Газификация микрорайона 'Агидель-1' с. Старосубхангулово

  • Вид работы:
    Курсовая работа (т)
  • Предмет:
    Физика
  • Язык:
    Русский
    ,
    Формат файла:
    MS Word
    188,63 Кб
  • Опубликовано:
    2014-10-16
Вы можете узнать стоимость помощи в написании студенческой работы.
Помощь в написании работы, которую точно примут!

Газификация микрорайона 'Агидель-1' с. Старосубхангулово

Введение

Стремительное развитие современной промышленности привело к резкому изменению структуры топливного баланса промышленно развитых стран. К началу 80-х годов доля нефти и газа в топливном балансе выросла до 60 - 80%, и в ближайшие десятилетия отклонения от этой тенденции не предполагается. Необходимость транспортирования огромных количеств нефти и газа привела к бурному развитию трубопроводного транспорта, как самого экономически эффективного. К началу 90-х годов по трубопроводам ежегодно прокачивалось около 1500 млрд. м3 природного газа.

Трубопроводы становятся все более заметным элементом инфраструктуры. Сформировалась и быстро развивается новая отрасль транспорта - трубопроводная, которая в настоящее время обеспечивает более 2/3 всех перевозок топлива в стране. Она объединяет сети магистральных нефте- и газопроводов, общей протяженностью более 240 тысяч км. Только за первую половину 80-х годов прирост трубопроводной сети составил около 40 тыс. км, а это, учитывая интенсификацию ее параметров, эквивалентно протяженности всех трубопроводов, эксплуатировавшихся в стране в конце 1970 года. В настоящее время трубопроводы обеспечивают практически весь транспорт природного газа.

В эксплуатируемую, в настоящее время, систему газоснабжения входит более 70 тыс. км магистральных газопроводов высокого и среднего давления и более сотни месторождений газа [4].

С каждым годом все отчетливее видна возрастающая роль трубопроводного транспорта в развитии народного хозяйства. Трубопроводы способствовали коренной интенсификации транспорта, прежде всего на нефтегазодобывающих предприятиях, нефтебазах и газохранилищах, нефтехимических и химических производствах, а в последние годы также на предприятиях сельского хозяйства.

В работе приведена характеристика объекта газоснабжения с расчетной схемой, описание газопотребляющих приборов, определены расчетные расходы по участкам сети, определены диаметры участков методом оптимального диаметра, подобран ГРП.

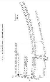
Микрорайон «Агидель-1» с. Старосубхангулово представляет собой индивидуальную жилую застройку, включающую 182 одноквартирных домов.

Газоснабжение жилищного кооператива осуществляется через распределительную сеть низкого давления, питающуюся от ГРП природным газом Уренгойского месторождения. Начальное давление (на выходе из ГРП) составляет 4 кПа, минимально допустимое давление на подходе газа потребителю составляет 1,8 кПа.

Каждый дом жилищного кооператива оборудован следующими приборами газопотребления:

·        ПГ-4 - 100%;

·        АОГВ - 100%;

Система газоснабжения в поселке - тупиковая разветвленная сеть с одним выходом из ГРП.

Схема расположения домов жилищного кооператива представлена на рисунке 1.

Рисунок 1 - Расчетная схема

1. Краткая информация о селе Старосубхангулово

Старосубхангу́лово - центр Бурзянского района Башкирии.

Расположено село в 330 км к юго-востоку от Уфы на реке Белая. Население - примерно 7 тыс. чел. (в основном башкиры). Живописная природа, горы скалы. Любителям активного отдыха очень понравится сплавы по горной реке "Агидель". На территории села есть лесоперерабатывающий комплекс, пищевые предприятия и музей.

Недалеко находится государственный заповедник «Шульган-Таш», основанный в 1958 году. В заповеднике есть пещера под названием "Капова". Пещера наиболее известна благодаря наскальным рисункам первобытного человека эпохи палеолита, их возраст примерно 14-14,5 тыс. лет.

