в меню создал проект, в который будут записываться все измерения.
Затем установил экран измерений. Сначала ввел в прибор данные о станции. Для
этого нажал клавишу "STN", появился экран установки станции (рисунок
3.4.4). Выбрал строку "ИЗВЕСТНАЯ", нажал "ENT", в
появившемся окне (рисунок 3.4.5) ввел имя точки, в данном случае номер пункта
ОМС 3893, высоту инструмента и нажал клавишу"ENT".
Рисунок 3.4.4 - Установка станции
Рисунок 3.4.5 - Установка станции по точке с известными координатами
Выбрал способ, который будут использовать для ориентировки на заднюю
точку (путем ориентации на заднюю точку по введенным координатам; путем
ориентации на заднюю точку по введенным азимуту и углу) (рисунок 3.4.6). В данном
случае измерения проводились путем ориентации на заднюю точку по введенным
координатам на пункт ОМС 3704. Введя имя, навелся на заднюю точку и нажал
клавишу"ENT" для завершения установки станции.
Рисунок 3.4.6 - Ориентация на заднюю точку с известными координатами
Измерения начал с визирования на пункт начального ориентирования (рисунок
3.4.7). Наводящими винтами трубы и алидады совместил изображение центра сетки
нитей с центром визирной марки или отражателя, процентрированных над пунктом.
Рисунок 3.4.7 - Наведение на цель
Для измерения и записи результатов в указанный рабочий файл
провелследующие операции.
Визируюсь на переднюю точку хода. Чтобы измерить расстояние нажимаю клавишу
"MSR1" или "MSR2" на экране основных измерений (рисунок
3.4.8).
Рисунок 3.4.8 - Экран основных измерений
Нажимаю клавишу "ENT", набираю имя точки визирования "Т
1", высоту цели, код точки. Снова нажимаю клавишу "ENT", для
записи точки в проект(рисунок 3.4.9).
Рисунок 3.4.9 - Запись точки
Перехожу на следующую станцию. Повторяю все действия, сказанные выше.
Установив прибор на станции "Т 1" и сориентировавшись на заднюю точку
начинаю измерения земельного участка по тому же принципу.
После проведения полевых работ приступил к камеральным работам, которые
являются завершающим этапом геодезических работ.
.5
Камеральная обработка результатов геодезический измерений
В результате камеральной обработки были сформированы графические и
текстовые материалы об объекте работ. Графические материалы представлены
чертежами планами, на которых все объекты имеют пространственную привязку, то
есть их положение определено в заданной системе координат. Текстовые материалы
представляют собой каталоги координат объектов с оценкой их точности.
Для обработки результатов полевых измерений информация передается с
электронного тахеометра в компьютер. Обмен информацией "тахеометр -
компьютер" и обратно был выполнен с помощью программы "Data
Transfer". Для передачи информации использовался интерфейсный кабель,
который входит в комплект тахеометра. Он присоединяется к интерфейсному порту
тахеометра и к порту компьютера.
Запускаю Data Transfer (рисунок 3.5.1). Вхожу в "Устройства…".
Рисунок 3.5.1- Программа Data Transfer
Соединяю тахеометр с компьютером кабелем передачи данных. Включаю прибор.
В стартовом окне программы Data Transfer выбираю нужное устройство и нажимаю
кнопку соединения. При успешном соединении в правом верхнем углу между
изображениями компьютера и тахеометра появится галочка зеленого цвета. А под
картинкой надпись "Соединен с Nikon / TS415". Далее
"Добавить…" (рисунок 3.5.2).
Рисунок 3.5.2 - Соединение с тахеометром
В окне "Открыть" выделяю "Файл(ы) собранных данных",
указываю тип файла "Raw Nikon Files" - вся информация, содержащаяся в
текущем проекте.
С помощью кнопки "Пролистать…" определяю папку сохранения
файла. Далее "Открыть".
После этого в тахеометре из главного экрана измерений нажимаю
Меню > Связь > Разгрузка (рисунок 3.5.3).

Рисунок 3.5.3 - "Меню > Связь > Разгрузка"
В окне Разгрузка будет указан текущий проект. Формат выбираю
"Nikon" (рисунок 3.5.4). А данные выбираем "RAW" для
перекачки всей информации, содержащейся в проекте.
Рисунок 3.5.4 - "Формат"
В компьютере нажимаю "Передать Все" (рисунок 3.5.5). Утилита
Data Transfer переходит в режим ожидания.
Рисунок 3.5.5 - "Передать Все"
А в тахеометре нажимаю REC/ENT. Начнется передача данных. После передачи,
тахеометр спросит об удалении переданного файла. Нажимаю "Отмена" для
сохранения данных в приборе.
