Изучение анатомического строения и антибактериальной активности хондриллы ситниковидной

  • Вид работы:
    Курсовая работа (т)
  • Предмет:
    Биология
  • Язык:
    Русский
    ,
    Формат файла:
    MS Word
    2 Мб
  • Опубликовано:
    2014-04-23
Вы можете узнать стоимость помощи в написании студенческой работы.
Помощь в написании работы, которую точно примут!

Изучение анатомического строения и антибактериальной активности хондриллы ситниковидной

Государственное бюджетное образовательное учреждение высшего профессионального образования

«Курский государственный медицинский университет»

Министерства здравоохранения Российской Федерации

Факультет фармацевтический

Кафедра фармакогнозии и ботаники






Курсовая работа

по дисциплине ботаника, микробиология

на тему: Изучение анатомического строения и антибактериальной активности хондриллы ситниковидной

Исполнитель: Кутенкова Е.Л.

Руководитель: к.ф.н. Кондратова Ю.А.



Курск-2014г.

СОДЕРЖАНИЕ

Введение

ГЛАВА I. КРАТКАЯ БОТАНИЧЕСКАЯ ХАРАКТЕРИСТИКА ХОНДРИЛЫ СИТНИКОВИДНОЙ

.1       Систематическое положение и морфологическая характеристика рода хондрилла

.2       Морфологическая характеристика хондриллы ситниковидной

.3       Химический состав хондриллы ситниковидной

.4       Применение хондриллы ситниковидной

ГЛАВА II. ЭКСПЕРИМЕНТАЛЬНАЯ ЧАСТЬ

.1 Изучение анатомического строения генеративных органов хондриллы ситниковидной

.2 Изучение антибактериальной активности хондриллы ситниковидной

Заключение

Список литературы

Введение

Хондрилла ситниковидная - это растение семейства Сложноцветных, используемое в народной медицине. Она издревле применялась как укрепляющее средство и противоядие при укусах змей на Украине, Кавказе, в России. Также хондриллу охотно поедают овцы. Наиболее популярные названия этого растения: расторопша и полевой салат, т.к. она так же используется в пищу людьми.

В настоящее время народная медицина очень популярная в ряду стран, в России же она отнесена к деятельности в области здравоохранения. Основным источником для поиска новых лекарственных растений является арсенал средств народной медицины. О народной медицине даже есть статья в Федеральном законе «Об основах охраны здоровья граждан в Российской Федерации». Долгие годы народная медицина всячески притеснялась, остались лишь немногочисленные знатоки, пронесшие свои знания через века. На сегодняшний момент широкому кругу населения недоступны даже элементарные знания о простейших способах лечения кашля и народные рецепты по уходу за кожей и телом.

Цель данной курсовой работы заключается в изучении анатомического строения и антибактериальной активности хондриллы ситниковидной.

Для достижения поставленной цели решались следующие задачи:

определение систематического положения и изучение морфологической характеристики растений рода хондрилла и хондриллы ситниковидной;

изучение химического состава хондриллы ситниковидной;

изучение области применения данного вида;

изучение анатомического строения ее генеративных органов;

определение антибактериальной активности.

ГЛАВА I КРАТКАЯ БОТАНИЧЕСКАЯ ХАРАКТЕРИСТИКА ХОНДРИЛЛЫ СИТНИКОВИДНОЙ

1.1 Систематическое положение и морфологическая характеристика рода хондрилла

Отдел Покрытосеменные или Цветковые - Angiospermae (Magnoliophyta)

Класс Двудольные - Magnoliopsida (Dicotyledones)

Подкласс Астериды - Asteridae

Порядок Сложноцветные (Астровые) - Compositae (Asterales)

Семейство Сложноцветные (Астровые) - Compositae (Asteraceae)

Род Хондрилла - Chondrilla L.

