Строительство земляного полотна
1. Основные проектные решения и условия строительства
1.1 Физико-географическая характеристика района
строительства
2. Проектные решения по земельному полотну
2.1 Конструкция земляного полотна
.2 Земляное полотно в выемке
.3 Земляное полотно в насыпи
.4 Устойчивость земляного полотна
3. Проект организации и производства строительно-монтажных
работ
3.1 Подготовка дорожной полосы
.2 Разбивочные работы при возведении земляного полотна
.3 Строительство сооружений для регулирования
водно-теплового режима земляного полотна
.4 Комплектование специализированного отряда и выбор
ведущих машин
.5 Возведение земляного полотна в нескальных грунтах
3.5.1 Возведение земляного полотна из выемки в насыпь
.5.2 Планировочные, отделочные и укрепительные работы в
выемке
.5.3 Возведение земляного полотна из привозного грунта
.5.4 Планировочные, отделочные и укрепительные работы в
насыпи
4. Организация работ по возведению земляного полотна
4.1 Технологические карты производства дорожных работ
.2 Календарный график возведения земляного полотна
.3 Контроль качества производства земляных работ
5. Сметно-финансовый расчет
. Охрана труда
. Охрана окружающей среды
. Деталь проекта
Заключение
Список использованной литературы
Введение
Земляное полотно - является основанием для важнейшего и наиболее дорогого
элемента дороги - дорожной одежды, прочность и долговечность которой
существенно зависят от прочности и устойчивости земляного полотна.
В целом земляное полотно находится под действием подвижной нагрузки, сил
собственного веса и различных природно-климатических факторов. Поэтому важным
является проектирование и строительство земляного полотна таким образом, чтобы
под действием вышеперечисленных сил оно не изменило своей формы и было
устойчивым. Однако наблюдения показывают, что по разным причинам могут
произойти деформации и разрушения: осадка насыпи из-за недостаточного
уплотнения грунта при строительстве; просадка пористых увлажненных слоев грунта
в основании под насыпью вследствие выжимания воды ее собственным весом;
расползание насыпи под действием ее собственного веса при оттаивании грунтов
или вследствие строительства из переувлажненных или мерзлых грунтов без
надлежащего уплотнения; обрушение откосов насыпи вследствие их большой крутизны
и влажности грунта; сползание насыпи по крутому склону.
Для устройства устойчивого земляного полотна необходимо: использовать для
него устойчивые грунты; обеспечить устойчивость основания под насыпью;
правильно расположить грунты в земляном полотне; добиться требуемой степени
уплотнения грунта в теле насыпи; обеспечить устойчивость насыпи на косогорах;
обеспечить надлежащий отвод поверхностных и грунтовых вод от земляного полотна;
укрепить откосы земляного полотна.
Конструкцию земляного полотна выбирают исходя из категории дороги,
свойств грунтов, типа дорожной одежды природно-климатических и других условий
района строительства дороги.
Тип земляного полотна принимают с учетом: обеспечения устойчивости
откосов земляного полотна; требуемых транспортно-эксплуатационных показателей
автомобильной дороги; обеспечения безопасности движения и других конкретных
условий.
1.
Основные проектные
решения и условия строительства
.1
Физико-географическая
характеристика района строительства
Рельеф
Карелия имеет сильно расчлененную поверхность. Существенную роль в создании
современного рельефа играло неоднократное оледенение территории. Валуны и
скалы, как правило, обтесаны ледниками, их называют "бараньими
лбами".
Деятельностью ледниковых вод были созданы волнистые песчаные равнины,
высокие галечно-песчаные насыпи - озы, каменистые гряды и кряжи, вытянутые с
северо-запада на юго-восток, так называемые сельги.
К северо-западу от Онежского озера расположена Прионежская сельговая
часть района, главной особенностью которой являются узкие гряды - сельги, вытянутые с северо-запада на юго-восток.
Абсолютные отметки в редких случаях превышают 100 м. Крайняя
юго-восточная часть территории Карелии представляет собой слабо расчлененную
равнину.
Растительность
и почвы
Территория Карелии покрыта лесами на 55%. В северной половине резко
преобладают сосняки, однако островами встречаются крупные массивы ельников, в
южной, наоборот, при преобладании еловых насаждений значительные площади
занимают сосняки.
В общей сложности на долю хвойных лесов приходится 88% покрытой лесом
площади. Оставшуюся часть занимают березняки, осинники и ольшаники, которые
большими или меньшими участками встречаются по всей Карелии, отдавая
предпочтение южным районам.
Толщина почвенно-растительного слоя составляет 0,2-0,3 метра. Под
почвенно-растительным слоем залегают пески крупные, средней крупности и
суглинок.
Климат
Карелия отличается продолжительной, относительно мягкой зимой, коротким
прохладным летом, значительной облачностью. Годовое количество осадков на
северо-востоке республики 400 мм, на юго-западе более 600 мм. Из-за частых
циклонов погода в Карелии неустойчивая: зимой продолжительные оттепели с
обильными снегопадами, сменяющиеся резким похолоданием, летом понижение
температуры, сильные ветры, интенсивные дожди.
Зима на севере края начинается с середины октября, а в первой половине
ноября устанавливается повсеместно. Холодный период с температурой ниже 0С
длится на севере 190, на юге- 150 дней. С ноября образуется устойчивый снежный
покров высотой 40-60 см (в редкие годы- до 100 см). Зимние температуры по годам
подвержены резким колебаниям (от 0 до -50С). Самый холодный месяц- февраль: на
севере средняя температура около -14С, на юге -10С мороза. Облачные дни зимой
составляют 70-80%.
Весна начинается с конца марта. Уже в середине апреля плюсовая температура.
Во второй половине апреля вскрываются реки, а в мае- озера. Во второй половине
мая почва заметно подсыхает. Заморозки прекращаются в конце мая (на севере - примерно 10 июня). Лето приходит в начале июня в южных и во
второй половине июня в северных районах. К этому времени средняя суточная
температура выше +10С. Летний период длится от 2,5 месяцев на севере до 3,5
месяцев на юге. Средние температуры достигают максимума в июле: +14,6С на
севере и +16,2С на юге. Наиболее высокие температуры июля в иные годы доходят
до +34С, но возможно и похолодание до 0С, а на болотах и низинах ниже 0С. Летом
нередки ливневые дожди, число дней с грозами- 14 на юге и 7 на севере.
Осень длится со второй половины августа до середины октября, когда уже
замерзают водоемы. Погода делается пасмурной, усиливаются ветры, особенно у
побережья Белого моря. Среднемесячная температура октября обычно +1 -2С. В
северных районах выпадает снег.
Основные
технические нормативы и показатели дороги
Основные параметры, принятые при проектировании:
категория автомобильной дороги - III
расчетная скорость - 100 км/час
наибольший продольный уклон - 5о/оо
- наименьшее расстояние видимости встречного автомобиля - 350 метров
то же, для остановки - 200 метров
ширина земляного полотна - 12 метров
ширина проезжей части - 7 метров
протяженность участка - 4140 м
2.
Проектные решения по
земельному полотну
.1
Конструкция земляного
полотна
Проектная линия продольного профиля запроектирована с учетом
геологических, гидрологических условий и рельефа местности.