газ гидравлический регулятор

2. Физические свойства природного газа

Приро́дный газ - смесь газов, образовавшаяся в недрах земли при анаэробном разложении органических веществ. Природный газ относится к полезным ископаемым, одно из важнейших горючих ископаемых, занимающее ключевые позиции в топливно-энергетических балансах многих государств. Природный газ является важным сырьем для химической промышленности. В пластовых условиях (условиях залегания в земных недрах) находится в газообразном состоянии - в виде отдельных скоплений (газовые залежи) или в виде газовой шапки нефтегазовых месторождений, либо в растворённом состоянии в нефти или воде.

Энергетическая и химическая ценность природного газа определяется содержанием в нём углеводородов. Очень часто в месторождениях он сопутствует нефти. Разница в составе природного и попутного нефтяного газа имеется. В последнем, как правило, больше сравнительно тяжёлых углеводородов, которые обязательно отделяются, прежде чем использовать газ [6].

Природные углеводородные газы представляют собой смесь предельных углеводородов вида СnН2n+2. Основную часть природного газа составляет метан CH4 - до 98 %.

В состав природного газа могут также входить более тяжёлые углеводороды - гомологи метана: - этан (C2H6), - пропан (C3H8), - бутан (C4H10), а также другие неуглеводородные вещества: - водород (H2), - сероводород (H2S), - диоксид углерода (СО2), - азот (N2), - гелий (Не)

Чистый природный газ не имеет цвета и запаха. Чтобы можно было определить утечку по запаху, в газ добавляют небольшое количество веществ, имеющих сильный неприятный запах, так называемых одорантов. Чаще всего в качестве одоранта применяется этилмеркаптан.

Для облегчения транспортировки и хранения природного газа его сжижают, охлаждая при повышенном давлении.

Природные газы подразделяют на следующие группы:

) Газ, добываемый из чисто газовых месторождений и представляющий собой сухой газ, свободный от тяжелых углеводородов.

) Газы, добываемые вместе с нефтью (растворенные или попутные газы). Это физические смеси сухого газа, пропанобутановой фракции (жирного газа) и газового бензина.

) Газы, добываемые из газоконденсатных месторождений - смесь сухого газа и жидкого углеводородного конденсата. Углеводородный конденсат состоит из большого числа тяжелых углеводородов (С5 + высш., С6 + высш. и т.д.), из которых можно выделить бензиновые, лигроиновые, керосиновые, а иногда и более тяжелые масляные фракции.

) Газы газогидратных залежей.

Компонентный состав и свойства отдельных компонентов природного газа приведены в таблице 1.

Таблица 1 - Основные свойства компонентов природных газов в стандартных условиях

Свойство

Обоз.

CH4

C2H6

C3H8

i-C4H10

n-C4H10

Молекулярная масса

М

16,04

30,07

44,10

58,12

58,12

Объем 1кг газа, м3

V

1,40

0,74

0,51

0,39

0,39

Плотность по воздуху


0,554

1,038

1,522

2,006

2,006

Масса 1м3 газа, кг

m

0,71

1,35

1,97

2,85

2,85

Критическое давление, МПа

ркр

4,58

4,86

4,34

3,85

3,57

Критическая температура, К

Ткр

191

305

370

407

425


Во многих случаях состав природных углеводородных газов определяется не полностью, а лишь до бутана (С4Н10) или гексана (С6Н14) включительно, а все остальные компоненты объединяются в остаток (или псевдокомпонент).

Газ, в составе которого тяжелые углеводороды составляют не более 75 г/м3, называют сухим. При содержании тяжелых углеводородов более 150 г/м3 газ называют жирным.

Газовые смеси характеризуются массовыми или молярными концентрациями компонентов. Для характеристики газовой смеси необходимо знать ее среднюю молекулярную массу, среднюю плотность в килограммах на кубический метр или относительную плотность по воздуху.

Молекулярная масса М природного газа:

,     (1.1)

где М - молекулярная масса i-го компонента; xi - объемное содержание i-го компонента, доли ед.