Общие сведения о семействе сложноцветные

Сложноцветные (Compositae), или Астровые (Asteraceae), семейство двудольных растений порядка Астроцветные (Asterales). Травы, полукустарники, кустарники и деревья. Свыше 25 тыс. видов (около 1100 родов), распространены по всему земному шару. Среди сложноцветных встречаются масличные культуры (подсолнечник <#"720381.files/image001.gif">



1.2 Морфологическая характеристика хондриллы ситниковидной

анатомический антибактериальный хондрилла ситниковидная

Отдел Покрытосеменные или Цветковые - Angiospermae (Magnoliophyta)

Класс Двудольные - Magnoliopsida (Dicotyledones)

Подкласс Астериды - Asteridae

Порядок Сложноцветные (Астровые) - Compositae (Asterales)

Семейство Сложноцветные (Астровые) - Compositae (Asteraceae)

Род Хондрилла - Chondrilla L.

Вид Хондрилла ситниковидная - Chondrilla juncea L. [12].

Хондрилла ситниковидная - двулетнее или многолетнее травянистое растение с растопыренно-ветвистым стеблем, часто почти до основания; в нижней части жесткощетинистое, 40-100 см высотой.

Растение со стержневым корнем и ветвистым, внизу жестковолосистым стеблем. Прикорневые листья выемчато-перистонадрезанные, собраны в розетку; стеблевые - сидячие, ланцетные и линейно-ланцетные, по краю с шипами. Вертикальное расположение листьев - ребром к солнцу - спасает от перегрева [16].

Цветочные корзинки одиночные, желтые, собраны в метелку. Все цветки в корзинках язычковые, с белым хохолком из простых волосков.

Плод - семянка с 5 ребрышками. Свежесозревшие семянки в засушливые годы имеют низкую всхожесть. Всходы из семянок, а побеги от почек на корневой шейке появляются в марте - мае [20, 21, 22].

Цветет в июле - сентябре. Плодоносит в августе - октябре.

Распространена на Украине (Днепровский район, Карпаты), в Крыму, в Беларуси, в европейской части России (Волжско-Донской, кроме юга и востока, Причерноморский районы), в Молдове, на Кавказе (все районы), в Средней Азии [13].

Общее распространение: Южная Европа, Балканский полуостров, Малая Азия, Северная Америка (заносное).

Растет в песчаных степях, на песках речных долин, близ морских побережий, на песчаных полях, в борах, на вырубках, каменистых супесчаных склонах, галечниках, иногда сорное в садах, виноградниках, у дорог и в посевах, в предгорьях и нижнегорном поясе, группами, небольшими зарослями.

1.3 Химический состав хондриллы ситниковидной

Состав хондриллы ситниковидной мало изучен. Известно лишь то, что стебли и листья содержат млечный сок. В корнях и стеблях обнаружены стерины. Во всех частях растений содержится каучук (около 2%), в корнях - от 2 до 6% [13].

1.4 Применение хондриллы ситниковидной

С лечебной целью используют практически все части растения. Отвар листьев и корней с корневищами используют при диарее и кишечных инфекциях, как противоядие при укусах ядовитых змей. Наружно его применяют в качестве примочек и обмываний при фурункулезе [3, 13, 15, 18].

Свежие листья хондриллы употребляют в пищу как салат. Коагулированный млечный сок (наплыв) из стеблей растения жуют для очистки зубов, а водный настой его принимают при нарушении менструального цикла.

В качестве лечебного сырья активно используют траву во время цветения; корневища с корнями - осенью; млечный сок - в июле - сентябре.

В народной медицине Средней Азии отвар листьев и корневищ с корнями применяют при поносах и как противоядие при укусах ядовитых змей. Водный настой млечного сока употребляют при нарушении менструального цикла.

Способы приготовления лекарственных форм.

.        1 чайная ложка корней на 1 стакан воды, кипятить на слабом огне 5 минут, настаивать 1 час, процедить. Принимать по 1-2 столовых ложки при вышеуказанных заболеваниях и в виде примочек при фурункулезе.