Земляное полотно автомобильной дороги отсыпается послойно по 0,3м двумя
методами:
из выемки в насыпь
из привозного грунта
Все грунты должны быть однородны и без негабаритов, а так же
соответствовать требованиям ГОСТ 25.100 - 95 "Грунты. Классификация".
Каждый отсыпанный слой уплотняется до требуемого коэффициента при оптимальной
влажности.
.2
Земляное полотно в
выемке
Длина выемки составляет 180 м., профильный объем всех работ по выемке
составляет 5649 м3.
Вычисляем среднюю рабочую отметку насыпи по формуле:
, (2.2.1)
где
В - ширина земляного полотна, 14,46 м;
b -
ширина канавы на уровне бровки, 2,1 м;
m -
уклон выемки,1,5;
ωср - средняя площадь выемки:
ωср =
= 31,4
, (2.2.2)
где V - объем выемки, 5649 м3, L - длина выемки, 180 м. a - площадь сливной призмы:
, (2.2.3)
где iп- поперечный уклон верха насыпи.
2.3
Земляное полотно в
насыпи
Общая длина насыпи соответственно составляет 3960 м., профильный объем
всех работ по насыпи составляет 83017 м3.
Вычисляем среднюю рабочую отметку насыпи по формуле:
, (2.3.1)
где ωср - средняя площадь насыпи вычисляется по формуле (2.2.2):
ωср
= 20,96
.
2.4
Устойчивость земляного
полотна
Рисунок 1 - Схема расчета устойчивости земляного полотна.
Устойчивость земляного полотна будет достаточной, если расчетное значение
касательного напряжения меньше допустимого значения касательного напряжения,
т.е. τ<τдоп.
, (2.4.1)
, (2.4.2)
, (2.4.3)
, (2.4.4)
где Р - давление от веса насыпи;
z -
расстояние от подошвы насыпи до плотного основания, м;
a -
заложение откоса земляного полотна, м;
R1,…,R4 - вектора видимости;
α 1,…,α3 - углы между векторами, рад;
γ - удельный вес грунта,
;
Нср - средняя отметка насыпи, м;
m-
коэффициент заложения откоса;
с - сцепление грунта, МПа;
φ - угол внутреннего трения, 0.
Расчет на устойчивость земляного полотна:
Грунт - суглинок легкий; φ =210; с = 0,024МПа; γ
= 2,0
.
=1.8 м; Нср = 1,16 м; m=1,5;
α 1= 5038’=0,09 рад; α2= 64037’=1,14 рад; α3=96024’=1,73 рад;
R1=15,6м; R2= 12,9м; R3=1.7м; R4=3.9м.
Расчет:
МПа
м
МПа
МПа
Так как τ<τдоп - устойчивость земляного полотна обеспечена.
3.
Проект организации и
производства строительно-монтажных работ
.1
Подготовка дорожной
полосы
В начале подготовки дорожной полосы производится восстановление и
закрепление трассы на местности: геодезическая разбивочная основа, состав и
объем работ которой регламентируется в СНиП 3.01.03 - 85.
Для постоянных и временных дорог ширина полосы отвода земель принимается
в соответствии с " Нормами отвода земель для автомобильных дорог" СН
467 - 74.
Подготовка дорожной полосы включает в себя расчистку строительного
участка от леса, кустарника, мелколесья, а так же расчистку от пней и камней.
Так же производится удаление растительного слоя с помощью бульдозера.
Земельные участки, отводимые на период строительства автомобильных дорог
под притрассовые карьеры, для размещения подъездных дорог и др. подлежат
возврату землепользователям после приведения их в надлежащее состояние, в
соответствии с утвержденными положениями СНиП 2.05.02 - 97.
Валка
деревьев
Отведенную полосу земли расчищают от леса, кустарника, пней и крупных
камней. Если в пределах этой полосы находятся строения, коммуникационные
сооружения, то их перестраивают или переносят на другое место.
Ширина полосы отвода для автомобильной дороги третей технической
категории составляет 36 м (B0).
Площадь полосы отвода составляет:
0 =
м2 = 14,9 га (3.1.1.1)
Площадь, занимаемая лесом по все дороге:
0лес =
7,45 га (3.1.1.2)
строительство земляной полотно насыпь
Объем вырубаемой древесины определяется :
Мл = S0лес
= 7,45
200 = 1490 м3 (3.1.1.3)
Сменная производительность:

=
Корчевка пней
В летний период производят корчевку пней с помощью бульдозеров или
корчевателей, а срезку кустарника можно производить в любое время года. Ведущая машина - ДП 26С (часовая производительность - Пчас=
0,15 га/час).
Псм =
га/смену, (3.1.2.1)
где Т- продолжительность смены;
Кв- коэффициент использования рабочего времени.
= 7,45/1 = 7,45
8 бр./смен
Ткал = Тр
Кп = 8
1,4 = 12 дней
Удаление
растительного слоя
Растительный грунт (плодородный почвенный слой) снимают со всей площади,
отведенной для строительства дороги, укладывают в валы или вывозят за пределы
строительного объекта для дальнейшего использования при рекультивации земель,
укреплении откосов и др.
Источник обоснования - §Е2-1-5, табл.1,п. 2б.
Выбираем - бульдозер ДЗ 18.
Удаление растительного слоя с луговой зоны (Нвр=0,69):
Псмлуг=
м2/смену (3.1.3.1)
Удаление растительного слоя с порубочной зоны (Нвр=1,5):
Псмлес=
м2/смену, (3.1.3.2)
где Т - продолжительность рабочего дня, ч;
ЕД - единица (1000 м2);
луг=
Ткаллуг= 7
1,4 = 10 дней
Nлес=
Ткаллес= 17
1,4 = 24 дня
Длина захватки для порубочной зоны составит:
, (3.1.3.3)
где Псм - сменная производительность бульдозера;
L -
длина участка, м;
Sу - площадь, на которой проводятся
данные работы, м2.
Захватка для луговой зоны составит:
(3.1.3.4)
При применении универсальных бульдозеров (поворотный отвал,
гидравлическое управление) и скреперов срезку растительного грунта производят
по продольно-круговой технологической схеме, которая обеспечивает:
уменьшение необходимой ширины корчуемой полосы под резервы;
значительное повышение производительности машин за счет
сокращения холостых пробегов;
высокое качество выполняемых работ.
Доуплотнение
естественного основания
После всех подготовительных работ производится доуплотнение естественного
основания.
Источник обоснования - § Е2-1-31.
Ведущая машина - каток ДУ - 101.
Нвр = 0,68 на 100м2.
Объем работ:
Vр
= (1,21
1,5+12)
4140 = 57194 м2 (3.1.4.1)
Сменная производительность катка:
Псм =
м2/смену
м (3.1.4.2)
N =
(3.1.4.3)
Ткал = 52
1,4 = 73
дней. (3.1.4.4)
.2
Разбивочные работы при
возведении земляного полотна
Разбивку земляных работ производят с учетом поперечного профиля земляного
полотна и принятого способа производства работ, руководствуясь проектными
материалами и рабочими чертежами. В состав разбивочных работ входят: установка
высотников и повторителей; обозначение границ насыпей, выемок, боковых
резервов, кавальеров и положения откосов; установка через 25-50 м в наиболее
характерных местах выемок (по оси дороги над линиями наружных бровок канав) и
резервов вех, колышков с указанием глубины разработки грунта; разбивка трассы,
водоотводных сооружений с отметками на колышках их глубины; разметка линии хода
некоторых землеройных машин (автогрейдеров, канавокопателей и др.).