Для реальных газов обычно М=16 - 20.

Плотность газа ρг рассчитывается по формуле:

,     (2.2)

где Vм - объем 1 моля газа при стандартных условиях.

Обычно ρг находится в пределах 0,73 - 1,0 кг/м3.

Плотность газа в значительной степени зависит от давления и температуры, и поэтому для практического применения этот показатель неудобен. Чаще пользуются относительной плотностью газа по воздуху ρг.в., равной отношению плотности газа ρг к плотности воздуха ρв, взятой при тех же давлении и температуре:

ρг.в. = ρг / ρв,                                                                            (2.3)

Если ρг и ρв определяются при стандартных условиях, то ρв = 1,293 кг/м3 и ρг.в. = ρг / 1,293.

Вязкость газа характеризует силы взаимодействия между молекулами газа, которые преодолеваются при его движении. Она увеличивается при повышении температуры, давления и содержания углеводородных компонентов. Однако при давлениях выше 3МПа увеличение температуры вызывает понижение вязкости газа [5].

Уравнения состояния газов используются для определения многих физических свойств природных газов. Уравнением состояния называется аналитическая зависимость между параметрами газа, описывающая поведение газа. Такими параметрами являются давление, объем и температура.

Состояние идеальных газов в условиях высоких давления и температуры определяется уравнением Клапейрона - Менделеева:

,   (2.4)

где р - давление; Vи - объем идеального газа, N- число киломолей газа; R- универсальная газовая постоянная; Т - температура.

Идеальным называется газ, силами взаимодействия между молекулами которого пренебрегают. Реальные углеводородные газы не подчиняются законам идеальных газов. Поэтому уравнение Клапейрона-Менделеева для реальных газов записывается в виде:

pV = ZNRT,

где Z - коэффициент сверхсжимаемости реальных газов, зависящий от давления, температуры и состава газа и характеризующий степень отклонения реального газа от закона для идеальных газов.

Коэффициент сверхсжимаемости Z реальных газов - это отношение объемов равного числа молей реального V и идеального Vи газов при одинаковых термобарических условиях (т. е. при одинаковых давлении и температуре):

Z = V/Vи                                                                                                                                         (2.5)

Значения коэффициентов сверхсжимаемости наиболее надежно могут быть определены на основе лабораторных исследований пластовых проб газов. При отсутствии таких исследований (как это чаще всего бывает на практике) прибегают к расчетному методу оценки Z по графику Г. Брауна. Для пользования графиком, необходимо знать, так называемые, приведенные псевдокритическое давление и псевдокритическую температуру.

Критической называется такая температура, выше которой газ не может быть превращен в жидкость ни при каком давлении. Критическим давлением называется давление, соответствующее критической точке перехода газа в жидкое состояние.

С приближением значений давления и температуры к критическим свойства газовой и жидкой фаз становятся одинаковыми, поверхность раздела между ними исчезает и плотности их уравниваются.

С появлением в системе двух и более компонентов в закономерностях фазовых изменений возникают особенности, отличающие их поведение от поведения однокомпонентного газа. Не останавливаясь на подробностях, следует отметить, что критическая температура смеси находится между критическими температурами компонентов, а критическое давление смеси всегда выше, чем критическое давление любого компонента [3].

Состав газа Уренгойского месторождения:

метан = 98,8%;

этан = 0,7%;

пентан = 0,01%

азот = 0,98%;

углекислый газ = 0,29%.

3. Определение расчетных расходов газа

Системы газоснабжения городов и населенных пунктов рассчитываются на максимальный часовой расход газа (м3/ч), который определяется, для отдельных жилых домов и общественных зданий, по сумме номинальных расходов газа газовыми приборами с учетом коэффициентов одновременности их действия [2].

,  (3.1)

где Ksim - коэффициент одновременности.

qnom - номинальный расход газа прибором или группой приборов, принимаемой по паспортным данным или техническим характеристикам приборов, м3/ч;

ni - число однотипных приборов или групп приборов;

m - число приборов или групп приборов (при установке в квартирах приборов одного типа - это число квартир).