После сохранения файла открываю программу CredoDat 3.1, Создаю новый
проект (рисунок 3.5.6).
Рисунок 3.5.6 - Создание нового проекта
Выбираю в меню "Файл/Импорт" команду "Из файла". В
окне "Импорт файлов приборов" в выпадающем списке поля
"Формат" выбираю тип: NIKON RDF (*.400;*.rdf;*.txt) (рисунок 3.5.7).
Рисунок 3.5.7 - "Тип формата"
Нажимаю кнопку "Импорт" и выполняется загрузка файла.
Работа программы включает предварительную обработку данных, анализ
построения и уравнивание сети. Предварительная обработка ведет подготовку
данных к уравниванию. Вычисляются горизонтальные проложения и превышения,
вводятся различные поправки.
Далее провожу предварительную обработку данных (предобработка), она
является обязательным подготовительным шагом перед уравниванием.
Предварительная обработка выполняется с помощью команды Расчет меню
Расчеты/Предобработка (рисунок 3.5.8).
Рисунок 3.5.8 - Предобработка
После запуска расчета на экране появится диалоговое окно с запросом о
сохранении документа (под документом понимаются все данные проекта). Нажимаю
кнопку "Да" и в стандартном окне диалога сохраняем проект. После того,
как окно сохранения будет закрыто, автоматически начнется процесс
предварительной обработки. Далее выбираю команду "Показать все" в
меню "Вид" или в контекстном меню (рисунок 3.5.9).
Рисунок 3.5.9 - "Показать все"
Провожу анализ теодолитного хода на наличие грубых ошибок в угловых,
линейных и высотных измерениях. По завершении анализа на экран будет выведено
сообщение об ошибках в плановых измерениях. Нажимаю кнопку "ОК" в
этом окне и в следующем (окно об отсутствии ошибок высотных измерений).
Анализ построения выполняется программой отдельно для плановых и высотных
измерений. Реализован алгоритм L -анализа, позволяющий выявить, локализовать
грубые ошибки в углах, линиях, превышениях. Если их нет, выдается информация:
"Грубых ошибок не обнаружено".
Теперь можно приступать к уравниванию хода. Нажимаю кнопку
"Уравнивание". Уравнивание сети выполняется программой
параметрическим способом по методу наименьших квадратов. По результатам
уравнивания выполняется полная оценка точности. Выдаются уравненные координаты
определяемых пунктов сети с развернутой оценкой их точности, включая эллипсы
погрешностей их положения. Отдельно уравниваются высотные геодезические
построения. Они представляют собой при измерениях электронным тахеометром ходы
и другие схемы тригонометрического нивелирования. По результатам уравнивания
формируются каталоги координат и высот пунктов геодезического построения,
ведомости оценки точности плановых и высотных определений. Имеется возможность
настройки выходных документов под стандарты предприятий с использованием
"Генератора отчетов".
Далее нужно экспортировать файл с данными в программу AutoCAD. Для того
чтобы осуществить экспорт использую команду меню "Файл/Экспорт",
нажимаю кнопку "Экспорт". Далее выбираем путь и задаем имя
экспортируемого файла (рисунок 3.4.10).
Рисунок 3.4.10 - Экспорт файл в программу AutoCAD
Далее отрисовка производилась в программе Auto Cad 2006, путем занесения полученных координат. После
нанесения координат полученный земельный участок накладывается на кадастровый
план территории (рисунок 3.4.11).
Рисунок 3.4.11 - Земельный участок на кадастровом плане территории
Конечным результатом обработки является каталог координат границ
земельного участка (таблица 3.5.1).
Таблица 3.5.1 - Каталог координат границ земельного участка
|
Обозначение характерных
точек границ
|
Координаты, м
|
|
X
|
Y
|
|
1
|
2
|
3
|
|
н 1
|
339372.74
|
2330278.83
|
|
н 2
|
339375.52
|
2330288.66
|
|
н 3
|
339368.96
|
2330291.34
|
|
н 4
|
339371.48
|
2330298.55
|
|
н 5
|
339378.01
|
2330295.88
|
|
н 6
|
339384.82
|
2330319.27
|
|
н 7
|
339341.74
|
2330340.00
|
|
н 8
|
339323.03
|
2330292.26
|
|
н 9
|
339354.78
|
2330281.94
|
После камеральной обработки передал кадастровому инженеру результаты
геодезических измерений для дальнейшего формирования межевого плана.
3.6
Формирование межевого плана
Результатом работ по межеванию земельного участка и необходимым для
кадастрового учета документом является межевой план.