Высотники устанавливают в местах переломов продольного профиля, а также
на биссектрисах вертикальных кривых. Их положение (высоту) определяют
нивелиром, привязывая к ближайшему реперу. В местах перелома поверхности грунта
(черная линия), а также в промежуточных точках через 25-30 м высотники
устанавливают при помощи визирок. Наиболее характерные высотники, особенно
нивелировочные, закрепляют за зоной работы машин, устанавливая повторители. При
разбивке невысоких насыпей (до 2 м) вместо высотников могут быть установлены
вехи с прибитой к ним горизонтальной планкой, верх которой соответствует
рабочей отметке насыпи. Их устанавливают по оси дороги на пикетах и необходимых
промежуточных (створных) точках.
При насыпях более 2 м высотники устанавливают большей частью во время
производства работ по обеим бровкам земляного полотна.
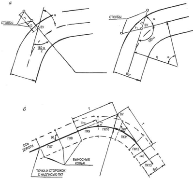
Несколько сложнее разбивка дорожных сооружений на кривых. Детальная
разбивка кривых выполняется на основе закрепленных точек НК, СК и КК. Сначала
следует установить положение всех точек, выносимых на кривую. Если местность
открытая, ровная, то детальную разбивку круговых и переходных кривых выполняют
по способу прямоугольных координат, а в стесненных условиях - по способу углов
или продолженных хорд (рис. 2).
Рисунок 2 - Восстановление и закрепление трассы на кривых:
а - схема закрепления углов поворота; б - закрепление оси автомобильной
дороги.
3.3 Строительство
сооружений для регулирования водно-теплового режима земляного полотна
Перед возведением земляного полотна целесообразно
заблаговременно создать систему поверхностного водоотвода в виде ряда
сооружений, принимающих и отводящих притекающую к дороге воду в ближайшие
водоемы.
Комплекс разнообразных сооружений для отвода воды
объединяют под общим названием "дорожный водоотвод", который может
быть строительный и постоянный.
Строительный водоотвод предназначен для предохранения
земляного полотна от увлажнения при его возведении. Поэтому строительство
выемок, канав и других сооружений ведут вверх по уклону.
К постоянному водоотводу относят все сооружения:
водоотводные канавы, дренажи для перехвата и понижения уровня грунтовых вод, а
также специальные сооружения, являющиеся неотъемлемой частью земляного полотна:
сливная призма, паро- и водонепроницаемые, капилляро-перехватывающие слои и др.
Наиболее эффективными являются меры по естественному
осушению грунта: заблаговременная прорубка просеки, снятие в резервах
мохо-растительного слоя, обеспечение надежного отвода воды от земляного полотна
системой водоотводных и осушительных канав. Так, если при сохранении
растительного слоя влажность грунта на просеке может превышать оптимальную на
55-60% и в этих условиях затруднена работа землеройных машин, то после
расчистки дорожной полосы в летний период влажность грунта снижается и
превышает оптимальные значения на 20-30%, при такой влажности плотность легкого
суглинка может быть доведена до 0.95 от оптимальной.
При снятии растительного слоя и устройстве
водоотводных канав за один год до разработки грунта его влажность может
существенно снижаться.
В состав системы поверхностного водоотвода входят
боковые канавы в выемках и вдоль насыпей высотой до 1.5 м, боковые
(выработанные) резервы, нагорные канавы у выемок, канавы для осушения болот,
канавы, обеспечивающие сброс воды от дороги, и др.
Канавам с откосами 1:1.5 придают продольный уклон не
менее 5 %о. В равнинной местности на отдельных участках возможно снижение
продольных уклонов до 3 %о. Глубина канав с заложением откосов 1:3 (песчаные
грунты) не должна превышать 0.5 м.
Технологический процесс по рытью канав состоит из
следующих операций: разбивочные работы; прокопка канав с перемещением грунта в
тело насыпи или распределение по прилегающей местности; планировка откосов и
точное придание им проектной формы; укрепление боковых стенок канав.
При проведении разбивочных работ на месте обозначают
оси канав вехами, устанавливаемыми на прямых участках не реже чем через 50 м,
на кривых - 10-20 м, в зависимости от радиуса. Затем проводят крайние борозды
автогрейдером (бульдозером), после чего приступают к прокопке канав. Для этого
используют плужные или фрезерные канавокопатели, экскаваторы (обратная лопата с
профилированным ковшом), автогрейдеры, бульдозеры, фронтальные погрузчики.
Планировку откосов и точное придание им формы лучше производить автогрейдерами
с откосниками. При необходимости исправляют продольный профиль дна канав
вручную.
Укрепление боковых откосов водоотводных канав
назначают в зависимости от величины продольного уклона. При небольших уклонах
(до 20 %о) канавы постепенно зарастают травой. При легкоразмываемых грунтах дно
и боковые стенки укрепляют. Тип укрепления назначают проектом. Например, на
продольных уклонах более 30 %о в легкоразмываемых грунтах откосы и дно канавы
облицовывают бетонными плитами 0,4 х 0,4 х 0,12 м. Плиты укладывают
непосредственно на грунт или на слой 0,1- 0,12 м мелкого щебня (гравия) во
избежание подмыва плит водой. Швы между ними заливают битумной мастикой (БН-1,
БН-2) или цементным раствором.
При прокопке канав используют одноковшовые
экскаваторы, оборудованные обратной лопатой с профилировочным ковшом, а также
специальные машины - канавокопатели.
Строительство
водоотводных канав
Строительство водоотводных канав с трапецеидальным сечением ведется в
выемке протяженностью 180 м.
м3, (3.3.1.1)
где Vркан - объем канавы, м3;
bк - ширина дна канавы, м;
hк- высота канавы, м;
m -
крутизна откосов;
Lк
- длина канавы.
Общий объем работ:
(3.3.1.2)
Источник обоснования: § Е2-1-8
Назначаем экскаватор - ЭО-4225 (qк = 1,25 м³).
Нвр =1,1 маш/час, ЕД=100 м3.
(3.3.1.3)
Строительство
водопропускных труб
Для пропуска воды под насыпью дороги в пониженных местах строятся
железобетонные водопропускные трубы диаметром d=1,0 метр.
Таблица 1 - Расчет трудовых ресурсов на строительство железобетонных труб
Время окончания работ:
к = 34,2
1,4 = 48 календарных дней
.4 Комплектование
специализированного отряда и выбор ведущих машин
Выбор наиболее эффективных землеройных машин основывается на разработке
вариантов, подлежащих сравнительной оценке. Варианты сравнивают по
себестоимости производства земляных работ, сокращению срока их выполнения и так
далее. На крупных объектах строительства при выборе оптимального варианта
комплексной механизации земляных работ сопоставляют размеры капиталовложений и
рассчитывают сроки их окупаемости.
Выбор ведущих и комплектующих землеройных машин производят из условий
увязки между собой их выработки. При этом основные машины с целью полного их
использования иногда могут выполнять и вспомогательные операции (при наличии
необходимого оборудования). Комплексное производство земляных работ требует
комплектование землеройных отрядов различными машинами, соблюдая принцип типажа
и взаимодействия их в комплекте. При комплектовании механизированных отрядов,
бригад или звеньев руководствуются повышением до возможного максимума
производительности каждой машины.