В микрорайоне «Агидель-1» находится 182 дома. В каждом доме установлено:

ПГ - 4 с расходом 1,3 м3/ч;

АОГВ с расходом 2,35 м3/ч.

Расход газа определили по формуле:

          (3.2)

где QАОГВ - расход газа аппаратом АОГВ, м3/ч;

QПГ - 4 - расход газа газовой плитой ПГ-4, м3/ч.

Так как жилые дома оснащены однотипными газовыми приборами, то расчетный расход газа можно определить по формуле:

      (3.3)

где n - количество домов на участке;

- номинальный расход газа плитой, м3/ч; 

- коэффициент одновременности, независящий от типа квартир;

- номинальный расход газа аппаратом АОГВ, м3/ч;

 - коэффициент одновременности, независящий от типа квартир.

Значение коэффициента одновременности для АОГВ рекомендуется принимать равным 0,85 независимо от числа квартир [2].

Коэффициент одновременности для плиты 4-комфорочной необходимо принимать в зависимости от числа домов [2]. Значения коэффициентов  для различных количеств домов и соответствующие им расчетные часовые расходы приведены в таблице 2.

Таблица 2 - Значения коэффициентов  для различных участков и путевые расходы газа

n

Кsim

Qп , м3/ч

0,5∙Qп , м3/ч

1

1

3,16

1,58

2

0,65

5,42

2,71

3

0,45

7,36

3,68

4

0,35

9,29

4,65

5

0,29

11,23

5,61

6

0,28

13,4

6,7

7

0,27

15,54

7,77

8

0,265

17,71

8,85

9

0,258

19,84

9,92

10

0,254

21,99

10,99

11

0,251

24,15

12,07

12

0,248

26,3

13,15

13

0,246

28,44

14,22

14

0,243

30,58

15,29

15

0,24

32,71

16,36

16

0,239

34,87

17,44

17

0,238

37,03

18,51

18

0,237

39,18

19,59

19

0,236

41,34

20,67

20

0,235

43,49

21,74


Расчет разветвленных тупиковых сетей производится последовательно по расчетным участкам, т.е. участкам между двумя соседними разветвлениями (узловыми точками). Каждый участок разветвленной сети может иметь равномерно распределенную нагрузку и сосредоточенную в конце участка.

Расчетные расходы газа по участкам определяется как сумма

Qp=0,5∙Qп+Qт                                                                          (3.4)

где Qт - транзитный расход газа, проходящий через расчетный участок на все последующие участки.

Транзитный расход определяется как сумма всех путевых и сосредоточенных расходов, проходящих транзитом через рассчитываемой участок

Qт=0,5∙(Qп+Qс)                                                                        (3.5)

Так как путевые расходы суммируются по участкам, то все расчеты для разветвленных сетей необходимо начинать с концевых участков.

Используя формулы (3.4) и (3.5), вычисляем транзитные и расчетные расходы и записываем данные в таблицу 3.

Таблица 3 - Расчетные расходы дл различных участков газопровода

Участок

L, м

n

Qп, м3/ч

0,5∙Qп, м3/ч

Qт , м3/ч

Qр , м3/ч

 

0-1

50

0

-

-

427,5

427,5

 

1-2

40

0

-

-

207,68

207,68

 

2-3

25

0

-

-

193,51

193,51

 

3-4

240

7

16,44

8,22

162,9

171,1

 

4-5

130

0

-

-

124,92

124,92

 

5-6

25

0

-

-

63,49

63,49

 

6-7

230

8

18,74

9,37

32,88

42,25

 

7-8

200

7

16,44

8,22

16,44

24,66

 

8-9

185

7

16,44

8,22

-

8,22

 

1-10

310

10

23,28

11,64

196,54

208,18

 

10-11

80

0

-

-

159,09

159,09

 

11-12

15

0

-

-

135,81

135,81

 

12-13

90

0

-

-

112,53

112,53

 