Межевой план представляет собой документ, который составлен на основе
кадастрового плана соответствующей территории или кадастровой выписки о
соответствующем земельном участке и в котором воспроизведены определенные,
внесенные в государственный кадастр недвижимости, сведения и указаны сведения
об образуемых земельном участке или земельных участках, либо о части или частях
земельного участка, либо новые необходимые для внесения в государственный
кадастр недвижимости сведения о земельном участке или земельных участках [29].
Межевой план оформлен на бумажном и электронном носителе. Межевой план на
бумажном носителе прошит и скреплен подписью и оттиском печати кадастрового
инженера.
Межевой план оформлен на листах формата A4. Нумерация листов межевого
плана является сквозной в пределах документа. Документы приложения (далее -
Приложение), не нумеруются. Составные части межевого плана скомплектованы в
следующей последовательности: титульный лист, разделы текстовой части межевого
плана, разделы графической части межевого плана, Приложение.
Текст титульного листа межевого плана размещается на одном листе. На нем
приводятся сведения о заказчике кадастровых работ и подпись представителя
юридического лица, осуществившего приемку кадастровых работ, с указанием даты
приемки. Кроме этого на титульном листе межевого плана приводятся сведения о
кадастровом инженере, а именно: номер квалификационного аттестата кадастрового
инженера, контактный телефон, почтовый адрес или адрес электронной почты, по
которым осуществляется связь с кадастровым инженером.
Подпись и оттиск печати кадастрового инженера проставляются на титульном
листе межевого плана и на обороте последнего листа межевого плана, а также в
акте согласования местоположения границы земельного участка.
Межевой план состоит из текстовой и графической частей, которые делятся
на разделы, обязательные для включения в состав межевого плана, и разделы,
включение которых в состав межевого плана зависит от вида кадастровых работ
[29].
В текстовой части межевого плана указаны необходимые для внесения в
государственный кадастр недвижимости сведения о земельном участке, а также
сведения о согласовании местоположения границ земельного участка в форме акта
согласования местоположения таких границ.
В графической части межевого плана воспроизведены сведения кадастрового
плана соответствующей территории или кадастровой выписки о соответствующем
земельном участке, доступ к образуемому земельному участку (проход или проезд
от земельных участков общего пользования) [29].
При образовании земельного участка межевой план состоит из следующих обязательных
разделов:
исходные данные;
сведения о выполненных измерениях и расчетах;
сведения об образуемых земельных участках и их частях;
сведения о земельных участках, посредством которых обеспечивается доступ
к образуемым или измененным земельным участкам;
заключение кадастрового инженера;
схема расположения земельных участков;
чертеж земельных участков и их частей.
В раздел "Исходные данные" вносятся следующие реквизиты:
перечень документов, использованных при подготовке межевого плана, сведения о
геодезической основе, использованной при подготовке межевого плана, сведения о
средствах измерений.
Раздел "Сведения о выполненных измерениях и расчетах" состоит
из следующих реквизитов: метод определения координат характерных точек границ
земельных участков и их частей, точность положения характерных точек границ
земельных участков, точность определения площади земельных участков.
Реквизиты раздела "Сведения об образуемых земельных участках и их
частях" представляют собой таблицы, количество которых должно соответствовать
количеству образуемых земельных участков.
Раздел "Сведения об образуемых земельных участках и их частях"
состоит из следующих реквизитов: сведения о характерных точках границ
образуемых земельных участков, сведения о частях границ образуемых земельных
участков, общие сведения об образуемых земельных участках.
В первый реквизит раздела вносятся обозначения характерных точек границы,
их координаты, а также указывается среднеквадратическая погрешность положения
характерных точек границ земельных участков.
Графа "Описание закрепления точки" разделов текстовой части
межевого плана заполняется в отношении новых точек границ земельного участка и
существующих точек границ земельного участка, местоположение которых уточнено в
результате кадастровых работ, в случае, если такие точки закреплены
долговременными объектами (например, бетонный пилон и т.д.), а в остальных
случаях в графе проставляется прочерк.
Во втором реквизите раздела записаны горизонтальные проложения между
характерными точками границ земельных участков.
В графы "Описание прохождения части границы" разделов текстовой
части межевого плана в виде связного текста заносится описание прохождения
отдельных частей границы земельного участка, если такие части границы совпадают
с местоположением внешних границ природных объектов и (или) объектов
искусственного происхождения, в том числе линейных объектов, сведения о которых
содержатся в ГКН.
В общих сведениях об образуемых земельных участках указывают адрес
земельного участка, сведения о категории земель и виде разрешенного
использования образуемого земельного участка, площадь земельного участка,
предельные минимальный и максимальный размеры, соответствующие виду
разрешенного использования земельного участка.