При комплектование специализированного отряда и выбор ведущих машин
требуется изучить:
- особенности местных природных условий;
- закономерности изменения влажности и плотности верхней
почвенно-грунтовой толщи (характерной для каждого сезона года);
реальную продолжительность строительного сезона.
Определение
скорости потока
Количество рабочих смен определяется по формуле 3.4.2.1.
, (3.4.1.1)
где Тк= 149 дней - число календарных рабочих дней, которые устанавливаем по
дорожно-климатическому графику;
Твых.= 21 день - число выходных;
Тт.о.=8 дней - количество нерабочих дней из-за ремонта машин.
Ткл.@ 11
дней - количество нерабочих дней по
климатическим условиям;
То.п.= 5 дней - время организационного простоя;
Рабочая неделя продолжительностью 5 дней.
Далее определяем скорость потока в сутки выполняемых работ за одну смену.
, (3.4.1.2) где Lдор - длина
дороги;
pаб - количество рабочих дней.
3.5
Возведение земляного
полотна в нескальных грунтах
.5.1
Возведение земляного
полотна из выемки в насыпь
Для разработки выемок и насыпей в нескальных грунтах в зависимости от
объема работ, дальности перемещения и видов грунта, используются различные
землеройные машины:
если L<100 м, то используется бульдозер;
если 100м<L<300 м, то
используется фронтальный погрузчик;
если L>300 м, то используется скрепер;
если L>1000 м, то используется
экскаватор.
Дальность перемещения грунта определяется интегральной кривой перемещения
земляных масс. По моему расчету средняя дальность перемещения грунта из выемки
в насыпь составила:
=50*48,2/5,6=430м
Состав работ:
1) разработка, перемещение и отсыпка грунта скрепером;
2) разравнивание грунта бульдозером;
) послойное увлажнение;
) послойное уплотнение
Разработка,
перемещение и отсыпка грунта скрепером
Ведущая машина скрепер ДЗ - 11П с объемом ковша 8 м3 имеющим
норму времени 3,42 маш/час (§Е2-1-21).
Определяем сменную производительность одного скрепера:
м3/смену (3.5.1.1.1)
Длина захватки:
Lз =
(3.5.1.1.2)
Находим необходимое количество машин:
, (3.5.1.1.3)
Принимаем 5 машин. Захватки для пяти машин:
з=N*L=5*8=40 пм. (3.5.1.1.4)
Разравнивание
грунта бульдозером
Разравнивание производим слоями по 0,3м для этого выбираем бульдозер
ДЗ-17 (базовый трактор Т-100), тогда Нвр=0,58 маш/час на 100м3(§
Е2-1-28).
Псм=
=1380 м3
Послойное
увлажнение
Увлажнение выполняем водополивочной машиной КДМ-130 (базовое шасси ЗИЛ
433362).
, (3.5.1.3.1)
где Vгр - объем привозимого грунта;
γгр - 1,6 т/м³
Рв - расход воды (3 - 5% от массы)
Производительность поливомоечной машины:
(3.5.1.3.2)
где Т - продолжительность смены;
Кв - коэффициент использования рабочего времени;
Qц -
емкость цистерны;
V -
средняя скорость;
l -
дальность возки;
,083*Qц - время на набор воды и ее разлив.
Псм =
55т/смену
Послойное
уплотнение
Для уплотнения принимаем самоходный каток ДУ-31А на пневматических шинах (§Е2-1-31). Единица 100м3, длина гона до 100м. Нвр
= 0,41, добавить на каждый следующий проход сверх четырех Нвр = 0,08.
Псм =
=899 м3/смену
.5.2
Планировочные,
отделочные и укрепительные работы в выемке
Планировочные работы выполняют частично в процессе возведения земляного
полотна и окончательно по мере готовности участков длиной, достаточной для
полной загрузки планировочных машин.
Планировку откосов насыпей производят после планировки поверхности
земляного полотна, а в выемках сначала планируют откосы, а затем дно выемки.
Откосы земляного полотна являются наиболее слабыми конструктивными
элементами. Под действием климатических факторов (изменяются физические
свойства грунтов) они могут деформироваться или разрушаться. Поэтому для
повышения устойчивости откосов земляного полотна их укрепляют.
Простейшее укрепление откоса - создание на его поверхности растительного
травяного покрова. Посев многолетних трав рекомендуется производить по
плодородному слою почвы. При его отсутствии укрепление откосов многолетними
травами осуществляется методом гидропосева с использованием специальных машин.
Этапы работ:
1) профилирование откосов выемки;
2) профилирование верха земляного полотна;
) доуплотнение верха земляного полотна.
4) укрепление откосов выемки гидропосевом.
Профилирование
откосов выемки
Принимаем автогрейдер ДЗ-14 при рабочем ходе в двух направлениях норма
времени - 0,85 маш/часа на 1000 м². (§Е 2-1-39).
Сменная производительность:
м²/смену.
Количество проходов 2.
При средней рабочей отметке 1,38 м и заложении откосов 1:1,5 средняя
длина откоса составит 2,38м. А площадь откосов, подлежащих планировке:
=2.2,38.810=3856 м2.
Профилирование
верха земляного полотна
Принимаем автогрейдер ДЗ-14 при рабочем ходе в двух направлениях норма
времени - 0,17 маш/часа на 1000 м²(гр. грунта II). (§Е 2-1-37).
м²/смену.
Количество проходов 3.
Площадь земляного полотна находим по формуле:
з.п = Вз.п . L (3.5.2.2.1)
где Вз.п - ширина земляного полотна;
L -
длина участка.
з.п = 14,46.810 = 11713 м2.
Доуплотнение
верха земляного полотна
Выбираем самоходный каток ДУ-31А за 4 прохода по одному следу (§Е
2-1-31). Длина гона 100м. Норма времени - 1,3 маш/час на 1000 м².
м²/смену.
Укрепление
откосов выемки гидропосевом
Предусмотрено укрепление откосов выемки способом гидропосева многолетних
трав гидросеялкой с цистерной вместимостью 5 м3.
Согласно §Е2-1-45 норма времени на 100 м2 укрепленной посевом
поверхности Нвр = 0,34 маш/часа. Тогда сменная производительность составит
м²/смену.
Количество календарных дней определяется по производительности ведущей
машины скрепера ДЗ - 11П:
Псм = 234 м3/смену.
Определяем количество бригадо/смен:
Ведущая машина автогрейдер ДЗ-14, по нему определяем длину захватки:

= 241м
3.5.3
Возведение земляного
полотна из привозного грунта
Состав работ:
) разработка грунта экскаватором с погрузкой в автомобили самосвалы ;
) транспортировка грунта;
) послойное разравнивание;
) послойное увлажнение;
) уплотнение грунта.
Разработка
грунта экскаватором с погрузкой в автомобили самосвалы
Принимаем экскаватор ЭО-4321, объем ковша - 0,8 м3 (§Е-2-1-8).
Нвр=1,4 маш/час.
Псм =
572 м3/смену
Определяем длину захватки:
(3.5.3.1.1)
Следовательно можно найти необходимое количество машин:
,
Принимаем 2 машины. Захватка для двух машин равна:
=2*25=50 пм.