13-14

15

0

-

-

91,53

91,53

 

14-15

100

0

-

-

68,25

68,25

 

15-16

185

7

16,44

8,22

34,47

 

16-17

165

7

16,44

8,22

9,81

18,03

 

17-18

105

4

9,81

4,905

-

4,905

 

5-19

230

7

16,44

8,22

35,18

43,4

 

19-20

200

7

16,44

8,22

18,74

26,96

 

20-21

185

8

18,74

9,37

-

9,37

 

15-22

280

11

25,56

12,78

-

12,78

 

14-23

250

10

23,28

11,64

-

11,64

 

13-24

250

9

21

10,5

-

10,5

 

12-25

280

10

23,28

11,64

-

11,64

 

11-26

280

10

23,28

11,64

-

11,64

 

10-27

160

6

14,17

7,085

23,28

30,365

 

27-28

240

10

23,28

11,64

-

11,64

4-29

275

10

23,28

11,64

14,17

25,81

29-30

160

6

14,17

7,085

-

7,085

6-31

130

5

11,87

5,935

-

5,935

5-32

130

4

9,81

4,905

-

4,905

3-33

145

6

14,17

7,085

-

7,085

2-34

145

6

14,17

7,085

-

7,085


4. Гидравлический расчет газораспределительной сети низкого давления

Гидравлический расчет разветвленной тупиковой газовой сети низкого давления методом оптимальных диаметров произведем на ЭВМ. Его результаты представлены в таблице 4.

Таблица 4 - Результаты гидравлического расчета разветвленной газовой сети

участок

L, м

Qр , м3/ч

D*δ, мм*мм

Перепад

1

55

427,5

159*4,5

133,6

2

44

207,7

159*4,5

28,5

3

27,5

193,5

159*4,5

15,6

4

264

171,1

159*4,5

120,2

5

143

124,9

108*4

266,4

6

28

63,5

89*3,5

39,4

7

253

42,3

89*3,5

173,8

8

220

228

76*3,5

132,6

9

204

213

57*3

74,2

10

341

351

159*4,5

221,5

11

88

99

159*4,5

35,1

12

17

29

108*4

35,8

13

99

112

108*4

152,4

14

17

31

108*4

17,4

15

110

125

89*3,5

179,8

16

204

220

76*3,5

223,9

17

182

199

76*3,5

62,6

18

116

134

57*3

16,9

19

253

272

89*3,5

182,4

20

220

240

76*3,5

155,6

21

204

225

57*3

93,6

22

308

330

57*3

246,5

23

275

298

57*3

186,3

24

275

299

57*3

155

25

308

333

57*3

208,6

26

308

334

57*3

208,6

27

176

203

76*3,5

154,1

28

264

292

57*3

178,8

29

303

332

76*3,5

197,9

30

176

206

57*3

49,3

31

143

174

57*3

29,3

32

143

175

57*3

20,9

33

160

193

57*3

44,7

34

160

194

57*3

44,7


Конечное давление по направлению 1 = 2015.7 Па

Конечное давление по направлению 2 = 1921.0 Па

Конечное давление по направлению 3 = 2004.1 Па

Конечное давление по направлению 4 = 1977.8 Па

Конечное давление по направлению 5 = 2217.9 Па

Конечное давление по направлению 6 = 2266.6 Па

Конечное давление по направлению 7 = 2365.4 Па

Конечное давление по направлению 8 = 2401.2 Па

Конечное давление по направлению 9 = 2312.0 Па

Конечное давление по направлению 10 = 2454.9 Па

Конечное давление по направлению 11 = 2367.0 Па

Конечное давление по направлению 12 = 2414.8 Па

Конечное давление по направлению 13 = 2777.7 Па

Конечное давление по направлению 14 = 2793.3 Па

Начальное давление в сети P1= 3000.0 Па

Требуемое конечное давление P2= 1800.0 Па

Расчетный перепад давления H0= 1200.0 Па

Массив направлений по приоритету:

Конечные давления по всем направления Рi ≥ требуемого конечного давления P2= 1800 Па. Условие выполняется, следовательно расчет и выбор диаметров выполнены верно.