В разделе "Сведения о земельных участках, посредством которых
обеспечивается доступ к образуемым или измененным земельным участкам"
указывается номер или обозначение земельного участка, посредством которого
обеспечивается доступ.
Раздел "Заключение кадастрового инженера" включается в состав
межевого плана в следующих случаях:
в ходе кадастровых работ выявлены несоответствия кадастровых сведений о
местоположении ранее установленных границ смежных земельных участков, границ
муниципальных образований или населенных пунктов их фактическому местоположению,
наличие которых является препятствием для постановки образуемых земельных
участков на государственный кадастровый учет или для кадастрового учета
изменений в отношении существующих земельных участков;
имеются неснятые возражения по поводу местоположения земельного участка,
выделяемого в счет доли (долей) в праве на земельный участок из состава земель
сельскохозяйственного назначения, или возражения о местоположении границы
земельного участка;
в иных случаях, в том числе, если по усмотрению лица, выполняющего
кадастровые работы, необходимо дополнительно обосновать результаты кадастровых
работ (например, необходимо обосновать размеры образуемых земельных участков).
Раздел "Схема геодезических построений" оформляется в
соответствии с материалами измерений, содержащими сведения о геодезическом
обосновании кадастровых работ. На схеме условными обозначениями указаны граница
образуемого земельного участка, характерные точки границы земельного участка,
пункты опорной межевой сети, базисная линия, теодолитный ход и направление от
точек теодолитного хода до объектов, положение которых определялось.
Раздел "Схема расположения земельных участков" (далее - Схема)
оформляется на основе разделов кадастрового плана территории, содержащих
картографические изображения. Схема предназначена для отображения
местоположения земельных участков относительно смежных земельных участков,
земельных участков или земель общего пользования.
На схеме отображаются граница населенного пункта, граница образуемого
земельного участка, доступ к земельным участкам, номер кадастрового квартала.
Чертеж оформляется в масштабе, обеспечивающем читаемость местоположения
характерных точек границ земельных участков. На чертеже отображаются граница и
обозначение образуемого земельного участка, местоположение характерных точек
границ.
В акте согласования указываются реквизиты документов, удостоверяющих
личность правообладателей смежных земельных участков, либо их представителей.
При наличии обоснованных возражений о местоположении границы такие возражения
должны быть сняты либо путем проведения повторного согласования местоположения
границы (отдельной характерной точки или части границы), либо в порядке,
предусмотренном законодательством Российской Федерации для разрешения земельных
споров. В случае, если заявление о государственном кадастровом учете земельного
участка представляется в орган кадастрового учета в форме электронного
документа, межевой план оформляется в форме электронного документа, заверенного
электронной подписью подготовившего межевой план кадастрового инженера.
Итогом комплекса землеустроительных работ стало формирование межевого
плана, заверенного подписью и печатью кадастрового инженера, по образованию
земельного участка из земель, находящихся в муниципальной собственности,
расположенного по адресу: Вологодская область, Вологодский район, Подлесное
с/п, п. Надеево и передача одного экземпляра в ФГУ "Земельная кадастровая
палата" по Вологодской области, а второй экземпляр передается заказчику
[Приложение 3].
Заключение
Основной задачей геодезических работ в процессе образования земельных
участков является подготовка земельно-кадастровых данных, необходимых для
составления документов, удостоверяющих права граждан и юридических лиц на
земельные участки и недвижимое имущество.
Созданию геодезического обеспечения кадастровых работ необходимо уделять
особое внимание. Это объясняется тем, что от качества геодезического
обеспечения напрямую зависит качество геодезических данных об объектах
недвижимости: их местоположении, конфигурации и размерах, а, следовательно, и
качество проводимых кадастровых работ.
При установлении границ земельных участков в настоящее время чаще всего
используются: теодолитная съемка, тахеометрическая съемка и спутниковая
геодезическая съемка.
Положение граничных точек (межевых знаков) определялись в местной системе
координат.
Геодезической основой служат: пункты государственных геодезических сетей,
геодезические сети сгущения, опорные межевые сети.
Межевание проводилось в связи с образованием земельного участка.
Объект межевания - земельный участок в кадастровом квартале
35:25:0706013, расположенного Вологодская область, Вологодский район, Подлесное
сельское поселение, п. Надеево.
Работа по установлению границ земельного участка проходила в три этапа.
Подготовительные работы: сбор информации о документации, обсуждение
сроков и особенностей проведения кадастровых работ, оповещение владельцев
соседних участков о предстоящих работах.