Транспортировка
грунта
Выбираем автосамосвал КАМАЗ 55-111, грузоподъемностью13 тонн, расстояние
до карьера 6430м.
(3.5.3.2.1)
где Т - продолжительность смены;
Кв - коэффициент использования рабочего времени;
QA -
вместимость кузова;
L -
средневзвешенное расстояние до карьера;
Vср -
средняя скорость;
t1 - время погрузки;
t2 - время разгрузки.
1
+ t2 = 12 мин = 0,2 часа.
Сменная производительность:
м³/смену.
Необходимое количество самосвалов:
=
=
= 14. (3.5.3.2.2)
Объем работ 77369 м3.
Послойное
разравнивание
Принимаем бульдозер ДЗ - 17, базовый трактор Т - 100. Норма времени на
100м3 0,58(§Е2 - 1 - 28).
м³/смену.
Послойное
увлажнение
Используем водополивочную машину КДМ - 130.
, (3.5.3.4.1)
где Vгр - объем привозимого карьерного
грунта;
γгр - 1,6т/м³
Рв - расход воды (3 - 5% от массы).
т
(3.5.3.4.2)
где Т - продолжительность смены;
Кв - коэффициент использования рабочего времени;
Qц -
емкость цистерны;
V -
средняя скорость;
l -
дальность возки;
,083*Qц - время на набор воды и ее разлив.
Псм =
55т/смену
Уплотнение
грунта
Для уплотнения принимаем самоходный каток ДУ-31А на пневматических шинах
(§Е2-1-31). Единица 100м3, длина гона до 100м. Нвр = 0,41, добавить
на каждый следующий проход сверх четырех Нвр = 0,08.
Псм =
=899 м3/смену
.5.4
Планировочные,
отделочные и укрепительные работы в насыпи
Планировочные работы выполняют частично в процессе возведения земляного
полотна и окончательно по мере готовности участков длиной, достаточной для
полной загрузки планировочных машин.
Планировку откосов насыпей производят после планировки поверхности
земляного полотна, а в выемках сначала планируют откосы, а затем дно выемки.
Откосы земляного полотна являются наиболее слабыми конструктивными элементами.
Под действием климатических факторов (изменяются физические свойства грунтов)
они могут деформироваться или разрушаться. Поэтому для повышения устойчивости
откосов земляного полотна их укрепляют.
Простейшее укрепление откоса - создание на его поверхности растительного
травяного покрова. Посев многолетних трав рекомендуется производить по
плодородному слою почвы. При его отсутствии укрепление откосов многолетними
травами осуществляется методом гидропосева с использованием специальных машин.
Этапы:
1) профилирование верха земляного полотна;
2) профилирование откоса насыпи;
) доуплотнение верха земляного полотна;
Рисунок 3 - Планировка откосов: а - планировка пологих откосов
автогрейдером; б - планировка откосов экскаватором-планировщиком
I, II, III -
последовательности планировки.
Профилирование
верха земляного полотна
Принимаем автогрейдер ДЗ-14 при рабочем ходе в двух направлениях норма
времени - 0,17 маш/часа на 1000 м²(гр. грунта II). (§Е 2-1-37).
м²/смену.
Площадь земляного полотна находим по формуле:
з.п = Вз.п . L (3.5.4.1.1)
где Вз.п - ширина земляного полотна;
L -
длина участка.
Sз.п
= 14,46.3330
= 48152 м2
Профилирование
откоса насыпи
Принимаем автогрейдер ДЗ-14 при рабочем ходе в двух направлениях норма
времени - 0, 52 маш/часа на 1000 м². (§Е 2-1-39).
м²/смену.
Количество проходов 2.
Доуплотнение
верха земляного полотна
Выбираем самоходный каток ДУ-31А за 4 прохода по одному следу (§Е
2-1-31). Длина гона 100м. Норма времени - 1,3 маш/час на 1000 м².
м²/смену.
Укрепление
откосов
Укрепление откосов выемки выполняем способом гидропосева многолетних трав
гидросеялкой с цистерной вместимостью 5 м3.
Согласно §Е2-1-45 норма времени на 100 м2 укрепленной посевом
поверхности Нвр = 0,34 маш/часа.
м²/смену.
Количество календарных дней на строительство насыпи определяется по производительности
ведущей машины ЭО-4321:
Псм = 572 м3/смену.
N=
73 смен (3.5.4.4.1)
Tк=
дней
4.
Организация работ по
возведению земляного полотна
.1
Технологические карты
производства дорожных работ
Технологические карты составляются на все разновидности земляных работ,
встречающиеся на рассматриваемом объекте - автомобильной дороге,
предусмотренной к строительству.
Технологические карты составляются при разработке проекта производства
работ и используются в процессе проектирования технологии и организации работ и
при непосредственном производстве строительных работ, являясь одним из основных
технических документов для инженеров, прорабов, техников и мастеров.
Технологическая карта по возведению земляного полотна представлена в
приложении А.
.2
Календарный график
возведения земляного полотна
Наиболее благоприятное время года для производства земляных работ зависит
от состояния грунта, то есть лучше, когда грунты находятся в незамерзшем
состоянии и влажность их не слишком велика.
В зависимости от климатических условий района строительства и состояния
грунта земляные работы можно проводить и зимой, но это требует дополнительных
затрат (очистка от снега, рыхления грунта). Также в зимнее время часть земляных
работ выполняют для того, чтобы не было простоя машин, а также с целью
высвобождения транспорта от части перевозок грунта летом, когда потребность в
транспорте наибольшая. К тому же зимой естественная влажность практически
близка к оптимальной, производительность землеройных машин выше, а износ ниже.
Календарный линейный график содержит на основе организационной схемы
строительства очередность и сроки строительства отдельных сооружений и участков
автомобильной дороги. Линейный календарный график включает
в себя количество, направление и скорости потоков, сроки выполнения
подготовительных и сосредоточенных работ. Линейный
календарный план строиться на основании продолжительности работы каждого
специализированного потока и обеспечивает организацию в заданные сроки.
Таблица 1 - Календарные сроки работ.
|
Наименование работ
|
Календарная
продолжительность, дней
|
Сроки выполнения
|
|
|
Начало работ
|
Конец работ
|
|
1.Подготовительные работы
|
|
|
|
|
- Рубка леса
|
42
|
14.04
|
28.05
|
|
- Корчевка пней
|
12
|
18.05
|
30.05
|
|
- Снятие растительного слоя
|
34
|
21.05
|
25.06
|
|
- Доуплотнение
естественного основания
|
73
|
22.05
|
04.08
|
|
2. Строительство железобетонных
труб
|
48
|
10.05
|
28.06
|
|
3.Возведение земляного
полотна из выемки в насыпь
|
7
|
30.05
|
06.06
|
|
4.Возведение земляного
полотна из привозного грунта
|
103
|
07.06
|
18.09
|
4.3
Контроль качества
производства земляных работ
При производстве земляных работ осуществляется
контроль выполнения проектных решений, качество производства работ и их
соответствие техническим правилам, нормам и стандартам. Результаты контроля
фиксируются в соответствующих журналах и оформляются актами на скрытые работы,
позволяющие строителям продолжать выполнение последующих процессов. Методы контроля: лабораторные, инструментальные и визуальные.