5. Выбор и описание работы ГРП

.1 Подбор типа ГРП

Шкафные ГРП, газорегуляторные установки и пункты газорегуляторные блочные (в дальнейшем пункты) предназначены для редуцирования высокого или среднего давления на требуемое, автоматического поддержания заданного выходного давления независимо от изменения расхода и входного давления, автоматического отключения подачи газа при аварийном повышении или понижении выходного давления от допустимых заданных значений, очистки от механических примесей газа, поставляемого по ГОСТ 5542-87.

В состав пункта входят:

узел фильтра;

линия редуцирования давления газа;

обводная линия, байпас.

Источником газоснабжения микрорайона «Агидель-1» с. Старосубхангулово является газопровод высокого давления I категории - при рабочем давлении газа свыше 0,6 МПа до 1,2 МПа.

В зависимости от требуемых параметров по давлению на входе Рвх= 0,6 МПа и выходе Рвых= 0,003 МПа, расходу Q = 427,5 м3/ч для снижения давления газа на ГРП предлагается установить шкафной газорегуляторный пункт марки ГРПШ-400-02-СГ-ЭК с одной линией редуцирования и байпасом.

Техническая характеристика ГРПШ-05-2У1 представлена в таблице 5.

Таблица 5 - Технические характеристики ГРПШ-05-2У1

 

ГРПШ-05-2У1

Регулятор давления газа

РДНК-400М

Клапан предохранительный сбросной

КПС-Н

Регулируемая среда

природный газ по ГОСТ 5542-87

Давление газа на входе, Рвх, МПа

0,6

Диапазон настройки выходного давления, Рвых, кПа

2-5

Пропускная способность (для газа плотностью ρ = 0,73 кг/м³), м³/ч

500

Масса, кг


.2 Описание работы ГРП

Пункт ГРПШ-05-2У1 работает следующим образом.

Газ по входному трубопроводу через входной кран 1 и фильтр 2 поступает на счетчик газа 8, а затем к регулятору давления газа 6, регулятор снижает давление газа до установленного значения и поддерживает его на заданном уровне. После редуцирования газ через выходной кран 13 поступает потребителю.

При повышении выходного давления выше допустимого заданного значения открывается сбросной клапан 11 и происходит сброс газа в атмосферу. При дальнейшем повышении или понижении контролируемого давления газа сверх допустимых пределов срабатывает предохранительно-запорный клапан, перекрывая подачу газа.

На фильтре 2 установлен манометр 4 для определения перепада давления на фильтрующей кассете. Максимально допустимое падение давления на кассете фильтра - 5 кПа.

В случае ремонта оборудования при закрытых входном 1 и выходном 13 кранах газ поступает к потребителю по резервной линии редуцирования. Контроль давления производится по выходному манометру 5.

Учет расхода количества газа производится счетчиком газа турбинным или ротационным с электронным корректором.

На входном газопроводе после входного крана 1, после регулятора давления газа 6 и на резервной линии редуцирования предусмотрены продувочные трубопроводы.

В пункте предусмотрена возможность настройки ПСК и регулятора в «тупике».

Рисунок 2 - Схема пневматическая функциональная: Схема пневматическая функциональная: 1, 3, 7, 12, 13 - краны шаровые; 2 - фильтр типа ФГ; 4 - манометр входной МТ; 5 - выходной манометр (не комплектуется); 6 - регулятор давления газа; 8 - счетчик газовый; 9 - регулятор (на отопление); 10 - аппарат отопительный; 11 - клапан предохранительный сбросной

6. Регуляторы давления газа

Регуляторы давления снижают и поддерживают постоянное давление газа в заданных пределах путем изменения расхода протекающего через регулирующий клапан газа.

По принципу действия регуляторы давления подразделяются на регуляторы непосредственного действия (прямого) и регуляторы непрямого действия, причем как первые, так и вторые могут быть прерывного и непрерывного действия.