Полевые работы: проведение геодезической съемки границы земельного
участка и всех объектов, способных повлиять на прохождение границы.
Камеральные работы: анализ всех материалов о земельном участке,
составление межевого плана.
В данной работе рассмотрен комплекс кадастровых и геодезических работ
применительно к земельному участку, предоставленному для личного подсобного
хозяйства.
Результатом проведения кадастровых работ стала подготовка межевого плана
по образованию земельного участка из земель, находящихся в муниципальной
собственности.
В результате проведения кадастровых работ в отношении земельного участка
были подготовлены документы, необходимые для осуществления кадастрового учета и
последующей регистрации прав на него.
Список
использованных источников
. Аврунев, Е.И. Геодезическое обеспечение
государственного кадастра недвижимости: монография / Е.И. Аврунев. -
Новосибирск: СГГА, 2010. - 144 с.
2. Алакоз, В.В. О проблемах геодезического обеспечения
кадастра недвижимости/ В.В. Алакоз, В.В. Бойков, М.А. Монахова, Е.С.
Пересадько// Геопрофи. - 2012. - №4. -С. 11-15.
. Батраков, Ю.Г. Геодезические сети сгущения:
учеб.пособие / Ю.Г. Батраков. - Москва: Недра, 1987. - 255 с.
4. Бирюков, Б.М. Приватизация земельных участков/ Б.М.
Бирюков. - Москва, 2006. - с.175
. Бородко, А.В. Развитие системы геодезического
обеспечения в современных условиях / А.В. Бородко, Н.Л. Макаренко, Г.В.
Демьянов// Геодезия и картография. - 2003. - № 10. - С. 7-13.
6. Варламов, А.А. Государственный кадастр недвижимости:
учебник для вузов / под ред. А.А. Варламова. - Москва: КолосС, 2012. - 679 с.
7. Ворошилов, А.П. Спутниковые системы и электронные
тахеометры в обеспечении строительных работ/ А.П. Ворошилов. - Челябинск:
АКСВЕЛЛ, 2007. - 163 с.
. Гаврилов, С.Г. Первая очередь базовой региональной
системы навигационно-геодезического обеспечения города Москвы / С.Г. Гаврилов,
А.Я. Черников, И.Б. Ефремова // Геопрофи. - 2011. - №3. - С. 16-21.
9. ГКИНП(ГНТА)-01-006-03. Геодезические,
картографические инструкции, нормы и правила. Основные положения о
государственной геодезической сети Российской Федерации: утв. Приказом
Роскартографии от 17.06.2003 N 101-пр. - Введ. 25.06.2003. - Москва,
Роскартография, 2004. - 14 с.
. ГОСТ 21830-76. Приборы геодезические. Термины и
определения. - Введ. 01.07.1977 - Москва: Стандартинформ, 2003. - 11 с.
11. Дементьев, В.Е. - Современная геодезическая техника и
ее применение/ В.Е. Дементьев. -Москва: Академический проспект, 2008. - 591 с.
. Демьянов, Г.В. Местные системы координат,
существующие проблемы и возможные пути их решения / Г.В. Демьянов, А.Н.
Майоров, Г.Г. Побединский // Геопрофи. - 2009. - № 2. - С. 52-57.
13. Земельный кодекс Российской Федерации: федер. закон от
25.10.2001 № 136-ФЗ (по сост. на 07.04.2015). - Москва: Омега-Л, 2015. - 144 с.
Приложение
2. Схема расположения земельного участка
Утверждена
Постановлением Администрации
Подлесного сельского поселения
от " 30 j" мая j 2014 г.
№ 12 о
Схема
расположения земельного участка
на
кадастровом плане территории
|
Кадастровый номер
земельного участка: ЗУ 1
|
|
Площадь земельного участка:
2299 кв. м.
|
|
Обозначение характерных
точек границ
|
Координаты, м
|
|
Х
|
У
|
|
1
|
2
|
3
|
|
н 1
|
339373
|
2330279
|
|
н 2
|
339376
|
2330289
|
|
н 3
|
339369
|
2330291
|
|
н 4
|
339371
|
2330299
|
|
н 5
|
339378
|
2330296
|
|
н 6
|
339385
|
2330319
|
|
н 7
|
339342
|
2330340
|
|
н 8
|
339323
|
2330292
|
|
н 9
|
339355
|
2330282
|
|
н 1
|
339373
|
2330279
|
Масштаб 1:7000
Условные обозначения:
:ЗУ 1 - обозначение образуемого земельного участка;
--- - граница образуемого земельного
участка;
--- - граница кадастрового квартала c К№ 35:25:0706013
Приложение
3. Межевой план