.        1 ч. л. измельченных травы и корневища с корнями хондриллы на 250 мл кипятка настаивают 30 минут на водяной бане, процеживают. Принимают по 2 ст. л. 2 раза в день как укрепляющее средство при поносе и как противоядие при укусах ядовитых змей.

ГЛАВА II. ЭКСПЕРИМЕНТАЛЬНАЯ ЧАСТЬ

.1 Изучение анатомического строения генеративных органов хондриллы ситниковидной

Исследование анатомических признаков соцветия (язычкового, цветка, листочков обертки) проводили в соответствии с методиками ГФ XI издания статья «Цветки». Для получения микрофотографий использовался лабораторный микроскоп «Биолам С-11» с цифровой насадкой. Фотографии были обработаны на компьютере с помощью программы PhotoScape [5, 11].

Язычковые цветки

При изучении микропрепарата язычкового цветка с поверхности установлено, что клетки эпидермиса трубки венчика прозенхимной формы, прямостенные. Эпидермис трубки венчика опушен простыми одноклеточными волосками с оттянутой острой верхушкой и расширенным основанием.

Клетки эпидермиса отгиба венчика прямостенные, прозенхимной формы, иногда слегка извилистостенные. Вдоль края язычкового цветка клетки эпидермиса с сосочковидными выростами.

Завязь опушена простыми тонкостенными многорядными волосками направленными вверх или слегка отклоненными.

Листочки обертки

Клетки эпидермиса листочков обертки слегка извилистостенные, прозенхимной формы. Вдоль жилки клетки эпидермиса паренхимные, прямостенные, часто заполненные бурым содержимым. Вдоль края клетки эпидермиса с сосочковидными выростами.

На верхушке листочков обертки встречаются многоклеточные тонкостенные волоски со спадающими стенками, часто перекрученные. Листочки обертки опушены простыми одноклеточными волосками с оттянутой острой верхушкой и расширенным основанием.

Также вдоль жилок листочков обертки встречаются млечники.

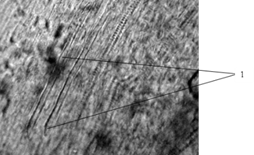
Рис. Фрагмент верхушки листочка обертки (Увел. х80) 1- многоклеточные тонкостенные волоски со спадающими стенками, часто перекрученные

Рис. Фрагмент эпидермиса листочка обертки вдоль жилки (Увел. х200) 1 - клетки эпидермиса с бурым содержимым

Рис. Фрагмент эпидермиса листочка обертки (Увел. х200) 1 - простые одноклеточные волоски с оттянутой острой верхушкой и расширенным основанием.

Рис. Фрагмент эпидермиса листочка обертки (Увел. х200) 1 - простые одноклеточные волоски с оттянутой острой верхушкой и расширенным основанием, 2 - извилистостенные клетки эпидермиса

Рис. Фрагмент эпидермиса листочка обертки (Увел. х200) 1 - млечники

.2 Изучение антибактериальной активности хондриллы ситниковидной

Необходимо сказать, что лекарственные растения играют важную роль как источники антибиотиков, так как применяемые синтетические антибиотики часто оказывают неблагоприятное влияние на иммунобиологическую реактивность организмов, нарушают формирование специфического иммунитета, не обладают ранозаживляющими и противовоспалительными свойствами. Антибиотики из высших растений стимулируют защитные реакции клеток и тканей организма, активизируют процессы их регенерации, обладают противовоспалительным и антитоксическим действием [6].

Изучение антимикробной активности препаратов из изучаемого растения проводилось на кафедре микробиологии КГМУ. Исследовали настои, полученные из травы хондриллы ситниковидной на антибактериальную активность в отношении стандартного набора индикаторных штаммов микроорганизмов. Антибактериальное действие препаратов из исследуемых видов определяли методом внесения их на питательную среду с последующим посевом микробов на поверхность агара [1, 2 ,4].