Режим, объемы и предельные отклонения от норм контролируемых параметров
регламентируются СНиП 3.06-03.
Таблица 5.13 Последовательность проведения операционного
контроля
|
Основные операции,
подлежащие контролю
|
Состав контроля
|
Методы и средства контроля
|
Режим и объем контроля
|
Лицо, осуществляющее
контроль
|
Предельные отклонения СНиП
З-06-03
|
|
1. Снятие растительного
слоя
|
Толщина слоя
|
Инструментальный Измерительная
линейка. Визирки
|
Не реже чем через 100 м
|
Мастер
|
± 20 % от hpc
|
|
2. Устройство забанкетной
канавы и канавы полувыемки
|
Ширина по дну и глубина
канавы
|
Инструментальный Рулетка,
нивелир
|
Не реже чем через 100 м
|
Мастер, геодезист
|
± 0.05 м от проектных параметров
|
|
3. Послойное разравнивание
грунта
|
Толщина слоя и однородность
грунта
|
Инструментальный и
визуальный Измерительная линейка, визирки
|
Толщина слоя не реже чем
через 100 м Однородность грунта - постоянно
|
Мастер, лаборант
|
± 20 % от ксл
|
|
4. Послойное уплотнение
|
Плотность грунта земляного
полотна
|
Лабораторный Метод режущего
кольца ГОСТ 22733 Экспресс-методы
|
Не реже чем через 200 м
|
Лаборант
|
В сторону уменьшения до 10
% определений от общего числа, но не более чем на 0.04
|
|
5. Влажность грунта
|
Допускаемая влажность
|
Лабораторный Отбор проб
грунта
|
Не реже 1 раза в смену
|
Лаборант
|
СНиП 3.03.06
|
|
6. Технология уплотнения
|
Режим уплотнения
|
Визуальный
|
Постоянно
|
Мастер
|
|
|
7. Планировка откосов
|
Крутизна откосов
|
Уклономер
|
Не реже чем через 100 м
|
Мастер
|
В сторону уменьшения до 10
% от проектного значения
|
5.
Сметно-финансовый расчет
Таблица 5.1 - Сметно-финансовый расчет
|
№ п\п
|
Шифр, номера нормативов и
коды ресурсов
|
Наименование работ и затрат
|
Единица измерения
|
Кол-во ед. по проект.
данным
|
Трудозатраты по ГЭСН Маш-час
|
Затраты по ЕНиР Маш-час
|
|
|
|
|
|
На един.
|
Всего
|
Всего
|
|
Земляные работы
|
|
Возведение земляного
полотна из выемки в насыпь
|
|
2.1.
|
ГЭСН 01-01-024-2
|
Разработка грунта
скреперами самоходными
|
1000 м3
|
5,649
|
43,69
|
246,8
|
57,9
|
|
2.2
|
ГЭСН 01-02-027-2
|
Планировка площадей,
откосов, полотна выемок и насыпей механизированным способом
|
1000м2
|
3,856
|
0,43
|
1,65
|
2,7
|
|
2.3.
|
ГЭСН 01-02-006-1
|
Полив водой уплотняемого
грунта насыпей
|
1000 м3
|
5,649
|
13,91
|
78,6
|
28,2
|
|
2.4.
|
ГЭСН 01-02-001-2
|
Уплотнение грунта
прицепными катками на пневмоколесном ходу 25 т за 10 проходов
|
1000 м3
|
5,649
|
13,8
|
77,96
|
50,27
|
|
Возведение насыпи из
привозного грунта
|
Σ405,01
|
Σ
139,07
|
|
3.1.
|
ГЭСН 01-01-013-8
|
Разработка грунта с
погрузкой на автомобили-самосвалы экскаваторами
|
1000 м3
|
77,37
|
25,25
|
1953,6
|
818,73
|
|
3.2.
|
ГЭСН 01-02-027-2
|
Планировка верха насыпей
механизированным способом
|
1000 м2
|
48,152
|
0,43
|
20,71
|
36,83
|
|
3.3.
|
ГЭСН 01-02-006-1
|
Полив водой уплотняемого
грунта насыпей
|
1000 м3
|
77,37
|
13,91
|
1076,21
|
168,8
|
|
3.4.
|
ГЭСН 01-02-001-2
|
Уплотнение грунта
прицепными катками на пневмоколесном ходу 25 т за 10 прохода
|
1000 м3
|
77,37
|
13,8
|
1067,7
|
1032,74
|
|
Σ
4118,22
|
Σ
2057,1
|
Вывод: строительство автомобильной дороги экономически целесообразнее по
выполненному проекту, так как затраты будут меньше чем по ГЭСН.
6.
Охрана труда
Основными задачами в области техники безопасности при строительстве
автомобильных дорог являются: создание безопасных условий труда на
производстве, выполнение правил техники безопасности и промышленной санитарии,
укрепление производственной и трудовой дисциплины. При производстве
дорожно-строительных работ руководствуются следующими нормативными положениями:
1.СНиП Ш-4-80.
Техника безопасности в строительстве.
2.СНиП 12-03-2001.
Безопасность труда в строительстве. Часть 1. Общие требования.
3.Спельман Е. П.
Техника безопасности при эксплуатации строительных машин и средств малой
механизации.
Наряду с типовыми нормами и правилами следует пользоваться типовыми
инструкциями по охране труда:
1.ТОИ Р-218-05-93.
Типовая инструкция по охране труда для машиниста автогрейдера.
2.ТОИ Р-218-06-93.
Типовая инструкция по охране труда для машиниста бульдозера.
3.ТОИ Р-218-07-93.
Типовая инструкция по охране труда для машиниста катка.
4.ТОИ Р-218-08-93.
Типовая инструкция по охране труда для машиниста скрепера.
5.ТОИ Р-218-13-93.
Типовая инструкция по охране труда для машинистаукладчика асфальтобетона.
6.ТОИ Р-218-25-94.
Типовая инструкция по охране труда для машинистов одноковшовых гусеничных и
пневмоколесных экскаваторов.
7.ТОИ Р-218-26-94.
Типовая инструкция по охране труда для машиниста автополивомоечной машины.
Основными причинами несчастных случаев являются: нарушение правил охраны
труда, несоблюдение производственной и трудовой дисциплины, а также допуск к
работе лиц, не обученных мерам безопасности при производстве работ.
Основные требования по охране труда:
· Все обязаны изучить технику безопасности и расписаться в
соответствующем журнале;
· Всем выдается спецодежда и средства индивидуальной защиты;
· Машины и техника должны быть оснащены световой и звуковой
сигнализацией;
· Место проведения работ должно быть ограждено;
· Строительная площадка должна быть оборудована постоянными или
временными санитарно-бытовыми устройствами (раздевалками, сушилками для одежды,
душевыми, медицинскими пунктами т.д.)
· При монтаже элементов трубы необходимо, чтобы два монтажника
работали на зацепке, а два - на отцепке, в котловане. Отцепка производится
только в случае, когда элемент трубы прочно закреплен и занял проектное
положение.
· Для обеспечения безопасности работ, поступающие на объект
сборные железобетонные элементы необходимо складировать в порядке их
последовательного монтажа.
· Гидроизоляционные работы необходимо проводить на открытом
воздухе.