В регуляторе непосредственного или прямого действия регулирующий орган находится под действием регулируемого параметра или прямо, или через зависимый параметр, и при изменении регулируемого параметра приводится в действие усилием, возникающим в чувствительном элементе регулятора и достаточным для перестановки регулирующего органа без какого-либо постороннего источника энергии.

В регуляторе непрямого действия (автоматический регулятор) чувствительный элемент воздействует на регулирующий орган посторонним самостоятельным источником энергии, которым могут служить воздух, газ, жидкость и т. п. При изменении величины регулируемого параметра усилие, возникающее в чувствительном элементе регулятора, приводит в действие лишь вспомогательное устройство.

Оба вида регуляторов состоят из регулирующего клапана, чувствительного (измерительного) и управляющего элементов.

В регуляторах непосредственного действия чувствительный и управляющий элементы являются составными частями привода регулирующего клапана и неотделимы от него. У регулятора прямого действия чувствительный и управляющий элементы - самостоятельные приборы, отделенные от регулирующего клапана.

Регуляторы непосредственного действия по сравнению с регуляторами непрямого действия обладают меньшей чувствительностью. Это объясняется тем, что клапан при изменении величины регулируемого параметра начинает перемещаться только после возникновения усилия, достаточного для преодоления сил трения во всех подвижных частях. У регулятора непрямого действия силы трения преодолеваются за счет постороннего источника энергии, и не требуется значительного изменения усилий на мембрану. Поэтому регулирование происходит здесь более плавно. Однако независимо от принципа действия регуляторы должны всегда обеспечивать достаточно устойчивое регулирование.

Регулятор давления непосредственного (прямого) действия представляет собой дроссельное устройство, приводимое в действие мембраной, находящейся под воздействием регулируемого давления. Всякое изменение давления газа вызывает перемещение мембраны, а вместе с ней и изменение проходного сечения дроссельного устройства, что влечет за собой уменьшение или увеличение расхода газа, протекающего через регулятор. Таким образом, обеспечивается постоянство давления на заданном уровне.

Регуляторы подразделяются в зависимости от формы и типа дроссельных устройств, вида мембран (плоские и манжетные), способов сочленения мембран с клапанами, рода нагрузки для уравновешивания давления газа на мембрану. Выпускаются регуляторы давления непосредственного действия, у которых передача импульса давления - расхода на мембрану идет через трубу, соединенную с газопроводом, подводящим газ к регулятору (регуляторы «до себя»), и регуляторы «после себя», где импульс передается на мембрану через трубку, соединенную с газопроводом после регулятора.

В зависимости от типа клапанов регуляторы могут быть односедельными, двухседельными, с мягкими и твердыми седлами,

В зависимости от рода нагрузки на мембрану различают три типа регуляторов: с весовой нагрузкой, с пружинной и с нагрузкой, создаваемой давлением газа.

Выбор регуляторов осуществляют на основании: максимального и минимального расходов газа; колебания расхода газа в течение суток; давления газа на входе и допустимых колебаний на выходе; состава газа; места установки регулятора.

Для герметичности и полного прекращения расхода газа (например, при установке регуляторов на тупиковых участках) более целесообразно применять односедельные регуляторы, обеспечивающие наибольшую плотность закрытия. Поэтому в городском газовом хозяйстве наиболее распространены именно односедельные клапаны.

Регуляторы давления непрямого действия. В регуляторах непрямого действия регулирующий орган перемещается за счет вспомогательных устройств:

пневматических, работающих на сжатом воздухе или газе;

гидравлических, работающих на жидкости (масло или вода) под давлением;

электрических, в которых привод исполнительного механизма осуществляется электродвигателем или соленоидным клапаном;

электрогидравлических, у которых перестановка регулирующего органа осуществляется гидравлическим способом, а управление приводом - электрическим.