Для этого из исследуемых препаратов готовили различные разведения в стерильном расплавленном и остуженном до 50°C питательном агаре. Содержимое после перемешивания заливали в стерильные чашки Петри и оставляли при комнатной температуре. После застывания агара чашки делили на секторы. Каждый сектор засевали штриховым методом взвесью суточных культур, содержащей 100 млн. микробных клеток в 1 мл, в количестве одной бактериологической петли. Контролем являлись посевы тех же бактерий на питательные среду, не содержащие испытуемых препаратов. Посевы инкубировали в термостате при температуре +37°C. Результаты эксперимента учитывали через 24 часа и 48 часов (для грибов рода Candida). При этом регистрировали интенсивность роста колоний микроорганизмов (сильный рост, слабый рост) или его отсутствие. Антимикробную активность выражали в мкг/мл, в пересчете на действующие вещества и воздушно-сухое сырье, из которого приготовлено извлечение.

Таблица 1 Антимикробная активность настоя из травы хондриллы ситниковидной Примечание: «-» - отсутствие роста, «±» - слабый рост, «+» - сильный рост.

Препарат

Разведение

Candida

B.cereus

P.vulgaris

Ps. aeruginosa

E. Coli

St. aureus

Настой травы хондриллы

1:2

-

+

-

±

+

-


1:4

-

+

±

+

+

-


1:10

-

+

±

+

+

-

Контроль

1:2

+

+

+

+

+

+


1:4

+

+

+

+

+


1:10

+

+

+

+

+

+

Из данных таблицы 1 видно, что настой травы хондриллы ситниковидной проявил выраженную антимикробную активность в отношении культур St.aureus и Candida во всех разведениях, у культур B.cereus и E.coli наблюдался сильный рост, т.е. бактерицидной активности выявлено не было. В отношении P.vulgaris антимикробная активность наблюдалась в разведении 1:2, в разведениях 1:4, 1:10 - слабый рост. В отношении Ps.aeruginosa в разведении 1:2 наблюдался слабый рост, в разведениях 1:4 и 1:10 антимикробная активность не наблюдалась.

Таким образом, была доказана антибактериальная активность настоя травы хондриллы ситниковидной, что позволит в дальнейшем рекомендовать данное растение, как при комплексной терапии, так и как самостоятельные антибактериальные средства.

Заключение

В результате проведенных исследований на основании литературных источников даны морфологическая характеристика хондриллы ситниковидной, определен ареал распространения вида, изучено его применение.

Вторая глава экспериментального характера, была посвящена анатомическому изучению генеративных органов хондриллы ситниковидной, в ходе которой были выявлены основные диагностические признаки:

·        простые одноклеточные волоски с оттянутой острой верхушкой и расширенным основанием, встречаются по эпидермису язычкового цветка, листочков обертки;

·        многоклеточные тонкостенные волоски со спадающими стенками, часто перекрученные, встречаются на верхушке листочков обертки;

·        простые тонкостенные многорядные волоски направленные вверх или слегка отклоненные, встречаются по завязи язычкового цветка;

·        млечники.

Также была изучена антибактериальной активности настоя, полученного из хондриллы ситниковидной. Опытным путем было доказано, что настои обладают бактерицидным действием в отношении ряда тестовых культур.

Список литературы

1.       Антибактериальная активность извлечений из некоторых видов цветковых растений / В.А. Бандюкова, О.А. Андреева, Н.И. Богаевская // Раст. Ресурсы. - 1990. - Т.26, вып.2.

.        Антимикробная активность сухого экстракта из листьев Bergenia crassifolia (L.) Fritsch. в отношении возбудителей некоторых гнойно-вос-палительных заболеваний / Л.М. Федосеева, С.И. Керашева, Е.Б. Карабасова //Раст. ресурсы. - 2000. - Т. 36, вып. 1. - С. 42-44.