· Должны быть расставлены специальные дорожные знаки,
предупреждающие о месте проведения работ, возможных объездах, ограничениях
скорости и т.д.
7.
Охрана окружающей среды
При строительстве автомобильных дорог необходимо выполнять отраслевые
требования охраны природной среды в соответствии с нормами ВСН 8-89
"Инструкция по охране природной среды при строительстве, ремонте и
содержании автомобильных дорог".
Постройка дороги вносит большие изменения в экологическое равновесие
природы и хозяйственную жизнь района.
В состав мер по охране окружающей среды входят следующие работы:
· Рекультивация всех временно занимаемых земель, нарушенных во
время работы;
· Экономичное использование грунта, особенно на ценных землях;
· Мероприятия по снижению образования пыли;
· Комплекс мероприятий по отводу стекающей вдоль дороги воды от
прудов и рек, при их пересечении.
Так же существуют следующие рекомендации:
· применение строительных машин и двигателей с электрическим
приводом;
· своевременное и качественное устройство подъездных
внеплощадочных и внутриплощадочных дорог;
· контейнерная перевозка малопрочных материалов, использование
спецавтотранспорта;
· применение для технологических нужд строительства
электроэнергии взамен твердого и жидкого топлива;
· выполнение вертикальной планировки с организацией стока
поверхностных вод в подготовительный период;
· сбор и своевременный вывоз строительного мусора во избежание
захламления территории строительства.
8.
Деталь проекта
Возведение земляного полотна типа полувыемка-полунасыпь
Технологическая карта разработана на основе типового решения с привязкой
работ к конкретным производственным условиям строительства автомобильной дороги
III категории во II дорожно-климатической зоне.
В состав технологического процесса входят подготовительные и основные
работы.
Подготовительные работы: восстановление и закрепление оси трассы;
разбивка полосы отвода; очистка территории в пределах полосы отвода от
кустарника, пней и крупных камней; разбивка земляного полотна и устройство
водоотвода.
Основные работы: срезка растительного слоя грунта; устройство нагорной канавы;
нарезка уступов; разработка грунта в выемке с перемещением в насыпь; послойное
разравнивание грунта; увлажнение грунта; послойное уплотнение грунта в насыпи;
срезка рыхлого грунта с откоса насыпи и планировка его поверхности; планировка
верха земляного полотна и окончательное его уплотнение.
Организация разбивочных работ и поперечный профиль земляного полотна
представлены на рис. 8.13, 8.14.
Технология производства работ по удалению растительного слоя толщиной
0.15 м представлена в главе 1, раздел 1.4.
Забанкетную нагорную канаву разрабатывают экскаватором-планировщиком
ЭО-3332А с ковшом вместимостью 0.5 м3, который перемещается
параллельно оси дороги по специально устроенной полке.
Схема разработки проектного профиля забанкетной канавы показана на рис.
8.15.
Последовательность выполнения работ следующая: сначала ковшом,
установленным под углом откоса, срезают грунт по контуру I, затем по контуру II, а оставшийся грунт выбирают
нормально установленным ковшом с зачисткой дна (контур III). Вырытый грунт отсыпают в банкет "на
вымет".
E2-1-17,
табл. 3, п. 4 - Д - Нвр= 3,7 час, так как глубина канавы меньше 1 м
НРвр = 1,2.
Нвр = 1,2 * 3,7 = 4,4 час, Pсм =
= 180 м3/смену.
Прежде чем разрабатывать полувыемку, необходимо нарезать уступы (рис.
8.16).
Ширину уступа назначают 2-4 м или равной ширине отвала землеройной
машины, а высоту 0.5-2.0 м. Например, бульдозер ДЗ-18 с поворотным отвалом 1отв
= 3.9 м;
Нотв = 1.0 м. Стенки уступов при высоте до 1 м - вертикальные,
а при высоте свыше 1 м до 2 м - с наклоном 1:0.5. Основание уступа выполняют с
уклоном 10-20 о/оо.
Нижний уступ (I) нарезают шире
верхних (II, III) на 1-2 м, так как отсыпаемая насыпь может быть шире
проектного очертания (рис. 8.16) на 1.0 м. Это делают для качественного
уплотнения краевых зон откосной части земляного полотна. Объемы выполняемых работ по устройству забанкетной канавы,
банкета, нарезке уступов, разработке полувыемки и отсыпке по насыпи определяют
по средним площадям поперечных сечений (рис. 8.14).
Основные объемы земляных работ производят бульдозером ДЗ-18 - ведущая
машина. Грунт - супесь легкая крупная II группы.
При нарезании уступов бульдозером с поворотным отвалом
ДЗ-18 (Т-100 МЗГП) согласно Е2-1-22 (табл. 2, п. Зд) Нвр на
расстояние перемещения грунта II
группы до 10 м - 0.62 час на 100 м3 и добавление на каждые следующие
10 м - 0,49 час. Таким образом для длины участка 30 м Нвр = 0.62 + 2
х 0.49 = 1.6 час, а сменная производительность
Рсм =
= 500 м3/смену.
Рuc. 8.13. Схема организации разбивочных работ при разработке полувыемки-
полунасыпи.
Рис. 8.14. Поперечный профиль земляного
полотна типа полувыемка-полунасыпь.
Рис. 8.15. Схема разработки забанкетной канавы: I-II-III-
последовательность экскавации грунта
Рис. 8.16. Нарезка уступов универсальным бульдозером: I-III - уступы; 1-3 - отсыпаемые слои насыпи
Рис. 8.17. Последовательность разработки полувыемки на косогоре: 1, 2,
3, 4 -разрабатываемые слои полувыемки.
Разработку грунта начинают с верхней части полувыемки, устраивая площадку
шириной не менее 3 м. При габарите ширины бульдозера ДЗ-18 3.57 м /„ = 4.0 м.
Грунт срезают слоями толщиной 0.3-0.4 м и перемещают вдоль откоса на
расстояние 10 м. Затем срезанный грунт перемещают вниз по косогору на
устроенный уступ (I) и производят
его послойную укладку в продольном направлении. При таком технологическом
процессе производства работ по перемещению грунта к уступу и последующей
послойной укладке следует назначать бульдозер с неповоротным отвалом ДЗ-24
(Т-180 Г).
Производительность бульдозера ДЗ-18 на срезке грунта и перемещении его
вдоль откоса на расстояние до 10 м определится:
Рсм =
= 1290 м3/смену.
Норма времени (Е2 - 1-22, табл. 2, п. Б.8, д) на перемещение грунта к
уступу бульдозером ДЗ-24 на расстояние до 20 м Нвр = 0.38 + 0.3 =
0.68 час, а
Рсм=
= 1180мЗ/смену.
При послойной укладке (разравнивании) грунта в насыпи толщиной слоя 0.35
м бульдозером ДЗ-24, согласно Е2-1-28, табл. 1, п. 66, д:
вр=
=0,38 час,
а производительность Рсм =
= 2105 м3/смену.
Послойно уложенные слои уплотняют самоходным катком ДУ-29А на
пневмошинах. Схема производства работ представлена на рис. 8.18.