Из автоматических регуляторов давления непрямого действия в практике газоснабжения наибольшее распространение получили пневматические регуляторы. Они широко применяются на газораспределительных и газгольдерных станциях, а также на крупных городских и промышленных установках, на которых не могут быть применены регуляторы давления непосредственного действия.

Простота конструкции, надежность, легкость обслуживания, а также взрыво- и пожаробезопасность являются основными достоинствами пневматических регуляторов.

6.1 Регулятор давления РДНК-400М

Регулятор рассчитан на устойчивую работу при воздействии температуры окружающего воздуха от минус 40 до плюс 60°С и относительной влажности до 95% при температуре плюс 35°С.

Регулятор РДНК - 400М выпускаемый ЗАО "Сигнал-Прибор", состоит из непосредственно регулятора давления и автоматического отключающего устройства.

Седло 10 регулятора (рисунок 3), расположенное в корпусе 8, является одновременно седлом рабочего 9 и запорного 21 клапанов. Рабочий клапан посредством штока 23 и рычажного механизма 24 соединен с рабочей мембраной 2, Сменная пружина 3 и нажимная гайка 4 предназначены для настройки выходного давления.

Рисунок 3 - Регулятор давления РДНК-400М: 1 - импульсная трубка; 2, 12 - мембрана: 3, 14, 15, 20, 25 - пружины; 4 - нажимная гайка; 5 - стакан; 6 - мембранная камера; 7 - хомут; 8 - корпус; 9 - рабочий клапан; 10 - седло; 11 - фиксатор; 13 - отключающее устройство; 16,17 - регулировочные гайки; 18 - пробка; 19,23 - штоки; 21 - запорный клапан; 22 - тройник; 24 - рычажный механизм; 26 - исполнительный механизм; Т - выходной патрубок; Н - входной патрубок

Отключающее устройство 13 имеет мембрану 12, соединенную с исполнительным механизмом 26, фиксатор 11 которого удерживает запорный клапан 21 в открытом положении. Настройка отключающего устройства осуществляется сменными пружинами 14 и 15.

Подаваемый к регулятору газ среднего или высокого давления, проходя через зазор между рабочим клапаном и седлом, редуцируется до низкого давления и поступает к потребителю.

Импульс от выходного давления по трубопроводу поступает из выходного трубопровода в подмембранную полость регулятора и на отключающее устройство. При повышении или понижении настроечного выходного давления сверх заданных значений фиксатор 11 усилием на мембране 12 выводится из зацепления и клапан 21 перекрывает седло 10. Поступление газа прекращается. Пуск регулятора в работу производится вручную после устранения причин, вызвавших срабатывание отключающего устройства.

Список использованных источников

1. Свод правил по проектированию и строительству СП 42-101-2003 «Общие положения по проектированию и строительству газораспределительных систем из металлических и полиэтиленовых труб». - М.: ЗАО «Полимергаз», 2003.

. Е.М. Муфтахов, А.И. Гольянов. Газоснабжение//Методич. указания. - Уфа: ООО «ДизайнПолиграфСервис», 2002 .

. Кязимов К.Г. Справочник газовика: Справ. пособие. - 3-е мзд., стер. - М.: Высш. шк.; Изд. центр «Академия», 2000. - 272 с.

. А.А. Данилов, П.И. Синицын, В.Н. Пономарев. Газоснабжение предприятий: Справ. пособие. - СПб.: Гидрометеоиздат, 2001.

. Н.Л. Стаскевич, Г.Н. Северинец, Д.Я. Вигдорчик. Справочник по газоснабжению и использованию газа. - Л.: Недра, 1990. - 762 с.

. Эксплуатация газорегуляторных пунктов: учеб. пособие/ М.В. Дмитриева, М.А. Иляева, А.И. Гольянов. - Уфа: ООО «Монография», 2007.

. СП 42-101-2003 Общие положения по проектированию и строительству.

Похожие работы на - Газификация микрорайона 'Агидель-1' с. Старосубхангулово

 

Не нашли материал для своей работы?
Поможем написать уникальную работу
Без плагиата!
Без нейросетей!