.        Большая Курская энциклопедия в 3 т. / гл. ред. Ю.А. Бугров. - Курск: Кур. науч. краевед. о-во, 2004. 255 с.

.        Бубенчикова, В.Н. Изучение фармакологической активности шалфея блестящего / В.Н. Бубенчикова, Ю.А. Кондратова Ю.А. // Кубанский научный медицинский вестник. - 2010. - № 7. С. 38-40.

.        Государственная фармакопея СССР. - 11- изд. - М.: Медицина, 1987. - Вып. 1. -277с.

.        Дикорастущие полезные растения России / Под ред. А.Л. Бубанцева, Е.Е. Лесиовской. - Спб, 2001. 23 с.

7.       Еленевский, А. Г. Ботаника. Систематика высших, или наземных, растений // А. Г. Еленевский, М. П. Соловьева, В. Н. Тихомиров. - М.: Изд-во «Академия». 2004 - 432 с.

8.       Зитте, П. Ботаника. Эволюция систематика // П. Зитте, Э. Вайлер - М.: Изд-во «Академия». 2007 - 576с.

.        Иллюстрированный определитель растений Средней России. Том. 3: Покрытосеменные (двудольные: раздельнолепестные ) / И.А. Губанов, К.В. Киселева, В.С. Новиков, В.Н. Тихомиров - М.: Т-во научных изданий КМК, Ин-т технологических исследований. 2004. - 520 с.

.        Маевский, П.Ф. Флора средней полосы европейской части России, 10-е изд. / П.Ф. Маевский. - М.: Товарищество научных изданий КМК, 2006. - 600 с.

.        Никитин А.А. анатомический атлас полезных и некоторых ядовитых растений / А.А.Никитин, И.А.Панков. - Ленинград: Изд-во «Наука», 1982. -с.768.

.        Полуянов, А.В. Сосудистые растения Курской области / А.В. Полуянов, Н.В. Прудников. - Курск: КГМУ, 2005. 95 с.

.        Растительные ресурсы СССР: Цветковые растения, их химический состав, использование; Семейство Asteraceae. - СПб.: Наука,1993. - 299 с.

.        Сербин, А. Г. Медицинская ботаника // Сербин А. Г., Л. М. Серая, Н. М. Ткаченко, Т. А. Слободянюк. - Харьков: Изд-во НФаУ "Золотые страницы", 2003 - 364 с.

.        Универсальная энциклопедия лекарственных растений /Сост. И. Путырский, В. Прохоров - Мн.: Книжный Дом. М.: Махаон, 2000. - 322 с.

.        Флора СССР / Под ред. Е.Г.Боброва и Н.Н.Цвелева. том XXIX М.: Наука, 1964. 565 с.

.        Шанцер, И. А. Растения средней полосы Европейской России: Полевой атлас. // И. А. Шанцер - Изд. 2-е. М.: Т-во науч. изд. КМК, 2007. - 480 с.

.        http://travmnogo.ru/trava_hondrilla.html

.        http://www.mycity.kherson.ua/pryroda/rasteny/tema8.html

.        http://russiafood.ru/travy/hondrilla_sitnikovidnaya.html

21.     <http://www.plantarium.ru/page/view/item/10275.html>

.        <http://enc-dic.com/synonym/Hondrilla-11177.html>

.        <http://travniky.ru/travy/hondrilla-sitnikovidnaya-hondrilla-obyik/>

.        <http://vseslova.com.ua/word/Хондрилла-117624>

.        http://samsay.ru/narodrasti/4882-xondrilla-sitnikovidnaya-primenenie-i-lechenie.html

Похожие работы на - Изучение анатомического строения и антибактериальной активности хондриллы ситниковидной

 

Не нашли материал для своей работы?
Поможем написать уникальную работу
Без плагиата!
Без нейросетей!