Рис. 8.18. Уплотнение верхнего слоя насыпи самоходным катком ДУ-29А: 1-8 - последовательность проходов; а - перекрытие предыдущего
следа; lк - ширина рабочего органа катка (lк = 2.2
Начинают уплотнение на расстоянии не менее 1.5-2.0 м от бровки насыпи с
постепенным приближением к откосу при каждом последующем проходе. При этом не
допускается приближение кромки уплотняющего органа катка к бровке насыпи (линия
ограничений) ближе 0.5-0.3 м. Схема движения катка - челночная, общее
количество проходов по одному следу - десять. Первый и последний проходы каток
ДУ-29 выполняет со скоростью 2-2.5 км/час, промежуточные - 5-8 км/час. Давление
в шинах катка должно быть одинаковым: в начале уплотнения 0.2-0.3 МПа; на
заключительном этапе для супесей - 0.3-0.4 МПа. Плотность грунта должна
соответствовать установленным нормам .
Согласно Е2-1-31 [6], норма времени на уплотнение грунта самоходным
катком ДУ-29 при длине гона (захватки) до 100 м и толщине уплотняемого слоя 0.3
м (табл. 2, п. 2а, 4а)
Нвр = 0.41 час при четырех проходах по одному следу (добавлять
на каждый проход сверх первых четырех ΔНвр = 0.08 час). Расчетная
норма времени определяется:
НРвр = Нвр + (ппрох-4)
ΔHвр = 0.41 + (10 - 4)
х 0.08 = 0.89 час на 100 м3
Рсм =
= 900 м3/смену.
Заключительный этап основных работ (срезка рыхлого грунта с откоса
насыпи; планировка откосов и верха земляного полотна, нарезка канавы в
полувыемке и окончательное уплотнение земляного полотна) может быть выделен в
отдельную группу.
Срезка излишков грунта с откосов насыпи и их планировка выполняются
экскаватором ЭО-3332А, а грунт можно использовать в присыпных обочинах.
Норма времени на производство работ (Е2 - 1 - 42) 1.4 час на 100 м3,
следовательно,
Рсм=
= 570 м3/смену.
После срезки излишков грунта отмечают линии бровок путем установки
откосников через каждые 50 м. Планировку
откосов выемки производят автогрейдером ДЗ-122 при рабочем ходе в двух
направлениях. Норма времени (Е2-1-39, табл. 1, п. 46) Нвр = 0.85 час
на 1000 м2 спланированной поверхности откоса (длина гона до 200 м),
а
см=
=9400 м2/смену.
Производительность автогрейдера при планировке верха
земляного полотна (Е2-1-37, табл. 2, п. 16) за 4 прохода при НРвр
= 0.17x4 = 0.88 час на 1000 м2 спланированной поверхности
Рсм =
= 9090 м2/смену.
Перед началом планировки восстанавливают положение оси
и бровок земляного полотна. Работу начинают с низких участков (в профиле) путем
последовательных проходов автогрейдера от краев к середине с перекрытием
каждого следа на 0.3-0.5 м.
По завершении планировочных работ производят нарезку
канав в полувыемке. Угол резания отвала автогрейдера ДЗ-122 устанавливают в
пределах 35-45°, при движении соблюдают проектные параметры канавы.
Норма времени на 100 м3 Нвр=1.5
час, а сменная производительность автогрейдера ДЗ-122
см=
=530 м3/смену.
Окончательное уплотнение верха земляного полотна
производят за четыре прохода пневмокатка
ДУ-29. При Нвр = 0.41 час
Рсм =
= 1950 м3/смену.
Принимая глубину уплотняемого слоя 0.2 м,
Рсм =
= 9750 м2/смену.
Организация работ по возведению земляного полотна типа
полувыемка-полунасыпь поточным методом предусматривает их выполнение на
захватках.
На первой захватке (lIз) производится срезка растительного слоя в пределах
косогора бульдозером ДЗ-18 и устройство нагорной забанкетной канавы
землеройно-планировочной машиной ЭО-3332А.
Для определения длины захватки (lI3) принимаем расчетную протяженность строительных
участков: Lp =1000 м.
Последовательность расчета длин захваток следующая.
Например, технологическая операция - срезка растительного слоя. Расчетный объем
выполняемых работ (рис. 8.14)
р.с. =BxLр =35x1000 = 35000 м2.
(8.1)
Производительность бульдозера ДЗ-18 на срезке растительного грунта
(грунта I, II в соотношении 1:1. Е2-1-5, табл. 1, п. 2а, б, Нвр
= 1.095 час на 1000 м2 очищенной поверхности)
см=
=7300 м2/смену.
Тогда длина захватки определяется:
Iз
=
= 208 м.
Окончательно назначаем длину захватки lI3 = 200 м.
Технологическая операция - устройство забанкетной канавы.
Согласно рис. 8.15, площадь поперечного сечения канавы
k=
м2.
объем работ Vk=wk
Lр= 0.84 х 1000 = 840 м3.
Сменная производительность ЭО- 3332А Pсм= 180 м3/смену, тогда
Iз=
=215 м.
Принимаем расчетную длину захватки равной 200 м. Таким образом, длина
первой захватки 113 = 200 м.
На второй захватке (1II3)
осуществляется нарезка уступов бульдозером ДЗ-18, нарезка грунта в выемке с
перемещением его в насыпи бульдозерами ДЗ-18 и ДЗ-24, послойное разравнивание
грунта бульдозером ДЗ-24, увлажнение (при необходимости) уплотняемого грунта
водой, из расчета 3 % по массе поливомоечной машиной КДМ-130, послойное
уплотнение насыпи катком ДУ-29А. Расчетная длина второй захватки 13п=100
м. Ведущая машина - бульдозер ДЗ-24.
Третий этап выполняемых работ - заключительный. Выполняемые
технологические операции: срезка излишков грунта с откоса насыпи и планировка
поверхности откоса экскаватором-планировщиком ЭО-3332А, планировка поверхности
откоса полувыемки автогрейдером ДЗ-122, планировка верха земляного полотна
автогрейдеро.м ДЗ-122, нарезка канавы в полувыемке автогрейдером ДЗ-122,
окончательное уплотнение верха земляного полотна пневмокатком ДУ-29А.
Расчетная длина третьей захватки 1зIII= 500 м, ведущая машина - автогрейдер
ДЗ-122.
Заключение
В ходе выполнения данного курсового проекта мною были получены навыки
расчетов по разработке проекта производства работ и проекта организации
строительства по возведению земляного полотна в нескальных грунтах. Так же мною
изучена схема возведения земляного плотна типа полунасыпь-полувыемка.
Список
использованной литературы
1. Стандарт предприятия СТП ПетрГУ 001-07, Петрозаводск
2006
2. Курс лекций по дисциплине "технология и
организация строительства автомобильных дорог";
3. Булдаков С.И. Проектирование основных элементов
автомобильной дороги: учеб. пособие. - Екатеринбург: Урал. гос. лесотехн. Ун-т,
2005. - 311 с.
. ЕНиР "Земляные работы". Сборник Е2.
5. Строительные нормы и правила СНиП 2.05.02-85(97)
"Автомобильные дороги" Москва, 1997;
6. Кочанов А.Н. Технология и организация строительства
автомобильных дорог: учеб. пособие/ А.Н.Кочанов, В.И.Марков, В.П.Селютин,
В.А.Утышев. - Петрозаводск: Изд-во ПетрГУ, 2007.-220 с.